Corrosion Resistance of Cr2O3, ZrO2, and Mn3O4 Oxide Films to Lead–Bismuth Eutectic: A Comparative Study
Abstract
1. Introduction
2. Experiment and Theoretical Calculation
2.1. Materials
2.2. Corrosion Tests
2.3. First Principles Method and Computational Models
3. Results
3.1. Corrosion Experiment Results
3.1.1. Corrosion Experiment at 600 °C
3.1.2. Corrosion Experiment at 700 °C
3.2. First Principles Calculations
3.2.1. Corrosion Resistance of Oxide Layers
3.2.2. Ab Initio Molecular Dynamics Calculations of the Solid–Liquid Interface
4. Discussion
5. Conclusions
- (1)
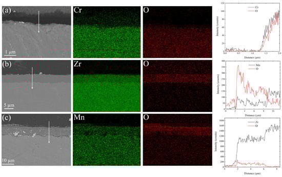
- At 600 °C, Cr, Zr, and Mn metals oxidize in air, forming Cr2O3, ZrO2, and Mn3O4 oxide layers on their respective surfaces. Among these oxides, Cr2O3 exhibits the lowest diffusion coefficient for oxygen, which hinders the oxidation of chromium through the oxide layer, resulting in the formation of the thinnest Cr2O3 layer. Oxygen atoms are more likely to continue reacting with the metal through ZrO2 and Mn3O4, leading to a further increase in the oxide layer thickness.
- (2)
- Cr2O3 and ZrO2 exhibited excellent resistance to lead–bismuth corrosion at 600 °C. However, when the corrosion temperature was increased to 700 °C, ZrO2 developed a large number of cracks, resulting in a loss of its protective capability. In contrast, Mn3O4 could not withstand LBE corrosion. At 600 °C, a substantial amount of LBE penetrated Mn3O4, and after further increasing the corrosion temperature to 700 °C, Mn3O4 was completely corroded. The results show that the corrosion resistance of the three oxide films can be ranked in the following order: Cr2O3 > ZrO2 > Mn3O4.
- (3)
- First principles calculations indicate that Pb and Bi atoms are most readily adsorbed onto the Mn3O4 surface. Under the influence of Pb or Bi atoms, Mn atoms are more likely to detach from the surface. Zr atoms on the ZrO2 surface possess a high escape energy, suggesting that ZrO2 theoretically exhibits excellent resistance to LBE corrosion. ZrO2 possesses excellent theoretical data; however, stress issues arising from the growth of the oxide layer result in the formation of cracks. At 600 °C, fine cracks within ZrO2 can be observed, but the overall integrity of the oxide film remains intact, thus it exhibits good resistance to lead–bismuth corrosion. Nevertheless, the proliferation of cracks becomes particularly pronounced at elevated temperatures, suggesting that ZrO2 does not perform as well as suggested by theoretical calculations. Provided that the integrity of the oxide film is maintained, ZrO2 holds significant application potential.
