The Impact of Germinated Chickpea Flour Addition on Dough Rheology and Bread Quality
Abstract
1. Introduction
2. Results
2.1. Flour Characteristics
2.2. Dough Rheological Properties
2.2.1. Dough Rheological Properties during Mixing and Extension
2.2.2. Dough Rheological Properties during Fermentation and Falling Number Values
2.2.3. Dough Fundamental Rheological Properties
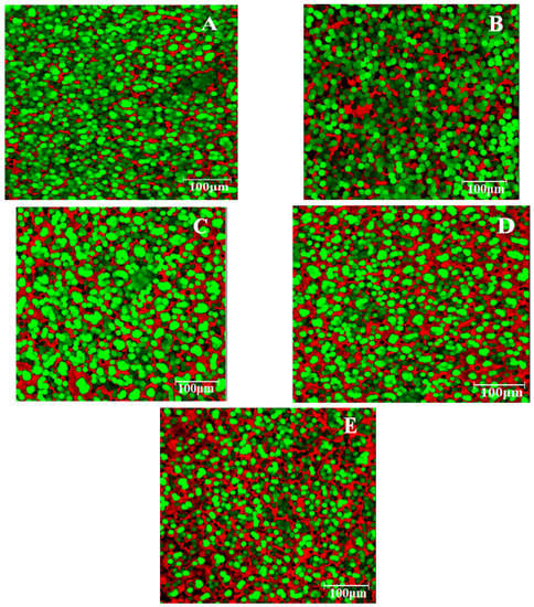
2.3. Dough Microstructure
2.4. Bread Quality Evaluation
2.4.1. Bread Physical Characteristics
2.4.2. Color Parameters of Bread Samples
2.4.3. Texture Profile Analysis of Bread Samples
2.4.4. Crumb Structure of Bread Samples
2.4.5. Sensory Analysis of Bread Samples
3. Discussions
3.1. Dough Rheological Properties
3.1.1. Dough Rheological Properties during Mixing and Extension
3.1.2. Dough Rheological Properties during Fermentation and Falling Number Values
3.1.3. Fundamental Rheological Properties of Dough
3.2. Dough Microstructure
3.3. Bread Quality Evaluation
3.3.1. Bread Physical Characteristics
3.3.2. Color Analysis of Bread Samples
3.3.3. Texture Profile Analysis of Bread Samples
3.3.4. Crumb Structure of Bread Samples
3.3.5. Sensory Analysis of the Bread Samples
4. Materials and Methods
4.1. Materials
4.2. Dough Rheological Properties
4.2.1. Dough Rheological Properties during Mixing and Extension
4.2.2. Dough Rheological Properties during Fermentation and Falling Number Values
4.2.3. Fundamental Rheological Properties of Dough
4.3. Dough Microstructure
4.4. Bread Making
4.5. Bread Quality Evaluation
4.5.1. Bread Physical Characteristics
4.5.2. Bread Color Parameters
4.5.3. Texture Profile Analysis
4.5.4. Crumb Microstructure
4.5.5. Sensory Analysis
4.5.6. Statistical Analysis
5. Conclusions
Author Contributions
Funding
Institutional Review Board Statement
Informed Consent Statement
Data Availability Statement
Acknowledgments
Conflicts of Interest
References
- Kotsiou, K.; Sacharidis, D.D.; Matsakidou, A.; Boliaderis, C.G.; Lazaridou, A. Physicochemical and functional aspects of composite wheat-roasted chickpea flours in relation to dough rheology, bread quality and staling phenomena. Food Hydrocoll. 2022, 124, 107322. [Google Scholar] [CrossRef]
- Boye, J.; Zare, F.; Platch, A. Pulse proteins: Processing, characterization, functional properties and applications in food and feed. Int. Food Res. J. 2010, 43, 414–431. [Google Scholar] [CrossRef]
- Kaur, R.; Prasad, K. Technological, processing and nutritional aspects of chickpea (Cicer arietinum)—A review. Trends Food Sci. Technol. 2021, 109, 448–463. [Google Scholar] [CrossRef]
- Parenti, O.; Guerrini, L.; Zanoni, B. Techniques and technologies for the breadmaking process with unrefined wheat flours. Trends Food Sci. Technol. 2020, 99, 152–166. [Google Scholar] [CrossRef]
