Efficient Up-Conversion ZnO Co-Doped (Er, Yb) Nanopowders Synthesized via the Sol-Gel Process for Photovoltaic Applications
Abstract
1. Introduction
2. Materials and Methods
2.1. Samples Preparation
2.2. Measurements
3. Results and Discussion
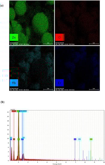
3.1. Structural and Morphological Studies
3.2. Up Conversion (UC) Emissions
3.3. Optical Energy Band Gap
3.4. Electrical Properties
4. Conclusions
Author Contributions
Funding
Data Availability Statement
Acknowledgments
Conflicts of Interest
References
- Schulze, T.F.; Czolk, J.; Cheng, Y.-Y.; Fückel, B.; MacQueen, R.W.; Khoury, T.; Crossley, M.J.; Stannowski, B.; Lips, K.; Lemmer, U.; et al. Efficiency Enhancement of Organic and Thin-Film Silicon Solar Cells with Photochemical Upconversion. J. Phys. Chem. C 2012, 116, 22794–22801. [Google Scholar] [CrossRef]
- Nattestad, A.; Cheng, Y.Y.; MacQueen, R.W.; Schulze, T.F.; Thompson, F.W.; Mozer, A.J.; Fückel, B.; Khoury, T.; Crossley, M.J.; Lips, K.; et al. Dye-Sensitized Solar Cell with Integrated Triplet–Triplet Annihilation Upconversion System. J. Phys. Chem. Lett. 2013, 4, 2073–2078. [Google Scholar] [CrossRef] [PubMed]
- Cheng, Y.Y.; Fückel, B.; MacQueen, R.W.; Khoury, T.; Clady, R.G.C.R.; Schulze, T.F.; Ekins-Daukes, N.J.; Crossley, M.J.; Stannowski, B.; Lips, K.; et al. Improving the light-harvesting of amorphous silicon solar cells with photochemical upconversion. Energy Environ. Sci. 2012, 5, 6953–6959. [Google Scholar] [CrossRef]
- Chiappini, A.; Guddala, S.; Armellini, C.; Berneschi, S.; Cacciari, I.; Duverger-Arfuso, C.; Ferrari, M.; Righini, G.C. Fabrication and Characterization of Colloidal Crystals Infiltrated with Metallic nanoparticles. In Proceedings of the SPIE Proceedings [SPIE OPTO—San Francisco, California] Optical Components and Materials VII, San Francisco, CA, USA, 23 January 2010; pp. 202–210. [Google Scholar] [CrossRef]
- Shukla, S.; Sharma, D.K. A review on rare earths (Ce and Er)-doped zinc oxide nanostructures. Mater. Today Proc. 2020, 34, 793–801. [Google Scholar] [CrossRef]
- Klingshirn, C. ZnO: From basics towards applications. Phys. Status Solidi 2007, 244, 3027–3073. [Google Scholar] [CrossRef]
- Ali, A.; Phull, A.-R.; Zia, M. Elemental zinc to zinc nanoparticles: Is ZnO NPs crucial for life? Synthesis, toxicological, and environmental concerns. Nanotechnol. Rev. 2018, 7, 413–441. [Google Scholar] [CrossRef]
- Ozgür, Ü.; Alivov, Y.I.; Liu, C.; Teke, A.; Reshchikov, M.A.; Doğan, S.; Avrutin, V.; Cho, S.-J.; Morkoç, H. A comprehensive review of ZnO materials and devices. J. Appl. Phys. 2005, 98, 041301. [Google Scholar] [CrossRef]
- Vijayalakshmi, L.; Kumar, K.N.; Hwang, P.; Kaur, G. Enhancement of up-conversion emission and emerging cool white light emission in co-doped Yb3+/Er3+: Li2O-LiF-B2O3-ZnO glasses for photonic applications. Ceram. Int. 2017, 43, 10881–10888. [Google Scholar] [CrossRef]
- Kołodziejczak-Radzimska, A.; Jesionowski, T. Zinc Oxide—From Synthesis to Application: A Review. Materials 2014, 7, 2833–2881. [Google Scholar] [CrossRef]
- Hafdallah, A.; Derrar, K.; Aida, M.S.; Attaf, N. Effet de la solution précurseur sur les propriétés structurales et otiques des couches minces de ZnO préparées par spray pyrolyse. Afr. Sci. 2016, 12, 26–33. Available online: http://www.afriquescience.info/document.php?id=6225 (accessed on 1 May 2016).
