Sign in to use this feature.

Years

Between: -

Subjects

remove_circle_outline
remove_circle_outline
remove_circle_outline
remove_circle_outline
remove_circle_outline
remove_circle_outline
remove_circle_outline
remove_circle_outline
remove_circle_outline

Journals

remove_circle_outline
remove_circle_outline
remove_circle_outline
remove_circle_outline
remove_circle_outline
remove_circle_outline
remove_circle_outline
remove_circle_outline
remove_circle_outline
remove_circle_outline
remove_circle_outline
remove_circle_outline
remove_circle_outline
remove_circle_outline
remove_circle_outline
remove_circle_outline
remove_circle_outline

Article Types

Countries / Regions

remove_circle_outline
remove_circle_outline
remove_circle_outline
remove_circle_outline

Search Results (2,427)

Search Parameters:
Keywords = digestion properties

Order results
Result details
Results per page
Select all
Export citation of selected articles as:
20 pages, 3020 KB  
Article
Structural, Swelling, and In Vitro Digestion Behavior of DEGDA-Crosslinked Semi-IPN Dextran/Inulin Hydrogels
by Tamara Erceg, Miloš Radosavljević, Ružica Tomičić, Vladimir Pavlović, Milorad Miljić, Aleksandra Cvetanović Kljakić and Aleksandra Torbica
Gels 2026, 12(2), 103; https://doi.org/10.3390/gels12020103 - 26 Jan 2026
Abstract
In this study, semi-interpenetrating polymer network (semi-IPN) hydrogels based on methacrylated dextran and native inulin were designed as biodegradable carriers for the colon-specific delivery of uracil as a model antitumor compound. The hydrogels were synthesized via free-radical polymerization, using diethylene glycol diacrylate (DEGDA) [...] Read more.
In this study, semi-interpenetrating polymer network (semi-IPN) hydrogels based on methacrylated dextran and native inulin were designed as biodegradable carriers for the colon-specific delivery of uracil as a model antitumor compound. The hydrogels were synthesized via free-radical polymerization, using diethylene glycol diacrylate (DEGDA) as a crosslinking agent at varying concentrations (5, 7.5, and 10 wt%), and their structural, thermal, and biological properties were systematically evaluated. Fourier transform infrared spectroscopy (FTIR) confirmed successful crosslinking and physical incorporation of uracil through hydrogen bonding. Concurrently, differential scanning calorimetry (DSC) revealed an increase in glass transition temperature (Tg) with increasing crosslinking density (149, 153, and 156 °C, respectively). Swelling studies demonstrated relaxation-controlled, first-order swelling kinetics under physiological conditions (pH 7.4, 37 °C) and high gel fraction values (84.75, 91.34, and 94.90%, respectively), indicating stable network formation. SEM analysis revealed that the hydrogel morphology strongly depended on crosslinking density and drug incorporation, with increasing crosslinker content leading to a more compact and wrinkled structure. Uracil loading further modified the microstructure, promoting the formation of discrete crystalline domains within the semi-IPN hydrogels, indicative of physical drug entrapment. All formulations exhibited high encapsulation efficiencies (>86%), which increased with increasing crosslinker content, consistent with the observed gel fraction values. Simulated in vitro gastrointestinal digestion showed negligible drug release under gastric conditions and controlled release in the intestinal phase, primarily governed by crosslinking density. Antimicrobial assessment against Escherichia coli and Staphylococcus epidermidis, used as an initial or indirect indicator of cytotoxic potential, revealed no inhibitory activity, suggesting low biological reactivity at the screening level. Overall, the results indicate that DEGDA-crosslinked dextran/inulin semi-interpenetrating (semi-IPN) hydrogels represent promising carriers for colon-targeted antitumor drug delivery. Full article
(This article belongs to the Special Issue Biopolymer Hydrogels: Synthesis, Properties and Applications)
Show Figures

