Construction of Pt-Cu-Vinylamine Complex on Hazelnut Shell Biochar as a Catalyst Used for Hydrosilylation of Alkenes by Tertiary Silanes
Abstract
1. Introduction
2. Materials and Methods
2.1. Materials and Apparatus
2.2. Preparation of Catalysts
2.2.1. Carriers Preparation (HBC, HBNC, and NVF-HBNC)
2.2.2. Catalysts Preparation and Test
2.3. Catalytic Applications
3. Results and Discussion
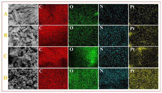
3.1. Physicochemical Properties and Structural Analysis of Different Carriers
| Sample | SBET [m2g−1] | Vtotal [cm3g−1] | Vmicro [cm3g−1] | Vmeso [cm3g−1] | Dave [35] |
|---|---|---|---|---|---|
| HBC | 129.85 | 0.135 | 0 | 0.135 | 4.697 |
| NVF-HBC | 254.102 | 0.143 | 0.092 | 0.051 | 2.553 |
| HBNC | 1215.297 | 0.548 | 0.418 | 0.13 | 2.082 |
| NVF-HBNC | 1054.483 | 0.49 | 0.37 | 0.12 | 2.081 |
3.2. Catalytic Activity and Selectivity Studies
3.3. Kinetic Modelling
3.4. Potential Catalytic Mechanisms
4. Conclusions
Supplementary Materials
Author Contributions
Funding
Institutional Review Board Statement
Informed Consent Statement
Data Availability Statement
Conflicts of Interest
References
- Liu, Y.; Li, J.; Bai, Y.; Peng, J. Highly active cobalt complex catalysts used for alkene hydrosilylation. Appl. Organomet. Chem. 2021, 35, e6315. [Google Scholar] [CrossRef]
- Hu, M.-Y.; He, P.; Qiao, T.-Z.; Sun, W.; Li, W.-T.; Lian, J.; Li, J.-H.; Zhu, S.-F. Iron-Catalyzed Regiodivergent Alkyne Hydrosilylation. J. Am. Chem. Soc. 2020, 142, 16894–16902. [Google Scholar] [CrossRef] [PubMed]
- Buslov, I.; Becouse, J.; Mazza, S.; Montandon-Clerc, M.; Hu, X. Chemoselective Alkene Hydrosilylation Catalyzed by Nickel Pincer Complexes. Angew. Chem. Int. Ed. 2015, 54, 14523–14526. [Google Scholar] [CrossRef]
- Chen, W.; Xie, Z.; Liang, H.; Zhou, X.; Hu, W.; Shu, X. Partially charged platinum on aminated and carboxylated SBA-15 as a catalyst for alkene hydrosilylation. RSC Adv. 2020, 10, 3175–3183. [Google Scholar] [CrossRef]
- Xie, Z.; Chen, W.; Chen, X.; Zhou, X.; Hu, W.; Shu, X. Platinum on 2-aminoethanethiol functionalized MIL-101 as a catalyst for alkene hydrosilylation. RSC Adv. 2019, 9, 20314–20322. [Google Scholar] [CrossRef]
- Mujahed, S.; Gandolfo, D.; Vaccaro, L.; Kirillov, E.; Gelman, D. A high-valent Ru-PCP pincer catalyst for hydrosilylation reactions. Mol. Catal. 2024, 553, 113686. [Google Scholar] [CrossRef]
- Liu, X.-T.; Zhang, G.-L.; Zeng, J.-H.; Hu, J.; Zhan, Z.-P. Pd(acac)2/Xantphos: A highly efficient and readily available catalyst for regioselective hydrosilylation of allenes. Phosphorus Sulfur Silicon Relat. Elem. 2020, 196, 349–352. [Google Scholar] [CrossRef]
- Motokura, K.; Maeda, K.; Chun, W.-J. SiO2-Supported Rh Catalyst for Efficient Hydrosilylation of Olefins Improved by Simultaneously Immobilized Tertiary Amines. ACS Catal. 2017, 7, 4637–4641. [Google Scholar] [CrossRef]
