Tumor-Infiltrating iNKT Cells Activated through c-Kit/Sca-1 Are Induced by Pentoxifylline, Norcantharidin, and Their Mixtures for Killing Murine Melanoma Cells
Abstract
:1. Introduction
2. Results
2.1. NK Cells (CD16 + CD56+), iNKT Cell (CD1D + TCRvB8.1+) in Peripheral Blood
2.2. Activation Marker (CD107a+) on Peripheral Blood NK Cells and iNKT Cells
2.3. Expression of Immaturity Markers (CD117+/LY6A+) in Peripheral Blood NK Cells and iNKT Cells
2.4. Histopathological Analysis
2.4.1. Histological Findings
2.4.2. Infiltration of Mononuclear Cells in the Tumor/10 Fields—40x
2.4.3. Mitotic Figures in the Tumoral Mass
2.4.4. Nuclear Factor Area (NFA) of Melanoma Cells
2.4.5. Infiltration of Mononuclear Cells in the Tumor/ImageJ—10x
2.4.6. Tumoral Area Infiltrated with Mononuclear Cell/ImageJ—10x
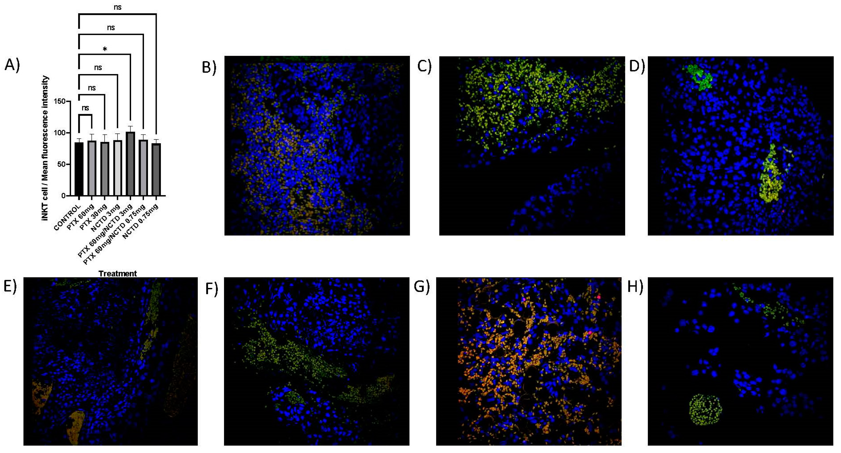
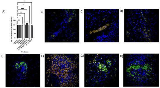
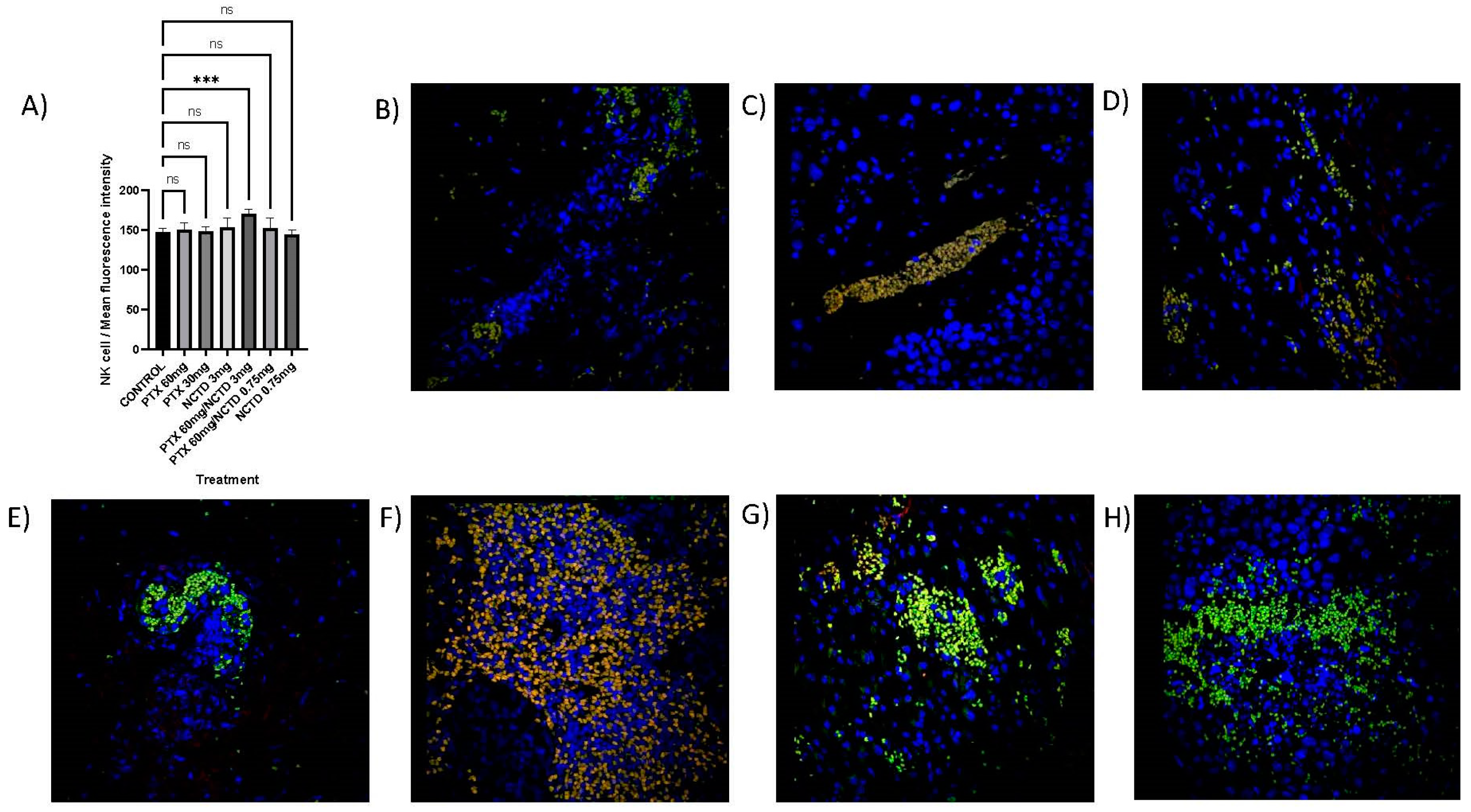
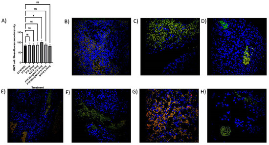
2.5. Detection of NK and iNKT in the Tumor Mass by Immunofluorescence Microscopy
2.6. Relationships between Natural Killer Cells with Their Recruitment to the Tumor Site and Their Cytotoxic Effects on Melanoma Cells
3. Discussion
4. Materials and Methods
4.1. Tumor Induction
4.2. Pharmacological Treatment
4.3. Sample Processing
4.4. Flow Cytometry
4.5. Histopathological Analysis
4.6. Analysis of Cell Nuclear Morphology (Nuclear Factor Area) and Distribution in the Tumor Mass
4.7. Detection of NK and iNKT Cells by Immunofluorescence in the Tumor Mass
4.8. Statistical Analysis
5. Conclusions
Supplementary Materials
Author Contributions
Funding
Institutional Review Board Statement
Informed Consent Statement
Data Availability Statement
Conflicts of Interest
References
- Lanier, L.L. Nk cell recognition. Annu. Rev. Immunol. 2005, 23, 225–274. [Google Scholar] [CrossRef] [PubMed]
- Spits, H.; Artis, D.; Colonna, M.; Diefenbach, A.; Di Santo, J.P.; Eberl, G.; Koyasu, S.; Locksley, R.M.; McKenzie, A.N.J.; Mebius, R.E.; et al. Innate lymphoid cells—A proposal for uniform nomenclature. Nat. Rev. Immunol. 2013, 13, 145–149. [Google Scholar] [CrossRef]
- Guillerey, C.; Huntington, N.D.; Smyth, M.J. Targeting natural killer cells in cancer immunotherapy. Nat. Immunol. 2016, 17, 1025–1036. [Google Scholar] [CrossRef]
- O’Sullivan, T.E. Dazed and confused: NK cells. Front. Immunol. 2019, 10, 2235. [Google Scholar] [CrossRef]
- Cui, J.; Shin, T.; Kawano, T.; Sato, H.; Kondo, E.; Toura, I.; Kaneko, Y.; Koseki, H.; Kanno, M.; Taniguchi, M. Requirement for Vα14 NKT cells in IL-12-mediated rejection of tumors. Science 1997, 278, 1623–1626. [Google Scholar] [CrossRef]
- Crowe, N.Y.; Smyth, M.J.; Godfrey, D.I. A critical role for natural killer T cells in immunosurveillance of methylcholanthrene-induced sarcomas. J. Exp. Med. 2002, 196, 119–127. [Google Scholar] [CrossRef]