- Bajka, B.H.; Pinto, A.M.; Ahn-Jarvis, J.; Ryden, P.; Perez-Moral, N.; van der Schoot, A.; Stocchi, C.; Bland, C.; Berry, S.E.; Ellis, P.R.; et al. The impact of replacing wheat flour with cellular legume powder on starch bioaccessibility, glycaemic response and bread roll quality: A double-blind randomised controlled trial in healthy participants. Food Hydrocoll. 2021, 114, 106565. [Google Scholar] [CrossRef]
- Boukid, F.; Folloni, S.; Ranieri, R.; Vittadini, E. A compendium of wheat germ: Separation, stabilization and food applications. Trends Food Sci. Technol. 2018, 78, 120–133. [Google Scholar] [CrossRef]
- Codină, G.G. Recent Advances in Cereals, Legumes and Oilseeds Grain Products Rheology and Quality. Appl. Sci. 2022, 12, 1035. [Google Scholar] [CrossRef]
- Garrido-Galand, S.; Asensio-Grau, A.; Calvo-Lerma, J.; Heredia, A.; Andrés, A. The potential of fermentation on nutritional and technological improvement of cereal and legume flours: A review. Int. Food Res. J. 2021, 145, 110398. [Google Scholar] [CrossRef]
- Leitzmann, C. Vegetarian diets: What are the advantages? Diet Diversif. Health Promot. 2005, 57, 147–156. [Google Scholar]
- Delgado-Andrade, C.; Olías, R.; Jiménez-López, J.C.; Clemente, A. Aspectos de las legumbres nutricionales y beneficiosos para la salud humana. Arbor 2016, 192, 313. [Google Scholar]
- Perri, G.; Coda, R.; Rizzello, C.G.; Celano, G.; Ampollini, M.; Gobbetti, M.; De Angelis, M.; Calasso, M. Sourdough fermentation of whole and sprouted lentil flours: In situ formation of dextran and effects on the nutritional, texture and sensory characteristics of white bread. Food Chem. 2021, 355, 129638. [Google Scholar] [CrossRef] [PubMed]
- Gobbetti, M.; De Angelis, M.; Di Cagno, R.; Calasso, M.; Archetti, G.; Rizzello, C.G. Novel insights on the functional/nutritional features of the sourdough fermentation. Int. J. Food Microbiol. 2019, 302, 103–113. [Google Scholar] [CrossRef] [PubMed]
- Wang, J.; Li, Y.; Li, A.; Liu, R.H.; Gao, X.; Li, D.; Kou, X.; Xue, Z. Nutritional constituent and health benefits of chickpea (Cicer arietinum L.): A review. Int. Food Res. J. 2021, 150, 110790. [Google Scholar] [CrossRef] [PubMed]
- Gupta, R.K.; Gupta, K.; Sharma, A.; Das, M.; Ansari, I.A.; Dwivedi, P.D. Health Risks and Benefits of Chickpea (Cicer arietinum) Consumption. J. Agric. Food Chem. 2017, 65, 6–22. [Google Scholar] [CrossRef]
- Perez-Perez, L.M.; Huerta-Ocampo, J.Á.; Ramos-Enríquez, J.R.; Ruiz-Cruz, S.; Wong-Corral, F.J.; Rosas-Burgos, E.C.; Hernández-Ortíz, M.; Encarnación-Guevara, S.; Robles-García, M.A.; Iturralde-García, R.D.; et al. Interaction of the human intestinal microbiota with the release of bound phenolic compounds in chickpea (Cicer arietinum L.). Int. J. Food Sci. Technol. 2021, 56, 6497–6506. [Google Scholar] [CrossRef]
- Boukid, F. Chickpea (Cicer arietinum L.) protein as a prospective plant-based ingredient: A review. Int. J. Food Sci. Technol. 2021, 56, 5435–5444. [Google Scholar] [CrossRef]