Graphical abstract

18 pages, 503 KB  
Article
Bioaccessibility of Lead and Arsenic in Mining Waste and Mining-Affected Soils
by Valérie Cappuyns and Lisa Dries
Toxics 2026, 14(2), 114; https://doi.org/10.3390/toxics14020114 - 26 Jan 2026
Abstract
In vitro bioaccessibility tests are used to estimate the release of contaminants from environmental samples during simulated digestion, making them available for intestinal absorption. In most cases, the samples are fine-grained materials with varying chemical, physical, and mineralogical properties, but it is not [...] Read more.
In vitro bioaccessibility tests are used to estimate the release of contaminants from environmental samples during simulated digestion, making them available for intestinal absorption. In most cases, the samples are fine-grained materials with varying chemical, physical, and mineralogical properties, but it is not always clear how these properties influence the bioaccessibility of elements. The present study focusses on the bioaccessibility of lead (Pb) and arsenic (As) in mining waste and mining-affected soils. From the literature, data from mining waste and mining-affected soil samples were used to investigate the relation between chemical (element composition, pH, organic carbon content), physical (grain size distribution), and mineralogical properties of the samples and the gastric and intestinal bioaccessibility of Pb and As. Mean gastric As bioaccessibility was significantly lower in acidic samples than neutral and alkaline samples. A significant difference was also found between As and Pb bioaccessibility in mining residues and mining-affected soil samples. Overall, total Pb an As concentrations and pH were the most significant predictors of Pb and As bioaccessibility. Due to the lack of (quantitative) mineralogical data in many papers, it was not possible to make precise predictions of As and Pb bioaccessibility based on mineralogical sample composition. Despite the challenging nature of quantitative mineralogical characterization, it can contribute to a more precise estimation of the bioavailability of Pb and As in mining waste. Given their significant impact on the bioavailability of metal(loid)s, pH and the (quantitative) mineralogical sample composition should be more systematically determined and reported. Full article
(This article belongs to the Special Issue Distribution and Behavior of Trace Metals in the Environment)
Show Figures

Graphical abstract

15 pages, 2107 KB  
Article
Anaerobic Digestate as a Fertiliser: A Comparison of the Nutritional Quality and Gaseous Emissions of Raw Slurry, Digestate, and Inorganic Fertiliser
by Cathy L. Thomas, Stephan M. Haefele and Ilan Adler
Agronomy 2026, 16(3), 287; https://doi.org/10.3390/agronomy16030287 - 23 Jan 2026
Viewed by 169
Abstract
Anaerobic digestate (AD) has the potential to partially replace inorganic fertiliser, containing readily available nitrogen and other macro- and micronutrients. However, these properties vary with the feedstock. The objectives of this study were to analyse the chemical composition of AD materials and measure [...] Read more.
Anaerobic digestate (AD) has the potential to partially replace inorganic fertiliser, containing readily available nitrogen and other macro- and micronutrients. However, these properties vary with the feedstock. The objectives of this study were to analyse the chemical composition of AD materials and measure their effects on plant growth and greenhouse gas emissions. Anaerobic digestate came from a conventional reactor using vegetable waste and maize as feedstock (‘food AD’) and from a biogas system on a smallholder dairy farm using manure feedstock (‘manure AD’). Undigested cattle slurry (‘manure slurry’) and a complete mineral fertiliser were used as controls. These were applied to wheat plants grown in a glasshouse. Wheat grown with the food AD had a higher yield than the complete mineral fertiliser control, even when applied at a lower rate of nitrogen. Wheat grown with both the food AD and manure AD had macronutrient concentrations equal to or higher than the complete mineral fertiliser treatment. Furthermore, the wheat P concentration was significantly greater with the manure AD treatment, which was unrelated to a biomass dilution effect. However, food AD caused high ammonia emissions, and residual methane was emitted with manure AD, indicating incomplete digestion in the latter. Optimal yields and reduced greenhouse emissions were obtained with mixtures of AD and mineral fertiliser in a 1:1 ratio, indicating the potential to greatly reduce the costs and environmental impact of fertiliser application. Full article
(This article belongs to the Section Soil and Plant Nutrition)
Show Figures

