A Deep Transfer Learning Framework for Speed-of-Sound Aberration Correction in Full-Ring Photoacoustic Tomography
Abstract
1. Introduction
2. Materials and Methods
2.1. Training Dataset Preparation
2.2. Network Architecture and Training Strategy
3. Results
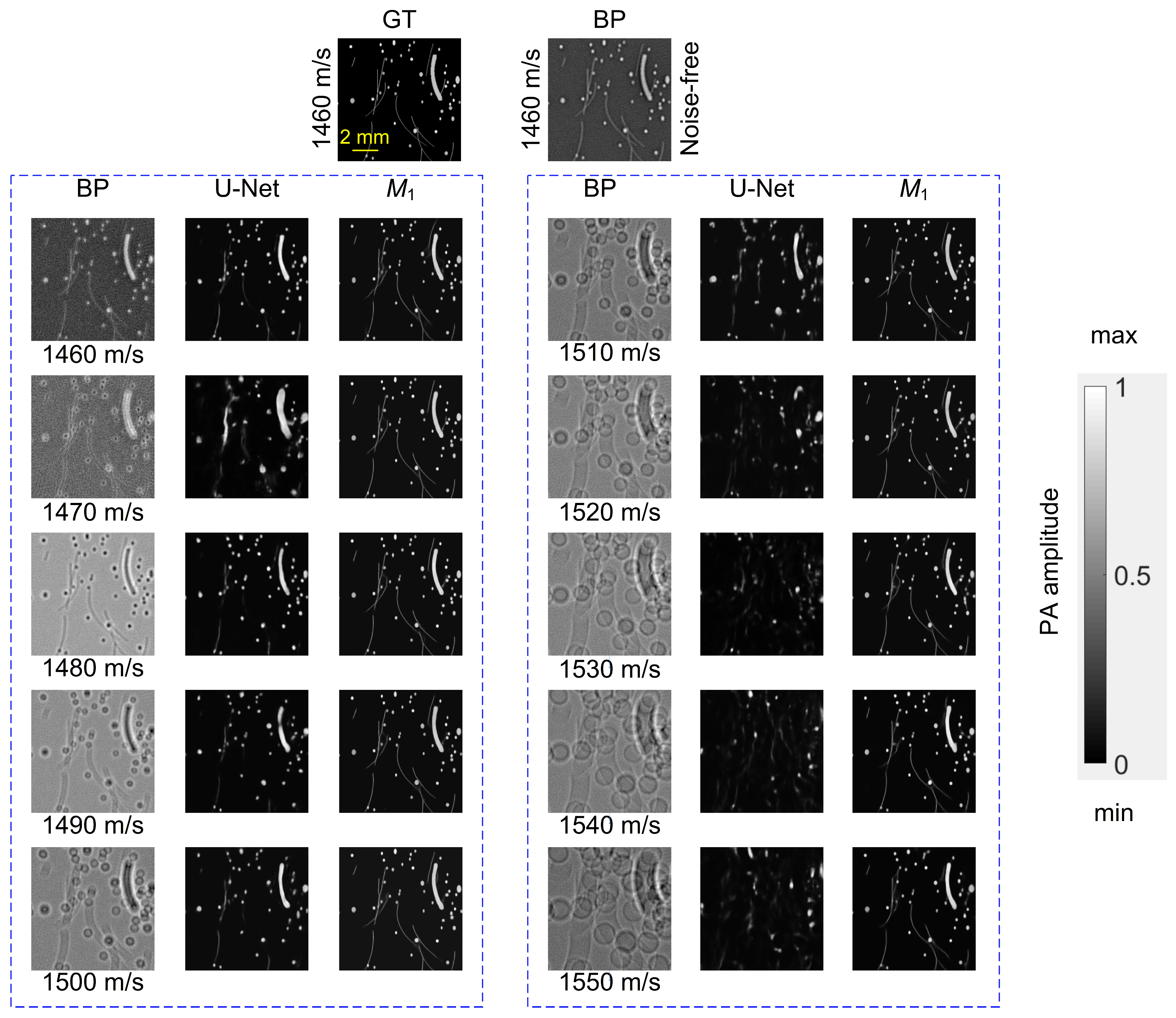
3.1. In Silico Experiments
3.2. Phantom Experiments
3.3. In Vivo Experiments
3.4. Computational Performance
4. Conclusions
Author Contributions
Funding
Institutional Review Board Statement
Informed Consent Statement
Data Availability Statement
Conflicts of Interest
References
- Feng, T.; Xie, Y.; Xie, W.; Chen, Y.; Wang, P.; Li, L.; Han, J.; Ta, D.; Cheng, L.; Cheng, Q. Characterization of multi-biomarkers for bone health assessment based on photoacoustic physicochemical analysis method. Photoacoustics 2022, 25, 100320. [Google Scholar] [CrossRef]
- Feng, Y.; Mao, Q.; Hong, L.; Wang, X.; Tao, C.; Liu, X. Quantitative assessment of thrombosis-induced blood oxygenation change in deep tissues based on photoacoustic tomography: An ex vivo study. Biomed. Opt. Express 2025, 16, 1557–1568. [Google Scholar] [CrossRef]
- Lin, L.; Wang, L.V. The emerging role of photoacoustic imaging in clinical oncology. Nat. Rev. Clin. Oncol. 2022, 19, 365–384. [Google Scholar] [CrossRef]
- Lin, L.; Tong, X.; Hu, P.; Invernizzi, M.; Lai, L.; Wang, L.V. Photoacoustic computed tomography of breast cancer in response to neoadjuvant chemotherapy. Adv. Sci. 2021, 8, 2003396. [Google Scholar] [CrossRef] [PubMed]
- Zhang, J.; Duan, F.; Liu, Y.; Nie, L. High-resolution photoacoustic tomography for early-stage cancer detection and its clinical translation. Radiol. Cancer 2020, 2, e190030. [Google Scholar] [CrossRef]
- Xu, M.; Xu, Y.; Wang, L.V. Time-domain reconstruction algorithms and numerical simulations for thermoacoustic tomography in various geometries. IEEE Trans. Biomed. Eng. 2003, 50, 1086–1099. [Google Scholar] [CrossRef]
- Xu, M.; Wang, L.V. Universal back-projection algorithm for photoacoustic computed tomography. Phys. Rev. E 2005, 71, 016706. [Google Scholar] [CrossRef] [PubMed]
- Özbek, A.; Deán-Ben, X.L.; Razansky, D. Optoacoustic imaging at kilohertz volumetric frame rates. Optica 2018, 5, 857–863. [Google Scholar] [CrossRef] [PubMed]
- Deán-Ben, X.L.; Gottschalk, S.; Mc Larney, B.; Shoham, S.; Razansky, D. Advanced optoacoustic methods for multiscale imaging of in vivo dynamics. Chem. Soc. Rev. 2017, 46, 2158–2198. [Google Scholar] [CrossRef]
