A Computer Vision Milky Way Compass
Abstract
1. Introduction
1.1. The Milky Way
1.2. Insect Vision under Starlight
1.3. Contribution of This Study
2. Materials and Methods
2.1. Data Generation
2.2. Methodology
| Algorithm 1: MW Detection and Orientation |
![]() |
2.2.1. Image Thresholding
2.2.2. Low Redundancy Wavelet Entropy Edge Detection (LRWEEDA)
2.2.3. Radon Transform
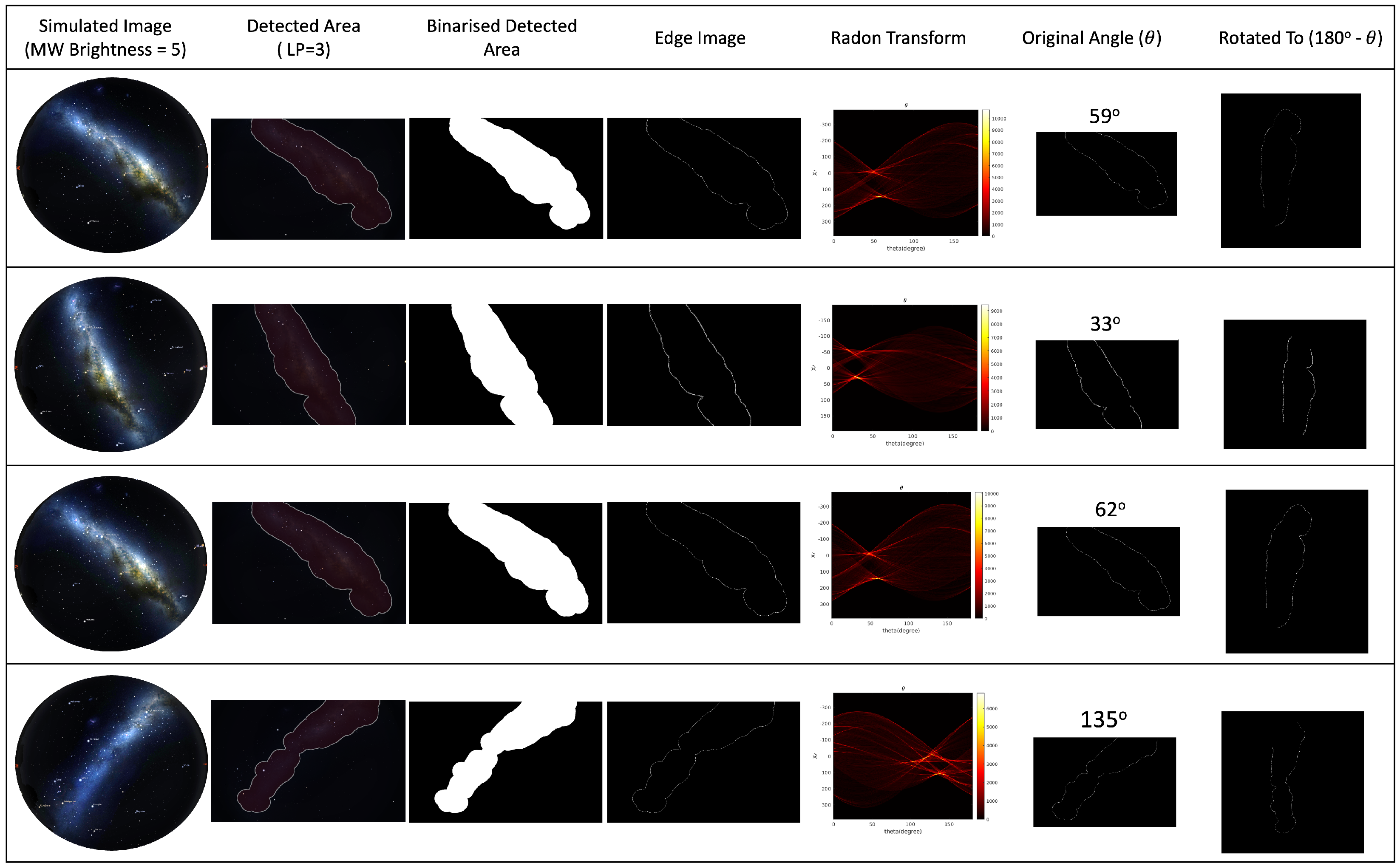
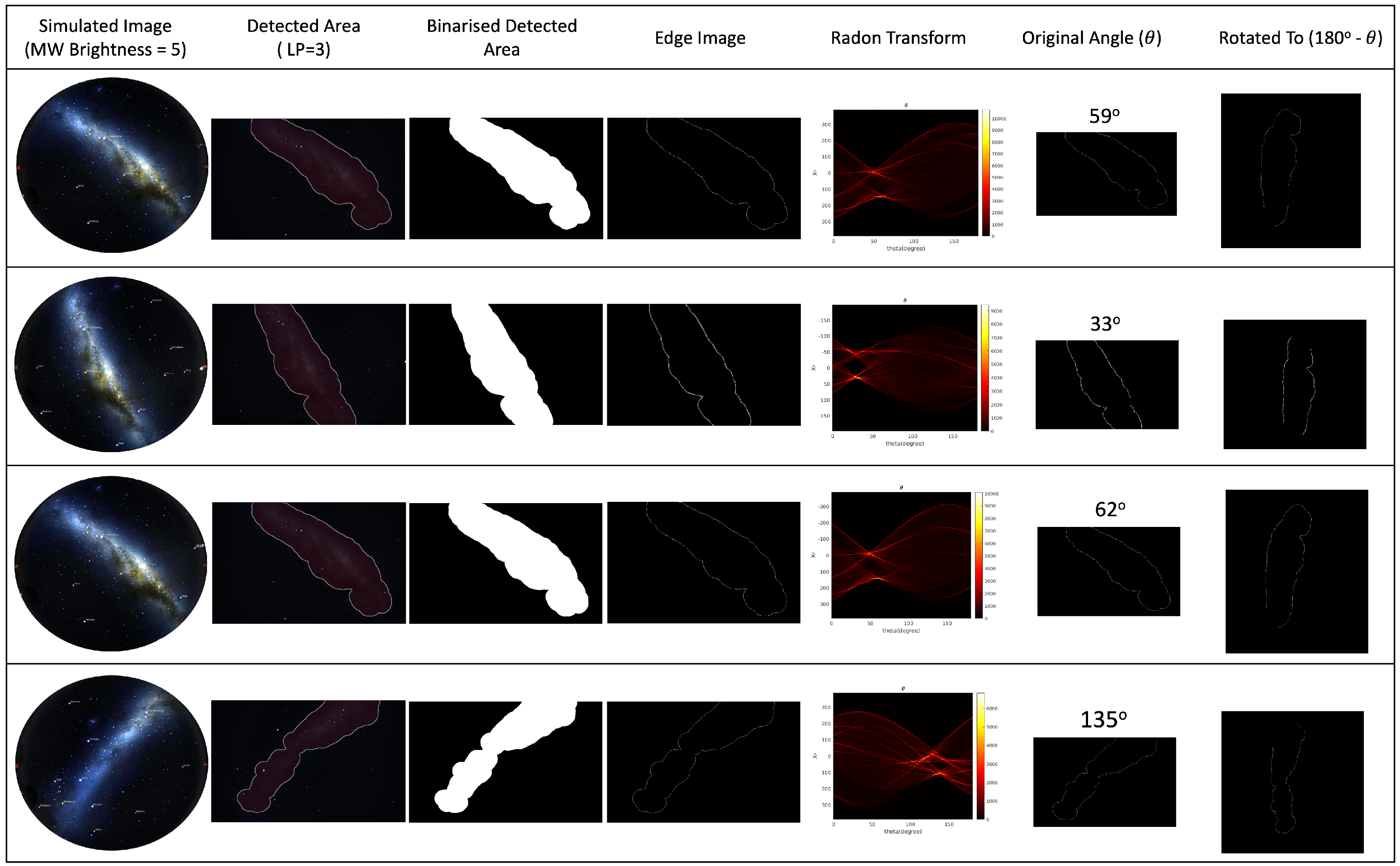
3. Results
4. Discussion
5. Conclusions
Author Contributions
Funding
Institutional Review Board Statement
Informed Consent Statement
Data Availability Statement
Acknowledgments
Conflicts of Interest
Abbreviations
| MW | Milky Way |
| LP | light pollution |
| ESO | European Southern Observatory |
| SQM | sky quality meter |
| NELM | naked-eye limiting magnitude |
| BCV | between-class variance |
| LRWEEDA | Low Redundancy Wavelet Entropy Edge Detection |
| RT | Radon transform |
| MELO | Melbourne Observatory |
| AAO | Australia Astronomical Observatory |
Appendix A
Appendix A.1. The Milky Way

Appendix A.2. Insect Vision in Less Than Starlight

References
- Foster, J.J.; El Jundi, B.; Smolka, J.; Khaldy, L.; Nilsson, D.E.; Byrne, M.J.; Dacke, M. Stellar performance: Mechanisms underlying Milky Way orientation in dung beetles. Philos. Trans. R. Soc. Biol. Sci. 2017, 372, 20160079. [Google Scholar] [CrossRef]
