Abstract
Solvent-exchange-induced in situ forming gel (ISG) refers to a drug delivery system that transforms from a solution state into a gel or solid matrix upon administration into the body and exposure to physiological aqueous fluid. This study investigates the molecular behavior and phase inversion process of cellulose acetate butyrate (CAB)-based in situ forming gel (ISG) formulations containing moxifloxacin (Mx) or benzydamine HCl (Bz) as model drugs dissolved in N-methyl pyrrolidone (NMP) using molecular dynamics (MD) simulations and density functional theory (DFT) calculations. The simulations reveal a solvent exchange mechanism, where the diffusion of water molecules replaces NMP, driving the formation of the CAB matrix. Bz exhibited faster diffusion and a more uniform distribution compared to Mx, which aggregated into clusters due to its larger molecular size. The analysis of the root mean square deviation (RMSD) and radius of gyration confirmed the faster diffusion of Bz, which adopted a more extended conformation, while Mx remained compact. The phase transformation was driven by the disruption of CAB-NMP hydrogen bonds, while CAB–water interactions remained limited, suggesting that CAB does not dissolve in water, facilitating matrix formation. The molecular configuration revealed that drug–CAB interactions were primarily governed by hydrophobic forces and van der Waals interactions rather than hydrogen bonding, controlling the release mechanism of both compounds. DFT calculations and electrostatic potential (ESP) maps illustrated that the acetyl group of CAB played a key role in drug–polymer interactions and that differences in CAB substitution degrees influenced the stability of drug-CAB complexes. Formation energy calculations indicated that Mx-CAB complexes were more stable than Bz-CAB complexes, resulting in a more prolonged release of Mx compared to Bz. Overall, this study provides valuable insights into the molecular behavior of CAB-based Mx-, Bz-ISG formulations.
1. Introduction
Cellulose acetate butyrate (CAB), also known as cellulose 2-acetoxypropanoate, is a cellulose-derived polymer with the molecular formula [C6H7O2-(OCOCH3)X-(OCOC3H7)Y-(OH)3-X-Y]n (Figure 1A). It is synthesized through the esterification of cellulose using acetic and butyric anhydride, typically with sulfuric acid as a catalyst [1,2]. According to its biodegradable, biocompatible, and non-toxic nature, CAB has gained considerable attention in the pharmaceutical industry, particularly in drug delivery systems [3]. CAB is widely used in tablet coatings [4], as a matrix former for controlled drug release systems [3], and in selective membranes [5]. Unlike other cellulose esters, CAB has a lower glass transition and melting temperature, allowing for easier processing without additional plasticizers. Its solubility in organic solvents also makes it highly adaptable for pharmaceutical formulations [6,7]. These characteristics make CAB an excellent candidate for in situ forming gels (ISGs), a technology designed to improve drug delivery efficiency and patient comfort [8].
Figure 1.
Structures of cellulose acetate butyrate; CAB (A), moxifloxacin; Mx (B) and benzydamine HCl; Bz (C). * the end group or substituent group.
ISGs have become increasingly popular in pharmaceutical research because of their unique liquid-to-gel transformation upon administration [9]. This transition enables easier application than solid or semi-solid implants, while providing sustained drug release and enhanced bioavailability [10,11]. ISGs have been successfully developed for nasal [12], ocular [13], dermal [14], and periodontal drug delivery [15]. Their gelation can be triggered by factors such as temperature, pH changes, or ionic interactions, ensuring localized and prolonged drug action with improved patient compliance [13,16,17]. These features make ISGs particularly useful in ophthalmic formulations, where they enhance drug retention on the cornea and minimize systemic absorption. They are also valuable in veterinary medicine, offering long-lasting drug release for better treatment outcomes [13,18,19].
