Study of the Stability of the Surface Perilous Rock in a Mining Area
Abstract
:1. Introduction
2. Coal Mine Risk Situation
3. Stability Evaluation of Perilous Rock
3.1. Macroscopic Analysis of the Stability of Perilous Rock
3.2. Computational Model and Formula
- F: Stability coefficient;
- Hw: Water filling height of trailing edge fracture (m);
- h: Fracture depth of trailing edge (m);
- H: Vertical distance from top of trailing edge fracture to bottom of unpenetrated section (m);
- Flk: Standard tensile strength of the perilous rock mass (MPa);
- a: Horizontal distance from body weight center of perilous rock to overturning point;
- b: Horizontal distance from bottom of unpenetrated section of trailing edge fracture to overturning point;
- h0: Vertical distance from perilous rock mass center to overturning point;
- α: Inclination angle of contact surface between perilous rock mass and base (°);
- β: Inclination angle of trailing edge fracture (°);
- P: seismic force (KN/m);
- V: cleft water pressure (KN/m).
- F: Stability coefficient;
- Flk: Standard tensile strength of perilous rock mass (MPa);
- Hw: Water filling height of trailing edge fracture (m);
- a: Horizontal distance from body weight center of perilous rock to overturning point;
- b: Horizontal distance from bottom of unpenetrated section of trailing edge fracture to overturning point;
- h0: Vertical distance from perilous rock mass center to overturning point;
- α: Inclination angle of contact surface between perilous rock mass and base (°);
- β: Inclination angle of trailing edge fracture (°);
- P: seismic force (KN/m);
- V: cleft water pressure (KN/m).
- F: Stability coefficient;
- α: Inclination angle of contact surface between perilous rock mass and base (°);
- β: Inclination angle of trailing edge fracture (°);
- φ: Standard value of internal friction angle of trailing edge cracks (°);
- h: Fracture depth of trailing edge (m);
- P: Seismic force (KN/m);
- W: Gravity of perilous rock mass (KN/m). According to γ × S;
- V: cleft water pressure (KN/m);
- C: Standard value of cohesion of trailing edge fracture (MPa).
3.3. Stability Calculation and Evaluation
- Condition 1: dead weight + cleft water pressure (water filling height is calculated according to 1/3 fracture height).
- Condition 2: dead weight + cleft water pressure (in the case of a one-in-20-year rainstorm, water filling height is calculated according to 1/2 crack height).
4. Numerical Simulation Analysis of Perilous Rock Stability under Mining Influence
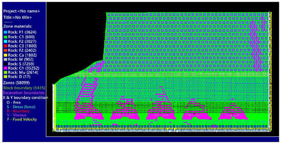
4.1. Model Establishment
- σ1: maximum principal stress (MPa);
- σ3: minimum principal stress (MPa);
- c: cohesive force (MPa);
- θ: angle of internal friction (°).
4.2. Analysis of Numerical Simulation Results
5. Stability Control of Surface Perilous Rock
6. Conclusions
Author Contributions
Funding
Data Availability Statement
Conflicts of Interest
References
- Mu, C.; Yu, X.Y.; Zhao, B.C. The Formation Mechanism of Surface Landslide Disasters in the Mining Area under Different Slope Angles. Adv. Civ. Eng. 2021, 2021, 106–119. [Google Scholar] [CrossRef]
- Li, H. Artificial Intelligence and Internet of Things (IoT) in Civil Engineering. Adv. Civ. Eng. 2021, 2021, 111–123. [Google Scholar]
- Hungr, O.; Leroueil, S.; Picarelli, L. The Varnes classification of landslide types, an update. Landslides 2014, 11, 167–194. [Google Scholar] [CrossRef]
