Sign in to use this feature.

Years

Between: -

Subjects

remove_circle_outline
remove_circle_outline
remove_circle_outline
remove_circle_outline
remove_circle_outline
remove_circle_outline
remove_circle_outline
remove_circle_outline

Journals

remove_circle_outline
remove_circle_outline
remove_circle_outline
remove_circle_outline
remove_circle_outline
remove_circle_outline
remove_circle_outline

Article Types

Countries / Regions

remove_circle_outline
remove_circle_outline
remove_circle_outline
remove_circle_outline

Search Results (438)

Search Parameters:
Keywords = photoacoustic imaging

Order results
Result details
Results per page
Select all
Export citation of selected articles as:
20 pages, 16586 KB  
Article
A Deep Transfer Learning Framework for Speed-of-Sound Aberration Correction in Full-Ring Photoacoustic Tomography
by Jie Yin, Yingjie Feng, Qi Feng, Junjun He and Chao Tao
Sensors 2026, 26(2), 626; https://doi.org/10.3390/s26020626 (registering DOI) - 16 Jan 2026
Abstract
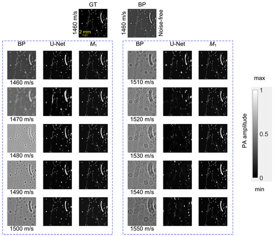
Speed-of-sound (SoS) heterogeneities introduce pronounced artifacts in full-ring photoacoustic tomography (PAT), degrading imaging accuracy and constraining its practical use. We introduce a transfer learning-based deep neural framework that couples an ImageNet-pretrained ResNet-50 encoder with a tailored deconvolutional decoder to perform end-to-end artifact correction [...] Read more.
Speed-of-sound (SoS) heterogeneities introduce pronounced artifacts in full-ring photoacoustic tomography (PAT), degrading imaging accuracy and constraining its practical use. We introduce a transfer learning-based deep neural framework that couples an ImageNet-pretrained ResNet-50 encoder with a tailored deconvolutional decoder to perform end-to-end artifact correction on photoacoustic tomography reconstructions. We propose a two-phase curriculum learning protocol, initial pretraining on simulations with uniform SoS mismatches, followed by fine-tuning on spatially heterogeneous SoS fields, to improve generalization to complex aberrations. Evaluated on numerical models, physical phantom experiments and in vivo experiments, the framework provides substantial gains over conventional back-projection and U-Net baselines in mean squared error, structural similarity index measure, and Pearson correlation coefficient, while achieving an average inference time of 17 ms per frame. These results indicate that the proposed approach can reduce the sensitivity of full-ring PAT to SoS inhomogeneity and improve full-view reconstruction quality. Full article
(This article belongs to the Section Sensing and Imaging)
Show Figures

Figure 1

13 pages, 2012 KB  
Article
Sub-Diffraction Photoacoustic Microscopy Enabled by a Novel Phase-Shifted Excitation Strategy: A Numerical Study
by George J. Tserevelakis
Sensors 2026, 26(2), 498; https://doi.org/10.3390/s26020498 - 12 Jan 2026
Viewed by 219
Abstract
This numerical simulation study introduces a novel phase-shifted Gaussian and donut beam excitation strategy for frequency-domain photoacoustic microscopy, capable of achieving optical sub-diffraction-limited lateral resolution. We demonstrate that the spatial overlapping of Gaussian and donut beams with π-radian phase-shifted intensity modulation may confine [...] Read more.
This numerical simulation study introduces a novel phase-shifted Gaussian and donut beam excitation strategy for frequency-domain photoacoustic microscopy, capable of achieving optical sub-diffraction-limited lateral resolution. We demonstrate that the spatial overlapping of Gaussian and donut beams with π-radian phase-shifted intensity modulation may confine the effective photoacoustic excitation region, substantially reducing the beam-waist-normalized full width at half maximum value from 1.177 to 0.828 units. This effect corresponds to a ~1.42-fold lateral resolution enhancement compared with conventional focused Gaussian beam excitation. Furthermore, the influence of the optical power ratio between the beams was systematically analyzed, revealing an optimal value of 1.16, balancing excitation confinement and side-lobe suppression. Within this framework, the presented simulation results establish a basis for the experimental realization of phase-shifted dual-beam excitation photoacoustic microscopy systems, with a potential impact on high-resolution biomedical imaging of subcellular and microvascular structures using low-cost continuous-wave optical sources such as laser diodes. Full article
(This article belongs to the Special Issue Recent Trends and Advances in Biomedical Optics and Imaging)
Show Figures