- Lewis, K.M.; Couderc, S. 1946 and the Early History of Hydrosilylation. Molecules 2022, 27, 4341. [Google Scholar] [CrossRef]
- Bai, Y.; Liu, J.; Ouyang, T.; Lan, H.; Peng, J.; Li, J. Synthesis of organosilicon-containing phosphinyl ligands and application in the iron catalyzed hydrosilylation of olefins. Appl. Organomet. Chem. 2024, 38, e7493. [Google Scholar] [CrossRef]
- Kobayashi, K.; Nakazawa, H. Catalytic hydrosilylation of olefins and ketones by base metal complexes bearing a 2,2′:6′,2′′-terpyridine ancillary ligand. Inorganica Chim. Acta 2021, 523, 120403. [Google Scholar] [CrossRef]
- Takahashi, S.; Baceiredo, A.; Saffon-Merceron, N.; Kato, T. Hydrosilylation of Dihydrosilylium Ion Stabilized by Coordination of a σ-Donating Ni(0) Ligand. Z. Für Anorg. Und Allg. Chem. 2024, 650, e202400062. [Google Scholar] [CrossRef]
- Schuster, C.H.; Diao, T.; Pappas, I.; Chirik, P.J. Bench-Stable, Substrate-Activated Cobalt Carboxylate Pre-Catalysts for Alkene Hydrosilylation with Tertiary Silanes. ACS Catal. 2016, 6, 2632–2636. [Google Scholar] [CrossRef]
- de Almeida, L.D.; Wang, H.; Junge, K.; Cui, X.; Beller, M. Recent Advances in Catalytic Hydrosilylations: Developments beyond Traditional Platinum Catalysts. Angew. Chem. Int. Ed. 2020, 60, 550–565. [Google Scholar] [CrossRef]
- Gulyaeva, E.S.; Osipova, E.S.; Buhaibeh, R.; Canac, Y.; Sortais, J.-B.; Valyaev, D.A. Towards ligand simplification in manganese-catalyzed hydrogenation and hydrosilylation processes. Coord. Chem. Rev. 2022, 458, 214421. [Google Scholar] [CrossRef]
- Radchenko, A.V.; Ganachaud, F. Photocatalyzed Hydrosilylation in Silicone Chemistry. Ind. Eng. Chem. Res. 2022, 61, 7679–7698. [Google Scholar] [CrossRef]
- Mitsudome, T.; Fujita, S.; Sheng, M.; Yamasaki, J.; Kobayashi, K.; Yoshida, T.; Maeno, Z.; Mizugaki, T.; Jitsukawa, K.; Kaneda, K. Air-stable and reusable cobalt ion-doped titanium oxide catalyst for alkene hydrosilylation. Green Chem. 2019, 21, 4566–4570. [Google Scholar] [CrossRef]
- Zhao, J.; Gui, Y.; Liu, Y.; Wang, G.; Zhang, H.; Sun, Y.; Fang, S. Highly Efficient and Magnetically Recyclable Pt Catalysts for Hydrosilylation Reactions. Catal. Lett. 2017, 147, 1127–1132. [Google Scholar] [CrossRef]
- Chang, J.; Fang, F.; Tu, C.; Zhang, J.; Ma, N.; Chen, X. Application of bis(phosphinite) pincer nickel complexes to the catalytic hydrosilylation of aldehydes. Inorganica Chim. Acta 2021, 515, 120088. [Google Scholar] [CrossRef]
- Rivero-Crespo, M.; Oliver-Meseguer, J.; Kapłońska, K.; Kuśtrowski, P.; Pardo, E.; Cerón-Carrasco, J.P.; Leyva-Pérez, A. Cyclic metal(oid) clusters control platinum-catalysed hydrosilylation reactions: From soluble to zeolite and MOF catalysts. Chem. Sci. 2020, 11, 8113–8124. [Google Scholar] [CrossRef]