Figure 1

30 pages, 2087 KB  
Review
Prebiotics and Gut Health: Mechanisms, Clinical Evidence, and Future Directions
by Cinara Regina A. V. Monteiro, Eduarda G. Bogea, Carmem D. L. Campos, José L. Pereira-Filho, Viviane S. S. Almeida, André A. M. Vale, Ana Paula S. Azevedo-Santos and Valério Monteiro-Neto
Nutrients 2026, 18(3), 372; https://doi.org/10.3390/nu18030372 - 23 Jan 2026
Viewed by 335
Abstract
Background/Objectives: Prebiotics, which are non-digestible compounds that selectively modulate gut microbiota, are recognized for their potential to promote host health. Although their bifidogenic effect is well documented, a systematic synthesis of how this microbial modulation translates into clinical gastrointestinal (GI) and metabolic outcomes [...] Read more.
Background/Objectives: Prebiotics, which are non-digestible compounds that selectively modulate gut microbiota, are recognized for their potential to promote host health. Although their bifidogenic effect is well documented, a systematic synthesis of how this microbial modulation translates into clinical gastrointestinal (GI) and metabolic outcomes across diverse populations is needed. This review aims to integrate mechanistic insights with clinical evidence to elucidate the pathway from prebiotic structures to tangible health benefits. Methods: This comprehensive narrative review details the structural properties of major prebiotics (e.g., inulin, FOS, and GOS) that govern their fermentation and the production of short-chain fatty acids (SCFAs). To evaluate clinical efficacy, an analysis of 22 randomized controlled trials from the past decade was conducted, focusing on human studies that utilized ISAPP-recognized prebiotics as the sole intervention. Results: The analysis confirms that prebiotic supplementation consistently increased the abundance of beneficial bacteria (e.g., Bifidobacterium and Lactobacillus) and SCFA production. These changes are associated with significant clinical improvements, including enhanced stool frequency and consistency, strengthened intestinal barrier function, and modulated immune responses. Benefits have been documented in healthy individuals, children, the elderly, and those with conditions such as constipation, metabolic syndrome, and antibiotic-associated dysbiosis. However, significant inter-individual variability in response was evident, and the study designs showed notable heterogeneity in prebiotic type, dosage, and duration. Conclusions: Prebiotics are effective modulators of gut health, driving clinical benefits through selective microbial fermentation and SCFA production. The documented heterogeneity and variability highlight the need for future research to focus on personalized nutritional strategies. Key priorities include standardizing intervention protocols, elucidating dose–response relationships, integrating multi-omics data to link taxonomy to function, and exploring novel applications such as synbiotic formulations and gut–brain axis modulation. Full article
Show Figures

Figure 1

13 pages, 380 KB  
Article
Effect of Vegetation Cover and Height on Soil and Plant Properties Across Managed and Unmanaged Agricultural Land in a Temperate Climate
by Sito-Obong U. Udofia, Lisa K. Williams, Alison P. Wills, Wing K. P. Ng, Tim Bevan and Matt J. Bell
Climate 2026, 14(2), 32; https://doi.org/10.3390/cli14020032 - 23 Jan 2026
Viewed by 86
Abstract
The aim of the study was to investigate the effect of vegetation cover and height on soil and plant nutrients across managed and unmanaged agricultural land in a temperate climate. Fresh soil and vegetation samples were collected during the years 2023 and 2024 [...] Read more.
The aim of the study was to investigate the effect of vegetation cover and height on soil and plant nutrients across managed and unmanaged agricultural land in a temperate climate. Fresh soil and vegetation samples were collected during the years 2023 and 2024 from 125 different land parcels in the southwest of the UK. Land was either managed for grazing and/or feed production or not managed for agricultural use, and had a range of grass, crop, legume, herb, and flower species. A linear mixed model was used to assess the effect of vegetation height (in cm) and cover (tonnes of dry matter per hectare) on soil and plant nutrients. The results showed plant dry matter (DM) digestibility, acid detergent fibre (ADF), water-soluble carbohydrate, and oil contents increased with vegetation height, and soil DM and neutral detergent fibre (NDF) decreased with vegetation height. The ratio of soil-to-plant OM reduced and ADF increased with increasing vegetation cover. Interactions between vegetation height and cover (i.e., density) were found for the ratio of soil-to-plant OM, ADF, NDF, DM, DM digestibility, oil, water-soluble carbohydrate, and crude protein nutrients. Measuring the interaction between soil and plant properties showed soil OM stocks increased and soil pH decreased with increased vegetation cover across agricultural land. Full article
Show Figures

