Proinflammatory Pathways Are Activated in the Human Q344X Rhodopsin Knock-In Mouse Model of Retinitis Pigmentosa
Abstract
:1. Introduction
2. Materials and Methods
2.1. Q344X Rhodopsin Knock-In Mouse Model
2.2. Electroretinographic (ERG) Analysis of the Q344X Rhodopsin Knock-In Mouse Retina
2.3. Examining the Q344X Rhodopsin Knock-In Mouse Retina for Histological Changes Relative to WT by Optical Coherence Tomography (OCT)
2.4. Assessing the Q344X Rhodopsin Knock-In Mouse Retina for Pigmentary and Vascular Anomalies Associated with RP
2.5. Western Blot Analysis of Retinal Expression of Glial Hypertrophy, Microglial, and Proinflammatory Signaling Pathway Proteins
2.6. Labeling for Glial Hypertrophy, Apoptotic Cells, Microglia, and Proinflammatory Signaling Pathway Proteins in the Q344X Rhodopsin Knock-In Mouse Retina by Fluorescent Immunohistochemistry (fIHC) and TUNEL
2.7. Analysis of JAK/STAT Activation and Pharmacological Inhibition in Rat Müller Cells (rMC-1) Using FICC
3. Results
3.1. Q344X Rhodopsin Knock-In Mice Experience Functional Deficits by ERG
3.2. Retinas from Q344X Rhodopsin Knock-In Mice Display Degenerative RP Phenotypes by OCT and Funduscopy
3.3. Western Blot Analysis of FIHC-Probed Proteins
3.4. Upregulation of Glial Fibrillary Acidic Protein (GFAP) Expression in the Q344X Rhodopsin Knock-In Mouse Retina
3.5. Q344X Rhodopsin Knock-In Mouse Retinas Exhibit Apoptosis by TUNEL Labeling and Abherrant Microglial Phagocytosis
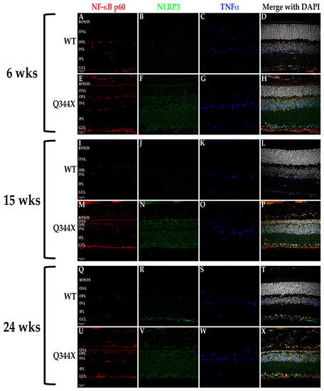
3.6. FIHC Labeling of the Q344X Rhodopsin Knock-In Mouse Retina Shows the Upregulation of Proinflammatory Cytokines and Pathways
3.7. Cultured Rat Müller Cells (rMC-1 Cells) Exhibit Activation of the JAK/STAT Pathway, Which Can Be Attenuated Using Pharmacological Treatment
4. Discussion
Supplementary Materials
Author Contributions
Funding
Institutional Review Board Statement
Acknowledgments
Conflicts of Interest
References
- Hollingsworth, T.; Gross, A.K. Defective Trafficking of Rhodopsin and Its Role in Retinal Degenerations. Int. Rev. Cell Mol. Biol. 2012, 293, 1–44. [Google Scholar] [CrossRef]
- Hollingsworth, T.; Gross, A.K. The Severe Autosomal Dominant Retinitis Pigmentosa Rhodopsin Mutant Ter349Glu Mislocalizes and Induces Rapid Rod Cell Death. J. Biol. Chem. 2013, 288, 29047–29055. [Google Scholar] [CrossRef] [Green Version]
- Hollingsworth, T.J.; Gross, A.K. Innate and Autoimmunity in the Pathogenesis of Inherited Retinal Dystrophy. Cells 2020, 9, 630. [Google Scholar] [CrossRef] [Green Version]
- Concepcion, F.; Chen, J. Q344ter Mutation Causes Mislocalization of Rhodopsin Molecules That Are Catalytically Active: A Mouse Model of Q344ter-Induced Retinal Degeneration. PLoS ONE 2010, 5, e10904. [Google Scholar] [CrossRef] [Green Version]
- Bessant, D.A.; Khaliq, S.; Hameed, A.; Anwar, K.; Payne, A.M.; Mehdi, S.Q.; Bhattacharya, S.S. Severe autosomal dominant retinitis pigmentosa caused by a novel rhodopsin mutation (Ter349Glu). Mutations in brief no. 208. Online. Hum. Mutat. 1999, 13, 83. [Google Scholar] [CrossRef]
