Sign in to use this feature.

Years

Between: -

Subjects

remove_circle_outline
remove_circle_outline
remove_circle_outline
remove_circle_outline

Journals

Article Types

Countries / Regions

Search Results (24)

Search Parameters:
Keywords = norcantharidin

Order results
Result details
Results per page
Select all
Export citation of selected articles as:
5 pages, 585 KB  
Short Note
3-([4-(Acetylamino)phenyl]methoxy-1-carbonyl)-7-oxabicyclo[2.2.1]heptane-2-carboxylic Acid
by Kathryn N. Mayeaux, Bailey N. Baxter, Hannah K. Lawley, Caleb N. Lopansri, Mary Helene Marmande, Lucy A. Orr and David C. Forbes
Molbank 2025, 2025(3), M2056; https://doi.org/10.3390/M2056 - 30 Aug 2025
Viewed by 783
Abstract
Overexpression of protein phosphatase 5 (PP5) is linked to tumor cell growth, making it a candidate for small-molecule drug therapy. Since the PP2A domain has been selectively inhibited using functionalized scaffolds that maximize contacts, a similar approach is proposed to work for PP5. [...] Read more.
Overexpression of protein phosphatase 5 (PP5) is linked to tumor cell growth, making it a candidate for small-molecule drug therapy. Since the PP2A domain has been selectively inhibited using functionalized scaffolds that maximize contacts, a similar approach is proposed to work for PP5. As cantharidin’s demethylated cousin, norcantharidin, is a potent but unselective phosphatase inhibitor that can be prepared in just two synthetic steps, the bicyclic scaffold holds promise as an attractive target upon functionalization. Our hypothesis targets PP5 selectivity through derivatives of norcantharidin with functionalized attachments for optimal active-site binding. The methodology offers a promising platform for developing PP5-selective anticancer therapeutics. The approach reported herein exploits anhydride reactivity to yield a carboxylic acid derivative as our next-generation inhibitor of PP5. The methodology offers groundwork for future optimization of norcantharidin-based drug candidates with improved tumor selectivity, potency, and synthetic feasibility. Full article
(This article belongs to the Section Organic Synthesis and Biosynthesis)
Show Figures

Figure 1

29 pages, 21916 KB  
Article
Pentoxifylline and Norcantharidin Synergistically Suppress Melanoma Growth in Mice: A Multi-Modal In Vivo and In Silico Study
by Israel Lara-Vega, Minerva Nájera-Martínez and Armando Vega-López
Int. J. Mol. Sci. 2025, 26(15), 7522; https://doi.org/10.3390/ijms26157522 - 4 Aug 2025
Viewed by 931
Abstract
Melanoma is a highly aggressive skin cancer with limited therapeutic response. Targeting intracellular signaling pathways and promoting tumor cell differentiation are promising therapeutic strategies. Pentoxifylline (PTX) and norcantharidin (NCTD) have demonstrated antitumor properties, but their combined mechanisms of action in melanoma remain poorly [...] Read more.
Melanoma is a highly aggressive skin cancer with limited therapeutic response. Targeting intracellular signaling pathways and promoting tumor cell differentiation are promising therapeutic strategies. Pentoxifylline (PTX) and norcantharidin (NCTD) have demonstrated antitumor properties, but their combined mechanisms of action in melanoma remain poorly understood. The effects of PTX (30 and 60 mg/kg) and NCTD (0.75 and 3 mg/kg), administered alone or in combination, in a DBA/2J murine B16-F1 melanoma model via intraperitoneal and intratumoral (IT) routes were evaluated. Tumor growth was monitored, and molecular analyses included RNA sequencing and immunofluorescence quantification of PI3K, AKT1, mTOR, ERBB2, BRAF, and MITF protein levels, and molecular docking simulations were performed. In the final stage of the experiment, combination therapy significantly reduced tumor volume compared to monotherapies, with the relative tumor volume decreasing from 18.1 ± 1.2 (SD) in the IT Control group to 0.6 ± 0.1 (SD) in the IT combination-treated group (n = 6 per group; p < 0.001). RNA-seq revealed over 3000 differentially expressed genes in intratumoral treatments, with enrichment in pathways related to oxidative stress, immune response, and translation regulation (KEGG and Reactome analyses). Minimal transcript-level changes were observed for BRAF and PI3K/AKT/mTOR genes; however, immunofluorescence showed reduced total and phosphorylated levels of PI3K, AKT1, mTOR, BRAF, and ERBB2. MITF protein levels and pigmentation increased, especially in PTX-treated groups, indicating enhanced melanocytic differentiation. Docking analyses predicted direct binding of both drugs to PI3K, AKT1, mTOR, and BRAF, with affinities ranging from −5.7 to −7.4 kcal/mol. The combination of PTX and NCTD suppresses melanoma progression through dual mechanisms: inhibition of PI3K/AKT/mTOR signaling and promotion of tumor cell differentiation. Full article
Show Figures