Author Contributions
Funding
Institutional Review Board Statement
Informed Consent Statement
Data Availability Statement
Conflicts of Interest
References
- Alemberti, A.; Smirnov, V.; Smith, C.F.; Takahashi, M. Overview of lead-cooled fast reactor activities. Prog. Nucl. Energ. 2014, 77, 300–307. [Google Scholar] [CrossRef]
- Alemberti, A. The Lead Fast Reactor: An opportunity for the future? Engineering 2016, 2, 59–62. [Google Scholar] [CrossRef]
- Zhang, J.; Li, N. Review of the studies on fundamental issues in LBE corrosion. J. Nucl. Mater. 2008, 373, 351–377. [Google Scholar] [CrossRef]
- Zhang, J. A review of steel corrosion by liquid lead and lead–bismuth. Corros. Sci. 2009, 51, 1207–1227. [Google Scholar] [CrossRef]
- Zhang, J.; Li, N.; Chen, Y. Oxygen control technique in molten lead and lead-bismuth eutectic systems. Nucl. Sci. Eng. 2006, 154, 223–232. [Google Scholar] [CrossRef]
- Li, N. Active control of oxygen in molten lead–bismuth eutectic systems to prevent steel corrosion and coolant contamination. J. Nucl. Mater. 2002, 300, 73–81. [Google Scholar] [CrossRef]
- Schroer, C.; Wedemeyer, O.; Konys, J. Aspects of minimizing steel corrosion in liquid lead-alloys by addition of oxygen. Nucl. Eng. Des. 2011, 241, 4913–4923. [Google Scholar] [CrossRef]
- Chen, Q.S.; Zhai, L.H.; Chen, Y.X.; Liu, H.; Yang, J.J.; Zhang, F.F. Corrosion behaviour of 11Cr1Si ferritic/martensitic steel in static liquid lead-bismuth eutectic at 450–550 °C. Nucl. Mater. Energy 2023, 35, 101429. [Google Scholar] [CrossRef]
- Zhu, Z.G.; Zhang, Q.; Tan, J.B.; Wu, X.Q.; Ma, H.B.; Zhang, Z.Y.; Ren, Q.S.; Han, E.H.; Wang, X. Corrosion behavior of T91 steel in liquid lead-bismuth eutectic at 550 °C: Effects of exposure time and dissolved oxygen concentration. Corros. Sci. 2022, 204, 110405. [Google Scholar] [CrossRef]
- Wang, D.; Liu, S.R.; Xiao, C.Q.; Ma, X.F.; Sun, Y.L.; Yuan, G.F.; Zeng, J.; Liang, Y.Q.; Hu, Y.Y.; Niu, F.L.; et al. Corrosion resistance of 15-15Ti and 316Ti austenitic steels as fuel cladding in liquid lead-bismuth eutectic at 550 °C: The dominant role of grain structure. Corros. Sci. 2023, 218, 111169. [Google Scholar] [CrossRef]
- Anderoglu, O.; Byun, T.S.; Toloczko, M.; Maloy, S.A. Mechanical performance of ferritic martensitic steels for high dose applications in advanced nuclear reactors. Metall. Mater. Trans. A 2013, 44, 70–83. [Google Scholar] [CrossRef]
- Gong, X.; Short, M.P.; Auger, T.; Charalampopoulou, E.; Lambrinou, K. Environmental degradation of structural materials in liquid lead- and lead-bismuth eutectic-cooled reactors. Prog. Mater. Sci. 2022, 126, 100920. [Google Scholar] [CrossRef]
- Alamo, A.; Bertin, J.L.; Shamardin, V.K.; Wident, P. Mechanical properties of 9Cr martensitic steels and ODS-FeCr alloys after neutron irradiation at 325 °C up to 42 dpa. J. Nucl. Mater. 2007, 367–370, 54–59. [Google Scholar] [CrossRef]
- Shen, L.; Cao, G.; Lang, D.; Peng, H.; Wen, Y. Fe-14Ni-14Cr-2.5Al steel showing excellent corrosion-resistance in flowing LBE at 550 °C and high temperature strength. J. Nucl. Mater. 2023, 587, 154703. [Google Scholar] [CrossRef]
- Shi, H.; Jianu, A.; Weisenburger, A.; Tang, C.; Heinzel, A.; Fetzer, R.; Lang, F.; Stieglitz, R.; Müller, G. Corrosion resistance and microstructural stability of austenitic Fe–Cr–Al–Ni model alloys exposed to oxygen-containing molten lead. J. Nucl. Mater. 2019, 524, 177–190. [Google Scholar] [CrossRef]
