Sign in to use this feature.

Years

Between: -

Subjects

remove_circle_outline
remove_circle_outline
remove_circle_outline
remove_circle_outline
remove_circle_outline
remove_circle_outline
remove_circle_outline
remove_circle_outline
remove_circle_outline

Journals

remove_circle_outline
remove_circle_outline
remove_circle_outline
remove_circle_outline
remove_circle_outline
remove_circle_outline
remove_circle_outline
remove_circle_outline
remove_circle_outline
remove_circle_outline
remove_circle_outline
remove_circle_outline
remove_circle_outline
remove_circle_outline
remove_circle_outline
remove_circle_outline
remove_circle_outline
remove_circle_outline

Article Types

Countries / Regions

remove_circle_outline
remove_circle_outline
remove_circle_outline
remove_circle_outline
remove_circle_outline
remove_circle_outline

Search Results (1,008)

Search Parameters:
Keywords = push-out test

Order results
Result details
Results per page
Select all
Export citation of selected articles as:
18 pages, 4115 KB  
Article
The Design of a Bionic Frog Robot
by Zhengxian Song, Lan Yan and Feng Jiang
Machines 2026, 14(3), 325; https://doi.org/10.3390/machines14030325 - 13 Mar 2026
Viewed by 118
Abstract
This study developed a biomimetic jumping robot inspired by frogs to enhance its obstacle-crossing capabilities. The biological principles underlying the jumping biomechanics of frog hindlimbs were integrated into the robotic mechanism; quantitative analysis of the bionic structure and its jumping performance not only [...] Read more.
This study developed a biomimetic jumping robot inspired by frogs to enhance its obstacle-crossing capabilities. The biological principles underlying the jumping biomechanics of frog hindlimbs were integrated into the robotic mechanism; quantitative analysis of the bionic structure and its jumping performance not only provides mechanical engineering insights for investigating frog locomotion mechanics but also offers practical design references for the development of biomimetic mobile robots. Through theoretical calculations and application scenario analysis, a six-bar linkage mechanism was designed to simulate the force generation of frog hindlimbs, with tension springs mimicking the elastic energy storage function of the semimembranosus and gastrocnemius muscles. A reducer was integrated into the trunk to enable energy storage, and an adjustable single-hinge structure was adopted for the forelegs to realize take-off angle adjustment and shock absorption. Finite element simulations were conducted to validate the load-bearing capacity and strength of critical components. Multi-body dynamics and the particle swarm optimization (PSO) algorithm were employed to explore the relationship between input parameters and output performance metrics (jumping height and jumping distance), while orthogonal experimental analysis was used for comprehensive parameter evaluation. Finally, a physical prototype was fabricated, and its performance parameters were tested. The prototype has a mass of 150 g, generates a ground push force of 50 N, attains a jumping height of 380 mm, and achieves a maximum jumping distance of 500 mm. This study establishes a biologically inspired working principle for jumping robots and provides a novel practical prototype for research into biomimetic mobile robots. Full article
(This article belongs to the Special Issue Control and Mechanical System Engineering, 2nd Edition)
Show Figures

Figure 1

28 pages, 2250 KB  
Article
Occupational Gender Bias in Chinese Generative AI Models: Cross-Model Evidence of Stereotypical Amplification and Systematic Underrepresentation
by Yunhong Liu, Aijun Lin, Sui Peng and Zelong Cai
Systems 2026, 14(3), 286; https://doi.org/10.3390/systems14030286 - 9 Mar 2026
Viewed by 213
Abstract
Occupational gender stereotypes are widely embedded in social cognition and increasingly reproduced through generative artificial intelligence (AI). Two mainstream Chinese generative AI models (DeepSeek V3 and Qwen 2.5) were audited by eliciting occupation–gender pronoun associations for 72 census-anchored occupations using a standardized questionnaire [...] Read more.
Occupational gender stereotypes are widely embedded in social cognition and increasingly reproduced through generative artificial intelligence (AI). Two mainstream Chinese generative AI models (DeepSeek V3 and Qwen 2.5) were audited by eliciting occupation–gender pronoun associations for 72 census-anchored occupations using a standardized questionnaire and an automated testing pipeline. Each occupation was queried in 1000 independent rounds, yielding 2,880,000 item-level observations. The results show that, for both models, the fitted relationship between census female shares and model-implied female pronoun associations follows an S-shaped pattern. This pattern is consistent with a dominance-amplifying mapping that pushes male-dominated occupations toward lower female attribution and female-dominated occupations toward higher female attribution. Meanwhile, women’s overall visibility is consistently shifted downward: when the census benchmark is 50% female, the predicted female proportion remains below parity at 48% in DeepSeek and 43% in Qwen. Cross-model comparisons reveal substantial heterogeneity in bias profiles: DeepSeek primarily compresses female attribution in male-dominated occupations, whereas Qwen amplifies female dominance in occupations where women already predominate. Overall, these findings characterize a multi-layered output-level bias pattern combining structural amplification with a system-wide downward shift in women’s aggregate visibility. Full article
(This article belongs to the Special Issue Ethics and Governance of Artificial Intelligence (AI) Systems)
Show Figures

