DDAM-Net: A Difference-Directed Multi-Scale Attention Mechanism Network for Cultivated Land Change Detection
Abstract
1. Introduction
- (1)
- To address the problem of insufficient multilevel feature interaction and coupling of key information in the process of CD, we propose a Siamese convolutional network as the backbone to reduce the feature expression of non-changing regions by extracting the difference information in the dual-temporal images through the Difference Enhancement Fusion Module (DEFM). We also introduce the Cross-scalar Aggregation Module (CAM) to aggregate the shallow and deep features of different resolutions through tandem and gradual upsampling. The Attention Refinement Module (ARM) allows the network to pay more attention to the changing regions in the dual-temporal image, which improves the accuracy of non-agricultural CD.
- (2)
- This study proposes an ahierarchical semantic structure for non-agricultural changes in cultivated land, based on historical images of Kaifeng City. A dataset (HN-CLCD) of VHR cropland change was generated to provide trustworthy samples for cropland to buildings, lakes, roads, and greenhouses.
2. The Proposed Method
2.1. Difference Enhancement Fusion Module (DEFM)
2.2. Cross-Scale Aggregation Module (CAM)
2.3. Attention Refinement Module (ARM)
2.4. Loss Function
3. Experiment
3.1. Dataset
3.1.1. Self-Built Image Dataset HN-CLCD
3.1.2. PX-CLCD Dataset
3.1.3. SET-CLCD Dataset
3.2. Evaluation Metrics
3.3. Experiment Setting
4. Experiment and Results
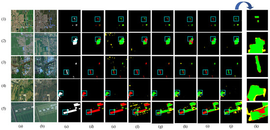
4.1. Comparison of Most Recent Networks
4.2. Experiments on Self-Built Dataset
4.3. Generalization Experiments on PX-CLCD Dataset
4.4. Generalization Experiments on SET-CLCD Dataset
4.5. Model Efficiency Analysis
5. Ablation Experiment
- (1)
- Ablation experiments for Model-a: This method is the base module used for comparison, and it is made up of the Resnet backbone network and the DEFM module.
- (2)
- Ablation Experiment for Model-b: Compared to the Model-a design, this design aims to evaluate whether the ARM can direct the network to pay more attention to the regions that have changed, hence preferentially assigning weights to the changed areas. The experimental results suggest that adding the ARM increases the network’s F1 and IoU accuracies on the HN-CLCD dataset by 4.35% and 5.49%, respectively.
- (3)
- Ablation Experiment for Model-c: To evaluate the significance of different stages of feature maps in the CD, we created an ablation experiment for the CAM. The experimental results show that the introduction of CAM improves the model’s multi-stage interactions for features of different sizes when compared to the Model-a design, resulting in an increase in the F1 and IoU precision of the network by 2.89% and 3.61%, respectively. The model has the highest recall of 76.32%, implying that adding the CAM module helps reduce missed detections in CD.
- (4)
- Ablation Experiment for Model-d: To verify whether DEFM enables the model to effectively divide the changing and unchanging regions, we designed an ablation experiment for Model-d. Compared with the Model-e design, the added DEFM module improves fusion capabilities for different features, and the F1 and IoU accuracies of the network are improved by 5.81% and 7.6%, respectively.
6. Conclusions
- In this study, the monitoring of non-agriculturalization of farmland is mostly based on deep learning algorithms that extract features from optical images. However, these algorithms are not always effective at differentiating between identical feature types [49]. In contrast, hyperspectral or multispectral imaging techniques can considerably reduce the effect of illumination variations on target features, enhancing recognition ability. Sun et al. [50] introduced the MOBS-TD approach, which attempts to pick bands with improved target separation and robustness, as well as a maximum to submaximum ratio evaluation mechanism that efficiently reduces target false alarms. Furthermore, Fu et al. [51] proposed a structure-preserving and weakly redundant band selection method (SPWR) for hyperspectral imagery, capturing spectral features of heterogeneous regions through hyperspectral imagery segmentation and constructing region-specific multimetric hypergraphs to accurately express the neighboring relationships between bands. Future research will examine enhanced band-selection approaches to improve the accuracy and reliability of farmland non-agriculturalization monitoring.
