Evaluation of Functional Abilities in 0–6 Year Olds: An Analysis with the eEarlyCare Computer Application
Abstract
1. Introduction
1.1. Technology for Recording and Analysing Observation Results
1.2. Functionalities of the Use of Machine Learning Techniques in the Evaluation of Functional Skills
2. Materials and Methods
2.1. Participants
2.2. Instruments
2.3. Procedure
2.4. Data Analysis
2.5. Ethical Approval
3. Results
3.1. Objective 1
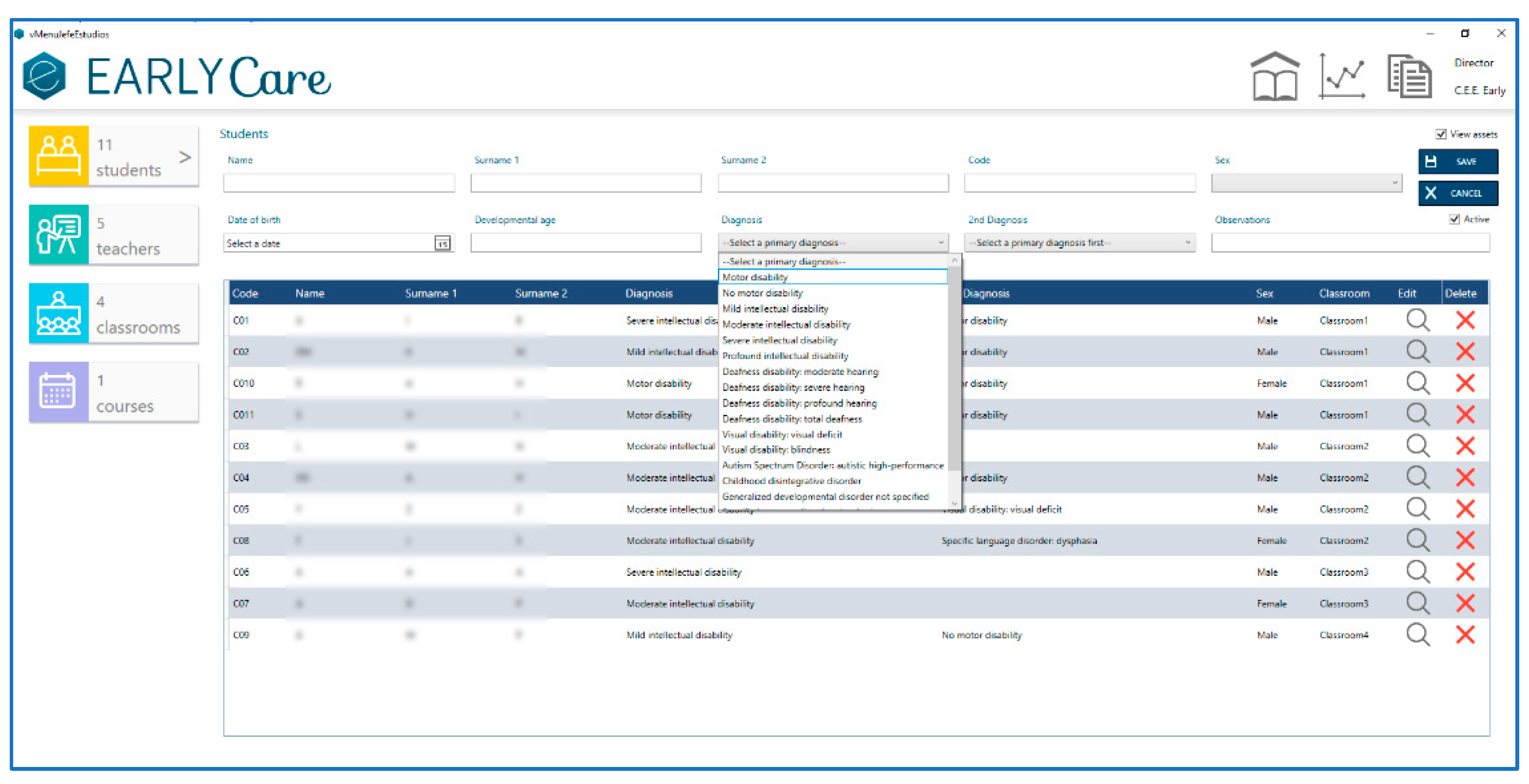
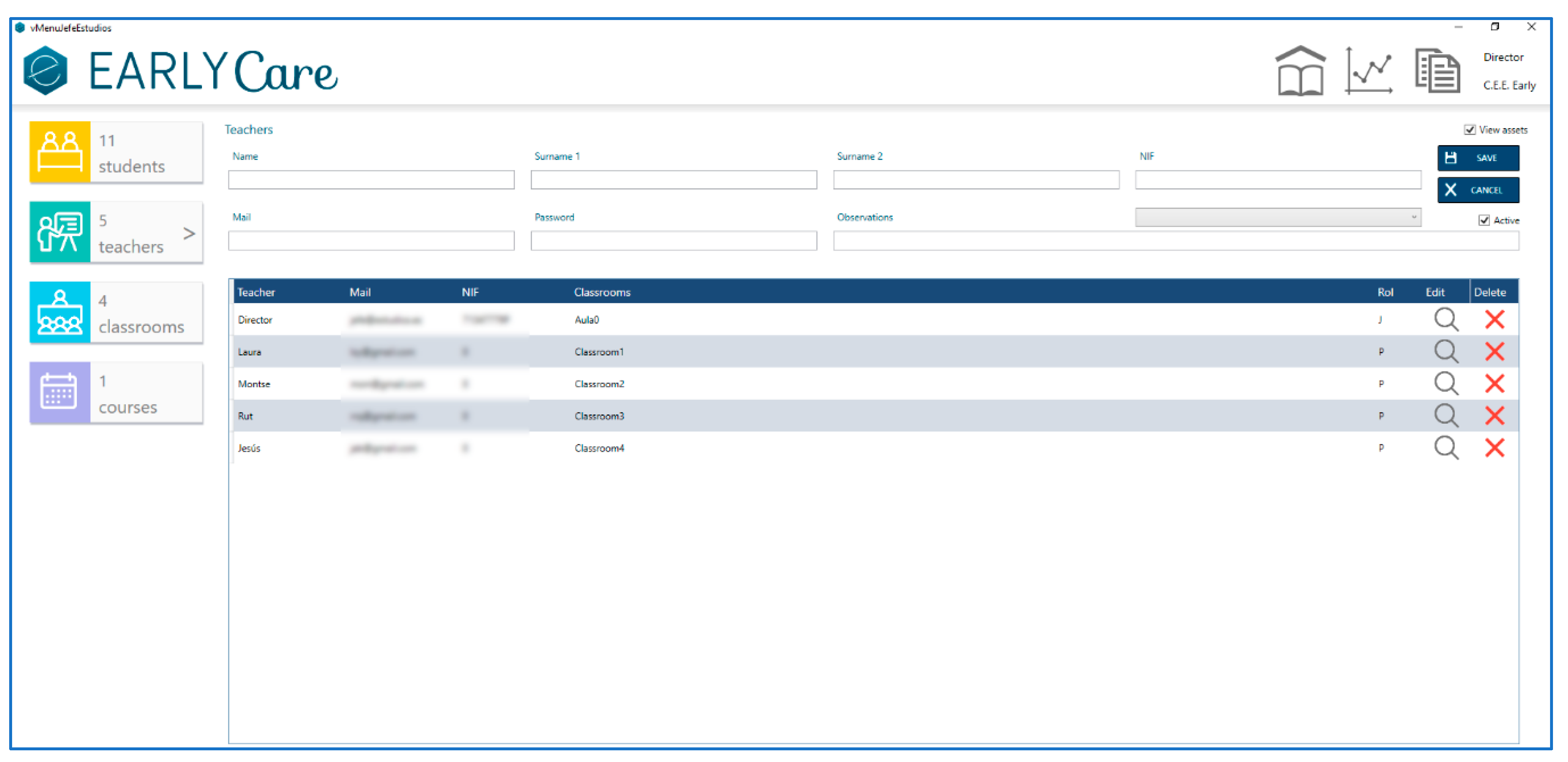
3.1.1. Technical Features of eEarlyCare
3.1.2. eEarlyCare Functionality
3.2. Objective 2
4. Discussion
5. Conclusions
6. Patents
Author Contributions
Funding
Acknowledgments
Conflicts of Interest
Availability eEarlyCare Computer Application
References
- Jia, Z.; Zeng, X.; Duan, H.; Lu, X.; Li, H.A. patient-similarity-based model for diagnostic prediction. Int. J. Med. Inform. 2020, 135, 1–8. [Google Scholar] [CrossRef]
- Pon Selva Kumar, A.P.; Anandamurugan, S.; Logeswaran, K. Enhanced approaches in decision support system using ai for achieving precision medicine. Int. J. Sci. Technol. Res. 2020, 9, 1659–1662. [Google Scholar]
- Demiris, G.; Washington, K.; Ulrich, C.M.; Popescu, M.; Oliver, D.P. Innovative Tools to Support Family Caregivers of Persons with Cancer: The Role of Information Technology. Semin. Oncol. Nurs. 2019, 35, 384–388. [Google Scholar] [CrossRef] [PubMed]
- Swenson, E.R.; Bastian, N.D.; Nembhard, H.B. Data analytics in health promotion: Health market segmentation and classification of total joint replacement surgery patients. Expert Syst. Appl. 2016, 60, 118–129. [Google Scholar] [CrossRef]
- Sáiz-Manzanares, M.C.; Marticorena-Sánchez, R.; Arnáiz-González, Á.; Díez-Pastor, J.F.; Rodríguez-Arribas, S. Computer Application for the Registration and Automation of the Correction of a Functional Skills Detection Scale in Early Care. In Proceedings of the 14th Annual International Technology, Education and Development Conference, Valencia, Spain, 2–4 March 2019; 2019; pp. 5322–5328. [Google Scholar] [CrossRef]