In this study, CAB serves as the polymer matrix for two active compounds: moxifloxacin (Mx) and benzydamine HCl (Bz) (Figure 1B,C). Mx, a fourth-generation fluoroquinolone antibiotic, is highly effective against Gram-positive and Gram-negative bacteria, including mycobacteria. It is widely used in ocular treatments due to its strong antibacterial properties [20,21]. Bz, a non-steroidal anti-inflammatory drug (NSAID), is commonly used for pain relief and inflammation control, making it beneficial in various therapeutic applications [22]. By incorporating these drugs into a CAB-based ISG system, we aim to enhance their stability and controlled release, improving their therapeutic effectiveness over time [23].
Molecular dynamics (MD) simulations and density functional theory (DFT) were employed to investigate the interactions of these medicines within the polymer matrix. MD simulations elucidate the movement, interaction, and diffusion of drug molecules within CAB at an atomic level, providing insights into drug stability and release mechanisms [24]. DFT, on the other hand, allows us to analyze electronic properties and binding affinities, shedding light on the molecular interactions between CAB and the drugs [25]. Together, these computational techniques offer a detailed view of drug–polymer behavior, guiding the development of optimized drug delivery systems [26].
The aim of the present research is to investigate the molecular dynamics and DFT characteristics of moxifloxacin (Mx) and benzydamine HCl (Bz) within a cellulose acetate butyrate (CAB)-based in situ forming gel (ISG) system. While previous studies have explored CAB in ISG systems, there remains a lack of molecular-level understanding of how specific drug–polymer interactions and phase inversion mechanisms govern drug release profiles and matrix formation. This study uniquely integrates molecular dynamics (MD) simulations and density functional theory (DFT) calculations to reveal, for the first time, how the degree of CAB substitution and the physicochemical properties of two distinct drugs influence solvent exchange, matrix assembly, and drug release at the molecular scale. These insights provide actionable guidance for the rational design of ISG formulations with tunable release characteristics, a topic not systematically addressed in the prior literature. By elucidating the behavior of matrix formation between polymers and active compounds, this work can optimize formulation strategies for enhanced drug release profiles and therapeutic efficacy. Ultimately, this study contributes to the development of advanced drug delivery systems for sustained release and targeted action.
2. Materials and Methods
2.1. Materials
CAB 551-0.01 grade (Lot No. RP-000936), characterized by an acetyl content of 2% w/w, a butyryl content of 52% w/w, and a hydroxyl content of 2% w/w with a molecular weight of 16,000 Da, was obtained from Eastman, Katzbergstrasse, Langenfeld, Germany. Moxifloxacin (Mx) (Lot No. MN00000845) was kindly supplied by Siam Pharmaceutical Co., Bangkok, Thailand. Benzydamine HCl (Bz) powder (Batch No. 300111802007), manufactured by Bal Pharma Ltd., Bangalore, India, was provided by Interthai Pharmaceutical Manufacturing Ltd., Bangkok, Thailand. N-methyl pyrrolidone (NMP) (Lot No. 144560-118), procured from QReC, Auckland, New Zealand, was used as the solvent in this study.
2.2. Preparation of Mx- and Bz-Loaded CAB-Based ISG Formulations
The ISG formulations were prepared by dissolving either moxifloxacin (0.5% w/w) or benzydamine HCl (1.0% w/w) in NMP at concentrations of 59.5% w/w and 59.0% w/w, respectively. Cellulose acetate butyrate (CAB) was incorporated at a fixed concentration of 40% w/w in both formulations. The mixtures were homogenized using a magnetic stirrer (Benchmark H3770-HS-E Digital Hotplate Stirrer, Benchmark Scientific Inc., Sayreville, NJ, USA) in a glass container and continuously stirred for 24 h until clear solutions were obtained.