- The model’s generalization capacity is critical in various spatial resolutions and environmental settings. Data with varying terrains might result in considerable changes in feature extraction and representation capabilities. Hence, the model must be adaptable to multiple terrains. Given Kaifeng City’s unusual geographic location, models trained on datasets from this region may perform poorly when applied to other terrains like hills or mountains. As a result, future research should include samples from many geographic regions to improve our understanding of complicated non-agriculturalization behaviors.
- Traditional dataset-construction methods in agricultural change studies typically require many labeled samples, which is especially difficult in resource-constrained environments. When samples from non-farming areas are underrepresented, the model’s performance suffers dramatically, lowering the accuracy of cropland CD. As a result, it is especially crucial to examine the production of pseudo-labels for unlabeled data or to optimize the model via self-learning.
- Existing CD approaches are primarily concerned with the presence of change, with insufficient attention paid to the type of change and its consequences. The identification of non-agricultural areas not only supports the identification of change areas, but also aids in the definition of the conversion of agricultural land to non-agricultural usage. Semantic information recognition networks can provide a better understanding of the dynamics of non-agricultural areas, resulting in more accurate detection. For example, in urban planning, the model can detect the conversion of agricultural property to commercial or residential land, providing statistical support for planning decisions. In disaster management, early awareness of land use change might aid in developing successful emergency response strategies. As a result, investigating the model’s application potential in these areas will make research more relevant to real applications.
Author Contributions
Funding
Institutional Review Board Statement
Informed Consent Statement
Data Availability Statement
Conflicts of Interest
References
- Su, H.; Liu, F.; Zhang, H.; Ma, X.; Sun, A. Progress and Prospects of Non-Grain Production of Cultivated Land in China. Sustainability 2024, 16, 3517. [Google Scholar] [CrossRef]
- Tian, M.; Luo, R. Research on monitoring methods of cultivated land for non-agricultural and non-grain conversion. Agric. Technol. 2024, 44, 103–106. [Google Scholar] [CrossRef]
- Li, Z.; Mu, X.; Ren, S. Characteristics of spatial and temporal distribution of ecosystem services in Henan Province. J. North China Univ. Water Resour. Electr. Power 2024, 1–13. [Google Scholar]
- Li, S.; Li, X. Global Understanding of Farmland Abandonment: A Review and Prospects. J. Geogr. Sci. 2017, 27, 1123–1150. [Google Scholar] [CrossRef]
- Li, X.; Wang, H.; Niu, W. Spatial-temporal evolution of cultivated land use transition and its impact on grain production in the Yellow River Basin. J. China Agric. Univ. 2024, 29, 85–96. [Google Scholar]
- Ran, D.; Zhang, Z.; Jing, Y. A Study on the Spatial–Temporal Evolution and Driving Factors of Non-Grain Production in China’s Major Grain-Producing Provinces. Int. J. Environ. Res. Public Health 2022, 19, 16630. [Google Scholar] [CrossRef]