Figure 1

21 pages, 12957 KB  
Article
Exploring the Anti-Colorectal Cancer Mechanism of Norcantharidin Through TRAF5/NF-κB Pathway Regulation and Folate-Targeted Liposomal Delivery
by Fanqin Zhang, Xiaodong Chen, Chuanqi Qiao, Siyun Yang, Yiyan Zhai, Jingyuan Zhang, Keyan Chai, Haojia Wang, Jiying Zhou, Meiling Guo, Peiying Lu and Jiarui Wu
Int. J. Mol. Sci. 2025, 26(4), 1450; https://doi.org/10.3390/ijms26041450 - 9 Feb 2025
Cited by 2 | Viewed by 1902
Abstract
Colorectal cancer is one of the most common malignant tumors worldwide, significantly impacting human health. Cantharidin (CTD), an active compound derived from the Spanish fly, exhibits antitumor properties. Its derivative, norcantharidin (NCTD), is synthesized by removing methyl groups from positions 1 and 2 [...] Read more.
Colorectal cancer is one of the most common malignant tumors worldwide, significantly impacting human health. Cantharidin (CTD), an active compound derived from the Spanish fly, exhibits antitumor properties. Its derivative, norcantharidin (NCTD), is synthesized by removing methyl groups from positions 1 and 2 of cantharidin. NCTD has demonstrated lower toxicity while maintaining similar antitumor effects compared to CTD. However, the mechanism by which NCTD exerts its effects against colorectal cancer remains unclear. Here, we conducted a comprehensive analysis of the effects of NCTD on colorectal cancer both in vitro and in vivo. Whole-transcriptome sequencing and bioinformatics tools were employed to identify potential key targets of NCTD in the treatment of colorectal cancer. Additionally, we designed folate-receptor-targeting NCTD liposomes (FA-NCTD) and assessed their anticancer efficacy in vivo. NCTD effectively inhibited cell viability, clonal formation, and migration in HCT116 and HT-29 cell lines. NCTD also induced apoptosis, influenced the cell cycle, altered mitochondrial membrane potential, and increased reactive oxygen species levels. The whole-transcriptome sequencing and bioinformatics analysis identified TRAF5 as a key target for NCTD’s action against colorectal cancer. Furthermore, NCTD was found to regulate the TRAF5/NF-κB signaling pathway in both HCT116 and HT-29 cells. The FA-NCTD liposomes demonstrated effective tumor targeting and significantly inhibited tumor growth in vivo. This result showed that NCTD effectively suppresses the malignant proliferation of colon cancer cells by modulating the TRAF5/NF-κB signaling pathway and inducing programmed apoptosis, thereby offering a novel strategy for colorectal cancer treatment. The prepared FA-NCTD liposomes provide a promising approach for achieving the precise targeting and controlled release of NCTD. Full article
(This article belongs to the Section Bioactives and Nutraceuticals)
Show Figures

