Burn Severity Assessment Using Sentinel-1 SAR in the Southeast Peruvian Amazon, a Case Study of Madre de Dios
Abstract
:1. Introduction
2. Materials and Methods
2.1. Study Area
2.2. Description and Data Processing
2.2.1. SAR Sentinel-1 (S1)
2.2.2. Accuracy Assessment and Field Data
3. Results
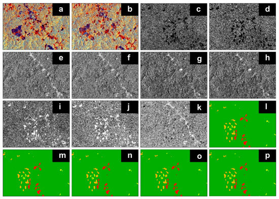
3.1. Estimation of Burned Areas Using the Sentinel-1 (S1) Sensor
3.1.1. Burn Quantification
3.1.2. Burn Severity
3.2. Accuracy Assessment
4. Discussion
5. Conclusions
Supplementary Materials
Author Contributions
Funding
Data Availability Statement
Conflicts of Interest
References
- Cannon, S.H.; Gartner, J.E.; Rupert, M.G.; Michael, J.A.; Rea, A.H.; Parrett, C. Predicting the probability and volume of postwildfire debris flows in the intermountain western United States. Bulletin 2010, 122, 127–144. [Google Scholar] [CrossRef]
- Cannon, S.H.; DeGraff, J. The increasing wildfire and post-fire debris-flow threat in western USA, and implications for consequences of climate change. In Landslides–Disaster Risk Reduction; Springer: Berlin/Heidelberg, Germany, 2009; pp. 177–190. [Google Scholar] [CrossRef]
- Addison, P.; Oommen, T. Utilizing satellite radar remote sensing for burn severity estimation. Int. J. Appl. Earth Obs. Geoinf. 2018, 73, 292–299. [Google Scholar] [CrossRef]
- Kern, A.N.; Addison, P.; Oommen, T.; Salazar, S.E.; Coffman, R.A. Machine learning based predictive modeling of debris flow probability following wildfire in the intermountain Western United States. Math. Geosci. 2017, 49, 717–735. [Google Scholar] [CrossRef]
- Parks, S.A.; Dillon, G.K.; Miller, C. A new metric for quantifying burn severity: The relativized burn ratio. Remote Sens. 2014, 6, 1827–1844. [Google Scholar] [CrossRef] [Green Version]
- Brown, A.R.; Petropoulos, G.P.; Ferentinos, K.P. Appraisal of the Sentinel-1 & 2 use in a large-scale wildfire assessment: A case study from Portugal’s fires of 2017. Appl. Geogr. 2018, 100, 78–89. [Google Scholar] [CrossRef]
- Colson, D.; Petropoulos, G.P.; Ferentinos, K.P. Exploring the Potential of Sentinels-1 & 2 of the Copernicus Mission in Support of Rapid and Cost-effective Wildfire Assessment. Int. J. Appl. Earth Obs. Geoinf. 2018, 73, 262–276. [Google Scholar] [CrossRef]
- Belenguer-Plomer, M.A.; Tanase, M.A.; Chuvieco, E.; Bovolo, F. CNN-based burned area mapping using radar and optical data. Remote Sens. Environ. 2021, 260, 112468. [Google Scholar] [CrossRef]
- Stroppiana, D.; Azar, R.; Calò, F.; Pepe, A.; Imperatore, P.; Boschetti, M.; Silva, J.; Brivio, P.A.; Lanari, R. Integration of optical and SAR data for burned area mapping in Mediterranean Regions. Remote Sens. 2015, 7, 1320–1345. [Google Scholar] [CrossRef] [Green Version]
- Allison, R.S.; Johnston, J.M.; Craig, G.; Jennings, S. Airborne optical and thermal remote sensing for wildfire detection and monitoring. Sensors 2016, 16, 1310. [Google Scholar] [CrossRef] [Green Version]
- Meng, R.; Wu, J.; Zhao, F.; Cook, B.D.; Hanavan, R.P.; Serbin, S.P. Measuring short-term post-fire forest recovery across a burn severity gradient in a mixed pine-oak forest using multi-sensor remote sensing techniques. Remote Sens. Environ. 2018, 210, 282–296. [Google Scholar] [CrossRef]