- Jiang, Y.; Zhao, X.; Fu, J.; Wang, H. Progress and challenges in precise treatment of tumors with PD-1/PD-L1 blockade. Front. Immunol. 2020, 11, 339. [Google Scholar] [CrossRef] [PubMed]
- Robert, C. A decade of immune-checkpoint inhibitors in cancer therapy. Nat. Commun. 2020, 11, 3801. [Google Scholar] [CrossRef] [PubMed]
- Roy, R.; Singh, S.K.; Misra, S. Advancements in cancer immunotherapies. Vaccines 2022, 11, 59. [Google Scholar] [CrossRef]
- Madera-Sandoval, R.L.; Tóvári, J.; Lövey, J.; Ranđelović, I.; Jiménez-Orozco, A.; Hernández-Chávez, V.G.; Reyes-Maldonado, E.; Vega-López, A. Combination of pentoxifylline and α-galactosylceramide with radiotherapy promotes necro-apoptosis and leukocyte infiltration and reduces the mitosis rate in murine melanoma. Acta Histochem. 2019, 121, 680–689. [Google Scholar] [CrossRef]
- Golunski, G.; Woziwodzka, A.; Piosik, J. Potential use of pentoxifylline in cancer therapy. Curr. Pharm. Biotechnol. 2018, 19, 206–216. [Google Scholar] [CrossRef]
- Kamran, M.Z.; Gude, R.P. Pentoxifylline inhibits melanoma tumor growth and angiogenesis by targeting STAT3 signaling pathway. Biomed Pharmacother. 2013, 67, 399–405. [Google Scholar] [CrossRef]
- Talar, B.; Gajos-Michniewicz, A.; Talar, M.; Chouaib, S.; Czyz, M. Pentoxifylline Inhibits WNT Signalling in β-Cateninhigh Patient-Derived Melanoma Cell Populations. PLoS ONE 2016, 11, e0158275. [Google Scholar] [CrossRef]
- Tejera-Vaquerizo, A.; Fernández-Figueras, M.; Santos-Briz, A.; Ríos-Martín, J.; Monteagudo, C.; Fernández-Flores, A.; Requena, C.; Traves, V.; Descalzo-Gallego, M.; Rodríguez-Peralto, J. Protocolo de diagnóstico histológico para muestras de pacientes con melanoma cutáneo. Documento de consenso de la SEAP y la AEDV para el Registro Nacional de Melanoma. Actas Dermosifiliogr. 2021, 112, 32–43. [Google Scholar] [CrossRef] [PubMed]
- Hale, C.S.; Qian, M.; Ma, M.W.; Scanlon, P.; Berman, R.S.; Shapiro, R.L.; Pavlick, A.C.D.; Shao, Y.; Polsky, D.; Osman, I.; et al. Mitotic rate in melanoma: Prognostic value of immunostaining and computer-assisted image analysis. Am. J. Surg. Pathol. 2013, 37, 882–889. [Google Scholar] [CrossRef] [PubMed]
- Eidet, J.R.; Pasovic, L.; Maria, R.; Jackson, C.J.; Utheim, T.P. Objective assessment of changes in nuclear morphology and cell distribution following induction of apoptosis. Diagn. Pathol. 2014, 9, 92. [Google Scholar] [CrossRef]
- Martínez-Razo, G.; Pires, P.C.; Domínguez-López, M.L.; Veiga, F.; Vega-López, A.; Paiva-Santos, A.C. Norcantharidin nanoemulsion development, characterization, and in vitro antiproliferation effect on B16F1 melanoma cells. Pharmaceuticals 2023, 16, 501. [Google Scholar] [CrossRef]
- Zhou, J.; Ren, Y.; Tan, L.; Song, X.; Wang, M.; Li, Y.; Cao, Z.; Guo, C. Norcantharidin: Research advances in pharmaceutical activities and derivatives in recent years. Biomed. Pharmacother. 2020, 131, 110755. [Google Scholar] [CrossRef] [PubMed]
