Sign in to use this feature.

Years

Between: -

Subjects

remove_circle_outline
remove_circle_outline
remove_circle_outline
remove_circle_outline
remove_circle_outline
remove_circle_outline
remove_circle_outline

Journals

Article Types

Countries / Regions

Search Results (24)

Search Parameters:
Keywords = Turbiscan stability index (TSI)

Order results
Result details
Results per page
Select all
Export citation of selected articles as:
16 pages, 2827 KB  
Article
Preparation and Characterization of PVDF/PVPylated-TiO2 Composite Membrane with Enhanced Antifouling Performance
by Jie Zhang, Shiying Bo, Chunhua Wang, Qiancheng Xiong, Bingqiong Tan, Zicong Jian, Feiyan Xie, Jianpeng Li, Zicheng Xiao and Guocong Liu
Nanomaterials 2026, 16(2), 104; https://doi.org/10.3390/nano16020104 - 13 Jan 2026
Viewed by 188
Abstract
Hydrophilic modification of polymeric membranes by employing TiO2 nanoparticles has attracted much attention in enhancing antifouling performance. Micelles of PVPylated-TiO2 nanoparticles were designed to alleviate the agglomeration of TiO2 nanoparticles via steric hindrance and electrostatic stabilization effect. Herein, Poly(vinyl pyrrolidone) [...] Read more.
Hydrophilic modification of polymeric membranes by employing TiO2 nanoparticles has attracted much attention in enhancing antifouling performance. Micelles of PVPylated-TiO2 nanoparticles were designed to alleviate the agglomeration of TiO2 nanoparticles via steric hindrance and electrostatic stabilization effect. Herein, Poly(vinyl pyrrolidone) (PVP) was used as a surfactant to mitigate the thorny agglomeration of nanoparticles in the casting solution and simultaneously as a pore-forming additive during the membrane preparation process. The lowest backscattering (BS) peak and turbiscan stability index (TSI) of the composite casting solution indicated the effective dispersion and stabilization under the steric interaction of 4 wt.% PVP. Properties such as the fully developed finger-like structure of cross-sectional morphologies, water permeability, negative Zeta potential, and hydrophilicity were enhanced evidently by the optimal modification of PVPylated-TiO2 materials. High interaction energy indicated by classic extended Derjaguin–Landau–Verwey–Overbeek (XDLVO) theory as well as the high relative flux during the filtration of various model foulants demonstrated the effective antifouling modification. The results of critical flux and fouling rate in 30 min also verified the enhancement of the antifouling performance of PVDF/PVPylated-TiO2 composite membrane. This work provides a feasible strategy to construct composite membranes with high antifouling performance for wastewater treatment. Full article
Show Figures

Graphical abstract

24 pages, 6290 KB  
Article
Combined Effect of Plant Protein Isolate Content and the Homogenization Processes on the Physical Stability of Oily Extract Emulsions
by Juan A. Damas-Espinoza, Liliana Alamilla-Beltrán, Diana E. Leyva-Daniel, Fidel Villalobos-Castillejos, Humberto Hernández-Sánchez and Antonio R. Jiménez-Aparicio
Foods 2025, 14(21), 3717; https://doi.org/10.3390/foods14213717 - 30 Oct 2025
Viewed by 739
Abstract
The homogenization methods and selection of biomaterials of the continuous phase are critical in the formulation of food emulsions. This study evaluated the stability of emulsions containing an oily extract using soy protein isolate (SPI), pea protein isolate (PPI), and two homogenization techniques: [...] Read more.
The homogenization methods and selection of biomaterials of the continuous phase are critical in the formulation of food emulsions. This study evaluated the stability of emulsions containing an oily extract using soy protein isolate (SPI), pea protein isolate (PPI), and two homogenization techniques: microfluidization (MF) and rotor–stator (RS). Emulsions formulated with SPI and processed by MF exhibited the highest stability, with a Turbiscan Stability Index (TSI) of 0.85, a mean droplet size of 160.1 nm, a polydispersity index of 0.152, a ζ-potential of −29.3 mV, and an apparent viscosity of 8.1 mPa·s. The PPI emulsions processed by MF showed slightly higher TSI (1.6) and droplet size (188.1 nm). All MF emulsions achieved desirability >0.8. The RS systems showed lower stability, with a TSI of 5.7 (SPI) and 7.9 (PPI), and droplet sizes >1700 nm, despite more negative ζ-potentials (−40.2 mV for SPI, −36.7 mV for PPI). All optimized emulsions showed pseudoplastic flow behavior, with a transition to Newtonian flow at higher shear rates. Overall, microfluidization significantly improved emulsion stability and rheological properties. Full article
(This article belongs to the Special Issue Food Emulsion System: Preparation, Stabilization and Application)
Show Figures