Figure 1

20 pages, 1359 KB  
Article
Eccentric Isokinetic Rehabilitation for Chronic Lateral Epicondylitis in Female Swimmers: A Randomized Controlled Trial of Bilateral Neuromuscular Adaptations and Functional Performance
by Wissem Dhahbi, Hatem Ghouili, Halil İbrahim Ceylan, Nessrine Adhadhi, Souhail Bchini, Manel Bessifi, Nagihan Burçak Ceylan, Valentina Stefanica, Nejmeddine Ouerghi and Nadhir Hammami
Medicina 2026, 62(3), 494; https://doi.org/10.3390/medicina62030494 - 5 Mar 2026
Viewed by 243
Abstract
Background and Objectives: This study investigated the efficacy of eccentric isokinetic muscle strengthening versus passive motion protocols on neuromuscular function and performance capacity in female swimmers with chronic lateral epicondylitis. Materials and Methods: Twenty-five swimmers (age 46.1 ± 3.1 years) with [...] Read more.
Background and Objectives: This study investigated the efficacy of eccentric isokinetic muscle strengthening versus passive motion protocols on neuromuscular function and performance capacity in female swimmers with chronic lateral epicondylitis. Materials and Methods: Twenty-five swimmers (age 46.1 ± 3.1 years) with lateral epicondylitis exceeding three months’ duration completed a randomized controlled trial comparing eccentric training in Controlled Active Motion mode (experimental group (EG), n = 13) against passive motion in Continuous Passive Motion mode (control group (CG), n = 12). Both groups performed 18 supervised sessions over six weeks (60°/s angular velocity, progressive loading 1–12 sets × 5 repetitions). Bilateral concentric peak torque of elbow extensors and flexors constituted the primary outcomes. Secondary measures included push-up performance, explosive power assessed by the Seated Medicine Ball Chest Push Test, and goniometric range of motion. Linear mixed-effects models and analysis of covariance with baseline adjustment were employed. Results: Eccentric training produced side-specific strength adaptations in elbow flexors (confirmed interaction: F1,23 = 8.56, p = 0.008, ηp2 = 0.271), with the experimental group demonstrating balanced bilateral gains, whereas the control group exhibited asymmetric responses favoring the non-dominant limb. EG demonstrated superior functional gains: push-up repetitions increased 4.15 ± 1.77 versus 2.17 ± 1.27 in CG (adjusted difference = 3.21 repetitions, 95% CI [1.52, 4.90], p = 0.001, d = 1.31), while explosive power improved 0.32 ± 0.09 m versus 0.10 ± 0.06 m (adjusted difference = 0.35 m, 95% CI [0.25, 0.45], p < 0.001, d = 1.20). Range of motion remained unchanged across groups (all p > 0.65). Conclusions: Eccentric isokinetic strengthening confers substantial advantages over passive motion protocols for restoring upper-body muscular endurance and ballistic force production in swimmers with lateral epicondylitis, supporting its integration into rehabilitation frameworks for the management of tendinopathy. Full article
(This article belongs to the Section Sports Medicine and Sports Traumatology)
Show Figures

