Sign in to use this feature.

Years

Between: -

Subjects

remove_circle_outline
remove_circle_outline
remove_circle_outline
remove_circle_outline
remove_circle_outline
remove_circle_outline
remove_circle_outline

Journals

Article Types

Countries / Regions

Search Results (26)

Search Parameters:
Keywords = re-epithelization process

Order results
Result details
Results per page
Select all
Export citation of selected articles as:
19 pages, 7749 KB  
Article
Targeted Antibacterial Endolysin to Treat Infected Wounds on 3D Full-Thickness Skin Model: XZ.700 Efficacy
by Marisa Meloni, Bob de Rooij, Ferdinand W. Janssen, Francesca Rescigno and Bernadette Lombardi
Pharmaceutics 2024, 16(12), 1539; https://doi.org/10.3390/pharmaceutics16121539 - 1 Dec 2024
Cited by 3 | Viewed by 2620
Abstract
Backgrounds/Objectives: Skin wound healing is a physiological process orchestrated by epithelial and mesenchymal cells able to restore tissue continuity by re-organizing themselves and the ECM. This research study aimed to develop an optimized in vitro experimental model of full-thickness skin, to address molecular [...] Read more.
Backgrounds/Objectives: Skin wound healing is a physiological process orchestrated by epithelial and mesenchymal cells able to restore tissue continuity by re-organizing themselves and the ECM. This research study aimed to develop an optimized in vitro experimental model of full-thickness skin, to address molecular and morphological modifications occurring in the re-epithelization and wound healing process. Methods: Wound healing starting events were investigated within an experimental window of 8 days at the molecular level by gene expression and immunofluorescence of key epidermal and dermal biomarkers. To mirror the behavior of infected wounds, the established wound healing model was then colonized with S. aureus, and the efficacy of a novel antibacterial agent, XZ.700, was investigated. Viable counts (CFU/tissue), IF, and ultrastructural analysis (SEM) were performed to evaluate S. aureus colonization inside and around the wound bed in an experimental window of 3 h of colonization and 24 h of treatment. Results: Endolysin showed an efficacy in counteracting bacterial growth and invasion within the wound bed, reducing the S. aureus load compared to its placebo, thanks to its selective antimicrobial activity interfering with biofilm formation. Conclusions: The preclinical in vitro infected wound model on FT-kin showed interesting applications to assess the repair efficacy of dermo-pharmaceutical and cosmetic formulations. Full article
(This article belongs to the Special Issue Therapeutic Approaches for Wound-Associated Skin Diseases)
Show Figures