2.3. Molecular Dynamics Simulation for Phase Inversion Study
In addition to the visual observation of gel formation using macroscopic photography and inverted fluorescence microscopy following the contact of Mx-CAB and Bz-CAB ISG formulations with water [27,28], computational modeling techniques were employed to investigate phase inversion and molecular interactions within the ISG system in an aqueous environment. The structures of the key compounds were sourced from reputable databases such as PubChem and the Cambridge Crystallographic Data Centre (CCDC). For molecules that are not readily available in former databases, geometry optimization were conducted using Gaussian09 to generate the necessary parameters for molecular dynamics (MD) simulations [29]. The number of molecules and atoms in CAB was calculated based on the average degree of substitution (DS) values for acetyl, butyryl, and hydroxyl groups. The CAB used in this study contained approximately 2% w/w acetyl, 52% w/w butyryl, and 2% w/w hydroxyl groups. The number of molecules was determined by dividing the mass of CAB by the molecular weight of its repeating unit and then multiplying by Avogadro’s number. The total number of atoms was estimated based on the average molecular formula derived from the substitution pattern. The simulation models were designed according to the molar ratios of the components, including moxifloxacin (Mx), benzydamine HCl (Bz), cellulose acetate butyrate (CAB), the organic solvent N-methyl-2-pyrrolidone (NMP), and water (WAT), as detailed in Table 1.
Table 1.
MD simulation box details.
MD simulations were executed using Amber 20, a widely recognized software for molecular dynamics studies [30]. Force field parameters for each molecule were generated via the Antechamber module, applying the general AMBER force field (GAFF) to accurately capture molecular interactions. The simulated system, consisting of Mx, Bz, CAB, WAT, and NMP, was placed within a periodic boundary box and solvated with TIP3P water molecules. The system underwent initial energy minimization, followed by a gradual heating process up to 310 K using the sander module. The actual MD simulations were then carried out at the same temperature using the pmemd module, ensuring stability throughout the process.
The simulation data were analyzed with Visual Molecular Dynamics (VMD), which enabled the calculation of hydrogen bond occupancy and molecular density. Hydrogen bonds were identified based on an acceptor–donor distance of less than 3.5 Å and an angle of less than 60°. Additionally, root mean square deviation (RMSD) values for CAB, NMP, Mx, Bz, and water molecules were calculated using the cpptraj module, while diffusion constants, which provide insights into molecular mobility, were obtained from the ptraj module [31].
To enhance visualization, essential molecules were realigned along the x-, y-, or z-axes in accordance with the periodic boundary requirements, while extraneous molecules were excluded to focus on critical intermolecular interactions within the ISG system.
2.4. Formation Energy Evaluation
Density functional theory (DFT) calculations were performed to assess molecular stability and interaction energies. Structural optimizations were conducted using the B3LYP functional, which incorporates Becke’s three-parameter exchange and Lee−Yang−Parr correlation potentials [32]. Grimme’s D3BJ dispersion correction (B3LYP-D3BJ), along with the 6-31G(d,p) basis set, was applied to enhance accuracy, allowing for precise modeling of van der Waals interactions and molecular geometries [33].
All calculations were performed in a vacuum, as comparisons with the conductor-like polarizable continuum model (C-PCM) indicated that solvent effects had minimal qualitative impact. Computational analyses were carried out using Gaussian09, a powerful tool for quantum chemical calculations.
To evaluate the formation energy (Ef) and determine the stability of the drug–polymer system, the energy difference between the complexed system (Edrug−NMP) and the sum of the isolated energies of NMP (ENMP) and the drug molecule (Edrug) in their relaxed gas-phase geometries were calculated. The formation energy was determined using the equation
This combined approach of molecular dynamics simulations and DFT calculations provides a comprehensive understanding of the structural and energetic properties of the ISG system. By exploring the phase inversion mechanism and drug–polymer interactions at the molecular level, these methods offer valuable insights for optimizing CAB-based ISG formulations.
3. Results and Discussion
This study provides molecular-level insights into how drug–polymer and solvent–polymer interactions drive the phase inversion process and control drug release behavior in CAB-based in ISG systems. By employing both MD and DFT methodologies, it was able to visualize and quantify the dynamic behavior of Mx and Bz within the CAB matrix during solvent exchange. The findings highlight the significance of CAB’s substitution pattern and the structural characteristics of the drug molecules in determining their spatial distribution, interaction energy, and diffusion potential.