- Yan, M.S.; Xiue, S.; Wei, L.X.; Piao, X.H. The preliminary observation on immunosuppressive effect of norcantharidin in mice. Immunopharmacol. Immunotoxicol. 1993, 15, 79–85. [Google Scholar] [CrossRef]
- Liu, S.; Yu, H.; Kumar, S.M.; Martin, J.S.; Bing, Z.; Sheng, W.; Bosenberg, M.; Xu, X. Norcantharidin induces melanoma cell apoptosis through activation of TR3 dependent pathway. Cancer Biol. Ther. 2011, 12, 1005–1014. [Google Scholar] [CrossRef]
- Martínez-Razo, G.; Domínguez-López, M.L.; de la Rosa, J.M.; Fabila-Bustos, D.A.; Reyes-Maldonado, E.; Conde-Vázquez, E.; Vega-López, A. Norcantharidin toxicity profile: An in vivo murine study. Naunyn-Schmiedeberg’s Arch. Pharmacol. 2023, 396, 99–108. [Google Scholar] [CrossRef] [PubMed]
- Lee, H.; Da Silva, I.P.; Palendira, U.; Scolyer, R.A.; Long, G.V.; Wilmott, J.S. Targeting NK cells to enhance melanoma response to immunotherapies. Cancers 2021, 13, 1363. [Google Scholar] [CrossRef] [PubMed]
- Exley, M.A.; Friedlander, P.; Alatrakchi, N.; Vriend, L.; Yue, S.; Sasada, T.; Zeng, W.; Mizukami, Y.; Clark, J.; Nemer, D.; et al. Adoptive transfer of invariant NKT cells as immunotherapy for advanced melanoma: A phase I clinical trial. Clin. Cancer Res. 2017, 23, 3510–3519. [Google Scholar] [CrossRef]
- Angeramo, C.A.; Laxague, F.; Armella, E.D.; Catán, J.R.; Vigovich, F.A.; Mezzadri, N.A.; Vila, J.M.F. Tumor-infiltrating lymphocytes in patients with melanoma: Which is its prognostic value? Indian J. Surg. Oncol. 2021, 12, 770–775. [Google Scholar] [CrossRef]
- Aktas, E.; Kucuksezer, U.C.; Bilgic, S.; Erten, G.; Deniz, G. Relationship between CD107a expression and cytotoxic activity. Cell. Immunol. 2009, 254, 149–154. [Google Scholar] [CrossRef]
- Cohnen, A.; Chiang, S.C.; Stojanovic, A.; Schmidt, H.; Claus, M.; Saftig, P.; Janßen, O.; Cerwenka, A.; Bryceson, Y.T.; Watzl, C. Surface CD107a/LAMP-1 protects natural killer cells from degranulation-associated damage. Blood 2013, 122, 1411–1418. [Google Scholar] [CrossRef]
- Gwalani, L.A.; Orange, J.S. Single degranulations in NK cells can mediate target cell killing. J. Immunol. 2018, 200, 3231–3243. [Google Scholar] [CrossRef]
- Oka, N.; Markova, T.; Tsuzuki, K.; Li, W.; El-Darawish, Y.; Pencheva-Demireva, M.; Yamanishi, K.; Yamanishi, H.; Sakagami, M.; Tanaka, Y.; et al. IL-12 regulates the expansion, phenotype, and function of murine NK cells activated by IL-15 and IL-18′. Cancer Immunol. Immunother. 2020, 69, 1699–1712. [Google Scholar] [CrossRef]
- Benson, D.M., Jr.; Yu, J.; Becknell, B.; Wei, M.; Freud, A.G.; Ferketich, A.K.; Trotta, R.; Perrotti, D.; Briesewitz, R.; Caligiuri, M.A. Stem cell factor and interleukin-2/15 combine to enhance MAPK-mediated proliferation of human natural killer cells. Blood 2009, 113, 2706–2714. [Google Scholar] [CrossRef] [PubMed]