Figure 1

16 pages, 325 KB  
Review
Latest Insights into the In Vivo Studies in Murine Regarding the Role of TRP Channels in Wound Healing—A Review
by Alexandra Grigore, Oana Andreia Coman, Horia Păunescu, Mihnea Costescu and Ion Fulga
Int. J. Mol. Sci. 2024, 25(12), 6753; https://doi.org/10.3390/ijms25126753 - 19 Jun 2024
Cited by 5 | Viewed by 2880
Abstract
Wound healing involves physical, chemical and immunological processes. Transient receptor potential (TRP) and other ion channels are implicated in epidermal re-epithelization. Ion movement across ion channels can induce transmembrane potential that leads to transepithelial potential (TEP) changes. TEP is present in epidermis surrounding [...] Read more.
Wound healing involves physical, chemical and immunological processes. Transient receptor potential (TRP) and other ion channels are implicated in epidermal re-epithelization. Ion movement across ion channels can induce transmembrane potential that leads to transepithelial potential (TEP) changes. TEP is present in epidermis surrounding the lesion decreases and induces an endogenous direct current generating an epithelial electric field (EF) that could be implicated in wound re-epithelialization. TRP channels are involved in the activation of immune cells during mainly the inflammatory phase of wound healing. The aim of the study was to review the mechanisms of ion channel involvement in wound healing in in vivo experiments in murine (mice, rats) and how can this process be influenced. This review used the latest results published in scientific journals over the last year and this year to date (1 January 2023–31 December 3000) in order to include the in-press articles. Some types of TRP channels, such as TRPV1, TRPV3 and TRPA1, are expressed in immune cells and can be activated by inflammatory mediators. The most beneficial effects in wound healing are produced using agonists of TRPV1, TRPV4 and TRPA1 channels or by inhibiting with antagonists, antisense oligonucleotides or knocking down TRPV3 and TRPM8 channels. Full article
14 pages, 5837 KB  
Article
Pre-Incisional and Multiple Intradermal Injection of N-Acetylcysteine Slightly Improves Incisional Wound Healing in an Animal Model
by Wiktor Pascal, Antoni Smoliński, Mateusz Gotowiec, Marta Wojtkiewicz, Albert Stachura, Kacper Pełka, Michał Kopka, Kyle P. Quinn, Alan E. Woessner, Dariusz Grzelecki and Paweł Włodarski
Int. J. Mol. Sci. 2024, 25(10), 5200; https://doi.org/10.3390/ijms25105200 - 10 May 2024
Cited by 4 | Viewed by 3791
Abstract
The objective of this study was to investigate if delivering multiple doses of N-acetylcysteine (NAC) post-surgery in addition to pre-incisional administration significantly impacts the wound healing process in a rat model. Full-thickness skin incisions were carried out on the dorsum of 24 Sprague-Dawley [...] Read more.
The objective of this study was to investigate if delivering multiple doses of N-acetylcysteine (NAC) post-surgery in addition to pre-incisional administration significantly impacts the wound healing process in a rat model. Full-thickness skin incisions were carried out on the dorsum of 24 Sprague-Dawley rats in six locations. Fifteen minutes prior to the incision, half of the sites were treated with a control solution, with the wounds on the contralateral side treated with solutions containing 0.015%, 0.03% and 0.045% of NAC. In the case of the NAC treated group, further injections were given every 8 h for three days. On days 3, 7, 14 and 60 post-op, rats were sacrificed to gather material for the histological analysis, which included histomorphometry, collagen fiber organization analysis, immunohistochemistry and Abramov scale scoring. It was determined that scars treated with 0.015% NAC had significantly lower reepithelization than the control at day 60 post-op (p = 0.0018). Scars treated with 0.045% NAC had a significantly lower collagen fiber variance compared to 0.015% NAC at day 14 post-op (p = 0.02 and p = 0.04) and a lower mean scar width than the control at day 60 post-op (p = 0.0354 and p = 0.0224). No significant differences in the recruitment of immune cells and histological parameters were found. The results point to a limited efficacy of multiple NAC injections post-surgery in wound healing. Full article
(This article belongs to the Special Issue New Molecular Insights into Scar and Wounds)
Show Figures

Figure 1

16 pages, 14211 KB  
Article
Wound Healing Performance in a Moist Environment of Crystalline Glucose/Mannose Film as a New Dressing Material Using a Rat Model: Comparing with Medical-Grade Wound Dressing and Alginate
by Celine Chia Qi Wong, Kanako Tomura and Osamu Yamamoto
Pharmaceuticals 2023, 16(11), 1532; https://doi.org/10.3390/ph16111532 - 30 Oct 2023
Cited by 13 | Viewed by 9589
Abstract
Although medical wound dressings produced using hydrocolloids and alginate were effective in wound healing, adhesion at the wound site and the resulting delayed healing have been a problem. As a new wound dressing material, crystalline wound dressings produced from glucose/mannose were used in [...] Read more.
Although medical wound dressings produced using hydrocolloids and alginate were effective in wound healing, adhesion at the wound site and the resulting delayed healing have been a problem. As a new wound dressing material, crystalline wound dressings produced from glucose/mannose were used in this study, which aimed to clarify the properties, adhesion reduction, and wound healing performance of a new wound dressing. Crystalline glucose/mannose films were obtained via alkali treatment using the solution casting method. The structure of the crystalline glucose/mannose films was analogous to the cellulose II polymorph, and the crystallinity decreased with time in hydrated conditions. The crystalline glucose/mannose films had adequate water absorption of 34 × 10−4 g/mm3 for 5 min. These allowed crystalline glucose/mannose films to remove excess wound exudates while maintaining a moist wound healing condition. This in vivo study demonstrated the healing effects of three groups, which were crystalline glucose/mannose group > alginate group > hydrocolloid group. At 1 week, the crystalline glucose/mannose group was also found to be non-adhesive to the portion of wound healing. This was evidenced by the earlier onset of the healing process, which assisted in re-epithelization and promotion of collagen formation and maturation. These results implied that crystalline glucose/mannose films were a promising candidate that could accelerate the wound healing process, compared with medical-grade wound dressing and alginate. Full article
(This article belongs to the Special Issue Development of Specific Dosage Form: Wound Dressing)
Show Figures