- Thakur, P.; Kumar, K.; Ahmed, N.; Chauhan, D.; Rizvi, Q.E.H.; Jan, S.; Singh, T.P.; Dhaliwal, H.S. Effect of soaking and germination treatments on nutritional, anti-nutritional, and bioactive properties of amaranth (Amaranthus hypochondriacus L.), quinoa (Chenopodium quinoa L.), and buckwheat (Fagopyrum esculentum L.). Curr. Res. Nutr. Food Sci. 2021, 4, 917–925. [Google Scholar] [CrossRef]
- Rumiyati, R.; James, A.P.; Jayasena, V. Effect of germination on the nutritional and protein profile of Australian Sweet Lupin (Lupinus angustifolius L.). Food Sci. Nutr. 2012, 3, 621–626. [Google Scholar]
- Ohanenye, I.C.; Tsopmo, A.; Ejike, C.E.C.C. Germination as a bioprocess for enhancing the quality and nutritional prospects of legume proteins. Trends Food Sci. Technol. 2020, 101, 213–222. [Google Scholar] [CrossRef]
- Atudorei, D.; Stroe, S.G.; Codină, G.G. Impact of Germination on the Microstructural and Physicochemical Properties of Different Legume Types. Plants 2021, 10, 592. [Google Scholar] [CrossRef]
- Munarko, H.; Sitanggang, A.B.; Kusnandar, F.; Budijanto, S. Effect of different soaking and germination methods on bioactive compounds of germinated brown rice. Int. J. Food Sci. Technol. 2021, 56, 4540–4548. [Google Scholar] [CrossRef]
- Wu, Y.; Wang, H.; Wang, Y.; Brennan, C.S.; Anne Brennan, M.; Qiu, C.; Guo, X. Comparison of lignans and phenolic acids in different varieties of germinated flaxseed (Linum usitatissimum L.). Int. J. Food Sci. Technol. 2021, 56, 196–204. [Google Scholar] [CrossRef]
- Mäkinen, O.E.; Arendt, E.K. Nonbrewing applications of malted cereals, pseudocereals, and legumes: A review. J. Am. Soc. Brew. Chem. 2015, 73, 223–227. [Google Scholar] [CrossRef]
- Mohammed, I.; Ahmed, A.R.; Senge, B. Dough rheology and bread quality of wheat–chickpea flour blends. Ind. Crop. Prod. 2012, 36, 196–202. [Google Scholar] [CrossRef]
- Atudorei, D.; Ungureanu-Iuga, M.; Codină, G.G.; Mironeasa, S. Germinated Chickpea and Lupin as Promising Ingredients for Breadmaking—Rheological Features. Agronomy 2021, 11, 2588. [Google Scholar] [CrossRef]
- Codină, G.G.; Dabija, A.; Oroian, M. Prediction of Pasting Properties of Dough from Mixolab Measurements Using Artificial Neuronal Networks. Foods 2019, 8, 447. [Google Scholar] [CrossRef]
- Millar, K.A.; Barry-Ryan, C.; Burke, R.; McCarthy, S.; Gallagher, E. Dough properties and baking characteristics of white bread, as affected by addition of raw, germinated and toasted pea flour. Innov. Food Sci. Emerg. Technol. 2019, 56, 102189. [Google Scholar] [CrossRef]
- Hejri-Zarifi, S.; Ahmadian-Kouchaksaraei, Z.; Pourfarzad, A.; Khodaparast, M.H.H. Dough performance, quality and shelf life of flat bread supplemented with fractions of germinated date seed. J. Food Sci. Technol. 2014, 51, 3776–3784. [Google Scholar] [CrossRef]
- Xing, Q.; Kyriakopoulou, K.; Zhang, L.; Boom, R.M.; Schutyser, M.A.A. Protein fortification of wheat bread using dry fractionated chickpea protein-enriched fraction or its sourdough. LWT 2021, 142, 110931. [Google Scholar] [CrossRef]