Figure 1

23 pages, 3349 KB  
Article
Roles of Amino Acid Properties in Regulating the Gel Characteristics of Low-Salt Pacific White Shrimp (Litopenaeus vannamei) Surimi
by Yiting Gu, Wanying Sun, Jiao Jia, Jianan Yan, Bin Lai, Haitao Wu and Ce Wang
Foods 2026, 15(2), 400; https://doi.org/10.3390/foods15020400 - 22 Jan 2026
Viewed by 30
Abstract
To improve the gel quality of low-salt shrimp surimi gel (SSG) from Pacific white shrimp (Litopenaeus vannamei), L-arginine (L-Arg), L-lysine (L-Lys), and L-proline (L-Pro) were used as partial substitutes for NaCl. The effect of the three amino acids on gel properties, [...] Read more.
To improve the gel quality of low-salt shrimp surimi gel (SSG) from Pacific white shrimp (Litopenaeus vannamei), L-arginine (L-Arg), L-lysine (L-Lys), and L-proline (L-Pro) were used as partial substitutes for NaCl. The effect of the three amino acids on gel properties, protein conformation, microstructure, and in vitro digestion of low-salt SSG were systematically analyzed. Macro-/microstructural analyses revealed that L-Arg, L-Lys, and L-Pro promoted denser three-dimensional networks in low-salt SSG with smaller pore sizes. Compared with the low-salt control (LC) group, the addition of L-Arg, L-Lys, and L-Pro significantly increased the gel strength of low-salt SSG. Cooking loss was significantly decreased from 10.80% (LC group) to 1.89–4.31%. Protein solubility and turbidity results demonstrated that all amino acids markedly enhanced protein solubilization and inhibited protein aggregation. L-Arg and L-Lys mainly promoted hydrogen and disulfide bonds, but reduced hydrophobic interactions and ionic bonds. L-Arg impaired digestibility only in the gastric phase, whereas L-Lys suppressed digestibility across both gastric and intestinal phases. Through molecular docking technology, ASN-238 and LYS-187 of myosin (the dominant gel-forming protein) are the key shared binding residues with three amino acids. These findings suggest that amino acids provide a feasible approach to specifically modulate the gel characteristics of low-salt surimi products. Full article
Show Figures

Figure 1

20 pages, 4131 KB  
Article
Calcium Nitrate Supplementation Improves Meat Quality in Hu Sheep via Microbial and Transcriptomic Regulation
by Yuanshu Zheng, Chen Zheng, Kang Sun, Huihui Liu, Huiyu Fan, Yi Wang, Xuan Nan, Lijing An, Faming Pan, Xinji Wang, Guoyan Xu and Ting Liu
Animals 2026, 16(2), 325; https://doi.org/10.3390/ani16020325 - 21 Jan 2026
Viewed by 91
Abstract
Research has demonstrated that incorporating nitrate into animal feed can effectively decrease methane production in ruminants, though its impact on carcass characteristics and meat attributes in Hu sheep requires further investigation. This experiment examined how a dietary inclusion of 3% calcium nitrate (CN) [...] Read more.
Research has demonstrated that incorporating nitrate into animal feed can effectively decrease methane production in ruminants, though its impact on carcass characteristics and meat attributes in Hu sheep requires further investigation. This experiment examined how a dietary inclusion of 3% calcium nitrate (CN) influenced slaughter parameters, meat properties, gut microbial populations, and host gene regulation in Hu sheep. The study involved sixty healthy male Hu sheep aged 120 days with comparable body weights (31.11 ± 3.39 kg), randomly allocated into two groups: a control group receiving standard feed (CON) and a CN-supplemented group. The trial lasted 60 days, including a 15-day adaptation period and a 45-day formal trial period. They were housed individually and fed twice daily (at 8:00 and 18:00). The findings revealed that CN supplementation notably reduced the water loss rate in the longissimus dorsi muscle (LD), elevated meat color brightness, and enhanced the proportion of polyunsaturated fatty acids (PUFA), particularly n-6 PUFA, along with the n-3/n-6 PUFA ratio. Conversely, it reduced the levels of saturated fatty acids such as myristic acid (C14:0) and oleic acid (C18:1n9t). Additionally, the treatment boosted ruminal Ammoniacal nitrogen content and total short-chain fatty acid production, thereby contributing to energy metabolism in the animals. Microbiological examination demonstrated that CN supplementation led to a decrease in Fibrobacterota and Methanobrevibacter populations within the ruminal environment, while promoting the growth of Proteobacteria in the duodenal region. The gene expression profiling of digestive tract tissues showed an increased activity in nitrogen processing genes (including CA4) and oxidative phosphorylation pathways (such as ATP6), indicating an improved metabolic efficiency and acid–base homeostasis in the host animals. These findings demonstrate that CN-enriched diets enhance the carcass characteristics of Hu sheep by modifying intramuscular lipid profiles through gastrointestinal microbial community restructuring and metabolic pathway adjustments. Such modifications affect energy utilization and acid–base equilibrium, ultimately impacting muscle characteristics and adipose tissue distribution, presenting viable approaches for eco-friendly livestock farming practices. Full article
Show Figures