- Vega-López, A.; Pagadala, N.S.; López-Tapia, B.P.; Madera-Sandoval, R.L.; Rosales-Cruz, E.; Nájera-Martínez, M.; Reyes-Maldonado, E. Is related the hematopoietic stem cells differentiation in the Nile tilapia with GABA exposure? Fish Shellfish Immunol. 2019, 93, 801–814. [Google Scholar] [CrossRef]
- Bi, J.; Wang, X. Molecular regulation of NK cell maturation. Front. Immunol. 2020, 11, 1945. [Google Scholar] [CrossRef]
- Fogel, L.A.; Sun, M.M.; Geurs, T.L.; Carayannopoulos, L.N.; French, A.R. Markers of nonselective and specific NK cell activation. J. Immunol. 2013, 190, 6269–6276. [Google Scholar] [CrossRef] [PubMed]
- Cui, F.; Qu, D.; Sun, R.; Zhang, M.; Nan, K. NK cell-produced IFN-γ regulates cell growth and apoptosis of colorectal cancer by regulating IL-15′. Exp. Ther. Med. 2019, 19, 1400–1406. [Google Scholar] [CrossRef]
- Richards, J.O.; Chang, X.; Blaser, B.W.; Caligiuri, M.A.; Zheng, P.; Liu, Y. Tumor growth impedes natural-killer-cell maturation in the bone marrow. Blood 2006, 108, 246–252. [Google Scholar] [CrossRef]
- Azzola, M.F.; Shaw, H.M.; Thompson, J.F.; Soong, S.-J.; Scolyer, R.A.; Watson, G.F.; Colman, M.H.; Zhang, Y. Tumor mitotic rate is a more powerful prognostic indicator than ulceration in patients with primary cutaneous melanoma: An analysis of 3661 patients from a single center. Cancer 2003, 97, 1488–1498. [Google Scholar] [CrossRef] [PubMed]
- Francken, A.B.; Shaw, H.M.; Thompson, J.F.; Soong, S.-J.; Accortt, N.A.; Azzola, M.F.; Scolyer, R.A.; Milton, G.W.; McCarthy, W.H.; Colman, M.H.; et al. The prognostic importance of tumor mitotic rate confirmed in 1317 patients with primary cutaneous melanoma and long follow-up. Ann. Surg. Oncol. 2004, 11, 426–433. [Google Scholar] [CrossRef] [PubMed]
- Antohe, M.; Nedelcu, R.I.; Nichita, L.; Popp, C.G.; Cioplea, M.; Brinzea, A.; Hodorogea, A.; Calinescu, A.; Balaban, M.; Ion, D.A.; et al. Tumor infiltrating lymphocytes: The regulator of melanoma evolution (Review). Oncol. Lett. 2019, 17, 4155–4161. [Google Scholar] [CrossRef]
- Tarazona, R.; Duran, E.; Solana, R. Natural killer cell recognition of melanoma: New clues for a more effective immunotherapy. Front. Immunol. 2016, 6, 649. [Google Scholar] [CrossRef]
- Muenst, S.; Läubli, H.; Soysal, S.D.; Zippelius, A.; Tzankov, A.; Hoeller, S. The immune system and cancer evasion strategies: Therapeutic concepts. J. Intern. Med. 2016, 279, 541–562. [Google Scholar] [CrossRef]
- Boddupalli, C.S.; Bar, N.; Kadaveru, K.; Krauthammer, M.; Pornputtapong, N.; Mai, Z.; Ariyan, S.; Narayan, D.; Kluger, H.; Deng, Y.; et al. Interlesional diversity of T cell receptors in melanoma with immune checkpoints enriched in tissue-resident memory T cells. JCI Insight 2016, 1, e88955. [Google Scholar] [CrossRef]
