Sign in to use this feature.

Years

Between: -

Subjects

remove_circle_outline
remove_circle_outline
remove_circle_outline
remove_circle_outline
remove_circle_outline
remove_circle_outline
remove_circle_outline
remove_circle_outline
remove_circle_outline

Journals

remove_circle_outline
remove_circle_outline
remove_circle_outline
remove_circle_outline
remove_circle_outline
remove_circle_outline
remove_circle_outline
remove_circle_outline
remove_circle_outline
remove_circle_outline
remove_circle_outline
remove_circle_outline
remove_circle_outline
remove_circle_outline
remove_circle_outline
remove_circle_outline
remove_circle_outline

Article Types

Countries / Regions

remove_circle_outline
remove_circle_outline
remove_circle_outline
remove_circle_outline
remove_circle_outline
remove_circle_outline
remove_circle_outline

Search Results (2,345)

Search Parameters:
Keywords = Reduced Graphene Oxide

Order results
Result details
Results per page
Select all
Export citation of selected articles as:
11 pages, 3262 KB  
Article
Graphene-Driven Formation of Ferromagnetic Metallic Cobalt Nanoparticles
by Salim Al-Kamiyani, Mohammed Al Bahri, Tariq Mohiuddin, Eduardo Saavedra and Al Maha Al Habsi
Nanomaterials 2026, 16(1), 41; https://doi.org/10.3390/nano16010041 - 28 Dec 2025
Viewed by 45
Abstract
This work demonstrates the synthesis of ferromagnetic metallic cobalt nanoparticles embedded in a graphene framework through a graphene-assisted carbothermal reduction process. Cobalt oxide (Co3O4) was employed as the starting material, with graphene nanopowder functioning simultaneously as the reducing medium [...] Read more.
This work demonstrates the synthesis of ferromagnetic metallic cobalt nanoparticles embedded in a graphene framework through a graphene-assisted carbothermal reduction process. Cobalt oxide (Co3O4) was employed as the starting material, with graphene nanopowder functioning simultaneously as the reducing medium and structural scaffold. Thermal treatment at 850 °C under an argon atmosphere triggered the phase transformation. X-ray diffraction (XRD) confirmed the successful conversion of cobalt oxide into face-centered cubic (FCC) metallic cobalt. The graphene network not only accelerated the reduction reaction but also ensured the homogeneous distribution of cobalt nanoparticles within the matrix. Magnetic measurements using vibrating sample magnetometry (VSM) revealed a substantial improvement in ferromagnetic behavior: the graphene-mediated samples reached a saturation magnetization (Ms) of approximately 130 emu/g, compared to the nearly non-magnetic response of cobalt oxide annealed under the same conditions without graphene. Collectively, the structural, compositional, and magnetic results highlight graphene’s critical role in driving the formation of metallic cobalt nanoparticles with enhanced ferromagnetism, emphasizing their promise for use in magnetic storage, sensing, and spintronic applications. We anticipate that this study will inspire further research into the dual functionality of graphene, serving as both a reductive agent for metal oxides and a supportive matrix for nanoparticles, toward enhancing the structural integrity and functional properties of graphene-based metal nanocomposite materials. Full article
(This article belongs to the Special Issue Ferroelectricity, Multiferroicity, and Magnetism in Nanomaterials)
Show Figures