- Maeda, K.; Motokura, K. Recent Advances on Heterogeneous Metal Catalysts for Hydrosilylation of Olefins. J. Jpn. Pet. Inst. 2020, 63, 1–9. [Google Scholar] [CrossRef]
- Liu, Y.; Lu, J.; Cui, Y. Improved thermal conductivity of epoxy resin by graphene–nickel three-dimensional filler. Carbon Resour. Convers. 2020, 3, 29–35. [Google Scholar] [CrossRef]
- Pandey, D.; Daverey, A.; Arunachalam, K. Biochar: Production, properties and emerging role as a support for enzyme immobilization. J. Clean. Prod. 2020, 255, 120267. [Google Scholar] [CrossRef]
- Kazemi Shariat Panahi, H.; Dehhaghi, M.; Ok, Y.S.; Nizami, A.-S.; Khoshnevisan, B.; Mussatto, S.I.; Aghbashlo, M.; Tabatabaei, M.; Lam, S.S. A comprehensive review of engineered biochar: Production, characteristics, and environmental applications. J. Clean. Prod. 2020, 270, 122462. [Google Scholar] [CrossRef]
- Zhang, W.-R.; Zhang, W.-W.; Li, H.; Li, B.-J. Amide-Directed, Rhodium-Catalyzed Enantioselective Hydrosilylation of Unactivated Internal Alkenes. Org. Lett. 2023, 25, 1667–1672. [Google Scholar] [CrossRef]
- Xie, H.; Yue, H.; Zhang, W.; Hu, W.; Zhou, X.; Prinsen, P.; Luque, R. A chitosan modified Pt/SiO2 catalyst for the synthesis of 3-poly(ethylene glycol) propyl ether-heptamethyltrisiloxane applied as agricultural synergistic agent. Catal. Commun. 2018, 104, 118–122. [Google Scholar] [CrossRef]
- Li, L.; Li, Y.; Yan, J.; Cao, H.; Shao, D.; Bao, J.J. A magnetically recyclable superparamagnetic silica supported Pt nanocatalyst through a multi-carboxyl linker: Synthesis, characterization, and applications in alkene hydrosilylation. Rsc Adv. 2019, 9, 12696–12709. [Google Scholar] [CrossRef]
- Wang, R.; Liang, S.; Zhu, J.; Luo, M.; Peng, H.; Shi, R.; Yin, W. Hydrosilylation of alkenes with tertiary silanes under mild conditions by Pt(II)-vinyl complex supported on modified rice straw biochar. Mol. Catal. 2023, 542, 113141. [Google Scholar] [CrossRef]
- Li, H.; Wang, S.; Yuan, Z.; Wang, X.; Yao, K.; Pang, Z. Synthesis of Magnetic N-Vinylformamide Grafted Starch and Its Application in Heavy Metals Adsorption. Macromol. Chem. Phys. 2024, 225, 2400010. [Google Scholar] [CrossRef]
- Chu, Y.-L.; Huang, Y.-C.; Tseng, Y.-C.; Chang, C.-C.; Teng, H.; Chen, B.-H.; Jan, J.-S. Green aqueous binder poly(N-vinylformamide) for high-rate capability Li4Ti5O12 anode in lithium-ion batteries. J. Power Sources 2022, 552, 232205. [Google Scholar] [CrossRef]
- Thommes, M.; Kaneko, K.; Neimark, A.V.; Olivier, J.P.; Rodriguez-Reinoso, F.; Rouquerol, J.; Sing, K.S.W. Physisorption of gases, with special reference to the evaluation of surface area and pore size distribution (IUPAC Technical Report). Pure Appl. Chem. 2015, 87, 1051–1069. [Google Scholar] [CrossRef]