- Murakami, Y.; Ishikawa, K.; Nakao, S.; Sonoda, K.-H. Innate immune response in retinal homeostasis and inflammatory disorders. Prog. Retin. Eye Res. 2020, 74, 100778. [Google Scholar] [CrossRef]
- Ronning, K.E.; Karlen, S.; Miller, E.; Burns, M.E. Molecular profiling of resident and infiltrating mononuclear phagocytes during rapid adult retinal degeneration using single-cell RNA sequencing. Sci. Rep. 2019, 9, 1–12. [Google Scholar] [CrossRef] [Green Version]
- Wooff, Y.; Man, S.M.; Aggio-Bruce, R.; Natoli, R.; Fernando, N. IL-1 Family Members Mediate Cell Death, Inflammation and Angiogenesis in Retinal Degenerative Diseases. Front. Immunol. 2019, 10, 1618. [Google Scholar] [CrossRef]
- Campello, L.; Kutsyr, O.; Noailles, A.; Michalska, P.; Fernández-Sánchez, L.; Martínez-Gil, N.; Ortuño-Lizarán, I.; Sánchez-Sáez, X.; de Juan, E.; Lax, P.; et al. New Nrf2-Inducer Compound ITH12674 Slows the Progression of Retinitis Pigmentosa in the Mouse Model rd10. Cell. Physiol. Biochem. 2018, 54, 142–159. [Google Scholar] [CrossRef] [Green Version]
- Berge, J.C.T.; Fazil, Z.; Born, I.V.D.; Wolfs, R.C.W.; Schreurs, M.W.J.; Dik, W.A.; Rothova, A. Intraocular cytokine profile and autoimmune reactions in retinitis pigmentosa, age-related macular degeneration, glaucoma and cataract. Acta Ophthalmol. 2018, 97, 185–192. [Google Scholar] [CrossRef]
- Bales, K.L.; Ianov, L.; Kennedy, A.J.; Sweatt, J.D.; Gross, A.K. Autosomal dominant retinitis pigmentosa rhodopsin mutant Q344X drives specific alterations in chromatin complex gene transcription. Mol. Vis. 2018, 24, 153–164. [Google Scholar]
- Sandoval, I.M.; Price, B.A.; Gross, A.K.; Chan, F.; Sammons, J.D.; Wilson, J.H.; Wensel, T.G. Abrupt Onset of Mutations in a Developmentally Regulated Gene during Terminal Differentiation of Post-Mitotic Photoreceptor Neurons in Mice. PLoS ONE 2014, 9, e108135. [Google Scholar] [CrossRef]
- Murray, P.J. The JAK-STAT Signaling Pathway: Input and Output Integration. J. Immunol. 2007, 178, 2623–2629. [Google Scholar] [CrossRef] [Green Version]
- Rezaei, K.A.; Zhang, Q.; Chen, C.-L.; Chao, J.; Wang, R. Retinal and choroidal vascular features in patients with retinitis pigmentosa imaged by OCT based microangiography. Graefe’s Arch. Clin. Exp. Ophthalmol. 2017, 255, 1287–1295. [Google Scholar] [CrossRef]
- Sasaki, A.; Inagaki-Ohara, K.; Yoshida, T.; Yamanaka, A.; Sasaki, M.; Yasukawa, H.; Koromilas, A.E.; Yoshimura, A. The N-terminal Truncated Isoform of SOCS3 Translated from an Alternative Initiation AUG Codon under Stress Conditions Is Stable Due to the Lack of a Major Ubiquitination Site, Lys-6. J. Biol. Chem. 2003, 278, 2432–2436. [Google Scholar] [CrossRef] [PubMed] [Green Version]
- Lewis, G.P.; Fisher, S.K. Up-Regulation of Glial Fibrillary Acidic Protein in Response to Retinal Injury: Its Potential Role in Glial Remodeling and a Comparison to Vimentin Expression. Int. Rev. Cytol. 2003, 230, 263–290. [Google Scholar] [CrossRef]