Figure 1

32 pages, 641 KB  
Review
Synergistic Effects of Graphene and SiO2 Nanoadditives on Dirt Pickup Resistance, Hydrophobicity, and Mechanical Properties of Architectural Coatings: A Systematic Review and Meta-Analysis
by Kseniia Burkovskaia, Michał Strankowski and Krzysztof Szafran
Coatings 2026, 16(1), 32; https://doi.org/10.3390/coatings16010032 - 28 Dec 2025
Viewed by 102
Abstract
This article provides a comprehensive review of the literature on the use of graphene-based nanomaterials (graphene oxide, reduced graphene oxide, and graphene nanoplatelets) and nanosilica (SiO2) in architectural paint and coatings. The aim was to quantitatively assess their effect on dirt [...] Read more.
This article provides a comprehensive review of the literature on the use of graphene-based nanomaterials (graphene oxide, reduced graphene oxide, and graphene nanoplatelets) and nanosilica (SiO2) in architectural paint and coatings. The aim was to quantitatively assess their effect on dirt pickup resistance, hydrophobicity, and mechanical properties. In a systematic search across ScienceDirect, Scopus, and Web of Science (2010–2025), 20 studies that met the set inclusion criteria were identified. We extracted and generalized data with random-effects models (REML) based on standardized mean differences, conducting subgroup and meta-regression analyses to assess filler type, loading, and binder system impact. The results reveal that graphene-based fillers and SiO2 improve coating performance at the same time, and hybrid graphene-SiO2 systems may provide a synergistic improvement depending on the binder matrix. Our results present the first quantitative evidence of graphene-SiO2 interaction in the coating formulations, identify remaining research gaps, and indicate methods for designing next-generation facade paints with better dirt repellence, durability, and sustainability. Full article
(This article belongs to the Special Issue Modern Polymer Coating Materials Containing Graphene Derivatives)
Show Figures

Graphical abstract

16 pages, 17852 KB  
Article
The Influence of Graphene Oxide Concentration and Sintering Atmosphere on the Density, Microstructure, and Hardness of Al2O3 Ceramics Obtained by the FFF Method
by Ekaterina Kuznetsova, Anton Smirnov, Nestor Washington Solís Pinargote, Roman Khmyrov, Daniil Strunevich, Natella Krikheli, Oleg O. Yanushevich, Pavel Peretyagin and Andrey V. Gusarov
Ceramics 2026, 9(1), 2; https://doi.org/10.3390/ceramics9010002 - 26 Dec 2025
Viewed by 147
Abstract
Highly filled (78 wt.%) alumina filaments with various (0.05, 0.10, 0.25 vol.%) graphene oxide concentration for Fused Filament Fabrication (FFF) were obtained. In order to evaluate the effect of graphene oxide on density, microstructure, and hardness, the fabricated materials were sintered in an [...] Read more.
Highly filled (78 wt.%) alumina filaments with various (0.05, 0.10, 0.25 vol.%) graphene oxide concentration for Fused Filament Fabrication (FFF) were obtained. In order to evaluate the effect of graphene oxide on density, microstructure, and hardness, the fabricated materials were sintered in an argon atmosphere at 1500 °C and 1550 °C. A sample that was sintered under the same conditions in air was used as a control. Raman spectroscopy confirmed the reduction in graphene oxide and the absence of carbon in samples sintered in argon and air, respectively. In addition, in the samples with graphene oxide, the alumina grain size was lower than in air-sintered samples. The composite with the lowest amount (0.05 vol.%) of graphene oxide showed the highest value (1670.73 ± 136.9 HV) hardness. Full article
(This article belongs to the Special Issue Advances in Ceramics, 3rd Edition)
Show Figures

Figure 1

15 pages, 3759 KB  
Article
Synthesis and Structural Characterization of Ni/Mn-Doped Co-RGO Composites for Supercapacitor Electrodes
by Andriono Manalu, Moraida Hasanah, Winfrontstein Naibaho, Mario Geraldi Simanjuntak and Maren Sius Girsang
Electrochem 2026, 7(1), 1; https://doi.org/10.3390/electrochem7010001 - 24 Dec 2025
Viewed by 131
Abstract
In this study, Ni/Mn-doped cobalt–reduced graphene oxide (Co-RGO) composites were successfully synthesized as advanced electrode materials for supercapacitors. The structural and morphological properties of the composites were characterized using FTIR, XRD, SEM, TEM, and UV–Vis spectroscopy. Their electrochemical performance was evaluated through electrochemical [...] Read more.
In this study, Ni/Mn-doped cobalt–reduced graphene oxide (Co-RGO) composites were successfully synthesized as advanced electrode materials for supercapacitors. The structural and morphological properties of the composites were characterized using FTIR, XRD, SEM, TEM, and UV–Vis spectroscopy. Their electrochemical performance was evaluated through electrochemical impedance spectroscopy (EIS), cyclic voltammetry (CV), and galvanostatic charge–discharge (GCD). Among the prepared samples, Co-RGO doped with Ni/Mn at a 40:10 ratio exhibited the most outstanding capacitive behavior, achieving a specific capacitance of 7414 F g−1 at a current density of 10 A g−1, along with a high energy density of 565 Wh kg−1 and a power density of 4998 W kg−1. The high capacitance arises from faradaic pseudocapacitive reactions rather than electric double-layer capacitance, eliminating the need for a large surface area. These results confirm that Ni doping significantly enhances pseudocapacitance and conductivity in the Co-RGO matrix, making Ni/Mn (40:10)–Co-RGO a potential material for advanced energy storage systems. Full article
Show Figures