- Murphy, K.A.; Reynolds, J.H.; Koltun, J.M. Evaluating the ability of the differenced Normalized Burn Ratio (dNBR) to predict ecologically significant burn severity in Alaskan boreal forests. Int. J. Wildland Fire 2008, 17, 490–499. [Google Scholar] [CrossRef]
- Lertsakdadet, B.S.; Kennedy, G.T.; Stone, R.; Kowalczewski, C.; Kowalczewski, A.C.; Natesan, S.; Christy, R.J.; Durkin, A.J.; Choi, B. Assessing multimodal optical imaging of perfusion in burn wounds. Burns 2021, 48, 799–807. [Google Scholar] [CrossRef]
- Gibson, L.; Engelbrecht, J.; Rush, D. Detecting historic informal settlement fires with Sentinel 1 and 2 satellite data—Two case studies in Cape Town. Fire Saf. J. 2019, 108, 102828. [Google Scholar] [CrossRef]
- Zhang, Q.; Ge, L.; Zhang, R.; Metternicht, G.I.; Du, Z.; Kuang, J.; Xu, M. Deep-learning-based burned area mapping using the synergy of Sentinel-1 & 2 data. Remote Sens. Environ. 2021, 264, 112575. [Google Scholar] [CrossRef]
- Chuvieco, E.; Mouillot, F.; van der Werf, G.R.; San Miguel, J.; Tanase, M.; Koutsias, N.; García, M.; Yebra, M.; Padilla, M.; Gitas, I.; et al. Historical background and current developments for mapping burned area from satellite Earth observation. Remote Sens. Environ. 2019, 225, 45–64. [Google Scholar] [CrossRef]
- Tanase, M.A.; Kennedy, R.; Aponte, C. Fire severity estimation from space: A comparison of active and passive sensors and their synergy for different forest types. Int. J. Wildland Fire 2015, 24, 1062–1075. [Google Scholar] [CrossRef]
- Tanase, M.A.; Kennedy, R.; Aponte, C. Radar Burn Ratio for fire severity estimation at canopy level: An example for temperate forests. Remote Sens. Environ. 2015, 170, 14–31. [Google Scholar] [CrossRef]
- Viedma, O.; Chico, F.; Fernández, J.J.; Madrigal, C.; Safford, H.D.; Moreno, J.M. Disentangling the role of prefire vegetation vs. burning conditions on fire severity in a large forest fire in SE Spain. Remote Sens. Environ. 2020, 247, 111891. [Google Scholar] [CrossRef]
- Dos Reis, M.; Graça, P.M.L.d.A.; Yanai, A.M.; Ramos, C.J.P.; Fearnside, P.M. Forest fires and deforestation in the central Amazon: Effects of landscape and climate on spatial and temporal dynamics. J. Environ. Manag. 2021, 288, 112310. [Google Scholar] [CrossRef]
- Melo, V.F.; Barros, L.S.; Silva, M.C.S.; Veloso, T.G.R.; Senwo, Z.N.; Matos, K.S.; Nunes, T.K.O. Soil bacterial diversities and response to deforestation, land use and burning in North Amazon, Brazil. Appl. Soil Ecol. 2021, 158, 103775. [Google Scholar] [CrossRef]
- Santos, A.M.d.; Silva, C.F.A.d.; Rudke, A.P.; Oliveira Soares, D.d. Dynamics of active fire data and their relationship with fires in the areas of regularized indigenous lands in the Southern Amazon. Remote Sens. Appl. Soc. Environ. 2021, 23, 100570. [Google Scholar] [CrossRef]
- Kasischke, E.S.; Melack, J.M.; Dobson, M.C. The use of imaging radars for ecological applications—A review. Remote Sens. Environ. 1997, 59, 141–156. [Google Scholar] [CrossRef]