Graphical abstract

19 pages, 4620 KB  
Article
Phytochemical Characterization and Antimicrobial Properties of a Hydroalcoholic Extract of Tristerix corymbosus (L) Kuijt, a Chilean Mistletoe Species Hosted on Salix babylonica (L)
by Alejandro A. Hidalgo, Sergio A. Bucarey, Beatriz Sepúlveda, Sebastián Cumsille-Escandar, Alejandro Charmell, Nicolás A. Villagra, Andrés Barriga, Consuelo F. Martínez-Contreras, Jorge Escobar, José L. Martínez and Maité Rodríguez-Díaz
Antibiotics 2026, 15(1), 105; https://doi.org/10.3390/antibiotics15010105 - 21 Jan 2026
Viewed by 174
Abstract
Background/Objectives: The genus Tristerix comprises at least ten species, found from southern Chile to Colombia in South America. In Chile, several species of these hemiparasitic plants are known as quitral or quintral. Quitral, mainly T. corymbosus (syn. T. tetrandus), is used in [...] Read more.
Background/Objectives: The genus Tristerix comprises at least ten species, found from southern Chile to Colombia in South America. In Chile, several species of these hemiparasitic plants are known as quitral or quintral. Quitral, mainly T. corymbosus (syn. T. tetrandus), is used in alternative medicine for its anti-inflammatory, digestive, hemostatic, hypocholesterolemic, and wound-healing properties. This study investigates the phytochemical composition and antimicrobial properties of T. corymbosus. Methods: A hydroalcoholic extract of T. corymbosus was prepared from leaves and small branches. The addition of methanol, on the extract, produced precipitation allowing us to isolate a methanol-soluble fraction, a brown powder obtained after filtration, and a tar-like residue remaining in the flask. These fractions were resuspended and tested for antimicrobial activity. Results: All fractions showed activity against Streptococcus pyogenes, but not E. coli. The brown powder exhibits the strongest potency against Gram-positive bacteria, some Gram-negative and C. albicans. HPLC-MS analysis revealed presence of lipidic compounds with surfactant properties. Conclusions: The abundant lipidic molecules present in the analyzed fraction likely account for the antimicrobial effects through affecting membrane structure of microorganisms supporting the traditional wound-healing uses of T. corymbosus in ancestral medicine. Full article
Show Figures

Graphical abstract

26 pages, 1573 KB  
Article
Williams Pear Canning-Industrial Residues Suitable for Powdered Products: Effect of Particle Size and Acid Immersion on Physicochemical and Bioactive Properties
by Milagros Gomez Mattson, Susana Diez, Paula Sette, Rocío Corfield, Francisco Garrido Makinistian, Carolina Schebor, Lorena Franceschinis and Daniela M. Salvatori
Foods 2026, 15(2), 377; https://doi.org/10.3390/foods15020377 - 21 Jan 2026
Viewed by 79
Abstract
Powdered fiber- and polyphenol-rich ingredients derived from pear canning residues were obtained by direct processing. Residues were subjected to acid immersion and subsequent convective drying, milling, and sieving. Drying kinetics were studied to select the best operative drying conditions (70 °C, 3 h) [...] Read more.
Powdered fiber- and polyphenol-rich ingredients derived from pear canning residues were obtained by direct processing. Residues were subjected to acid immersion and subsequent convective drying, milling, and sieving. Drying kinetics were studied to select the best operative drying conditions (70 °C, 3 h) for both acidified (CIT) and non-acidified (C) samples. Two granulometries were also assessed (<210 and <590 μm). The resulting powders (C210, CIT210, C590, CIT590) were characterized as bioactive compounds, techno-functional fiber properties, physical and stability attributes, as well as in vitro bioaccessibility. All powders were rich in dietary fiber (52–54%) and exhibited a polyphenol content ranging from ~390 to 567 mg GAE/100 g on a dry basis for CIT and C powders, respectively. Also presented good hydration properties and low oil absorption. Sample C210 was particularly noteworthy due to its higher polyphenol level and better physical and stability properties. Acid immersion slightly reduced browning during drying and, although it caused a polyphenol loss (29%), CIT samples showed a better functional potential in terms of bioaccessibility of polyphenols (83 ± 6%) and of antioxidant capacity (58 ± 1%). By analyzing multiple properties, this study offers a comprehensive evaluation of simple and cost-effective biomass utilization strategies for the production of functional ingredients. Full article
(This article belongs to the Section Food Engineering and Technology)
Show Figures