Graphical abstract

22 pages, 10849 KB  
Article
Porosity–Strength Relationships in Cement Pastes Incorporating GO-Modified RCP: A Data-Driven Approach
by Jiajian Yu, Wangjingyi Li, Konara Mudiyanselage Vishwa Akalanka Udaya Bandara, Siyao Wang, Xiaoli Xu and Yuan Gao
Buildings 2026, 16(1), 46; https://doi.org/10.3390/buildings16010046 - 22 Dec 2025
Viewed by 187
Abstract
A thorough understanding of the dispersion characteristics of graphene oxide (GO), its micro-pore enhancement mechanisms, and correlations with mechanical properties are crucial for advancing high-strength, durable green concrete. Introducing recycled concrete powder (RCP) can weaken the interfacial transition zone (ITZ) and inhibit hydration [...] Read more.
A thorough understanding of the dispersion characteristics of graphene oxide (GO), its micro-pore enhancement mechanisms, and correlations with mechanical properties are crucial for advancing high-strength, durable green concrete. Introducing recycled concrete powder (RCP) can weaken the interfacial transition zone (ITZ) and inhibit hydration reactions, degrading the pore structure and affecting mechanical strength and durability. However, traditional methods struggle to accurately characterize and quantitatively analyze GO-modified pore structures due to their nanoscale size, microstructural diversity, and characterization technique limitations. To address these challenges, this study integrates deep learning-based backscattered electron image analysis with deep Taylor decomposition feature extraction. This innovative method systematically analyzes pore characteristic evolution and the correlation between porosity and mechanical strength. The results indicate that GO promotes Calcium Silicate Hydrate gel growth, refines pores, and reduces pore connectivity, decreasing the maximum pore size by 33.4–45.2%. Using a Convolutional Neural Network architecture, BSE images are efficiently processed and analyzed, achieving an average recognition accuracy of 94.3–96.9%. The optimized degree of GO coating on enhanced regions reaches 30.2%. Fitting porosity with mechanical strength and chloride ion permeability coefficients reveals that enhanced regions exhibit the highest correlation with mechanical strength and durability in regenerated cementitious materials, with R2 values ranging from 0.79 to 0.99. The deep learning-assisted pore structure characterization method demonstrates high accuracy and efficiency, providing a critical theoretical basis and data support for performance optimization and engineering applications of recycled cementitious materials. This research expands the application of deep learning in building materials and offers new insights into the relationship between the microstructural and macroscopic properties of recycled cementitious materials. Full article
(This article belongs to the Special Issue Sustainable and Low-Carbon Building Materials in Special Areas)
Show Figures