Figure 1

27 pages, 7161 KB  
Article
Monitoring Lemon Juice-Induced Coagulation of Cow’s Milk: The Impact of Heat Treatment and Calcium Addition on the Quality of Gels
by Thierno Abdoul Rahim Sow, Alpha Oumar Syli Diallo and Romdhane Karoui
Appl. Sci. 2025, 15(18), 10092; https://doi.org/10.3390/app151810092 - 16 Sep 2025
Viewed by 1507
Abstract
The present research investigated the effect of moderate heat treatment (65 °C for 5 min) and calcium enrichment (10 mM CaCl2) on the quality of gels formed by lemon juice at 30 °C for 180 min. Raw milk, calcium-fortified raw milk, [...] Read more.
The present research investigated the effect of moderate heat treatment (65 °C for 5 min) and calcium enrichment (10 mM CaCl2) on the quality of gels formed by lemon juice at 30 °C for 180 min. Raw milk, calcium-fortified raw milk, heated milk, and calcium-fortified heated milk were used. Rheological measurements showed that the addition of calcium to milk significantly improved the elastic modulus (G’), which passed from 21.2 Pa to 80.18 Pa. However, the combination of heat treatment and calcium produced weaker gels with G’ = 3.71 Pa. Turbiscan analysis revealed higher instability in calcium-fortified heated milk samples that have high Turbiscan Stability Index (TSI) values. Mid-infrared spectral regions (3000–2800 cm−1, 1700–1500 cm−1, and 1500–900 cm−1) and fluorescence spectroscopy indicated some structural changes in protein–water, protein–protein, and protein–lipid interactions depending on coagulation conditions. Principal component analysis (PCA) applied to the fluorescence and MIR datasets allowed the differentiation of gel samples depending on heat treatment and calcium addition. Scanning electron microscopy (SEB) indicated dense and uniform gels produced with calcium-enriched raw milk and porous structures with heated and calcium-enriched milk. These results reveal new information on how thermal treatment and calcium supplementation affect protein network structure formation and the gel microstructure during lemon juice-induced coagulation. Full article
(This article belongs to the Special Issue Innovation in Dairy Products)
Show Figures

Figure 1

17 pages, 5098 KB  
Article
Preparation, Characterization, and Safety Evaluation of a Submicron Emulsion Processed Using High-Pressure Homogenization to Protect Bitter Melon Seed Oil
by Huiling Wang, Heng Guo, Xiaoyan Shuai, Yan Ma, Rui Zhang, Muci Wu, Jingren He and Jiayan Ling
Foods 2025, 14(5), 850; https://doi.org/10.3390/foods14050850 - 1 Mar 2025
Cited by 2 | Viewed by 1769
Abstract
Bitter melon seed oil (BMSO), as a by-product of bitter gourd fruit processing, is rich in active ingredients and has unique medicinal potential. However, its solubility and dispersibility in water are poor when used directly. Therefore, this study aims to develop an eco-friendly [...] Read more.
Bitter melon seed oil (BMSO), as a by-product of bitter gourd fruit processing, is rich in active ingredients and has unique medicinal potential. However, its solubility and dispersibility in water are poor when used directly. Therefore, this study aims to develop an eco-friendly submicron emulsion containing BMSO for intravenous injection and evaluate its safety. The BMSO submicron emulsion (BMSOSE) was prepared by high-pressure homogenization. The size, polydispersity index (PDI), ζ-potential, Turbiscan stability index (TSI), apparent viscosity, and morphology were characterized; in addition, an in vitro hemolysis test and acute toxicity test in mice were investigated in detail to evaluate the emulsion. The results demonstrated that the formulation and technological parameters of the BMSOSE were as follows: BMSO, 8% (w/w); egg yolk lecithin, 1.2% (w/w); F-68, 0.2% (w/w); pH, 5.0; homogenization pressure, 600 Pa; and number of homogenization cycle, 9. The obtained BMSOSE droplets exhibited a spherical shape with uniform size distribution with an average diameter of 221.3 nm, a PDI of 0.2, and a ζ-potential of −36 mV. There was no significant change in the fatty acid composition of BMSO and the BMSOSE. The safety tests demonstrated that the BMSOSE had no signs of hemolysis and had no toxicity to mice with LD50 > 64 mL/kg. This study provides a foundation for further development of BMSO and its preparations. Full article
Show Figures