- Li, L.; Eter, N.; Heiduschka, P. The microglia in healthy and diseased retina. Exp. Eye Res. 2015, 136, 116–130. [Google Scholar] [CrossRef] [PubMed]
- Fontainhas, A.M.; Wang, M.; Liang, K.J.; Chen, S.; Mettu, P.; Damani, M.; Fariss, R.; Li, W.; Wong, W.T. Microglial Morphology and Dynamic Behavior Is Regulated by Ionotropic Glutamatergic and GABAergic Neurotransmission. PLoS ONE 2011, 6, e15973. [Google Scholar] [CrossRef] [PubMed]
- Zhao, L.; Zabel, M.; Wang, X.; Ma, W.; Shah, P.; Fariss, R.; Qian, H.; Parkhurst, C.N.; Gan, W.; Wong, W.T. Microglial phagocytosis of living photoreceptors contributes to inherited retinal degeneration. EMBO Mol. Med. 2015, 7, 1179–1197. [Google Scholar] [CrossRef] [PubMed]
- Brown, G.C.; Neher, J.J. Eaten alive! Cell death by primary phagocytosis: ‘Phagoptosis’. Trends Biochem. Sci. 2012, 37, 325–332. [Google Scholar] [CrossRef]
- Wang, K.; Peng, B.; Xiao, J.; Weinreb, O.; Youdim, M.B.H.; Lin, B. Iron-Chelating Drugs Enhance Cone Photoreceptor Survival in a Mouse Model of Retinitis Pigmentosa. Investig. Opthalmology Vis. Sci. 2017, 58, 5287–5297. [Google Scholar] [CrossRef]
- Wang, K.; Xiao, J.; Peng, B.; Xing, F.; So, K.-F.; Tipoe, G.L.; Lin, B. Retinal structure and function preservation by polysaccharides of wolfberry in a mouse model of retinal degeneration. Sci. Rep. 2015, 4, 7601. [Google Scholar] [CrossRef] [Green Version]
- Mansoor, N.; Wahid, F.; Azam, M.; Shah, K.; Hollander, A.I.D.; Qamar, R.; Ayub, H. Molecular Mechanisms of Complement System Proteins and Matrix Metalloproteinases in the Pathogenesis of Age-Related Macular Degeneration. Curr. Mol. Med. 2019, 19, 705–718. [Google Scholar] [CrossRef]
- Landowski, M.; Kelly, U.; Klingeborn, M.; Groelle, M.; Ding, J.-D.; Grigsby, D.; Rickman, C.B. Human complement factor H Y402H polymorphism causes an age-related macular degeneration phenotype and lipoprotein dysregulation in mice. Proc. Natl. Acad. Sci. USA 2019, 116, 3703–3711. [Google Scholar] [CrossRef] [Green Version]
- Mullins, R.; Aptsiauri, N.; Hageman, G.S. Structure and composition of drusen associated with glomerulonephritis: Implications for the role of complement activation in drusen biogenesis. Eye 2001, 15, 390–395. [Google Scholar] [CrossRef] [PubMed]
- Mullins, R.F.; Russell, S.R.; Anderson, D.H.; Hageman, G.S. Drusen associated with aging and age-related macular degeneration contain proteins common to extracellular deposits associated with atherosclerosis, elastosis, amyloidosis, and dense deposit disease. FASEB J. 2000, 14, 835–846. [Google Scholar] [CrossRef] [PubMed]
- Reinehr, S.; Kuehn, S.; Casola, C.; Koch, D.; Stute, G.; Grotegut, P.; Dick, H.B.; Joachim, S.C. HSP27 immunization reinforces AII amacrine cell and synapse damage induced by S100 in an autoimmune glaucoma model. Cell Tissue Res. 2018, 371, 237–249. [Google Scholar] [CrossRef] [PubMed]