Figure 1

20 pages, 719 KB  
Systematic Review
Hemozoin as a Diagnostic Biomarker: A Scoping Review of Next-Generation Malaria Detection Technologies
by Afiat Berbudi, Shafia Khairani, Alexander Kwarteng and Ngozi Mirabel Otuonye
Biosensors 2026, 16(1), 48; https://doi.org/10.3390/bios16010048 - 7 Jan 2026
Viewed by 211
Abstract
Accurate malaria diagnosis is essential for effective case management and transmission control; however, the sensitivity, operational requirements, and field applicability of current conventional methods are limited. Hemozoin, an optically and magnetically active crystalline biomarker produced by Plasmodium species, offers a reagent-free target for [...] Read more.
Accurate malaria diagnosis is essential for effective case management and transmission control; however, the sensitivity, operational requirements, and field applicability of current conventional methods are limited. Hemozoin, an optically and magnetically active crystalline biomarker produced by Plasmodium species, offers a reagent-free target for next-generation diagnostics. This scoping review, following PRISMA-ScR and Joanna Briggs Institute guidance, synthesizes recent advances in hemozoin-based detection technologies and maps the current landscape. Twenty-four studies were reviewed, spanning eight major technology classes: magneto-optical platforms, magnetophoretic microdevices, photoacoustic detection, Raman/SERS spectroscopy, optical and hyperspectral imaging, NMR relaxometry, smartphone-based microscopy, and flow cytometry. Magneto-optical systems—including Hz-MOD, Gazelle™, and RMOD—demonstrated the highest operational readiness, with robust specificity but reduced sensitivity at low parasitemia. Photoacoustic Cytophone studies demonstrated promising sensitivity and noninvasive in vivo detection. Raman/SERS platforms achieved sub-100 infected cell/mL analytical sensitivity but remain laboratory-bound. Microfluidic and smartphone-based tools offer emerging, potentially low-cost alternatives. Across modalities, performance varied by parasite stage, with reduced detection of early ring forms. In conclusion, hemozoin-targeted diagnostics represent a rapidly evolving field with multiple viable translational pathways. While magneto-optical devices are closest to field deployment, further clinical validation, improved low-density detection, and standardized comparison across platforms are needed to support future adoption in malaria-endemic settings. Full article
(This article belongs to the Section Biosensors and Healthcare)
Show Figures

Figure 1

27 pages, 4988 KB  
Review
Recent Advances in Functionalized Gold Nanoprobes for Photoacoustic Imaging Analysis of Diseases
by Zhiwan Huang, Hanying Ye, Haiting Cao, Yao Ma, Kecheng Lou, Yao He and Binbin Chu
Sensors 2026, 26(1), 203; https://doi.org/10.3390/s26010203 - 28 Dec 2025
Viewed by 524
Abstract
Photoacoustic imaging (PAI) integrates the high-contrast merits of optical imaging with the high-spatial-resolution advantages of acoustic imaging, enabling the acquisition of three-dimensional images with deep tissue penetration (up to several centimeters) for in vivo disease detection and diagnosis. Among various photoacoustic nanoagents, gold [...] Read more.
Photoacoustic imaging (PAI) integrates the high-contrast merits of optical imaging with the high-spatial-resolution advantages of acoustic imaging, enabling the acquisition of three-dimensional images with deep tissue penetration (up to several centimeters) for in vivo disease detection and diagnosis. Among various photoacoustic nanoagents, gold nanomaterials (GNMs) have been widely explored for the PAI-based imaging analysis and photothermal therapy of diseases, owing to their strong near-infrared (NIR) absorption, which can generate distinct photoacoustic signals in deep tissues. This review focuses on recent advances and achievements in the development of functionalized gold nanoprobes, including Janus gold nanoprobes, gold nanocomposite probes (such as functionally coated GNMs and GNMs-loaded nanocarriers), and gold nanoaggregate probes (e.g., pre-assembly of GNMs and in situ aggregation of GNMs). The multifunctionalization of GNMs can enhance their PAI performance by shifting absorption to the NIR-I and NIR-II regions, while simultaneously imparting additional functionalities such as targeted delivery to disease sites and specific responsiveness to disease biomarkers. These features can render functionalized GNMs-based nanoprobes highly suitable for PAI-based analysis and the precise detection of various pathological conditions, including bacterial infections, tumors, kidney injury, and disorders affecting the ocular, gastrointestinal, cardiovascular, visceral, and lymphatic systems. Finally, this review provides a concise summary of biosafety evaluation and outlines the current challenges and future perspectives in optimizing the GNMs-based PAI methods, highlighting their potential to enhance the rapid and precise diagnosis of diseases in the future. Full article
(This article belongs to the Special Issue Photoacoustic and Photothermal Sensing and Imaging)
Show Figures