Graphical abstract

18 pages, 6679 KB  
Article
Poly(sodium styrene sulfonate)-Grafted SiO2 Nanoparticle: Synthesis and Use as a Water-Insoluble Dispersant for Coal Water Slurry
by Guanghua Zhang, Ruijun Liu, Wanbin Zhang, Kangmin Zhang, Junfeng Zhu and Ce Zhang
Polymers 2025, 17(1), 21; https://doi.org/10.3390/polym17010021 - 25 Dec 2024
Cited by 2 | Viewed by 1429
Abstract
This study introduces a novel water-insoluble dispersant for coal water slurry (CWS), namely, a poly(sodium styrene sulfonate)-grafted SiO2 nanoparticle (SiO2-g-PSSNa). SiO2-g-PSSNa was synthesized by combining the surface acylation reaction with surface-initiated atom transfer [...] Read more.
This study introduces a novel water-insoluble dispersant for coal water slurry (CWS), namely, a poly(sodium styrene sulfonate)-grafted SiO2 nanoparticle (SiO2-g-PSSNa). SiO2-g-PSSNa was synthesized by combining the surface acylation reaction with surface-initiated atom transfer radical polymerization (SI-ATRP). Fourier transform infrared spectrometry (FTIR), X-ray photoelectron spectroscopy (XPS), energy dispersive spectrometer (EDS), nuclear magnetic resonance spectroscopy (NMR) and thermogravimetric analysis (TGA) verified that SiO2-g-PSSNa with the desired structure was successfully obtained. Afterwards, the performance of SiO2-g-PSSNa as a dispersant in CWS preparation was evaluated. The results indicated that the optimal dosage of SiO2-g-PSSNa was 0.3%. Compared to the famous commercial products, PSSNa and lignosulfonate (LS), SiO2-g-PSSNa exhibits improved viscosity reduction performance. When SiO2-g-PSSNa was used as the dispersant, the maximum coal loading of CWS was 64.2%, which was higher than LS (63.4%) and PSSNa (63.9%). All CWSs obtained in this study were pseudoplastic fluids and more consistent with the Herschel–Bulkley rheological model. The turbiscan stability index (TSI) of CWS prepared with SiO2-g-PSSNa was 0.05, which was significantly lower than CWSs obtained from PSSNa (0.30) and LS (0.36). Therefore, SiO2-g-PSSNa also exhibits excellent stability performance. This result was confirmed by rod penetration tests. The underlying mechanism was also clarified by various measurements, such as contact angle, zeta potential, EDS and low-field nuclear magnetic resonance spectra (low-field NMR). The results reveal that SiO2-g-PSSNa can adsorbed onto the coal surface. SiO2-g-PSSNa possesses a special branched structure, which bears a higher charge density as compared to linear ones with approximate chemical composition. As a result, coal particles adsorbed with SiO2-g-PSSNa exhibit more electronegativity. With the enhancement of the electrostatic repulsive between coal particles, the apparent viscosity was lowered and the static stability was improved. This study demonstrated that solubility in water is not an essential factor in engineering the dispersant. Densely charged groups are probably more important. Full article
(This article belongs to the Section Polymer Applications)
Show Figures