Figure 1

29 pages, 23362 KB  
Article
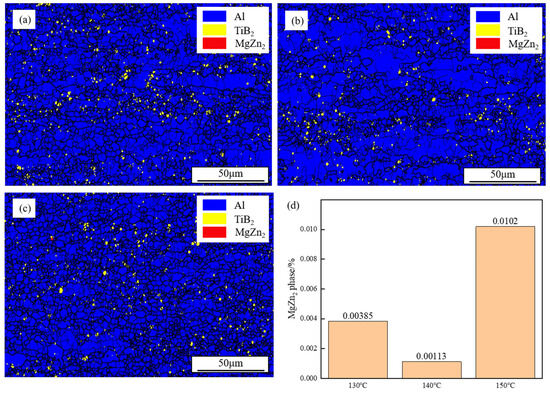
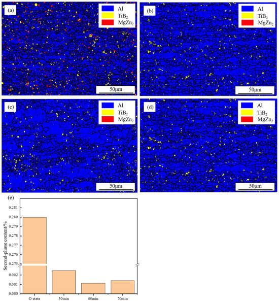
Effects of Solution Treatment and Artificial Aging on the Microstructure and Mechanical Properties of TiB2/7050 Composites
by Zhiwei Wu, Wenfeng Han and Binxian Yuan
Metals 2026, 16(3), 294; https://doi.org/10.3390/met16030294 - 5 Mar 2026
Viewed by 206
Abstract
This study investigates the solution and artificial aging processes of TiB2/7050 composites. Using microscopic and mechanical tests, we systematically evaluate the material’s microstructural evolution and mechanical performance, aiming to optimize heat treatment parameters. The study shows that a solution temperature of [...] Read more.
This study investigates the solution and artificial aging processes of TiB2/7050 composites. Using microscopic and mechanical tests, we systematically evaluate the material’s microstructural evolution and mechanical performance, aiming to optimize heat treatment parameters. The study shows that a solution temperature of 475 °C for 1 h is optimal for fully dissolving the second-phase particles. Regarding artificial aging, peak hardness of 246 HV is achieved at 140 °C for 16 h. Analysis of the phases and microstructure in O and T6-states shows that strengthening occurs through grain boundary hardening and precipitation hardening. The effect of TiB2 particles on the above process was also explored. During solidification, TiB2 particles were pushed by the advancing solid–liquid interface and primarily distributed along grain boundaries. This distribution subsequently slowed the solid solution process by reducing the contact area between the η(MgZn2) phase and the α(Al) matrix. During aging, they enhance grain boundary precipitates (GBPs) in particle-rich regions and inhibit the formation of precipitate-free zones (PFZs), with a concentration of the η’ phase forming around the particles. Beyond a certain distance from the particles, there is a decrease in η’ phase concentration. This study is expected to contribute to advanced lightweight materials research and development, opening up new opportunities for their application in various industries. Full article
Show Figures

Figure 1

28 pages, 11896 KB  
Article
Design and Experiment of Narrow Row Spacing Maize Seedling Belt Treatment Device Based on DEM-MBD Joint Simulation in Wheat Stubble Field
by Aijun Geng, Wenjie Yan, Song Shi, Hao Zhang, Xiang Gao, Xiuwen Zhang, Luyao Tian, Jilei Zhou, Guojian Wei and Zhilong Zhang
Agriculture 2026, 16(5), 599; https://doi.org/10.3390/agriculture16050599 - 5 Mar 2026
Viewed by 192
Abstract
Aiming at the problems of inter-row straw congestion, soil accumulation, and consequent uneven seeding depth during high-speed sowing with narrow row spacing under the summer maize no-tillage sowing mode in the Huang-Huai-Hai region, this study proposed a maize seedling belt pre-sowing treatment device [...] Read more.
Aiming at the problems of inter-row straw congestion, soil accumulation, and consequent uneven seeding depth during high-speed sowing with narrow row spacing under the summer maize no-tillage sowing mode in the Huang-Huai-Hai region, this study proposed a maize seedling belt pre-sowing treatment device suitable for narrow row spacing operation by analyzing the physical properties of straw and soil in the region. Dynamic analysis of the mechanical device was carried out, and the key factors affecting the straw removal effect of the seedling belt and the degree of soil disturbance were identified as machine offset distance, traction speed, and straw-cleaning wheel angle. Discrete element method simulation experiments were conducted via EDEM-ADAMS coupling; the key factors were simulated and optimized, and the optimal parameter combination of the device was determined as follows: machine offset distance of 165 cm (the relative distance between the front and rear positions of the right wheel of adjacent unit cleaning components), traction speed of 11 km/h, and straw-cleaning wheel angle of 44°. Field validation tests of the prototype were performed. The test results showed that the overall straw removal rate of the seedling belt reached 95%, and no large-scale straw and soil accumulation caused by pushing was observed between rows. Compared with the simulation results, the error of straw removal rate was only 0.5%. Sowing comparison tests were conducted, and the results indicated that the device could significantly improve the uniformity of seeding depth and meet the seedling belt quality requirements for high-speed sowing with narrow row spacing of summer maize. This study provides new ideas and methods for the design of straw-cleaning mechanisms in no-till seeding systems. Full article
(This article belongs to the Section Agricultural Technology)
Show Figures