Figure 1

19 pages, 3358 KB  
Article
Evaluation of a Norcantharidin Nanoemulsion Efficacy for Treating B16F1-Induced Melanoma in a Syngeneic Murine Model
by Gabriel Martínez-Razo, Patrícia C. Pires, Angélica Avilez-Colin, María Lilia Domínguez-López, Francisco Veiga, Eliezer Conde-Vázquez, Ana Cláudia Paiva-Santos and Armando Vega-López
Int. J. Mol. Sci. 2025, 26(3), 1215; https://doi.org/10.3390/ijms26031215 - 30 Jan 2025
Cited by 3 | Viewed by 1424
Abstract
Melanoma, a lethal type of cancer originating from melanocytes, is the leading cause of death among skin cancers. While surgical excision of the lesions is the primary treatment for melanoma, not all cases are candidates for surgical procedures. New treatments and complementary options [...] Read more.
Melanoma, a lethal type of cancer originating from melanocytes, is the leading cause of death among skin cancers. While surgical excision of the lesions is the primary treatment for melanoma, not all cases are candidates for surgical procedures. New treatments and complementary options are necessary, given the increasing diagnosis rate. In the present study, a norcantharidin-containing nanoemulsion was developed and evaluated in vivo using a syngeneic graft murine model. Norcantharidin is the demethylated analog of cantharidin, known for its anticancer properties. Our model contemplates surgical excision surgery simulating the standard treatment and the role of the nanoemulsion as a potential adjuvant therapy. We observed a significant decrease in the growth rate of the melanoma lesion in the treated groups compared to the control group, both at the 20th and 30th days of treatment. Moreover, we evaluated the drug bioavailability in serum samples, and the results showed that norcantharidin was detectable in a range of 0.1 to 0.18 mg/mL in the treated groups. Furthermore, histopathological analysis was performed on the amputated tumors, where significant differences were found regarding size, mitosis rate, lymphocytic infiltration, and multispectral quantitative image analysis compared to the control group. If more clinical studies are conducted, the norcantharidin-containing nanoemulsion could be a potential alternative or adjuvant therapy. Topical nanosystems can become or complement standard therapies, which is needed as melanoma affects not only in terms of mortality but also the patient’s morbidity and life quality. Full article
(This article belongs to the Special Issue Advances in Melanoma and Skin Cancers: 2nd Edition)
Show Figures

Graphical abstract

9 pages, 3078 KB  
Brief Report
Pentoxifylline and Norcantharidin Modify p62 Expression in 2D and 3D Cultures of B16F1 Cells
by José Luis González-Quiroz, Juan Moisés Ocampo-Godínez, Victoria Noemi Hernández-González, Ruth Angélica Lezama, Elba Reyes-Maldonado, Armando Vega-López and María Lilia Domínguez-López
Int. J. Mol. Sci. 2024, 25(10), 5140; https://doi.org/10.3390/ijms25105140 - 9 May 2024
Cited by 2 | Viewed by 1606
Abstract
Three-dimensional cell cultures have improved the evaluation of drugs for cancer therapy, due to their high similarity to solid tumors. In melanoma, autophagy appears to show a dual role depending on the progression of the disease. p62 protein has been proposed for the [...] Read more.
Three-dimensional cell cultures have improved the evaluation of drugs for cancer therapy, due to their high similarity to solid tumors. In melanoma, autophagy appears to show a dual role depending on the progression of the disease. p62 protein has been proposed for the evaluation of autophagic flux since its expression is an indicator of the state of autophagy. Pentoxifylline (PTX) and Norcantharidin (NCTD) are drugs that have been shown to possess anticancer effects. In this work, we used B16F1 mouse melanoma cells in two-dimensional (2D) monolayer cultures and three-dimensional (3D) spheroids to test the effect of PTX and NCTD over the p62 expression. We analyzed the effect on p62 expression through Western blot and immunofluorescence assays. Our results indicate that PTX decreases p62 expression in both cell culture models, while Norcantharidin increases its expression in 3D cultures at 24 h. Therefore, these drugs could have a potential therapeutic use for the regulation of autophagy in melanoma, depending on the state of evolution of the disease. Full article
(This article belongs to the Special Issue Advances in Melanoma and Skin Cancers)
Show Figures

Figure 1

23 pages, 715 KB  
Review
Dissecting the Puzzling Roles of FAM46C: A Multifaceted Pan-Cancer Tumour Suppressor with Increasing Clinical Relevance
by Giancarlo Lai, Federica De Grossi, Ilaria Catusi, Elisa Pesce and Nicola Manfrini
Cancers 2024, 16(9), 1706; https://doi.org/10.3390/cancers16091706 - 27 Apr 2024
Cited by 7 | Viewed by 2891
Abstract
FAM46C is a well-established tumour suppressor with a role that is not completely defined or universally accepted. Although FAM46C expression is down-modulated in several tumours, significant mutations in the FAM46C gene are only found in multiple myeloma (MM). Consequently, its tumour suppressor activity [...] Read more.
FAM46C is a well-established tumour suppressor with a role that is not completely defined or universally accepted. Although FAM46C expression is down-modulated in several tumours, significant mutations in the FAM46C gene are only found in multiple myeloma (MM). Consequently, its tumour suppressor activity has primarily been studied in the MM context. However, emerging evidence suggests that FAM46C is involved also in other cancer types, namely colorectal, prostate and gastric cancer and squamous cell and hepatocellular carcinoma, where FAM46C expression was found to be significantly reduced in tumoural versus non-tumoural tissues and where FAM46C was shown to possess anti-proliferative properties. Accordingly, FAM46C was recently proposed to function as a pan-cancer prognostic marker, bringing FAM46C under the spotlight and attracting growing interest from the scientific community in the pathways modulated by FAM46C and in its mechanistic activity. Here, we will provide the first comprehensive review regarding FAM46C by covering (1) the intracellular pathways regulated by FAM46C, namely the MAPK/ERK, PI3K/AKT, β-catenin and TGF-β/SMAD pathways; (2) the models regarding its mode of action, specifically the poly(A) polymerase, intracellular trafficking modulator and inhibitor of centriole duplication models, focusing on connections and interdependencies; (3) the regulation of FAM46C expression in different environments by interferons, IL-4, TLR engagement or transcriptional modulators; and, lastly, (4) how FAM46C expression levels associate with increased/decreased tumour cell sensitivity to anticancer agents, such as bortezomib, dexamethasone, lenalidomide, pomalidomide, doxorubicin, melphalan, SK1-I, docetaxel and norcantharidin. Full article
(This article belongs to the Special Issue Unique Perspectives in Cancer Signaling)
Show Figures