- Yang, M.; Li, N.; Wang, A.; Tong, L.; Wang, L.; Yue, Y.; Yao, J.; Zhou, S.; Liu, L. Evaluation of rheological properties, microstructure and water mobility in buns dough enriched in aleurone flour modified by enzyme combinations. Int. J. Food Sci. Technol. 2021, 56, 5913–5922. [Google Scholar] [CrossRef]
- Guardado-Félix, D.; Serna-Saldivar, S.O.; Cuevas-Rodríguez, E.O.; Jacobo-Velázquez, D.A.; Gutiérrez-Uribe, J.A. Effect of sodium selenite on isoflavonoid contents and antioxidant capacity of chickpea (Cicer arietinum L.) sprouts. Food Chem. 2017, 226, 69–74. [Google Scholar] [CrossRef] [PubMed]
- Sadowska, J.; Błaszczak, W.; Fornal, J.; Vidal-Valverde, C.; Frias, J. Changes of wheat dough and bread quality and structure as a result of germinated pea flour addition. Eur. Food Res. Technol. 2003, 216, 46–50. [Google Scholar] [CrossRef]
- Rosales -Juárez, M.; González-Mendoza, B.; López-Guel, E.C.; Lorenzo-Bautista, F.; Chanona-Pérez, J.; Gutiérrez-López, G.; Farrera-Rebollo, R.; Calderón-Domínguez, G. Changes on Dough Rheological Characteristics and Bread Quality as a Result of the Addition of Germinated and Non-Germinated Soybean Flour. Food Bioproc. Technol. 2008, 1, 152–160. [Google Scholar] [CrossRef]
- Hallén, E.; Íbanoğlu, Ș.; Ainsworth, P. Effect of fermented/germinated cowpea flour addition on the rheological and baking properties of wheat flour. J. Food Eng. 2004, 63, 177–184. [Google Scholar] [CrossRef]
- Marti, A.; Cardone, G.; Pagani, M.A.; Casiraghi, M.C. Flour from sprouted wheat as a new ingredient in bread-making. LWT 2018, 89, 237–243. [Google Scholar] [CrossRef]
- Guardado-Félix, D.; Lazo-Vélez, M.A.; Pérez-Carrillo, E.; Panata-Saquicili, D.E.; Serna-Saldívar, S.O. Effect of partial replacement of wheat flour with sprouted chickpea flours with or without selenium on physicochemical, sensory, antioxidant and protein quality of yeast-leavened breads. LWT 2020, 129, 109517. [Google Scholar] [CrossRef]
- Wandersleben, T.; Morales, E.; Burgos-Díaz, C.; Barahona, T.; Labra, E.; Rubilar, M.; Salvo-Garrido, H. Enhancement of functional and nutritional properties of bread using a mix of natural ingredients from novel varieties of flaxseed and lupine. LWT 2018, 91, 48–54. [Google Scholar] [CrossRef]
- Codină, G.G.; Voica, D. The influence of different forms of bakery yeast Saccharomyces cerevisie type strain on the concentration of individual sugars and their utilization during fermentation. Rom. Biotechnol. Lett. 2010, 15, 5417–5422. [Google Scholar]
- Marengo, M.; Carpen, A.; Bonomi, F.; Casiraghi, M.A.; Meroni, E.; Quaglia, L.; Iametti, S.; Pagani, M.A.; Marti, A. Macromolecular and Micronutrient Profiles of Sprouted Chickpeas to Be Used for Integrating Cereal-Based Food. Cereal Chem. 2016, 94, 82–88. [Google Scholar] [CrossRef]
- Verheyen, C.; Jekle, M.; Becker, T. Effects of Saccharomyces cerevisiae on the structural kinetics of wheat dough during fermentation. LWT 2014, 58, 194–202. [Google Scholar] [CrossRef]