Figure 1

47 pages, 10163 KB  
Review
Nanomedicine in Ovarian Cancer: Advances in Imaging, Targeted Delivery, and Theranostic Therapeutic Platforms
by Dorota Bartusik-Aebisher, Izabella Wilk and David Aebisher
Cancers 2026, 18(1), 86; https://doi.org/10.3390/cancers18010086 - 27 Dec 2025
Viewed by 569
Abstract
Ovarian cancer continues to be the most lethal gynaecological malignancy, principally due to its late-stage diagnosis, extensive peritoneal dissemination, chemoresistance, and limitations of current imaging and therapeutic strategies. By optimising pharmacokinetics, refining tumour-selective drug delivery, and supporting high-resolution, multimodal imaging, nanomedicine offers a [...] Read more.
Ovarian cancer continues to be the most lethal gynaecological malignancy, principally due to its late-stage diagnosis, extensive peritoneal dissemination, chemoresistance, and limitations of current imaging and therapeutic strategies. By optimising pharmacokinetics, refining tumour-selective drug delivery, and supporting high-resolution, multimodal imaging, nanomedicine offers a versatile platform to address these limitations. In this review, current progress across lipid-based, polymeric, inorganic, hybrid, and biomimetic nanocarriers is synthesised, emphasising how tailored physiochemical properties, surface functionalisation, and stimuli-responsive designs can improve tumour localisation, surmount stromal and ascetic barriers, and enable controlled drug release. Concurrently, significant advancement in imaging nanoprobes, including magnetic resonance imaging (MRI), positron emission tomography (PET)/single-photon emission computed tomography (SPECT), optical, near-infrared imaging (NIR), ultrasound, and photoacoustic systems, has evolved early lesion detection, intraoperative guidance, and quantitative monitoring of treatment. Diagnosis and therapy are further integrated within single platforms by emerging theranostic constructs, encouraging real-time visualisation of drug distribution and treatment response. Additionally, immune-nanomedicine, intraperitoneal depot systems, and nucleic acid-centred nanotherapies offer promising strategies to address immune suppression and molecular resistance in advanced ovarian cancer. In spite of noteworthy achievements, clinical translation is limited by complex manufacturing requirements, challenges with safety and stability, and restricted patient stratification. To unlock the full clinical potential of nanotechnology in ovarian cancer management, constant innovation in scalable design, regulatory standardisation, and integration of precision biomarkers will be necessary. Full article
(This article belongs to the Section Methods and Technologies Development)
Show Figures

Graphical abstract

26 pages, 88895 KB  
Review
Active Propelled Micro Robots in Drug Delivery for Urologic Diseases
by Chunlian Zhong, Menghuan Tang and Zhaoqing Cong
Micromachines 2026, 17(1), 24; https://doi.org/10.3390/mi17010024 - 25 Dec 2025
Viewed by 584
Abstract
Active propelled micro robots (MRs) represent a transformative shift in biomedical engineering, engineered to navigate physiological environments by converting chemical, acoustic, or magnetic energy into mechanical propulsion. Unlike passive delivery systems limited by diffusion and systemic clearance, MRs offer autonomous mobility, enabling precise [...] Read more.
Active propelled micro robots (MRs) represent a transformative shift in biomedical engineering, engineered to navigate physiological environments by converting chemical, acoustic, or magnetic energy into mechanical propulsion. Unlike passive delivery systems limited by diffusion and systemic clearance, MRs offer autonomous mobility, enabling precise penetration and retention in hard-to-reach tissues. This review provides comprehensive analysis of MR technologies within urology, a field uniquely suited for microrobotic intervention due to the urinary tract’s anatomical accessibility and fluid-filled nature. We explore how MRs address critical therapeutic limitations, including the high recurrence of kidney stones and the rapid washout of intravesical bladder cancer therapies. The review categorizes propulsion mechanisms optimized for the urinary environment, such as urea-fueled nanomotors and magnetic swarms. Furthermore, we detail emerging applications, including bioresorbable acoustic robots for tumor ablation and magnetic grippers for minimally invasive biopsies. Finally, we critically assess the path toward clinical translation, focusing on challenges in biocompatibility, real-time tracking (MRI, MPI, photoacoustic imaging), and the regulatory landscape for these advanced combination products. Full article
Show Figures