- Zhang, L.; Wang, H. Non-agricultural monitoring and spatio-temporal analysis study of cultivated land based on deep learning method: A case study of Kaiyang county. Bull. Surv. Mapp. 2024, 3, 13–18. [Google Scholar] [CrossRef]
- Li, G.; Ning, X.; Zhang, H. Remote sensing monitoring for the non-agriculturalization of cultivated land guided by the third national land survey results data. Sci. Surv. Mapp. 2022, 47, 149–159. [Google Scholar] [CrossRef]
- Yong, X.; Xiao, R. Application of AI Remote Sensing Change Detection in Land Law-enforcement. J. Geomat. Spat. Inf. Technol. 2023, 46, 13–15. [Google Scholar]
- Khelifi, L.; Mignotte, M. Deep Learning for Change Detection in Remote Sensing Images: Comprehensive Review and Meta-Analysis. IEEE Access 2020, 8, 126385–126400. [Google Scholar] [CrossRef]
- Zhang, Y.; Shao, Z. Assessing of Urban Vegetation Biomass in Combination with LiDAR and High-Resolution Remote Sensing Images. Int. J. Remote Sens. 2021, 42, 964–985. [Google Scholar] [CrossRef]
- Sui, H.; Feng, W.; Li, W.; Sun, K.; Xu, C. Review of Change Detection Methods for Multi-temporal Remote Sensing Imagery. Geomat. Inf. Sci. Wuhan Univ. 2018, 43, 1885–1898. [Google Scholar] [CrossRef]
- Zhao, Z.; Yan, Q.; Liu, Z. A change detection method combining high-resolution remote sensing images and vector data. Sci. Surv. Mapp. 2015, 40, 120–124. [Google Scholar] [CrossRef]
- Liang, S.; Wang, J.; Wen, X.; Chen, S.B. Methods to Extract Rural Construction Land in the Northeast China Based on GF-2 Remote Sensing Data. Hubei Agric. Sci. 2018, 57, 132–137. [Google Scholar] [CrossRef]
- Xie, G.; Niculescu, S. Mapping and Monitoring of Land Cover/Land Use (LCLU) Changes in the Crozon Peninsula (Brittany, France) from 2007 to 2018 by Machine Learning Algorithms (Support Vector Machine, Random Forest, and Convolutional Neural Network) and by Post-Classification Comparison (PCC). Remote Sens. 2021, 13, 3899. [Google Scholar] [CrossRef]
- Song, Y.; Lu, Y. Decision tree methods: Applications for classification and prediction. Shanghai Arch. Psychiatry 2015, 27, 130–135. [Google Scholar]
- Liu, J.; Liu, Z.; Li, F. Classification of urban buildings based on remote sensing images. J. Nat. Disasters 2021, 30, 61–66. [Google Scholar] [CrossRef]
- Hailu, A.; Mammo, S.; Kidane, M. Dynamics of Land Use, Land Cover Change Trend and Its Drivers in Jimma Geneti District, Western Ethiopia. Land Use Policy 2020, 99, 105011. [Google Scholar] [CrossRef]
- Huang, L.; Tian, Q.; Tang, B.-H.; Le, W.; Wang, M.; Ma, X. Siam-EMNet: A Siamese EfficientNet–MANet Network for Building Change Detection in Very High Resolution Images. Remote Sens. 2023, 15, 3972. [Google Scholar] [CrossRef]
- Zhang, M.; Xu, G.; Chen, K.; Yan, M.; Sun, X. Triplet-Based Semantic Relation Learning for Aerial Remote Sensing Image Change Detection. IEEE Geosci. Remote Sens. Lett. 2019, 16, 266–270. [Google Scholar] [CrossRef]
- Chen, H.; Shi, Z. A Spatial-Temporal Attention-Based Method and a New Dataset for Remote Sensing Image Change Detection. Remote Sens. 2020, 12, 1662. [Google Scholar] [CrossRef]
- Peng, D.; Zhang, Y.; Guan, H. End-to-End Change Detection for High Resolution Satellite Images Using Improved UNet++. Remote Sens. 2019, 11, 1382. [Google Scholar] [CrossRef]
