Spectral–Spatial Superpixel Bi-Stochastic Graph Learning for Large-Scale and High-Dimensional Hyperspectral Image Clustering
Highlights
- We identify the dual challenges of linear complexity and the “curse of dimensionality” inherent in prevailing anchor-based methods, and accordingly propose a novel paradigm centered on superpixel encoding and data projection to resolve them.
- We introduce a framework that learns a small-scale, sparse bi-stochastic graph from the data, supported by an optimization strategy that guarantees convergence to the optimal solution.
- Extensive experiments demonstrate that our method achieves state-of-the-art clustering performance, showing significant superiority over existing competitors.
- The proposed solution exhibits remarkable scalability and efficiency, establishing a new benchmark for clustering large-scale and high-dimensional hyperspectral images.
Abstract
1. Introduction
- We propose BGL, a novel approach that learns a bi-stochastic graph from data matrix, enabling fully data-driven graph learning. Our method is a unified framework that includes graph learning, superpixel encoding and data projecting, effectively reducing storage and computational complexity to and , independent for both the large-scale pixels n and high-dimensional spectral bands d.
- We provide some in-depth theoretical insights that enable a comprehensive analysis of the connections between the proposed BGL and previous approaches.
- We introduce a symmetric neighbor search mechanism to ensure the sparsity of the graph, which further accelerates the model.
- We present a novel optimization strategy to address bi-stochastic constraints. Specifically, by deriving some key equivalent transformations, our method enables the simultaneous optimization of all bi-stochastic constraints, ensuring globally optimal solutions. The proposed approach exhibits strong extensibility, making it applicable to a broad range of objectives, thereby significantly advancing progress in related research fields.
- We show that our proposed method consistently learns high-quality graphs, achieving state-of-the-art clustering performance. Additionally, compared to previous works, it can be more effectively scaled to large-scale and high-dimensional HSIs.
2. Related Work
2.1. Bi-Stochastic Graph Learning
2.2. Recent Large-Scale HSI Clustering Models
3. Materials and Methods
3.1. Superpixel Encoding and Anchor Generation
- Discriminative Anchors: Since a superpixel encodes a local homogeneous region, the majority of pixels within it typically belong to the same land-cover category. This phenomenon becomes more pronounced as the number of superpixels (i.e., anchors) increases. Consequently, the learned anchors, derived from the spectral features of pixels within the same category, exhibit significantly enhanced discriminative power.
- Flexibility: The partitioning of superpixels is entirely based on the local similarity relationships among pixels. This allows for a variable number of pixels within each superpixel, resulting in an accurate and highly flexible image partition that adapts to the intrinsic image structure.
- Uniform Spatial Distribution: Anchors are generated by applying average weighting to all pixels within a superpixel, leading to their relatively uniform spatial distribution across the whole HSI. This ensures comprehensive coverage of information from different land-cover categories while the anchors are produced from local pixel contexts.