Figure 1

15 pages, 28870 KB  
Communication
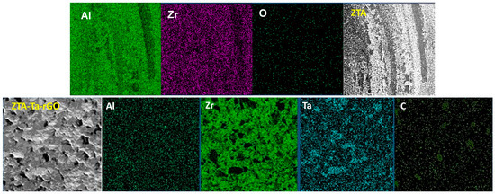
Tribological and Low Temperature Behavior of ZTA Composites with Graphene Oxide Addition Reinforced with Ductile Particles
by Pavel Peretyagin, Oleg Yanushevich, Natella Krikheli, Yuri Pristinskiy, Nestor Washington Solis Pinargote, Anton Smirnov and Nikita Grigoriev
J. Compos. Sci. 2026, 10(1), 1; https://doi.org/10.3390/jcs10010001 - 22 Dec 2025
Viewed by 180
Abstract
The objective of this research was to assess the tribological performance and the capacity to withstand low-temperature degradation of alumina-zirconia-tantalum (ZTA) ceramic-metal composites, modified with 0.5 vol.% graphene oxide (GO) under ball (alumina) on disk dry sliding conditions. The studied ceramic and ceramic-metal [...] Read more.
The objective of this research was to assess the tribological performance and the capacity to withstand low-temperature degradation of alumina-zirconia-tantalum (ZTA) ceramic-metal composites, modified with 0.5 vol.% graphene oxide (GO) under ball (alumina) on disk dry sliding conditions. The studied ceramic and ceramic-metal composites reinforced with 20 vol.% of tantalum particles were prepared using a colloidal mixing and sintered at a temperature of 1500 °C using a spark plasma sintering technique. In contrast to ZTA ceramic, the wear performance of composites with metal particles and graphene oxide was significantly improved, regardless of the chosen load (10 N and 40 N). The results showed an improvement in the friction coefficient of about 20% and 15% at low and high load, respectively. The wear rate was reduced by 2 and 7 times at 10 N and 40 N, respectively. Raman and energy dispersive spectroscopy confirmed that ZTA-Ta-rGO composites exhibited superior wear resistance primarily because a protective tribolayer formed on their surfaces during wear. This layer effectively lubricated the surfaces, leading to a decrease in both friction and the rate of material loss. Furthermore, these composites exhibited excellent resistance to low-temperature degradation. The results obtained will serve as a starting point for future biomedical testing directions, opening up new perspectives for the use of these materials in biomedicine. Full article
(This article belongs to the Section Composites Manufacturing and Processing)
Show Figures

Figure 1

22 pages, 5247 KB  
Article
Enhanced Corrosion Resistance of Water-Based Aluminum Phosphate Coatings via Graphene Oxide Modification: Mechanisms and Long-Term Performance
by Feng Ding, Jiahui Xu, Xiaoxin Wei, Jiangdong Cao, Hongyan Wu, Lang Bai, Yujie Ma, Dongqian Li, Yilin Wang, Jiahan You and Bochen Jiang
Coatings 2026, 16(1), 11; https://doi.org/10.3390/coatings16010011 - 20 Dec 2025
Viewed by 275
Abstract
In this study, we have developed a water-based aluminum phosphate (WAP) coating consisting of a base layer and a surface layer. Graphene oxide (GO) was used to modify the base layer. Three different GO concentrations—0.5, 0.75, and 1 wt.%—were employed to assess their [...] Read more.
In this study, we have developed a water-based aluminum phosphate (WAP) coating consisting of a base layer and a surface layer. Graphene oxide (GO) was used to modify the base layer. Three different GO concentrations—0.5, 0.75, and 1 wt.%—were employed to assess their impact on the corrosion resistance of the coating and to explore the underlying mechanisms. The corrosion resistance mechanism was also examined. In the coating, GO combined with phosphate to form large blocks that effectively blocked the pores, and the porosity decreased with the increase in GO content. This led to an improvement in the substrate protection efficiency by over 10%. Impedance spectroscopy revealed that the main mechanism behind the enhanced corrosion resistance was the shielding effect of GO, which created a “maze effect” that improved the coating’s protective properties. However, an excessive amount of GO reduced the corrosion resistance of the coating. Overall, the WAP coating modified with 0.75 wt.% GO exhibited the best corrosion resistance. Full article
(This article belongs to the Section Corrosion, Wear and Erosion)
Show Figures

Figure 1

16 pages, 1888 KB  
Article
Creatinine Sensing with Reduced Graphene Oxide-Based Field Effect Transistors
by Melody L. Candia, Esteban Piccinini, Omar Azzaroni and Waldemar A. Marmisollé
Chemosensors 2026, 14(1), 3; https://doi.org/10.3390/chemosensors14010003 - 20 Dec 2025
Viewed by 210
Abstract
Creatinine (Crn) is a clinically relevant biomarker commonly used for the diagnosis and monitoring of kidney disease. In this work, we report the fabrication of reduced-graphene-oxide-based field-effect transistors (rGO FETs) for Crn detection. These devices were functionalized using a layer-by-layer (LbL) assembly, in [...] Read more.
Creatinine (Crn) is a clinically relevant biomarker commonly used for the diagnosis and monitoring of kidney disease. In this work, we report the fabrication of reduced-graphene-oxide-based field-effect transistors (rGO FETs) for Crn detection. These devices were functionalized using a layer-by-layer (LbL) assembly, in which polyethyleneimine (PEI) and creatinine deiminase (CD) were alternately deposited. This LbL strategy allows for the effective incorporation of CD without compromising its structural or functional integrity, while also taking advantage of the local pH changes caused by creatinine hydrolysis. It also benefits from the use of a polyelectrolyte that can amplify the enzymatic signal. Furthermore, it enables scalable and efficient fabrication. These transistors also address the challenges of point-of-care implementation in single-use cartridges. It is worth noting that the devices showed a linear relationship between the Dirac-point shift and the logarithm of the creatinine concentration in the 20–500 µM range in diluted simulated urine. The sensor response improved with increasing numbers of PEI/CD bilayers. Furthermore, the functionalized FETs demonstrated rapid detection dynamics and good long-term stability. Present results confirm the potential of these devices as practical biosensors for sample analysis under real-world conditions, making them ideal for implementation in practical settings. Full article
Show Figures

