Facile Direct Seed-Mediated Growth of AuPt Bimetallic Shell on the Surface of Pd Nanocubes and Application for Direct H2O2 Synthesis
Abstract
1. Introduction
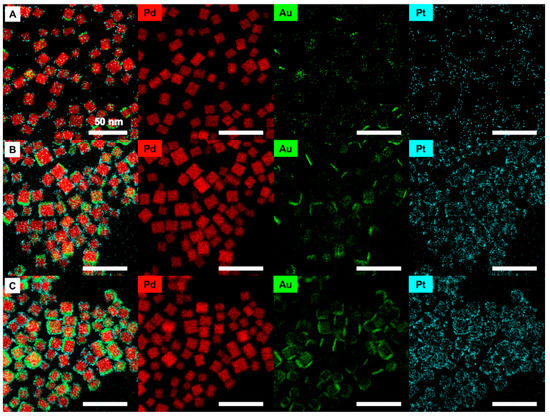
2. Results and Discussion
3. Experimental Section
3.1. Chemicals and Materials
3.2. Synthesis of AuPt@Pd Core–Shell Nanoparticles
3.3. Preparation of SiO2 Supported Nanoparticle
3.4. Characterization
3.5. Prescreening for Direct Synthesis of H2O2
3.6. Catalytic Performance for Direct Synthesis of H2O2
4. Conclusions
Supplementary Materials
Author Contributions
Funding
Acknowledgments
Conflicts of Interest
References
- Alayoglu, S.; Nilekar, A.U.; Mavrikakis, M.; Eichhorn, B. Ru-Pt core-shell nanoparticles for preferential oxidation of carbon monoxide in hydrogen. Nat. Mater. 2008, 7, 333–338. [Google Scholar] [CrossRef] [PubMed]
- Strasser, P.; Koh, S.; Anniyev, T.; Greeley, J.; More, K.L.; Yu, C.; Liu, Z.; Kaya, S.; Nordlund, D.; Ogasawara, H.; et al. Lattice-strain control of the activity in dealloyed core-shell fuel cell catalysts. Nat. Chem. 2010, 2, 454–460. [Google Scholar] [CrossRef] [PubMed]
- Kang, S.W.; Lee, Y.W.; Park, Y.; Choi, B.-S.; Hong, J.W.; Park, K.-H.; Han, S.W. One-Pot Synthesis of Trimetallic Au@PdPt Core–Shell Nanoparticles with High Catalytic Performance. ACS Nano 2013, 7, 7945–7955. [Google Scholar] [CrossRef] [PubMed]
- Sasaki, K.; Naohara, H.; Cai, Y.; Choi, Y.; Liu, P.; Vukmirovic, M.B.; Wang, J.X.; Adzic, R. Core-Protected Platinum Monolayer Shell High-Stability Electrocatalysts for Fuel-Cell Cathodes. Angew. Chem. Int. Ed. 2010, 49, 8602–8607. [Google Scholar] [CrossRef] [PubMed]
- Zhao, X.; Chen, S.; Fang, Z.; Ding, J.; Sang, W.; Wang, Y.; Zhao, J.; Peng, Z.; Zeng, J. Octahedral Pd@Pt1.8Ni Core–Shell Nanocrystals with Ultrathin PtNi Alloy Shells as Active Catalysts for Oxygen Reduction Reaction. J. Am. Chem. Soc. 2015, 137, 2804–2807. [Google Scholar] [CrossRef]
- Bu, L.; Zhang, N.; Guo, S.; Zhang, X.; Li, J.; Yao, J.; Wu, T.; Lu, G.; Ma, J.; Su, D.; et al. Biaxially strained PtPb/Pt core/shell nanoplate boosts oxygen reduction catalysis. Science 2016, 354, 1410–1414. [Google Scholar] [CrossRef] [PubMed]
- Kim, I.; Seo, M.-G.; Choi, C.; Kim, J.S.; Jung, E.; Han, G.-H.; Lee, J.-C.; Han, S.S.; Ahn, J.-P.; Jung, Y.; et al. Studies on Catalytic Activity of Hydrogen Peroxide Generation according to Au Shell Thickness of Pd/Au Nanocubes. ACS Appl. Mater. Interfaces 2018, 10, 38109–38116. [Google Scholar] [CrossRef]
- Samanta, C. Direct synthesis of hydrogen peroxide from hydrogen and oxygen: An overview of recent developments in the process. Appl. Catal. A Gen. 2008, 350, 133–149. [Google Scholar] [CrossRef]
- Menegazzo, F.; Signoretto, M.; Ghedini, E.; Strukul, G. Looking for the “Dream Catalyst” for Hydrogen Peroxide Production from Hydrogen and Oxygen. Catalysts 2019, 9, 251. [Google Scholar] [CrossRef]
- Lewis, R.J.; Hutchings, G.J. Recent Advances in the Direct Synthesis of H2O2. ChemCatChem 2018, 11, 298–308. [Google Scholar] [CrossRef]
