Sign in to use this feature.

Years

Between: -

Subjects

remove_circle_outline
remove_circle_outline
remove_circle_outline
remove_circle_outline
remove_circle_outline
remove_circle_outline
remove_circle_outline

Journals

Article Types

Countries / Regions

Search Results (24)

Search Parameters:
Keywords = PMAxx

Order results
Result details
Results per page
Select all
Export citation of selected articles as:
15 pages, 3951 KB  
Article
Establishing a Rapid Enrichment Medium for Bacillus cereus to Shorten Detection Time
by Changzheng Shi, Ruirui Hu, Haibo Zhou, Xiaomei Bie and Jun Yang
Foods 2026, 15(3), 466; https://doi.org/10.3390/foods15030466 - 29 Jan 2026
Viewed by 596
Abstract
Bacillus cereus is a common Gram-positive bacterium that poses a significant threat to food safety due to its environmental adaptability, spore-forming ability, and production of harmful toxins. Traditional detection methods for B. cereus are time-consuming and inaccurate. This study aimed to develop a [...] Read more.
Bacillus cereus is a common Gram-positive bacterium that poses a significant threat to food safety due to its environmental adaptability, spore-forming ability, and production of harmful toxins. Traditional detection methods for B. cereus are time-consuming and inaccurate. This study aimed to develop a rapid enrichment medium for B. cereus to improve detection efficiency. Five B. cereus strains and five non-B. cereus strains were used. The TSB medium was selected as the basic medium as it supported the best growth and spore germination of B. cereus among the tested media. Magnesium sulfate and inosine were identified as the most effective promoters for the growth of vegetative cells and spore germination respectively, while glycine and sodium nitrite were chosen as suitable inhibitors against non-B. cereus bacteria. Through orthogonal experiments, the optimal formulation of the rapid enrichment medium (BC-TSB) was determined. BC-TSB effectively inhibited the growth of non-target bacteria and significantly promoted the growth and spore germination of B. cereus compared to the TSB basic medium. It also efficiently facilitated the recovery of thermally injured B. cereus cells, with a 6 h recovery rate of 87%—shortening the incubation time required by traditional method from 48 h to 6 h. In the detection of artificially contaminated dairy samples, BC-TSB could effectively pre-enrich B. cereus, achieving a 100% detection rate in UHT milk, modified milk, and pasteurized milk using both traditional and PMAxx-qPCR methods. Overall, the developed BC-TSB medium has great potential for the rapid and accurate detection of B. cereus in food, which can help enhance food safety monitoring. Full article
(This article belongs to the Section Food Microbiology)
Show Figures

Figure 1

15 pages, 1830 KB  
Article
A Novel Sensitive Recombinase-Aided Amplification Integrated Test Strip for Pseudomonas fluorescens in Milk via Dual Gene Probes
by Guangying Zhang, Lili Zhang, Jingqin Ye, Dongshu Wang and Ying Lu
Biosensors 2025, 15(8), 553; https://doi.org/10.3390/bios15080553 - 21 Aug 2025
Cited by 2 | Viewed by 1305
Abstract
Pseudomonas fluorescens is the main spoilage bacterium in milk, and its proliferation is one of the factors leading to the deterioration of the quality of raw milk. In this study, a rapid detection system for P. fluorescens was developed based on recombinase-aided amplification [...] Read more.
Pseudomonas fluorescens is the main spoilage bacterium in milk, and its proliferation is one of the factors leading to the deterioration of the quality of raw milk. In this study, a rapid detection system for P. fluorescens was developed based on recombinase-aided amplification combined with a test strip (RAA-TS), which contained a double test line (DTL) targeting the virulence gene aprX of P. fluorescens and the housekeeping gene gyrB of Pseudomonas. Visual observation could detect gyrB (50 CFU/mL) and aprX (250 CFU/mL) within 90 min, including sample pretreatment and RAA reaction and detection steps. No cross-reactions were observed with Pseudomonas or other bacteria (n = 19). The quantitative detection limits (LOD) of gyrB and aprX for P. fluorescens in milk were 37 CFU/mL and 233 CFU/mL, respectively. Compared with polymerase chain reaction-agarose gel electrophoresis (PCR-AGE), the sensitivity of the developed RAA-TS-DTL system was increased by approximately four times. Furthermore, it could detect live P. fluorescens in milk when combined with optimized sample pretreatment by propidium monoazide (PMAxx). Its consistency with the traditional culture method in the detection of P. fluorescens spiked in milk samples (n = 25) was 100%. The developed RAA-TS-DTL had the advantages of high accuracy and short time consumption. Thus, it provides a new way or tool for the rapid screening or detection of P. fluorescens in milk. Full article
Show Figures