- Wang, D.; Wang, Y.; Zhou, Y.; Lovell, J.F.; Xia, J. Coherent-weighted three-dimensional image reconstruction in linear-array-based photoacoustic tomography. Biomed. Opt. Express 2016, 7, 1957. [Google Scholar] [CrossRef]
- Merčep, E.; Burton, N.C.; Claussen, J.; Razansky, D. Whole-body live mouse imaging by hybrid reflection-mode ultrasound and optoacoustic tomography. Opt. Lett. 2015, 40, 4643–4646. [Google Scholar] [CrossRef]
- Merčep, E.; Herraiz, J.L.; Deán-Ben, X.L.; Razansky, D. Transmission–reflection optoacoustic ultrasound (TROPUS) computed tomography of small animals. Light Sci. Appl. 2019, 8, 18. [Google Scholar] [CrossRef]
- Nyayapathi, N.; Xia, J. Photoacoustic imaging of breast cancer: A mini review of system design and image features. J. Biomed. Opt. 2019, 24, 121911. [Google Scholar] [CrossRef]
- Cui, M.; Zuo, H.; Wang, X.; Deng, K.; Luo, J.; Ma, C. Adaptive photoacoustic computed tomography. Photoacoustics 2021, 21, 100223. [Google Scholar] [CrossRef]
- Jose, J.; Willemink, R.G.H.; Steenbergen, W.; Slump, C.H.; van Leeuwen, T.G.; Manohar, S. Speed-of-sound compensated photoacoustic tomography for accurate imaging. Med. Phys. 2012, 39, 7262–7271. [Google Scholar] [CrossRef] [PubMed]
- Huang, C.; Wang, K.; Nie, L.; Wang, L.V.; Anastasio, M.A. Full-wave iterative image reconstruction in photoacoustic tomography with acoustically inhomogeneous media. IEEE Trans. Med. Imaging 2013, 32, 1097–1110. [Google Scholar] [CrossRef]
- Treeby, B.E.; Cox, B.T. k-Wave: MATLAB toolbox for the simulation and reconstruction of photoacoustic wave fields. J. Biomed. Opt. 2010, 15, 021314. [Google Scholar] [CrossRef] [PubMed]
- Yin, J.; He, J.; Tao, C.; Liu, X. Enhancement of photoacoustic tomography of acoustically inhomogeneous tissue by utilizing a memory effect. Opt. Express 2020, 28, 10806. [Google Scholar] [CrossRef]
- Poudel, J.; Anastasio, M.A. Joint reconstruction of initial pressure distribution and spatial distribution of acoustic properties of elastic media with application to transcranial photoacoustic tomography. Inverse Probl. 2020, 36, 124007. [Google Scholar] [CrossRef]
- Matthews, T.P.; Poudel, J.; Li, L.; Wang, L.V.; Anastasio, M.A. Parameterized joint reconstruction of the initial pressure and sound speed distributions for photoacoustic computed tomography. SIAM J. Imaging Sci. 2018, 11, 1560–1588. [Google Scholar] [CrossRef]