3.1. Molecular Dynamic Simulation
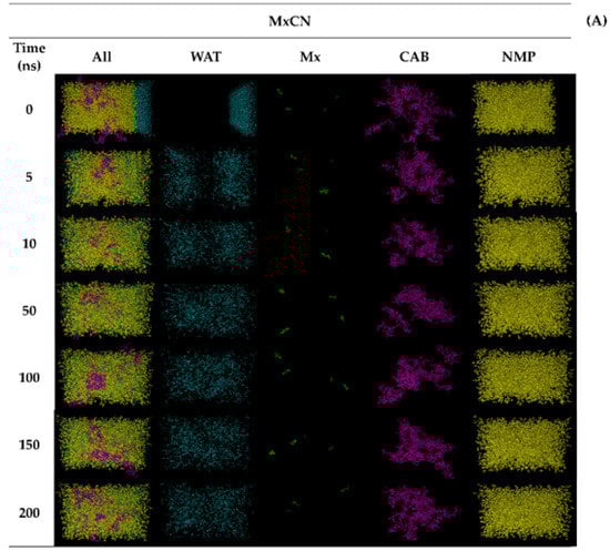
To simulate the interface region between the CAB-based ISG phase (left side box) and the aqueous phase (right side box), an experimental MD setup was designed for two formulations, MxCN and BzCN. The molecular ratio for each system was determined based on the formulation composition and water tolerance value, ensuring that the minimum water content necessary to induce phase transformation behavior was accurately represented (Figure 2).

Figure 2.
Snapshots of molecular dynamics simulations illustrating the solvent exchange mechanism in (A) MxCN and (B) BzCN, where blue, green, purple, yellow, and red molecules represent water, Mx, CAB, NMP, and Bz, respectively.
MD simulations were conducted to observe the solvent exchange mechanism, specifically tracking the movement of water molecules (WAT) from the aqueous phase into the ISG phase and the subsequent phase transformation of CAB. As depicted in Figure 2A,B, water molecules diffused from right to left until equilibrium was reached, showing no significant difference between MxCN (A) and BzCN (B). The diffusion behavior of active compounds varied between formulations; Bz molecules were uniformly distributed throughout the system, while Mx molecules exhibited clustered movement, suggesting a higher diffusion capacity for Bz compared to Mx. This behavior may be attributed to the lower molecular weight of Bz (345.9 g/mol) compared to Mx (437.9 g/mol), which facilitates faster diffusion [34,35]. The observed diffusion differences are primarily attributed to molecular size, shape, and flexibility, with hydrogen bonding and matrix microstructure playing minimal roles in this system.
Over time, CAB gradually formed a bulk structure as water molecules diffused in and NMP diffused out. The interplay of CAB’s hydrophobic substituents and the kinetics of solvent exchange effectively restrict water–polymer interactions, resulting in structured matrix formation rather than simple precipitation [36]. The structural formation in BzCN appeared to be more uniformly distributed, as indicated by the even dispersion of the purple-colored matrix throughout the simulation box. In contrast, MxCN exhibited a more clustered formation, which may suggest faster water diffusion in the BzCN system, leading to more homogeneous phase transformation within the simulation space.
3.2. Root Mean Square Deviation (RMSD) Analysis
The root mean square deviation (RMSD) parameter is frequently employed to evaluate the structural deviation of molecules from their initial conformation throughout the simulation, offering insights into their dynamic behavior over time [37]. Figure 3 presents the RMSD values for each molecular component, illustrating their movement within the system.
Figure 3.
RMSD values of each molecular component relative to their starting positions in MxCN (A) and BzCN (B) MD simulations after exposure to water.
Both MxCN (Figure 3A) and BzCN (Figure 3B) displayed a consistent trend, where RMSD values for water and NMP molecules steadily increased, confirming their active movement and exchange between phases during the simulation. This behavior aligns with the solvent exchange mechanism observed earlier (Figure 2), where water diffused in while NMP diffused out, facilitating phase transformation.