Figure 1

20 pages, 10831 KB  
Article
Composite Hydrogels with Embedded Silver Nanoparticles and Ibuprofen as Wound Dressing
by Irina Popescu, Marieta Constantin, Gheorghe Solcan, Daniela Luminita Ichim, Delia Mihaela Rata, Loredana Horodincu and Carmen Solcan
Gels 2023, 9(8), 654; https://doi.org/10.3390/gels9080654 - 14 Aug 2023
Cited by 26 | Viewed by 4858
Abstract
The wound healing process is often slowed down as a result of complications from bacterial infections and inflammatory reactions. Therefore, it is necessary to develop dressings with fast antibacterial and anti-inflammatory activity that shorten the wound healing period by promoting cell migration and [...] Read more.
The wound healing process is often slowed down as a result of complications from bacterial infections and inflammatory reactions. Therefore, it is necessary to develop dressings with fast antibacterial and anti-inflammatory activity that shorten the wound healing period by promoting cell migration and proliferation. Chitosan (CS)-based hydrogels have been widely studied for their antibacterial and wound healing capabilities. Herein, we developed a composite hydrogel based on CS and PVA embedding silver nanoparticles (AgNPs) with antibacterial properties and ibuprofen (Ib) as an anti-inflammatory agent. The hydrogel prepared by double physical cross-linking, with oxalic acid and by freeze–thawing, loaded with 0.225 wt.% AgNPs and 0.264 wt.% Ib, displayed good mechanical properties (compressive modulus = 132 kPa), a high swelling degree and sustained drug delivery (in simulated skin conditions). Moreover, the hydrogel showed strong antibacterial activity against S. aureus and K. pneumoniae due to the embedded AgNPs. In vivo, this hydrogel accelerated the wound regeneration process through the enhanced expression of TNF alpha IP8, by activating downstream cascades and supporting the healing process of inflammation; Cox2, which enhances the migration and proliferation of cells involved in re-epithelization and angiogenesis; MHCII, which promotes immune cooperation between local cells, eliminating dead tissue and controlling infection; the intense expression of Col I as a major marker in the tissue granulation process; and αSMA, which marks the presence of myofibroblasts involved in wound closure and indicates ongoing re-epithelization. The results reveal the potential healing effect of CS/PVA/AgNPs/Ib hydrogels and suggest their potential use as wound dressings. Full article
(This article belongs to the Special Issue Recent Advances in Hydrogels for Wound Healing)
Show Figures

Graphical abstract

23 pages, 3847 KB  
Review
Polymer-Based Hydrogel Loaded with Honey in Drug Delivery System for Wound Healing Applications
by Siti Nor Najihah Yasin, Zulfahmi Said, Nadia Halib, Zulaiha A Rahman and Noor Izzati Mokhzani
Polymers 2023, 15(14), 3085; https://doi.org/10.3390/polym15143085 - 18 Jul 2023
Cited by 36 | Viewed by 11406
Abstract
Excellent wound dressings should have crucial components, including high porosity, non-toxicity, high water absorption, and the ability to retain a humid environment in the wound area and facilitate wound healing. Unfortunately, current wound dressings hamper the healing process, with poor antibacterial, anti-inflammatory, and [...] Read more.
Excellent wound dressings should have crucial components, including high porosity, non-toxicity, high water absorption, and the ability to retain a humid environment in the wound area and facilitate wound healing. Unfortunately, current wound dressings hamper the healing process, with poor antibacterial, anti-inflammatory, and antioxidant activity, frequent dressing changes, low biodegradability, and poor mechanical properties. Hydrogels are crosslinked polymer chains with three-dimensional (3D) networks that have been applicable as wound dressings. They could retain a humid environment on the wound site, provide a protective barrier against pathogenic infections, and provide pain relief. Hydrogel can be obtained from natural, synthetic, or hybrid polymers. Honey is a natural substance that has demonstrated several therapeutic efficacies, including anti-inflammatory, antibacterial, and antioxidant activity, which makes it beneficial for wound treatment. Honey-based hydrogel wound dressings demonstrated excellent characteristics, including good biodegradability and biocompatibility, stimulated cell proliferation and reepithelization, inhibited bacterial growth, and accelerated wound healing. This review aimed to demonstrate the potential of honey-based hydrogel in wound healing applications and complement the studies accessible regarding implementing honey-based hydrogel dressing for wound healing. Full article
Show Figures