- Jeong, G.; Villa, U.; Anastasio, M.A. Revisiting the joint estimation of initial pressure and speed-of-sound distributions in photoacoustic computed tomography with consideration of canonical object constraints. Photoacoustics 2025, 43, 100700. [Google Scholar] [CrossRef]
- Cai, C.; Wang, X.; Si, K.; Qian, J.; Luo, J.; Ma, C. Feature coupling photoacoustic computed tomography for joint reconstruction of initial pressure and sound speed in vivo. Biomed. Opt. Express 2019, 10, 3447–3462. [Google Scholar] [CrossRef]
- Jiang, D.; Lan, H.; Tong, S.; Zhang, X.; Gao, F. Signal-domain speed-of-sound correction for ring-array-based photoacoustic tomography. Photoacoustics 2025, 44, 100735. [Google Scholar] [CrossRef] [PubMed]
- Li, T.; Cui, M.; Ma, C.; Alexander, E. Coordinate-based speed of sound recovery for aberration-corrected photoacoustic computed tomography. In Proceedings of the IEEE International Conference on Computer Vision, Honolulu, HI, USA, 19–25 October 2025; pp. 27466–27475. [Google Scholar]
- Treeby, B.E.; Varslot, T.K.; Zhang, E.Z.; Laufer, J.G.; Beard, P.C. Automatic sound speed selection in photoacoustic image reconstruction using an autofocus approach. J. Biomed. Opt. 2011, 16, 090501. [Google Scholar] [CrossRef]
- Davoudi, N.; Deán-Ben, X.L.; Razansky, D. Deep learning optoacoustic tomography with sparse data. Nat. Mach. Intell. 2019, 1, 453–460. [Google Scholar] [CrossRef]
- Guan, S.; Khan, A.A.; Sikdar, S.; Chitnis, P.V. Limited-view and sparse photoacoustic tomography for neuroimaging with deep learning. Sci. Rep. 2020, 10, 8510. [Google Scholar] [CrossRef]
- Awasthi, N.; Jain, G.; Kalva, S.K.; Pramanik, M.; Yalavarthy, P.K. Deep neural network-based sinogram super-resolution and bandwidth enhancement for limited-data photoacoustic tomography. IEEE Trans. Ultrason. Ferroelectr. Freq. Control 2020, 67, 2660–2673. [Google Scholar] [CrossRef]
- Kim, J.; Kim, G.; Li, L.; Zhang, P.; Kim, J.Y.; Kim, Y.; Kim, H.H.; Wang, L.V.; Lee, S.; Kim, C. Deep learning acceleration of multiscale superresolution localization photoacoustic imaging. Light Sci. Appl. 2022, 11, 131. [Google Scholar] [CrossRef]
- Zheng, W.; Zhang, H.; Huang, C.; Shijo, V.; Xu, C.; Xu, W.; Xia, J. Deep learning enhanced volumetric photoacoustic imaging of vasculature in human. Adv. Sci. 2023, 10, 2301277. [Google Scholar] [CrossRef]
- Mondal, S.; Paul, S.; Singh, N.; Saha, R.K. Deep learning on photoacoustic tomography to remove image distortion due to inaccurate measurement of the scanning radius. Biomed. Opt. Express 2023, 14, 5817. [Google Scholar] [CrossRef] [PubMed]