- Seo, M.-G.; Kim, H.J.; Han, S.S.; Lee, K.-Y. Direct Synthesis of Hydrogen Peroxide from Hydrogen and Oxygen Using Tailored Pd Nanocatalysts: A Review of Recent Findings. Catal. Surv. Asia 2016, 21, 1–12. [Google Scholar] [CrossRef]
- Freakley, S.J.; Piccinini, M.; Edwards, J.K.; Ntainjua, E.N.; Moulijn, J.A.; Hutchings, G.J. Effect of Reaction Conditions on the Direct Synthesis of Hydrogen Peroxide with a AuPd/TiO2 Catalyst in a Flow Reactor. ACS Catal. 2013, 3, 487–501. [Google Scholar] [CrossRef]
- Edwards, J.K.; Solsona, B.; Ntainjua, E.; Carley, A.F.; Herzing, A.A.; Kiely, C.J.; Hutchings, G.J. Switching Off Hydrogen Peroxide Hydrogenation in the Direct Synthesis Process. Science 2009, 323, 1037–1041. [Google Scholar] [CrossRef] [PubMed]
- Staykov, A.T.; Kamachi, T.; Ishihara, T.; Yoshizawa, K. Theoretical Study of the Direct Synthesis of H2O2 on Pd and Pd/Au Surfaces. J. Phys. Chem. C 2008, 112, 19501–19505. [Google Scholar] [CrossRef]
- Ouyang, L.; Da, G.-J.; Tian, P.; Chen, T.-Y.; Liang, G.-D.; Xu, J.; Han, Y.-F. Insight into active sites of Pd–Au/TiO2 catalysts in hydrogen peroxide synthesis directly from H2 and O2. J. Catal. 2014, 311, 129–136. [Google Scholar] [CrossRef]
- Edwards, J.K.; Carley, A.F.; Herzing, A.A.; Kiely, C.J.; Hutchings, G.J. Direct synthesis of hydrogen peroxide from H2 and O2 using supported Au-Pd catalysts. Faraday Discuss. 2008, 138, 225–239. [Google Scholar] [CrossRef] [PubMed]
- Edwards, J.K.; Solsona, B.; Landon, P.; Carley, A.F.; Herzing, A.; Kiely, C.J.; Hutchings, G.J. Direct synthesis of hydrogen peroxide from H2 and O2 using TiO2-supported Au-Pd catalysts. J. Catal. 2005, 236, 69–79. [Google Scholar] [CrossRef]
- Kim, J.-S.; Kim, H.-K.; Kim, S.-H.; Kim, I.; Yu, T.; Han, G.-H.; Lee, K.-Y.; Lee, J.-C.; Ahn, J.-P. Catalytically Active Au Layers Grown on Pd Nanoparticles for Direct Synthesis of H2O2: Lattice Strain and Charge-Transfer Perspective Analyses. ACS Nano 2019, 13, 4761–4770. [Google Scholar] [CrossRef]
- Quon, S.; Jo, D.Y.; Han, G.-H.; Han, S.S.; Seo, M.-G.; Lee, K.-Y. Role of Pt atoms on Pd (1 1 1) surface in the direct synthesis of hydrogen peroxide: Nano-catalytic experiments and DFT calculations. J. Catal. 2018, 368, 237–247. [Google Scholar] [CrossRef]
- Liu, Q.; Bauer, J.C.; Schaak, R.E.; Lunsford, J.H. Direct synthesis of H2O2 from H2 and O2 over Pd-Pt/SiO2 bimetallic catalysts in a H2SO4/ethanol system. Appl. Catal. A Gen. 2008, 339, 130–136. [Google Scholar] [CrossRef]
- Edwards, J.K.; Pritchard, J.; Lu, L.; Piccinini, M.; Shaw, G.; Carley, A.F.; Morgan, D.J.; Kiely, C.J.; Hutchings, G.J. The Direct Synthesis of Hydrogen Peroxide Using Platinum-Promoted Gold-Palladium Catalysts. Angew. Chem. Int. Ed. 2014, 53, 2381–2384. [Google Scholar] [CrossRef] [PubMed]
- Abate, S.; Melada, S.; Centi, G.; Perathoner, S.; Pinna, F.; Strukul, G. Performances of Pd-Me (Me=Ag, Pt) catalysts in the direct synthesis of H2O2 on catalytic membranes. Catal. Today 2006, 117, 193–198. [Google Scholar] [CrossRef]