Figure 1

11 pages, 1069 KB  
Article
Evaluation of Torquetenovirus (TTV) Particle Integrity Utilizing PMAxx™
by Giuseppe Sberna, Claudia Minosse, Cosmina Mija, Eliana Specchiarello, Pietro Giorgio Spezia, Sara Belladonna, Giulia Berno, Lavinia Fabeni, Giulia Matusali, Silvia Meschi, Daniele Focosi and Fabrizio Maggi
Int. J. Mol. Sci. 2025, 26(13), 6542; https://doi.org/10.3390/ijms26136542 - 7 Jul 2025
Viewed by 1308
Abstract
Torquetenovirus (TTV) is a ubiquitous, non-pathogenic DNA virus that has been suggested as a biomarker of immune competence, with the viral load correlating with the level of immunosuppression. However, by detecting non-intact viral particles, standard PCR-based quantification may overestimate the TTV viremia. To [...] Read more.
Torquetenovirus (TTV) is a ubiquitous, non-pathogenic DNA virus that has been suggested as a biomarker of immune competence, with the viral load correlating with the level of immunosuppression. However, by detecting non-intact viral particles, standard PCR-based quantification may overestimate the TTV viremia. To improve the clinical relevance of TTV quantification, in this study, we investigated the use of PMAxx™, a virion viability dye that selectively blocks the amplification of compromised virions. Serum samples from 10 Hepatitis C Virus-positive (HCV+) individuals, 81 liver transplant recipients (LTRs), and 40 people with HIV (PWH) were treated with PMAxx™ and analyzed for TTV DNA loads by digital droplet PCR (ddPCR). Furthermore, anti-SARS-CoV-2 IgG levels and neutralizing antibody (nAbs) titers were measured post-COVID-19 vaccination. Using ddPCR, the PMAxx™ treatment significantly reduced the TTV DNA levels in all the groups (mean reduction: 0.66 Log copies/mL), indicating the abundant presence of non-intact, circulating viral genomes. However, correlations between TTV DNA and SARS-CoV-2 IgG or nAbs were weak or absent in both PMAxx™-treated and untreated samples. These findings suggest that while PMAxx™ enhanced the specificity of TTV quantification, it did not improve the predictive value of TTV viremia at assessing vaccine-induced humoral responses. Full article
(This article belongs to the Section Molecular Microbiology)
Show Figures

Figure 1

11 pages, 10701 KB  
Communication
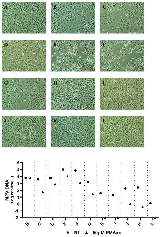
Measurement of the Infection and Integrity of Monkeypox Virus: A New Method Using PMAxx-ddPCR
by Giuseppe Sberna, Eliana Specchiarello, Cosmina Mija, Fabrizio Carletti, Sara Belladonna, Enrico Girardi, Valentina Mazzotta and Fabrizio Maggi
Int. J. Mol. Sci. 2025, 26(3), 1195; https://doi.org/10.3390/ijms26031195 - 30 Jan 2025
Cited by 5 | Viewed by 1502
Abstract
Mpox, caused by the Monkeypox virus (MPV), is a global public health threat. Virus isolation is the gold standard to confirm MPV infection, but this process can face many challenges. As an alternative, a new method was developed in in vitro settings using [...] Read more.
Mpox, caused by the Monkeypox virus (MPV), is a global public health threat. Virus isolation is the gold standard to confirm MPV infection, but this process can face many challenges. As an alternative, a new method was developed in in vitro settings using 50 µM of propidium monoazide (PMAxx, a DNA-binding agent) coupled with digital droplet PCR (ddPCR). Frozen clinical samples analyzed by PMAxx-ddPCR had a median of 0.8 copies/µL, while untreated samples had a median of 29.8 copies/µL. Since a substantial percentage of reduction was observed in these samples (>80%), it was verified whether this reduction could be due to the freezing process. This hypothesis was confirmed both in vitro and using clinical samples. A gradual increase in the mean percentage of reduction was observed after freezing–thawing cycles of MPV-isolate (59.5−81.4%). Moreover, a different percentage of reduction was observed before (68.2%) and after freezing (97.4%) the specimens, suggesting that the freezing process could reduce the number of complete viral particles. Our study shows strong evidence of the usefulness of PMAxx in clinical settings. PMAxx ensures the detection of intact MPV particles, which improves the accuracy of MPV load measurements. This method not only increases the reliability of MPV diagnosis but also overcomes virus isolation limitations. Full article
(This article belongs to the Section Molecular Microbiology)
Show Figures