- Collins, L.; Bennett, A.F.; Leonard, S.W.J.; Penman, T.D. Wildfire refugia in forests: Severe fire weather and drought mute the influence of topography and fuel age. Glob. Chang. Biol. 2019, 25, 3829–3843. [Google Scholar] [CrossRef]
- Sánchez, M.E.G.; Borja, M.E.L.; Álvarez, P.A.P.; Romero, J.G.; Cozar, J.S.; Navarro, D.M.; de las Heras Ibáñez, J. Efecto de los trabajos de restauración forestal post-incendio en ladera sobre la recuperación de la funcionalidad del suelo. Cuad. De La Soc. Española De Cienc. For. 2019, 45, 35–44. [Google Scholar]
- Dourojeanni, M. Esbozo de una nueva política forestal peruana. Rev. For. Del Perú 2019, 34, 4–20. [Google Scholar] [CrossRef]
- Perz, S.; Qiu, Y.; Xia, Y.; Southworth, J.; Sun, J.; Marsik, M.; Rocha, K.; Passos, V.; Rojas, D.; Alarcón, G.; et al. Trans-boundary infrastructure and land cover change: Highway paving and community-level deforestation in a tri-national frontier in the Amazon. Land Use Policy 2013, 34, 27–41. [Google Scholar] [CrossRef]
- Chávez, A.; Huamani, L.; Fernandez, R.; Bejar, N.; Valera, F.; Perz, S.; Brown, I.; Domínguez, S.; Pinedo, R.; Alarcón, G. Regional Deforestation Trends within Local Realities: Land-Cover Change in Southeastern Peru 1996–2011. Land 2013, 2, 131–157. [Google Scholar] [CrossRef] [Green Version]
- Alarcón, G.; Díaz, J.; Vela, M.; García, M.; Gutiérrez, J. Deforestación en el sureste de la amazonia del Perú entre los años 1999–2013; caso Regional de Madre de Dios (Puerto Maldonado–Inambari). J. High Andean Res. 2016, 18, 319–330. [Google Scholar] [CrossRef] [Green Version]
- Perz, S.; Castro, W.; Rojas, R.; Castillo, J.; Chávez, A.; García, M.; Guadalupe, Ó.; Gutiérrez, T.; Hurtado, A.; Mamani, Z.; et al. La Amazonia como un sistema socio-ecológico: Las dinámicas de cambios complejos humanos y ambientales en una frontera trinacional. In Naturaleza y Sociedad: Perpectivas Socio-Ecológicas Sobre Cambios Globales en América Latina; Postigo, J., Young, K., Eds.; Desco, IEP e INTE-PUCP: Lima, Perú, 2016; p. 444. [Google Scholar]
- GOREMAD; IIAP. Macro Zonificación Ecológica Económica de Madre de Dios; Gobierno Regional de Madre de Dios: Puerto Maldonado, Peru, 2009; p. 208. [Google Scholar]
- Román-Dañobeytia, F.; Cabanillas, F.; Lefebvre, D.; Farfan, J.; Alferez, J.; Polo-Villanueva, F.; Llacsahuanga, J.; Vega, C.M.; Velasquez, M.; Corvera, R.; et al. Survival and early growth of 51 tropical tree species in areas degraded by artisanal gold mining in the Peruvian Amazon. Ecol. Eng. 2021, 159, 106097. [Google Scholar] [CrossRef]
- Román-Dañobeytia, F.; Huayllani, M.; Michi, A.; Ibarra, F.; Loayza-Muro, R.; Vázquez, T.; Rodríguez, L.; García, M. Reforestation with four native tree species after abandoned gold mining in the Peruvian Amazon. Ecol. Eng. 2015, 85, 39–46. [Google Scholar] [CrossRef]
- Holdridge, L.R. Life zone ecology. In Life Zone Ecology; Springer: Berlin/Heidelberg, Germany, 1967. [Google Scholar]
- SENAMHI. Mapa de Clasificación Climática del Perú; Servicio Nacional de Meteorología e Hidrología del Perú: Lima, Perú, 2012. [Google Scholar]