Figure 1

20 pages, 5522 KB  
Article
Optimization of Solid Lipid Nanoparticle Formulation for Cosmetic Application Using Design of Experiments, PART II: Physical Characterization and In Vitro Skin Permeation for Sesamol Skin Delivery
by Margot Cassayre, Auriane Oline, Caroline Orneto, Emmanuel Wafo, Lydia Abou, Alexandre Altié, Magalie Claeys-Bruno, Christophe Sauzet and Philippe Piccerelle
Cosmetics 2024, 11(4), 120; https://doi.org/10.3390/cosmetics11040120 - 15 Jul 2024
Cited by 8 | Viewed by 4898
Abstract
Our research focuses on evaluating the preliminary stability of solid lipid nanoparticles (SLNs) in order to identify an optimal formulation for studying the skin penetration of SLNs loaded with sesamol, with a view to developing potential cosmetic applications. For this study, SLNs were [...] Read more.
Our research focuses on evaluating the preliminary stability of solid lipid nanoparticles (SLNs) in order to identify an optimal formulation for studying the skin penetration of SLNs loaded with sesamol, with a view to developing potential cosmetic applications. For this study, SLNs were prepared with varying lipid and surfactant compositions and produced through homogenization and ultrasonication. The particle size (PS), polydispersity index (PDI), zeta potential (ZP), and encapsulation efficiency (EE) were analyzed for the different formulations. We identified OP2Se as the optimal formulation for skin penetration assessment due to its stable PS, PDI, ZP, and EE over time, with a Turbiscan Stability Index (TSI) below 1 after a month, indicating favorable stability conditions. The in vitro skin permeation study compared sesamol-loaded SLNs with a control sesamol hydrogel, revealing controlled release characteristics ideal for localized skin effects without significant bloodstream penetration, attributed to the SLNs’ 200 nm particle size. Further exploration could enhance skin retention and targeting, potentially extending penetration studies and reducing particle size to improve accumulation in hair follicles. Exploring SLN applications beyond sesamol, such as incorporating mineral filters for suncare, offers promising avenues, underscoring SLNs’ versatility in cosmetic formulations and skincare applications. Full article
(This article belongs to the Section Cosmetic Formulations)
Show Figures

Graphical abstract

21 pages, 5395 KB  
Article
Plant-Based Oil-in-Water Food Emulsions: Exploring the Influence of Different Formulations on Their Physicochemical Properties
by Carolina Quezada, Matías Urra, Camila Mella, Rommy N. Zúñiga and Elizabeth Troncoso
Foods 2024, 13(4), 513; https://doi.org/10.3390/foods13040513 - 7 Feb 2024
Cited by 10 | Viewed by 5856
Abstract
The global focus on incorporating natural ingredients into the diet for health improvement encompasses ω-3 polyunsaturated fatty acids (PUFAs) derived from plant sources, such as flaxseed oil. ω-3 PUFAs are susceptible to oxidation, but oil-in-water (O/W) emulsions can serve to protect PUFAs from [...] Read more.
The global focus on incorporating natural ingredients into the diet for health improvement encompasses ω-3 polyunsaturated fatty acids (PUFAs) derived from plant sources, such as flaxseed oil. ω-3 PUFAs are susceptible to oxidation, but oil-in-water (O/W) emulsions can serve to protect PUFAs from this phenomenon. This study aimed to create O/W emulsions using flaxseed oil and either soy lecithin or Quillaja saponins, thickened with modified starch, while assessing their physical properties (oil droplet size, ζ-potential, and rheology) and physical stability. Emulsions with different oil concentrations (25% and 30% w/w) and oil-to-surfactant ratio (5:1 and 10:1) were fabricated using high-pressure homogenization (800 bar, five cycles). Moreover, emulsions were thickened with modified starch and their rheological properties were measured. The physical stability of all emulsions was assessed over a 7-day storage period using the TSI (Turbiscan Stability Index). Saponin-stabilized emulsions exhibited smaller droplet diameters (0.11–0.19 µm) compared to lecithin (0.40–1.30 µm), and an increase in surfactant concentration led to a reduction in droplet diameter. Both surfactants generated droplets with a high negative charge (−63 to −72 mV), but lecithin-stabilized emulsions showed greater negative charge, resulting in more intense electrostatic repulsion. Saponin-stabilized emulsions showed higher apparent viscosity (3.9–11.6 mPa·s) when compared to lecithin-stabilized ones (1.19–4.36 mPa·s). The addition of starch significantly increased the apparent viscosity of saponin-stabilized emulsions, rising from 11.6 mPa s to 2117 mPa s. Emulsions stabilized by saponin exhibited higher stability than those stabilized by lecithin. This study confirms that plant-based ingredients, particularly saponins and lecithin, effectively produce stable O/W emulsions with flaxseed oil, offering opportunities for creating natural ingredient-based food emulsions. Full article
(This article belongs to the Special Issue Food Emulsions/Gels: Preparation, Properties and Applications)
Show Figures