Figure 1

9 pages, 881 KB  
Communication
Rapid Determination of SARS-CoV-2 Integrity and Infectivity by Using Propidium Monoazide Coupled with Digital Droplet PCR
by Giuseppe Sberna, Cosmina Mija, Eleonora Lalle, Gabriella Rozera, Giulia Matusali, Fabrizio Carletti, Enrico Girardi and Fabrizio Maggi
Int. J. Mol. Sci. 2024, 25(11), 6156; https://doi.org/10.3390/ijms25116156 - 3 Jun 2024
Cited by 3 | Viewed by 1761
Abstract
SARS-CoV-2 is a highly infectious virus responsible for the COVID-19 pandemic. Therefore, it is important to assess the risk of SARS-CoV-2 infection, especially in persistently positive patients. Rapid discrimination between infectious and non-infectious viruses aids in determining whether prevention, control, and treatment measures [...] Read more.
SARS-CoV-2 is a highly infectious virus responsible for the COVID-19 pandemic. Therefore, it is important to assess the risk of SARS-CoV-2 infection, especially in persistently positive patients. Rapid discrimination between infectious and non-infectious viruses aids in determining whether prevention, control, and treatment measures are necessary. For this purpose, a method was developed and utilized involving a pre-treatment with 50 µM of propidium monoazide (PMAxx, a DNA intercalant) combined with a digital droplet PCR (ddPCR). The ddPCR method was performed on 40 nasopharyngeal swabs (NPSs) both before and after treatment with PMAxx, revealing a reduction in the viral load at a mean of 0.9 Log copies/mL (SD ± 0.6 Log copies/mL). Furthermore, six samples were stratified based on the Ct values of SARS-CoV-2 RNA (Ct < 20, 20 < Ct < 30, Ct > 30) and analyzed to compare the results obtained via a ddPCR with viral isolation and a negative-chain PCR. Of the five samples found positive via a ddPCR after the PMAxx treatment, two of the samples showed the highest post-treatment SARS-CoV-2 loads. The virus was isolated in vitro from both samples and the negative strand chains were detected. In three NPS samples, SARS CoV-2 was present post-treatment at a low level; it was not isolated in vitro, and, when detected, the strand was negative. Our results indicate that the established method is useful for determining whether the SARS-CoV-2 within positive NPS samples is intact and capable of causing infection. Full article
(This article belongs to the Section Molecular Biology)
Show Figures

Figure 1

13 pages, 2051 KB  
Article
Capsid Integrity Detection of Enteric Viruses in Reclaimed Waters
by Pablo Puchades-Colera, Azahara Díaz-Reolid, Inés Girón-Guzmán, Enric Cuevas-Ferrando, Alba Pérez-Cataluña and Gloria Sánchez
Viruses 2024, 16(6), 816; https://doi.org/10.3390/v16060816 - 21 May 2024
Cited by 1 | Viewed by 3072
Abstract
Climate change, unpredictable weather patterns, and droughts are depleting water resources in some parts of the globe, where recycling and reusing wastewater is a strategy for different purposes. To counteract this, the EU regulation for water reuse sets minimum requirements for the use [...] Read more.
Climate change, unpredictable weather patterns, and droughts are depleting water resources in some parts of the globe, where recycling and reusing wastewater is a strategy for different purposes. To counteract this, the EU regulation for water reuse sets minimum requirements for the use of reclaimed water for agricultural irrigation, including a reduction in human enteric viruses. In the present study, the occurrence of several human enteric viruses, including the human norovirus genogroup I (HuNoV GI), HuNoV GII, and rotavirus (RV), along with viral fecal contamination indicator crAssphage was monitored by using (RT)-qPCR methods on influent wastewater and reclaimed water samples. Moreover, the level of somatic coliphages was also determined as a culturable viral indicator. To assess the potential viral infectivity, an optimization of a capsid integrity PMAxx-RT-qPCR method was performed on sewage samples. Somatic coliphages were present in 60% of the reclaimed water samples, indicating inefficient virus inactivation. Following PMAxx-RT-qPCR optimization, 66% of the samples tested positive for at least one of the analyzed enteric viruses, with concentrations ranging from 2.79 to 7.30 Log10 genome copies (gc)/L. Overall, most of the analyzed reclaimed water samples did not comply with current EU legislation and contained potential infectious viral particles. Full article
(This article belongs to the Section Animal Viruses)
Show Figures