- SENAMHI. En la Selva Preparémonos para la Llegada de los Friajes; Servicio Nacional de Meteorología e Hidrología del Perú: Lima, Perú, 2015. [Google Scholar]
- Escobar, A.A.H.; Rodríguez, M.P.R.; López, B.M.P.; Ganchozo, B.I.; Gómez, A.J.Q.; Ponce, L.A.M. Metodología de la Investigación Científica; 3Ciencias: Alcoy, Spain, 2018; Volume 15. [Google Scholar]
- Bernhard, E.-M.; Twele, A.; Gähler, M. Rapid mapping of forest fires in the European Mediterranean region—A change detection approach using X-band SAR-data. Photogramm.-Fernerkund.-Geoinf. 2011, 2011, 261–270. [Google Scholar] [CrossRef] [Green Version]
- Tanase, M.A.; Santoro, M.; Aponte, C.; de la Riva, J. Polarimetric properties of burned forest areas at C-and L-band. IEEE J. Sel. Top. Appl. Earth Obs. Remote Sens. 2013, 7, 267–276. [Google Scholar] [CrossRef]
- Xiuwan, C. Using remote sensing and GIS to analyse land cover change and its impacts on regional sustainable development. Int. J. Remote Sens. 2002, 23, 107–124. [Google Scholar] [CrossRef]
- Jensen, J.R.; Lin, H.; Yang, X.; Ramsey III, E.; Davis, B.A.; Thoemke, C.W. The measurement of mangrove characteristics in southwest Florida using SPOT multispectral data. Geocarto Int. 1991, 6, 13–21. [Google Scholar] [CrossRef]
- Anaya, J.A.; Chuvieco, E. Validación para Colombia de la estimación de área quemada del producto L3JRC en el periodo 2001-2007/Validation of the L3JRC burned area product estimation in Colombia from 2001 to 2007. Actual. Biológicas 2010, 32, 29. [Google Scholar]
- Chuvieco, E.; Hantson, S. Procesamiento Estándar de Imágenes Landsat. Documento Técnico de Algoritmos a Aplicar. Version 1. Plan Nacional de Teledetección. Instituto Geográfico Nacional. En Linea. 2010. Available online: http://www.ign.es/PNT/pdf/especificacionestecnicas-pnt-mediar-landsat_v2-2010.pdf (accessed on 31 January 2022).
- Ochoa, C.; Páez, O. Inferencia estadística: Probabilidad, variables aleatorias y distribuciones de probabilidad. Evid. Pediatr. 2019, 15, 27. [Google Scholar]
- Elijah, R.; Jensen, J.R. Remote Sensing of Mangrove Wetlands: Relating Canopy Spectra to Site-Specific Data. 1996. Available online: https://www.asprs.org/wp-content/uploads/pers/1996journal/aug/1996_aug_939-948.pdf (accessed on 31 January 2022).
- Chuvieco, E. Teledetección Espacial: La Observación de la Tierra Desde el Espacio; Digital Reasons: Barcelona, Spain, 2002. [Google Scholar]
- Kuhn, M.; Johnson, K. Applied Predictive Modeling; Springer: Berlin/Heidelberg, Germany, 2013; Volume 26. [Google Scholar]
- Townsend, J.T. Theoretical analysis of an alphabetic confusion matrix. Percept. Psychophys. 1971, 9, 40–50. [Google Scholar] [CrossRef]
- Key, C.H.; Benson, N.C. Landscape Assessment (LA). In FIREMON: Fire Effects Monitoring and Inventory System; General Technical Report RMRS-GTR-164-CD; Lutes, D.C., Keane, R.E., Caratti, J.F., Key, C.H., Benson, N.C., Sutherland, S., Gangi, L.J., Eds.; US Department of Agriculture, Forest Service, Rocky Mountain Research Station: Fort Collins, CO, USA, 2006; Volume 164, p. LA-1-55. Available online: https://www.fs.fed.us/rm/pubs/rmrs_gtr164/rmrs_gtr164_13_land_assess.pdf (accessed on 31 January 2022).