- Dacke, M.; Baird, E.; El Jundi, B.; Warrant, E.J.; Byrne, M. How dung beetles steer straight. Annu. Rev. Entomol. 2021, 66, 243–256. [Google Scholar] [CrossRef]
- Reppert, S.M.; Zhu, H.; White, R.H. Polarized light helps monarch butterflies navigate. Curr. Biol. 2004, 14, 155–158. [Google Scholar] [CrossRef]
- Nilsson, D.E. Eye ancestry: Old genes for new eyes. Curr. Biol. 1996, 6, 39–42. [Google Scholar] [CrossRef]
- Mauck, B.; Gläser, N.; Schlosser, W.; Dehnhardt, G. Harbour seals (Phoca vitulina) can steer by the stars. Anim. Cogn. 2008, 11, 715–718. [Google Scholar] [CrossRef]
- Hardie, R.C.; Stavenga, D.G. Facets of Vision; Springer: Berlin/Heidelberg, Germany, 1989. [Google Scholar]
- Land, M.F.; Nilsson, D.E. Animal Eyes; OUP: Oxford, UK, 2012. [Google Scholar]
- Rigosi, E.; Wiederman, S.D.; O’Carroll, D.C. Visual acuity of the honey bee retina and the limits for feature detection. Sci. Rep. 2017, 7, 45972. [Google Scholar] [CrossRef]
- Warrant, E.; Somanathan, H. Colour vision in nocturnal insects. Philos. Trans. R. Soc. B 2022, 377, 20210285. [Google Scholar] [CrossRef]
