Experimental Study on Mechanical Properties and Stability Analysis of Structural Plane under Unloading Normal Stress
Abstract
1. Introduction
2. Test Method
2.1. Specimen Preparation
- ♦
- The sand is dried in an oven at 105 °C for 24 h and then screened with a 120-mesh screen to ensure the uniformity of the sand particles. Cement with a strength of 32.5 R is also screened to ensure the uniformity of the material particles.
- ♦
- Cement, sand, and water are evenly mixed according to the proportions of 3:2:1.5. Subsequently, tap water is added, and the materials are fully mixed. The mixture is then placed on a shaking table and the vibration drives out any bubbles.
- ♦
- The evenly stirred materials are poured into the mold while being stirred with a vibrating rod to further discharge the bubbles.
- ♦
- After pouring, the mixture is left to stand at a temperature of 20 °C for 3 d. The structural plane is demolded after complete solidification and cured for 28 d. The manufacturing process of the structural plane is shown in Figure 2. Additionally, mechanical parameters are shown in Table 1. According to Table 1, there are nine test conditions in total, in which each test condition is repeated three times, and 27 samples are required.
2.2. Experimental Scheme
3. Test Results and Analysis
3.1. Deformation
3.1.1. Displacement Histories
3.1.2. Characteristic Displacement
3.2. Failure Normal Stress
3.3. Energy Evolution Analysis
3.3.1. Energy Calculation Method
3.3.2. Evolution of Energy
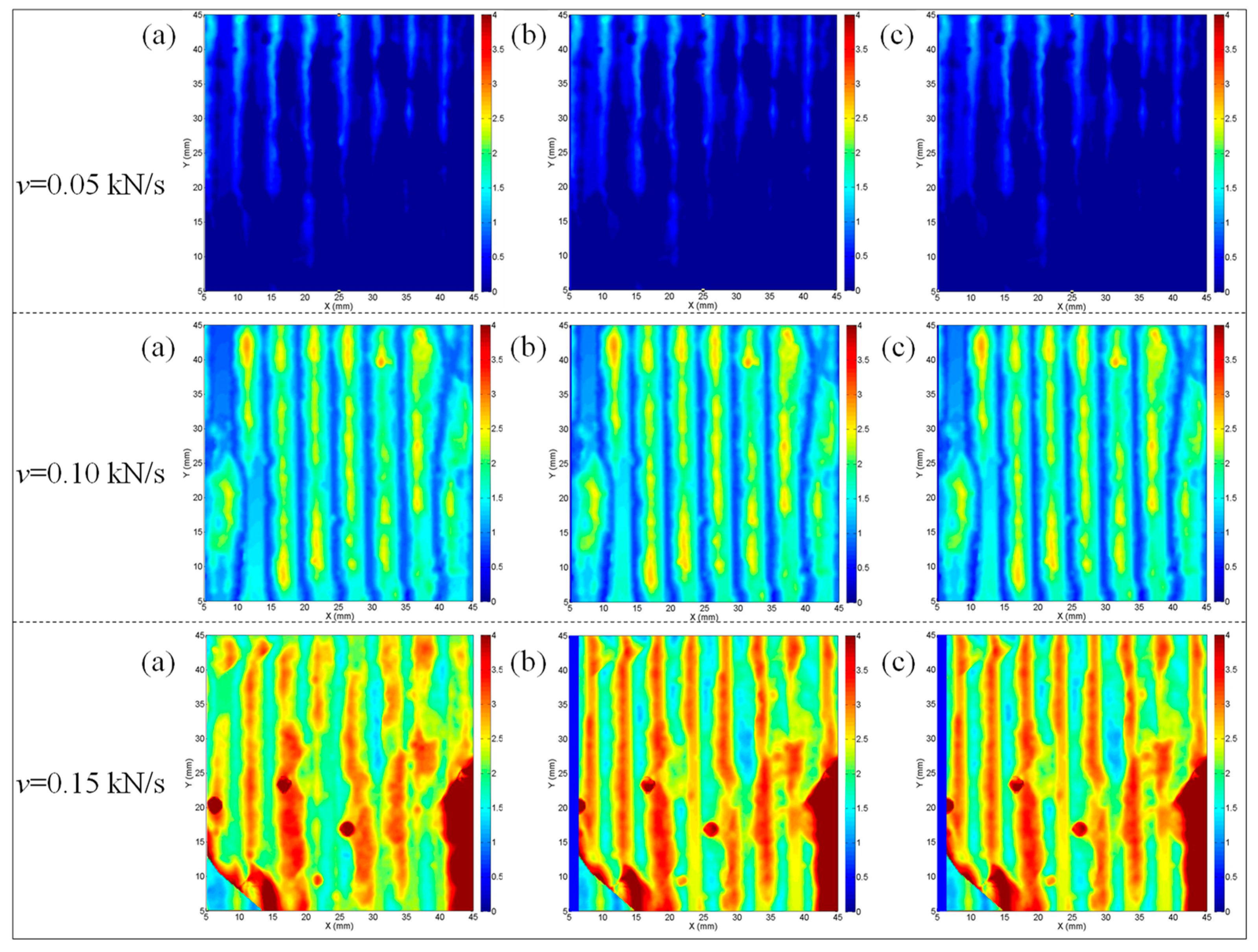
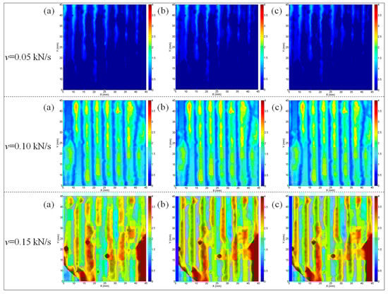
3.4. Failure Pattern
- (1)
- Average height z3: the average height of each point on the structural plane;
- (2)
- Maximum height difference of surface Sh: vertical distance from the highest point to the lowest point of the structural plane;
- (3)
- Maximum peak height of surface Sp: the distance from the highest point of the structural plane to the datum plane;
- (4)