- Shi, M.; Vercauteren, T.; Xia, W. Learning-based sound speed estimation and aberration correction for linear-array photoacoustic imaging. Photoacoustics 2024, 38, 100621. [Google Scholar] [CrossRef] [PubMed]
- Shan, H.; Wiedeman, C.; Wang, G.; Yang, Y. Simultaneous reconstruction of the initial pressure and sound speed in photoacoustic tomography using a deep-learning approach. Proc. SPIE 2019, 11105, 1110504. [Google Scholar]
- Zhang, Y.; Wang, L. Adaptive dual-speed ultrasound and photoacoustic computed tomography. Photoacoustics 2022, 27, 100380. [Google Scholar] [CrossRef]
- Jeon, S.; Choi, W.; Park, B.; Kim, C. A deep learning-based model that reduces speed of sound aberrations for improved in vivo photoacoustic imaging. IEEE Trans. Image Process. 2021, 30, 8773–8784. [Google Scholar] [CrossRef]
- Modgil, D.; Anastasio, M.A.; La Rivière, P.J. Image reconstruction in photoacoustic tomography with variable speed of sound using a higher-order geometrical acoustics approximation. J. Biomed. Opt. 2010, 15, 021308. [Google Scholar] [CrossRef]
- Bychkov, A.; Simonova, V.; Zarubin, V.; Cherepetskaya, E.; Karabutov, A. The progress in photoacoustic and laser ultrasonic tomographic imaging for biomedicine and industry: A review. Appl. Sci. 2018, 8, 1931. [Google Scholar] [CrossRef]
- Wang, Y.; Zhan, Y.; Tiao, M.; Xia, J. Review of methods to improve the performance of linear array-based photoacoustic tomography. J. Innov. Opt. Health Sci. 2020, 13, 2030003. [Google Scholar] [CrossRef]
- Dehner, C.; Zahnd, G.; Ntziachristos, V.; Jüstel, D. A deep neural network for real-time optoacoustic image reconstruction with adjustable speed of sound. Nat. Mach. Intell. 2023, 5, 1130–1141. [Google Scholar] [CrossRef]
- Zhang, S.; Miao, J.; Li, L.S. Challenges and advances in two-dimensional photoacoustic computed tomography: A review. J. Biomed. Opt. 2024, 29, 070901. [Google Scholar] [CrossRef] [PubMed]
- Xu, W.; Fu, Y.L.; Zhu, D. ResNet and its application to medical image processing: Research progress and challenges. Comput. Methods Programs Biomed. 2023, 240, 107660. [Google Scholar] [CrossRef]
- Ben Yedder, H.; Cardoen, B.; Hamarneh, G. Deep learning for biomedical image reconstruction: A survey. Artif. Intell. Rev. 2021, 54, 215–251. [Google Scholar] [CrossRef]
- Strzelecki, M.; Badura, P. Machine learning for biomedical application. Appl. Sci. 2022, 12, 2022. [Google Scholar] [CrossRef]