- Chen, D.; Huang, F.; Cheng, Y.-B.; Caruso, R.A. Mesoporous Anatase TiO2Beads with High Surface Areas and Controllable Pore Sizes: A Superior Candidate for High-Performance Dye-Sensitized Solar Cells. Adv. Mater. 2009, 21, 2206–2210. [Google Scholar] [CrossRef]
- Najafi, A.; Golestani-Fard, F.; Rezaie, H.; Saeb, S.P. Sol-Gel synthesis and characterization of SiC–B4C nano powder. Ceram. Int. 2020, 47, 6376–6387. [Google Scholar] [CrossRef]
- Al Abdullah, K.; Awad, S.; Zaraket, J.; Salame, C.-T. Synthesis of ZnO Nanopowders by Using Sol-Gel and Studying Their Structural and Electrical Properties at Different Temperature. Energy Procedia 2017, 119, 565–570. [Google Scholar] [CrossRef]
- Najafi, A.; Sharifi, F.; Mesgari-Abbasi, S.; Khalaj, G. Influence of pH and temperature parameters on the sol-gel synthesis process of meso porous ZrC nanopowder. Ceram. Int. 2022, 48, 26725–26731. [Google Scholar] [CrossRef]
- Messaoud, M.; Trabelsi, F.; Kumari, P.; Merenda, A.; Dumée, L.F. Recrystallization and coalescence kinetics of TiO2 and ZnO nano-catalysts towards enhanced photocatalytic activity and colloidal stability within slurry reactors. Mater. Chem. Phys. 2020, 252, 123235. [Google Scholar] [CrossRef]
- Hu, X.; Li, G.; Yu, J. Design, Fabrication, and Modification of Nanostructured Semiconductor Materials for Environmental and Energy Applications. Langmuir 2010, 26, 3031–3039. [Google Scholar] [CrossRef]
- Faúndez, C.A.; Valderrama, J.O. Activity Coefficient Models to Describe Vapor-Liquid Equilibrium in Ternary Hydro-Alcoholic Solutions. Chin. J. Chem. Eng. 2009, 17, 259–267. [Google Scholar] [CrossRef]
- Sanusi, Y.S.; Mokheimer, E.M. A numerical investigation of hydrogen production in an integrated membrane reformer-combustor. Energy Procedia 2017, 142, 1077–1082. [Google Scholar] [CrossRef]
- Benammar, I.; Salhi, R.; Deschanvres, J.-L.; Maalej, R. The Effect of Solvents and Rare-Earth Element (Er, Yb) Doping on Suspension Stability of Sol-Gel Titania Nanoparticles. IEEE Trans. NanoBioscience 2017, 16, 718–726. [Google Scholar] [CrossRef]
- Hu, J.Q.; Li, Q.; Wong, N.B.; Lee, C.S.; Lee, S.T. Synthesis of Uniform Hexagonal Prismatic ZnO Whiskers. Chem. Mater. 2002, 14, 1216–1219. [Google Scholar] [CrossRef]
- Yao, H.; Shen, H.; Tang, Q.; Feng, C.; Li, Y. Effect of Li co-doping with Er on up-conversion luminescence property and its temperature dependence of NaY(WO4)2. J. Phys. Chem. Solids 2019, 126, 11934. [Google Scholar] [CrossRef]
- Chen, W.; Bovin, J.-O.; Joly, A.G.; Wang, S.; Su, F.; Li, G. Full-Color Emission from In2S3 and In2S3:Eu3+ Nanoparticles. J. Phys. Chem. B 2004, 108, 11927–11934. [Google Scholar] [CrossRef]
- Sangeetha, R.; Muthukumaran, S.; Ashokkumar, M. Structural, optical, dielectric and antibacterial studies of Mn doped Zn0.96Cu0.04O nanoparticles. Spectrochim. Acta Part A Mol. Biomol. Spectrosc. 2015, 144, 1–7. [Google Scholar] [CrossRef] [PubMed]
- Azam, A.; Ahmed, F.; Arshi, N.; Chaman, M.; Naqvi, A. Formation and characterization of ZnO nanopowder synthesized by sol-gel method. J. Alloys Compd. 2010, 496, 399–402. [Google Scholar] [CrossRef]
- Zamiri, R.; Lemos, A.; Reblo, A.; Ahangar, H.A.; Ferreira, J. Effects of rare-earth (Er, La and Yb) doping on morphology and structure properties of ZnO nanostructures prepared by wet chemical method. Ceram. Int. 2013, 40, 523–529. [Google Scholar] [CrossRef]