- Contour area ratio SA: the ratio of the surface expanded area of the structural plane to the vertical projected area; the calculation equation is:
- (5)
- Volume V: the volume of the space enclosed by the structural plane and the bottom plane;
- (6)
- Surface area St: the expanded area of the surface of the structural plane.
4. Discussion
4.1. Gap Width Calculation Method
4.2. Analysis of Impact Tendency of Structural Plane
5. Conclusions
- (1)
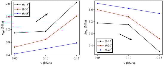
- In the first step, the normal displacement increases nonlinearly and the increase rate decreases gradually. In the second step, the shear displacement increases linearly and the increase rate is 0.001 mm/s. In the third step, the normal displacement decreases nonlinearly, the reduction rate increases gradually and the shear displacement increases nonlinearly until the instability of the structural plane occurs. With an increase in θ, the Du1 gradually increases, however, Du2 and Ds gradually decrease. The increase in Du1 is less than the height of a single asperity on the structural plane. Dsu and σnf decrease gradually with an increase in the v.
- (2)
- With an increase in v, the Un increases gradually and Un released under the same θ decreases gradually. At the unloading point, Us increases gradually with an increase in θ. However, Us decreases gradually with an increase in v. With an increase in θ, Us at the unloading point increases gradually.
- (3)
- The tension crack that forms on the wall of the structural plane is at an acute angle with the shear direction. By analyzing the evolution of the 2D section line and 3D morphology parameters of the structural plane, it is obtained that the damage degree of the structural plane increases with the increase in v. Meanwhile, an analysis of the evolution of the gap width of the structural plane, with the decrease in the θ or the increase in v, demonstrates that the ability of instability failure of the structural plane increases while the impact tendency of the structural plane, however, decreases.