A notable difference between the two systems was the mobility of the drug molecules. Mx exhibited significantly slower movement than Bz, reaching a plateau much earlier in the simulation. This supports the previous observation that Bz achieved uniform distribution more quickly, while Mx tended to aggregate into clusters, suggesting that Bz molecules experienced less steric hindrance and moved more freely within the system.
The RMSD values for CAB gradually increased throughout the simulation in both formulations, reflecting the progressive matrix formation over time. Interestingly, a slightly higher RMSD value was observed for CAB in MxCN compared to BzCN at 200 ns, suggesting a marginally faster matrix formation in the MxCN system.
3.3. Diffusion Constant Analysis
To gain deeper insights into molecular movement and diffusion during the transformation process, diffusion constants were calculated and are presented in Table 2. These values represent the rate at which molecules travel through the system, shedding light on their mobility within the CAB-based ISG formulations [38].
Table 2.
Diffusion constants of each molecular component in the system before and after exposure to water.
A notable difference was observed between the two systems: Bz exhibited a significantly higher diffusion constant than Mx, indicating greater mobility. This trend aligns with the RMSD findings (Figure 3) and can be attributed to the smaller molecular size of Bz compared to Mx, which allows it to move more freely within the system. According to the Stokes–Einstein equation, diffusion is influenced by particle size and solvent viscosity [39]. The smaller radius of Bz reduces resistance as it moves through the medium, resulting in a higher diffusion rate [40].
Interestingly, CAB’s mobility was notably lower in the BzCN system compared to MxCN, likely due to steric hindrance caused by Bz movement, which restricted the free flow of CAB macromolecules [41]. While the diffusion constant of NMP remained relatively stable between the two formulations, WAT molecules exhibited greater movement in the BzCN system. This could be explained by the reduced steric hindrance and hydrodynamic interactions in the presence of slower-moving CAB, allowing water molecules to diffuse more efficiently throughout the phase transition process [41,42].
3.4. Radius of Gyration Analysis
To investigate the conformational changes occurring during phase transformation, the radius of gyration (Rg) was computed using Amber software. This parameter describes the spatial distribution of a polymer chain’s mass relative to its center of mass, offering key insights into the size and structural conformation of macromolecules in solution. Mathematically, the radius of gyration is defined as the square root of the mean squared distance of all mass elements from the center of mass, serving as a valuable metric for assessing polymer flexibility and compactness [43,44].
The results showed that the radius of gyration of CAB remained relatively unchanged over time in both MxCN and BzCN systems (Figure 4). This suggests that CAB did not undergo significant conformational changes during the phase inversion process, indicating that the transformation is not primarily driven by CAB movement. This observation is further supported by the lowest RMSD value of CAB (Figure 3) and its minimal diffusion constant (Table 2), reinforcing the idea that CAB’s role in phase transformation is structurally stable rather than dynamic.
Figure 4.
Radius of gyration of CAB in the MD simulations for MxCN (A) and BzCN (B).
However, both Bz and Mx exhibited an increase in radius of gyration over time (Figure 4A,B), implying that these drug molecules underwent structural changes during the transformation process. The increase in Rg over time signifies a less compact conformation, likely due to reduced intermolecular interactions as steric hindrance from the forming matrix increased [45]. Notably, Bz displayed a significantly higher radius of gyration than Mx, suggesting a more extended or flexible conformation. This structural behavior points to weaker intermolecular constraints within the polymer network and aligns with the higher diffusivity of Bz, as corroborated by its diffusion constant in Table 2 [45,46]. In addition, the observed increase in Rg and the higher Rg for Bz may result from a combination of binding-induced unfolding and polymer–drug interactions such as hydrophobic association or van der Waals contacts with the butyryl or acetyl substituents of CAB that favor a more extended configuration of Bz within the matrix.
3.5. Hydrogen Bonding Analysis
Hydrogen bonding plays a critical role in determining the stability and structural evolution of molecular systems, particularly during phase transformation. In this study, VMD software (v.1.9.4) was employed to analyze the hydrogen bonding interactions based on geometric criteria: a donor–acceptor distance of ≤3.5 Å and a bond angle of ≤60° [36]. The calculated number of hydrogen bonds for both MxCN and BzCN systems is presented in Figure 5.