Figure 1

17 pages, 3777 KB  
Article
The Stability, Rheological Properties and Interfacial Properties of Oil-in-Water (O/W) Emulsions Prepared from Dielectric Barrier Discharge (DBD) Cold Plasma-Treated Chickpea Protein Isolate and Myofibrillar Protein Complexes
by Dianbo Zhao, Yanfang Zhou, Lixue Sun, Jinfeng Tian, Qisen Xiang and Ke Li
Foods 2023, 12(19), 3629; https://doi.org/10.3390/foods12193629 - 29 Sep 2023
Cited by 11 | Viewed by 3711
Abstract
In order to increase the development and utilization of chickpea protein isolate (CPI) and improve the stability of myofibrillar protein (MP) emulsions, the effect of dielectric barrier discharge (DBD) plasma-modified CPI on the emulsifying properties of MP was investigated. Three different O/W emulsions [...] Read more.
In order to increase the development and utilization of chickpea protein isolate (CPI) and improve the stability of myofibrillar protein (MP) emulsions, the effect of dielectric barrier discharge (DBD) plasma-modified CPI on the emulsifying properties of MP was investigated. Three different O/W emulsions were prepared using MP, MP + CPI complex, or MP + DBD-treated CPI complex as the emulsifier. Compared with the emulsion prepared from MP, the emulsifying activity index and stability of DBD-treated CPI and MP complex (MP + CPIDBD) were increased (p < 0.05) from 55.17 m2/g to 74.99 m2/g and 66.31% to 99.87%, respectively. MP + CPIDBD produced more stable emulsions with the lowest Turbiscan stability index (TSI) values for a given 3600 s. At shear rates from 0 to 1000−1, MP + CPIDBD-stabilized emulsions had higher viscosities, which helped to reduce the chance of aggregation between oil droplets. The optical microscope and particle size distribution of emulsions showed that MP + CPIDBD emulsions had the lowest droplet size (d4,3) and exhibited more uniform distribution. MP + CPIDBD emulsions had lower interfacial tension. DBD pretreatment increased the adsorbed protein content in the emulsion stabilized by MP + CPIDBD as compared to the MP + CPI complex and promoted the adsorption of CPI by higher ratios of adsorbed proteins as indicated by its intensity in SDS-PAGE. Scanning electron microscopy confirmed that the emulsion prepared from MP + CPIDBD had smaller particle size and more uniform dispersion. Therefore, using DBD-modified CPI could enhance the stability of MP emulsions. Full article
(This article belongs to the Section Food Quality and Safety)
Show Figures

Figure 1

14 pages, 4925 KB  
Article
Effect of Different Temperatures on the Storage Stability of Flaxseed Milk
by Chen Meng, Yashu Chen, Xintian Wang, Hongjian Chen and Qianchun Deng
Foods 2023, 12(19), 3571; https://doi.org/10.3390/foods12193571 - 26 Sep 2023
Cited by 9 | Viewed by 3546
Abstract
In this study, the physical and oxidative stability of flaxseed milk without food additives at different temperatures (25 °C and 37 °C) was assessed. Over in 206 days in storage, the particle size, Turbiscan stability index (TSI), centrifugal sedimentation rate, and primary and [...] Read more.
In this study, the physical and oxidative stability of flaxseed milk without food additives at different temperatures (25 °C and 37 °C) was assessed. Over in 206 days in storage, the particle size, Turbiscan stability index (TSI), centrifugal sedimentation rate, and primary and secondary oxidation products of flaxseed milk increased, viscosity decreased, and the absolute value of the potential first decreased and then increased. These phenomena indicated a gradual decrease in the physical stability of flaxseed milk, accompanied by drastic oxidative changes. The antioxidant capacity of flaxseed milk was related to the location of the physical distribution of flaxseed lignin, which was more effective in the aqueous phase compared to the non-aqueous phase. Interestingly, after 171 days in storage at 37 °C, the particle size of flaxseed milk was approximately doubled (6.98 μm → 15.27 μm) and the absolute value of the potential reached its lowest point (−13.49 mV), when the content of primary oxidation products reached its maximum (8.29 mmol/kg oil). The results showed that temperature had a significant effect on the stability of flaxseed milk and that stability decreased with increasing temperature and shortened shelf life. This work provides a theoretical basis for elucidating the stabilization–destabilization mechanism of flaxseed milk. Full article
Show Figures