Graphical abstract

15 pages, 3315 KB  
Article
Point-of-Care Diagnostic System for Viable Salmonella Species via Improved Propidium Monoazide and Recombinase Polymerase Amplification Based Nucleic Acid Lateral Flow
by So-Young Lee and Se-Wook Oh
Diagnostics 2024, 14(8), 831; https://doi.org/10.3390/diagnostics14080831 - 17 Apr 2024
Cited by 5 | Viewed by 2506
Abstract
Salmonella species are prominent foodborne microbial pathogens transmitted through contaminated food or water and pose a significant threat to human health. Accurate and rapid point-of-care (POC) diagnosis is gaining attention in effectively preventing outbreaks of foodborne disease. However, the presence of dead bacteria [...] Read more.
Salmonella species are prominent foodborne microbial pathogens transmitted through contaminated food or water and pose a significant threat to human health. Accurate and rapid point-of-care (POC) diagnosis is gaining attention in effectively preventing outbreaks of foodborne disease. However, the presence of dead bacteria can interfere with an accurate diagnosis, necessitating the development of methods for the rapid, simple, and efficient detection of viable bacteria only. Herein, we used an improved propidium monoazide (PMAxx) to develop a nucleic acid lateral flow (NALF) assay based on recombinase polymerase amplification (RPA) to differentiate viable Salmonella Typhimurium. We selected an RPA primer set targeting the invA gene and designed a probe for NALF. RPA-based NALF was optimized for temperature (30–43 °C), time (1–25 min), and endonuclease IV concentration (0.025–0.15 unit/µL). PMAxx successfully eliminated false-positive results from dead S. Typhimurium, enabling the accurate detection of viable S. Typhimurium with a detection limit of 1.11 × 102 CFU/mL in pure culture. The developed method was evaluated with spiked raw chicken breast and milk with analysis completed within 25 min at 39 °C. This study has potential as a tool for the POC diagnostics of viable foodborne pathogens with high specificity, sensitivity, rapidity, and cost-effectiveness. Full article
(This article belongs to the Special Issue Visualization Technology in Point-of-Care Diagnostics)
Show Figures

Figure 1

17 pages, 2571 KB  
Article
Improved Canker Processing and Viability Droplet Digital PCR Allow Detection of Erwinia amylovora Viable Nonculturable Cells in Apple Bark
by Bidhan Chandra Dhar, Ricardo Delgado Santander and Srđan G. Aćimović
Microorganisms 2024, 12(2), 376; https://doi.org/10.3390/microorganisms12020376 - 12 Feb 2024
Cited by 6 | Viewed by 3417
Abstract
The bacterium Erwinia amylovora causes fire blight and continues to threaten global commercial apple and pear production. Conventional microbiology techniques cannot accurately determine the presence of live pathogen cells in fire blight cankers. Several factors may prevent E. amylovora from growing on solid [...] Read more.
The bacterium Erwinia amylovora causes fire blight and continues to threaten global commercial apple and pear production. Conventional microbiology techniques cannot accurately determine the presence of live pathogen cells in fire blight cankers. Several factors may prevent E. amylovora from growing on solid culture media, including competing microbiota and the release of bacterial-growth-inhibitory compounds by plant material during sample processing. We previously developed a canker processing methodology and a chip-based viability digital PCR (v-dPCR) assay using propidium monoazide (PMA) to bypass these obstacles. However, sample analysis was still time-consuming and physically demanding. In this work, we improved the previous protocol using an automatic tissue homogenizer and transferred the chip-based v-dPCR to the BioRad QX200 droplet dPCR (ddPCR) platform. The improved sample processing method allowed the simultaneous, fast, and effortless processing of up to six samples. Moreover, the transferred v-ddPCR protocol was compatible with the same PMA treatment and showed a similar dynamic range, from 7.2 × 102 to 7.6 × 107 cells mL−1, as the previous v-dPCR. Finally, the improved protocol allowed, for the first time, the detection of E. amylovora viable but nonculturable (VBNC) cells in cankers and bark tissues surrounding cankers. Our v-ddPCR assay will enable new ways to evaluate resistant pome fruit tree germplasm, further dissect the E. amylovora life cycle, and elucidate E. amylovora physiology, epidemiology, and new options for canker management. Full article
(This article belongs to the Special Issue Plant Pathogens: Monitoring, Identification and Biological Control)
Show Figures