Figure 1

14 pages, 45816 KB  
Article
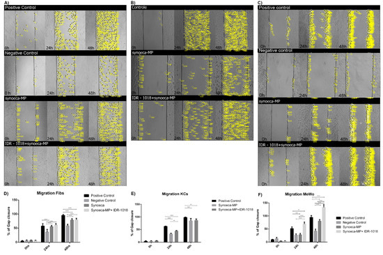
The Combination of Synoeca-MP Antimicrobial Peptide with IDR-1018 Stimulates Proliferation, Migration, and the Expression of Pro-Regenerative Genes in Both Human Skin Cell Cultures and 3D Skin Equivalents
by Thuany Alencar-Silva, Rubén D. Díaz-Martín, Alessandra Zonari, Daniel Foyt, Mylieneth Guiang, Robert Pogue, Felipe Saldanha-Araujo, Simoni Campos Dias, Octavio Luiz Franco and Juliana Lott Carvalho
Biomolecules 2023, 13(5), 804; https://doi.org/10.3390/biom13050804 - 9 May 2023
Cited by 7 | Viewed by 2955
Abstract
In skin lesions, the development of microbial infection affects the healing process, increasing morbidity and mortality rates in patients with severe burns, diabetic foot, and other types of skin injuries. Synoeca-MP is an antimicrobial peptide (AMP) that exhibits activity against several bacteria of [...] Read more.
In skin lesions, the development of microbial infection affects the healing process, increasing morbidity and mortality rates in patients with severe burns, diabetic foot, and other types of skin injuries. Synoeca-MP is an antimicrobial peptide (AMP) that exhibits activity against several bacteria of clinical importance, but its cytotoxicity can represent a problem for its positioning as an effective antimicrobial compound. In contrast, the immunomodulatory peptide IDR-1018 presents low toxicity and a wide regenerative potential due to its ability to reduce apoptotic mRNA expression and promote skin cell proliferation. In the present study, we used human skin cells and a 3D skin equivalent models to analyze the potential of the IDR-1018 peptide to attenuate the cytotoxicity of synoeca-MP, as well as the influence of synoeca-MP/IDR-1018 combination on cell proliferation, regenerative processes, and wound repair. We found that the addition of IDR-1018 significantly improved the biological properties of synoeca-MP on skin cells without modifying its antibacterial activity against S. aureus. Likewise, in both melanocytes and keratinocytes, the treatment with synoeca-MP/IDR-1018 combination induces cell proliferation and migration, while in a 3D human skin equivalent model, it can accelerate wound reepithelization. Furthermore, treatment with this peptide combination generates an up-regulation in the expression of pro-regenerative genes in both monolayer cell cultures and in 3D skin equivalents. This data suggests that the synoeca-MP/IDR-1018 combination possesses a good profile of antimicrobial and pro-regenerative activity, opening the door to the development of new strategies for the treatment of skin lesions. Full article
(This article belongs to the Section Natural and Bio-derived Molecules)
Show Figures