- Liu, C.; Zhang, S.; Ding, L.; Liao, J. Identification of perilous rock mass of high slope and study of anchoring method based on laser scanning. Chin. J. Rock Mech. Eng. 2012, 31, 2139–2146. [Google Scholar]
- Crosta, G.B.; Agliardi, F. Parametric calculation of 3D dispersion of rockfall trajectories. Nat. Hazards Earth Syst. Sci. 2004, 4, 583–598. [Google Scholar] [CrossRef] [Green Version]
- Geng, J.B.; Li, Q.H.; Li, X.S.; Zhou, T.; Liu, Z.; Xie, Y. Research on the evolution characteristics of rock mass response from open-pit to underground mining. Adv. Mater. Sci. Eng. 2021, 2021, 3200906. [Google Scholar] [CrossRef]
- Kong, D.Z.; Cheng, Z.; Zheng, S. Study on failure mechanism and stability control measures in large-cutting-height coal mining face with deep-buried seam. Bull. Eng. Geol. Environ. 2021, 78, 6143–6157. [Google Scholar] [CrossRef]
- Bui, D.T.; Tuan, T.A.; Klempe, H.; Pradhan, B.; Revhaug, I. Spatial prediction models for shallow landslide hazards: Acomparative assessment of the efficacy of support vector machines, artificial neural networks, kernel logistic regression, and logistic model tree. Landslides 2016, 13, 361–378. [Google Scholar]
- Cao, Z.Z.; Ren, Y.L.; Wang, Q.T. Evolution Mechanism of Water-Conducting Channel of Collapse Column in Karst Mining Area of Southwest China. Geofluids 2021, 2021, 6630462. [Google Scholar] [CrossRef]
- Chen, H.K.; Tang, H.M.; Wang, R. Calculation method of stability for perilous rock and application to the three gorges reservoir. Chin. J. Rock Mech. Eng. 2004, 23, 614–619. [Google Scholar] [CrossRef]
- Hou, P.; Liang, X.; Gao, F.; Dong, J.B.; He, J.; Xue, Y. Quantitative visualization and characteristics of gas flow in 3D pore-fracture system of tight rock based on Lattice Boltzmann simulation. J. Nat. Gas Sci. Eng. 2021, 89, 103867. [Google Scholar] [CrossRef]
- Liang, X.; Hou, P.; Xue, Y.; Yang, X.J.; Gao, F.; Liu, J. A fractal perspective on fracture initiation and propagation of reservoir rocks under water and nitrogen fracturing, Fractals-Complex Geom. Patterns Scaling Nat. Soc. 2021, 29, 7. [Google Scholar]
- Qian, M.G.; Miao, X.X.; Xu, J.L. Theoretical study of key stratumin ground control. J. China Coal Soc. 1996, 21, 225–230. [Google Scholar]
- Xu, J.L.; Qian, M.G.; Zhu, W.B. Study on inflfluences of primary key stratum on surface dynamic subsidence, Chin. Rock Mech. Rock. Engl. 2005, 24, 787–791. [Google Scholar]
- Baryak, A.A.; Telegin, E.A.; Samodelkina, N.A. Prediction of the Intensive Surface Subsidence in Mining Potash Series. J. Min. Sci. 2005, 41, 312–319. [Google Scholar] [CrossRef]
- Singh, K.B. Pot-hole Subsidence in Son-Mahanadi master Coal Basin. Eng. Geol. 2007, 89, 88–97. [Google Scholar] [CrossRef]
- Li, J.W.; Li, X.T.; Liu, C.Y. Dynamic Changes in Surface Damage Induced by High-Intensity Mining of Shallow, Thick Coal Seams in Gully Areas. Adv. Civ. Eng. 2020, 2020, 246–262. [Google Scholar] [CrossRef] [Green Version]
- Li, G.; Yang, Q.H. Prediction of Mining Subsidence in Shallow Coal Seam. Math. Probl. Eng. 2020, 2020, 339–404. [Google Scholar]
- Deng, X.; Li, L.; Tan, Y. Numerical simulation of surface subsidence induced by underground mining in mines. Saf. Coal Mines 2018, 49, 188–192. [Google Scholar]
- Cheng, J.W.; Zhao, G.; Li, S.Y. Predicting Underground Strata Movements Model with Considering Key Strata Effects. Geotech. Geol. Eng. 2018, 36, 621–640. [Google Scholar] [CrossRef]