- Sanz Penella, J.M.; Collar, C.; Haros, M. Effect of wheat bran and enzyme addition on dough functional performance and phytic acid levels in bread. J. Cereal Sci. 2008, 48, 715–721. [Google Scholar] [CrossRef]
- Lazo-Vélez, M.A.; Garzon, R.; Guardado-Félix, D.; Serna-Saldivar, S.O.; Rosell, C.M. Selenized chickpea sourdoughs for the enrichment of breads. LWT 2021, 150, 112082. [Google Scholar] [CrossRef]
- Dobraszczyk, B.J. Measuring the rheological properties of dough. In Breadmaking: Improving Quality; Cauvain, S.P., Ed.; Woodhead Publishing Ltd.: Cambridge, UK, 2003; pp. 389–395. [Google Scholar]
- Yang, Q.; Luo, Y.; Wang, H.; Li, J.; Gao, X.; Gao, J.; Feng, B. Effects of germination on the physicochemical, nutritional and in vitro digestion characteristics of flours from waxy and nonwaxy proso millet, common buckwheat and pea. Innov. Food Sci. Emerg. Technol. 2021, 67, 102586. [Google Scholar] [CrossRef]
- Zhang, L.; Li, Z.; Qiao, Y.; Zhang, Y.; Zheng, W.; Zhao, Y.; Huang, Y.; Cui, Z. Improvement of the quality and shelf life of wheat bread by a maltohexaose producing α-amylase. J. Cereal Sci. 2019, 87, 165–171. [Google Scholar] [CrossRef]
- Li, C.; Oh, S.G.; Lee, D.H.; Baik, H.W.; Chung, H.J. Effect of germination on the structures and physicochemical properties of starches from brown rice, oat, sorghum, and millet. Int. J. Biol. Macromol. 2017, 105, 931–939. [Google Scholar] [CrossRef]
- Xing, B.; Teng, C.; Sun, M.; Zhang, Q.; Zhou, B.; Cui, H.; Ren, G.; Yang, X.; Qin, P. Effect of germination treatment on the structural and physicochemical properties of quinoa starch. Food Hydrocoll. 2021, 115, 106604. [Google Scholar] [CrossRef]
- Gao, k.; Liu, Y.X.; Tan, B.; Tian, X.H.; Zhang, D.Q.; Wang, L.p. An insight into the rheology and texture assessment: The influence of sprouting treatment on the whole wheat flour. Food Hydrocoll. 2022, 125, 107248. [Google Scholar] [CrossRef]
- Dabija, A.; Codină, G.G.; Fradinho, P. Effect of yellow pea flour addition on wheat flour dough and bread quality. Rom. Biotechnol. Lett. 2017, 22, 12888–12897. [Google Scholar]
- Baranzelli, J.; Kringel, D.H.; Colussi, R.; Fernandes Paiva, F.; Camargo Aranha, B.; Zavariz de Miranda, M.; da Rosa Zavareze, E.; Dias, A.R.G. Changes in enzymatic activity, technological quality and gamma-aminobutyric acid (GABA) content of wheat flour as affected by germination. LWT 2018, 90, 483–490. [Google Scholar] [CrossRef]
- Yaver, E.; Bilgiçli, N. Ultrasound-treated lupin (Lupinus albus L.) flour: Protein- and fiber-rich ingredient to improve physical and textural quality of bread with a reduced glycemic index. LWT 2021, 148, 111767. [Google Scholar] [CrossRef]
- Zarzycki, P.; Wirkijowska, A.; Nawrocka, A.; Kozlowicz, K.; Krajewska, M.; Klosok, K.; Krawęcka, A. Effect of Moldavian dragonhead seed residue on the baking properties of wheat flour and bread quality. LWT 2022, 155, 112967. [Google Scholar] [CrossRef]
- Marti, A.; Cardone, G.; Nicolodi, A.; Quaglia, L.; Pagani, M.A. Sprouted wheat as an alternative to conventional flour improvers in bread-making. LWT 2017, 80, 230–236. [Google Scholar] [CrossRef]