Figure 1

22 pages, 4265 KB  
Article
Dipotassium Glycyrrhizininate Improves Skin Wound Healing by Modulating Inflammatory Process
by Camila dos Santos Leite, Gabriel Alves Bonafé, Oscar César Pires, Tanila Wood dos Santos, Geovanna Pacciulli Pereira, José Aires Pereira, Thalita Rocha, Carlos Augusto Real Martinez, Manoela Marques Ortega and Marcelo Lima Ribeiro
Int. J. Mol. Sci. 2023, 24(4), 3839; https://doi.org/10.3390/ijms24043839 - 14 Feb 2023
Cited by 20 | Viewed by 12947
Abstract
Wound healing is characterized by a systemic and complex process of cellular and molecular activities. Dipotassium Glycyrrhizinate (DPG), a side product derived from glycyrrhizic acid, has several biological effects, such as being antiallergic, antioxidant, antibacterial, antiviral, gastroprotective, antitumoral, and anti-inflammatory. This study aimed [...] Read more.
Wound healing is characterized by a systemic and complex process of cellular and molecular activities. Dipotassium Glycyrrhizinate (DPG), a side product derived from glycyrrhizic acid, has several biological effects, such as being antiallergic, antioxidant, antibacterial, antiviral, gastroprotective, antitumoral, and anti-inflammatory. This study aimed to evaluate the anti-inflammatory effect of topical DPG on the healing of cutaneous wounds by secondary intention in an in vivo experimental model. Twenty-four male Wistar rats were used in the experiment, and were randomly divided into six groups of four. Circular excisions were performed and topically treated for 14 days after wound induction. Macroscopic and histopathological analyses were performed. Gene expression was evaluated by real-time qPCR. Our results showed that treatment with DPG caused a decrease in the inflammatory exudate as well as an absence of active hyperemia. Increases in granulation tissue, tissue reepithelization, and total collagen were also observed. Furthermore, DPG treatment reduced the expression of pro-inflammatory cytokines (Tnf-α, Cox-2, Il-8, Irak-2, Nf-kB, and Il-1) while increasing the expression of Il-10, demonstrating anti-inflammatory effects across all three treatment periods. Based on our results, we conclude that DPG attenuates the inflammatory process by promoting skin wound healing through the modulation of distinct mechanisms and signaling pathways, including anti-inflammatory ones. This involves modulation of the expression of pro- and anti-inflammatory cytokine expression; promotion of new granulation tissue; angiogenesis; and tissue re-epithelialization, all of which contribute to tissue remodeling. Full article
Show Figures

Figure 1

14 pages, 3145 KB  
Article
Full Skin Equivalent Models for Simulation of Burn Wound Healing, Exploring Skin Regeneration and Cytokine Response
by Patrick P. G. Mulder, Rajiv S. Raktoe, Marcel Vlig, Anouk Elgersma, Esther Middelkoop and Bouke K. H. L. Boekema
J. Funct. Biomater. 2023, 14(1), 29; https://doi.org/10.3390/jfb14010029 - 4 Jan 2023
Cited by 7 | Viewed by 6104
Abstract
Healing of burn injury is a complex process that often leads to the development of functional and aesthetic complications. To study skin regeneration in more detail, organotypic skin models, such as full skin equivalents (FSEs) generated from dermal matrices, can be used. Here, [...] Read more.
Healing of burn injury is a complex process that often leads to the development of functional and aesthetic complications. To study skin regeneration in more detail, organotypic skin models, such as full skin equivalents (FSEs) generated from dermal matrices, can be used. Here, FSEs were generated using de-epidermalized dermis (DED) and collagen matrices MatriDerm® and Mucomaix®. Our aim was to validate the MatriDerm- and Mucomaix-based FSEs for the use as in vitro models of wound healing. Therefore, we first characterized the FSEs in terms of skin development and cell proliferation. Proper dermal and epidermal morphogenesis was established in all FSEs and was comparable to ex vivo human skin models. Extension of culture time improved the organization of the epidermal layers and the basement membrane in MatriDerm-based FSE but resulted in rapid degradation of the Mucomaix-based FSE. After applying a standardized burn injury to the models, re-epithelization occurred in the DED- and MatriDerm-based FSEs at 2 weeks after injury, similar to ex vivo human skin. High levels of pro-inflammatory cytokines were present in the culture media of all models, but no significant differences were observed between models. We anticipate that these animal-free in vitro models can facilitate research on skin regeneration and can be used to test therapeutic interventions in a preclinical setting to improve wound healing. Full article
(This article belongs to the Special Issue Functional Biomaterials and Skin Wound Healing)
Show Figures