Figure 1

13 pages, 5741 KB  
Article
Norcantharidin Enhances the Antitumor Effect of 5-Fluorouracil by Inducing Apoptosis of Cervical Cancer Cells: Network Pharmacology, Molecular Docking, and Experimental Validation
by Yong Huang, Xin-Wei Wan, Yu-Tong Du, Yue Feng, Lin-Sen Yang, Yong-Bin Liu, Tian Chen, Zhuan Zhu, Yi-Ting Xu and Cheng-Cheng Wang
Curr. Issues Mol. Biol. 2024, 46(5), 3906-3918; https://doi.org/10.3390/cimb46050242 - 25 Apr 2024
Cited by 5 | Viewed by 2265
Abstract
The high recurrence rate of cervical cancer is a leading cause of cancer deaths in women. 5-Fluorouracil (5-FU) is an antitumor drug used to treat many types of cancer, but its diminishing effectiveness and side effects limit its use. Norcantharidin (NCTD), a demethylated [...] Read more.
The high recurrence rate of cervical cancer is a leading cause of cancer deaths in women. 5-Fluorouracil (5-FU) is an antitumor drug used to treat many types of cancer, but its diminishing effectiveness and side effects limit its use. Norcantharidin (NCTD), a demethylated derivative of cantharidin, exhibits various biological activities. Here, we investigated whether NCTD could potentiate 5-FU to induce cervical cancer cell death. To assess the cell viability and synergistic effects of the drugs, cell counting kit-8 and colony formation assays were performed using HR-HPV-positive cervical cancer cell lines. Annexin V-FITC/PI staining and TUNEL assays were performed to confirm the induction of apoptosis. The synergistic effect of NCTD on the antitumor activity of 5-FU was analyzed using network pharmacology, molecular docking, and molecular dynamics simulations. Apoptosis-related proteins were examined using immunoblotting. The combination of NCTD and 5-FU was synergistic in cervical cancer cell lines. Network pharmacological analysis identified 10 common targets of NCTD and 5-FU for cervical cancer treatment. Molecular docking showed the strong binding affinity of both compounds with CA12, CASP9, and PTGS1. Molecular dynamics simulations showed that the complex system of both drugs with caspase-9 could be in a stable state. NCTD enhanced 5-FU-mediated cytotoxicity by activating apoptosis-related proteins. NCTD acts synergistically with 5-FU to inhibit cervical cancer cell proliferation. NCTD enhances 5-FU-induced apoptosis in cervical cancer cell lines via the caspase-dependent pathway. Full article
(This article belongs to the Section Molecular Pharmacology)
Show Figures