3.2. Bi-Stochastic Graph Learning
3.3. Data Projection
3.4. Symmetry Neighbor Search
3.5. Connections to Previous Works
3.5.1. BGL vs. Ratio Cut [42]
3.5.2. BGL vs. K-Means [43]
3.5.3. BGL vs. LPP [44]
4. Optimization and Analysis
4.1. Optimization Scheme
4.2. Update with Others Fixed
4.3. Update with Others Fixed
| Algorithm 1 Algorithm to Solve Problem (11) |
|
4.4. Computational Complexity Analysis
4.5. Convergence Analysis of Problem (23)
5. Experimental Results
5.1. Data Description
5.2. Comparative Methods and Experimental Setting
5.3. Metric
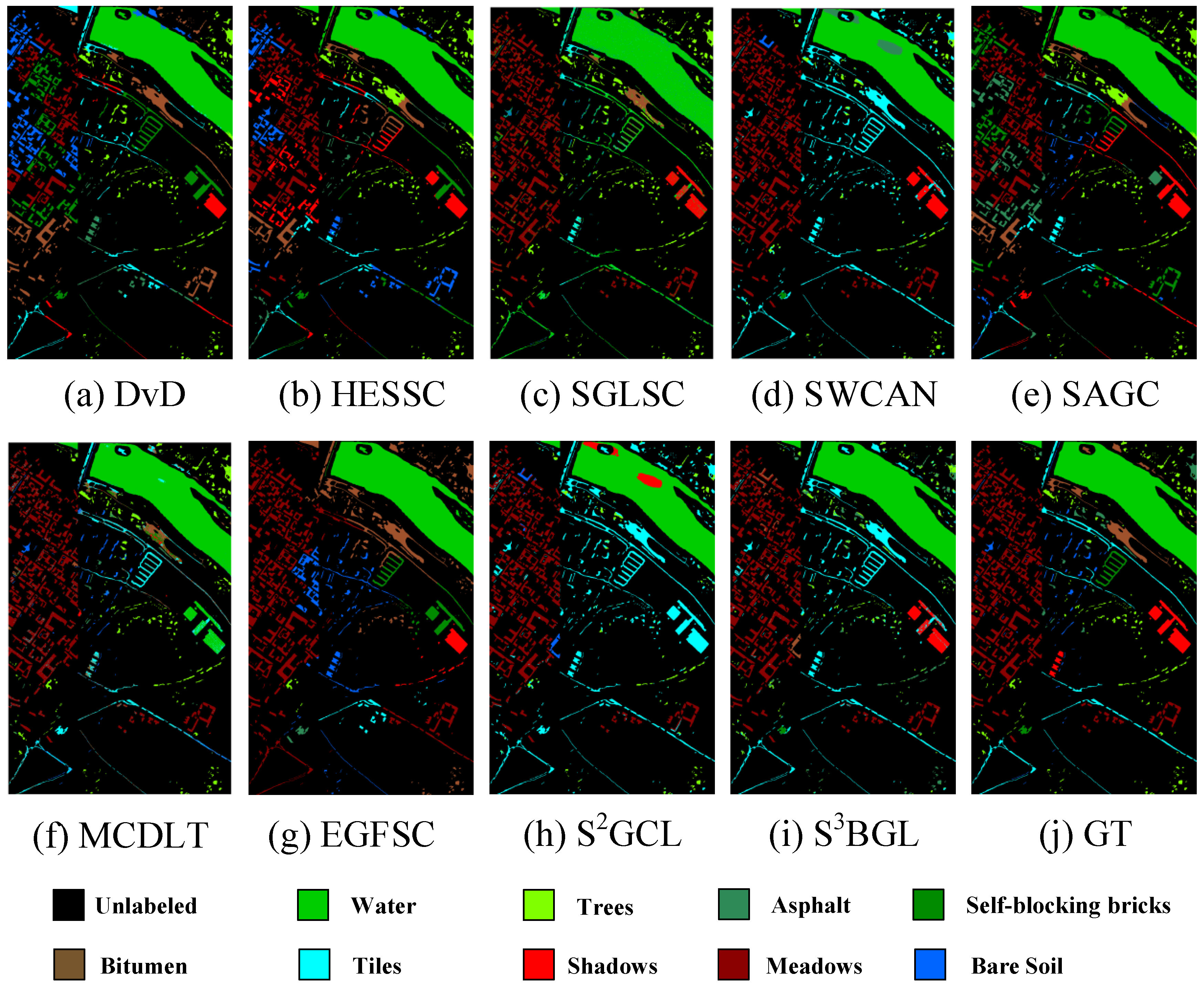
5.4. Experiments on Benchmarks
6. Discussion
6.1. Motivation Verification
6.2. Parameter Study
6.3. Convergence Study
7. Conclusions
Author Contributions
Funding
Data Availability Statement
Conflicts of Interest
Appendix A. Transformation from Equation (9) to Equation (10)
| Algorithm A1 ALM to Solve Problem (A1) |
|
References
- Wang, N.; Yang, A.; Cui, Z.; Ding, Y. Capsule attention network for hyperspectral image classification. Remote Sens. 2024, 16, 4001. [Google Scholar] [CrossRef]
- Pour, A.B.; Zoheir, B.; Pradhan, B.; Hashim, M. Editorial for the special issue: Multispectral and hyperspectral remote sensing data for mineral exploration and environmental monitoring of mined areas. Remote Sens. 2021, 13, 519. [Google Scholar] [CrossRef]
- Avola, G.; Matese, A.; Riggi, E. An overview of the special issue on “precision agriculture using hyperspectral images”. Remote Sens. 2023, 15, 1917. [Google Scholar] [CrossRef]
- Xue, Y.; Jin, G.; Shen, T.; Tan, L.; Wang, N.; Gao, J.; Yu, Y.; Tian, S. Target-Distractor Aware UAV Tracking via Global Agent. IEEE Trans. Intell. Transp. Syst. 2025, 26, 16116–16127. [Google Scholar] [CrossRef]
- Chen, C.; Cao, J.; Wang, T.; Su, Y.; Wang, N.; Zhang, C.; Zhu, L.; Zhang, L. GLFFEN: A Global–Local Feature Fusion Enhancement Network for Hyperspectral Image Classification. Remote Sens. 2025, 17, 3705. [Google Scholar] [CrossRef]
- Wang, N.; Cui, Z.; Li, A.; Lu, Y.; Wang, R.; Nie, F. Structured Doubly Stochastic Graph-Based Clustering. IEEE Trans. Neural Netw. Learn. Syst. 2025, 36, 11064–11077. [Google Scholar] [CrossRef]
- Nie, F.; Zhao, X.; Wang, R.; Li, X. Fast Locality Discriminant Analysis with Adaptive Manifold Embedding. IEEE Trans. Pattern Anal. Mach. Intell. 2022, 44, 9315–9330. [Google Scholar] [CrossRef] [PubMed]
- Yuan, Z.; Huang, W.; Tang, C.; Yang, A.; Luo, X. Graph-based embedding smoothing network for few-shot scene classification of remote sensing images. Remote Sens. 2022, 14, 1161. [Google Scholar] [CrossRef]