Figure 1

25 pages, 1075 KB  
Review
The Role of Tumor pH in Breast Cancer Imaging: Biology, Diagnostic Applications, and Emerging Techniques
by Dyutika Kantamneni, Saumya Gurbani and Mary Salvatore
Diagnostics 2026, 16(1), 76; https://doi.org/10.3390/diagnostics16010076 - 25 Dec 2025
Viewed by 805
Abstract
Breast cancer screening, while vital for reducing mortality, faces significant limitations in sensitivity and specificity, particularly in dense breasts. Current modalities primarily detect anatomical changes, often missing biologically aggressive tumors at their earliest stages. The altered metabolism of cancer cells establishes a characteristic [...] Read more.
Breast cancer screening, while vital for reducing mortality, faces significant limitations in sensitivity and specificity, particularly in dense breasts. Current modalities primarily detect anatomical changes, often missing biologically aggressive tumors at their earliest stages. The altered metabolism of cancer cells establishes a characteristic inverted pH gradient that drives tumor invasion, metastasis, and treatment resistance. This makes tumor acidity a compelling, functional biomarker for early detection. This review synthesizes the emerging role of pH as a diagnostic biomarker and provides a critical evaluation of advanced imaging techniques for its non-invasive or minimal measurement. We detail the biological underpinnings of tumor acidosis, emphasizing its regulation through glycolytic reprogramming and dysregulated proton transport. Our analysis encompasses a broad spectrum of pH-sensitive imaging modalities, including magnetic resonance methods such as Chemical Exchange Saturation Transfer (CEST) MRI for extracellular pH mapping and multi-nuclear Magnetic Resonance Spectroscopy (MRS) using 1H, 31P, and 19F nuclei to probe various cellular compartments. Furthermore, we examine hyperpolarized 13C MRI for real-time metabolic flux imaging, where metrics such as the lactate-to-pyruvate ratio demonstrate significant predictive value for treatment response. The review also assesses optical and photoacoustic imaging techniques, which offer high sensitivity but are often constrained to superficial tumors. Imaging tumor pH provides a powerful functional window into the earliest metabolic shifts in breast cancer, far preceding macroscopic anatomical changes. The ongoing development and evidence support the role of the pH-sensitive imaging techniques in diagnosis, lesion characterization, and therapy. Additionally, it holds promise for supplementing breast cancer screening by enabling earlier, more specific detection and personalized risk stratification, ultimately aiming to improve patient outcomes. Full article
(This article belongs to the Special Issue Advances in Breast Diagnostics)
Show Figures

Figure 1

17 pages, 2279 KB  
Article
L19-Conjugated Gold Nanoparticles for the Specific Targeting of EDB-Containing Fibronectin in Neuroblastoma
by Chiara Barisione, Silvia Ortona, Veronica Bensa, Caterina Ivaldo, Eleonora Ciampi, Simonetta Astigiano, Michele Cilli, Luciano Zardi, Mirco Ponzoni, Domenico Palombo, Giovanni Pratesi, Pier Francesco Ferrari and Fabio Pastorino
Pharmaceutics 2026, 18(1), 24; https://doi.org/10.3390/pharmaceutics18010024 - 24 Dec 2025
Viewed by 353
Abstract
Background/Objectives: Neuroblastoma (NB) is the most common extracranial solid tumor in children and accounts for 12–15% of pediatric cancer-related deaths. Current multimodal therapies lack specific cellular targets, causing systemic toxicity and drug resistance. The development of innovative tumor-targeted nanoformulations might represent a [...] Read more.
Background/Objectives: Neuroblastoma (NB) is the most common extracranial solid tumor in children and accounts for 12–15% of pediatric cancer-related deaths. Current multimodal therapies lack specific cellular targets, causing systemic toxicity and drug resistance. The development of innovative tumor-targeted nanoformulations might represent a promising approach to enhance NB diagnosis and antitumor efficacy, while decreasing off targets side effects. Fibronectin extra-domain B (FN-EDB) is upregulated in the tumor microenvironment. Methods: FN-EDB expression was evaluated by immunohistochemical staining in cell line-derived and tumor patient-derived animal models of NB. A gold nanoparticle, decorated with an antibody (Ab) recognizing FN-EDB (L19-AuNP) was developed by the company Nano Flow and its tumor binding was tested by ELISA in vitro and in patient-derived xenograft (PDX) models of NB by photoacoustic imaging in vivo. Results: All animal models of NB used have been shown to express FN-EDB. L19 Ab demonstrated excellent binding specificity to FN-EDB both when used in free form and after conjugation to AuNP. Compared to the non-functionalized (no Ab L19-coupled) AuNP, which showed an increase in PDI and zeta potential over time, making them unsuitable for use in in vivo studies, L19-AuNP demonstrated good stability. In vivo, L19-AuNP specifically homed into PDX models of NB, accumulating better in tumors expressing higher levels of FN-EDB. Negligible distribution to healthy organs occurred. Conclusions: In this preliminary study, L19-AuNP was shown to be a novel diagnostic tool specifically for binding NB expressing FN-EDB, paving the way for the development of theranostic nanoformulations co-encapsulating gold moiety and standard-of-care therapy for NB. Full article
(This article belongs to the Special Issue Nanomedicine and Nanotechnology: Recent Advances and Applications)
Show Figures