Figure 1

21 pages, 20613 KB  
Article
Norcantharidin Sensitizes Colorectal Cancer Cells to Radiotherapy via Reactive Oxygen Species–DRP1-Mediated Mitochondrial Damage
by Qiong Xu, Heng Zhang, Haoren Qin, Huaqing Wang and Hui Wang
Antioxidants 2024, 13(3), 347; https://doi.org/10.3390/antiox13030347 - 14 Mar 2024
Cited by 5 | Viewed by 2942
Abstract
Norcantharidin (NCTD), a cantharidin derivative, induces ROS generation and is widely used to treat CRC. In this study, we clarified the role and mechanism of action of norcantharidin in increasing CRC sensitivity to radiotherapy. We treated the CRC cell lines LoVo and DLD-1 [...] Read more.
Norcantharidin (NCTD), a cantharidin derivative, induces ROS generation and is widely used to treat CRC. In this study, we clarified the role and mechanism of action of norcantharidin in increasing CRC sensitivity to radiotherapy. We treated the CRC cell lines LoVo and DLD-1 with NCTD (10 or 50 μmol/L), ionizing radiation (IR, 6 Gy), and a combination of the two and found that NCTD significantly inhibited the proliferation of CRC cells and enhanced their sensitivity to radiotherapy. NCTD induced ROS generation by decreasing the mitochondrial membrane potential, increasing mitochondrial membrane permeability, and promoting cytochrome C release from mitochondria into the cytoplasm. IR combined with NCTD induced ROS production, which activated the mitochondrial fission protein DRP1, leading to increased mitochondrial fission and CRC sensitivity to radiotherapy. NCTD also reduced CRC cell resistance to radiotherapy by blocking the cell cycle at the G2/M phase and decreasing p-CHK2, cyclin B1, and p-CDC2 expression. NCTD and IR also inhibited radiation resistance by causing DNA damage. Our findings provide evidence for the potential therapeutic use of NCTD and IR against CRC. Moreover, this study elucidates whether NCTD can overcome CRC radiation tolerance and provides insights into the underlying mechanisms. Full article
Show Figures

Figure 1

18 pages, 7503 KB  
Article
Norcantharidin-Encapsulated C60-Modified Nanomicelles: A Potential Approach to Mitigate Cytotoxicity in Renal Cells and Simultaneously Enhance Anti-Tumor Activity in Hepatocellular Carcinoma Cells
by Zhongpeng Ding, Beihua Xu, Huimin Zhang, Zhenyu Wang, Luying Sun, Mengjie Tang, Meihong Ding, Ting Zhang and Senlin Shi
Molecules 2023, 28(22), 7609; https://doi.org/10.3390/molecules28227609 - 15 Nov 2023
Cited by 4 | Viewed by 1970
Abstract
Objective: The objective of this study was to examine the preparation process of DSPE-PEG-C60/NCTD micelles and assess the impact of fullerenol (C60)-modified micelles on the nephrotoxicity and antitumor activity of NCTD. Method: The micelles containing NCTD were prepared using the ultrasonic method and [...] Read more.
Objective: The objective of this study was to examine the preparation process of DSPE-PEG-C60/NCTD micelles and assess the impact of fullerenol (C60)-modified micelles on the nephrotoxicity and antitumor activity of NCTD. Method: The micelles containing NCTD were prepared using the ultrasonic method and subsequently optimized and characterized. The cytotoxicity of micelles loaded with NCTD was assessed using the CCK-8 method on human hepatoma cell lines HepG2 and BEL-7402, as well as normal cell lines HK-2 and L02. Acridine orange/ethidium bromide (AO/EB) double staining and flow cytometry were employed to assess the impact of NCTD-loaded micelles on the apoptosis of the HK-2 cells and the HepG2 cells. Additionally, JC-1 fluorescence was utilized to quantify the alterations in mitochondrial membrane potential. The generation of reactive oxygen species (ROS) following micelle treatment was determined through 2′,7′-dichlorofluorescein diacetate (DCFDA) staining. Results: The particle size distribution of the DSPE-PEG-C60/NCTD micelles was determined to be 91.57 nm (PDI = 0.231). The zeta potential of the micelles was found to be −13.8 mV. The encapsulation efficiency was measured to be 91.9%. The in vitro release behavior of the micelles followed the Higuchi equation. Cellular experiments demonstrated a notable decrease in the toxicity of the C60-modified micelles against the HK-2 cells, accompanied by an augmented inhibitory effect on cancer cells. Compared to the free NCTD group, the DSPE-PEG-C60 micelles exhibited a decreased apoptosis rate (12%) for the HK-2 cell line, lower than the apoptosis rate observed in the NCTD group (36%) at an NCTD concentration of 75 μM. The rate of apoptosis in the HepG2 cells exhibited a significant increase (49%), surpassing the apoptosis rate observed in the NCTD group (24%) at a concentration of 150 μM NCTD. The HK-2 cells exhibited a reduction in intracellular ROS and an increase in mitochondrial membrane potential (ΔψM) upon exposure to C60-modified micelles compared to the NCTD group. Conclusions: The DSPE-PEG-C60/NCTD micelles, as prepared in this study, demonstrated the ability to decrease cytotoxicity and ROS levels in normal renal cells (HK-2) in vitro. Additionally, these micelles showed an enhanced antitumor activity against human hepatocellular carcinoma cells (HepG2, BEL-7402). Full article
(This article belongs to the Special Issue Nanoparticle-Based Drug Delivery Systems)
Show Figures