- Jiang, G.; Zhang, Y.; Wang, X.; Jiang, X.; Zhang, L. Structured Anchor Learning for Large-Scale Hyperspectral Image Projected Clustering. IEEE Trans. Circuits Syst. Video Technol. 2024, 35, 2328–2340. [Google Scholar] [CrossRef]
- Ranjan, S.; Nayak, D.R.; Kumar, K.S.; Dash, R.; Majhi, B. Hyperspectral image classification: A k-means clustering based approach. In Proceedings of the 2017 4th International Conference on Advanced Computing and Communication Systems (ICACCS), Coimbatore, India, 6–7 January 2017; pp. 1–7. [Google Scholar] [CrossRef]
- Wang, N.; Cui, Z.; Zhang, C.; Lan, Y.; Xue, Y.; Su, Y.; Li, A. Discrete multi-view graph-based clustering via hierarchical initialization and supercluster similarity minimization. Neurocomputing 2025, 132099. [Google Scholar] [CrossRef]
- Zelnik-Manor, L.; Perona, P. Self-tuning spectral clustering. In Proceedings of the Advances in Neural Information Processing Systems 17, Vancouver, BC, Canada, 13–18 December 2004; pp. 1601–1608. [Google Scholar]
- Polk, S.L.; Cui, K.; Chan, A.H.; Coomes, D.A.; Plemmons, R.J.; Murphy, J.M. Unsupervised diffusion and volume maximization-based clustering of hyperspectral images. Remote Sens. 2023, 15, 1053. [Google Scholar] [CrossRef]
- Nie, F.; Wang, X.; Huang, H. Clustering and Projected Clustering with Adaptive Neighbors. In Proceedings of the 20th ACM SIGKDD International Conference on Knowledge Discovery and Data Mining, New York, NY, USA, 24–27 August 2014; pp. 977–986. [Google Scholar]
- Nie, F.; Wu, D.; Wang, R.; Li, X. Self-Weighted Clustering With Adaptive Neighbors. IEEE Trans. Neural Netw. Learning Syst. 2020, 31, 3428–3441. [Google Scholar] [CrossRef] [PubMed]
- Zass, R.; Shashua, A. Doubly Stochastic Normalization for Spectral Clustering. In Proceedings of the Advances in Neural Information Processing Systems 19, Vancouver, BC, Canada, 4–7 December 2007; pp. 1569–1576. [Google Scholar]
- Von Neumann, J. Functional Operators; Princeton University Press: Princeton, NJ, USA, 1950; Volume 2. [Google Scholar]
- Wang, X.; Nie, F.; Huang, H. Structured Doubly Stochastic Matrix for Graph Based Clustering. In Proceedings of the 22nd ACM SIGKDD International Conference on Knowledge Discovery and Data Mining, San Francisco, CA, USA, 13–17 August 2016; pp. 1245–1254. [Google Scholar]
- Wang, F.; Li, P.; Konig, A.C. Learning a Bi-Stochastic Data Similarity Matrix. In Proceedings of the IEEE International Conference on Data Mining, Sydney, Australia, 13–17 December 2010; pp. 551–560. [Google Scholar]