Graphical abstract

41 pages, 2067 KB  
Review
Emerging Technologies for Exploring the Cellular Mechanisms in Vascular Diseases
by Debasis Sahu, Treena Ganguly, Avantika Mann, Yash Gupta, Logan R. Van Nynatten and Douglas D. Fraser
Int. J. Mol. Sci. 2026, 27(1), 164; https://doi.org/10.3390/ijms27010164 - 23 Dec 2025
Viewed by 654
Abstract
Vascular diseases (VDs) and cardiovascular diseases (CVDs) are the leading causes of morbidity and mortality worldwide. Current diagnostic and therapeutic approaches are limited by insufficient resolution and a lack of mechanistic understanding at the cellular level. Traditional imaging and clinical assays do not [...] Read more.
Vascular diseases (VDs) and cardiovascular diseases (CVDs) are the leading causes of morbidity and mortality worldwide. Current diagnostic and therapeutic approaches are limited by insufficient resolution and a lack of mechanistic understanding at the cellular level. Traditional imaging and clinical assays do not fully capture the dynamic molecular and structural complexities underlying vascular pathology. Recent technological innovations, including single-cell and spatial transcriptomics, super-resolution and photoacoustic imaging, microfluidic organ-on-chip platforms, Clustered Regularly Interspaced Short Palindromic Repeats (CRISPR)/CRISPR-associated protein 9 (Cas9)-based gene editing, and artificial intelligence (AI), have created new opportunities for investigating the cellular and molecular basis of VDs. These techniques enable high-resolution mapping of cellular heterogeneity and functional alterations, facilitating the integration of large-scale data for biomarker discovery, disease modeling, and therapeutic development. This review focuses on evaluating the translational readiness, limitations, and potential clinical applications of these emerging technologies. Understanding the cellular and molecular mechanisms of VDs is essential for developing targeted therapies and precise diagnostics. Integrating single-cell and multiomics approaches highlights disease-driving cell types and gene programs. Optogenetics and organ-on-chip platforms allow for controlled manipulation and physiologically relevant modeling, while AI enhances data integration, risk prediction, and clinical interpretability. Future efforts should prioritize multi-center, large-scale validation studies, harmonization of assay protocols, and integration with clinical datasets and human samples. Multi-omics approaches and computational modeling hold promise for unraveling disease complexity, while advances in regulatory science and digital simulation (such as digital twins) may further accelerate personalized medicine in vascular disease research and treatment. Full article
(This article belongs to the Special Issue Cardiovascular Diseases: From Pathology to Therapeutics)
Show Figures