- Wax, M.B.; Tezel, G.; Yang, J.; Peng, G.; Patil, R.V.; Agarwal, N.; Sappington, R.; Calkins, D.J. Induced Autoimmunity to Heat Shock Proteins Elicits Glaucomatous Loss of Retinal Ganglion Cell Neurons via Activated T-Cell-Derived Fas-Ligand. J. Neurosci. 2008, 28, 12085–12096. [Google Scholar] [CrossRef] [PubMed] [Green Version]
- Joachim, S.C.; Wax, M.B.; Seidel, P.; Pfeiffer, N.; Grus, F.H. Enhanced Characterization of Serum Autoantibody Reactivity Following HSP 60 Immunization in a Rat Model of Experimental Autoimmune Glaucoma. Curr. Eye Res. 2010, 35, 900–908. [Google Scholar] [CrossRef] [PubMed]
- Silverman, S.M.; Wong, W.T. Microglia in the Retina: Roles in Development, Maturity, and Disease. Annu. Rev. Vis. Sci. 2018, 4, 45–77. [Google Scholar] [CrossRef] [PubMed]
- Ucgun, N.I.; Zeki-Fikret, C.; Yildirim, Z. Inflammation and diabetic retinopathy. Mol Vis. 2020, 26, 718–721. [Google Scholar]
- Adki, K.M.; Kulkarni, Y.A. Potential Biomarkers in Diabetic Retinopathy. Curr. Diabetes Rev. 2020, 16, 971–983. [Google Scholar] [CrossRef]
- Altmann, C.; Schmidt, M.H.H. The Role of Microglia in Diabetic Retinopathy: Inflammation, Microvasculature Defects and Neurodegeneration. Int. J. Mol. Sci. 2018, 19, 110. [Google Scholar] [CrossRef] [PubMed] [Green Version]
- Kinuthia, U.M.; Wolf, A.; Langmann, T. Microglia and Inflammatory Responses in Diabetic Retinopathy. Front. Immunol. 2020, 11, 564077. [Google Scholar] [CrossRef]
- Ku, C.A.; Pennesi, M.E. The new landscape of retinal gene therapy. Am. J. Med. Genet. Part C Semin. Med. Genet. 2020, 184, 846–859. [Google Scholar] [CrossRef] [PubMed]
- Gorbatyuk, M.S.; Knox, T.; LaVail, M.M.; Gorbatyuk, O.S.; Noorwez, S.M.; Hauswirth, W.; Lin, J.H.; Muzyczka, N.; Lewin, A. Restoration of visual function in P23H rhodopsin transgenic rats by gene delivery of BiP/Grp78. Proc. Natl. Acad. Sci. USA 2010, 107, 5961–5966. [Google Scholar] [CrossRef] [PubMed] [Green Version]
- Orlans, H.O.; Barnard, A.R.; Patricio, M.M.; McClements, M.E.; MacLaren, R.E. Effect of AAV-Mediated Rhodopsin Gene Augmentation on Retinal Degeneration Caused by the Dominant P23H Rhodopsin Mutation in a Knock-In Murine Model. Hum. Gene Ther. 2020, 31, 730–742. [Google Scholar] [CrossRef] [PubMed]
- Gorbatyuk, M.; Gorbatyuk, O.S.; Lavail, M.M.; Lin, J.H.; Hauswirth, W.; Lewin, A. Functional Rescue of P23H Rhodopsin Photoreceptors by Gene Delivery. Adv. Exp. Med. Biol. 2012, 723, 191–197. [Google Scholar] [CrossRef] [Green Version]
- Chintalapudi, S.R.; Di Wang, X.; Wang, X.; Shi, Y.; Kocak, M.; Palamoor, M.; Davis, R.N.; Hollingsworth, T.J.; Jablonski, M.M. NA 3 glycan: A potential therapy for retinal pigment epithelial deficiency. FEBS J. 2019, 286, 4876–4888. [Google Scholar] [CrossRef] [PubMed]
- Ibrahim, M.M.; Maria, D.N.; Wang, X.; Simpson, R.N.; Hollingsworth, T.; Jablonski, M.M. Enhanced Corneal Penetration of a Poorly Permeable Drug Using Bioadhesive Multiple Microemulsion Technology. Pharmaceutics 2020, 12, 704. [Google Scholar] [CrossRef]