Author Contributions
Funding
Institutional Review Board Statement
Informed Consent Statement
Data Availability Statement
Conflicts of Interest
References
- Cai, M.; Kaiser, P. In-situ rock spalling strength near excavation boundaries. Rock Mech. Rock Eng. 2014, 47, 659–675. [Google Scholar] [CrossRef]
- Feng, F.; Chen, S.; Li, D.; Hu, S.; Huang, W.; Li, B. Analysis of fractures of a hard rock specimen via unloading of central hole with different sectional shapes. Energy Sci. Eng. 2019, 7, 2265–2286. [Google Scholar] [CrossRef]
- Zhao, Z.; Tan, Y.; Chen, S.; Ma, Q.; Gao, X. Theoretical analyses of stress field in surrounding rocks of weakly consolidated tunnel in a high-humidity deep environment. Int. J. Rock Mech. Min. Sci. 2019, 122, 104064. [Google Scholar] [CrossRef]
- Yang, Z.; Chiang, D. An experimental study on the progressive shear behavior of rock joints with tooth-shaped asperities. Int. J. Rock Mech. Min. Sci. 2000, 37, 1247–1259. [Google Scholar] [CrossRef]
- Li, H.; Liu, M.; Xing, W.; Shao, S.; Zhou, J. Failure mechanisms and evolution assessment of the excavation damaged zones in a large-scale and deeply buried underground powerhouse. Rock Mech. Rock Eng. 2017, 50, 1883–1900. [Google Scholar] [CrossRef]
- Cai, M. Influence of intermediate principal stress on rock fracturing and strength near excavation boundaries-Insight from numerical modeling. Int. J. Rock Mech. Min. Sci. 2008, 45, 763–772. [Google Scholar] [CrossRef]
- Zhang, Z.; Deng, M.; Bai, J.; Yu, X.; Wu, Q.; Jiang, L. Strain energy evolution and conversion under triaxial unloading confining pressure tests due to gob-side entry retained. Int. J. Rock Mech. Min. Sci. 2020, 126, 104184. [Google Scholar] [CrossRef]
- Si, X.; Gong, F. Strength-weakening effect and shear-tension failure mode transformation mechanism of rockburst for fine-grained granite under triaxial. Int. J. Rock Mech. Min. Sci. 2020, 131, 104347. [Google Scholar] [CrossRef]
- Li, D.; Sun, Z.; Xie, T.; Li, X.; Ranjith, P. Energy evolution characteristics of hard rock during triaxial failure with different loading and unloading paths. Eng. Geol. 2017, 228, 270–281. [Google Scholar] [CrossRef]
- Wang, X.; Cui, J.; Zhu, C.; Wu, Y.; Wang, X. Experimental study of the mechanical behavior of calcareous sand under repeated loading-unloading. Bull. Eng. Geol. Environ. 2021, 80, 3097–3113. [Google Scholar] [CrossRef]
- Liang, Y.; Li, Q.; Gu, Y.; Zou, Q. Mechanical and acoustic emission characteristics of rock: Effect of loading and unloading confining pressure at the postpeak stage. J. Nat. Gas Sci. Eng. 2017, 44, 54–64. [Google Scholar] [CrossRef]
- Wang, K.; Zhang, X.; Du, F.; Xin, C.; Wang, L. Coal damage and permeability characteristics under accelerated unloading confining pressure. Geotech. Geol. Eng. 2020, 38, 561–572. [Google Scholar] [CrossRef]
- Huang, H.; Huang, M.; Ding, J. Calculation of tangent modulus of soils under different stress paths. Math. Probl. Eng. 2018, 5, 1916761. [Google Scholar] [CrossRef]
- Shi, C.; Yang, J.; Chu, W.; Tang, H.; Zhang, Y. Macro-and micromechanical behaviors and energyvariation of sandstone under different unloadingstress paths with DEM. Int. J. Geomech. 2021, 21, 04021127. [Google Scholar] [CrossRef]
- Zhang, Y.; Yang, Y.; Ma, D. Mechanical characteristics of coal samples under triaxial unloading pressure with different test paths. Shock Vib. 2020, 1, 8870821. [Google Scholar] [CrossRef]