- Hacker, L.; Joseph, J.; Lilaj, L.; Manohar, S.; Ivory, A.M.; Tao, R.; Bohndiek, S.E.; Members of IPASC. Tutorial on phantoms for photoacoustic imaging applications. J. Biomed. Opt. 2024, 29, 080801. [Google Scholar] [CrossRef] [PubMed]
- Shen, K.; Liu, S.; Feng, T.; Yuan, J.; Zhu, B.; Tian, C. Negativity artifacts in back-projection-based photoacoustic tomography. J. Phys. D Appl. Phys. 2021, 54, 074001. [Google Scholar] [CrossRef]











| BP | U-Net | TC-ResNet-50 (M1) | |
|---|---|---|---|
| MSE | 0.28 ± 0.16 | 0.12 ± 0.04 | (5 ± 2) × 10−3 |
| SSIM | 0.22 ± 0.14 | 0.50 ± 0.22 | 0.91 ± 0.07 |
| PCC | 0.26 ± 0.39 | 0.59 ± 0.23 | 0.92 ± 0.03 |
| BP | U-Net | TC-ResNet-50 (M2) | |
|---|---|---|---|
| MSE | 0.14 ± 0.07 | 0.02 ± 0.01 | (1.2 ± 0.4) × 10−2 |
| SSIM | 0.03 ± 0.01 | 0.50 ± 0.18 | 0.90 ± 0.04 |
| PCC | 0.10 ± 0.10 | 0.44 ± 0.21 | 0.89 ± 0.04 |
| Sample 1 | Sample 2 | |
|---|---|---|
| MSE | 0.26 (M2) 0.39 (U-Net) | 0.31 (M2) 0.43 (U-Net) |
| SSIM | 0.77 (M2) 0.49 (U-Net) | 0.70(M2) 0.47 (U-Net) |
| PCC | 0.81 (M2) 0.46 (U-Net) | 0.77 (M2) 0.41 (U-Net) |
Disclaimer/Publisher’s Note: The statements, opinions and data contained in all publications are solely those of the individual author(s) and contributor(s) and not of MDPI and/or the editor(s). MDPI and/or the editor(s) disclaim responsibility for any injury to people or property resulting from any ideas, methods, instructions or products referred to in the content. |
© 2026 by the authors. Licensee MDPI, Basel, Switzerland. This article is an open access article distributed under the terms and conditions of the Creative Commons Attribution (CC BY) license.
Share and Cite
Yin, J.; Feng, Y.; Feng, Q.; He, J.; Tao, C. A Deep Transfer Learning Framework for Speed-of-Sound Aberration Correction in Full-Ring Photoacoustic Tomography. Sensors 2026, 26, 626. https://doi.org/10.3390/s26020626
Yin J, Feng Y, Feng Q, He J, Tao C. A Deep Transfer Learning Framework for Speed-of-Sound Aberration Correction in Full-Ring Photoacoustic Tomography. Sensors. 2026; 26(2):626. https://doi.org/10.3390/s26020626
Chicago/Turabian StyleYin, Jie, Yingjie Feng, Qi Feng, Junjun He, and Chao Tao. 2026. "A Deep Transfer Learning Framework for Speed-of-Sound Aberration Correction in Full-Ring Photoacoustic Tomography" Sensors 26, no. 2: 626. https://doi.org/10.3390/s26020626
APA StyleYin, J., Feng, Y., Feng, Q., He, J., & Tao, C. (2026). A Deep Transfer Learning Framework for Speed-of-Sound Aberration Correction in Full-Ring Photoacoustic Tomography. Sensors, 26(2), 626. https://doi.org/10.3390/s26020626