- Chen, M.; Gong, M.; Li, X. Robust Doubly Stochastic Graph Clustering. Neurocomputing 2022, 475, 15–25. [Google Scholar] [CrossRef]
- Lim, D.; Vidal, R.; Haeffele, B.D. Doubly Stochastic Subspace Clustering. arXiv 2021, arXiv:2011.14859. [Google Scholar] [CrossRef]
- Yang, Z.; Oja, E. Clustering by Low-Rank Doubly Stochastic Matrix Decomposition. In Proceedings of the 29th International Conference on Machine Learning, Edinburgh, UK, 26 June–1 July 2012; pp. 707–714. [Google Scholar]
- Park, J.; Kim, T. Learning Doubly Stochastic Affinity Matrix via Davis-Kahan Theorem. In Proceedings of the IEEE International Conference on Data Mining (ICDM), New Orleans, LA, USA, 18–21 November 2017; pp. 377–384. [Google Scholar]
- Wang, Q.; He, X.; Jiang, X.; Li, X. Robust Bi-stochastic Graph Regularized Matrix Factorization for Data Clustering. IEEE Trans. Pattern Anal. Mach. Intell. 2022, 44, 390–403. [Google Scholar] [CrossRef]
- Wang, R.; Nie, F.; Yu, W. Fast spectral clustering with anchor graph for large hyperspectral images. IEEE Geosci. Remote Sens. Lett. 2017, 14, 2003–2007. [Google Scholar] [CrossRef]
- Chen, X.; Zhang, Y.; Feng, X.; Jiang, X.; Cai, Z. Spectral-spatial superpixel anchor graph-based clustering for hyperspectral imagery. IEEE Geosci. Remote Sens. Lett. 2023, 20, 1–5. [Google Scholar] [CrossRef]
- Wang, R.; Nie, F.; Wang, Z.; He, F.; Li, X. Scalable graph-based clustering with nonnegative relaxation for large hyperspectral image. IEEE Trans. Geosci. Remote Sens. 2019, 57, 7352–7364. [Google Scholar] [CrossRef]
- Huang, N.; Xiao, L.; Xu, Y.; Chanussot, J. A bipartite graph partition-based coclustering approach with graph nonnegative matrix factorization for large hyperspectral images. IEEE Trans. Geosci. Remote Sens. 2021, 60, 5506918. [Google Scholar] [CrossRef]
- Wu, C.; Zhang, J. One-Step Joint Learning of Self-Supervised Spectral Clustering with Anchor Graph and Fuzzy Clustering for Land Cover Classification. IEEE J. Sel. Top. Appl. Earth Obs. Remote Sens. 2024, 17, 11178–11193. [Google Scholar] [CrossRef]
- Zhang, Y.; Jiang, G.; Cai, Z.; Zhou, Y. Bipartite graph-based projected clustering with local region guidance for hyperspectral imagery. IEEE Trans. Multimed. 2024, 26, 9551–9563. [Google Scholar] [CrossRef]
- Zhao, H.; Zhou, F.; Bruzzone, L.; Guan, R.; Yang, C. Superpixel-level global and local similarity graph-based clustering for large hyperspectral images. IEEE Trans. Geosci. Remote Sens. 2021, 60, 5519316. [Google Scholar] [CrossRef]