- Mohammed, I.; Ahmed, A.R.; Senge, B. Effects of chickpea flour on wheat pasting properties and bread making quality. J. Food Sci. Technol. 2014, 51, 1902. [Google Scholar] [CrossRef]
- Rizzello, C.G.; Calasso, M.; Campanella, D.; De Angelis, M.; Gobbetti, M. Use of sourdough fermentation and mixture of wheat, chickpea, lentil and bean flours for enhancing the nutritional, texture and sensory characteristics of white bread. Int. J. Food Microbiol. 2014, 180, 78–87. [Google Scholar] [CrossRef]
- McCallum, J.A.; Walker, J.R.L. O-diphenol oxidase activity, phenolic content and colour of New Zealand wheats, flours and milling streams. J. Cereal Sci. 1990, 12, 83–96. [Google Scholar] [CrossRef]
- Gularte, M.A.; Gomez, M.; Rosell, C.M. Impact of legume flours on quality and in vitro digestibility of starch and protein from gluten-free cakes. Food Bioproc. Technol. 2012, 5, 3142–3150. [Google Scholar] [CrossRef]
- Atudorei, D.; Atudorei, O.; Codină, G.G. Dough Rheological Properties, Microstructure and Bread Quality of Wheat-Germinated Bean Composite Flour. Foods 2021, 10, 1542. [Google Scholar] [CrossRef]
- Yamsaengsung, R.; Schoenlechner, R.; Berghofer, E. The effects of chickpea on the functional properties of white and whole wheat bread. Int. J. Food Sci. 2010, 45, 610–620. [Google Scholar] [CrossRef]
- Kotsiou, K.; Sacharidis, D.-D.; Matsakidou, A.; Biliaderis, C.G.; Lazaridou, A. Impact of roasted yellow split pea flour on dough rheology and quality of fortified wheat breads. Foods 2021, 10, 1832. [Google Scholar] [CrossRef]
- Angioloni, A.; Collar, C. High legume-wheat matrices: An alternative to promote bread nutritional value meeting dough viscoelastic restrictions. Eur. Food Res. Technol. 2012, 234, 273–284. [Google Scholar] [CrossRef]
- Goesaert, H.; Slade, L.; Levine, H.; Delcour, J.A. Amylases and bread firming—An integrated view. J. Cereal Sci. 2009, 50, 345–352. [Google Scholar] [CrossRef]
- Matsushita, K.; Terayama, A.; Goshima, D.; Santiago, D.M.; Myoda, T.; Yamauchi, H. Optimization of enzymes addition to improve whole wheat bread making quality by response surface methodology and optimization technique. J. Food Sci. Technol. 2019, 56, 1454–1461. [Google Scholar] [CrossRef]
- Ouazib, M.; Dura, A.; Zaidi, F.; Rosell, C.M. Effect of partial substitution of wheat flour by processed (germinated, toasted, cooked) chickpea on bread quality. J. Agric. Sci. Technol. 2016, 4, 8–18. [Google Scholar] [CrossRef][Green Version]
- Bhol, S.; Bosco, S.J.D. Influence of malted finger millet and red kidney bean flour on quality characteristics of developed bread. LWT 2014, 55, 294–300. [Google Scholar] [CrossRef]
- Amigo, J.M.; del Olma Alvarez, A.; Engelsen, M.M.; Lundkvis, H.; Engelsen, S.B. Staling of white wheat bread crumb and effect of maltogenic a-amylases. Part 1: Spatial distribution and kinetic modeling of hardness and resilience. Food Chem. 2016, 208, 318–325. [Google Scholar] [CrossRef]