Graphical abstract

19 pages, 2247 KB  
Article
Reactive Extrusion of Sorghum Flour with Ozone Modifies the Texture, Thermal Behavior, and Digestibility of Starch and Proteins
by Pablo Palavecino, Esteban Carrillo Parra, Marianela Rodriguez, María Isabel Curti, Mariela Bustos Shmidt and Pablo Ribotta
Foods 2026, 15(2), 375; https://doi.org/10.3390/foods15020375 - 20 Jan 2026
Viewed by 114
Abstract
This study addresses the need for sustainable and clean-label processing methods to enhance the functional and nutritional properties of sorghum flour. Reactive extrusion combining high shear forces and ozonization was selected as an environmentally friendly modification strategy. Whole and polished sorghum flours were [...] Read more.
This study addresses the need for sustainable and clean-label processing methods to enhance the functional and nutritional properties of sorghum flour. Reactive extrusion combining high shear forces and ozonization was selected as an environmentally friendly modification strategy. Whole and polished sorghum flours were processed using a twin-screw extruder, with ozone introduced via ozonated feed water under varying temperature profiles (140 °C and 160 °C) and moisture contents (20% and 23%). Characterization included specific mechanical energy (SME), textural attributes, water absorption and solubility indices (WAI/WSI), viscosity profiles (RVA), and surface chemistry via X-ray photoelectron spectroscopy (XPS). Finally, in vitro digestion was used to monitor the kinetics of starch and protein hydrolysis. Ozone reduced SME, increased extrudate density, and lowered expansion and fracture force, particularly in polished flour. The XPS confirmed successful oxidation, showing the conversion of hydroxyl groups into carbonyl and carboxyl groups. Ozone also improved water absorption but reduced solubility and decreased viscosity parameters in polished flour. In vitro digestion showed that extrusion ozonation enhanced protein digestibility at ~25%. At the gastric phase, ozonized whole samples showed 18.3% starch hydrolysis, and ozonized polished flour showed 8.3%, whereas non-ozonized flours exhibited ~25%. These findings prove that ozone-assisted reactive extrusion differentially changes sorghum flour properties, offering a promising approach for improved food applications. Full article
Show Figures

Graphical abstract

44 pages, 1655 KB  
Review
Bio-Based Fertilizers from Waste: Nutrient Recovery, Soil Health, and Circular Economy Impacts
by Moses Akintayo Aborisade, Huazhan Long, Hongwei Rong, Akash Kumar, Baihui Cui, Olaide Ayodele Oladeji, Oluwaseun Princess Okimiji, Belay Tafa Oba and Dabin Guo
Toxics 2026, 14(1), 90; https://doi.org/10.3390/toxics14010090 - 19 Jan 2026
Viewed by 208
Abstract
Bio-based fertilisers (BBFs) derived from waste streams represent a transformative approach to sustainable agriculture, addressing the dual challenges of waste management and food security. This comprehensive review examines recent advances in BBF production technologies, nutrient recovery mechanisms, soil health impacts, and the benefits [...] Read more.
Bio-based fertilisers (BBFs) derived from waste streams represent a transformative approach to sustainable agriculture, addressing the dual challenges of waste management and food security. This comprehensive review examines recent advances in BBF production technologies, nutrient recovery mechanisms, soil health impacts, and the benefits of a circular economy. This review, based on an analysis of peer-reviewed studies, demonstrates that BBFs consistently improve the physical, chemical, and biological properties of soil while reducing environmental impacts by 15–45% compared to synthetic alternatives. Advanced biological treatment technologies, including anaerobic digestion, vermicomposting, and biochar production, achieve nutrient recovery efficiencies of 60–95% in diverse waste streams. Market analysis reveals a rapidly expanding sector projected to grow from $2.53 billion (2024) to $6.3 billion by 2032, driven by regulatory support and circular economy policies. Critical research gaps remain in standardisation, long-term performance evaluation, and integration with precision agriculture systems. Future developments should focus on AI-driven optimisation, climate-adaptive formulations, and nanobioconjugate technologies. Full article
(This article belongs to the Special Issue Study on Biological Treatment Technology for Waste Management)
Show Figures