Figure 1

20 pages, 5908 KB  
Article
An UAV Direct Seeding Device for Rice Based on EDEM
by Zhijun Wu, Runan Xu, Shengcai Shi, Yu Chen, Dandan Han, Lin Chen and Lijia Xu
Agriculture 2026, 16(5), 584; https://doi.org/10.3390/agriculture16050584 - 4 Mar 2026
Viewed by 214
Abstract
UAV-based rice direct seeding offers high operational efficiency and reduced labor demand, yet seed distribution uniformity remains a major limitation for centrifugal spreading devices. This study aims to design and optimize a novel centrifugal drone rice direct seeding device to improve seed lateral [...] Read more.
UAV-based rice direct seeding offers high operational efficiency and reduced labor demand, yet seed distribution uniformity remains a major limitation for centrifugal spreading devices. This study aims to design and optimize a novel centrifugal drone rice direct seeding device to improve seed lateral distribution uniformity. In this study, a centrifugal drone rice direct seeding device was developed with a concave perforated disc and double-arc seed-pushing blades to regulate seed motion and improve lateral distribution uniformity. Discrete element method (DEM) simulations were conducted to examine the effects of disc tilt angle, blade type, and blade number. Single-factor and response-surface simulation results identified an optimal parameter combination of a 29.0° disc tilt angle, double-arc blades with a 110° arc angle, and six blades. Based on these results, the disc structure was further refined, and the simulated lateral coefficient of variation (CV) of seed distribution reached 18.22%. Bench tests yielded a minimum CV of 16.34%, an average CV of 19.36%, and a total discharge coefficient of variation of 0.276%, which agrees with the simulation outcomes and supports the validity of the DEM model. Overall, the proposed device demonstrates improved seeding uniformity and meets agronomic requirements for rice cultivation, offering farmers a high-efficiency planting solution and providing UAV manufacturers with a validated double-arc disc design for equipment optimization. Full article
(This article belongs to the Section Artificial Intelligence and Digital Agriculture)
Show Figures

Figure 1

14 pages, 1017 KB  
Article
Intraday and Interday Reliability of Horizontal Upper Body Push and Pull Isometric Strength Qualities Using the VALD DynaMo Max Dynamometer
by Ivan Curovic, Milan Markovic, Lazar Toskic, Jill Alexander and Damian J. Harper
Biomechanics 2026, 6(1), 26; https://doi.org/10.3390/biomechanics6010026 - 3 Mar 2026
Viewed by 350
Abstract
Background/Objectives: To evaluate the intraday and interday reliability of seated horizontal upper body (UB) isometric push and pull tests performed with the VALD DynaMo Max dynamometer. Methods: Fifty-two recreationally active individuals (41 men, 11 women; 25.0 ± 6.1 years) completed two sessions 48 [...] Read more.
Background/Objectives: To evaluate the intraday and interday reliability of seated horizontal upper body (UB) isometric push and pull tests performed with the VALD DynaMo Max dynamometer. Methods: Fifty-two recreationally active individuals (41 men, 11 women; 25.0 ± 6.1 years) completed two sessions 48 h apart, each comprising three maximal-effort push and pull trials at 90° elbow flexion using a custom-built rig with the attached dynamometer. Peak force (PF), peak rate of force development (RFD), impulse, and time-to-PF were extracted from 1200 Hz force–time data. Reliability was assessed using the intraclass correlation coefficient (ICC), coefficient of variation (CV%), standard error of measure (SEM) and minimal detectable change (MDC). Results: PF demonstrated excellent reliability (ICC = 0.97–0.99) with low absolute error (CV < 6%; MDC = 128–149 N). Impulse showed good-to-excellent reliability (ICC = 0.90–0.94; CV < 10%; MDC ≈ 755–790 N·s), whereas RFD displayed good reliability but greater variability (ICC = 0.80–0.81; CV < 20%; MDC = 2574–2925 N·s−1). Time-to-PF was the least reliable (ICC = 0.68–0.71; CV > 24%; MDC = 1.5–1.7 s). Conclusions: Horizontal isometric push and pull tests using the VALD DynaMo Max dynamometer provide reliable measures of PF and impulse for athlete profiling and tracking substantial longitudinal changes. Peak RFD may be cautiously used for broad cross-sectional comparisons, although its higher variability limits precision in distinguishing smaller inter-individual differences and appears less sensitive to within-individual changes. Time-to-PF demonstrated insufficient reliability for practical application. Full article
(This article belongs to the Section Sports Biomechanics)
Show Figures