- Chintalapudi, S.R.; Maria, D.; Di Wang, X.; Bailey, J.N.C.; Allingham, R.; Aung, T.; Hysi, P.G.; Wiggs, J.L.; Williams, R.W.; Jablonski, M.M. Systems genetics identifies a role for Cacna2d1 regulation in elevated intraocular pressure and glaucoma susceptibility. Nat. Commun. 2017, 8, 1755. [Google Scholar] [CrossRef] [PubMed] [Green Version]
- Ibrahim, M.M.; Maria, D.N.; Mishra, S.R.; Guragain, D.; Wang, X.; Jablonski, M.M. Once Daily Pregabalin Eye Drops for Management of Glaucoma. ACS Nano 2019, 13, 13728–13744. [Google Scholar] [CrossRef] [PubMed]









| Antibody Target | Host Species and IgG Isoform | Dilution Factor | Antibody Source |
|---|---|---|---|
| GFAP | Rabbit IgG | 1:200 | ProteinTech |
| GS | Mouse IgG2a | 1:500 | EMD Millipore |
| IBA1 | Rabbit IgG | 1:250 | Cell Signaling Tech. |
| NF-κB | Rabbit IgG | 1:400 | Cell Signaling Tech. |
| NLRP3 | Rat IgG2a | 1:250 | ThermoFisher |
| pSTAT3 | Mouse IgG1 | 1:100 | Cell Signaling Tech. |
| PKCα | Mouse IgG2a | 1:250 | ThermoFisher |
| RHO (B6-30N) | Mouse IgG1 | 1:500 | C/O: W. Clay Smith |
| SOCS3 | Rabbit IgG | 1:100 | abcam |
| STAT3 | Mouse IgG2a | 1:100 | Cell Signaling Tech. |
| TNFα | Mouse IgG2b | 1:250 | ProteinTech |
Publisher’s Note: MDPI stays neutral with regard to jurisdictional claims in published maps and institutional affiliations. |
© 2021 by the authors. Licensee MDPI, Basel, Switzerland. This article is an open access article distributed under the terms and conditions of the Creative Commons Attribution (CC BY) license (https://creativecommons.org/licenses/by/4.0/).
Share and Cite
Hollingsworth, T.J.; Hubbard, M.G.; Levi, H.J.; White, W.; Wang, X.; Simpson, R.; Jablonski, M.M.; Gross, A.K. Proinflammatory Pathways Are Activated in the Human Q344X Rhodopsin Knock-In Mouse Model of Retinitis Pigmentosa. Biomolecules 2021, 11, 1163. https://doi.org/10.3390/biom11081163
Hollingsworth TJ, Hubbard MG, Levi HJ, White W, Wang X, Simpson R, Jablonski MM, Gross AK. Proinflammatory Pathways Are Activated in the Human Q344X Rhodopsin Knock-In Mouse Model of Retinitis Pigmentosa. Biomolecules. 2021; 11(8):1163. https://doi.org/10.3390/biom11081163
Chicago/Turabian StyleHollingsworth, T.J., Meredith G. Hubbard, Hailey J. Levi, William White, Xiangdi Wang, Raven Simpson, Monica M. Jablonski, and Alecia K. Gross. 2021. "Proinflammatory Pathways Are Activated in the Human Q344X Rhodopsin Knock-In Mouse Model of Retinitis Pigmentosa" Biomolecules 11, no. 8: 1163. https://doi.org/10.3390/biom11081163
APA StyleHollingsworth, T. J., Hubbard, M. G., Levi, H. J., White, W., Wang, X., Simpson, R., Jablonski, M. M., & Gross, A. K. (2021). Proinflammatory Pathways Are Activated in the Human Q344X Rhodopsin Knock-In Mouse Model of Retinitis Pigmentosa. Biomolecules, 11(8), 1163. https://doi.org/10.3390/biom11081163