- Wang, N.; Cui, Z.; Li, A.; Xue, Y.; Wang, R.; Nie, F. Multi-order graph based clustering via dynamical low rank tensor approximation. Neurocomputing 2025, 647, 130571. [Google Scholar] [CrossRef]
- Huang, S.; Zeng, H.; Chen, H.; Zhang, H. Spatial and cluster structural prior-guided subspace clustering for hyperspectral image. IEEE Trans. Geosci. Remote Sens. 2024, 62, 5511115. [Google Scholar] [CrossRef]
- Zhang, Y.; Wang, X.; Jiang, X.; Zhang, L.; Du, B. Elastic Graph Fusion Subspace Clustering for Large Hyperspectral Image. IEEE Trans. Circuits Syst. Video Technol. 2025, 35, 6300–6312. [Google Scholar] [CrossRef]
- Cai, Y.; Zhang, Z.; Ghamisi, P.; Ding, Y.; Liu, X.; Cai, Z.; Gloaguen, R. Superpixel contracted neighborhood contrastive subspace clustering network for hyperspectral images. IEEE Trans. Geosci. Remote Sens. 2022, 60, 5530113. [Google Scholar] [CrossRef]
- Ding, Y.; Zhang, Z.; Yang, A.; Cai, Y.; Xiao, X.; Hong, D.; Yuan, J. SLCGC: A lightweight self-supervised low-pass contrastive graph clustering network for hyperspectral images. arXiv 2025, arXiv:2502.03497. [Google Scholar] [CrossRef]
- Yang, A.; Li, M.; Ding, Y.; Xiao, X.; He, Y. An efficient and lightweight spectral-spatial feature graph contrastive learning framework for hyperspectral image clustering. IEEE Trans. Geosci. Remote Sens. 2024, 62, 5537714. [Google Scholar] [CrossRef]
- Ding, Y.; Zhang, Z.; Kang, W.; Yang, A.; Zhao, J.; Feng, J.; Hong, D.; Zheng, Q. Adaptive homophily clustering: Structure homophily graph learning with adaptive filter for hyperspectral image. IEEE Trans. Geosci. Remote Sens. 2025, 63, 5510113. [Google Scholar] [CrossRef]
- Zhang, M.; Han, T.; Qu, X.; Gao, X.; Liu, X.; Niu, S. Masked superpixel contrastive subspace clustering network for unsupervised large-scale hyperspectral image classification. IEEE Trans. Geosci. Remote Sens. 2025, 63, 5520616. [Google Scholar] [CrossRef]
- Liu, M.Y.; Tuzel, O.; Ramalingam, S.; Chellappa, R. Entropy rate superpixel segmentation. In Proceedings of the CVPR 2011, Colorado Springs, CO, USA, 20–25 June 2011; pp. 2097–2104. [Google Scholar]
- Ding, T.; Lim, D.; Vidal, R.; Haeffele, B.D. Understanding Doubly Stochastic Clustering. In Proceedings of the 39th International Conference on Machine Learning, Baltimore, MD, USA, 17–23 July 2022; pp. 5153–5165. [Google Scholar]
- Hagen, L.; Kahng, A. New spectral methods for ratio cut partitioning and clustering. IEEE Trans. Comput.-Aided Des. Integr. Circuits Syst. 1992, 11, 1074–1085. [Google Scholar] [CrossRef]