- Lagrain, B.; Leman, P.; Goesaert, H.; Delcour, J.A. Impact of thermostable amylases during bread making on wheat bread crumb structure and texture. Int. Food Res. J. 2008, 41, 819–827. [Google Scholar] [CrossRef]
- Cardone, G.; Grassi, S.; Scipioni, A.; Marti, A. Bread-making performance of durum wheat as affected by sprouting. LWT 2020, 134, 110021. [Google Scholar] [CrossRef]
- Peñaranda, J.D.; Bueno, M.; Álvarez, F.; Pérez, P.D.; Perezábad, L. Sprouted grains in product development. Case studies of sprouted wheat for baking flours and fermented beverages. Int. J. Gastron. Food Sci. 2021, 25, 100375. [Google Scholar] [CrossRef]
- Al-Ansi, W.; Zhang, Y.; Alkawry, T.A.A.; Al-Adeeb, A.; Mahdi, A.A.; Al-Maqtari, Q.A.; Ahmed, A.; Mushtaq, B.S.; Fan, M.; Li, Y.; et al. Influence of germination on bread-making behaviors, functional and shelf-life properties, and overall quality of highland barley bread. LWT 2022, 159, 113200. [Google Scholar] [CrossRef]
- Atudorei, D.; Stroe, S.G.; Codină, G.G. Physical, Physiological and Minerals Changes of Different Legumes Types during the Germination Process. Ukr. Food J. 2020, 9, 844–863. [Google Scholar] [CrossRef]
- Mironeasa, S.; Codină, G. Influence of Mixing Speed on Dough Microstructure and Rheology. Food Technol. Biotechnol. 2013, 51, 509–519. [Google Scholar]
- García-Gómez, B.; Fernández-Canto, N.; Vázquez-Odériz, M.L.; Quiroga-García, M.; Muñoz-Ferreiro, N.; Romero-Rodríguez, M.Á. Sensory descriptive analysis and hedonic consumer test for Galician type breads. Food Control 2022, 134, 108765. [Google Scholar] [CrossRef]





| Dough Samples | WA (%) | Tol (s) | D250 (mb) | D450 (mb) |
|---|---|---|---|---|
| Control | 54.3 ± 0.10 d | 214 ± 1.00 b | 394 ± 2.00 d | 943 ± 1.00 e |
| GCF_5 | 53.9 ± 0.10 c | 223 ± 2.00 c | 289 ± 5.00 c | 931 ± 4.00 d |
| GCF_10 | 53.6 ± 0.06 c | 215 ± 2.00 b | 225 ± 3.00 a | 785 ± 4.00 b |
| GCF_15 | 52.7 ± 0.10 b | 209 ± 2.00 b | 218 ± 1.00 a | 754 ± 1.00 a |
| GCF_20 | 52.3 ± 0.20 a | 200 ± 5.50 a | 242 ± 3.00 b | 881 ± 4.00 c |
| Dough Samples | P (mm) | L (mm) | G (mm) | W (10−4 J) | P/L |
|---|---|---|---|---|---|
| Control | 104 ± 2.51 a | 72 ± 1.15 d | 19.4±0.28 d | 301 ± 5.13 e | 1.43 ± 0.05 a |
| GCF_5 | 108 ± 1.00 ab | 55 ± 2.00 c | 16.5 ± 0.30 c | 215 ± 2.00 d | 1.96 ± 0.09 b |
| GCF_10 | 106 ± 1.00 ab | 46 ± 2.00 b | 15.0 ± 0.35 b | 190 ± 3.00 c | 2.30 ± 0.08 c |
| GCF_15 | 110 ± 2.00 b | 39 ± 1.00 a | 13.9 ± 0.15 a | 172 ± 4.00 b | 2.82 ± 0.12 d |
| GCF_20 | 107 ± 1.00 ab | 38 ± 2.00 a | 14.3 ± 0.46 a | 156 ± 3.00 a | 2.82 ± 0.18 d |
| Dough Samples | H’m (mm) | VT (mL) | VR (mL) | CR (%) | FN (s) |
|---|---|---|---|---|---|
| Control | 65.9 ± 0.30 b | 1532 ± 2.51 b | 1228 ± 2.51 c | 80.1 ± 0.50 d | 350 ± 3.29 e |
| GCF_5 | 71.3 ± 0.20 c | 1622 ± 6.00 c | 1260 ± 3.00 d | 77.7 ± 0.06 b | 329 ± 2.00 d |
| GCF_10 | 72.2 ± 0.10 d | 1762 ± 5.00 e | 1208 ± 3.51 b | 68.5 ± 0.06 a | 318 ± 4.00 c |