- Stöckl, A.L.; O’Carroll, D.C.; Warrant, E.J. Neural summation in the hawkmoth visual system extends the limits of vision in dim light. Curr. Biol. 2016, 26, 821–826. [Google Scholar] [CrossRef]
- Warrant, E.J. The remarkable visual capacities of nocturnal insects: Vision at the limits with small eyes and tiny brains. Philos. Trans. R. Soc. B Biol. Sci. 2017, 372, 20160063. [Google Scholar] [CrossRef]
- Labhart, T.; Meyer, E.P. Detectors for polarized skylight in insects: A survey of ommatidial specializations in the dorsal rim area of the compound eye. Microsc. Res. Tech. 1999, 47, 368–379. [Google Scholar] [CrossRef]
- Meyer, E.P.; Labhart, T. Morphological specializations of dorsal rim ommatidia in the compound eye of dragonflies and damselfies (Odonata). Cell Tissue Res. 1993, 272, 17–22. [Google Scholar] [CrossRef]
- Fent, K.; Wehner, R. Ocelli: A celestial compass in the desert ant Cataglyphis. Science 1985, 228, 192–194. [Google Scholar] [CrossRef]
- Brunner, D.; Labhart, T. Behavioural evidence for polarization vision in crickets. Physiol. Entomol. 1987, 12, 1–10. [Google Scholar] [CrossRef]
- Levels, R.L. Recommended light levels (illuminance) for outdoor and indoor venues. In The Engineering Toolbox. Recommended Light Levels; 2020; Available online: https://www.engineeringtoolbox.com/light-level-rooms-d_708.html (accessed on 1 February 2023).