- MacQueen, J. Some methods for classification and analysis of multi-variate observations. In Proceedings of the Fifth Berkeley Symposium on Mathematical Statistics and Probability, Berkeley, CA, USA, 21 June–18 July 1967; pp. 281–297. [Google Scholar]
- He, X.; Niyogi, P. Locality preserving projections. In Proceedings of the Advances in Neural Information Processing Systems 16, Vancouver, BC, Canada, 8–13 December 2003. [Google Scholar]
- Rafiezadeh Shahi, K.; Khodadadzadeh, M.; Tusa, L.; Ghamisi, P.; Tolosana-Delgado, R.; Gloaguen, R. Hierarchical sparse subspace clustering (HESSC): An automatic approach for hyperspectral image analysis. Remote Sens. 2020, 12, 2421. [Google Scholar] [CrossRef]












| Notation | Definition |
|---|---|
| n | Number of samples (nodes); |
| d | Number of spectral bands; |
| m | Number of superpixels; |
| r | Number of projected features; |
| c | Number of neighbors for graph building; |
| k | Number of clusters; |
| The data matrix; | |
| The i-th data sample; | |
| The affinity matrix of bi-stochastic graph; | |
| The transpose of matrix ; | |
| The Frobenius norm of matrix ; | |
| The i-th row of matrix ; | |
| The i-th column of matrix ; | |
| The (i,j)-th entry of matrix ; |
| No. | Class Name | Samples |
|---|---|---|
| 1 | Bareland1 | 26,396 |
| 2 | Lakes | 4027 |
| 3 | Coals | 2783 |
| 4 | Crops-1 | 5214 |
| 5 | Cement | 13,184 |
| 6 | Trees | 2436 |
| 7 | Bareland2 | 6990 |
| 8 | Crops | 4777 |
| 9 | Red-title | 3070 |
| Labeled | 68,877 | |
| Unlabeled | 61,123 | |
| Total | 130,000 | |
| No. | Class Name | Samples |
|---|---|---|
| 1 | Corn | 34,511 |
| 2 | Cotton | 8374 |
| 3 | Sesame | 3031 |
| 4 | Broad-leaf soybean | 63,212 |
| 5 | Narrow-leaf soybean | 4151 |
| 6 | Rice | 11,854 |
| 7 | Water | 67,056 |
| 8 | Roads and houses | 7124 |
| 9 | Mixed weed | 5229 |
| Labeled | 204,542 | |
| Unlabeled | 15,458 | |
| Total | 220,000 | |
| No. | Class Name | Samples |
|---|---|---|
| 1 | Water | 65,971 |
| 2 | Trees | 7598 |
| 3 | Asphalt | 3090 |
| 4 | Self-blocking bricks | 2685 |
| 5 | Bitumen | 6584 |
| 6 | Tiles | 9248 |
| 7 | Shadows | 7287 |
| 8 | Meadows | 42,826 |
| 9 | Bare Soil | 2863 |
| Labeled | 148,152 | |
| Unlabeled | 635,488 | |
| Total | 783,640 | |
| No. | DvD | HESSC | SGLSC | SWCAN | SAGC | MCDLT | EGFSC | GCL | BGL |
|---|---|---|---|---|---|---|---|---|---|
| Bareland1 | 88.71 | 82.43 | 89.75 | 80.09 | 87.67 | 88.25 | 75.50 | 99.84 | 88.51 |