- Li, Q.; Zhong, R.; Du, X.; Du, Y. TransUNetCD: A Hybrid Transformer Network for Change Detection in Optical Remote-Sensing Images. IEEE Trans. Geosci. Remote Sens. 2022, 60, 5622519. [Google Scholar] [CrossRef]
- Fang, S.; Li, K.; Li, Z. Changer: Feature Interaction Is What You Need for Change Detection. IEEE Trans. Geosci. Remote Sens. 2023, 61, 5610111. [Google Scholar] [CrossRef]
- Lei, T.; Wang, J.; Ning, H.; Wang, X.; Xue, D.; Wang, Q.; Nandi, A.K. Difference Enhancement and Spatial–Spectral Nonlocal Network for Change Detection in VHR Remote Sensing Images. IEEE Trans. Geosci. Remote Sens. 2022, 60, 4507013. [Google Scholar] [CrossRef]
- Song, D.; Dong, Y.; Li, X. Context and Difference Enhancement Network for Change Detection. IEEE J. Sel. Top. Appl. Earth Obs. Remote Sens. 2022, 15, 9457–9467. [Google Scholar] [CrossRef]
- Zhang, Z.; Vosselman, G.; Gerke, M.; Tuia, D.; Yang, M.Y. Change Detection between Multimodal Remote Sensing Data Using Siamese CNN. arXiv 2018, arXiv:1807.09562. [Google Scholar]
- Zhao, Y.; Chen, P.; Chen, Z.; Bai, Y.; Zhao, Z.; Yang, X. A Triple-Stream Network With Cross-Stage Feature Fusion for High-Resolution Image Change Detection. IEEE Trans. Geosci. Remote Sens. 2023, 61, 5600417. [Google Scholar] [CrossRef]
- Miao, L.; Li, X.; Zhou, X.; Yao, L.; Deng, Y.; Hang, T.; Zhou, Y.; Yang, H. SNUNet3+: A Full-Scale Connected Siamese Network and a Dataset for Cultivated Land Change Detection in High-Resolution Remote-Sensing Images. IEEE Trans. Geosci. Remote Sens. 2024, 62, 4400818. [Google Scholar] [CrossRef]
- Li, F.; Zhou, F.; Zhang, G.; Xiao, J.; Zeng, P. HSAA-CD: A Hierarchical Semantic Aggregation Mechanism and Attention Module for Non-Agricultural Change Detection in Cultivated Land. Remote Sens. 2024, 16, 1372. [Google Scholar] [CrossRef]
- He, K.; Zhang, X.; Ren, S.; Sun, J. Deep Residual Learning for Image Recognition. In Proceedings of the 2016 IEEE Conference on Computer Vision and Pattern Recognition (CVPR), Las Vegas, NV, USA, 27–30 June 2016; pp. 770–778. [Google Scholar]
- Li, Y.; Weng, L.; Xia, M.; Hu, K.; Lin, H. Multi-Scale Fusion Siamese Network Based on Three-Branch Attention Mechanism for High-Resolution Remote Sensing Image Change Detection. Remote Sens. 2024, 16, 1665. [Google Scholar] [CrossRef]
- Cheng, G.; Si, Y.; Hong, H.; Yao, X.; Guo, L. Cross-Scale Feature Fusion for Object Detection in Optical Remote Sensing Images. IEEE Geosci. Remote Sens. Lett. 2021, 18, 431–435. [Google Scholar] [CrossRef]
- Ma, C.; Yin, H.; Weng, L.; Xia, M.; Lin, H. DAFNet: A Novel Change-Detection Model for High-Resolution Remote-Sensing Imagery Based on Feature Difference and Attention Mechanism. Remote Sens. 2023, 15, 3896. [Google Scholar] [CrossRef]
- Xu, C.; Ye, Z.; Mei, L.; Shen, S.; Sun, S.; Wang, Y.; Yang, W. Cross-Attention Guided Group Aggregation Network for Cropland Change Detection. IEEE Sens. J. 2023, 23, 13680–13691. [Google Scholar] [CrossRef]
- Ulyanov, D.; Vedaldi, A.; Lempitsky, V. Instance Normalization: The Missing Ingredient for Fast Stylization. arXiv 2016, arXiv:1607.08022. [Google Scholar]
- Zhang, J.; Shao, Z.; Ding, Q.; Huang, X.; Wang, Y.; Zhou, X.; Li, D. AERNet: An Attention-Guided Edge Refinement Network and a Dataset for Remote Sensing Building Change Detection. IEEE Trans. Geosci. Remote Sens. 2023, 61, 5617116. [Google Scholar] [CrossRef]