Figure 1

19 pages, 4723 KB  
Article
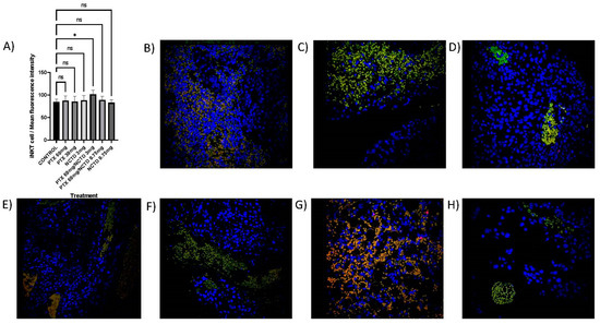
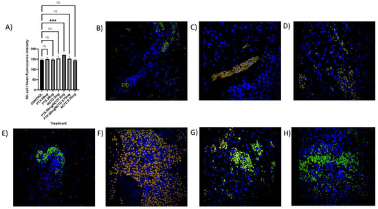
Tumor-Infiltrating iNKT Cells Activated through c-Kit/Sca-1 Are Induced by Pentoxifylline, Norcantharidin, and Their Mixtures for Killing Murine Melanoma Cells
by Maximiliano V. M. Correa-Lara, Israel Lara-Vega, Minerva Nájera-Martínez, María Lilia Domínguez-López, Elba Reyes-Maldonado and Armando Vega-López
Pharmaceuticals 2023, 16(10), 1472; https://doi.org/10.3390/ph16101472 - 16 Oct 2023
Cited by 2 | Viewed by 2077
Abstract
The involvement of NK and other cytotoxic cells is considered the first defense line against cancer. However, a significant lack of information prevails on the possible roles played by factors considered characteristic of primitive cells, such as c-kit and Sca-1, in activating these [...] Read more.
The involvement of NK and other cytotoxic cells is considered the first defense line against cancer. However, a significant lack of information prevails on the possible roles played by factors considered characteristic of primitive cells, such as c-kit and Sca-1, in activating these cells, particularly in melanoma models subjected to treatments with substances under investigation, such as the case of norcantharidin. In this study, B16F1 murine melanoma cells were used to induce tumors in DBA/2 mice, estimating the proportions of NK and iNKT cells; the presence of activation (CD107a+) and primitive/activation (c-kit+/Lya6A+) markers and some tumor parameters, such as the presence of mitotic bodies, nuclear factor area, NK and iNKT cell infiltration in the tumor, infiltrated tumor area, and infiltrating lymphocyte count at 10x and 40x in specimens treated with pentoxifylline, norcantharidin, and the combination of both drugs. Possible correlations were estimated with Pearson’s correlation analysis. It should be noted that, despite having demonstrated multiple correlations, immaturity/activation markers were related to these cells’ activation. At the tumor site, iNKT cells are the ones that exert the cytotoxic potential on tumor cells, but they are confined to specific sites in the tumor. Due to the higher number of interactions of natural killer cells with tumor cells, it is concluded that the most effective treatment was PTX at 60 mg/kg + NCTD at 0.75 mg/kg. Full article
(This article belongs to the Section Biopharmaceuticals)
Show Figures