- Sun, W.; Zhang, Q.; Luan, Y.Z. A study of surface subsidence and coal pillar safety for strip mining in a deep mine. Environ. Earth Sci. 2018, 77. [Google Scholar] [CrossRef]
- Chen, H.K.; Tang, H.M.; Xian, X.F. Developing Mechanism for Collapse Disaster in Rocky Mountain Area—Taking Mt. Hongyan in the National Scenic Spots of Simianshan as an Example. Adv. Eng. Sci. 2010, 42, 1–6. [Google Scholar]
- Tang, H.M.; Wang, Z.; Chen, H.K.; Xian, X.F. Contribution ratio of excitation action triggered by collopse of perilous rock to stability of perilous rock. J. Vib. Shock 2012, 31, 32–37. [Google Scholar]
- Tang, H.M.; Wang, Z.; Xian, X.F.; Chen, H.K. Violent-slide rock avalanche and excitation effect of perilous rock. J. Chongqin Univ. 2011, 34, 32–37. [Google Scholar]
- Zheng, J.; Lu, Q.; Deng, J.; Yang, X.; Fan, X.; Ding, Z. A modified stereographic projection approach and a free software tool for kinematic analysis of rock slope toppling failures. Bull. Eng. Geol. Environ. 2019, 78, 4757–4769. [Google Scholar] [CrossRef]
- Kıncal, C. Application of two new stereographic projection techniques to slope stability problems. Int. J. Rock Mech. Min. Sci. 2014, 66, 136–150. [Google Scholar] [CrossRef]
- Li, X.S.; Liu, Z.F.; Yang, S. Similar physical modeling of roof stress and subsidence in room and pillar mining of a gently inclined medium-thick phosphate rock. Adv. Civ. Eng. 2021, 2021, 6686981. [Google Scholar] [CrossRef]
- Ren, W.Z.; Guo, C.M.; Peng, Z.Q.; Wang, Y.G. Model experimental research on deformation and subsidence characteristics of ground and wall rock due to mining under thick overlying terrane. Int. J. Rock Mech. Min. Sci. 2010, 47, 614–624. [Google Scholar] [CrossRef]
- Wu, H.; Ma, D.; Spearing, A.J.S.; Zhao, G.Y. Fracture phenomena and mechanisms of brittle rock with different numbers of openings under uniaxial loading. Geomech. Eng. 2021, 25, 481–493. [Google Scholar]
- Ma, D.; Kong, S.B.; Li, Z.H.; Zhang, Q.; Wang, Z.H.; Zhou, Z.L. Effect of wetting-drying cycle on hydraulic and mechanical properties of cemented paste backfill of the recycled solid wastes. Chemosphere 2021, 282, 131163. [Google Scholar] [CrossRef]
- Liu, C.Z. Formation and Collapse Cause Analysis of Jiweishan perilous rock Mass in Wu long, Chongqing. J. Eng. Geol. 2010, 18, 297–304. [Google Scholar]
- Xie, Q.D.; Ding, X.P. Dynamic Analysis of Rock Mass Stability on Cavity in East Opencast Coal Mine. Coal Proj. 2018, 50, 10–13. [Google Scholar]
- Aref, M.; Nei, L.; Abdo, S. Causes of rock falls in Ai-lluway-shaharea, Yemen. Glob. Geol. 2009, 12, 5–12. [Google Scholar]
- Kawamoto, T.; Ichikawa, Y.; Kyoya, T. Deformation and fracture behaviour of discontinuous rock mass and damage mechanics theory. Int. J. Numer. Anal. Methods Geomech. 1988, 12, 1–30. [Google Scholar] [CrossRef]
- Ju, Y.; Wang, Y.; Su, C.; Zhang, D.; Ren, Z. Numerical analysis of the dynamic evolution of mining-induced stresses and fractures in multilayered rock strata using continuum-based discrete element methods. Int. J. Rock Mech. Min. Sci. 2019, 113, 191–210. [Google Scholar] [CrossRef] [Green Version]
- Gao, L.; Kang, X.T.; Huang, G.; Wang, Z.Y.; Tang, M.; Shen, X.Y. Experimental Study on Crack Extension Rules of Hydraulic Fracturing Based on Simulated Coal Seam Roof and Floor. Geofluids 2022, 2022. [Google Scholar] [CrossRef]
- Kong, D.; Xiong, Y.; Cheng, Z.; Wang, N.; Wu, G.; Liu, Y. Stability analysis of coal face based on coal face-support-roof system in steeply inclined coal seam. Geomech. Eng. 2021, 25, 233–243. [Google Scholar]