Graphical abstract

32 pages, 4104 KB  
Review
Toward Active Distributed Fiber-Optic Sensing: A Review of Distributed Fiber-Optic Photoacoustic Non-Destructive Testing Technology
by Yuliang Wu, Xuelei Fu, Jiapu Li, Xin Gui, Jinxing Qiu and Zhengying Li
Sensors 2026, 26(1), 59; https://doi.org/10.3390/s26010059 - 21 Dec 2025
Viewed by 545
Abstract
Distributed fiber-optic photoacoustic non-destructive testing (DFP-NDT) represents a paradigm shift from passive sensing to active probing, fundamentally transforming structural health monitoring through integrated fiber-based ultrasonic generation and detection capabilities. This review systematically examines DFP-NDT’s evolution by following the technology’s natural progression from fundamental [...] Read more.
Distributed fiber-optic photoacoustic non-destructive testing (DFP-NDT) represents a paradigm shift from passive sensing to active probing, fundamentally transforming structural health monitoring through integrated fiber-based ultrasonic generation and detection capabilities. This review systematically examines DFP-NDT’s evolution by following the technology’s natural progression from fundamental principles to practical implementations. Unlike conventional approaches that require external excitation mechanisms, DFP-NDT leverages photoacoustic transducers as integrated active components where fiber-optical devices themselves generate and detect ultrasonic waves. Central to this technology are photoacoustic materials engineered to maximize conversion efficiency—from carbon nanotube-polymer composites achieving 2.74 × 10−2 conversion efficiency to innovative MXene-based systems that combine high photothermal conversion with structural protection functionality. These materials operate within sophisticated microstructural frameworks—including tilted fiber Bragg gratings, collapsed photonic crystal fibers, and functionalized polymer coatings—that enable precise control over optical-to-thermal-to-acoustic energy conversion. Six primary distributed fiber-optic photoacoustic transducer array (DFOPTA) methodologies have been developed to transform single-point transducers into multiplexed systems, with low-frequency variants significantly extending penetration capability while maintaining high spatial resolution. Recent advances in imaging algorithms have particular emphasis on techniques specifically adapted for distributed photoacoustic data, including innovative computational frameworks that overcome traditional algorithmic limitations through sophisticated statistical modeling. Documented applications demonstrate DFP-NDT’s exceptional versatility across structural monitoring scenarios, achieving impressive performance metrics including 90 × 54 cm2 coverage areas, sub-millimeter resolution, and robust operation under complex multimodal interference conditions. Despite these advances, key challenges remain in scaling multiplexing density, expanding operational robustness for extreme environments, and developing algorithms specifically optimized for simultaneous multi-source excitation. This review establishes a clear roadmap for future development where enhanced multiplexed architectures, domain-specific material innovations, and purpose-built computational frameworks will transition DFP-NDT from promising laboratory demonstrations to deployable industrial solutions for comprehensive structural integrity assessment. Full article
(This article belongs to the Special Issue FBG and UWFBG Sensing Technology)
Show Figures

Figure 1

22 pages, 4064 KB  
Article
Effect of Dispersed Particle Concentration on Photoacoustic Flowmetry Using Low-Frequency Transducers
by Haruka Tsuboi, Taichi Kaizuka and Katsuaki Shirai
Metrology 2025, 5(4), 79; https://doi.org/10.3390/metrology5040079 - 18 Dec 2025
Viewed by 268
Abstract
Photoacoustic (PA) velocimetry offers a promising solution to the limitations of conventional techniques for measuring blood flow velocity. Given its moderate penetration depth and high spatial resolution, PA imaging is considered suitable for measuring low-velocity blood flow in capillaries located at moderate depths. [...] Read more.
Photoacoustic (PA) velocimetry offers a promising solution to the limitations of conventional techniques for measuring blood flow velocity. Given its moderate penetration depth and high spatial resolution, PA imaging is considered suitable for measuring low-velocity blood flow in capillaries located at moderate depths. High-resolution measurements based on PA signals from individual blood cells can be achieved using a high-frequency transducer. However, high-frequency signals attenuate rapidly within biological tissue, restricting the measurable depth. Consequently, low-frequency transducers are required for deeper measurements. To date, PA flow velocimetry employing low-frequency transducers remains insufficiently explored. In this study, we investigated the effect of the concentration of particles that mimic blood cells within vessels under low-concentration conditions. The performance of flow velocity measurement was evaluated using an ultrasonic transducer (UST) with a center frequency of 10 MHz. The volume fraction of particles in the solution was systematically varied, and the spatially averaged flow velocity was assessed using two different distinct analysis methods. One method employed a time-shift approach based on cross-correlation analysis. Flow velocity was estimated from PA signal redpairs generated by particles dispersed in the fluid, using consecutive pulsed laser irradiations at fixed time intervals. The other method employed a pulsed Doppler method in the frequency domain, widely applied in ultrasound Doppler measurements. In this method, flow velocity redwas estimated from the Doppler-shifted frequency between the transmitted and received signals of the UST. For the initial analysis, numerical simulations were performed, followed by experiments based on displacement measurements equivalent to velocity measurements. The target was a capillary tube filled with an aqueous solution containing particles at different concentration levels. The time–domain method tended to underestimate flow velocity as particle concentration increased, whereas the pulsed Doppler method yielded estimates consistent with theoretical values, demonstrating its potential for measurements at high concentrations. Full article
(This article belongs to the Special Issue Advancements in Optical Measurement Devices and Technologies)
Show Figures