- Hampton, S. Internet-Connected Technology in the Home for Adaptive Living. Phys. Med. Rehabil. Clin. 2019, 30, 451–457. [Google Scholar] [CrossRef] [PubMed]
- Zeadally, S.; Bello, O. Harnessing the power of Internet of Things based connectivity to improve healthcare. Internet Things 2019, 100074. [Google Scholar] [CrossRef]
- Azevedo, R.; Harley, J.; Trevors, G.; Duffy, M.; Feyzi-Behnagh, R.; Bouchet, F.; Landis, R. Using Trace Data to Examine the Complex Roles of Cognitive, Metacognitive, and Emotional Self-Regulatory Processes During Learning with Multi-agent Systems. In International Handbook of Metacognition and Learning Technologies; Azevedo, R., Aleven, V., Eds.; Springer: New York, NY, USA, 2013; pp. 427–449. [Google Scholar] [CrossRef]
- Sáiz-manzanares, M.C. Intervención cognitiva en niños pequeños [Cognitive intervention in young children]. In Intervención Temprana: Desarrollo óptimo de 0 a 6 años; Gómez, A., Viguer, P., Cantero, M.J., Eds.; Pirámide: Madrid, Spain, 2003; pp. 117–134. [Google Scholar]
- Bernal, R.; Ramírez, S.M. Improving the quality of early childhood care at scale: The effects of “From Zero to Forever”. World Dev. 2019, 118, 91–105. [Google Scholar] [CrossRef]
- Sáiz-Manzanares, M.C.; Carbonero-Martín, M.Á. Metacognitive precursors: An analysis in children with different disabilities. Brain Sci. 2017, 7, 136. [Google Scholar] [CrossRef]
- Belza, H.; Herrán, E.; Anguera, M.T. Early childhood education and cultural learning: Systematic observation of the behaviour of a caregiver at the Emmi Pikler nursery school during breakfast. Infancia y Aprendizaje 2019, 42, 128–178. [Google Scholar] [CrossRef]
- Sáiz-Manzanares, M.C.; Queiruga-Dios, M.Á.; García-Osorio, C.I.; Montero-García, E.; Rodríguez-Medina, J. Observation of Metacognitive Skills in Natural Environments: A Longitudinal Study With Mixed Methods. Front. Psychol. 2019, 10, 1–13. [Google Scholar] [CrossRef]