- Donnelly, L.J.; Cruz, H.D.L.; Asmar, I.; Zapata, O.; Perez, J.D. The monitoring and prediction of mining subsidence in the Amaga, Angelopolis, Venecia and Bolombolo regions, Antioquia, Colombia. Eng. Geol. 2001, 59, 103–114. [Google Scholar] [CrossRef]








| Numbered | Length (m) | Thickness (m) | Height (m) | Scale and Morphological Characteristics |
|---|---|---|---|---|
| W1 | 240 | 2.5–35 | 32–38 | W1 is located at the end of the northwest side of the entire perilous rock belt, the cracks in the posterior wall have penetrated the whole perilous rock mass, and some stones are suspended on the perilous rock mass. |
| W2 | 14–17 | 1.3–16 | 32.5 | W2 is adjacent to the W1 perilous rock mass, about 15 m apart; the lower part of the perilous rock mass has undergone a block phenomenon, and the debris is a broken block. |
| W3 | 19–21 | 3–3.5 | 50 | W3 is adjacent to the W2 perilous rock mass, and the perilous rock is massive. The steeply inclined fractures on both sides of the perilous rock mass develop and penetrate the whole perilous rock mass. |
| W4 | 1.5 | 2 | 3 | W4 is developed in the wedge formed by the mutual cutting of the two fractures. The lower part of the wedge has broken away from the parent rock, and the remaining part is suspended in the two fractures. |
| W5 | 8–10 | 1.5–3 | 20–25 | W5 is about 10 m from the W3 perilous rock mass. The perilous rock mass is mainly fragmented, and the lower part has collapsed, resulting in the hanging of the upper perilous rock mass. |
| W6 | 10 | 3 | 6.5 | W6 is located at the top of the perilous rock belt. The perilous rock mass is broken into pieces, and there is a drop at the bottom of the perilous rock mass. |
| W7 | 12 | 0.5–1 | 10 | W7 is located at the end of the southeast side of the perilous rock belt, the lower part is controlled by joint fissures to form a wedge, and the rock mass at the bottom has collapsed from the parent rock. |
| Numbered | Strike (°) | Tendency (°) | Dip Angle (°) | Word Hole (mm) | Density (g/cm3) | Filling Condition | Weathering of Crack Surface |
|---|---|---|---|---|---|---|---|
| P | 340 | 330 | 27 | ||||
| L1 | 330 | 72 | 15 | 300–500 | 2.85 | No fillings | Strong to medium weathering |
| L2 | 100 | 251 | 80 | 200–500 | 2.82 | No fillings | Strong to medium weathering |
| L3 | 80 | 188 | 69 | 100–300 | 2.74 | Filled with clay and mudstone | Strong to medium weathering |
| MODE of Failure | Stable State of Perilous Rock | |||
|---|---|---|---|---|
| Destabilization | Not Stable | Basically Stable | Stable | |
| dumping type | F < 1.0 | 1.00 ≤ F < 1.5 | 1.5 ≤ F < 1.8 | F ≥ 1.8 |
| falling type | F < 1.0 | 1.00 ≤ F < 1.3 | 1.3 ≤ F < 1.5 | F ≥ 1.5 |
| Stability Parameter | W1 | W2 | W3 | W4 | W5 | W6 | W7 | |||||||
|---|---|---|---|---|---|---|---|---|---|---|---|---|---|---|
| ① | ② | ① | ② | ① | ② | ① | ② | ① | ② | ① | ② | ① | ② | |
| H | 16.3 | 16.3 | 32.5 | 32.5 | 50 | 50 | 1.5 | 1.5 | 22.5 | 22.5 | 6.5 | 6.5 | 10 | 10 |
| h | 10.3 | 10.3 | 11.9 | 11.9 | 6.7 | 6.7 | 0.38 | 0.75 | 1.5 | 1.5 | 3.8 | 3.8 | 1.2 | 1.2 |
| Ao | 0.78 | 0.78 | 1.13 | 1.13 | 2.57 | 2.57 | 0.53 | 0.53 | 2.14 | 2.14 | 0.5 | 0.5 | 2.27 | 2.27 |
| Bo | 9.2 | 9.2 | 18.02 | 18.02 | 28.68 | 28.68 | 1.5 | 1.5 | 13.67 | 13.67 | 4.5 | 4.5 | 11.8 | 11.8 |
| Flk | 600 | 600 | 600 | 600 | 600 | 600 | 600 | 600 | 600 | 600 | 600 | 600 | 600 | 600 |