- Zhang, L.; Yan, W.; Shi, Q.; Li, Y.; Shan, Y.; Yang, K. Silicon enhances high temperature oxidation resistance of SIMP steel at 700 °C. Corros. Sci. 2020, 167, 108519. [Google Scholar] [CrossRef]
- Wang, H.; Liang, G.Y.; Meng, C.Y.; An, X.G.; Wang, Y.; He, X.J. A comparative study on the corrosion performance of four FeCrAl alloys with different Cr contents in contact with oxygen-saturated LBE. J. Mater. Res. Technol. 2023, 23, 3492–3504. [Google Scholar] [CrossRef]
- Jin, X.; Chen, S.; Rong, L. Effects of Mn on the mechanical properties and high temperature oxidation of 9Cr2WVTa steel. J. Nucl. Mater. 2017, 494, 103–113. [Google Scholar] [CrossRef]
- Gao, R.; Xia, L.L.; Zhang, T.; Wang, X.P.; Fang, Q.F.; Liu, C.S. Oxidation resistance in LBE and air and tensile properties of ODS ferritic steels containing Al/Zr elements. J. Nucl. Mater. 2014, 455, 407–411. [Google Scholar] [CrossRef]
- Takaya, S.; Furukawa, T.; Inoue, M.; Fujisawa, T.; Okuda, T.; Abe, F.; Ohnuki, S.; Kimura, A. Corrosion resistance of Al-alloying high Cr–ODS steels in stagnant lead–bismuth. J. Nucl. Mater. 2010, 398, 132–138. [Google Scholar] [CrossRef]
- Hohenberg, P.; Kohn, W. Inhomgeneous electron gas. Phys. Rev. B 1964, 136, B864. [Google Scholar] [CrossRef]
- Kohn, W.; Sham, L.J. Self-consistent equations including exchange and correlation effects. Phys. Rev. 1965, 140, A1133. [Google Scholar] [CrossRef]
- Kresse, G.; Furthmuller, J. Efficient iterative schemes for ab initio total-energy calculations using a plane-wave basis set. Phys. Rev. B 1996, 54, 11169–11186. [Google Scholar] [CrossRef] [PubMed]
- Blöchl, P.E. Projector augmented-wave method. Phys. Rev. B 1994, 50, 17953–17979. [Google Scholar] [CrossRef] [PubMed]
- Perdew, J.P.; Chevary, J.A.; Vosko, S.H.; Jackson, K.A.; Pederson, M.R.; Singh, D.J.; Fiolhais, C. Atoms, molecules, solids, and surfaces: Applications of the generalized gradient approximation for exchange and correlation. Phys. Rev. B 1992, 46, 6671–6687. [Google Scholar] [CrossRef]
- Nigussa, K.N.; Borck, O.; Stovneng, J.A. Adsorption of H2S on α-Cr2O3(0001) surfaces: A density functional theory investigation. Corros. Sci. 2016, 111, 1–12. [Google Scholar] [CrossRef]
- Finger, L.W.; Hazen, R.M. Crystal structure and isothermal compression of Fe2O3, Cr2O3, and V2O3 to 50 kbars. J. Appl. Phys. 1980, 51, 5362–5367. [Google Scholar] [CrossRef]
- Bowman, W.J.; Yang, J.; Yildiz, B. The role of doping and microstructure on hydrogen solubility in monoclinic ZrO2: Experimental validations of simulated defect chemistry. Acta Mater. 2020, 195, 172–183. [Google Scholar] [CrossRef]
- Garvie, R.C. 4. Zirconium dioxide and some of its binary systems. Refract. Mater. 1970, 5, 117–166. [Google Scholar]
- Christensen, A.; Carter, E.A. First-principles study of the surfaces of zirconia. Phys. Rev. B 1998, 58, 8050–8064. [Google Scholar] [CrossRef]
- Chauhan, V.; Gupta, T.; Koratkar, N.; Kumar, R. Studies of the electronic excitation modifications induced by SHI of Au ions in RF sputtered ZrO2 thin films. Mat. Sci. Semicon. Proc. 2018, 88, 262–272. [Google Scholar] [CrossRef]
- Korhonen, S.T.; Calatayud, M.; Krause, A.O.I. Stability of hydroxylated (11) and (01) surfaces of monoclinic zirconia: A combined study by DFT and infrared spectroscopy. J. Phys. Chem. C 2008, 112, 6469–6476. [Google Scholar] [CrossRef]