Figure 1

20 pages, 3063 KB  
Article
A Bio-Inspired Artificial Nerve Simulator for Ex Vivo Validation of Implantable Neural Interfaces Equipped with Plug Electrodes
by Daniel Mihai Teleanu, Octavian Narcis Ionescu, Carmen Aura Moldovan, Marian Ion, Adrian Tulbure, Eduard Franti, David Catalin Dragomir, Silviu Dinulescu, Bianca Mihaela Boga, Ana Maria Oproiu, Ancuta Diana-Larisa, Vaduva Mariana, Coman Cristin, Carmen Mihailescu, Mihaela Savin, Gabriela Ionescu, Monica Dascalu, Mark Edward Pogarasteanu, Marius Moga and Mirela Petruta Suchea
Bioengineering 2025, 12(12), 1366; https://doi.org/10.3390/bioengineering12121366 - 16 Dec 2025
Viewed by 288
Abstract
The development of implantable neural interfaces is essential for enabling bidirectional communication between the nervous system and prosthetic devices, yet their evaluation still relies primarily on in vivo models which are costly, variable, and ethically constrained. Here, we report a bio-inspired artificial nerve [...] Read more.
The development of implantable neural interfaces is essential for enabling bidirectional communication between the nervous system and prosthetic devices, yet their evaluation still relies primarily on in vivo models which are costly, variable, and ethically constrained. Here, we report a bio-inspired artificial nerve simulator engineered as a reproducible ex vivo platform for pre-implantation testing of plug-type electrodes. The simulator is fabricated from a conductive hydrogel composite based on reduced graphene oxide (rGO), polyaniline (PANI), agarose, sucrose, and sodium chloride, with embedded conductive channels that replicate the fascicular organization and conductivity of peripheral nerves. The resulting construct exhibits impedance values of ~2.4–2.9 kΩ between electrode needles at 1 kHz, closely matching in vivo measurements (~2 kΩ) obtained in Sus scrofa domesticus nerve tissue. Its structural and electrical fidelity enables systematic evaluation of electrode–nerve contact properties, signal transmission, and insertion behavior under controlled conditions, while reducing reliance on animal experiments. This bio-inspired simulator offers a scalable and physiologically relevant testbed that bridges materials engineering and translational neuroprosthetics, accelerating the development of next-generation implantable neural interfaces. Full article
(This article belongs to the Section Biomedical Engineering and Biomaterials)
Show Figures