- de Bem, P.P.; de Carvalho Júnior, O.A.; de Carvalho, O.L.F.; Gomes, R.A.T.; Fontes Guimarães, R. Performance Analysis of Deep Convolutional Autoencoders with Different Patch Sizes for Change Detection from Burnt Areas. Remote Sens. 2020, 12, 2576. [Google Scholar] [CrossRef]
- Pan, J.; Bai, Y.; Shu, Q.; Zhang, Z.; Hu, J.; Wang, M. M-Swin: Transformer-Based Multiscale Feature Fusion Change Detection Network Within Cropland for Remote Sensing Images. IEEE Trans. Geosci. Remote Sens. 2024, 62, 4702716. [Google Scholar] [CrossRef]
- Lin, Z.; Cao, Z.; Yang, X. Estimation of Farmland Grain Production Efficiency and Analysis of Influencing Factors—Taking He’nan Area of North China Plain as an Example. Geomat. Spat. Inf. Technol. 2021, 44, 146–150. [Google Scholar]
- Qing, Y.; Hu, W. Analysis on Temporal and Spatial Evolution Characteristics of Farmland Conversion in Henan Province. Sci. Technol. Manag. Land Resour. 2024, 41, 50–61. [Google Scholar] [CrossRef]
- Han, M.; Liu, L.; Xu, T.; Zhang, H. Non-Agricultural Change Detection in Multi-Scale and Multi-Season Remote Sensing Images. In Proceedings of the 2023 16th International Congress on Image and Signal Processing, BioMedical Engineering and Informatics (CISP-BMEI), Taizhou, China, 28–30 October 2023; pp. 1–5. [Google Scholar]
- Lin, H.; Wang, X.; Li, M.; Huang, D.; Wu, R. A Multi-Task Consistency Enhancement Network for Semantic Change Detection in HR Remote Sensing Images and Application of Non-Agriculturalization. Remote Sens. 2023, 15, 5106. [Google Scholar] [CrossRef]
- Hua, Z.; Yu, H.; Jing, P.; Song, C.; Xie, S. A Light-Weight Neural Network Using Multiscale Hybrid Attention for Building Change Detection. Sustainability 2023, 15, 3343. [Google Scholar] [CrossRef]
- Daudt, R.C.; Saux, B.L.; Boulch, A. Fully Convolutional Siamese Networks for Change Detection. In Proceedings of the 2018 25th IEEE International Conference on Image Processing (ICIP), Athens, Greece, 7–10 October 2018. [Google Scholar]
- Fang, S.; Li, K.; Shao, J.; Li, Z. SNUNet-CD: A Densely Connected Siamese Network for Change Detection of VHR Images. IEEE Geosci. Remote Sens. Lett. 2022, 19, 3056416. [Google Scholar] [CrossRef]
- Xing, Y.; Jiang, J.; Xiang, J.; Yan, E.; Song, Y.; Mo, D. LightCDNet: Lightweight Change Detection Network Based on VHR Images. IEEE Geosci. Remote Sens. Lett. 2023, 20, 2504105. [Google Scholar] [CrossRef]
- Han, C.; Wu, C.; Du, B. HCGMNet: A Hierarchical Change Guiding Map Network for Change Detection. In Proceedings of the IGARSS 2023–2023 IEEE International Geoscience and Remote Sensing Symposium, Pasadena, CA, USA, 16–21 July 2023; pp. 5511–5514. [Google Scholar]
- Wu, T.; Tang, S.; Zhang, R.; Cao, J.; Zhang, Y. CGNet: A Light-Weight Context Guided Network for Semantic Segmentation. IEEE Trans. Image Process. 2021, 30, 1169–1179. [Google Scholar] [CrossRef]
- Sun, X.; Lin, P.; Shang, X.; Pang, H.; Fu, X. MOBS-TD: Multiobjective Band Selection With Ideal Solution Optimization Strategy for Hyperspectral Target Detection. IEEE J. Sel. Top. Appl. Earth Obs. Remote Sens. 2024, 17, 10032–10050. [Google Scholar] [CrossRef]
- Fu, B.; Sun, X.; Cui, C.; Zhang, J.; Shang, X. Structure-Preserved and Weakly Redundant Band Selection for Hyperspectral Imagery. IEEE J. Sel. Top. Appl. Earth Obs. Remote Sens. 2024, 17, 12490–12504. [Google Scholar] [CrossRef]