- Mccullough, J.D.; Trueblood, K.N. The crystal structure of baddeleyite (monoclinic ZrO2). Acta Crystallogr. 2010, 12, 507–511. [Google Scholar] [CrossRef]
- Gonçalves, P.R.; De Abreu, H.A.; Duarte, H.A. Stability, structural, and electronic properties of hausmannite (Mn3O4) surfaces and their interaction with water. J. Phys. Chem. C 2018, 122, 20841–20849. [Google Scholar] [CrossRef]
- Jarosch, D. Crystal structure refinement and reflectance measurements of hausmannite, Mn3O4. Miner. Petrol. 1987, 37, 15–23. [Google Scholar] [CrossRef]
- Yang, Y.H.; Zhao, F.; Ling, Y.H.; Yang, X.Y.; Gu, Y.H.; Zhang, Z.J. Comparisons of air and water oxidation on the passive properties of chromium. J. Mater. Eng. Perform. 2024. [Google Scholar] [CrossRef]
- Hallström, S.; Halvarsson, M.; Höglund, L.; Jonsson, T.; Ågren, J. High temperature oxidation of chromium: Kinetic modeling and microstructural investigation. Solid State Ion. 2013, 240, 41–50. [Google Scholar] [CrossRef]
- Zhu, C.D.; Zhou, M.Y.; Li, Q.; Zhang, W.; Zhong, Y.L.; Li, Q.Y.; Zhou, Y.; Chen, Q.S.; Liu, N.; Yang, J.J. Microstructural evolution and corrosion resistance of ZrO2 coated ferrite/martensite steel in liquid lead-bismuth eutectic. Mater. Today Commun. 2023, 35, 105603. [Google Scholar] [CrossRef]
- Zhu, C.; Liu, G.; Yu, B.; Chen, Q.; Zhang, W.; Yang, J.; Deng, J.; Zhong, Y.; Liu, N.; Yang, J. Corrosion behavior of ZrN coated ferritic/martensitic steel in liquid lead-bismuth eutectic. Nucl. Mater. Energy 2023, 36, 101475. [Google Scholar] [CrossRef]
- Xu, Y.; Song, C.; Zhang, Y.; Liu, C.S.; Pan, B.C.; Wang, Z. An energetic evaluation of dissolution corrosion capabilities of liquid metals on iron surface. Phys. Chem. Chem. Phys. 2014, 16, 16837–16845. [Google Scholar] [CrossRef]
- Liu, T.; Zhang, B.; Yin, H.; He, X.; Liu, M.; Qiu, J.; Liu, W. First-principles study on the corrosion resistance of iron oxide surface and grain boundary in austenitic steel to lead–bismuth eutectic. Appl. Surf. Sci. 2023, 640, 158409. [Google Scholar] [CrossRef]
- Legris, A.; Nicaise, G.; Vogt, J.B.; Foct, J. Liquid metal embrittlement of the martensitic steel 91: Influence of the chemical composition of the liquid metal.: Experiments and electronic structure calculations. J. Nucl. Mater. 2002, 301, 70–76. [Google Scholar] [CrossRef]
- Lim, J. Effects of Chromium and Silicon on Corrosion of Iron Alloys in Lead-Bismuth Eutectic. Massachusetts Institute of Technology: Cambridge, MA, USA, 2006. [Google Scholar]
- Ma, X.; Toffolon, M.C.; Guilbert, T.; Hamon, D.; Brachet, J.C. Oxidation kinetics and oxygen diffusion in low-tin Zircaloy-4 up to 1523 K. J. Nucl. Mater. 2008, 377, 359–369. [Google Scholar] [CrossRef]
- Wang, L.; Liao, Q.; Zhang, J.T.; Liu, S.J.; Gan, S.Y.; Wang, R.D.; Ge, F.F.; Chen, L.M.; Xu, S.; Polcar, T.; et al. Corrosion behavior of Cr coating on ferritic/martensitic steels in liquid lead-bismuth eutectic at 600 °C and 700 °C. J. Mater. Res. Technol. 2024, 29, 3958–3966. [Google Scholar] [CrossRef]
- Kurpaska, L.; Jozwik, I.; Jagielski, J. Study of sub-oxide phases at the metal-oxide interface in oxidized pure zirconium and Zr-1.0% Nb alloy by using SEM/FIB/EBSD and EDS techniques. J. Nucl. Mater. 2016, 476, 56–62. [Google Scholar] [CrossRef]