Figure 1

18 pages, 6019 KB  
Article
Norcantharidin Nanoemulsion Development, Characterization, and In Vitro Antiproliferation Effect on B16F1 Melanoma Cells
by Gabriel Martínez-Razo, Patrícia C. Pires, María Lilia Domínguez-López, Francisco Veiga, Armando Vega-López and Ana Cláudia Paiva-Santos
Pharmaceuticals 2023, 16(4), 501; https://doi.org/10.3390/ph16040501 - 28 Mar 2023
Cited by 12 | Viewed by 2794
Abstract
Melanoma is a highly lethal type of cancer that has had an increase in incidence in the last decades. Nevertheless, current therapies lack effectiveness and have highly disabling side effects, which calls for new therapeutic strategies. Norcantharidin (NCTD) is an acid derivative with [...] Read more.
Melanoma is a highly lethal type of cancer that has had an increase in incidence in the last decades. Nevertheless, current therapies lack effectiveness and have highly disabling side effects, which calls for new therapeutic strategies. Norcantharidin (NCTD) is an acid derivative with potential antitumor activity isolated from natural blister beetles. However, its solubility limitations restrict its use. To address this issue, we developed an oil-in-water nanoemulsion using commonly available cosmetic ingredients, which increased NCTD solubility 10-fold compared to water. The developed nanoemulsion showed a good droplet size and homogeneity, with adequate pH and viscosity for skin application. In vitro drug release studies showed a sustained release profile, ideal for prolonged therapeutic effects. Accelerated stability studies proved that the formulation was reasonably stable under stress conditions, with particle separation fingerprints, instability index, particle size, and sedimentation velocity analyses being conducted. To assess the therapeutic potential of the developed formulation, in vitro studies were conducted on melanoma B16F1 cells; results showed an IC50 of 1.026 +/− 0.370 mg/kg, and the cells’ metabolic activity decreased after exposure to the NCTD nanoemulsion. Hence, a new “easy-to-make” nanoformulation with therapeutic potential on melanoma cells was developed, as a possible adjuvant for future melanoma treatment. Full article
Show Figures

Figure 1

16 pages, 2606 KB  
Article
Cantharidin and Its Analogue Norcantharidin Inhibit Metastasis—Inducing Genes S100A4 and MACC1
by Paul Curtis Schöpe, Viktoria Zinnow, Muhammad Ahtisham Ishfaq, Janice Smith, Pia Herrmann, Robert H. Shoemaker, Wolfgang Walther and Ulrike Stein
Int. J. Mol. Sci. 2023, 24(2), 1179; https://doi.org/10.3390/ijms24021179 - 7 Jan 2023
Cited by 13 | Viewed by 3751
Abstract
Colorectal cancer (CRC) is the third most prevalent and second deadliest cancer worldwide. In addition, metastasis directly causes up to 90% of all CRC deaths, highlighting the metastatic burden of the disease. Biomarkers such as S100A4 and MACC1 aid in identifying patients with [...] Read more.
Colorectal cancer (CRC) is the third most prevalent and second deadliest cancer worldwide. In addition, metastasis directly causes up to 90% of all CRC deaths, highlighting the metastatic burden of the disease. Biomarkers such as S100A4 and MACC1 aid in identifying patients with a high risk of metastasis formation. High expression of S100A4 or MACC1 and to a greater extent the combination of both biomarkers is a predictor for metastasis and poor patient survival in CRC. MACC1 is a tumor-initiating and metastasis-promoting oncogene, whereas S100A4 has not been shown to initiate tumor formation but can, nevertheless, promote malignant tumor growth and metastasis formation. Cantharidin is a natural drug extracted from various blister beetle species, and its demethylated analogue norcantharidin has been shown in several studies to have an anti-cancer and anti-metastatic effect in different cancer entities such as CRC, breast cancer, and lung cancer. The impact of the natural compound cantharidin and norcantharidin on S100A4 and MACC1 gene expression, cancer cell migration, motility, and colony formation in vitro was tested. Here, for the first time, we have demonstrated that cantharidin and norcantharidin are transcriptional inhibitors of S100A4 and MACC1 mRNA expression, protein expression, and motility in CRC cells. Our results clearly indicate that cantharidin and, to a lesser extent, its analogue norcantharidin are promising compounds for efficient anti-metastatic therapy targeting the metastasis-inducing genes S100A4 and MACC1 for personalized medicine for cancer patients. Full article
Show Figures

Figure 1

6 pages, 1723 KB  
Short Note
2-Furanylmethyl N-(2-propenyl)carbamate
by Noah C. Baker, Abby L. Mock, Ivy B. Nguyen, Savan D. Patel and David C. Forbes
Molbank 2022, 2022(4), M1510; https://doi.org/10.3390/M1510 - 1 Dec 2022
Cited by 1 | Viewed by 1997
Abstract
The overexpression of protein phosphatase 5 (PP5) has been correlated to tumor cell reproduction, making it a candidate for small molecule drug therapy. Prior work has focused on functionalized and decorated scaffolds that maximize contacts within and around the active site. The assembly [...] Read more.
The overexpression of protein phosphatase 5 (PP5) has been correlated to tumor cell reproduction, making it a candidate for small molecule drug therapy. Prior work has focused on functionalized and decorated scaffolds that maximize contacts within and around the active site. The assembly and testing of cantharidin derivatives decorated with functionalized attachments has been our focus in order to affect the optimal binding of PP5. Condensation of 2-hydroxymethylfuran with allyl isocyanate meets the metrics of the rapid installment of functionality, as part of the core scaffold. Once condensed, cycloaddition followed by hydrogenation produces the desired derivative of norcantharidin in three synthetic steps. Full article
(This article belongs to the Section Organic Synthesis and Biosynthesis)
Show Figures