Graphical abstract

19 pages, 10305 KB  
Article
Graphene Nanofiller Type Matters: Comparative Analysis of Static and Fatigue Delamination Resistance in Modified Carbon Fiber Composites
by Konstantina Zafeiropoulou, Christina Kostagiannakopoulou, George Sotiriadis and Vassilis Kostopoulos
Polymers 2025, 17(24), 3299; https://doi.org/10.3390/polym17243299 - 12 Dec 2025
Viewed by 306
Abstract
Delamination remains a critical failure mode in carbon fiber-reinforced polymer (CFRP) composites, particularly under cyclic loading in aerospace and automotive applications. This study explores whether nanoscale reinforcement with graphene-based materials can enhance delamination resistance and identifies the most effective nanofiller type. Two distinct [...] Read more.
Delamination remains a critical failure mode in carbon fiber-reinforced polymer (CFRP) composites, particularly under cyclic loading in aerospace and automotive applications. This study explores whether nanoscale reinforcement with graphene-based materials can enhance delamination resistance and identifies the most effective nanofiller type. Two distinct graphene nanospecies—reduced graphene oxide (rGO) and carboxyl-functionalized graphene nanoplatelets (HDPlas)—were incorporated at 0.5 wt% into CFRP laminates and tested under static and fatigue mode I loading using double cantilever beam (DCB) tests. Both nanofillers enhanced interlaminar fracture toughness compared to the neat composite: rGO improved the energy release rate by 36%, while HDPlas achieved a remarkable 67% enhancement. Fatigue testing showed even stronger effects, with the fatigue threshold energy release rate rising by 24% for rGO and 67% for HDPlas, leading to a fivefold increase in fatigue life for HDPlas-modified laminates. A compliance calibration method enabled continuous monitoring of crack growth over one million cycles. Fractography analysis using scanning electron microscopy revealed that both nanofillers activated crack bifurcation, enhancing energy dissipation. However, the HDPlas system further exhibited extensive nanoparticle pull-out, creating a more tortuous crack path and superior resistance to crack initiation and growth under cyclic loading. Full article
(This article belongs to the Special Issue Advances in Fatigue and Fracture of Fiber-Reinforced Polymers)
Show Figures

Figure 1

21 pages, 6002 KB  
Article
Effect of Ultrasonic Treatment of Dispersed Carbon Nanocomposite Media on the Formation, Electrical Conductivity, and Degradation of a Hydrogel for Metallic Stimulation Electrodes
by Mikhail Savelyev, Artem Kuksin, Denis Murashko, Ekaterina Otsupko, Victoria Suchkova, Kristina Efremova, Pavel Vasilevsky, Ulyana Kurilova, Sergey Selishchev and Alexander Gerasimenko
Gels 2025, 11(12), 1004; https://doi.org/10.3390/gels11121004 - 12 Dec 2025
Viewed by 196
Abstract
This study investigates the impact of ultrasonic treatment on the deagglomeration of aggregates of single-walled carbon nanotubes (SWCNTs) and reduced graphene oxide (rGO). The aim of the research is to enhance the electrical conductivity of a biopolymer hydrogel designed for coating metallic neurostimulation [...] Read more.
This study investigates the impact of ultrasonic treatment on the deagglomeration of aggregates of single-walled carbon nanotubes (SWCNTs) and reduced graphene oxide (rGO). The aim of the research is to enhance the electrical conductivity of a biopolymer hydrogel designed for coating metallic neurostimulation electrodes. Biocompatible coating materials are essential for the safe long-term function of implants within the body, enabling the transmission of nerve impulses to external devices for signal conversion and neurostimulation. Dynamic light scattering (DLS) was employed to monitor the dispersion state, in conjunction with measurements of specific electrical conductivity. The mass loss and swelling capacity were evaluated over an 80-day period to account for the effects of degradation during in vitro studies. Samples of flexible–elastic hydrogels for electrodes with complex geometry were formed by the photopolymerization of a photopolymerizable medium, similar to a photoresist. Analysis of the dependence of temperature and normalized optical transmittance on the duration of laser photopolymerization made it possible to determine the optimal polymerization temperature for the photopolymerizable medium as −28 °C. This temperature regime ensures maximum reproducibility of hydrogel formation and eliminates the presence of unpolymerized areas. The article presents a biopolymer hydrogel with SWCNTs and rGO nanoparticles in a 1:1 ratio. It was found that sufficient specific electrical conductivity is achieved using SWCNTs with a characteristic hydrodynamic radius of R = 490 nm and rGO with R = 210 nm (sample Col/BSA/CS/Eosin Y/SWCNTs (490 nm)/rGO 4). The photopolymerized hydrogel 4 demonstrated sufficient biocompatibility, exceeding the control sample by 16%. According to the results of in vitro studies over 80 days, this sample exhibited moderate degradation of 45% while retaining its swelling ability. The swelling degree decreased by 50% compared to the initial value of 170%. The presented hydrogel 4 is a promising coating material for implantable metallic neurostimulation electrodes, enhancing their stability in the physiological environment. Full article
(This article belongs to the Special Issue Innovative Gels: Structure, Properties, and Emerging Applications)
Show Figures