Graphical abstract

16 pages, 4484 KB  
Article
Investigation and Characterization of Pickering Emulsion Stabilized by Alkali-Treated Zein (AZ)/Sodium Alginate (SA) Composite Particles
by Ying Kuang, Qinjian Xiao, Yichen Yang, Menglong Liu, Xiaosa Wang, Pengpeng Deng, Kao Wu, Yi Liu, Bo Peng, Fatang Jiang and Cao Li
Materials 2023, 16(8), 3164; https://doi.org/10.3390/ma16083164 - 17 Apr 2023
Cited by 23 | Viewed by 3766 | Correction
Abstract
Pickering emulsions stabilized by food-grade colloidal particles have attracted increasing attention in recent years due to their “surfactant-free” nature. In this study, the alkali-treated zein (AZ) was prepared via restricted alkali deamidation and then combined with sodium alginate (SA) in different ratios to [...] Read more.
Pickering emulsions stabilized by food-grade colloidal particles have attracted increasing attention in recent years due to their “surfactant-free” nature. In this study, the alkali-treated zein (AZ) was prepared via restricted alkali deamidation and then combined with sodium alginate (SA) in different ratios to obtain AZ/SA composite particles (ZS), which were used to stabilize Pickering emulsion. The degree of deamidation (DD) and degree of hydrolysis (DH) of AZ were 12.74% and 6.58% respectively, indicating the deamidation occurred mainly in glutamine on the side chain of the protein. After the treatment with alkali, AZ particle size decreased significantly. Moreover, the particle size of ZS with different ratios was all less than 80 nm. when the AZ/SA ratio was 2:1(Z2S1) and 3:1(Z3S1), the three-phase contact angle (θo/w) were close to 90°, which was favorable for stabilizing the Pickering emulsion. Furthermore, at a high oil phase fraction (75%), Z3S1-stabilized Pickering emulsions showed the best long-term storage stability within 60 days. Confocal laser scanning microscope (CLSM) observations showed that the water-oil interface was wrapped by a dense layer of Z3S1 particles with non-agglomeration between independent oil droplets. At constant particle concentration, the apparent viscosity of the Pickering emulsions stabilized by Z3S1 gradually decreased with increasing oil phase fraction, and the oil-droplet size and the Turbiscan stability index (TSI) also gradually decreased, exhibiting solid-like behavior. This study provides new ideas for the fabrication of food-grade Pickering emulsions and will extend the future applications of zein-based Pickering emulsions as bioactive ingredient delivery systems. Full article
(This article belongs to the Special Issue Biomedical Polymers and Drug Delivery Systems)
Show Figures

Figure 1

14 pages, 6245 KB  
Article
Application of Turbiscan Stability Index for the Preparation of Alumina Photocatalytic Membranes for Dye Removal
by Marida Blasi, Catia Algieri, Sudip Chakraborty and Vincenza Calabrò
Membranes 2023, 13(4), 400; https://doi.org/10.3390/membranes13040400 - 31 Mar 2023
Cited by 10 | Viewed by 4055
Abstract
In this work, for the first time, the stability of the TiO2 suspensions used for the photocatalytic membrane preparation was studied by considering the Turbiscan Stability Index (TSI). The use of a stable suspension during the membrane preparation (by the dip-coating method) [...] Read more.
In this work, for the first time, the stability of the TiO2 suspensions used for the photocatalytic membrane preparation was studied by considering the Turbiscan Stability Index (TSI). The use of a stable suspension during the membrane preparation (by the dip-coating method) permitted a better dispersion of the TiO2 nanoparticles into the membrane structure due to a reduction of agglomerates formation. The dip-coating was performed on the macroporous structure (external surface) of the Al2O3 membrane to avoid large reduction of the permeability. In addition, the reduction of the suspension infiltration along the membrane’s cross-section allowed us to preserve the separative layer of the modified membrane. The water flux was reduced by about 11% after the dip-coating. The photocatalytic performance of the prepared membranes was evaluated using the methyl orange as a model pollutant. The reusability of the photocatalytic membranes was also demonstrated. Full article
(This article belongs to the Special Issue Surface Modification and Performance Enhancement for Membranes)
Show Figures