- Bernardotto, G.; Menegazzo, F.; Pinna, F.; Signoretto, M.; Cruciani, G.; Strukul, G. New Pd-Pt and Pd-Au catalysts for an efficient synthesis of H2O2 from H2 and O2 under very mild conditions. Appl. Catal. A Gen. 2009, 358, 129–135. [Google Scholar] [CrossRef]
- Xiao, X.; Kang, T.-U.; Nam, H.; Bhang, S.H.; Lee, S.Y.; Ahn, J.-P.; Yu, T. One-pot synthesis of PdAu bimetallic composite nanoparticles and their catalytic activities for hydrogen peroxide generation. Korean J. Chem. Eng. 2018, 35, 2379–2383. [Google Scholar] [CrossRef]
- Han, G.-H.; Xiao, X.; Hong, J.; Lee, K.-J.; Park, S.; Ahn, J.-P.; Lee, K.-Y.; Yu, T. Tailored Palladium–Platinum Nanoconcave Cubes as High Performance Catalysts for the Direct Synthesis of Hydrogen Peroxide. ACS Appl. Mater. Interfaces 2020, 12, 6328–6335. [Google Scholar] [CrossRef] [PubMed]
- Crole, D.A.; Underhill, R.; Edwards, J.K.; Shaw, G.; Freakley, S.J.; Hutchings, G.J.; Lewis, R.J. The Direct Synthesis of Hydrogen Peroxide from H2 and O2 Using Pd-Ni/TiO2 Catalysts. Philos. Trans. A Math. Phys. Eng. Sic. 2020, 1–15. [Google Scholar]
- Wang, S.; Doronkin, D.E.; Hähsler, M.; Huang, X.; Wang, D.; Grunwaldt, J.-D.; Behrens, S. Palladium-Based Bimetallic Nanocrystal Catalysts for the Direct Synthesis of Hydrogen Peroxide. ChemSusChem 2020, 13, 1–10. [Google Scholar] [CrossRef] [PubMed]
- Wang, S.; Lewis, R.J.; Doronkin, D.E.; Morgan, D.J.; Grunwaldt, J.-D.; Hutchings, G.J.; Behrens, S. The direct synthesis of hydrogen peroxide from H2 and O2 using Pd-Ga and Pd-In catalysts. Catal. Sci. Technol. 2020, 10, 1925–1932. [Google Scholar] [CrossRef]
- Kim, D.; Nam, H.; Cho, Y.-H.; Yeo, B.C.; Cho, S.H.; Ahn, J.-P.; Lee, K.-Y.; Lee, S.Y.; Han, S.S. Unlocking the Potential of Nanoparticles Composed of Immiscible Elements for Direct H2O2 Synthesis. ACS Catal. 2019, 9, 8702–8711. [Google Scholar] [CrossRef]
- Jang, Y.; Nam, H.; Song, J.; Lee, S.; Ahn, J.-P.; Yu, T. Synthesis RhAg bimetallic composite nanoparticles for improved catalysts on direct synthesis of hydrogen peroxide generation. Korean J. Chem. Eng. 2019, 36, 1417–1420. [Google Scholar] [CrossRef]
- Lee, S.; Chung, Y.-M. Direct synthesis of H2O2 over acid-treated Pd/C catalyst derived from a Pd-Co core-shell structure. Catal. Today 2020, 352, 270–278. [Google Scholar] [CrossRef]
- Tian, P.; Xu, X.; Ao, C.; Ding, D.; Li, W.; Si, R.; Tu, W.; Xu, J.; Han, Y.-F. Direct and Selective Synthesis of Hydrogen Peroxide over Palladium-Tellurium Catalysts at Ambient Pressure. ChemSusChem 2017, 10, 3342–3346. [Google Scholar] [CrossRef] [PubMed]
- Menegazzo, F.; Signoretto, M.; Manzoli, M.; Boccuzzi, F.; Cruciani, G.; Pinna, F.; Strukul, G. Influence of the preparation method on the morphological and composition properties of Pd-Au/ZrO2 catalysts and their effect on the direct synthesis of hydrogen peroxide from hydrogen and oxygen. J. Catal. 2009, 268, 122–130. [Google Scholar] [CrossRef]
- Wilson, N.M.; Priyadarshini, P.; Kunz, S.; Flaherty, D.W. Direct synthesis of H2O2 on Pd and AuxPd1 clusters: Understanding the effects of alloying Pd with Au. J. Catal. 2018, 357, 163–175. [Google Scholar] [CrossRef]