- Cerda, J.; Villarroel, L. Evaluación de la concordancia inter-observador en investigación pediátrica: Coeficiente de Kappa. Rev. Chil. De Pediatría 2008, 79, 54–58. [Google Scholar] [CrossRef] [Green Version]
- Cohen, J. A Coefficient of Agreement for Nominal Scales. Educ. Psychol. Meas. 1960, 20, 37–46. [Google Scholar] [CrossRef]
- Li, X.; Zhou, Y.; Gong, P.; Seto, K.C.; Clinton, N. Developing a method to estimate building height from Sentinel-1 data. Remote Sens. Environ. 2020, 240, 111705. [Google Scholar] [CrossRef]
- Cruz, M.G.; Alexander, M.E. Uncertainty associated with model predictions of surface and crown fire rates of spread. Environ. Model. Softw. 2013, 47, 16–28. [Google Scholar] [CrossRef]
- Tanase, M.A.; Santoro, M.; de La Riva, J.; Fernando, P.; Le Toan, T. Sensitivity of X-, C-, and L-band SAR backscatter to burn severity in Mediterranean pine forests. IEEE Trans. Geosci. Remote Sens. 2010, 48, 3663–3675. [Google Scholar] [CrossRef]
- Tanase, M.A.; Santoro, M.; Wegmüller, U.; de la Riva, J.; Pérez-Cabello, F. Properties of X-, C-and L-band repeat-pass interferometric SAR coherence in Mediterranean pine forests affected by fires. Remote Sens. Environ. 2010, 114, 2182–2194. [Google Scholar] [CrossRef]
- Torres, R.; Snoeij, P.; Geudtner, D.; Bibby, D.; Davidson, M.; Attema, E.; Potin, P.; Rommen, B.; Floury, N.; Brown, M. GMES Sentinel-1 mission. Remote Sens. Environ. 2012, 120, 9–24. [Google Scholar] [CrossRef]
- Alarcon, G.; Canahuire, R.R.; Guevarra, F.M.G.; Rodriguez, L.; Gallegos, L.E.; Garate-Quispe, J. Dinámica de la pérdida de bosques en el sureste de la Amazonia peruana: Un estudio de caso en Madre de Dios. Ecosistemas 2021, 30, 2175. [Google Scholar] [CrossRef]
- Chavez, A.B.; Perz, S.G. Path dependency and contingent causation in policy adoption and land use plans: The case of Southeastern Peru. Geoforum 2013, 50, 138–148. [Google Scholar] [CrossRef]
- Chavez, A.; Huamani, L.; Vilchez, H.; Perz, S.; Quaedvlieg, J.; Rojas, R.; Brown, F.; Pinedo, R. The effects of climate change variability on rural livelihoods in Madre de Dios, Peru. Reg. Environ. Chang. 2020, 20, 70. [Google Scholar] [CrossRef]
- Coen, J.L.; Stavros, E.N.; Fites-Kaufman, J.A. Deconstructing the King megafire. Ecol. Appl. 2018, 28, 1565–1580. [Google Scholar] [CrossRef]
- De Oliveira Alves, N.; de Souza Hacon, S.; de Oliveira Galvão, M.F.; Simões Peixotoc, M.; Artaxo, P.; de Castro Vasconcellos, P.; de Medeiros, S.R.B. Genetic damage of organic matter in the Brazilian Amazon: A comparative study between intense and moderate biomass burning. Environ. Res. 2014, 130, 51–58. [Google Scholar] [CrossRef]
- De Oliveira Alves, N.; Brito, J.; Caumo, S.; Arana, A.; de Souza Hacon, S.; Artaxo, P.; Hillamo, R.; Teinilä, K.; Batistuzzo de Medeiros, S.R.; de Castro Vasconcellos, P. Biomass burning in the Amazon region: Aerosol source apportionment and associated health risk assessment. Atmos. Environ. 2015, 120, 277–285. [Google Scholar] [CrossRef] [Green Version]
- Porcher, V.; Thomas, E.; Gomringer, R.C.; Lozano, R.B. Fire- and distance-dependent recruitment of the Brazil nut in the Peruvian Amazon. For. Ecol. Manag. 2018, 427, 52–59. [Google Scholar] [CrossRef]
- Smith, J.; van de Kop, P.; Reategui, K.; Lombardi, I.; Sabogal, C.; Diaz, A. Dynamics of secondary forests in slash-and-burn farming: Interactions among land use types in the Peruvian Amazon. Agric. Ecosyst. Environ. 1999, 76, 85–98. [Google Scholar] [CrossRef]
- Morello, T.; Anderson, L.; Silva, S. Innovative fire policy in the Amazon: A statistical Hicks-Kaldor analysis. Ecol. Econ. 2022, 191, 107248. [Google Scholar] [CrossRef]
- Leite-Filho, A.T.; Costa, M.H.; Fu, R. The southern Amazon rainy season: The role of deforestation and its interactions with large-scale mechanisms. Int. J. Climatol. 2020, 40, 2328–2341. [Google Scholar] [CrossRef]
- Stevens, L.E.; Schenk, E.R.; Springer, A.E. Springs ecosystem classification. Ecol. Appl. 2020, 31, e2218. [Google Scholar] [CrossRef]
- Southworth, J.; Marsik, M.; Qiu, Y.; Perz, S.; Cumming, G.; Stevens, F.; Rocha, K.; Duchelle, A.; Barnes, G. Roads as Drivers of Change: Trajectories across the Tri-National Frontier in MAP, the Southwestern Amazon. Remote Sens. 2011, 3, 1047–1066. [Google Scholar] [CrossRef] [Green Version]
- Belenguer-Plomer, M.A.; Tanase, M.A.; Fernandez-Carrillo, A.; Chuvieco, E. Burned area detection and mapping using Sentinel-1 backscatter coefficient and thermal anomalies. Remote Sens. Environ. 2019, 233, 111345. [Google Scholar] [CrossRef]
- Bradstock, R.A.; Hammill, K.A.; Collins, L.; Price, O. Effects of weather, fuel and terrain on fire severity in topographically diverse landscapes of south-eastern Australia. Landsc. Ecol. 2010, 25, 607–619. [Google Scholar] [CrossRef]
- Hernández, H.M. Lo que Usted Debe Saber Sobre Incendios de Cobertura Vegetal. 2019. Available online: https://repositorio.gestiondelriesgo.gov.co/bitstream/handle/20.500.11762/28309/Cartilla_Incendios_2019-.pdf?sequence=4 (accessed on 31 January 2022).