- Zhang, J.; Song, Z.; Wang, S. Experimental investigation on permeability and energy evolution characteristics of deep sandstone along a three-stage loading path. Bull. Eng. Geol. Environ. 2021, 80, 1571–1584. [Google Scholar] [CrossRef]
- Xie, H.; He, C. Study of the unloading characteristics of a rock mass using the triaxial test and damage mechanics. Int. J. Rock Mech. Min. Sci. 2004, 41, 366. [Google Scholar] [CrossRef]
- Yang, Y.; Jiang, C.; Guo, X.; Peng, S.; Zhao, J.; Yan, F. Experimental investigation on the permeability and damage characteristics of raw coal under tiered cyclic unloading and loading confining pressure. Powder Technol. 2021, 389, 416–429. [Google Scholar] [CrossRef]
- Ren, J.; Chen, X.; Chen, X.; Yun, M.; Liu, T. Effect of porewater pressure on the mechanical properties of red sandstone with different unloading rates. Q. J. Eng. Geol. Hydrogeol. 2021, 54, 1–16. [Google Scholar] [CrossRef]
- Li, D.; Sun, Z.; Zhu, Q.; Peng, K. Triaxial loading and unloading tests on dry and saturated sandstone specimens. Appl. Sci. 2019, 9, 1689. [Google Scholar] [CrossRef]
- Peng, K.; Zhang, J.; Zou, Q.; Song, X. Deformation characteristics of granites at diferent unloading rates after high-temperature treatment. Environ. Earth Sci. 2020, 79, 343. [Google Scholar] [CrossRef]
- Wang, J.; Fu, J.; Song, W. Mechanical properties and microstructure of layered cemented paste backfill under triaxial cyclic loading and unloading. Constr. Build. Mater. 2020, 257, 119540. [Google Scholar] [CrossRef]
- Huang, D.; Li, Y. Conversion of strain energy in triaxial unloading tests on marble. Int. J. Rock Mech. Min. Sci. 2014, 66, 160–168. [Google Scholar] [CrossRef]
- Liu, S.; Zhu, Q.; Shao, J. Deformation and mechanical properties of rock: Effect of hydromechanical coupling under unloading conditions. Bull. Eng. Geol. Environ 2020, 79, 5517–5534. [Google Scholar] [CrossRef]
- Xu, J.; Li, H.; Meng, Q.; Xu, W.; He, M.; Yang, J. A study on triaxial unloading test of columnar-jointed-rock-mass-like material with aw velocity analysis. Adv. Civ. Eng. 2020, 10, 6693544. [Google Scholar] [CrossRef]
- Wang, J.; Liu, M.; Jian, F.; Chai, H. Mechanical behaviors of a sandstone and mudstone under loading and unloading conditions. Environ. Earth Sci. 2019, 78, 30. [Google Scholar] [CrossRef]
- Wang, Y.; Feng, W.; Hu, R.; Li, C. Fracture evolution and energy characteristics during marble failure under triaxial fatigue cyclic and confning pressure unloading (FC-CPU) conditions. Rock Mech. Rock Eng. 2021, 54, 799–818. [Google Scholar] [CrossRef]
- Dai, B.; Zhao, G.; Konietzky, H.; Wasantha, P. Experimental and numerical study on the damage evolution behaviour of granitic rock during loading and unloading. KSCE J. Civ. Eng. 2018, 22, 3278–3291. [Google Scholar] [CrossRef]
- Yang, S.; Ju, Y.; Gao, F.; Gui, Y. Strength, Deformability and X-ray Micro-CT observations of deeply buried marble under different confining pressures. Rock Mech. Rock Eng. 2016, 49, 4227–4244. [Google Scholar] [CrossRef]
- Zhao, Y.; Bi, J.; Wang, C.; Liu, P. Efect of unloading rate on the mechanical behavior and fracture characteristics of sandstones under complex triaxial stress conditions. Rock Mech. Rock Eng. 2021, 54, 4851–4866. [Google Scholar] [CrossRef]