| Lakes | 2.61 | 99.39 | 96.37 | 94.34 | 96.40 | 2.61 | 99.33 | 0.00 | 96.60 |
| Coals | 96.98 | 0.00 | 0.00 | 79.23 | 65.65 | 96.48 | 0.00 | 29.78 | 67.70 |
| Crops-1 | 29.40 | 62.48 | 42.08 | 72.36 | 39.09 | 46.91 | 19.91 | 93.53 | 45.80 |
| Cement | 52.03 | 0.22 | 99.80 | 31.08 | 50.05 | 52.33 | 80.84 | 3.89 | 54.98 |
| Trees | 46.79 | 87.61 | 0.00 | 0.00 | 0.00 | 47.33 | 48.23 | 99.77 | 48.40 |
| Bareland2 | 98.04 | 71.94 | 0.00 | 81.69 | 69.26 | 81.73 | 100.0 | 99.41 | 98.56 |
| Crops | 90.48 | 52.78 | 99.79 | 98.60 | 69.94 | 91.34 | 72.78 | 59.16 | 98.85 |
| Red-title | 38.86 | 27.77 | 53.84 | 61.11 | 4.85 | 0.00 | 100.0 | 78.89 | 0.00 |
| OA | 70.35 | 64.72 | 71.64 | 68.69 | 66.92 | 68.37 | 73.08 | 63.40 | 74.85 |
| AA | 59.57 | 58.26 | 65.87 | 65.34 | 53.79 | 56.74 | 66.28 | 57.04 | 66.54 |
| Kappa | 63.29 | 57.02 | 62.82 | 61.97 | 58.78 | 60.76 | 67.18 | 68.15 | 68.91 |
| CPU Time | 55.48 | 106.32 | 43.32 | 5.31 | 9.47 | 18.61 | 2.67 | 12.32 | 2.43 |
| No. | DvD | HESSC | SGLSC | SWCAN | SAGC | MCDLT | EGFSC | GCL | BGL |
|---|---|---|---|---|---|---|---|---|---|
| Corn | 54.84 | 91.19 | 99.83 | 48.65 | 54.84 | 54.84 | 99.96 | 71.37 | 99.97 |
| Cotton | 93.32 | 12.22 | 99.39 | 99.51 | 52.76 | 90.35 | 96.94 | 99.71 | 96.94 |
| Sesame | 0.00 | 0.00 | 0.00 | 99.87 | 0.00 | 0.00 | 99.47 | 0.00 | 0.00 |
| Broad-leaf soybean | 59.28 | 72.26 | 79.48 | 33.24 | 92.29 | 59.08 | 35.15 | 32.69 | 84.85 |
| Narrow-leaf soybean | 55.72 | 0.00 | 0.22 | 0.00 | 99.83 | 63.94 | 0.02 | 0.16 | 0.02 |
| Rice | 99.70 | 8.62 | 87.61 | 99.56 | 99.72 | 99.66 | 60.22 | 100.0 | 78.22 |
| Water | 99.76 | 76.82 | 71.94 | 70.53 | 60.45 | 99.42 | 99.95 | 99.56 | 99.95 |
| Roads | 41.72 | 49.10 | 52.78 | 58.83 | 0.91 | 60.06 | 0.67 | 53.93 | 41.64 |
| Mixed weed | 78.71 | 5.22 | 27.77 | 0.00 | 47.20 | 47.18 | 0.00 | 0.34 | 43.20 |
| OA | 74.47 | 65.74 | 76.69 | 64.98 | 68.80 | 74.28 | 69.45 | 72.46 | 80.97 |
| AA | 64.79 | 58.51 | 65.46 | 66.70 | 56.45 | 63.87 | 58.71 | 63.19 | 70.33 |
| Kappa | 68.25 | 55.45 | 70.79 | 65.73 | 61.70 | 68.04 | 62.41 | 67.21 | 81.53 |
| CPU Time | 89.43 | 206.42 | 122.54 | 6.87 | 74.46 | 31.42 | 4.12 | 22.04 | 3.52 |
| No. | DvD | HESSC | SGLSC | SWCAN | SAGC | MCDLT | EGFSC | GCL | BGL |
|---|---|---|---|---|---|---|---|---|---|
| Water | 97.32 | 97.05 | 94.49 | 98.27 | 54.84 | 98.22 | 98.94 | 100.0 | 100.00 |
| Trees | 65.83 | 100.00 | 44.35 | 76.68 | 52.76 | 74.93 | 4.69 | 32.39 | 45.12 |
| Asphalt | 2.75 | 0.00 | 0.00 | 7.38 | 0.00 | 18.16 | 0.00 | 81.08 | 42.82 |