Figure 1

12 pages, 3354 KB  
Article
Effect of Baicalin on Wound Healing in a Mouse Model of Pressure Ulcers
by Eunbin Kim, Seoyoon Ham, Bok Ki Jung, Jin-Woo Park, Jihee Kim and Ju Hee Lee
Int. J. Mol. Sci. 2023, 24(1), 329; https://doi.org/10.3390/ijms24010329 - 25 Dec 2022
Cited by 22 | Viewed by 5833
Abstract
One of the most frequent comorbidities that develop in chronically ill or immobilized patients is pressure ulcers, also known as bed sores. Despite ischemia-reperfusion (I/R)-induced skin lesion having been identified as a primary cause of pressure ulcers, wound management efforts have so far [...] Read more.
One of the most frequent comorbidities that develop in chronically ill or immobilized patients is pressure ulcers, also known as bed sores. Despite ischemia-reperfusion (I/R)-induced skin lesion having been identified as a primary cause of pressure ulcers, wound management efforts have so far failed to significantly improve outcomes. Baicalin, or 5,6,7-trihydroxyflavone, is a type of flavonoid which has been shown to possess a variety of biological characteristics, including antioxidative and anti-inflammatory effects and protection of I/R injury. In vitro wound scratch assay was first used to assess the function of baicalin in wound healing. We established a mouse model of advanced stage pressure ulcers with repeated cycles of I/R pressure load. In this model, topically applied baicalin (100 mg/mL) induced a significant increase in the wound healing process measured by wound area. Histological examination of the pressure ulcer mouse model showed faster granulation tissue formation and re-epithelization in the baicalin-treated group. Next, baicalin downregulated pro-inflammatory cytokines (IL-6 and IL-1β), while upregulating the anti-inflammatory IL-10. Additionally, baicalin induced an increase in several growth factors (VEGF, FGF-2, PDGF-β, and CTGF), promoting the wound healing process. Our results suggest that baicalin could serve as a promising agent for the treatment of pressures ulcers. Full article
(This article belongs to the Special Issue Advanced Research on Wound Healing)
Show Figures

Figure 1

17 pages, 1204 KB  
Review
The Signaling Pathways Induced by Exosomes in Promoting Diabetic Wound Healing: A Mini-Review
by Yanying Wang, Jiayan Zhu, Jing Chen, Ruojiao Xu, Thomas Groth, Haitong Wan and Guoying Zhou
Curr. Issues Mol. Biol. 2022, 44(10), 4960-4976; https://doi.org/10.3390/cimb44100337 - 16 Oct 2022
Cited by 20 | Viewed by 8542
Abstract
Impaired healing of diabetic wounds harms patients’ quality of life and even leads to disability and death, which is an urgent issue to be solved clinically. Despite the great progress that has been achieved, it remains a worldwide challenge to develop effective therapeutic [...] Read more.
Impaired healing of diabetic wounds harms patients’ quality of life and even leads to disability and death, which is an urgent issue to be solved clinically. Despite the great progress that has been achieved, it remains a worldwide challenge to develop effective therapeutic treatments for diabetic wounds. Recently, exosomes have attracted special attention because they can be involved in immune response, antigen presentation, cell migration, cell differentiation, tumor invasion and other processes. Meanwhile, exosomes have been proven to hold great potential in the treatment of diabetic wounds. Mechanistic studies of exosomes based on signaling pathways could not only help to uncover the mechanisms by which exosomes promote diabetic wound healing but could also provide a theoretical basis for the clinical application of exosomes. Herein, our mini-review aims to summarize the progress of research on the use of various exosomes derived from different cell types to promote diabetic wound healing, with a focus on the classical signaling pathways, including PI3K/Akt, Wnt, NF-κB, MAPK, Notch, Nrf2, HIF-1α/VEGF and TGF-β/Smad. The results show that exosomes could regulate these signaling pathways to down-regulate inflammation, reduce oxidative stress, increase angiogenesis, promote fibroblast proliferation, induce re-epithelization and inhibit scar formation, making exosomes attractive candidates for the treatment of diabetic wounds. Full article
Show Figures