- Vandegrift, J.L.; Price, P.M.; Stroud, J.P.; Parga, C.J.; Van Rooyen, I.J.; Jaques, B.J.; Butt, D.P. Oxidation behavior of Zirconium, Zircaloy-3, Zircaloy-4, Zr-1Nb, and Zr-2.5Nb in air and oxygen. Nucl. Mater. Energy 2019, 20, 100692. [Google Scholar] [CrossRef]
- Alansari, A.; Sun, Y. Effect of oxidation time on the tribological behavior of thermally oxidized commercially pure zirconium under dry sliding conditions. Surf. Coat. Technol. 2017, 309, 195–202. [Google Scholar] [CrossRef]
- Kurpaska, L.; Favergeon, J.; Lahoche, L.; Moulin, G. On the determination of growth stress during oxidation of pure zirconium at elevated temperature. Appl. Surf. Sci. 2018, 446, 27–35. [Google Scholar] [CrossRef]
- Baek, J.H.; Jeong, Y.H. Breakaway phenomenon of Zr-based alloys during a high-temperature oxidation. J. Nucl. Mater. 2008, 372, 152–159. [Google Scholar] [CrossRef]
- Ciosmak, D.; Valot, C.; Lallemant, M.; Bertrand, G. Mechanical, Kinetic and Morphological Correlations during the Scale Growth of Niobium and Zirconium Oxides. Mater. Sci. Forum 2001, 369–372, 523–530. [Google Scholar] [CrossRef]
- Wang, H.; Yu, H.; Kondo, S.; Okubo, N.; Kasada, R. Corrosion behaviour of Al-added high Mn austenitic steels in molten lead bismuth eutectic with saturated and low oxygen concentrations at 450 °C. Corros. Sci. 2020, 175, 108864. [Google Scholar] [CrossRef]










| Oxidized Structure | a(Å) | b(Å) | c(Å) |
|---|---|---|---|
| Cr2O3 | 4.944 a | 4.944 | 13.800 |
| 4.955 b [26] | 4.955 | -- | |
| 4.951 c [27] | 4.951 | 13.566 | |
| ZrO2 | 5.181 a | 5.255 | 5.355 |
| 5.184 b [32] | 5.274 | 5.358 | |
| 5.169 c [33] | 5.232 | 5.341 | |
| Mn3O4 | 5.777 a | 5.777 | 9.525 |
| 5.760 b [34] | 5.774 | 9.580 | |
| 5.765 c [35] | 5.765 | 9.442 |
Disclaimer/Publisher’s Note: The statements, opinions and data contained in all publications are solely those of the individual author(s) and contributor(s) and not of MDPI and/or the editor(s). MDPI and/or the editor(s) disclaim responsibility for any injury to people or property resulting from any ideas, methods, instructions or products referred to in the content. |
© 2024 by the authors. Licensee MDPI, Basel, Switzerland. This article is an open access article distributed under the terms and conditions of the Creative Commons Attribution (CC BY) license (https://creativecommons.org/licenses/by/4.0/).
Share and Cite
Liu, T.; Liu, W.; Yang, C.; Lei, P.; Yun, D.; Qiu, J. Corrosion Resistance of Cr2O3, ZrO2, and Mn3O4 Oxide Films to Lead–Bismuth Eutectic: A Comparative Study. Materials 2024, 17, 5694. https://doi.org/10.3390/ma17235694
Liu T, Liu W, Yang C, Lei P, Yun D, Qiu J. Corrosion Resistance of Cr2O3, ZrO2, and Mn3O4 Oxide Films to Lead–Bismuth Eutectic: A Comparative Study. Materials. 2024; 17(23):5694. https://doi.org/10.3390/ma17235694
Chicago/Turabian StyleLiu, Tao, Wenguan Liu, Chongdou Yang, Penghui Lei, Di Yun, and Jie Qiu. 2024. "Corrosion Resistance of Cr2O3, ZrO2, and Mn3O4 Oxide Films to Lead–Bismuth Eutectic: A Comparative Study" Materials 17, no. 23: 5694. https://doi.org/10.3390/ma17235694
APA StyleLiu, T., Liu, W., Yang, C., Lei, P., Yun, D., & Qiu, J. (2024). Corrosion Resistance of Cr2O3, ZrO2, and Mn3O4 Oxide Films to Lead–Bismuth Eutectic: A Comparative Study. Materials, 17(23), 5694. https://doi.org/10.3390/ma17235694