- Dacke, M.; El Jundi, B. The dung beetle compass. Curr. Biol. 2018, 28, R993–R997. [Google Scholar] [CrossRef]
- Dacke, M.; Baird, E.; Byrne, M.; Scholtz, C.H.; Warrant, E.J. Dung beetles use the Milky Way for orientation. Curr. Biol. 2013, 23, 298–300. [Google Scholar] [CrossRef]
- Warrant, E.; Dacke, M. Visual navigation in nocturnal insects. Physiology 2016, 31, 182–192. [Google Scholar] [CrossRef]
- Rayleigh, L. XXXIV. On the transmission of light through an atmosphere containing small particles in suspension, and on the origin of the blue of the sky. Lond. Edinb. Dublin Philos. Mag. J. Sci. 1899, 47, 375–384. [Google Scholar] [CrossRef]
- Jouir, T.; Strydom, R.; Srinivasan, M.V. A 3D sky compass to achieve robust estimation of UAV attitude. In Proceedings of the Australasian Conference on Robotics and Automation (ACRA), Canberra, Australia, 2–4 December 2015. [Google Scholar]
- Lambrinos, D.; Kobayashi, H.; Pfeifer, R.; Maris, M.; Labhart, T.; Wehner, R. An autonomous agent navigating with a polarized light compass. Adapt. Behav. 1997, 6, 131–161. [Google Scholar] [CrossRef]
- Dupeyroux, J.; Viollet, S.; Serres, J.R. Polarized skylight-based heading measurements: A bio-inspired approach. J. R. Soc. Interface 2019, 16, 20180878. [Google Scholar] [CrossRef]
- Chahl, J.; Mizutani, A. Biomimetic attitude and orientation sensors. IEEE Sens. J. 2010, 12, 289–297. [Google Scholar] [CrossRef]
- Thakoor, S.; Morookian, J.M.; Chahl, J.; Hine, B.; Zornetzer, S. BEES: Exploring mars with bioinspired technologies. Computer 2004, 37, 38–47. [Google Scholar] [CrossRef]
- Zotti, G.; Hoffmann, S.M.; Wolf, A.; Chéreau, F.; Chéreau, G. The simulated sky: Stellarium for cultural astronomy research. arXiv 2021, arXiv:2104.01019. [Google Scholar] [CrossRef]
- Kayton, M.; Fried, W.R. Avionics Navigation Systems; John Wiley & Sons: Hoboken, NJ, USA, 1997. [Google Scholar]
- Parish, J.J.; Parish, A.S.; Swanzy, M.; Woodbury, D.; Mortari, D.; Junkins, J.L. Stellar positioning system (part I): An autonomous position determination solution. Navigation 2010, 57, 1–12. [Google Scholar] [CrossRef]
- Amert, J.; Fritzinger, M. Hardware Demonstration and Improvements of the Stellar Positioning System. In Proceedings of the 45th Annual AAS Guidance, Navigation and Control (GN&C) Conference, Breckenridge, CO, USA, 2–8 February 2023. [Google Scholar]
- Falchi, F.; Cinzano, P.; Duriscoe, D.; Kyba, C.C.; Elvidge, C.D.; Baugh, K.; Portnov, B.A.; Rybnikova, N.A.; Furgoni, R. The new world atlas of artificial night sky brightness. Sci. Adv. 2016, 2, e1600377. [Google Scholar] [CrossRef]
- Lucas, M.A.; Chahl, J.S. Challenges for biomimetic night time sky polarization navigation. In Proceedings of the Bioinspiration, Biomimetics, and Bioreplication 2016, Las Vegas, NV, USA, 21–25 March 2016; Volume 9797, pp. 11–22. [Google Scholar]
- Bortle, J.E. The Bortle Dark-Sky Scale. In Sky and Telescope; 2001; Available online: https://skyandtelescope.org/wp-content/uploads/BortleDarkSkyScale.pdf (accessed on 15 January 2023).