- Schadendorf, D.; Fisher, D.E.; Garbe, C.; Gershenwald, J.E.; Grob, J.-J.; Halpern, A.; Herlyn, M.; Marchetti, M.A.; McArthur, G.; Ribas, A.; et al. Melanoma. Nat. Rev. Dis. Primers 2015, 1, 15003. [Google Scholar] [CrossRef]
- Fu, S.; He, K.; Tian, C.; Sun, H.; Zhu, C.; Bai, S.; Liu, J.; Wu, Q.; Xie, D.; Yue, T.; et al. Impaired lipid biosynthesis hinders anti-tumor efficacy of intratumoral iNKT cells. Nat. Commun. 2020, 11, 438. [Google Scholar] [CrossRef] [PubMed]
- Cui, G.; Shimba, A.; Jin, J.; Ogawa, T.; Muramoto, Y.; Miyachi, H.; Abe, S.; Asahi, T.; Tani-Ichi, S.; Dijkstra, J.M.; et al. A circulating subset of iNKT cells mediates antitumor and antiviral immunity. Sci. Immunol. 2022, 7, eabj8760. [Google Scholar] [CrossRef]
- Schlaeger, T.M.; Schuh, A.; Flitter, S.; Fisher, A.; Mikkola, H.; Orkin, S.H.; Vyas, P.; Porcher, C. Decoding hematopoietic specificity in the helix-loop-helix domain of the transcription factor SCL/Tal-1′. Mol. Cell. Biol. 2004, 24, 7491–7502. [Google Scholar] [CrossRef]
- Kellici, T.F.; Liapakis, G.; Tzakos, A.G.; Mavromoustakos, T. Pharmaceutical Compositions for Antihypertensive Treatments: A Patent Review. Expert Opin. Ther. Pat. 2011, 21, 1743–1753. [Google Scholar] [CrossRef]
- Kim, J.; Kim, J.S.; Lee, H.K.; Kim, H.S.; Park, E.J.; Choi, J.E.; Choi, Y.J.; Shin, B.R.; Kim, E.Y.; Hong, J.T.; et al. CXCR3-deficient natural killer cells fail to migrate to B16F10 melanoma cells. Int. Immunopharmacol. 2018, 63, 66–73. [Google Scholar] [CrossRef]
- Huang, B.; Han, W.; Sheng, Z.-F.; Shen, G.-L. Identification of immune-related biomarkers associated with tumorigenesis and prognosis in cutaneous melanoma patients. Cancer Cell Int. 2020, 20, 195. [Google Scholar] [CrossRef]
- Dubois-Vedrenne, I.; Al Delbany, D.; De Henau, O.; Robert, V.; Vernimmen, M.; Langa, F.; Lefort, A.; Libert, F.; Wittamer, V.; Parmentier, M. The antitumoral effects of chemerin are independent from leukocyte recruitment and mediated by inhibition of neoangiogenesis. Oncotarget 2021, 12, 1903–1919. [Google Scholar] [CrossRef]
- Vermi, W.; Riboldi, E.; Wittamer, V.; Gentili, F.; Luini, W.; Marrelli, S.; Vecchi, A.; Franssen, J.-D.; Communi, D.; Massardi, L.; et al. Role of ChemR23 in directing the migration of myeloid and plasmacytoid dendritic cells to lymphoid organs and inflamed skin. J. Exp. Med. 2005, 201, 509–515. [Google Scholar] [CrossRef]
- Gustafsson, K.; Junevik, K.; Werlenius, O.; Holmgren, S.; Karlsson-Parra, A.; Andersson, P.-O. Tumour-loaded α-type 1-polarized dendritic cells from patients with chronic Lymphocytic leukaemia produce a superior NK-, NKT- and CD8+T cell-attracting chemokine profile: ADC1 attracts NK and NKT cells in CLL. Scand. J. Immunol. 2011, 74, 318–326. [Google Scholar] [CrossRef]