Figure 1

32 pages, 9312 KB  
Article
Push-Out Testing of Demountable Bolted Shear Connection in Composite Cold-Formed Steel Beams: Experimental Evaluation and Analysis
by Vlaho Žuvelek, Ivan Ćurković, Ivan Lukačević, Andrea Rajić and Marko Bartolac
Buildings 2026, 16(5), 979; https://doi.org/10.3390/buildings16050979 - 2 Mar 2026
Viewed by 174
Abstract
The Innovative Lightweight Cold-Formed Steel–Concrete Composite Floor System (LWT-FLOOR) addresses key challenges faced by the construction industry related to the efficiency, adaptability, and life-cycle usability of structural elements. Within this context, the present study investigated the behaviour of demountable bolted shear connections in [...] Read more.
The Innovative Lightweight Cold-Formed Steel–Concrete Composite Floor System (LWT-FLOOR) addresses key challenges faced by the construction industry related to the efficiency, adaptability, and life-cycle usability of structural elements. Within this context, the present study investigated the behaviour of demountable bolted shear connections in a composite system combining built-up cold-formed steel (CFS) girders and concrete slabs. An experimental programme comprising 18 push-out tests was conducted on two composite configurations: built-up back-to-back CFS sections and built-up sections incorporating a corrugated web. The influence of key parameters, including the bolt diameter, CFS thickness, steel grade, and connector spacing, was evaluated. The results show that increasing the bolt diameter enhanced the shear resistance and initial stiffness while reducing ductility, whereas reducing the CFS thickness led to a moderate decrease in resistance accompanied by a pronounced increase in ductility. The incorporation of a corrugated web increased the ultimate shear resistance by approximately 30–40%. The existing analytical models from current standards were found to be inadequate; however, the introduction of a spacing-dependent correction factor into the prEN 1994-1-1 model significantly improved the prediction accuracy, reducing the coefficient of variation from 16% to 4.36%. The findings provide a quantitative basis for improving the design of demountable shear connections in lightweight composite CFS-concrete systems. Full article
Show Figures

Figure 1

15 pages, 2603 KB  
Article
Designing an Electromagnetic Damper
by Kevin Stinnette and George Pappas
Machines 2026, 14(3), 278; https://doi.org/10.3390/machines14030278 - 2 Mar 2026
Viewed by 255
Abstract
When it comes to active or semi-active suspension, one of many design challenges is the ability to dynamically change the damping rate of a shock absorber. Two fundamental means of accomplishing variable damping are by changing the restriction imposed on the fluid or [...] Read more.
When it comes to active or semi-active suspension, one of many design challenges is the ability to dynamically change the damping rate of a shock absorber. Two fundamental means of accomplishing variable damping are by changing the restriction imposed on the fluid or changing the viscosity of the fluid. One way to change the restriction imposed on the fluid is by using a valve controlled by a solenoid. As more current flows through the solenoid a plunger gets pulled into the center of the coil, which acts against a mechanical spring that pushes it to a default state. There are specific kinds of fluids, such as ferrofluids or magnetorheological fluids, that change their viscosity in the presence of magnetic fields. This paper aims to guide the reader through the design of an electromagnetic damper, how to derive theoretical performance criteria from a semi-active suspension system, and design optimization considerations. The design will test three different coil specifications, including size, wire size, location, applied voltage, and amperage. The experimental evaluation was conducted as a qualitative proof-of-concept to verify the presence of field-dependent viscosity and damping behavior under low-frequency manual excitation. Quantitative performance assessment was performed using analytical and numerical modeling to determine whether the proposed design satisfies semi-active suspension damping requirements. Full article
(This article belongs to the Special Issue Advances in Vehicle Suspension System Optimization and Control)
Show Figures