Figure 1

13 pages, 1176 KB  
Article
Use of Capsid Integrity-qPCR for Detecting Viral Capsid Integrity in Wastewater
by Jessica L. Kevill, Kata Farkas, Nicola Ridding, Nicholas Woodhall, Shelagh K. Malham and Davey L. Jones
Viruses 2024, 16(1), 40; https://doi.org/10.3390/v16010040 - 26 Dec 2023
Cited by 10 | Viewed by 3578
Abstract
Quantifying viruses in wastewater via RT-qPCR provides total genomic data but does not indicate the virus capsid integrity or the potential risk for human infection. Assessing virus capsid integrity in sewage is important for wastewater-based surveillance, since discharged effluent may pose a public [...] Read more.
Quantifying viruses in wastewater via RT-qPCR provides total genomic data but does not indicate the virus capsid integrity or the potential risk for human infection. Assessing virus capsid integrity in sewage is important for wastewater-based surveillance, since discharged effluent may pose a public health hazard. While integrity assays using cell cultures can provide this information, they require specialised laboratories and expertise. One solution to overcome this limitation is the use of photo-reactive monoazide dyes (e.g., propidium monoazide [PMAxx]) in a capsid integrity-RT-qPCR assay (ci-RT-qPCR). In this study, we tested the efficiency of PMAxx dye at 50 μM and 100 μM concentrations on live and heat-inactivated model viruses commonly detected in wastewater, including adenovirus (AdV), hepatitis A (HAV), influenza A virus (IAV), and norovirus GI (NoV GI). The 100 μM PMAxx dye concentration effectively differentiated live from heat-inactivated viruses for all targets in buffer solution. This method was then applied to wastewater samples (n = 19) for the detection of encapsulated AdV, enterovirus (EV), HAV, IAV, influenza B virus (IBV), NoV GI, NoV GII, and SARS-CoV-2. Samples were negative for AdV, HAV, IAV, and IBV but positive for EV, NoV GI, NoV GII, and SARS-CoV-2. In the PMAxx-treated samples, EV, NoV GI, and NoV GII showed −0.52–1.15, 0.9–1.51, and 0.31–1.69 log reductions in capsid integrity, indicating a high degree of potentially infectious virus in wastewater. In contrast, SARS-CoV-2 was only detected using RT-qPCR but not after PMAxx treatment, indicating the absence of encapsulated and potentially infectious virus. In conclusion, this study demonstrates the utility of PMAxx dyes to evaluate capsid integrity across a diverse range of viruses commonly monitored in wastewater. Full article
(This article belongs to the Special Issue Wastewater-Based Epidemiology (WBE) in COVID-19 Pandemics)
Show Figures