| Dataset | Image Source | Label Category |
|---|---|---|
| PX-CLCD | GF2 | Buildings, Forest, Roads |
| SET-CLCD | GF1, GF2 | Buildings, Unconstructed Areas |
| HN-CLCD | ZY3, JL1, GF1, GF2, BJ-2 | Buildings, Greenhouses, Lakes, Roads |
| Network | PR (%) | RC (%) | F1 (%) | IoU (%) |
|---|---|---|---|---|
| FC-EF | 72.66 | 58.35 | 64.73 | 47.85 |
| SNUNet | 72.92 | 62.39 | 67.25 | 50.65 |
| STANet | 75.59 | 59.22 | 66.41 | 49.72 |
| LightCD | 78.43 | 62.69 | 69.68 | 53.47 |
| HCGMNet | 79.94 | 69.24 | 74.20 | 58.99 |
| CGNet-CD | 79.63 | 72.94 | 76.14 | 61.48 |
| DDAM-Net | 80.70 | 77.90 | 79.27 | 65.66 |
| Network | PR (%) | RC (%) | F1 (%) | IoU (%) |
|---|---|---|---|---|
| FC-EF | 68.15 | 60.37 | 64.03 | 47.09 |
| SNUNet | 76.48 | 78.01 | 77.24 | 62.92 |
| STANet | 69.98 | 63.51 | 66.59 | 50.91 |
| LightCD | 83.0 | 85.4 | 84.2 | 72.6 |
| HCGMNet | 89.27 | 92.87 | 91.03 | 83.54 |
| CGNet-CD | 93.83 | 94.70 | 94.26 | 89.14 |
| DDAM-Net | 95.47 | 94.78 | 95.12 | 90.70 |
| Network | PR (%) | RC (%) | F1 (%) | IoU (%) |
|---|---|---|---|---|
| FC-EF | 63.27 | 54.06 | 58.30 | 41.14 |
| SNUNet | 59.53 | 68.08 | 63.52 | 46.54 |
| STANet | 65.52 | 60.48 | 62.90 | 45.88 |
| LightCD | 71.09 | 66.78 | 68.86 | 52.51 |
| HCGMNet | 75.02 | 67.89 | 71.25 | 55.34 |
| CGNet-CD | 74.52 | 66.90 | 70.50 | 54.45 |
| DDAM-Net | 77.59 | 67.87 | 72.40 | 56.74 |
| Method | Ablation Designs | |||||||
|---|---|---|---|---|---|---|---|---|
| ResNet | DEFM | CAM | ARM | PR (%) | RC (%) | F1 (%) | IoU (%) | |
| Model-a | √ | √ | 75.21 | 69.12 | 72.03 | 56.29 | ||
| Model-b | √ | √ | √ | 77.67 | 75.13 | 76.38 | 61.78 | |
| Model-c | √ | √ | √ | 73.57 | 76.32 | 74.92 | 59.90 | |
| Model-d | √ | √ | √ | 74.43 | 72.52 | 73.46 | 58.06 | |
| Model-e | √ | √ | √ | √ | 80.70 | 77.90 | 79.27 | 65.66 |
Disclaimer/Publisher’s Note: The statements, opinions and data contained in all publications are solely those of the individual author(s) and contributor(s) and not of MDPI and/or the editor(s). MDPI and/or the editor(s) disclaim responsibility for any injury to people or property resulting from any ideas, methods, instructions or products referred to in the content. |
© 2024 by the authors. Licensee MDPI, Basel, Switzerland. This article is an open access article distributed under the terms and conditions of the Creative Commons Attribution (CC BY) license (https://creativecommons.org/licenses/by/4.0/).
Share and Cite
Feng, J.; Yu, H.; Lu, X.; Lv, X.; Zhou, J. DDAM-Net: A Difference-Directed Multi-Scale Attention Mechanism Network for Cultivated Land Change Detection. Sensors 2024, 24, 7040. https://doi.org/10.3390/s24217040
Feng J, Yu H, Lu X, Lv X, Zhou J. DDAM-Net: A Difference-Directed Multi-Scale Attention Mechanism Network for Cultivated Land Change Detection. Sensors. 2024; 24(21):7040. https://doi.org/10.3390/s24217040
Chicago/Turabian StyleFeng, Junbiao, Haikun Yu, Xiaoping Lu, Xiaoran Lv, and Junli Zhou. 2024. "DDAM-Net: A Difference-Directed Multi-Scale Attention Mechanism Network for Cultivated Land Change Detection" Sensors 24, no. 21: 7040. https://doi.org/10.3390/s24217040
APA StyleFeng, J., Yu, H., Lu, X., Lv, X., & Zhou, J. (2024). DDAM-Net: A Difference-Directed Multi-Scale Attention Mechanism Network for Cultivated Land Change Detection. Sensors, 24(21), 7040. https://doi.org/10.3390/s24217040