- Lahaye, S.; Curt, T.; Fréjaville, T.; Sharples, J.; Paradis, L.; Hély, C. What are the drivers of dangerous fires in Mediterranean France? Int. J. Wildland Fire 2018, 27, 155–163. [Google Scholar] [CrossRef]
- Martins, F.d.S.R.V.; dos Santos, J.R.; Galvão, L.S.; Xaud, H.A.M. Sensitivity of ALOS/PALSAR imagery to forest degradation by fire in northern Amazon. Int. J. Appl. Earth Obs. Geoinf. 2016, 49, 163–174. [Google Scholar] [CrossRef]








| Decision Criteria | Severity of Burns |
|---|---|
| Rel_VV/VH 1 ≤ 0.57; Evergreen = No; Abs_VV/VH ≤ 0.03 | Moderate |
| Rel_VV/VH 1 ≤ 0.57; Evergreen = No; Abs_VV/VH > 0.03 | High |
| Rel_VV/VH 1 ≤ 0.57; Evergreen = Yes; Abs_VV/VH ≤ 0.03 | Low |
| Rel_VV/VH 1 ≤ 0.57; Evergreen = Yes; Abs_VV/VH > 0.03 | Moderate |
| Rel_VH 1 > 0.57; Abs_VV/VH ≤ 0.19 | High |
| Rel_VV/VH 1 ≤ 0.57; Abs_VV/VH > 0.19 | Moderate |
| Decision Criteria | Severity of Burns |
|---|---|
| RDFI = −0.6 to −0.47 | Low |
| RDFI = −0.47 to 0.04 | Moderate |
| RDFI ≥ 0.04 | High |
| Category | CBI | Description |
|---|---|---|
| Unburned | 0 | The location did not experience any fires. This may also include a location that recovers quickly after fires. |
| Low | >0 to ≤1 | Minimal vegetation consumption: vegetation fragments affected. |
| Moderate | 1 to ≤2 | The landscape exhibits transitional conditions between the low and high severity characteristics described above. |
| High | >2 | Approximately 90% to total vegetation consumption. Sites typically exhibit greater than 50% mineral soil cover or freshly exposed rock fragments. |
| Category (a) | CBI | Category (b) | CBI | ||||||||
|---|---|---|---|---|---|---|---|---|---|---|---|
| Low | Moderate | High | ƒSAR Sentinel-1 | Low | Moderate | High | ƒSAR Sentinel-1 | ||||
| SAR Sentinel-1 (VV_1) | Low | 88 (42) | 23 | 15 | 126 | SAR Sentinel-1 (VV_2) | Low | 86 (41) | 23 | 15 | 124 |
| Moderate | 24 | 83 (43) | 22 | 129 | Moderate | 23 | 85 (44) | 24 | 132 | ||
| High | 16 | 22 | 91 (43) | 129 | High | 19 | 20 | 89 (43) | 128 | ||
| ƒCBI | 128 | 128 | 128 | 384 | ƒCBI | 128 | 128 | 128 | 384 | ||
| ƒo= | 262 | ƒc= | 128 | ƒo= | 260 | ƒc= | 128 | ||||
| k= | 0.523 | kM= | 1.004 | k= | 0.516 | kM= | 1.016 | ||||
| σk= | 0.0356 | σko= | 0.0361 | σk= | 0.0358 | σko= | 0.0361 | ||||
| z= | 14.506 | Confusion matrix= | 0.682 | z= | 14.289 | Confusion matrix= | 0.677 | ||||
| Category (c) | CBI | Category (d) | CBI | ||||||||
| Low | Moderate | High | ƒSAR Sentinel-1 | Low | Moderate | High | ƒSAR Sentinel-1 | ||||
| SAR Sentinel-1 (VH_1) | Low | 79 (41) | 25 | 19 | 123 | SAR Sentinel-1 (VH_2) | Low | 101 (43) | 15 | 13 | 129 |