- Benhebal, H.; Chaib, M.; Leonard, A.; Lambert, S.D.; Crine, M. Photodegradation of phenol and benzoic acid by sol-gel-synthesized alkali metal-doped ZnO. Mater. Sci. Semicond. Process. 2013, 52, 517–523. [Google Scholar] [CrossRef]
- Lim, C.S.; Aleksandrovsky, A.S.; Molokeev, M.S.; Oreshonkov, A.S.; Ikonnikov, D.A.; Atuchin, V.V. Triple molybdate scheelite-type upconversion phosphor NaCaLa(MoO4)3:Er3+/Yb3+: Structural and spectroscopic properties. Dalton Trans. 2016, 45, 15541–15551. [Google Scholar] [CrossRef]
- Kaiser, M.; Würth, C.; Kraft, M.; Hyppänen, I.; Soukka, T.; Resch-Genger, U. Power-dependent upconversion quantum yield of NaYF4:Yb3+,Er3+ nano- and micrometer-sized particles—Measurements and simulations. Nanoscale 2017, 9, 10051–10058. [Google Scholar] [CrossRef]
- Munawar, T.; Nadeem, M.S.; Mukhtar, F.; Hasan, M.; Mahmood, K.; Arshad, M.; Hussain, A.; Ali, A.; Saif, M.S.; Iqbal, F. Rare earth metal co-doped Zn0·9La0.05M0.05O (M = Yb, Sm, Nd) nanocrystals; energy gap tailoring, structural, photocatalytic and antibacterial studies. Mater. Sci. Semicond. Process. 2021, 122, 105485. [Google Scholar] [CrossRef]
- Soumahoro, I.; Schmerber, G.; Douayar, A.; Colis, S.; Abd-Lefdil, M.; Hassanain, N.; Berrada, A.; Muller, D.; Slaoui, A.; Rinnert, H.; et al. Structural, optical, and electrical properties of Yb-doped ZnO thin films prepared by spray pyrolysis method. J. Appl. Phys. 2011, 109, 033708. [Google Scholar] [CrossRef]
- Asikuzun, E.; Ozturk, O.; Arda, L.; Terzioglu, C. Microstructural and electrical characterizations of transparent Er-doped ZnO nano thin films prepared by sol-gel process. J. Mater. Sci. Mater. Electron. 2017, 28, 14314–14322. [Google Scholar] [CrossRef]












| QY Percentage at 15.7 W/cm2 | Green (525 nm) (%) | Green (550 nm) (%) | Red (655 nm) (%) | Total QY Percentage |
|---|---|---|---|---|
| (5 Er: ZnO) | 1.67 ± 0.2 | 2.07 ± 0.1 | 0.85 ± 0.1 | 4.59 ± 0.2 |
| (5 Er, 5 Yb: ZnO) | 1.87 ± 0.1 | 3.37 ± 0.1 | 1.07 ± 0.2 | 6.31 ± 0.2 |
| (5 Er, 10 Yb: ZnO) | 1.25 ± 0.2 | 1.85 ± 0.2 | 0.65 ± 0.2 | 3.77 ± 0.2 |
| Nanopowders | Optical Band Gap (eV) |
|---|---|
| Undoped ZnO | 3.4 |
| (5 Er: ZnO) | 3.34 |
| (5 Er, 5 Yb: ZnO) | 3.24 |
| (5 Er, 10 Yb: ZnO) | 3.3 |
Publisher’s Note: MDPI stays neutral with regard to jurisdictional claims in published maps and institutional affiliations. |
© 2022 by the authors. Licensee MDPI, Basel, Switzerland. This article is an open access article distributed under the terms and conditions of the Creative Commons Attribution (CC BY) license (https://creativecommons.org/licenses/by/4.0/).
Share and Cite
Derouiche, M.; Salhi, R.; Baklouti, S. Efficient Up-Conversion ZnO Co-Doped (Er, Yb) Nanopowders Synthesized via the Sol-Gel Process for Photovoltaic Applications. Materials 2022, 15, 7828. https://doi.org/10.3390/ma15217828
Derouiche M, Salhi R, Baklouti S. Efficient Up-Conversion ZnO Co-Doped (Er, Yb) Nanopowders Synthesized via the Sol-Gel Process for Photovoltaic Applications. Materials. 2022; 15(21):7828. https://doi.org/10.3390/ma15217828
Chicago/Turabian StyleDerouiche, Marwa, Rached Salhi, and Samir Baklouti. 2022. "Efficient Up-Conversion ZnO Co-Doped (Er, Yb) Nanopowders Synthesized via the Sol-Gel Process for Photovoltaic Applications" Materials 15, no. 21: 7828. https://doi.org/10.3390/ma15217828
APA StyleDerouiche, M., Salhi, R., & Baklouti, S. (2022). Efficient Up-Conversion ZnO Co-Doped (Er, Yb) Nanopowders Synthesized via the Sol-Gel Process for Photovoltaic Applications. Materials, 15(21), 7828. https://doi.org/10.3390/ma15217828