- Sanchis, I.; Rodriguez, J.J.; Mohedano, A.F.; Diaz, E. N-doped activated carbon as support of Pd-Sn bimetallic catalysts for nitrate catalytic reduction. Catal. Today 2023, 423, 114011. [Google Scholar] [CrossRef]
- Jurjevec, S.; Debuigne, A.; Žagar, E.; Kovačič, S. An environmentally benign post-polymerization functionalization strategy towards unprecedented poly(vinylamine) polyHIPEs. Polym. Chem. 2021, 12, 1155–1164. [Google Scholar] [CrossRef]
- Kim, K.-H.; Song, Y.-J.; Ahn, H.-J. N-doped mesoporous activated carbon derived from protein-rich biomass for energy storage applications. Korean J. Chem. Eng. 2023, 40, 1071–1076. [Google Scholar] [CrossRef]
- Lü, H.; Chen, X.; Sun, Q.; Zhao, N.; Guo, X. Uniform Garnet Nanoparticle Dispersion in Composite Polymer Electrolytes. Acta Phys. -Chim. Sin. 2024, 40, 2305016. [Google Scholar] [CrossRef]
- Goto, Y.; Inagaki, S. Pt-loaded nitrogen-doped porous carbon/silica composites derived from Pt complex-immobilized bipyridine-bridged mesoporous organosilica. Microporous Mesoporous Mater. 2023, 362, 112789. [Google Scholar] [CrossRef]
- Leng, L.; Xu, S.; Liu, R.; Yu, T.; Zhuo, X.; Leng, S.; Xiong, Q.; Huang, H. Nitrogen containing functional groups of biochar: An overview. Bioresour. Technol. 2020, 298, 122286. [Google Scholar] [CrossRef] [PubMed]
- Ye, Z.; Shi, H.; Shen, H. Synthesis of MCM-41-supported Mercapto and Vinyl Platinum Complex Catalyst for Hydrosilylation. Phosphorus Sulfur Silicon Relat. Elem. 2015, 190, 1621–1631. [Google Scholar] [CrossRef]
- Nie, L.; Yu, J.; Li, X.; Cheng, B.; Liu, G.; Jaroniec, M. Enhanced Performance of NaOH-Modified Pt/TiO2 toward Room Temperature Selective Oxidation of Formaldehyde. Environ. Sci. Technol. 2013, 47, 2777–2783. [Google Scholar] [CrossRef] [PubMed]
- Zhang, K.; Sun, P.; Faye, M.C.A.S.; Zhang, Y. Characterization of biochar derived from rice husks and its potential in chlorobenzene degradation. Carbon 2018, 130, 730–740. [Google Scholar] [CrossRef]
- Dietrich, A.; Mejía, E. Investigations on the hydrosilylation of allyl cyanide: Synthesis and characterization of cyanopropyl-functionalized silicones. Eur. Polym. J. 2020, 122, 109377. [Google Scholar] [CrossRef]
- Shen, Q.; Chen, X.; Tan, Y.; Chen, J.; Chen, L.; Tan, S. Metal-Free N-Formylation of Amines with CO2 and Hydrosilane by Nitrogen-Doped Graphene Nanosheets. ACS Appl. Mater. Interfaces 2019, 11, 38838–38848. [Google Scholar] [CrossRef] [PubMed]
- Giorgi, G.; De Angelis, F.; Re, N.; Sgamellotti, A. A density functional study on the Pt(0)-catalysed hydrosilylation of ethylene. J. Mol. Struct. THEOCHEM 2003, 623, 277–288. [Google Scholar] [CrossRef]
- Buslov, I.; Song, F.; Hu, X. An Easily Accessed Nickel Nanoparticle Catalyst for Alkene Hydrosilylation with Tertiary Silanes. Angew. Chem. Int. Ed. 2016, 55, 12295–12299. [Google Scholar] [CrossRef] [PubMed]