| c | 120 | 80 | 120 | 80 | 120 | 80 | 120 | 80 | 120 | 80 | 120 | 80 | ||
| Φ | 32.1 | 30 | 32.1 | 30 | 32.1 | 30 | 32.1 | 30 | 32.1 | 30 | 32.1 | 30 | ||
| ζ | 0.15 | 0.15 | 0.15 | 0.15 | 0.15 | 0.15 | 0.15 | 0.15 | 0.15 | 0.15 | 0.15 | 0.15 | ||
| p | 0 | 0 | 0 | 0 | 0 | 0 | 0 | 0 | 0 | 0 | 0 | 0 | 0 | 0 |
| S | 19.2 | 19.2 | 72.5 | 72.5 | 155.8 | 155.8 | 75.98 | 75.98 | 7.98 | 7.98 | 30.26 | 30.26 | ||
| V | 1.7 | 1.7 | ||||||||||||
| W | 161 | 161 | ||||||||||||
| sinβ | 1 | 1 | ||||||||||||
| cosα | 1 | 1 | ||||||||||||
| cos(β − α) | 0.2 | 0.2 | ||||||||||||
| F | 1.39 | 1.16 | 1.27 | 32.5 | 1.31 | 1.03 | 1.38 | 1.16 | 1.23 | 1.03 | 1.51 | 1.26 | 1.35 | 1.07 |
| Numbered | Mode of Failure | Calculated Work Condition | Saturated Uniaxial Compressive Strength (MPa) | Stability Factor | Steady-State |
|---|---|---|---|---|---|
| W1 | falling type | 1 | 38.50 | 1.39 | basically stable |
| 2 | 1.16 | not stable | |||
| W2 | falling type | 1 | 51.20 | 1.27 | not stable |
| 2 | 1.16 | not stable | |||
| W3 | falling type | 1 | 44.70 | 1.31 | basically stable |
| 2 | 1.03 | not stable | |||
| W4 | dumping type | 1 | 39.20 | 1.38 | basically stable |
| 2 | 1.16 | not stable | |||
| W5 | falling type | 1 | 50.10 | 1.23 | not stable |
| 2 | 1.03 | not stable | |||
| W6 | falling type | 1 | 47.30 | 1.51 | stable |
| 2 | 1.26 | not stable | |||
| W7 | falling type | 1 | 39.40 | 1.35 | basically stable |
| 2 | 1.07 | not stable |
| Number | Rock Type | Thickness /(m) | Density /(g/cm3) | Bulk Modulus/(GPa) | Shear Modulus/(GPa) | Friction Angle /(°) | Cohesion/(MPa) | Tensile Strength/(MPa) |
|---|---|---|---|---|---|---|---|---|
| 1 | limestone | 110 | 2.80 | 5.57 | 4.53 | 38 | 11.4 | 6.7 |
| 2 | mudstone | 10 | 2.70 | 2.86 | 1.4 | 39 | 2.8 | 2.48 |
| 3 | Changxing limestone | 50 | 2.43 | 11.1 | 8.3 | 35 | 2.4 | 4.4 |
| 4 | sandy mudstone | 24 | 2.25 | 10.2 | 6.1 | 30 | 1.8 | 3.2 |
| 5 | mudstone | 4 | 2.55 | 5.8 | 3.2 | 30 | 1.2 | 3.25 |
| 6 | sandy mudstone | 4.5 | 2.25 | 10.2 | 6.1 | 30 | 1.8 | 3.2 |
| 7 | carbon mudstone | 1.5 | 2.45 | 4.3 | 2.8 | 30 | 0.7 | 1.8 |
| 8 | C3 coal | 2 | 1.47 | 1.19 | 0.82 | 25 | 1.3 | 1.79 |
| 9 | Clay rock | 10 | 2.25 | 4.39 | 2.27 | 27 | 4.9 | 3.8 |
| 10 | C1 coal | 1 | 1.47 | 1.19 | 0.82 | 25 | 1.3 | 1.79 |
| 11 | mudstone | 13 | 2.55 | 5.8 | 3.2 | 30 | 1.2 | 3.25 |
Publisher’s Note: MDPI stays neutral with regard to jurisdictional claims in published maps and institutional affiliations. |
© 2022 by the authors. Licensee MDPI, Basel, Switzerland. This article is an open access article distributed under the terms and conditions of the Creative Commons Attribution (CC BY) license (https://creativecommons.org/licenses/by/4.0/).
Share and Cite
Gao, L.; Kang, X.; Gao, L.; Ma, Z. Study of the Stability of the Surface Perilous Rock in a Mining Area. Energies 2022, 15, 1542. https://doi.org/10.3390/en15041542
Gao L, Kang X, Gao L, Ma Z. Study of the Stability of the Surface Perilous Rock in a Mining Area. Energies. 2022; 15(4):1542. https://doi.org/10.3390/en15041542
Chicago/Turabian StyleGao, Lu, Xiangtao Kang, Lin Gao, and Zhenqian Ma. 2022. "Study of the Stability of the Surface Perilous Rock in a Mining Area" Energies 15, no. 4: 1542. https://doi.org/10.3390/en15041542
APA StyleGao, L., Kang, X., Gao, L., & Ma, Z. (2022). Study of the Stability of the Surface Perilous Rock in a Mining Area. Energies, 15(4), 1542. https://doi.org/10.3390/en15041542