- Whitebread, D.; Basilio, M. Emergencia y desarrollo temprano de la autorregulación en niños preescolares. Profesorado [The emergence and early development of self-regulation in young children]. Revista de Currículum y Formación de Profesorado 2012, 16, 15–34. [Google Scholar]
- Vos, J.; Gao, W.; Chin, S.; Iverson, D.; Weaver, J. Pro JavaFX 8: A Definitive Guide to Building Desktop, Mobile, and Embedded Java Clients; Apress: New York, NY, USA, 2014. [Google Scholar] [CrossRef]
- Khushi, M.J. Benchmarking Database Performance for Genomic Data. Cell. Biochem. 2015, 116, 877–883. [Google Scholar] [CrossRef] [PubMed]
- Hartson, R.; Pyla, P.S. The UX Book: Process and Guidelines for Ensuring a Quality User Experience; Elsevier: Amsterdam, The Netherlands, 2012. [Google Scholar]
- Schwaber, K.; Beedle, M. Agile Software Development with Scrum. Upper PH; Pearson: Saddle River, NJ, USA, 2002. [Google Scholar]
- IBM Corp. SPSS Statistical Package for the Social Sciences (SPSS); Version 24; IBM: Madrid, Spain, 2016. [Google Scholar]
- Witten, I.H.; Frank, E. Data Mining: Practical Machine Learning Tools and Techniques with Java Implementations, 2rd ed.; Morgan Kaufmann Publishers: Amsterdam, The Netherlands, 2002. [Google Scholar]
- Demsar, J.; Curk, T.; Erjavec, A.; Gorup, C.; Hocevar, T.; Milutinovic, M.; Mozina, M.; Polajnar, M.; Toplak, M.; Staric, A.; et al. Orange: Data Mining Toolbox in Python. Int. J. Mach. 2013, 14, 2349–2353. [Google Scholar]
- Warr, W.A. Scientific workflow systems: Pipeline Pilot and KNIME. J. Comput. Aided Mol. Des. 2012, 26, 801–804. [Google Scholar] [CrossRef] [PubMed]
- Hernández-Orallo, J. Evaluation in artificial intelligence: From task-oriented to ability-oriented measurement. Artif. Intell. Rev. 2017, 48, 397–447. [Google Scholar] [CrossRef]
- Anastasi, A.; Urbina, S. Tests Psicológicos [Psychological Tests], 7th ed.; Prentice-Hall: Mexico, 1998. [Google Scholar]