Figure 1

11 pages, 1818 KB  
Article
Evaluation of the Physical and Oxidative Stabilities of Fish Oil-in-Water-in-Olive Oil Double Emulsions (O1/W/O2) Stabilized with Whey Protein Hydrolysate
by Marta Padial-Domínguez, Pedro J. García-Moreno, Rubén González-Beneded, Antonio Guadix and Emilia M. Guadix
Antioxidants 2023, 12(3), 762; https://doi.org/10.3390/antiox12030762 - 21 Mar 2023
Cited by 8 | Viewed by 4131
Abstract
This work studied the physical and oxidative stabilities of fish oil-in-water-in-olive oil double emulsions (O1/W/O2), where whey protein hydrolysate was used as a hydrophilic emulsifier. A 20 wt.% fish oil-in-water emulsion, stabilized with whey protein hydrolysate (oil: protein ratio [...] Read more.
This work studied the physical and oxidative stabilities of fish oil-in-water-in-olive oil double emulsions (O1/W/O2), where whey protein hydrolysate was used as a hydrophilic emulsifier. A 20 wt.% fish oil-in-water emulsion, stabilized with whey protein hydrolysate (oil: protein ratio of 5:2 w/w) and with a zeta potential of ~−40 mV, only slightly increased its D4,3 value during storage at 8 °C for seven days (from 0.725 to 0.897 µm), although it showed severe physical destabilization when stored at 25 °C for seven days (D4,3 value increased from 0.706 to 9.035 µm). The oxidative stability of the 20 wt.% fish oil-in-water emulsion decreased when the storage temperature increased (25 vs. 8 °C) as indicated by peroxide and p-anisidine values, both in the presence or not of prooxidants (Fe2+). Confocal microscopy images confirmed the formation of 20 wt.% fish oil-in-water-in-olive oil (ratio 25:75 w/w) using Polyglycerol polyricinoleate (PGPR, 4 wt.%). Double emulsions were fairly physically stable for 7 days (both at 25 and 8 °C) (Turbiscan stability index, TSI < 4). Moreover, double emulsions had low peroxide (<7 meq O2/kg oil) and p-anisidine (<7) values that did not increase during storage independently of the storage temperature (8 or 25 °C) and the presence or not of prooxidants (Fe2+), which denotes oxidative stability. Full article
Show Figures

Figure 1

15 pages, 3657 KB  
Article
Effects of Concentration of Soybean Protein Isolate and Maltose and Oil Phase Volume Fraction on Freeze–Thaw Stability of Pickering Emulsion
by Ziyue Song, Yang Yang, Fenglian Chen, Jing Fan, Bing Wang, Xin Bian, Yue Xu, Baoxiang Liu, Yao Fu, Yanguo Shi, Xiumin Zhang and Na Zhang
Foods 2022, 11(24), 4018; https://doi.org/10.3390/foods11244018 - 12 Dec 2022
Cited by 24 | Viewed by 3435
Abstract
There is growing interest in enhancing the freeze–thaw stability of a Pickering emulsion to obtain a better taste in the frozen food field. A Pickering emulsion was prepared using a two-step homogenization method with soybean protein and maltose as raw materials. The outcomes [...] Read more.
There is growing interest in enhancing the freeze–thaw stability of a Pickering emulsion to obtain a better taste in the frozen food field. A Pickering emulsion was prepared using a two-step homogenization method with soybean protein and maltose as raw materials. The outcomes showed that the freeze–thaw stability of the Pickering emulsion increased when prepared with an increase in soybean protein isolate (SPI) and maltose concentration. After three freeze–thaw treatments at 35 mg/mL, the Turbiscan Stability Index (TSI) value of the emulsion was the lowest. At this concentration, the surface hydrophobicity (H0) of the composite particles was 33.6 and the interfacial tension was 44.34 mN/m. Furthermore, the rheological nature of the emulsions proved that the apparent viscosity and viscoelasticity of Pickering emulsions grew with a growing oil phase volume fraction and concentration. The maximum value was reached in the case of the oil phase volume fraction of 50% at a concentration of 35 mg/mL, the apparent viscosity was 18 Pa·s, the storage modulus of the emulsion was 575 Pa, and the loss modulus was 152 Pa. This research is significant for the production of freeze–thaw resistant products, and improvement of protein-stabilized emulsion products with high freeze–thaw stability. Full article
(This article belongs to the Special Issue Novel Food Emulsions: Structures and Functionality)
Show Figures