Figure 1

19 pages, 2482 KB  
Review
Application of Metal-Doped Nanomaterials in Cancer Diagnosis and Treatment
by Xinhao Jin and Qi Sun
J. Nanotheranostics 2025, 6(4), 35; https://doi.org/10.3390/jnt6040035 - 17 Dec 2025
Viewed by 354
Abstract
Cancer remains a severe global health threat, with traditional therapies often plagued by limited efficacy and significant side effects. The emergence of nanotechnology, particularly metal-doped nanomaterials, offers a promising avenue for integrating diagnostic and therapeutic functions into a single platform, enabling a theranostic [...] Read more.
Cancer remains a severe global health threat, with traditional therapies often plagued by limited efficacy and significant side effects. The emergence of nanotechnology, particularly metal-doped nanomaterials, offers a promising avenue for integrating diagnostic and therapeutic functions into a single platform, enabling a theranostic approach to oncology. This article explores the design and application of various metal-doped nanosystems, including gadolinium-doped selenium molybdenum nanosheets for magnetic resonance/photoacoustic dual-mode imaging and photothermal therapy, and metal-doped hollow mesoporous silica nanoparticles that leverage the tumor’s acidic microenvironment to release ions for catalytic generation of reactive oxygen species. Despite their promise, the limited enzyme-like activity of some nanozymes, insufficient endogenous hydrogen peroxide in tumors, and the tumor microenvironment’s defensive mechanisms, such as high glutathione levels, can restrict therapeutic efficacy. Looking forward, the outlook for the field is contingent upon advancing material engineering strategies. Future research should prioritize the development of intelligent, multifunctional nanoplatforms that can dynamically respond to and remodel the tumor microenvironment. Innovations in surface modification for enhanced targeting, alongside rigorous preclinical studies focused on safety and standardized manufacturing, are crucial for bridging the gap between laboratory research and clinical application, ultimately paving the way for personalized cancer medicine. Full article
(This article belongs to the Special Issue Feature Review Papers in Nanotheranostics)
Show Figures

Figure 1

74 pages, 18738 KB  
Review
Nanoparticle Detection in Biology and Medicine: A Review
by Olga A. Kolesnikova, Dmitry A. Shikvin, Arina O. Antonova, Anna M. Iureva, Elena N. Komedchikova, Anastasiia S. Obozina, Valeryia S. Kachan, Anna V. Svetlakova, Ilya D. Kukushkin and Victoria O. Shipunova
Biosensors 2025, 15(12), 809; https://doi.org/10.3390/bios15120809 - 11 Dec 2025
Cited by 1 | Viewed by 2024
Abstract
Background/Objectives: Nanoparticles have emerged as indispensable tools in modern biomedicine, enabling precise diagnostics, targeted therapy, and controlled drug delivery. Despite their rapid progress, the translation of nanoparticle-based systems critically depends on the ability to detect, quantify, and track them across complex biological environments. [...] Read more.
Background/Objectives: Nanoparticles have emerged as indispensable tools in modern biomedicine, enabling precise diagnostics, targeted therapy, and controlled drug delivery. Despite their rapid progress, the translation of nanoparticle-based systems critically depends on the ability to detect, quantify, and track them across complex biological environments. Over the past two decades, a wide spectrum of detection modalities has been developed, encompassing optical, magnetic, acoustic, nuclear, cytometric, and mass spectrometric principles. Yet, no comprehensive framework has been established to compare these methods in terms of sensitivity, spatial resolution, and clinical applicability. Methods: Here we show a systematic analysis of all broadly applicable nanoparticle detection strategies, outlining their mechanisms, advantages, and drawbacks, and providing illustrative examples of practical applications. Results: This comparison reveals that each modality occupies a distinct niche: optical methods offer high sensitivity but limited penetration depth; magnetic and acoustic modalities enable repeated non-invasive tracking; nuclear imaging ensures quantitative, whole-body visualization; and invasive biochemical or histological assays achieve ultimate detection limits at the cost of tissue integrity. These findings redefine how each technique contributes to nanoparticle biodistribution and mechanistic studies, clarifying which are best suited for translational and clinical use. Conclusions: Placed in a broader context, this review bridges fundamental nanotechnology with biomedical applications, outlining a unified methodological framework that will guide the rational design, validation, and clinical implementation of nanoparticle-based therapeutics and diagnostics. By synthesizing the field into a single comparative framework, it also provides an accessible entry point for newcomers in nanotechnology and related biomedical sciences. Full article
(This article belongs to the Section Biosensors and Healthcare)
Show Figures