- Hänel, A.; Posch, T.; Ribas, S.J.; Aubé, M.; Duriscoe, D.; Jechow, A.; Kollath, Z.; Lolkema, D.E.; Moore, C.; Schmidt, N.; et al. Measuring night sky brightness: Methods and challenges. J. Quant. Spectrosc. Radiat. Transf. 2018, 205, 278–290. [Google Scholar] [CrossRef]
- Foster, J.J.; Smolka, J.; Nilsson, D.E.; Dacke, M. How animals follow the stars. Proc. R. Soc. B Biol. Sci. 2018, 285, 20172322. [Google Scholar] [CrossRef]
- Otsu, N. A threshold selection method from gray-level histograms. IEEE Trans. Syst. Man Cybern. 1979, 9, 62–66. [Google Scholar] [CrossRef]
- Goh, T.Y.; Basah, S.N.; Yazid, H.; Safar, M.J.A.; Saad, F.S.A. Performance analysis of image thresholding: Otsu technique. Measurement 2018, 114, 298–307. [Google Scholar] [CrossRef]
- Siddique, M.A.B.; Arif, R.B.; Khan, M.M.R. Digital image segmentation in matlab: A brief study on otsu’s image thresholding. In Proceedings of the 2018 International Conference on Innovation in Engineering and Technology (ICIET), Dhaka, Bangladesh, 27–28 December 2018; pp. 1–5. [Google Scholar]
- Ridler, T.; Calvard, S. Picture thresholding using an iterative selection method. IEEE Trans. Syst. Man Cybern 1978, 8, 630–632. [Google Scholar]
- Kapur, J.N.; Sahoo, P.K.; Wong, A.K. A new method for gray-level picture thresholding using the entropy of the histogram. Comput. Vision, Graph. Image Process. 1985, 29, 273–285. [Google Scholar] [CrossRef]
- Tao, Y.; Scully, T.; Perera, A.G.; Lambert, A.; Chahl, J. A Low Redundancy Wavelet Entropy Edge Detection Algorithm. J. Imaging 2021, 7, 188. [Google Scholar] [CrossRef]
- Canny, J. A Computational Approach to Edge Detection. IEEE Trans. Pattern Anal. Mach. Intell. 1986, 8, 679–698. [Google Scholar] [CrossRef]
- Li, C.; Qu, Z. Review of image edge detection algorithms based on deep learning. J. Comput. Appl. 2020, 40, 3280. [Google Scholar]
- Su, Z.; Liu, W.; Yu, Z.; Hu, D.; Liao, Q.; Tian, Q.; Pietikäinen, M.; Liu, L. Pixel difference networks for efficient edge detection. In Proceedings of the IEEE/CVF International Conference on Computer Vision, Montreal, BC, Canada, 11–17 October 2021; pp. 5117–5127. [Google Scholar]
- Liu, Y.; Cheng, M.M.; Hu, X.; Wang, K.; Bai, X. Richer convolutional features for edge detection. In Proceedings of the IEEE Conference on Computer Vision and Pattern Recognition, Honolulu, HI, USA, 21–26 July 2017; pp. 3000–3009. [Google Scholar]
- Toft, P. The Radon Transform. Theory and Implementation. Ph. D. Dissertation, Technical University of Denmark, Copenhagen, Denmark, 1996. [Google Scholar]
- Observatory, M.B. All Sky Camera. 2023. Available online: https://skypi.mbo.org.au/allsky/videos/ (accessed on 5 February 2023).