Figure 1

29 pages, 3940 KB  
Article
The Role of Myrrh Metabolites in Cancer, Inflammation, and Wound Healing: Prospects for a Multi-Targeted Drug Therapy
by Rasha Saad Suliman, Sahar Saleh Alghamdi, Rizwan Ali, Dimah Aljatli, Norah Abdulaziz Aljammaz, Sarah Huwaizi, Rania Suliman, Khawla Mohammed Kahtani, Ghadeer M. Albadrani, Tlili Barhoumi, Abdulelah Altolayyan and Ishrat Rahman
Pharmaceuticals 2022, 15(8), 944; https://doi.org/10.3390/ph15080944 - 29 Jul 2022
Cited by 36 | Viewed by 12081
Abstract
Background: Myrrh extract is a well-known medicinal plant with significant therapeutic benefits attributed to the activity of its diverse metabolites. It has promising activity against cancer and inflammatory diseases, and could serve as a potential therapeutic alternative since most therapeutic agents have severe [...] Read more.
Background: Myrrh extract is a well-known medicinal plant with significant therapeutic benefits attributed to the activity of its diverse metabolites. It has promising activity against cancer and inflammatory diseases, and could serve as a potential therapeutic alternative since most therapeutic agents have severe side effects that impair quality of life. Method: The current study identified the active metabolites from the myrrh resin methanolic extract. Then, the extracts were tested for in vitro anti-inflammatory and anti-cancer activity using cancer cell lines and Tamm-Horsfall Protein 1 (Thp-1)-like macrophage cell lines. Furthermore, using an in vivo rat model, the extracts’ anti-inflammatory and wound-healing activity was investigated. In addition, in silico predictions of the myrrh constituents highlighted the pharmacokinetic properties, molecular targets, and safety profile, including cytochrome P 450 (CYP) inhibition and organ toxicity. Results: Nine secondary metabolites were identified, and computational predictions suggested a good absorption profile, anticancer, anti-inflammatory, and wound-healing effects. The myrrh extract had moderate cytotoxic activity against both HL60 and K562 leukemia cell lines and the KAIMRC1 breast cancer cell line. Myrrh caused a dose-dependent effect on macrophages to increase the reactive oxygen species (ROS) levels, promote their polarization to classically activated macrophages (M1) and alternatively activated macrophages (M2) phenotypes, and consequently induce apoptosis, highlighting its ability to modulate macrophage function, which could potentially aid in several desired therapeutic processes, including the resolution of inflammation, and autophagy which is an important aspect to consider in cancer treatment. The topical application of myrrh improved wound healing, with no delayed inflammatory response, and promoted complete re-epithelization of the skin, similar to the positive control. In conclusion, we provide evidence for the methanolic extract of myrrh having cytotoxic activity against cancer cells and anti-inflammatory wound-healing properties, which may be attributed to its role in modulating macrophage function. Furthermore, we suggest the active constituents responsible for these properties, which warrants further studies focusing on the precise roles of the active metabolites. Full article
Show Figures

Graphical abstract

18 pages, 1829 KB  
Review
Regeneration or Repair? The Role of Alveolar Epithelial Cells in the Pathogenesis of Idiopathic Pulmonary Fibrosis (IPF)
by Paola Confalonieri, Maria Concetta Volpe, Justin Jacob, Serena Maiocchi, Francesco Salton, Barbara Ruaro, Marco Confalonieri and Luca Braga
Cells 2022, 11(13), 2095; https://doi.org/10.3390/cells11132095 - 30 Jun 2022
Cited by 118 | Viewed by 18770
Abstract
Idiopathic pulmonary fibrosis (IPF) is a chronic, progressive interstitial lung disease (ILD) with unknown etiology in which gradual fibrotic scarring of the lungs leads to usual interstitial pneumonia (UIP) and, ultimately, to death. IPF affects three million people worldwide, and the only currently [...] Read more.
Idiopathic pulmonary fibrosis (IPF) is a chronic, progressive interstitial lung disease (ILD) with unknown etiology in which gradual fibrotic scarring of the lungs leads to usual interstitial pneumonia (UIP) and, ultimately, to death. IPF affects three million people worldwide, and the only currently available treatments include the antifibrotic drugs nintedanib and pirfenidone, which effectively reduce fibrosis progression are, unfortunately, not effective in curing the disease. In recent years, the paradigm of IPF pathogenesis has shifted from a fibroblast-driven disease to an epithelium-driven disease, wherein, upon recurrent microinjuries, dysfunctional alveolar type II epithelial cells (ATII) are not only unable to sustain physiological lung regeneration but also promote aberrant epithelial–mesenchymal crosstalk. This creates a drift towards fibrosis rather than regeneration. In the context of this review article, we discuss the most relevant mechanisms involved in IPF pathogenesis with a specific focus on the role of dysfunctional ATII cells in promoting disease progression. In particular, we summarize the main causes of ATII cell dysfunction, such as aging, environmental factors, and genetic determinants. Next, we describe the known mechanisms of physiological lung regeneration by drawing a parallel between embryonic lung development and the known pathways involved in ATII-driven alveolar re-epithelization after injury. Finally, we review the most relevant interventional clinical trials performed in the last 20 years with the aim of underlining the urgency of developing new therapies against IPF that are not only aimed at reducing disease progression by hampering ECM deposition but also boost the physiological processes of ATII-driven alveolar regeneration. Full article
(This article belongs to the Special Issue Epithelial Cells Role in Lung Diseases)
Show Figures