Figure 1

16 pages, 8760 KB  
Article
Genetics and Grain Filling Effects on Starch Properties in Wheat
by Yue Zhao, Yingkun Wang, Liwen Meng, Wenjie Li, Henan Wang, Qin Yan, Na Niu and Lingjian Ma
Foods 2026, 15(2), 357; https://doi.org/10.3390/foods15020357 - 19 Jan 2026
Viewed by 129
Abstract
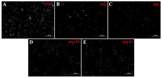
The physicochemical properties of wheat (Triticum aestivum L.) determine its application. This study aims to investigate the genetic patterns and heterosis performance of physicochemical properties of wheat starch, using the variety Xinong99 and two filling-deficient mutants, dwarf wrinkle grain (dwg) and dwarf [...] Read more.
The physicochemical properties of wheat (Triticum aestivum L.) determine its application. This study aims to investigate the genetic patterns and heterosis performance of physicochemical properties of wheat starch, using the variety Xinong99 and two filling-deficient mutants, dwarf wrinkle grain (dwg) and dwarf narrow grain (dng), obtained by EMS mutagenesis, as well as their backcross F1 generations, to systematically compare differences in starch structure, pasting characteristics, and thermal properties. The results showed that the mutants exhibited higher relative crystallinity, significantly reduced starch content and gelatinization temperature, while the gelatinization enthalpy and breakdown viscosity were significantly increased. Some F1 generation germplasm exhibited transgressive heterosis in viscosity characteristics; for example, the dng F1 had peak viscosity (4669 cP) and breakdown viscosity (2618 cP) higher than the parents, but its gelatinization enthalpy (2.29 J/g) was significantly lower than both parents. Furthermore, the dwg mutant starch granules had a more compact growth ring structure and showed higher resistance to digestion potential. This study systematically reveals the mechanisms of trait formation in mutants and hybrid offspring from the dimensions of starch structure–function–genetics, providing a theoretical basis and germplasm foundation for improving wheat starch quality through molecular design breeding. Full article
(This article belongs to the Section Food Physics and (Bio)Chemistry)
Show Figures

Figure 1

23 pages, 4786 KB  
Article
Potassium Fertilization as a Steering Tool for Sustainable Valorization of Cereal Straw in Circular Bioeconomy Value Chains
by Dario Iljkić, Ivana Varga, Paulina Krolo and Ivan Kraus
Sustainability 2026, 18(2), 984; https://doi.org/10.3390/su18020984 - 18 Jan 2026
Viewed by 136
Abstract
Potassium (K) fertilization plays a key role in regulating stem morphology, particularly stem diameter, yet the influence of different K fertilizer formulations on stem structure and tensile strength remains insufficiently understood. Cereal straw is a key lignocellulosic by-product with growing importance in the [...] Read more.
Potassium (K) fertilization plays a key role in regulating stem morphology, particularly stem diameter, yet the influence of different K fertilizer formulations on stem structure and tensile strength remains insufficiently understood. Cereal straw is a key lignocellulosic by-product with growing importance in the circular bioeconomy. Thus, the aim of this study was to determine the links between potassium nutrition, stem structure, and mechanical behavior for four cereal species: wheat, barley, rye, and oats. There were three potassium fertilization levels (0, 60, and 120 kg K ha−1) conducted in a field experiment in eastern Croatia (2021/2022). At maturity, stem morphology, macroelements (Ca, K, P, C, N), acid detergent fiber (ADF), neutral detergent fiber (NDF), and uniaxial tensile properties (maximum force, tensile strength, Young’s modulus) were determined. Cereal species was the dominant source of variation (p < 0.0001) for all traits, whereas the main effect of K was generally weak and significant only for stem diameter at the midpoint and N concentration, although K × species interactions were frequent. Oats and rye showed the most vigorous biomass production, whereas wheat exhibited by far the highest tensile strength (about 120 MPa) and stiffness (6.23 GPa), together with the highest ADF, while barley had the greatest NDF. Oat stems had the lowest ADF and NDF, indicating less lignified, more digestible tissues but mechanically weaker straw. Mechanical traits were tightly and positively correlated with ADF, NDF, and CN ratio, whereas P showed weak or negative associations with plant size and strength. Therefore, for targeted straw valorization, cereal species selection is paramount, with potassium fertilization playing a secondary, species-dependent role. Full article
Show Figures