Figure 1

16 pages, 2614 KB  
Article
Propidium Monoazide (PMAxx)-Recombinase Polymerase Amplification Exo (RPA Exo) Assay for Rapid Detection of Burkholderia cepacia Complex in Chlorhexidine Gluconate (CHX) and Benzalkonium Chloride (BZK) Solutions
by Soumana Daddy Gaoh, Ohgew Kweon and Youngbeom Ahn
Microorganisms 2023, 11(6), 1401; https://doi.org/10.3390/microorganisms11061401 - 26 May 2023
Cited by 7 | Viewed by 3342
Abstract
Both sterile and non-sterile pharmaceutical products, which include antiseptics, have been recalled due to Burkholderia cepacia complex (BCC) contamination. Therefore, minimizing the frequency of outbreaks may be conducive to the development of a quick and sensitive approach that can distinguish between live and [...] Read more.
Both sterile and non-sterile pharmaceutical products, which include antiseptics, have been recalled due to Burkholderia cepacia complex (BCC) contamination. Therefore, minimizing the frequency of outbreaks may be conducive to the development of a quick and sensitive approach that can distinguish between live and dead loads of BCC. We have assessed an exo probe-based recombinase polymerase amplification (RPA) with 10 µM propidium monoazide (PMAxx) for selective detection of live/dead BCC cells in various concentrations of antiseptics (i.e., chlorhexidine gluconate (CHX) and benzalkonium chloride (BZK) solutions) after 24 h. The optimized assay conducted using a set of primer–probes targeting gbpT was performed at 40 °C for 20 min and shows a detection limit of 10 pg/µL of genomic DNA from B. cenocepacia J2315, equivalent to 104 colony-forming units (CFU/mL). The specificity of a newly designed primer and probe was 80% (20 negatives out of 25). The readings for total cells (i.e., without PMAxx) from 200 µg/mL CHX using PMAxx-RPA exo assay was 310 relative fluorescence units (RFU), compared to 129 RFU with PMAxx (i.e., live cells). Furthermore, in 50–500 µg/mL BZK-treated cells, a difference in the detection rate was observed between the PMAxx-RPA exo assay in live cells (130.4–459.3 RFU) and total cells (207.82–684.5 RFU). This study shows that the PMAxx-RPA exo assay appears to be a valid tool for the simple, rapid and presumptive detection of live BCC cells in antiseptics, thereby ensuring the quality and safety of pharmaceutical products. Full article
Show Figures

Figure 1

15 pages, 892 KB  
Article
Impact of Capsid and Genomic Integrity Tests on Norovirus Extraction Recovery Rates
by Philippe Raymond, Sylvianne Paul and Rebecca A. Guy
Foods 2023, 12(4), 826; https://doi.org/10.3390/foods12040826 - 15 Feb 2023
Cited by 10 | Viewed by 3420
Abstract
Human norovirus (HuNoV) is the leading pathogen responsible for food-borne illnesses. However, both infectious and non-infectious HuNoV can be detected by RT-qPCR. This study evaluated the efficiency of different capsid integrity treatments coupled with RT-qPCR or a long-range viral RNA (long RT-qPCR) detection [...] Read more.
Human norovirus (HuNoV) is the leading pathogen responsible for food-borne illnesses. However, both infectious and non-infectious HuNoV can be detected by RT-qPCR. This study evaluated the efficiency of different capsid integrity treatments coupled with RT-qPCR or a long-range viral RNA (long RT-qPCR) detection to reduce the recovery rates of heat inactivated noroviruses and fragmented RNA. The three capsid treatments evaluated (RNase, the intercalating agent PMAxx and PtCl4) reduced the recovery of heat inactivated HuNoV and murine norovirus (MNV) spiked on lettuce, when combined with the ISO 15216-1:2017 extraction protocols. However, PtCl4 also reduced non-heat-treated noroviruses recovery as estimated by RT-qPCR. The PMAxx and RNase treatments had a similar effect on MNV only. The most efficient approaches, the RNase and PMAxx treatments, reduced the heat-inactivated HuNoV recovery rates estimated using RT-qPCR by 2 and >3 log, respectively. The long RT-qPCR detection approach also reduced the recovery rates of heat inactivated HuNoV and MNV by 1.0 and 0.5 log, respectively. Since the long-range viral RNA amplification could be applied to verify or confirm RT-qPCR results, it also provides some advantages by reducing the risk of false positive HuNoV results. Full article
(This article belongs to the Section Food Microbiology)
Show Figures