Figure 5.
Temporal changes in the number of hydrogen bonds within MxCN (A) and BzCN (B) systems upon contact with water.
The results demonstrate that there was no significant variation in the overall hydrogen bond count between the two formulations. Among the various molecular interactions, CAB-NMP exhibited the highest hydrogen bonding, showing a gradual decline over time, whereas the CAB-WAT hydrogen bond interactions increased slightly. This observation suggests that the phase inversion process is primarily initiated by water diffusion, which disrupts the existing hydrogen bonds between CAB and NMP. However, given that CAB is poorly soluble in water, the formation of hydrogen bonds between CAB and water was relatively limited, contributing to the solidification of CAB and the development of a stable polymeric matrix.
Furthermore, the similar hydrogen bonding interactions in MxCN and BzCN formulations directly correlate with identical macroscopic physical properties of the in situ forming gel (ISG) solutions. The viscosity of both systems was approximately 1080 cP at room temperature and 780 cP at 37 °C, indicating a comparable rheological behavior. Additionally, the force required for injection was measured at 1.40 N for MxCN and 1.25 N for BzCN, demonstrating a minor difference in injectability properties between the two formulations [27,28]. These results reinforce the notion that the phase inversion and mechanical properties of the ISG are largely governed by solvent exchange dynamics rather than distinct hydrogen bonding patterns.
3.6. Final Configuration of CAB-Mx and CAB-Bz Interactions
The final molecular configurations of CAB-Mx and CAB-Bz at the end of the simulation are illustrated in Figure 6. In these representations, drug molecules are depicted in stick format, while CAB molecules are shown as rough surface structures, with each color corresponding to a specific element.
Figure 6.
Final molecular configurations of Mx-CAB and Bz-CAB systems at the end of the MD simulation. Drug molecules are shown as sticks, while CAB molecules are visualized as rough surface structures. The color scheme represents different elements: blue (carbon), white (hydrogen), red (oxygen), dark blue (nitrogen), and brown (fluorine).
The analysis revealed that no hydrogen bonds were formed between the drug molecules (Mx and Bz) and CAB, which aligns with the hydrogen bonding calculations presented in Figure 5. Instead, the interaction between CAB and the drug molecules was primarily governed by van der Waals forces. Specifically, hydrophobic interactions were observed between the glucose units of CAB and the quinolone ring of Mx [47], as well as between CAB and the indazole ring and dimethylaminopropane moiety of Bz [48].
These findings suggest that the sustained release of Mx and Bz from the CAB matrix is predominantly influenced by hydrophobic interactions rather than hydrogen bonding. This behavior is consistent with previous studies, which reported that the sustained release of doxorubicin within cucurbit[n]uril cavities was also primarily driven by van der Waals interactions rather than hydrogen bonding [49].
3.7. DFT Calculations
To elucidate the binding mechanisms and stability of the molecular complexes formed between the active pharmaceutical compounds, moxifloxacin (Mx) and benzydamine HCl (Bz), and the polymer cellulose acetate butyrate (CAB), density functional theory (DFT) calculations were conducted. These calculations aimed to provide insights into drug–polymer interactions, which are crucial for drug delivery applications. Geometry optimizations of Mx, Bz, and CAB were performed at the B3LYP-D3BJ/6-31G(d,p) level of theory to determine their most stable conformations. Electrostatic potential maps (ESPs) were then generated to analyze charge distributions, identifying electron-dense regions that serve as potential Lewis acid and base sites.
To mimic the real conditions of commercially available CAB, which contains varying degrees of acetate and butyrate substitutions (Figure 7A), four representative molecular models were constructed: C3B (two glucose units with three butyrate substitutions), C1A2B (one acetate and two butyrate substitutions), C1A3B (one acetate and three butyrate substitutions), and C2A2B (two acetate and two butyrate substitutions). The ESPs of these models were color-mapped to visualize electron density distributions [50], with red regions indicating high electron density (electron-rich) and blue regions corresponding to electron-deficient areas [51].