Figure 1

16 pages, 1803 KB  
Article
Layer-by-Layer Hybrid Film of PAMAM and Reduced Graphene Oxide–WO3 Nanofibers as an Electroactive Interface for Supercapacitor Electrodes
by Vanderley F. Gomes Junior, Danilo A. Oliveira, Paulo V. Morais and José R. Siqueira Junior
Nanoenergy Adv. 2025, 5(4), 22; https://doi.org/10.3390/nanoenergyadv5040022 - 12 Dec 2025
Viewed by 184
Abstract
Tungsten oxide (WO3) nanostructures have emerged as promising electroactive materials due to their high pseudocapacitance, structural versatility, and chemical stability, while reduced graphene oxide (rGO) provides excellent electrical conductivity and surface area. The strategic combination of these nanomaterials in hybrid electrodes [...] Read more.
Tungsten oxide (WO3) nanostructures have emerged as promising electroactive materials due to their high pseudocapacitance, structural versatility, and chemical stability, while reduced graphene oxide (rGO) provides excellent electrical conductivity and surface area. The strategic combination of these nanomaterials in hybrid electrodes has gained attention for enhancing the energy storage performance of supercapacitors. In this work, we report the fabrication and electrochemical performance of nanostructured multilayer films based on the electrostatic Layer-by-Layer (LbL) self-assembly of poly (amidoamine) (PAMAM) dendrimers alternated with tungsten oxide (WO3) nanofibers dispersed in reduced graphene oxide (rGO). The films were deposited onto indium tin oxide (ITO) substrates and subsequently subjected to electrochemical reduction. UV-Vis spectroscopy confirmed the linear growth of the multilayers, while atomic force microscopy (AFM) revealed homogeneous surface morphology and thickness control. Electrochemical characterization by cyclic voltammetry (CV) and galvanostatic charge–discharge (GCD) revealed a predominantly electrical double-layer capacitive (EDLC) behavior. From the GCD measurements (PAMAM/rGO-WO3)20 films achieved an areal capacitance of ≈2.20 mF·cm−2, delivering an areal energy density of ≈0.17 µWh·cm−2 and an areal power density of ≈2.10 µW·cm−2, demonstrating efficient charge storage in an ultrathin electrode architecture. These results show that the synergistic integration of PAMAM dendrimers, reduced graphene oxide, and WO3 nanofibers yields a promising strategy for designing high-performance electrode materials for next-generation supercapacitors. Full article
(This article belongs to the Special Issue Hybrid Energy Storage Systems Based on Nanostructured Materials)
Show Figures

Graphical abstract

20 pages, 2110 KB  
Review
XLPE and Beyond: A Review of Recent Progress in Polymer Nanocomposites for Dielectric Insulation in High-Voltage Cables
by Alexander A. Yurov, Ivan N. Zubkov, Alexey V. Lukonin, Oleg Y. Kaun, Alexander E. Bogachev and Victor A. Klushin
Materials 2025, 18(24), 5553; https://doi.org/10.3390/ma18245553 - 10 Dec 2025
Viewed by 577
Abstract
Crosslinked polyethylene (XLPE) has been the cornerstone material in the power industry for insulating high-voltage cables due to its exceptional properties, including reduced dielectric loss, high dielectric constant and thermal conductivity, and excellent resistance to electrical stress. In the current study, in order [...] Read more.
Crosslinked polyethylene (XLPE) has been the cornerstone material in the power industry for insulating high-voltage cables due to its exceptional properties, including reduced dielectric loss, high dielectric constant and thermal conductivity, and excellent resistance to electrical stress. In the current study, in order to further enhance the electrical and mechanical properties of XLPE’s various types of nanofillers such as metal oxides, boron nitride nanosheets of nanosilica and graphene oxide are incorporated into the XLPE matrix. These nanoparticles promote the occurrence of numerous trap sites, even at modest concentrations, due to their extensive interfacial regions, which affect crucial characteristics including breakdown voltage strength, electrical tree growth, structural defects, space charge accumulation, and thermal aging. The present review summarizes the effects of nanoparticles on the dielectric performance of XLPE. At the same time, the current advancements in the development of a new generation of recyclable insulation materials are briefly discussed. Full article
(This article belongs to the Section Energy Materials)
Show Figures