- Germanov, E.; Veinotte, L.; Cullen, R.; Chamberlain, E.; Butcher, E.C.; Johnston, B. Critical role for the chemokine receptor CXCR6 in homeostasis and activation of CD1d-restricted NKT cells. J. Immunol. 2008, 181, 81–91. [Google Scholar] [CrossRef]
- Gu, X.; Chu, Q.; Ma, X.; Wang, J.; Chen, C.; Guan, J.; Ren, Y.; Wu, S.; Zhu, H. New insights into iNKT cells and their roles in liver diseases. Front. Immunol. 2022, 13, 1035950. [Google Scholar] [CrossRef]
- Leite-De-Moraes, M.C.; Hameg, A.; Pacilio, M.; Koezuka, Y.; Taniguchi, M.; Van Kaer, L.; Schneider, E.; Dy, M.; Herbelin, A. IL-18 enhances IL-4 production by ligand-activated NKT lymphocytes: A pro-Th2 effect of IL-18 exerted through NKT cells. J. Immunol. 2001, 166, 945–951. [Google Scholar] [CrossRef] [PubMed]
- Wei, J.; Xia, S.; Sun, H.; Zhang, S.; Wang, J.; Zhao, H.; Wu, X.; Chen, X.; Hao, J.; Zhou, X.; et al. Critical role of dendritic cell–derived IL-27 in antitumor immunity through regulating the recruitment and activation of NK and NKT cells. J. Immunol. 2013, 191, 500–508. [Google Scholar] [CrossRef]
- Kobayashi, E.; Motoki, K.; Uchida, T.; Fukushima, H.; Koezuka, Y. KRN7000, a novel immunomodulator, and its antitumor activities. Oncol. Res. 1995, 7, 529–534. [Google Scholar] [PubMed]
- Osman, Y.; Kawamura, T.; Naito, T.; Takeda, K.; Van Kaer, L.; Okumura, K.; Abo, T. Activation of hepatic NKT cells and subsequent liver injury following administration of α-galactosylceramide. Eur. J. Immunol. 2000, 30, 1919–1928. [Google Scholar] [CrossRef]
- Shimizu, K.; Hidaka, M.; Bickham, K.; Moriwaki, M.; Fujimoto, K.; Kawano, F.; Fujii, S.-I. Human leukemic cells loaded with α-galactosylceramide (α-GalCer) activate murine NKT cells in situ. Int. J. Hematol. 2010, 92, 152–160. [Google Scholar] [CrossRef]
- Fu, X.; Liu, Y.; Li, L.; Li, Q.; Qiao, D.; Wang, H.; Lao, S.; Fan, Y.; Wu, C. Human natural killer cells expressing the memory-associated marker CD45RO from tuberculous pleurisy respond more strongly and rapidly than CD45RO− natural killer cells following stimulation with interleukin-12: Human CD45RO+ NK cells cultured with IL-12 respond more than CD45RO− NK cells from TB pleurisy. Immunology 2011, 134, 41–49. [Google Scholar] [CrossRef]
- Fu, X.; Yu, S.; Yang, B.; Lao, S.; Li, B.; Wu, C. Memory-like antigen-specific human NK cells from TB pleural fluids produced IL-22 in response to IL-15 or Mycobacterium tuberculosis antigens. PLoS ONE 2016, 11, e0151721. [Google Scholar] [CrossRef]
- Kamran, M.Z.; Gude, R.P. Preclinical evaluation of the antimetastatic efficacy of Pentoxifylline on A375 human melanoma cell line. Biomed. Pharmacother. 2012, 66, 617–626. [Google Scholar] [CrossRef]
- Sharma, K.; Ishaq, M.; Sharma, G.; Khan, M.A.; Dutta, R.K.; Majumdar, S. Pentoxifylline triggers autophagy via ER stress response that interferes with Pentoxifylline induced apoptosis in human melanoma cells. Biochem. Pharmacol. 2016, 103, 17–28. [Google Scholar] [CrossRef]