| Self-blocking bricks | 98.62 | 0.00 | 11.92 | 20.30 | 92.29 | 37.43 | 60.74 | 51.91 | 14.86 |
| Bitumen | 64.96 | 55.56 | 0.02 | 43.03 | 99.83 | 43.38 | 94.27 | 6.70 | 0.00 |
| Tiles | 44.49 | 18.51 | 99.76 | 27.54 | 99.72 | 49.44 | 8.03 | 0.02 | 99.97 |
| Shadows | 38.80 | 75.96 | 78.30 | 55.52 | 60.45 | 69.71 | 38.78 | 0.00 | 74.82 |
| Meadows | 28.84 | 95.30 | 98.41 | 49.17 | 0.91 | 59.17 | 87.85 | 97.35 | 93.66 |
| Bare Soil | 22.07 | 40.13 | 0.00 | 19.25 | 47.20 | 23.33 | 52.91 | 3.46 | 0.00 |
| OA | 64.89 | 84.03 | 83.09 | 69.16 | 68.80 | 76.31 | 78.42 | 77.43 | 85.00 |
| AA | 51.52 | 60.42 | 59.04 | 44.13 | 56.45 | 58.20 | 55.58 | 49.23 | 63.48 |
| Kappa | 54.05 | 76.30 | 76.32 | 58.49 | 61.70 | 66.10 | 69.52 | 66.63 | 78.22 |
| CPU Time | 216.75 | 489.64 | 256.54 | 25.79 | 34.47 | 102.39 | 17.58 | 64.96 | 13.48 |
Disclaimer/Publisher’s Note: The statements, opinions and data contained in all publications are solely those of the individual author(s) and contributor(s) and not of MDPI and/or the editor(s). MDPI and/or the editor(s) disclaim responsibility for any injury to people or property resulting from any ideas, methods, instructions or products referred to in the content. |
© 2025 by the authors. Licensee MDPI, Basel, Switzerland. This article is an open access article distributed under the terms and conditions of the Creative Commons Attribution (CC BY) license (https://creativecommons.org/licenses/by/4.0/).
Share and Cite
Chen, C.; Wang, N.; Wang, S.; Cao, J.; Wang, T.; Cui, Z.; Su, Y. Spectral–Spatial Superpixel Bi-Stochastic Graph Learning for Large-Scale and High-Dimensional Hyperspectral Image Clustering. Remote Sens. 2025, 17, 3799. https://doi.org/10.3390/rs17233799
Chen C, Wang N, Wang S, Cao J, Wang T, Cui Z, Su Y. Spectral–Spatial Superpixel Bi-Stochastic Graph Learning for Large-Scale and High-Dimensional Hyperspectral Image Clustering. Remote Sensing. 2025; 17(23):3799. https://doi.org/10.3390/rs17233799
Chicago/Turabian StyleChen, Cheng, Nian Wang, Shengming Wang, Jiping Cao, Tao Wang, Zhigao Cui, and Yanzhao Su. 2025. "Spectral–Spatial Superpixel Bi-Stochastic Graph Learning for Large-Scale and High-Dimensional Hyperspectral Image Clustering" Remote Sensing 17, no. 23: 3799. https://doi.org/10.3390/rs17233799
APA StyleChen, C., Wang, N., Wang, S., Cao, J., Wang, T., Cui, Z., & Su, Y. (2025). Spectral–Spatial Superpixel Bi-Stochastic Graph Learning for Large-Scale and High-Dimensional Hyperspectral Image Clustering. Remote Sensing, 17(23), 3799. https://doi.org/10.3390/rs17233799