Graphical abstract

25 pages, 6536 KB  
Article
Light-Induced Interfacial Charge Transport of In2O3/Reduced Graphene Oxide/Non-Conjugated Polymers in a Wide Range of the Light Spectrum
by Xingfa Ma, Xintao Zhang, Mingjun Gao, Ruifen Hu, You Wang and Guang Li
Coatings 2025, 15(12), 1448; https://doi.org/10.3390/coatings15121448 - 8 Dec 2025
Viewed by 249
Abstract
To increase the use of the near-infrared (NIR) light from In2O3, a nanocomposite of In2O3/reduced graphene oxide was synthesised. To improve adhesion to the substrates, a small amount of PVA (polyvinyl alcohol) was added to [...] Read more.
To increase the use of the near-infrared (NIR) light from In2O3, a nanocomposite of In2O3/reduced graphene oxide was synthesised. To improve adhesion to the substrates, a small amount of PVA (polyvinyl alcohol) was added to the nanocomposite. Results showed that adding an appropriate amount of PVA to the nanocomposite remarkably enhanced the ability to extract photogenerated carriers due to interface optimisation based on the grain boundary filling with PVA and charge tunnelling effects. The nanocomposites exhibited photoconductive switching responses from the visible light region to the near-infrared range. Meanwhile, the organic/inorganic hybrid coating on silk fibres exhibited mutual conversion of positive and negative photoconductivity, as well as electrical switching responses to applied strain. Furthermore, it was found that a photoelectric signal could still be determined with zero bias after the In2O3/reduced graphene oxide nanocomposite had been stored for over four years. This reflects that the nanocomposites have an internal electric field that promotes the transfer of photogenerated carriers and prevents the recombination of photogenerated electrons and holes. Similar results were also obtained by adding an appropriate amount of other non-conjugated polymers, such as dendrimers. Physical mechanisms are discussed. This study provides reference values for the development of multifunctional organic/inorganic hybrids integrating non-conjugated polymer components to enhance specific properties. Full article
Show Figures

Figure 1

20 pages, 6970 KB  
Article
Electrochemical Immunosensor Based on CS@AuNPs/ZIF-8/rGO Composite for Detecting CA15-3 in Human Serum
by Yuanyue Lu, Yong Mei, Yingying Gu, Ye Tao, Yuhan Yang, Jiao Yu, Yang Zhang, Lin Liu and Xin Li
Sensors 2025, 25(24), 7462; https://doi.org/10.3390/s25247462 - 8 Dec 2025
Viewed by 356
Abstract
An electrochemical immunosensor was fabricated to identify CA15-3, a biomarker for breast cancer (BC). A composite sensor substrate made of “zeolitic imidazolate framework-8” (ZIF-8) and “reduced graphene oxide” (rGO) was chosen and its conductivity was further improved by the addition of chitosan (CS)-doped [...] Read more.
An electrochemical immunosensor was fabricated to identify CA15-3, a biomarker for breast cancer (BC). A composite sensor substrate made of “zeolitic imidazolate framework-8” (ZIF-8) and “reduced graphene oxide” (rGO) was chosen and its conductivity was further improved by the addition of chitosan (CS)-doped gold nanoparticles (AuNPs). The CS@AuNPs are able to conjugate with antibodies via the strong Au-S interaction, which offers multiple active sites for antibody immobilization and enhances the sensor performance. This immunosensor is capable of ultrasensitive detection of CA15-3 by specific antigen–antibody –interactions. In healthy people, normal serum CA15-3 is up to 25 U/mL. Under optimized experimental conditions, the alteration in the signal intensity measured by the sensor was related to the CA15-3 activity. The quantitative relationship was linear over 0.001–400 U/mL with a limit of detection (LOD) of 0.0031 U/mL at a “signal-to-noise ratio” (S/N) of 3 and a “correlation coefficient” (r2) of 0.9983. The developed immunosensor showed great accuracy, stability, and selectivity, and was able to detect CA15-3 in human serum samples. These results validate its potential as a reliable analytical platform for BC diagnosis and early clinical screening. Full article
Show Figures

Figure 1

Back to TopTop