- Theron, T.; Binder, A.; Verheye-Dua, F. The role of G2-block abrogation, DNA double-strand break repair and apoptosis in the radiosensitization of melanoma and squamous cell carcinoma cell lines by pentoxifylline. Int. J. Radiat. Biol. 2000, 76, 1197–1208. [Google Scholar] [CrossRef]
- An, W.-W.; Wang, M.-W.; Tashiro, S.-I.; Onodera, S.; Ikejima, T. Norcantharidin induces human melanoma A375-S2 cell apoptosis through mitochondrial and caspase pathways. J. Korean Med. Sci. 2004, 19, 560. [Google Scholar] [CrossRef]
- Wang, Z.; You, D.; Lu, M.; He, Y.; Yan, S. Inhibitory effect of norcantharidin on melanoma tumor growth and vasculogenic mimicry by suppressing MMP-2 expression. Oncol. Lett. 2017, 13, 1660–1664. [Google Scholar] [CrossRef] [PubMed]
- Daniel, B.; DeCoster, M.A. Quantification of sPLA2-induced early and late apoptosis changes in neuronal cell cultures using combined TUNEL and DAPI staining. Brain Res. Brain Res. Protoc. 2004, 13, 144–150. [Google Scholar] [CrossRef] [PubMed]
- DeCoster, M.A. The nuclear area factor (NAF): A measure for cell apoptosis using microscopy and image analysis. Modern Res. Educ. Topics Microsc. 2007, 1, 378–384. [Google Scholar]
- Helmy, M.; Azim, A.M.A. Efficacy of ImageJ in the assessment of apoptosis. Diagn. Pathol. 2012, 7, 15. [Google Scholar] [CrossRef] [PubMed]
- Balsamo, M.; Vermi, W.; Parodi, M.; Pietra, G.; Manzini, C.; Queirolo, P.; Lonardi, S.; Augugliaro, R.; Moretta, A.; Facchetti, F.; et al. Melanoma cells become resistant to NK-cell-mediated killing when exposed to NK-cell numbers compatible with NK-cell infiltration in the tumor: Innate immunity. Eur. J. Immunol. 2012, 42, 1833–1842. [Google Scholar] [CrossRef]








| Treatment | Correlated Variables | r2 | p-Value | |
|---|---|---|---|---|
| Control | NKc-kit/Lya6A | NK107a | −0.668 | p ≤ 0.05 |
| iNKT | iNKT107a | 0.890 | p ≤ 0.01 | |
| iNKT | iNKT/c-kit/LyA6A | 0.982 | p ≤ 0.001 | |
| iNKTc-kit/LyA6A | iNKT107a | 0.796 | p ≤ 0.05 | |
| NKc-kit/Lya6A | NFA | −0.704 | p ≤ 0.05 | |
| PTX 60 mg/kg | NKc-kit/LyA6A | NK107a | 0.957 | p ≤ 0.01 |
| NK107a | iNKT107a | 0.929 | p ≤ 0.01 | |
| NK107a | iNKTc-kit/Lya6A | 0.885 | p ≤ 0.05 | |
| NKc-kit/Lya6A | iNKT107a | 0.849 | p ≤ 0.05 | |
| NKc-kit/Lya6A | iNKTc-kit/Lya6A | 0.977 | p ≤ 0.001 | |
| NK | Mitosis | 0.895 | p ≤ 0.05 | |
| PTX 30 mg/kg | NKc-kit/Lya6A | NK107a | 0.878 | p ≤ 0.05 |
| L.I. 40x | Mitosis | 1.0 | p ≤ 0.001 | |
| NCTD 3.0 mg/kg | iNKTc-kit/Lya6A | iNKT107a | 0.970 | p ≤ 0.01 |
| iNKT107a | L.C. 10x | 0.875 | p ≤ 0.05 | |
| iNKTc-kit/LyA6A | L.C. 10x | 0.870 | p ≤ 0.05 | |
| iNKT tumor | Area | −0.983 | p ≤ 0.01 | |
| NCTD 0.75 mg/kg | NK | NK107a | 0.987 | p ≤ 0.05 |
| NKc-kit/Lya6A | NK107a | 0.967 | p ≤ 0.05 | |
| NK tumor | Mitosis | 0.972 | p ≤ 0.05 | |
| NK | iNKT tumor | 0.959 | p ≤ 0.05 | |