- Ciriminna, R.; Pandarus, V.; Gingras, G.; Béland, F.; Pagliaro, M. Closing the Organosilicon Synthetic Cycle: Efficient Heterogeneous Hydrosilylation of Alkenes over SiliaCat Pt(0). ACS Sustain. Chem. Eng. 2013, 1, 249–253. [Google Scholar] [CrossRef]
- Pandarus, V.; Ciriminna, R.; Gingras, G.; Béland, F.; Kaliaguine, S.; Pagliaro, M. Waste-free and efficient hydrosilylation of olefins. Green Chem. 2019, 21, 129–140. [Google Scholar] [CrossRef]
- Zhu, Y.; Cao, T.; Cao, C.; Luo, J.; Chen, W.; Zheng, L.; Dong, J.; Zhang, J.; Han, Y.; Li, Z.; et al. One-Pot Pyrolysis to N-Doped Graphene with High-Density Pt Single Atomic Sites as Heterogeneous Catalyst for Alkene Hydrosilylation. ACS Catalysis 2018, 8, 10004–10011. [Google Scholar] [CrossRef]
- Walczak, M.; Stefanowska, K.; Franczyk, A.; Walkowiak, J.; Wawrzyńczak, A.; Marciniec, B. Hydrosilylation of alkenes and alkynes with silsesquioxane (HSiMe2O)(i-Bu)7Si8O12 catalyzed by Pt supported on a styrene-divinylbenzene copolymer. J. Catal. 2018, 367, 1–6. [Google Scholar] [CrossRef]
- Ali, I.S.; Chen, L.; Rezvani, F.; Zhou, X.; Tait, S.L. Tuning coordinated supported catalysts: Carboxylic acid-based ligands to improve ceria-supported Pt catalysts for hydrosilylation. Appl. Catal. A Gen. 2022, 639, 118634. [Google Scholar] [CrossRef]
- Shao, D.; Li, Y. Preparation of polycarboxylic acid-functionalized silica supported Pt catalysts and their applications in alkene hydrosilylation. RSC Adv. 2018, 8, 20379–20393. [Google Scholar] [CrossRef]
- Chen, Y.; Ji, S.; Sun, W.; Chen, W.; Dong, J.; Wen, J.; Zhang, J.; Li, Z.; Zheng, L.; Chen, C.; et al. Discovering Partially Charged Single-Atom Pt for Enhanced Anti-Markovnikov Alkene Hydrosilylation. J. Am. Chem. Soc. 2018, 140, 7407–7410. [Google Scholar] [CrossRef] [PubMed]
- Zhu, J.; Wang, R.; Zhang, S.; Xie, X.; Luo, M.; Peng, H.; Liu, Y.; Shi, R.; Yin, W. Supported bimetallic PtNi-vinyl complex for hydrosilylation of straight-chain terminal alkenes with tertiary silanes: Effect of Ni promoter on catalytic performance. Chem. Eng. Sci. 2024, 296, 120228. [Google Scholar] [CrossRef]
- Gärtner, D.; Sandl, S.; Jacobi von Wangelin, A. Homogeneous vs. heterogeneous: Mechanistic insights into iron group metal-catalyzed reductions from poisoning experiments. Catal. Sci. Technol. 2020, 10, 3502–3514. [Google Scholar] [CrossRef]












| Carrier | Volume of H2PtCl6·6H2O (mL) | Volume of Cu(NO3)2·3H2O (mL) | Mass Ratio (wt.%) | Mass Ratio of Pt:Cu | Name | |
|---|---|---|---|---|---|---|
| Pt | Cu | |||||
| NVF-HBNC | 1.5 | 0.45 | 1.13 | 0.36 | 3.2 | Pt3.2Cu-NVF-HBNC |
| NVF-HBNC | 1.5 | 0.8 | 1.09 | 0.67 | 1.6 | Pt1.6Cu-NVF-HBNC |
| NVF-HBNC | 1.5 | 1.05 | 0.94 | 0.85 | 1.1 | Pt1.1Cu-NVF-HBNC |