Figure 1

19 pages, 4353 KB  
Article
Menthol–Fatty Acid HDES Boosts In Vitro Oral Bioavailability of Oleanolic Acid via Synergistic Digestive Release and Cellular Absorption
by Qin Zhang, Chenjia Li, Jie Yu, Benyang Li and Chaoxi Zeng
Foods 2026, 15(2), 343; https://doi.org/10.3390/foods15020343 - 17 Jan 2026
Viewed by 245
Abstract
To improve the oral bioavailability of oleanolic acid (OA), this study developed a menthol–fatty acid-based hydrophobic deep eutectic solvent (HDES) system. Through a comprehensive evaluation using in vitro simulated digestion and Caco-2 cell transport models, the short-chain HDES was found to increase the [...] Read more.
To improve the oral bioavailability of oleanolic acid (OA), this study developed a menthol–fatty acid-based hydrophobic deep eutectic solvent (HDES) system. Through a comprehensive evaluation using in vitro simulated digestion and Caco-2 cell transport models, the short-chain HDES was found to increase the apparent in vitro bioavailability index of OA by 9.3-fold compared to conventional ethanol systems, with efficacy showing clear fatty acid chain-length dependence. The mechanism was systematically investigated through spectral characterization and cellular studies, revealing a two-stage enhancement process: during the digestion phase, HDES significantly improved OA bioaccessibility to 14.30% compared to 4.90% with ethanol; during the absorption phase, it markedly increased cellular uptake to 25.79% versus 4.71% with ethanol. Molecular analysis indicated that the optimal hydrophobicity and diffusion properties of HDES contributed to this enhancement. This study reveals a fatty acid chain-length-dependent mechanism in HDES-facilitated OA delivery, providing a tunable strategy for enhancing the absorption of hydrophobic bioactive compounds. Full article
(This article belongs to the Section Nutraceuticals, Functional Foods, and Novel Foods)
Show Figures

Figure 1

16 pages, 1927 KB  
Article
Methanotrophic Poly(hydroxybutyrate) Through C1 Fermentation and Downstream Process Development: Molar Mass, Thermal and Mechanical Characterization
by Maximilian Lackner, Ľubomíra Jurečková, Daniela Chmelová, Miroslav Ondrejovič, Katarína Borská, Anna Vykydalová, Michaela Sedničková, Hamed Peidayesh, Ivan Chodák and Martin Danko
Polymers 2026, 18(2), 248; https://doi.org/10.3390/polym18020248 - 16 Jan 2026
Viewed by 219
Abstract
Today, PHB and its copolymers—potential plastic substitutes—are produced by fermenting sugar, which is not scalable to the volumes of plastic consumption. PHB from CH4 can offer a sustainable process route, with CH4 potentially produced from a variety of waste biomass streams [...] Read more.
Today, PHB and its copolymers—potential plastic substitutes—are produced by fermenting sugar, which is not scalable to the volumes of plastic consumption. PHB from CH4 can offer a sustainable process route, with CH4 potentially produced from a variety of waste biomass streams through anaerobic digestion, gasification, and methanation. The high molar mass (Mw) of PHB is a key determinant of its mechanical properties, and strain, culture conditions and downstream processing influence it. In this work, the strain Methylocystis sp. GB 25 (DSMZ 7674) was grown on natural gas as the sole carbon and energy source and air (1:1) in a loop reactor with 350 L active fermentation volume, at 35 °C and ambient pressure. After two days of continuous growth, the bacteria were limited in P and N for 1, 2, and 2.5 days to determine the optimal conditions for PHB accumulation and the highest Mw as the target. The biomass was then centrifuged and spray-dried. For downstream processing, chloroform solvent extraction and selected enzymatic treatment were deployed, yielding ~40% PHB from the biomass. The PHB obtained by solvent extraction exhibited high average weight molar masses of Mw ~1.1–1.5 × 106 g mol−1. The highest Mw was obtained after one day of limitation, whereas enzyme treatment resulted in partially degraded PHB. Cold chloroform maceration, interesting due to energy savings, did not achieve sufficient extraction efficiency because it was unable to extract high-molar-mass PHB fractions. The extracted PHB has a high molar mass, more than double that of standard commercial PHB, and was characterized by DSC, which showed a high degree of crystallinity of up to 70% with a melting temperature of close to 180 °C. Mechanical tensile properties measurements, as well as dynamic mechanical thermal analysis (DMTA), were performed. Degradation of the PHB by enzymes was also determined. Methanotrophic PHB is a promising bioplastics material. The high Mw can limit and delay polymer degradation in practical processing steps, making the material more versatile and robust. Full article
(This article belongs to the Section Biobased and Biodegradable Polymers)
Show Figures

Figure 1

Back to TopTop