| NK107a | iNKT tumor | 0.943 | p ≤ 0.05 | |
| Mitosis | Area | −0.993 | p ≤ 0.01 | |
| NK tumor | Area | −0.992 | p ≤ 0.01 | |
| PTX 60 mg/kg + NCTD 3.0 mg/kg | NKc-kit/Lya6A | NK107a | 0.991 | p ≤ 0.01 |
| Mitosis | L.I. 40x | −1.0 | p ≤ 0.001 | |
| NK | iNKT tumor | −0.949 | p ≤ 0.05 | |
| iNKT107a | L.C. 10x | 0.944 | p ≤ 0.05 | |
| PTX 60mg/kg + NCTD 0.75 mg/kg | NK | NK107a | 0.97 | p ≤ 0.001 |
| NK | NKc-kit/Lya6A | 0.994 | p ≤ 0.001 | |
| NKc-kit/Lya6A | NK107a | 0.945 | p ≤ 0.01 | |
| iNKTc-kit/Lya6A | L.I. 40x | 0.941 | p ≤ 0.01 | |
| iNKT | NFA | 0.886 | p ≤ 0.05 | |
| iNKT | NK tumor | 0.828 | p ≤ 0.05 | |
| NK tumor | L.I. 40x | −0.857 | p ≤ 0.05 | |
| iNKTc-kit/Lya6A | iNKT tumor | 0.837 | p ≤ 0.05 | |
| L.C. 10x | Area | 0.874 | p ≤ 0.05 | |
Disclaimer/Publisher’s Note: The statements, opinions and data contained in all publications are solely those of the individual author(s) and contributor(s) and not of MDPI and/or the editor(s). MDPI and/or the editor(s) disclaim responsibility for any injury to people or property resulting from any ideas, methods, instructions or products referred to in the content. |
© 2023 by the authors. Licensee MDPI, Basel, Switzerland. This article is an open access article distributed under the terms and conditions of the Creative Commons Attribution (CC BY) license (https://creativecommons.org/licenses/by/4.0/).
Share and Cite
Correa-Lara, M.V.M.; Lara-Vega, I.; Nájera-Martínez, M.; Domínguez-López, M.L.; Reyes-Maldonado, E.; Vega-López, A. Tumor-Infiltrating iNKT Cells Activated through c-Kit/Sca-1 Are Induced by Pentoxifylline, Norcantharidin, and Their Mixtures for Killing Murine Melanoma Cells. Pharmaceuticals 2023, 16, 1472. https://doi.org/10.3390/ph16101472
Correa-Lara MVM, Lara-Vega I, Nájera-Martínez M, Domínguez-López ML, Reyes-Maldonado E, Vega-López A. Tumor-Infiltrating iNKT Cells Activated through c-Kit/Sca-1 Are Induced by Pentoxifylline, Norcantharidin, and Their Mixtures for Killing Murine Melanoma Cells. Pharmaceuticals. 2023; 16(10):1472. https://doi.org/10.3390/ph16101472
Chicago/Turabian StyleCorrea-Lara, Maximiliano V. M., Israel Lara-Vega, Minerva Nájera-Martínez, María Lilia Domínguez-López, Elba Reyes-Maldonado, and Armando Vega-López. 2023. "Tumor-Infiltrating iNKT Cells Activated through c-Kit/Sca-1 Are Induced by Pentoxifylline, Norcantharidin, and Their Mixtures for Killing Murine Melanoma Cells" Pharmaceuticals 16, no. 10: 1472. https://doi.org/10.3390/ph16101472
APA StyleCorrea-Lara, M. V. M., Lara-Vega, I., Nájera-Martínez, M., Domínguez-López, M. L., Reyes-Maldonado, E., & Vega-López, A. (2023). Tumor-Infiltrating iNKT Cells Activated through c-Kit/Sca-1 Are Induced by Pentoxifylline, Norcantharidin, and Their Mixtures for Killing Murine Melanoma Cells. Pharmaceuticals, 16(10), 1472. https://doi.org/10.3390/ph16101472