| NVF-HBNC | 5 | 0 | 4.99 | 0 | - | Pt-NVF-HBNC |
| NVF-HBNC | 0 | 0.85 | 0 | 0.76 | - | Cu-NVF-HBNC |
| HBC | 1.5 | 0.8 | 0.89 | 0.58 | 1.53 | Pt1.5Cu-HBC |
| HBNC | 2.1 | 0.95 | 1.01 | 0.71 | 1.42 | Pt1.4Cu-HBNC |
| NVF-HBC | 1.5 | 0.8 | 1.03 | 0.62 | 1.66 | Pt1.7Cu-NVF-HBC |
| Entry | Catalyst | Conv. (%) | Yield (%) |
|---|---|---|---|
| 1 | Pt3.2Cu-NVF-HBNC | 95.1 | 95 |
| 2 | Pt1.6Cu-NVF-HBNC | 99.2 | 99.4 |
| 3 | Pt1.1Cu-NVF-HBNC | 91.2 | 93.6 |
| 4 | Pt0.23Cu-NVF-HBNC | 75.4 | 89.8 |
| 5 | Pt1.6Cu-HBC | 61.1 | 78.4 |
| 6 | Pt1.5Cu-HBNC | 69.5 | 81.8 |
| 7 | Pt1.7Cu-NVF-HBC | 84.6 | 90.2 |
| 8 | Cu-NVF-HBNC | 0 | 0 |
| 9 | Pt-NVF-HBNC | 98.6 | 99.3 |
| Reactant | Temperature (°C) | Correlation Coefficient R2 | Reaction Rate Constant K2 (mol·L−1·min)−1 |
|---|---|---|---|
| 1-hexene and TES | 40 | 0.9853 | 0.1285 |
| 50 | 0.9935 | 0.1864 | |
| 60 | 0.9845 | 0.2231 | |
| 1-octene and TES | 80 | 0.9926 | 0.1157 |
| 90 | 0.994 | 0.1447 | |
| 100 | 0.9939 | 0.1738 | |
| 1-octadecene and TES | 80 | 0.9911 | 0.0664 |
| 90 | 0.9882 | 0.1353 | |
| 100 | 0.9852 | 0.1993 |
Disclaimer/Publisher’s Note: The statements, opinions and data contained in all publications are solely those of the individual author(s) and contributor(s) and not of MDPI and/or the editor(s). MDPI and/or the editor(s) disclaim responsibility for any injury to people or property resulting from any ideas, methods, instructions or products referred to in the content. |
© 2025 by the authors. Licensee MDPI, Basel, Switzerland. This article is an open access article distributed under the terms and conditions of the Creative Commons Attribution (CC BY) license (https://creativecommons.org/licenses/by/4.0/).
Share and Cite
Zhou, J.; Zhang, Q.; Wang, M.; Xiao, Z.; Zhang, Y. Construction of Pt-Cu-Vinylamine Complex on Hazelnut Shell Biochar as a Catalyst Used for Hydrosilylation of Alkenes by Tertiary Silanes. Molecules 2025, 30, 3704. https://doi.org/10.3390/molecules30183704
Zhou J, Zhang Q, Wang M, Xiao Z, Zhang Y. Construction of Pt-Cu-Vinylamine Complex on Hazelnut Shell Biochar as a Catalyst Used for Hydrosilylation of Alkenes by Tertiary Silanes. Molecules. 2025; 30(18):3704. https://doi.org/10.3390/molecules30183704
Chicago/Turabian StyleZhou, Jing, Qiqi Zhang, Mengying Wang, Zongmu Xiao, and Yixin Zhang. 2025. "Construction of Pt-Cu-Vinylamine Complex on Hazelnut Shell Biochar as a Catalyst Used for Hydrosilylation of Alkenes by Tertiary Silanes" Molecules 30, no. 18: 3704. https://doi.org/10.3390/molecules30183704
APA StyleZhou, J., Zhang, Q., Wang, M., Xiao, Z., & Zhang, Y. (2025). Construction of Pt-Cu-Vinylamine Complex on Hazelnut Shell Biochar as a Catalyst Used for Hydrosilylation of Alkenes by Tertiary Silanes. Molecules, 30(18), 3704. https://doi.org/10.3390/molecules30183704