| GCF_15 | 66.3 ± 0.20 b | 1641 ± 3.00 d | 1233 ± 2.00 c | 75.2 ± 0.10 b | 283 ± 2.00 b |
| GCF_20 | 63.1 ± 0.06 a | 1394 ± 4.00 a | 1148 ± 3.00 a | 82.3 ± 0.45 e | 260 ± 1.52 a |
| Bread Samples | Specific Volume (cm3/100 g) | Porosity (%) | Elasticity (%) |
|---|---|---|---|
| Control | 331.5 ± 0.74 b | 67.4 ± 0.86 b | 91.3 ± 0.57 b |
| GCF_5 | 340.3 ± 0.80 c | 70.2 ± 1.17 c | 92.0 ± 0.12 b,c |
| GCF_10 | 350.2 ± 1.07 d | 72.4 ± 0.51 d | 93.1 ± 0.28 c |
| GCF_15 | 366.9 ± 0.71 e | 73.8 ± 0.73 d | 94.6 ± 0.53 d |
| GCF_20 | 328.5 ± 0.57 a | 63.8 ± 0.61 a | 88.6 ± 0.51 a |
| Bread Samples | Crust Color | Crumb Color | ||||
|---|---|---|---|---|---|---|
| L* | a* | b* | L* | a* | b* | |
| Control | 76.25 ± 0.94 d | 3.44 ± 0.27 a | 3.14 ± 0.43 a | 66.37 ± 0.88 d | −4.62 ± 0.32 a | 1.69 ± 0.22 a |
| GCF_5 | 75.38 ± 1.00 d | 4.87 ± 0.17 b | 9.07 ± 0.28 b | 63.17 ± 0.18 c | −3.95 ± 0.05 b | 4.21 ± 0.23 b |
| GCF_10 | 72.92 ± 0.22 c | 6.44 ± 0.12 c | 11.03 ± 0.08 c | 60.90 ± 0.23 b | −2.52 ± 0.14 c | 6.35 ± 0.10 c |
| GCF_15 | 68.22 ± 0.22 b | 9.15 ± 0.18 d | 12.63 ± 0.45 d | 58.22 ± 0.31 a | −1.40 ± 0.06 d | 9.22 ± 0.18 d |
| GCF_20 | 58.91 ± 0.82 a | 10.16 ± 0.24 e | 18.16 ± 0.20 e | 57.34 ± 0.38 a | −0.48 ± 0.02 e | 11.29 ± 0.17 e |
| Bread Samples | Firmness (N) | Gumminess (N) | Cohesiveness (Adimensional) | Resilience (Adimensional) |
|---|---|---|---|---|
| Control | 9.01 ± 3.06 a | 7.23 ± 1.73 b | 0.82 ± 0.03 d | 1.72 ± 0.04 d |
| GCF_5 | 12.57 ± 0.39 ab | 6.41 ± 0.50 ab | 0.49 ± 0.02 a | 1.68 ± 0.04 cd |
| GCF_10 | 16.38 ± 0.37 bc | 5.24 ± 0.10 ab | 0.67 ± 0.04 c | 1.58 ± 0.02 c |
| GCF_15 | 19.20 ± 0.06 cd | 4.20 ± 0.30 a | 0.60 ± 0.01 b | 1.40 ± 0.02 b |
| GCF_20 | 20.04 ± 0.54 d | 6.77 ± 0.23 b | 0.54 ± 0.01 ab | 1.21 ± 0.08 a |
Publisher’s Note: MDPI stays neutral with regard to jurisdictional claims in published maps and institutional affiliations. |
© 2022 by the authors. Licensee MDPI, Basel, Switzerland. This article is an open access article distributed under the terms and conditions of the Creative Commons Attribution (CC BY) license (https://creativecommons.org/licenses/by/4.0/).
Share and Cite
Atudorei, D.; Atudorei, O.; Codină, G.G. The Impact of Germinated Chickpea Flour Addition on Dough Rheology and Bread Quality. Plants 2022, 11, 1225. https://doi.org/10.3390/plants11091225
Atudorei D, Atudorei O, Codină GG. The Impact of Germinated Chickpea Flour Addition on Dough Rheology and Bread Quality. Plants. 2022; 11(9):1225. https://doi.org/10.3390/plants11091225
Chicago/Turabian StyleAtudorei, Denisa, Olivia Atudorei, and Georgiana Gabriela Codină. 2022. "The Impact of Germinated Chickpea Flour Addition on Dough Rheology and Bread Quality" Plants 11, no. 9: 1225. https://doi.org/10.3390/plants11091225
APA StyleAtudorei, D., Atudorei, O., & Codină, G. G. (2022). The Impact of Germinated Chickpea Flour Addition on Dough Rheology and Bread Quality. Plants, 11(9), 1225. https://doi.org/10.3390/plants11091225