- Freakley, S.J.; He, Q.; Harrhy, J.H.; Lu, L.; Crole, D.A.; Morgan, D.J.; Ntainjua, E.N.; Edwards, J.K.; Carley, A.F.; Borisevich, A.Y.; et al. Palladium-tin catalysts for the direct synthesis of H2O2 with high selectivity. Science 2016, 351, 965–968. [Google Scholar] [CrossRef] [PubMed]
- Kosaka, K.; Yamada, H.; Matsui, S.; Echigo, S.; Shishida, K. Comparison among the Methods for Hydrogen Peroxide Measurements To Evaluate Advanced Oxidation Processes: Application of a Spectrophotometric Method Using Copper(II) Ion and 2,9-Dimethyl-1,10-phenanthroline. Environ. Sci. Technol. 1998, 32, 3821–3824. [Google Scholar] [CrossRef]







| Catalysts | Reactor Type | H2O2 Productivity (mmolH2O2gmetal−1h−1) | H2O2 Selectivity (%) | Reference |
|---|---|---|---|---|
| AuPt@Pd/SiO2 | Ambient pressure semi-batch | 914 | 70 | This study |
| Pd-Ni/TiO2 | High pressure batch | - | 85 | [26] |
| Pd@Pt core@shell | Ambient pressure semi-batch | 2858 | 75 | [25] |
| PdGa/s-TiO2 PdSn/s-TiO2 | High pressure semi-batch | 7480 9240 | 67 77 | [27] |
| Pd2Ga/TiO2 | High pressure batch | 3469 | 30 | [28] |
| Rh13Ag87 | Ambient pressure semi-batch | 67 | 62 | [29,30] |
| (Co6)Pd/C | High pressure semi-batch | 5721 | 88.1 | [31] |
| Pd-Te/TiO2 | Ambient pressure semi-batch | 977 | 100 | [32] |
| Au-Pd alloy | Ambient pressure semi-batch | 1429 | 52 | [33] |
| Au-Pd alloy | Plugged-flow reactor | - | 40 | [34] |
| Pd-Sn/SiO2 Pd-Sn/TiO2 | High pressure batch | 1220 1000 | 95 96 | [35] |
© 2020 by the authors. Licensee MDPI, Basel, Switzerland. This article is an open access article distributed under the terms and conditions of the Creative Commons Attribution (CC BY) license (http://creativecommons.org/licenses/by/4.0/).
Share and Cite
Han, G.-H.; Kim, K.Y.; Nam, H.; Kim, H.; Yoon, J.; Lee, J.-H.; Kim, H.-K.; Ahn, J.-P.; Lee, S.Y.; Lee, K.-Y.; et al. Facile Direct Seed-Mediated Growth of AuPt Bimetallic Shell on the Surface of Pd Nanocubes and Application for Direct H2O2 Synthesis. Catalysts 2020, 10, 650. https://doi.org/10.3390/catal10060650
Han G-H, Kim KY, Nam H, Kim H, Yoon J, Lee J-H, Kim H-K, Ahn J-P, Lee SY, Lee K-Y, et al. Facile Direct Seed-Mediated Growth of AuPt Bimetallic Shell on the Surface of Pd Nanocubes and Application for Direct H2O2 Synthesis. Catalysts. 2020; 10(6):650. https://doi.org/10.3390/catal10060650
Chicago/Turabian StyleHan, Geun-Ho, Ki Yoon Kim, Hyunji Nam, Hyeonjin Kim, Jihwan Yoon, Jung-Hyun Lee, Hong-Kyu Kim, Jae-Pyoung Ahn, Seung Yong Lee, Kwan-Young Lee, and et al. 2020. "Facile Direct Seed-Mediated Growth of AuPt Bimetallic Shell on the Surface of Pd Nanocubes and Application for Direct H2O2 Synthesis" Catalysts 10, no. 6: 650. https://doi.org/10.3390/catal10060650
APA StyleHan, G.-H., Kim, K. Y., Nam, H., Kim, H., Yoon, J., Lee, J.-H., Kim, H.-K., Ahn, J.-P., Lee, S. Y., Lee, K.-Y., & Yu, T. (2020). Facile Direct Seed-Mediated Growth of AuPt Bimetallic Shell on the Surface of Pd Nanocubes and Application for Direct H2O2 Synthesis. Catalysts, 10(6), 650. https://doi.org/10.3390/catal10060650