Graphical abstract

24 pages, 2278 KB  
Review
Norbornene and Related Structures as Scaffolds in the Search for New Cancer Treatments
by Gorka Calvo-Martín, Daniel Plano, Nuria Martínez-Sáez, Carlos Aydillo, Esther Moreno, Socorro Espuelas and Carmen Sanmartín
Pharmaceuticals 2022, 15(12), 1465; https://doi.org/10.3390/ph15121465 - 25 Nov 2022
Cited by 15 | Viewed by 5989
Abstract
The norbornene scaffold has arisen as a promising structure in medicinal chemistry due to its possible therapeutic application in cancer treatment. The development of norbornene-based derivatives as potential chemotherapeutic agents is attracting significant attention. Here, we report an unprecedented review on the recent [...] Read more.
The norbornene scaffold has arisen as a promising structure in medicinal chemistry due to its possible therapeutic application in cancer treatment. The development of norbornene-based derivatives as potential chemotherapeutic agents is attracting significant attention. Here, we report an unprecedented review on the recent advances of investigations into the antitumoral efficacy of different compounds, including the abovementioned bicyclic scaffold in their structure, in combination with chemotherapeutic agents or forming metal complexes. The impact that structural modifications to these bicyclic compounds have on the antitumoral properties and the mechanisms by which these norbornene derivatives act are discussed in this review. In addition, the use of norbornene, and its related compounds, encapsulation in nanosystems for its use in cancer therapies is here detailed. Full article
(This article belongs to the Topic Advances in Anti-Cancer Drugs)
Show Figures

Figure 1

12 pages, 2472 KB  
Article
Inhibition of MZF1/c-MYC Axis by Cantharidin Impairs Cell Proliferation in Glioblastoma
by Chie-Hong Wang, Hsuan-Cheng Wu, Chen-Wei Hsu, Yun-Wei Chang, Chiung-Yuan Ko, Tsung-I Hsu, Jian-Ying Chuang, Tsui-Hwa Tseng and Shao-Ming Wang
Int. J. Mol. Sci. 2022, 23(23), 14727; https://doi.org/10.3390/ijms232314727 - 25 Nov 2022
Cited by 7 | Viewed by 2486
Abstract
Myeloid zinc finger 1 (MZF1), also known as zinc finger protein 42, is a zinc finger transcription factor, belonging to the Krüppel-like family that has been implicated in several types of malignancies, including glioblastoma multiforme (GBM). MZF1 is reportedly an oncogenic gene that [...] Read more.
Myeloid zinc finger 1 (MZF1), also known as zinc finger protein 42, is a zinc finger transcription factor, belonging to the Krüppel-like family that has been implicated in several types of malignancies, including glioblastoma multiforme (GBM). MZF1 is reportedly an oncogenic gene that promotes tumor progression. Moreover, higher expression of MZF1 has been associated with a worse overall survival rate among patients with GBM. Thus, MZF1 may be a promising target for therapeutic interventions. Cantharidin (CTD) has been traditionally used in Chinese medicine to induce apoptosis and inhibit cancer cell proliferation; however, the mechanism by which CTD inhibits cell proliferation remains unclear. In this study, we found that the expression of MZF1 was higher in GBM tissues than in adjacent normal tissues and low-grade gliomas. Additionally, the patient-derived GBM cells and GBM cell lines presented higher levels of MZF1 than normal human astrocytes. We demonstrated that CTD had greater anti-proliferative effects on GBM than a derivative of CTD, norcantharidin (NCTD). MZF1 expression was strongly suppressed by CTD treatment. Furthermore, MZF1 enhanced the proliferation of GBM cells and upregulated the expression of c-MYC, whereas these effects were reversed by CTD treatment. The results of our study suggest that CTD may be a promising therapeutic agent for patients with GBM and suggest a promising direction for further investigation. Full article
(This article belongs to the Special Issue Gliomas: From Molecular Mechanisms to Therapeutic Approaches)
Show Figures

Figure 1

Back to TopTop