Figure 1

22 pages, 413 KB  
Article
The Push and Pull of Biomimicry in Construction: Identifying Key Drivers for Sustainable Transformation
by Olusegun Aanuoluwapo Oguntona
Biomimetics 2026, 11(3), 163; https://doi.org/10.3390/biomimetics11030163 - 1 Mar 2026
Viewed by 333
Abstract
The global construction industry is a primary driver of environmental degradation, resource depletion, and carbon emissions, necessitating an urgent transition toward sustainable practices. Biomimicry, the emulation of nature’s time-tested strategies, offers a transformative pathway for this shift, yet its systematic adoption remains inconsistent. [...] Read more.
The global construction industry is a primary driver of environmental degradation, resource depletion, and carbon emissions, necessitating an urgent transition toward sustainable practices. Biomimicry, the emulation of nature’s time-tested strategies, offers a transformative pathway for this shift, yet its systematic adoption remains inconsistent. This study utilises the Push–Pull–Mooring (PPM) framework to identify the critical drivers and contextual influencers of biomimicry adoption within the South African construction sector. A quantitative research approach was employed, involving a structured questionnaire survey of 104 diverse built environment professionals and subsequent analysis through Descriptive Statistics and Exploratory Factor Analysis (EFA). Descriptive results indicate that providing biomimicry education and training, increasing stakeholder awareness, and improving the availability of biomimetic technology are the highest-ranked drivers for sustainable transformation. EFA revealed a singular, dominant component termed the “systematic driver of biomimicry thinking”, which accounts for 54.2% of the total variance. The result emphasises the necessity of legal frameworks, policy monitoring, and government support. The findings conclude that while the Fourth Industrial Revolution provides the technological tools for bio-inspired innovation, a multi-layered approach combining institutional policy reforms with interdisciplinary education is essential to overcome traditional industry moorings. These insights offer a roadmap for stakeholders to leverage biomimicry as a cornerstone of resilient, regenerative and sustainable construction. Full article
Show Figures

Figure 1

12 pages, 1158 KB  
Article
Influence of Normobaric Hypoxia on Maximal Force Production Following High-Intensity Resistance Circuit Training
by Ismael Martínez-Guardado, Diego A. Alonso-Aubin, Juan Hernández-Lougedo and Domingo J. Ramos-Campo
J. Funct. Morphol. Kinesiol. 2026, 11(1), 98; https://doi.org/10.3390/jfmk11010098 - 27 Feb 2026
Viewed by 165
Abstract
Background: Previous research suggests that resistance training in hypoxia can cause physiological and muscle adaptations. However, this method may not be efficient for individuals who are training to optimize maximal strength and power. Objective: This study aimed to investigate the effects of 8 [...] Read more.
Background: Previous research suggests that resistance training in hypoxia can cause physiological and muscle adaptations. However, this method may not be efficient for individuals who are training to optimize maximal strength and power. Objective: This study aimed to investigate the effects of 8 weeks of high-intensity resistance circuit in normobaric hypoxic conditions on maximal and explosive measures of muscle strength in upper and lower limbs. Methods: A total of 28 subjects were randomly assigned to either hypoxia (fraction of inspired oxygen [FIO2] = 15%; HRChyp: n = 15; age: 24.6 ± 6.8 years; height: 177.4 ± 5.9 cm; weight: 74.9 ± 11.5 kg) or normoxia [FIO2] = 20.9%; HRCnorm: n = 13; age: 23.2 ± 5.2 years; height: 173.4 ± 6.2 cm; weight: 69.4 ± 7.4 kg) groups. Training sessions consisted of two blocks of three exercises and the training intensity was fixed performed at six repetition maximum. Participants exercised twice weekly for 8 weeks, and upper and lower body power tests were performed before and after the training program. The statistical analysis applied was a two-way analysis of variance with repeated measures and Bonferroni post hoc. Results: No significant differences were observed between groups. However, the hypoxia group showed higher intra-group differences in absolute (N) (F = 7.97; Δ7.3%; p < 0.05; ES = 0.49) and relative (N/Kg) (F = 8.34; Δ7.2%; p < 0.05; ES = 0.49) maximum push-up force after the training period. Conclusions: Hypoxic circuit training may improve a specific upper body performance outcome, but no clear advantage over normoxia was observed. Full article
Show Figures