- Lee, U.; Han, K.; Cho, H.; Chung, K.M.; Hong, H.; Lee, S.J.; Noh, Y.; Park, S.; Carroll, J.M. Intelligent positive computing with mobile, wearable, and IoT devices: Literature review and research directions. Ad Hoc Netw. 2019, 83, 8–24. [Google Scholar] [CrossRef]
- Sayakkara, A.; Le-Khac, N.-A.; Scanlon, M. Leveraging Electromagnetic Side-Channel Analysis for the Investigation of IoT Devices. Digit. Investig. 2019, 29, 94–103. [Google Scholar] [CrossRef]
- Romero, C.; Ventura, S.; García, E. Data mining in course management systems: Moodle case study and tutorial. Comput. Educ. 2008, 51, 368–384. [Google Scholar] [CrossRef]
- Gomez-Fernandez, M.; Higley, K.; Tokuhiro, A.; Welter, K.; Wong, W.K.; Yang, H. Status of research and development of learning-based approaches in nuclear science and engineering: A review. Nucl. Eng. Des. 2020, 359, 110479. [Google Scholar] [CrossRef]
- Fozoonmayeh, D.; Le, H.V.; Wittfoth, E.; Geng, C.; Ha, N.; Wang, J.; Vasilenko, M.; Ahn, Y.; Woodbridge, D.M. A Scalable Smartwatch-Based Medication Intake Detection System Using Distributed Machine Learning. J. Med. Syst. 2020, 44, 1–14. [Google Scholar] [CrossRef]
- Luo, W.; Zhou, R. Can Working Memory Task-Related EEG Biomarkers Measure Fluid Intelligence and Predict Academic Achievement in Healthy Children? Front. Behav. Neurosci. 2020, 14, 1–14. [Google Scholar] [CrossRef] [PubMed]
- Knox, J.; Williamson, B.; Bayne, S. Machine behaviourism: Future visions of ‘learnification’ and ‘datafication’ across humans and digital technologies. Learn. Media Technol. 2020, 45, 31–45. [Google Scholar] [CrossRef]
- Boyarshinov, V.T. Machine Learning Machine Learning in Computational Finance, Degree-Granting University, Location of University of Polytechnic Institute Troy, New York, May 2005. Available online: http://www.cs.rpi.edu/~magdon/LFDlabpublic.html/Theses/boyarshinov_victor/boyarshinov_PhDthesis.pdf (accessed on 7 May 2020).