| Moderate | 27 | 83 (44) | 21 | 131 | Moderate | 15 | 104 (46) | 20 | 139 | ||
| High | 22 | 20 | 88 (43) | 130 | High | 12 | 9 | 95 (39) | 116 | ||
| ƒCBI | 128 | 128 | 128 | 384 | ƒCBI | 128 | 128 | 128 | 384 | ||
| ƒo= | 250 | ƒc= | 128 | ƒo= | 300 | ƒc= | 128 | ||||
| k= | 0.477 | kM= | 1.012 | k= | 0.672 | kM= | 1.043 | ||||
| σk= | 0.0365 | σko= | 0.0361 | σk= | 0.0316 | σko= | 0.0361 | ||||
| z= | 13.207 | Confusion matrix= | 0.651 | z= | 18.602 | Confusion matrix= | 0.781 | ||||
| Category (e) | CBI | ||||||||||
| Low | Moderate | High | ƒSAR Sentinel-1 | ||||||||
| SAR Sentinel-1 (VVVH) | Low | 108 (44) | 11 | 12 | 131 | ||||||
| Moderate | 13 | 111 (47) | 17 | 141 | |||||||
| High | 7 | 6 | 99 (37) | 112 | |||||||
| ƒCBI | 128 | 128 | 128 | 384 | |||||||
| ƒo= | 318 | ƒc= | 128 | ||||||||
| k= | 0.742 | kM= | 1.051 | ||||||||
| σk= | 0.0289 | σko= | 0.0361 | ||||||||
| z= | 20.568 | Confusion matrix= | 0.828 | ||||||||
Publisher’s Note: MDPI stays neutral with regard to jurisdictional claims in published maps and institutional affiliations. |
© 2022 by the authors. Licensee MDPI, Basel, Switzerland. This article is an open access article distributed under the terms and conditions of the Creative Commons Attribution (CC BY) license (https://creativecommons.org/licenses/by/4.0/).
Share and Cite
Alarcon-Aguirre, G.; Miranda Fidhel, R.F.; Ramos Enciso, D.; Canahuire-Robles, R.; Rodriguez-Achata, L.; Garate-Quispe, J. Burn Severity Assessment Using Sentinel-1 SAR in the Southeast Peruvian Amazon, a Case Study of Madre de Dios. Fire 2022, 5, 94. https://doi.org/10.3390/fire5040094
Alarcon-Aguirre G, Miranda Fidhel RF, Ramos Enciso D, Canahuire-Robles R, Rodriguez-Achata L, Garate-Quispe J. Burn Severity Assessment Using Sentinel-1 SAR in the Southeast Peruvian Amazon, a Case Study of Madre de Dios. Fire. 2022; 5(4):94. https://doi.org/10.3390/fire5040094
Chicago/Turabian StyleAlarcon-Aguirre, Gabriel, Reynaldo Fabrizzio Miranda Fidhel, Dalmiro Ramos Enciso, Rembrandt Canahuire-Robles, Liset Rodriguez-Achata, and Jorge Garate-Quispe. 2022. "Burn Severity Assessment Using Sentinel-1 SAR in the Southeast Peruvian Amazon, a Case Study of Madre de Dios" Fire 5, no. 4: 94. https://doi.org/10.3390/fire5040094
APA StyleAlarcon-Aguirre, G., Miranda Fidhel, R. F., Ramos Enciso, D., Canahuire-Robles, R., Rodriguez-Achata, L., & Garate-Quispe, J. (2022). Burn Severity Assessment Using Sentinel-1 SAR in the Southeast Peruvian Amazon, a Case Study of Madre de Dios. Fire, 5(4), 94. https://doi.org/10.3390/fire5040094