Figure 1

14 pages, 2948 KB  
Article
Next-Generation Sequencing Reveals Continued Circulation of Rare HIV-1 Subtypes in the Democratic Republic of the Congo and Refines the Estimate of the Emergence Dates of Three Subtypes
by Mark Anderson, Gregory S. Orf, Vera Holzmayer, Ana Olivo, Barbara J. Harris, Michael G. Berg, Guixia Yu, Asmeeta Achari, Scot Federman, Charles Y. Chiu, Linda James, Samuel Mampunza, Gavin A. Cloherty and Mary A. Rodgers
Viruses 2026, 18(2), 268; https://doi.org/10.3390/v18020268 - 21 Feb 2026
Viewed by 400
Abstract
HIV-1 diversified for decades within the Democratic Republic of the Congo (DRC) before spreading globally in the early 1980s. Thus, the DRC is home to some of the most ancestral and diverse HIV-1 strains. Recent serosurveys conducted from 2017 to 2019 in Kinshasa, [...] Read more.
HIV-1 diversified for decades within the Democratic Republic of the Congo (DRC) before spreading globally in the early 1980s. Thus, the DRC is home to some of the most ancestral and diverse HIV-1 strains. Recent serosurveys conducted from 2017 to 2019 in Kinshasa, DRC, indicated high prevalence of HIV-1, yet sequence data is lacking from this period. Given the history of circulating rare HIV-1 subtypes in the DRC, a viral whole-genome sequencing study was conducted to determine current diversity in the greater Kinshasa area. Next-generation sequencing (NGS) through metagenomic and target enrichment methods was conducted on 197 specimens collected from 2017 to 2019. A large array of HIV subtypes (A, B, C, D, F1, G, H, J, and K), circulating recombinant forms (CRF01_AE, CRF02_AG, CRF05_DF, CRF11_cpx, CRF13_cpx, CRF25_cpx, CRF 45_cpx, and CRF92_C2U), unique recombinant forms, and unclassifiable sequences were observed, with many branching in basal positions within, or outside of, many subtypes on phylogenetic trees. Incorporating these new sequences into Bayesian inference of phylogeny pushes back the dates of the most recent common ancestors of HIV-1 group M and the rare subtypes G, H, and J by between 3 and 7 years each. The DRC continues to harbor diverse and rare HIV-1 subtypes that could challenge diagnostic tests, treatments, and vaccines. In addition to shifting subtype emergence dates, the sequences from our study are evidence that rare strains continue to circulate and should be regularly monitored. Full article
(This article belongs to the Section Human Virology and Viral Diseases)
Show Figures

Figure 1

15 pages, 776 KB  
Article
The Effects of Core Training on Selected Physical Performance Parameters in Judo Athletes
by Müjde Atıcı, Soner Akgün, Akan Bayrakdar, Esra Korkmaz Salkılıç, Berna Anıl, Enes Akdemir, Dilara Kumru and Ali Kerim Yılmaz
Appl. Sci. 2026, 16(4), 2013; https://doi.org/10.3390/app16042013 - 18 Feb 2026
Cited by 1 | Viewed by 254
Abstract
Background: The purpose of this study was to examine the effects of an 8-week core training program on the lower-extremity, upper-extremity, and core strength of judokas. Methods: This study is based on a pre-test/post-test experimental design involving repeated measures and a control group. [...] Read more.
Background: The purpose of this study was to examine the effects of an 8-week core training program on the lower-extremity, upper-extremity, and core strength of judokas. Methods: This study is based on a pre-test/post-test experimental design involving repeated measures and a control group. The study was conducted with the voluntary participation of 20 judo athletes (10 females and 10 males) aged between 18 and 22 years (mean age: 18.60 years; height: 163 cm; body weight: 59.40 kg; BMI: 22.30 kg/m2). Participants were divided into two groups: a control group that continued routine judo training and an experimental group that performed core training in addition to routine judo training. Participants performed Medial Push-Ups (MPUs) to assess upper-extremity muscle strength; sit-ups and Plank Tests (PTs) to assess core strength; five different Single-Leg Hop Tests (SLHTs) to assess lower-extremity muscle strength; and the Y Balance Test (YBT) to assess balance. These tests were conducted before and after the 8-week core training program. Results: PT performance improved significantly in both groups, with a significant group × time interaction (p < 0.001, η2p = 0.623), indicating greater improvement in the core training group compared to the control group. No significant interaction was observed for MPU and Sit-up tests; however, a significant main effect of time was detected for MPU (p = 0.032, η2p = 0.231), suggesting general improvements in both groups. For SLHT parameters, no significant group × time interactions were detected (p > 0.050); improvements were observed over time across groups. In balance performance, a significant group × time interaction was found only in the NDS postero-medial (PM) direction (p = 0.020, η2p = 0.267), whereas the other parameters demonstrated time-related improvements without between-group differences. Conclusions: Core stability training resulted in greater improvements in PT performance and influenced balance performance in the NDS PM direction. Improvements observed in other performance parameters appeared to be time-related rather than intervention-specific. Overall, core stability training may contribute to core endurance and certain aspects of lower-extremity function in judokas. Full article
(This article belongs to the Special Issue Human Performance in Sports and Training)
Show Figures