- Arnaiz-González, Á.; Díez-Pastor, J.F.; Rodríguez, J.J.; García-Osorio, C. Instance selection for regression: Adapting DROP. Neurocomputing 2016, 201, 66–81. [Google Scholar] [CrossRef]
- Arnaiz-González, Á.; Díez-Pastor, J.F.; García-Osorio, C.; Rodríguez, J.J. Random feature weights for regression trees. Prog. Artif. Intell. 2016, 5, 91–103. [Google Scholar] [CrossRef]
- García, S.; Luengo, J.; Herrera, F. Data Preprocessing in Data Mining. Intelligent Systems Reference Library; Springer: Cham, Switzerland, 2015. [Google Scholar] [CrossRef]
- Vapnik, V. The Nature of Statistical Learning Theory; Springer: Berkeley, CA, USA, 2013. [Google Scholar]
- Hofmann, T.; Schölkopf, B.; Smola, A.J. Kernel methods in machine learning. Ann. Stat. 2008, 36, 1171–1220. [Google Scholar] [CrossRef]
- Silverman, B.W.; Jones, M.C. Fix and jl hodges (1951): An important contribution to nonparametric discriminant analysis and density estimation: Commentary on fix and hodges (1951). Int. Stat. Rev. Int. Stat. 1989, 57, 233–238. [Google Scholar] [CrossRef]
- Loh, W.-Y. Classification and regression trees. Rev. Data Min. Knowl. Discov. 2011, 1, 14–23. [Google Scholar] [CrossRef]
- Maudes, J.; Rodríguez, J.J.; García-Osorio, C.; García-Pedrajas, N. Random feature weights for decision tree ensemble construction. Inf. Fusion 2012, 13, 20–30. [Google Scholar] [CrossRef]
- Barlow, H.; Mao, S.; Khushi, M. Predicting High-Risk Prostate Cancer Using Machine Learning Methods. Data 2019, 4, 129. [Google Scholar] [CrossRef]
- American Psychiatric Association. Diagnostic and Statistical Manual of Mental Disorders (DSM-5); APA: Arlington, VA, USA, 2013. [Google Scholar]
- Sáiz-Manzanares, M.C.; Marticorena-Sánchez, R.; Arnaiz-González, Á. Ampliación de eEarlyCare para la evaluación y el diseño del desarrollo Voice Assistant to e-EarlyCareProgram app. General Registry of the Intellectual Property BU-106-19, 2019; Ministerio de Cultura y Deporte. Registro Central de la Propiedad Intelectual: Madrid, Spain, 2019. [Google Scholar]
- Sáiz-manzanares, M.C.; Pérez, Y. Escala para la medición de habilidades funcionales [Scale for Measuring Functional Skills]. General Registry of the Intellectual Property 00/2019/4253, 2019; Ministerio de Cultura y Deporte. Registro Central de la Propiedad Intelectual: Madrid, Spain, 2019. [Google Scholar]
- Bluma, M.S.; Shearer, M.S.; Frohman, A.H.; Hilliard, J.M. Portage Guide to Early Education, 2nd ed.; Cooperative Educational Service Agency: Pewaukee, WI, USA, 1978. [Google Scholar]
- Josse, D. Escala de desarrollo psicomotor de la primera infancia Brunet-Lézine Revisado [Scale of Psychomotor Development of Early Childhood (Brunet-Lézine-Revised)]; Psymtéc: Madrid, Spain, 1997. [Google Scholar]
- Newborg, J. Battelle Developmental Inventory. Examiner’s Manual, 2nd ed.; Itasca: Riverside, CA, USA, 2005. [Google Scholar]
- Haley, S.M.; Coster, W.J.; Ludlow, L.H.; Haltiwanger, J.T.; Andrellos, P.J. The Pediatric Evaluation of Disability Inventory (PEDI), 2nd ed.; Pearson Clinical Assessment: Washington, DC, USA, 2012. [Google Scholar]
- Bandalos, D.L.; Finney, S.J. Item Parceling Issues in Structural Equation Modeling. New Developments and Techniques in Structural Equation Modeling; Lawrence Erlbaum Associates Publishers: Mahwah, NJ, USA, 2001; pp. 269–296. [Google Scholar]