Graphical abstract

15 pages, 1204 KB  
Article
Application of Optical and Rheological Techniques in Quality and Storage Assessment of the Newly Developed Colloidal-Suspension Products: Yogurt-Type Bean-Based Beverages
by Patrycja Cichońska, Ewa Domian and Małgorzata Ziarno
Sensors 2022, 22(21), 8348; https://doi.org/10.3390/s22218348 - 31 Oct 2022
Cited by 10 | Viewed by 2580
Abstract
The objectives of this study were to compare the properties of the yogurt-type bean-based beverages B and BG produced from the nongerminated and germinated beans, respectively, by high-pressure homogenization (HPH) and fermentation with three starter cultures. Optical techniques were used to evaluate the [...] Read more.
The objectives of this study were to compare the properties of the yogurt-type bean-based beverages B and BG produced from the nongerminated and germinated beans, respectively, by high-pressure homogenization (HPH) and fermentation with three starter cultures. Optical techniques were used to evaluate the particle size distribution (PSD), color parameters, and instability during storage, while rheological tests were used to evaluate the shear viscosity, flow behavior, and viscoelastic properties. The BG compared to B, irrespective of the starter culture used, showed a higher mean diameter and Span of PSD (d4,3 ≈ 76.8–84.2, Span ≈ 2.24–2.35 for BG vs. d4,3 ≈ 38.2–47.0, Span ≈ 1.90–2.00 for B). The BG vs. B showed lower viscosity (0.47 Pa·s for BG vs. 0.81 Pa·s for B at shear rate 75 s−1) and slightly lower but satisfactory stability (after 21 days at 6 °C, the Turbiscan Stability Index TSI ≈ 1.3–2.0 for BG vs. TSI ≈ 0.6–0.9 for B). Both B and BG were characterized by light-yellow color and showed the characteristics of a viscoelastic fluid. The HPH and germination mainly affected the properties of the tested plant tissue, which has a direct impact on the properties of the final products. Full article
(This article belongs to the Section Smart Agriculture)
Show Figures

Figure 1

11 pages, 2685 KB  
Article
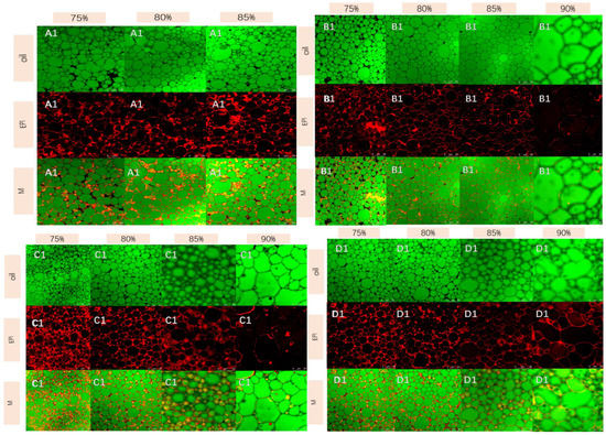
A Study on the Mechanisms of Nanoparticle-Stabilized High Internal Phase Emulsions Constructed by Cross-Linking Egg White Protein Isolate with Different Transglutaminase Concentrations
by Yanjie Zhao, Peng Wang, Yujuan Xu, Xianming Zeng and Xinglian Xu
Foods 2022, 11(12), 1765; https://doi.org/10.3390/foods11121765 - 15 Jun 2022
Cited by 6 | Viewed by 2760
Abstract
There is an increasing interest in the development of high internal phase emulsions (HIPE) stabilized by food-grade nanoparticles due to their potential applications in the food industry. In this study, cross-linked egg white protein isolates (cEPIs) are prepared by adding 10 u/g, 20 [...] Read more.
There is an increasing interest in the development of high internal phase emulsions (HIPE) stabilized by food-grade nanoparticles due to their potential applications in the food industry. In this study, cross-linked egg white protein isolates (cEPIs) are prepared by adding 10 u/g, 20 u/g, and 40 u/g of transglutaminase (TG), and the impacts of interface properties of cEPIs and emulsifying of HIPEs are investigated. Relative to the native EPI, the cEPIs have more irregular and agglomerated morphology, and the turbidity and hydrophobicity are significantly increased. The particle size and zeta potential of cEPIs considerably varied with the addition of TG. In HIPE, the formation, physical properties, and microstructure are characterized by visual observations, the Turbiscan stability index, and CLSM. The results indicated that stable and gel-like HIPEs are formed by cEPIs at oil internal phase (φ) values of 0.75–0.90. Especially for the enzyme additions of 20 u/g, the cEPIs had the best storage stability and the lowest TSI value (2.50) and formed a gel network structure at φ values of 0.9 microscopically. Overall, this study can enrich the theoretical frame of interface properties by enzyme treatment. Besides, it would be of great importance for the research of HIPE stabilized by cEPIs appropriate to be applied in food formulations. Full article
(This article belongs to the Section Food Physics and (Bio)Chemistry)
Show Figures

Figure 1

Back to TopTop