- Hanski, I.; Cambefort, Y. Dung Beetle Ecology; Princeton University Press: Princeton, NJ, USA, 2014; Volume 1195. [Google Scholar]
- Longcore, T.; Rich, C. Ecological light pollution. Front. Ecol. Environ. 2004, 2, 191–198. [Google Scholar] [CrossRef]
- Warrant, E.J.; Kelber, A.; Gislén, A.; Greiner, B.; Ribi, W.; Wcislo, W.T. Nocturnal vision and landmark orientation in a tropical halictid bee. Curr. Biol. 2004, 14, 1309–1318. [Google Scholar] [CrossRef]
- Kelber, A.; Yovanovich, C.; Olsson, P. Thresholds and noise limitations of colour vision in dim light. Philos. Trans. R. Soc. B Biol. Sci. 2017, 372, 20160065. [Google Scholar] [CrossRef]

























| Level | Title | SQM (mag/arcsec) | NELM |
|---|---|---|---|
| 1 | Excellent dark sky site | 21.7–22.01 | 7.6–8.0 |
| 2 | Typical truly dark site | 21.5–21.7 | 7.1–7.5 |
| 3 | Rural sky | 21.3–21.5 | 6.6–7.0 |
| 4 | Rural/suburban transition | 20.4–21.3 | 6.1–6.5 |
| 5 | Suburban sky | 19.1–20.4 | 5.6–6.0 |
| 6 | Bright suburban sky | 18.0–19.1 | 5.1–5.5 |
| 7 | Suburban/urban transition | 18.0–19.1 | 5.0 at best |
| 8 | City sky | <18.0 | 4.5 at best |
| 9 | Inner City sky | <18.0 | 4.0 at best |
| Condition | Illuminance (mlux) | Zenith Sky Luminance (mcd/m) | Zenith Radiance (mag/arcsec) |
|---|---|---|---|
| Overcast natural night | <0.6 | <0.2 | >21.8 |
| Natural starlit night | 0.6–0.9 | 0.2–0.3 | 21.4–21.9 |
| Bulge of the MW | N/A | 2.71 | 20.5–21.0 |
| Rural night sky (clear, no moon) | 0.7–3 | 0.25–0.8 | 20.3–21.6 |
| Rural night sky (overcast) | 0.7–9 | 0.25–0.7 | 19.0–21.6 |
| All Sky Camera Information | |
|---|---|
| Location | Mount Burnett, Victoria, Australia |
| Latitude | 37.9725 S |
| Longitude | 145.4955 E |
| Camera | ASI224MC |
| Exposure | 30 s |
| Computer | Raspberry Pi 3B+ |
| Sequence | LP | Mean Error | Maximum Error |
|---|---|---|---|
| AAO 01 Jul | 4 | ||
| AAO 25 May | 4 | ||
| MELO 27 Feb | 4 | ||
| MELO 27 Feb | 6 |
Disclaimer/Publisher’s Note: The statements, opinions and data contained in all publications are solely those of the individual author(s) and contributor(s) and not of MDPI and/or the editor(s). MDPI and/or the editor(s) disclaim responsibility for any injury to people or property resulting from any ideas, methods, instructions or products referred to in the content. |
© 2023 by the authors. Licensee MDPI, Basel, Switzerland. This article is an open access article distributed under the terms and conditions of the Creative Commons Attribution (CC BY) license (https://creativecommons.org/licenses/by/4.0/).
Share and Cite
Tao, Y.; Lucas, M.; Perera, A.; Teague, S.; Warrant, E.; Chahl, J. A Computer Vision Milky Way Compass. Appl. Sci. 2023, 13, 6062. https://doi.org/10.3390/app13106062
Tao Y, Lucas M, Perera A, Teague S, Warrant E, Chahl J. A Computer Vision Milky Way Compass. Applied Sciences. 2023; 13(10):6062. https://doi.org/10.3390/app13106062
Chicago/Turabian StyleTao, Yiting, Michael Lucas, Asanka Perera, Samuel Teague, Eric Warrant, and Javaan Chahl. 2023. "A Computer Vision Milky Way Compass" Applied Sciences 13, no. 10: 6062. https://doi.org/10.3390/app13106062
APA StyleTao, Y., Lucas, M., Perera, A., Teague, S., Warrant, E., & Chahl, J. (2023). A Computer Vision Milky Way Compass. Applied Sciences, 13(10), 6062. https://doi.org/10.3390/app13106062