- Chen, Y.; Zuo, J.; Li, Z.; Dou, R. Experimental investigation on the crack propagation behaviors of sandstone under different loading and unloading conditions. Int. J. Rock Mech. Min. Sci. 2020, 130, 104310. [Google Scholar] [CrossRef]
- Chen, Y.; Guo, W.; Zuo, J.; Shuai, H.; Dou, R. Effect of triaxial loading and unloading on crack propagation and damage behaviors of sandstone: An experimental study. Rock Mech. Rock Eng. 2021, 54, 6077–6090. [Google Scholar] [CrossRef]
- Ding, Q.; Ju, F.; Mao, X.; Ma, D.; Yu, B.; Song, S. Experimental investigation of the mechanical behavior in unloading conditions of sandstone after high-temperature treatment. Rock Mech. Rock Eng. 2016, 49, 2641–2653. [Google Scholar] [CrossRef]
- Zhao, J.; Zhang, T. Experimental study on mechanical properties of deep buried granite under different confining pressures. Adv. Civ. Eng. 2020, 5, 6640497. [Google Scholar] [CrossRef]
- Peng, R.; Ju, Y.; Wang, J.; Xie, H.; Gao, F.; Mao, L. Energy dissipation and release during coal failure under conventional triaxial compression. Rock Mech. Rock Eng. 2015, 48, 509–526. [Google Scholar] [CrossRef]
- Meng, Q.; Liu, J.; Huang, B.; Pu, H.; Wu, J.; Zhang, Z. Efects of confning pressure and temperature on the energy evolution of rocks under triaxial cyclic loading and unloading conditions. Rock Mech. Rock Eng. 2022, 55, 773–798. [Google Scholar] [CrossRef]
- Chang, Y.; Chen, Z.; Ren, F.; Chang, L. Strain energy dissipation and damage evolution of frozen migmatite under triaxial unloading. Geotech. Geol. Eng. 2019, 37, 3183–3192. [Google Scholar] [CrossRef]
- Duan, S.; Jiang, Q.; Xu, D.; Liu, G. Experimental study of mechanical behavior ofinterlayer staggered zone under cyclicloading and unloading condition. Int. J. Geomech. 2020, 20, 04019187. [Google Scholar] [CrossRef]
- Zhang, Y.; Wang, L.; Li, H.; Zhang, Y.; Fu, G. Experimental study of the permeability of fractured sandstone under complex stress paths. Energy Sci. Eng. 2020, 8, 3217–3227. [Google Scholar] [CrossRef]
- Wang, C.; Liu, J.; Chen, L.; Liu, J.; Wang, L. Mechanical behaviour and damage evolution of Beishan granite considering the transient and time-dependent effects of excavation unloading. Eur. J. Environ. Civ. Eng. 2020, 1, 3187–3203. [Google Scholar] [CrossRef]
- Zhu, T.; Huang, D. Experimental investigation of the shear mechanical behavior of sandstone under unloading normal stres. Int. J. Rock Mech. Min. Sci. 2019, 114, 186–194. [Google Scholar] [CrossRef]
- Beer, A.; Stead, D.; Coggan, J. Estimation of the joint roughness coefficient (JRC) by visual. Rock Mech. Rock Eng. 2002, 35, 65–74. [Google Scholar] [CrossRef]
- Hong, E.; Lee, J.; Lee, I. Underestimation of roughness in rough rock joints. Int. J. Numer. Anal. Met. 2008, 32, 1385–1403. [Google Scholar] [CrossRef]
- Yang, J.; Yang, X.; Zhou, J.; Liu, Y.; Dong, B.; Li, H. Comparative study of the excavation damage androckburst of the deeply buried jinping ii diversion tunnels using a tbm and the drilling-blasting method. Adv. Civ. Eng. 2020, 2, 8876214. [Google Scholar] [CrossRef]
- Xu, J.; Liu, Y.; Yin, G.; Li, B.; Peng, S.; Ye, G. Development of shear-flow coupling test device for coal rock. Chin. J. Rock Mech. Eng. 2015, 34 (Suppl. S1), 2987–2995. [Google Scholar] [CrossRef]