Figure 1

14 pages, 3695 KB  
Article
Development of a Propidium Monoazide-Based Viability Quantitative PCR Assay for Red Sea Bream Iridovirus Detection
by Kyung-Ho Kim, Gyoungsik Kang, Won-Sik Woo, Min-Young Sohn, Ha-Jeong Son and Chan-Il Park
Int. J. Mol. Sci. 2023, 24(4), 3426; https://doi.org/10.3390/ijms24043426 - 8 Feb 2023
Cited by 9 | Viewed by 4110
Abstract
Red sea bream iridovirus (RSIV) is an important aquatic virus that causes high mortality in marine fish. RSIV infection mainly spreads through horizontal transmission via seawater, and its early detection could help prevent disease outbreaks. Although quantitative PCR (qPCR) is a sensitive and [...] Read more.
Red sea bream iridovirus (RSIV) is an important aquatic virus that causes high mortality in marine fish. RSIV infection mainly spreads through horizontal transmission via seawater, and its early detection could help prevent disease outbreaks. Although quantitative PCR (qPCR) is a sensitive and rapid method for detecting RSIV, it cannot differentiate between infectious and inactive viruses. Here, we aimed to develop a viability qPCR assay based on propidium monoazide (PMAxx), which is a photoactive dye that penetrates damaged viral particles and binds to viral DNA to prevent qPCR amplification, to distinguish between infectious and inactive viruses effectively. Our results demonstrated that PMAxx at 75 μM effectively inhibited the amplification of heat-inactivated RSIV in viability qPCR, allowing the discrimination of inactive and infectious RSIV. Furthermore, the PMAxx-based viability qPCR assay selectively detected the infectious RSIV in seawater more efficiently than the conventional qPCR and cell culture methods. The reported viability qPCR method will help prevent the overestimation of red sea bream iridoviral disease caused by RSIV. Furthermore, this non-invasive method will aid in establishing a disease prediction system and in epidemiological analysis using seawater. Full article
Show Figures

Figure 1

23 pages, 1903 KB  
Article
Quantification of Total and Viable Cells and Determination of Serogroups and Antibiotic Resistance Patterns of Listeria monocytogenes in Chicken Meat from the North-Western Iberian Peninsula
by Cristina Rodríguez-Melcón, Alexandra Esteves, Sarah Panera-Martínez, Rosa Capita and Carlos Alonso-Calleja
Antibiotics 2022, 11(12), 1828; https://doi.org/10.3390/antibiotics11121828 - 16 Dec 2022
Cited by 9 | Viewed by 4042
Abstract
Twenty samples of minced chicken meat procured from butcher’s shops in León (Spain; 10 samples) and Vila Real (Portugal; 10 samples) were analyzed. Microbial concentrations (log10 cfu/g) of 7.53 ± 1.02 (viable aerobic microbiota), 7.13 ± 1.07 (psychrotrophic microorganisms), and 4.23 ± [...] Read more.
Twenty samples of minced chicken meat procured from butcher’s shops in León (Spain; 10 samples) and Vila Real (Portugal; 10 samples) were analyzed. Microbial concentrations (log10 cfu/g) of 7.53 ± 1.02 (viable aerobic microbiota), 7.13 ± 1.07 (psychrotrophic microorganisms), and 4.23 ± 0.88 (enterobacteria) were found. The detection method described in the UNE-EN ISO 11290-1 standard (based on isolation from the chromogenic medium OCLA) with confirmation by the polymerase chain reaction (PCR; lmo1030) (OCLA–PCR), revealed Listeria monocytogenes in 14 samples (70.0% of the total), nine of Spanish origin and five of Portuguese (p > 0.05). The levels of viable and inactivated L. monocytogenes in the samples were determined with a q-PCR using propidium monoazide (PMAxx) as a viability marker. Seven samples tested positive both with the OCLA–PCR and with the q-PCR, with estimated concentrations of viable cells varying between 2.15 log10 cfu/g (detection limit) and 2.94 log10 cfu/g. Three samples tested negative both with the OCLA–PCR and with the q-PCR. Seven samples were positive with the OCLA–PCR, but negative with the q-PCR, and three samples tested negative with the OCLA–PCR and positive with the q-PCR. The percentage of viable cells relative to the total ranged between 2.4% and 86.0%. Seventy isolates of L. monocytogenes (five from each positive sample) were classified in PCR serogroups with a multiplex PCR assay. L. monocytogenes isolates belonged to serogroups IIa (52 isolates; 74.3%), IIc (7; 10.0%), IVa (2; 2.9%), and IVb (9; 12.9%). The susceptibility of the 70 isolates to 15 antibiotics of clinical interest was tested. The strains presented resistance to between three and eight antibiotics. The average number of resistances was greater (p < 0.001) among strains isolated from Spanish samples (6.20 ± 1.08), than in those from Portugal (5.00 ± 1.08). In both groups of strains, a prevalence of resistance higher than 95% was observed for oxacillin, cefoxitin, cefotaxime, and cefepime. The need to handle minced chicken meat correctly, taking care to cook it sufficiently and to avoid cross-contamination, so as to reduce the danger of listeriosis, is emphasized. A combination of culture-dependent and culture-independent methods offers complementary routes for the detection in food of the cells of L. monocytogenes in various different physiological states. Full article
Show Figures