Figure 1

29 pages, 3036 KB  
Review
Bee-Derived Products: Chemical Composition and Applications in Skin Tissue Engineering
by Corina Dana Dumitru, Ionela Andreea Neacsu, Alexandru Mihai Grumezescu and Ecaterina Andronescu
Pharmaceutics 2022, 14(4), 750; https://doi.org/10.3390/pharmaceutics14040750 - 30 Mar 2022
Cited by 49 | Viewed by 7665
Abstract
Skin tissue regeneration is one of the population’s most common problems, and the complications that may appear in the healing process can have detrimental consequences. An alternative to conventional treatments could be represented by sustainable materials based on natural products, such as honey [...] Read more.
Skin tissue regeneration is one of the population’s most common problems, and the complications that may appear in the healing process can have detrimental consequences. An alternative to conventional treatments could be represented by sustainable materials based on natural products, such as honey and its derivates (propolis, royal jelly, bee pollen, beeswax, and bee venom). They exhibit significant inhibitory activities against bacteria and have great potential in dermal tissue regeneration. Research in the pharmaceutical field demonstrates that conventional medication combined with bee products can deliver better results. The advantages include minimizing side effects and maintaining the same effectiveness by using low concentrations of antibiotic, anti-inflammatory, or chemotherapy drugs. Several studies suggested that bee products can replace the antimicrobial activity and efficiency of antibiotics, but further investigation is needed to establish a topical mixture’s potential, including honey, royal jelly, and propolis. Bee products seem to complete each other’s deficiencies, and their mixture may have a better impact on the wound healing process. The topic addressed in this paper highlights the usefulness of honey, propolis, royal jelly, bee pollen, beeswax, and bee venom in the re-epithelization process and against most common bacterial infections. Full article
Show Figures

Figure 1

21 pages, 8032 KB  
Article
Intestinal Epithelial AMPK Deficiency Causes Delayed Colonic Epithelial Repair in DSS-Induced Colitis
by Séverine Olivier, Hanna Diounou, Camille Pochard, Lisa Frechin, Emilie Durieu, Marc Foretz, Michel Neunlist, Malvyne Rolli-Derkinderen and Benoit Viollet
Cells 2022, 11(4), 590; https://doi.org/10.3390/cells11040590 - 9 Feb 2022
Cited by 35 | Viewed by 6713
Abstract
Dysfunctions in the intestinal barrier, associated with an altered paracellular pathway, are commonly observed in inflammatory bowel disease (IBD). The AMP-activated protein kinase (AMPK), principally known as a cellular energy sensor, has also been shown to play a key role in the stabilization [...] Read more.
Dysfunctions in the intestinal barrier, associated with an altered paracellular pathway, are commonly observed in inflammatory bowel disease (IBD). The AMP-activated protein kinase (AMPK), principally known as a cellular energy sensor, has also been shown to play a key role in the stabilization and assembly of tight junctions. Here, we aimed to investigate the contribution of intestinal epithelial AMPK to the initiation, progression and resolution of acute colitis. We also tested the hypothesis that protection mediated by metformin administration on intestinal epithelium damage required AMPK activation. A dextran sodium sulfate (DSS)-induced colitis model was used to assess disease progression in WT and intestinal epithelial cell (IEC)-specific AMPK KO mice. Barrier integrity was analyzed by measuring paracellular permeability following dextran-4kDa gavage and pro-inflammatory cytokines and tight junction protein expression. The deletion of intestinal epithelial AMPK delayed intestinal injury repair after DSS exposure and was associated with a slower re-epithelization of the intestinal mucosa coupled with severe ulceration and inflammation, and altered barrier function. Following intestinal injury, IEC AMPK KO mice displayed a lower goblet cell counts with concomitant decreased Muc2 gene expression, unveiling an impaired restitution of goblet cells and contribution to wound healing process. Metformin administration during the recovery phase attenuated the severity of DSS-induced colitis through improvement in intestinal repair capacity in both WT and IEC AMPK KO mice. Taken together, these findings demonstrate a critical role for IEC-expressed AMPK in regulating mucosal repair and epithelial regenerative capacity following acute colonic injury. Our studies further underscore the therapeutic potential of metformin to support repair of the injured intestinal epithelium, but this effect is conferred independently of intestinal epithelial AMPK. Full article
(This article belongs to the Special Issue Advances in AMPK Research: Basic and Translational Aspects)
Show Figures

Figure 1

Back to TopTop