- Xu, J.; Lei, J.; Liu, Y.; Wu, J. Experimental study on shear behavior of joints filled with different materials. Rock Soil Mech. 2018, 40, 4129–4137. [Google Scholar] [CrossRef]
- Xu, J.; Wu, J.; Liu, Y.; Lei, J. Experimental study of shear-seepage coupling properties of rock mass under different filling degrees. Rock Soil Mech. 2019, 40, 3416–3434. [Google Scholar] [CrossRef]




















| σn/MPa | μ | E/GPa | c/MPa | /° |
|---|---|---|---|---|
| 15 | 0.27 | 3.39 | 2.84 | 28 |
| θ (°) | σn0 (MPa) | τ0 (MPa) | v (kN/s) |
|---|---|---|---|
| 0.05 | |||
| 15 | 2.25 | 5.384 | 0.10 |
| 0.15 | |||
| 0.05 | |||
| 30 | 2.25 | 5.384 | 0.10 |
| 0.15 | |||
| 0.05 | |||
| 45 | 2.25 | 5.384 | 0.10 |
| 0.15 |
| θ (°) | σn0 (MPa) | τ0 (MPa) | v (kN/s) | Du1 (mm) | Du2 (mm) | Dsu (mm) | Ds (mm) | Dnu1 (mm) | σnf (MPa) | Δσn (MPa) |
|---|---|---|---|---|---|---|---|---|---|---|
| 15 | 2.25 | 5.384 | 0.05 | 0.488 | 0.132 | 0.363 | 2.339 | 0.044 | 1.093 | 1.157 |
| 0.10 | 0.420 | 0.108 | 0.115 | 0.458 | 0.020 | 1.148 | 1.102 | |||
| 0.15 | 0.432 | 0.064 | 0.009 | 0.881 | 0.048 | 2.050 | 0.200 | |||
| 30 | 2.25 | 5.384 | 0.05 | 0.344 | 0.024 | 0.035 | 0.173 | 0.022 | 0.652 | 1.598 |
| 0.10 | 0.532 | 0.056 | 0.028 | 0.213 | 0.052 | 0.889 | 1.361 | |||
| 0.15 | 0.488 | 0.044 | 0.018 | 1.356 | 0.018 | 1.618 | 0.632 | |||
| 45 | 2.25 | 5.384 | 0.05 | 0.530 | 0.066 | 0.251 | 0.357 | 0.096 | 0.440 | 1.810 |
| 0.10 | 0.348 | 0.078 | 0.209 | 0.441 | 0.014 | 0.606 | 1.644 | |||
| 0.15 | 0.498 | 0.066 | 0.038 | 0.312 | 0.050 | 0.777 | 1.473 |
| θ (°) | σn0 (MPa) | τ0 (MPa) | v/(kN/s) | Un (J) | Us (J) | U (J) |
|---|---|---|---|---|---|---|
| 15 | 2.25 | 5.384 | 0.05 | 1.876 | 3.613 | 5.489 |
| 0.10 | 2.055 | 2.834 | 4.889 | |||
| 0.15 | 2.605 | 2.490 | 5.095 | |||
| 30 | 2.25 | 5.384 | 0.05 | 0.535 | 4.098 | 1.633 |
| 0.10 | 1.392 | 3.042 | 4.434 | |||
| 0.15 | 1.497 | 2.966 | 4.463 | |||
| 45 | 2.25 | 5.384 | 0.05 | 1.565 | 4.576 | 6.141 |
| 0.10 | 1.653 | 3.413 | 5.066 | |||
| 0.15 | 1.727 | 3.217 | 4.944 |
Publisher’s Note: MDPI stays neutral with regard to jurisdictional claims in published maps and institutional affiliations. |
© 2022 by the authors. Licensee MDPI, Basel, Switzerland. This article is an open access article distributed under the terms and conditions of the Creative Commons Attribution (CC BY) license (https://creativecommons.org/licenses/by/4.0/).
Share and Cite
Jiao, F.; Xu, J.; Peng, S.; He, M.; Zhang, X. Experimental Study on Mechanical Properties and Stability Analysis of Structural Plane under Unloading Normal Stress. Sustainability 2022, 14, 15656. https://doi.org/10.3390/su142315656
Jiao F, Xu J, Peng S, He M, Zhang X. Experimental Study on Mechanical Properties and Stability Analysis of Structural Plane under Unloading Normal Stress. Sustainability. 2022; 14(23):15656. https://doi.org/10.3390/su142315656
Chicago/Turabian StyleJiao, Feng, Jiang Xu, Shoujian Peng, Meixin He, and Xinrui Zhang. 2022. "Experimental Study on Mechanical Properties and Stability Analysis of Structural Plane under Unloading Normal Stress" Sustainability 14, no. 23: 15656. https://doi.org/10.3390/su142315656
APA StyleJiao, F., Xu, J., Peng, S., He, M., & Zhang, X. (2022). Experimental Study on Mechanical Properties and Stability Analysis of Structural Plane under Unloading Normal Stress. Sustainability, 14(23), 15656. https://doi.org/10.3390/su142315656