Figure 1

31 pages, 5849 KB  
Article
Interpretable Machine Learning Identifies Key Inflammatory and Morphological Drivers of Intracranial Aneurysm Rupture Risk
by Epameinondas Ntzanis, Nikolaos Papandrianos, Petros Zampakis, Vasilios Panagiotopoulos, Constantinos Koutsojannis, Christina Kalogeropoulou and Elpiniki I. Papageorgiou
Bioengineering 2026, 13(2), 226; https://doi.org/10.3390/bioengineering13020226 - 15 Feb 2026
Viewed by 653
Abstract
Traditional statistical approaches identify group-level associations between biomarkers and rupture status in intracranial aneurysms (IAs) but often miss nonlinear interactions at the patient level. Methods: The authors retrospectively analyzed 35 saccular IAs in 35 patients (57.1% ruptured) from a single center (2021–2023). Demographics, [...] Read more.
Traditional statistical approaches identify group-level associations between biomarkers and rupture status in intracranial aneurysms (IAs) but often miss nonlinear interactions at the patient level. Methods: The authors retrospectively analyzed 35 saccular IAs in 35 patients (57.1% ruptured) from a single center (2021–2023). Demographics, detailed morphology (e.g., neck width, aspect ratio, VERTI, irregular shape), and multi-site inflammatory/immune markers (CRP; complement C3/C4; IgA/IgG/IgM) were included. After preprocessing (min–max scaling; one-hot encoding), five algorithms (DT, AdaBoost, GBM, XGBoost, RF) were evaluated with stratified five-fold CV and class balancing via random oversampling. The primary model (Random Forest) was tuned with Optuna and explained using global feature importance and LIME. The results showed that baseline RF achieved CV ROC-AUC 0.81 and test ROC-AUC 0.92 (test accuracy 0.857). The tuned RF (with oversampling and Optuna) yielded a mean CV accuracy of 0.85 ± 0.09 and CV ROC-AUC of 0.98 ± 0.07 while maintaining test ROC-AUC of 0.92. The average precision on the test PR curve was 0.97. The most influential predictors combined inflammatory markers (CRP, C3, C4) with morphology (neck width, irregular shape). LIME revealed consistent local patterns: low A.CRP/C.CRP and lower C3/C4 favored Not-Broken, whereas higher CRP/complement with smaller neck and irregular shape pushed toward Broken classifications. It can be concluded that an interpretable machine learning (ML) pipeline captured clinically plausible, nonlinear interactions between inflammation and aneurysm geometry. Integrating explainable ML with conventional statistics may enhance rupture risk stratification, enable patient-level rationale, and inform personalized management. These results could significantly contribute to the quality of treatment for patients with intracranial aneurysms. Full article
(This article belongs to the Special Issue Artificial Intelligence (AI) in Bioengineering)
Show Figures

Figure 1

30 pages, 2610 KB  
Article
Model-Agreement-Aware Multi-Objective Optimization for High-Frequency Transformers in EV Onboard Chargers
by Onur Kırcıoğlu and Sabri Çamur
Energies 2026, 19(4), 1000; https://doi.org/10.3390/en19041000 - 13 Feb 2026
Viewed by 208
Abstract
Developments in electric vehicle (EV) technology are pushing on-board chargers (OBCs) toward higher power density and efficiency, making high-frequency transformer loss prediction a critical design bottleneck. However, the accuracy of commonly used analytical winding-loss models varies strongly with frequency, conductor type (Litz/solid), window [...] Read more.
Developments in electric vehicle (EV) technology are pushing on-board chargers (OBCs) toward higher power density and efficiency, making high-frequency transformer loss prediction a critical design bottleneck. However, the accuracy of commonly used analytical winding-loss models varies strongly with frequency, conductor type (Litz/solid), window fill factor, and winding layout (e.g., interleaved), which can render single-model-based optimization unreliable. In this study, six analytical copper-loss models from the literature were independently reimplemented in a unified Python 3.11.5 workflow with a standardized interface to enable fair comparison under identical geometry and operating conditions. The models were benchmarked against 2D finite-element simulations on test scenarios with increasing physical complexity, including high fill-factor Litz windings and interleaved arrangements. The results confirm a regime-dependent behavior: no single model consistently outperforms others across the full design space, and model dispersion increases in geometrically stressed and higher-frequency regions. To manage this uncertainty, variance maps were generated and model disagreement was quantified using the coefficient of variation (CV). Finally, a reliability-oriented multi-objective optimization framework based on NSGA-II was developed, where a SmartTransformerRouter selects a reference loss estimate per candidate and CV is incorporated via constraints/penalties, with optional FEM triggering in high-uncertainty regions. Full article
Show Figures

Figure 1

Back to TopTop