Graphical abstract

12 pages, 638 KB  
Article
An Improved Real-Time Viability PCR Assay to Detect Salmonella in a Culture-Independent Era
by Surangi H. Thilakarathna, Taryn Stokowski and Linda Chui
Int. J. Mol. Sci. 2022, 23(23), 14708; https://doi.org/10.3390/ijms232314708 - 25 Nov 2022
Cited by 16 | Viewed by 7521
Abstract
Viability PCR (vPCR) uses a DNA intercalating dye to irreversibly bind double-stranded DNA from organisms with compromised cell membranes. This allows the selective amplification of DNA from intact cells. An optimized vPCR protocol should minimize false positives (DNA from compromised cells not fully [...] Read more.
Viability PCR (vPCR) uses a DNA intercalating dye to irreversibly bind double-stranded DNA from organisms with compromised cell membranes. This allows the selective amplification of DNA from intact cells. An optimized vPCR protocol should minimize false positives (DNA from compromised cells not fully removed) and false negatives (live cell DNA bound by the dye). We aimed to optimize a vPCR protocol using PMAxx™ as the intercalating agent and Salmonella Enteritidis as the target organism. To do this, we studied (1) single vs. sequential PMAxx™ addition; (2) a wash step post-PMAxx™ treatment; (3) a change of tube post-treatment before DNA extraction. The single vs. sequential PMAxx™ addition showed no difference. Results signified that PMAxx™ potentially attached to polypropylene tube walls and bound the released DNA from PMA-treated live cells when lysed in the same tube. A wash step was ineffective but transfer of the treated live cells to a new tube minimized these false-negative results. Our optimized protocol eliminated 108 CFU/mL heat-killed cell DNA in the presence of different live cell dilutions without compromising the amplification of the live cells, minimizing false positives. With further improvements, vPCR has great potential as a culture-independent diagnostic tool. Full article
(This article belongs to the Special Issue Genomics: Infectious Disease and Host-Pathogen Interaction 2.0)
Show Figures

Graphical abstract

17 pages, 2669 KB  
Article
Point-of-Care Lateral Flow Detection of Viable Escherichia coli O157:H7 Using an Improved Propidium Monoazide-Recombinase Polymerase Amplification Method
by Alka Rani, Charles Chinyere Dike, Nitin Mantri and Andrew Ball
Foods 2022, 11(20), 3207; https://doi.org/10.3390/foods11203207 - 14 Oct 2022
Cited by 14 | Viewed by 3988
Abstract
The detection of both viable and viable but non-culturable (VBNC) Escherichia coli O157:H7 is a crucial part of food safety. Traditional culture-dependent methods are lengthy, expensive, laborious, and unable to detect VBNC. Hence, there is a need to develop a rapid, simple, and [...] Read more.
The detection of both viable and viable but non-culturable (VBNC) Escherichia coli O157:H7 is a crucial part of food safety. Traditional culture-dependent methods are lengthy, expensive, laborious, and unable to detect VBNC. Hence, there is a need to develop a rapid, simple, and cost-effective detection method to differentiate between viable/dead E. coli O157:H7 and detect VBNC cells. In this work, recombinase polymerase amplification (RPA) was developed for the detection of viable E. coli O157:H7 through integration with propidium monoazide (PMAxx). Initially, two primer sets, targeting two different genes (rfbE and stx) were selected, and DNA amplification by RPA combined with PMAxx treatment and the lateral flow assay (LFA) was carried out. Subsequently, the rfbE gene target was found to be more effective in inhibiting the amplification from dead cells and detecting only viable E. coli O157:H7. The assay’s detection limit was found to be 102 CFU/mL for VBNC E. coli O157:H7 when applied to spiked commercial beverages including milk, apple juice, and drinking water. pH values from 3 to 11 showed no significant effect on the efficacy of the assay. The PMAxx-RPA-LFA was completed at 39 °C within 40 min. This study introduces a rapid, robust, reliable, and reproducible method for detecting viable bacterial counts. In conclusion, the optimised assay has the potential to be used by the food and beverage industry in quality assurance related to E. coli O157:H7. Full article
Show Figures

Figure 1

Back to TopTop