- Sáiz-Manzanares, M.C.; Marticorena-Sánchez, M.C.; Araniz-González, Á.; Díez-Pastor, J.F. eEarlyCare Computer Program (Software). General Registry of the Intellectual Property 00/2019/3855, 2019; Ministerio de Cultura y Deporte. Registro Central de la Propiedad Intelectual: Madrid, Spain, 2019. [Google Scholar]














| Gender | n | Mage (months) | SDage | Rank Age (months) | Disability Degree | Schooling | ||||
|---|---|---|---|---|---|---|---|---|---|---|
| a | b | c | d | e | f | |||||
| Boys | 15 | 62.40 | 32.58 | 24–102.50 | 6 | 4 | 5 | 2 | 7 | 6 | 
| Girls | 7 | 72.00 | 38.18 | 30–93 | 1 | 5 | 1 | 2 | 2 | 3 | 
| Functional Areas | N | Min | Max | M | SD | S | SES | K | SEK | 
|---|---|---|---|---|---|---|---|---|---|
| Food Autonomy | 22 | 0.00 | 20.00 | 9.14 | 6.86 | 0.29 | 0.49 | –0.98 | 0.95 | 
| Personal Care and Hygiene | 22 | 0.00 | 25.00 | 10.68 | 8.82 | 0.69 | 0.49 | –0.69 | 0.95 | 
| Subtotal dressing undressing waist upwards | 22 | 0.00 | 50.00 | 18.50 | 16.99 | 1.05 | 0.49 | –0.08 | 0.95 | 
| Subtotal independently dressing and undressing | 22 | 0.00 | 75.00 | 29.18 | 25.62 | 0.91 | 0.49 | –0.35 | 0.95 | 
| Sphincter Control | 22 | 0.00 | 35.00 | 12.09 | 12.99 | 1.23 | 0.49 | –0.21 | 0.95 | 
| Functional Mobility | 22 | 0.00 | 150.00 | 73.05 | 54.20 | 0.15 | 0.49 | –1.29 | 0.95 | 
| Communication and Language | 21 | 0.00 | 50.00 | 26.67 | 17.27 | –0.23 | 0.50 | –0.99 | 0.97 | 
| Resolution of tasks in Social Contexts | 22 | 0.00 | 21.00 | 8.59 | 6.37 | 0.37 | 0.49 | –0.77 | 0.95 | 
| Interactive and Symbolic Play | 22 | 0.00 | 46.00 | 19.14 | 15.19 | 0.41 | 0.49 | –1.00 | 0.95 | 
| Daily Routines | 22 | 0.00 | 15.00 | 5.50 | 5.01 | 0.93 | 0.49 | –0.36 | 0.95 | 
| Adaptive behaviour | 22 | 0.00 | 11.00 | 7.50 | 3.65 | –1.70 | 0.49 | 1.15 | 0.95 | 
| Attention | 22 | 0.00 | 10.00 | 4.14 | 3.54 | 0.52 | 0.49 | –1.01 | 0.95 | 
| Degree of Disability | Ndisability | Cluster 1 | % | Cluster 2 | % | Cluster 3 | % | 
|---|---|---|---|---|---|---|---|
| a | 6 | 4 | 19.05 | 1 | 4.76 | 2 | 9.52 | 
| b | 5 | 2 | 9.52 | 3 | 14.29 | 3 | 14.29 | 
| c | 10 | 0 | 0 | 1 | 4.76 | 5 | 23.81 | 
© 2020 by the authors. Licensee MDPI, Basel, Switzerland. This article is an open access article distributed under the terms and conditions of the Creative Commons Attribution (CC BY) license (http://creativecommons.org/licenses/by/4.0/).
Share and Cite
Sáiz-Manzanares, M.C.; Marticorena-Sánchez, R.; Arnaiz-González, Á. Evaluation of Functional Abilities in 0–6 Year Olds: An Analysis with the eEarlyCare Computer Application. Int. J. Environ. Res. Public Health 2020, 17, 3315. https://doi.org/10.3390/ijerph17093315
Sáiz-Manzanares MC, Marticorena-Sánchez R, Arnaiz-González Á. Evaluation of Functional Abilities in 0–6 Year Olds: An Analysis with the eEarlyCare Computer Application. International Journal of Environmental Research and Public Health. 2020; 17(9):3315. https://doi.org/10.3390/ijerph17093315
Chicago/Turabian StyleSáiz-Manzanares, María Consuelo, Raúl Marticorena-Sánchez, and Álvar Arnaiz-González. 2020. "Evaluation of Functional Abilities in 0–6 Year Olds: An Analysis with the eEarlyCare Computer Application" International Journal of Environmental Research and Public Health 17, no. 9: 3315. https://doi.org/10.3390/ijerph17093315
APA StyleSáiz-Manzanares, M. C., Marticorena-Sánchez, R., & Arnaiz-González, Á. (2020). Evaluation of Functional Abilities in 0–6 Year Olds: An Analysis with the eEarlyCare Computer Application. International Journal of Environmental Research and Public Health, 17(9), 3315. https://doi.org/10.3390/ijerph17093315
 
        



 
       