Figure 1

18 pages, 5318 KB  
Article
All-Polymer Multilayer Lab-on-Fiber Ultrasonic Detectors in the Biomedical Field: A Numerical Study in Pursuit of Photoacoustic Applications
by Barbara Rossi, Maria Alessandra Cutolo, Paolo Massimo Aiello, Giovanni Breglio, Andrea Cusano and Martino Giaquinto
Sensors 2025, 25(23), 7349; https://doi.org/10.3390/s25237349 - 2 Dec 2025
Viewed by 473
Abstract
The development of minimally invasive diagnostic devices in the biomedical field has grown significantly, especially those that take advantage of photoacoustic phenomena. Photoacoustic imaging is an imaging technique that exploits the photoacoustic effect, relying on the conversion of absorbed light into ultrasound waves. [...] Read more.
The development of minimally invasive diagnostic devices in the biomedical field has grown significantly, especially those that take advantage of photoacoustic phenomena. Photoacoustic imaging is an imaging technique that exploits the photoacoustic effect, relying on the conversion of absorbed light into ultrasound waves. Thanks to lab-on-fiber technology, optical fiber can be functionalized to generate and receive a photoacoustic signal. Weak acoustic signals often limit this process, as conversion efficiency can be influenced by factors such as tissue heterogeneity, light scattering, and the attenuation of the acoustic waves within tissues. Consequently, there is significant interest in the development of highly sensitive systems with broad bandwidths. While the literature has largely focused on standard devices utilizing the interferometric effect in homogeneous slabs, this study explores the potential of multilayer structures that leverage Bragg reflection to be realized on the fiber tip. We numerically investigated both periodic and aperiodic designs of polymeric multilayer structures to further enhance the optical performance of opto-acoustic sensors. We demonstrate an enhancement in sensitivity of up to about three orders of magnitude without compromising bandwidth. This work highlights the advantages of multilayer sensor designs in improving sensitivity and performance for high-frequency opto-acoustic sensing. Full article
(This article belongs to the Section Chemical Sensors)
Show Figures

Figure 1

34 pages, 2229 KB  
Review
Multifunctional Nanoplatforms Bridging Diagnostics and Therapeutics in Cancer
by Hossein Omidian and Erma J. Gill
Micromachines 2025, 16(12), 1323; https://doi.org/10.3390/mi16121323 - 26 Nov 2025
Viewed by 601
Abstract
Accurate tumor visualization remains a central challenge in oncology, as single-modality imaging often lacks the depth, sensitivity, and specificity needed for precise therapeutic guidance. Nano-theranostic platforms address this by combining multimodal imaging with tumor-responsive activation and therapeutic functions within a single system. Advances [...] Read more.
Accurate tumor visualization remains a central challenge in oncology, as single-modality imaging often lacks the depth, sensitivity, and specificity needed for precise therapeutic guidance. Nano-theranostic platforms address this by combining multimodal imaging with tumor-responsive activation and therapeutic functions within a single system. Advances in carbon-based nanomaterials, metallic and metal oxide nanoplatforms, polymeric and lipid carriers, and biomimetic architectures enable integration of fluorescence (FL), near-infrared II fluorescence (NIR-II FL), photoacoustic (PA), magnetic resonance (MRI), computed tomography (CT), and ultrasound (US) imaging for comprehensive anatomical, functional, and molecular tumor characterization. Coupled with photothermal therapy (PTT), photodynamic therapy (PDT), chemo-dynamic therapy (CDT), ferroptosis induction, metabolic modulation, gas-based therapeutics, and immune activation, these nanoplatforms transform imaging from a passive diagnostic tool into an active, feedback-regulated therapeutic modality. This review outlines the mechanistic foundations, integrated functionalities, and preclinical significance of synergistic imaging-guided nano-theranostics. We also highlight emerging priorities—including adaptive closed-loop platforms, streamlined multifunctional designs, immunotherapy integration, and scalable, biocompatible manufacturing—to advance clinically viable nano-theranostics for precision oncology. Full article
(This article belongs to the Special Issue Emerging Trends in Optoelectronic Device Engineering)
Show Figures

Figure 1

Back to TopTop