Figure 7.
(A) Three-dimensional molecular structures of Mx, Bz, and CAB with different degrees of substitution, including C3B, C1A2B, C1A3B, and C2A2B (grey, white, red, blue, and green sticks represent C, H, O, N, and F atoms, respectively). (B) Electrostatic potential maps (ESPs) of Mx complexes with CAB at varying substitution levels. (C) Electrostatic potential maps (ESPs) of Bz complexes with CAB at varying substitution levels. The ESP maps illustrate charge distribution, with color gradients indicating regions of high (red) to low electron density (blue).
For Mx-CAB complexes, the ESP analysis as depicted in Figure 7B revealed that the Mx-C3B complex exhibited the highest electron density at the oxygen atoms of the carboxyl group, suggesting strong electrostatic interactions. While in the Mx-C1A2B complex, the highest electron density was observed at the ether-linkage and glucopyranose ring oxygen atoms, followed by the oxygen atoms of the carboxyl and acetyl groups. In the Mx-C1A3B complex, the most reactive site was the oxygen atom of the acetyl group, while in the Mx-C2A2B complex, the highest electron density was distributed across both acetyl groups. Interestingly, the ESPs showed that the most reactive zones were primarily located on the CAB molecule rather than Mx, likely due to the fluorine atom in Mx causing a deshielding effect that reduces electron density in its vicinity [52].
For Bz-CAB complexes (Figure 7C), ESP analysis indicated that the Bz-C3B complex exhibited the highest electron density at the ether-linkage and hydroxyl groups of CAB, though the intensity was lower than that observed for other substitution patterns. In the Bz-C1A2B, Bz-C1A3B, and Bz-C2A2B complexes, the most reactive region consistently appeared at the oxygen atoms of the carbonyl group in the acetyl group of CAB. Notably, Bz displayed lower attraction to positive charge in all complexes, as indicated by dominant green and blue color distributions in the ESP maps. This may be due to the structure of Bz, in which three nitrogen atoms are primarily tertiary and substituted with electron-donating groups, reducing their ability to attract positive charge. These findings align with previous studies, which reported repulsive electrostatic potentials distributed throughout the Bz molecule [53]. Overall, the DFT results provide critical insights into the molecular interactions between Mx, Bz, and CAB. The analysis revealed that specific functional groups within certain regions of CAB exhibit negative electrostatic potential, indicating their role as electron donors during the binding process, highlighting the influence of electrostatic forces in stabilizing these complexes that may play a role in modulating drug release behavior in CAB-based ISG systems.
3.8. Formation Energy Calculations
The formation energies of the Mx-CAB and Bz-CAB complexes were calculated to determine the most thermodynamically favorable binding configurations, as shown in Figure 8. The formation energy values provide insight into the stability of each complex, where a lower formation energy indicates a more stable interaction, while higher values suggest weaker binding [54].
Figure 8.
Formation energy values of (A): Mx-CAB and (B): Bz-CAB complexes across different configurations, calculated at the B3LYP/6-31G(d,p) level of theory.
For Mx-CAB complexes, four to five possible configurations were identified for each degree of substitution. Among them, Mx-C2A2B exhibited the lowest formation energy at −1.93 eV, indicating the highest stability. This was followed by Mx-C1A2B and Mx-C1A3B, which showed no significant difference in formation energy. The least stable configuration was Mx-C3B, which had the highest formation energy of −1.47 eV. These results suggest that the acetyl groups in CAB play a crucial role in stabilizing the Mx-CAB complex, with a higher acetyl content leading to stronger interactions.
In contrast, Bz-CAB complexes exhibited no significant difference in formation energy across varying degrees of acetyl and butyryl substitution. The Bz-C1A2B, Bz-C1A3B, and Bz-C2A2B complexes all showed similar stability, indicating that the degree of substitution had a smaller effect on Bz binding. However, the presence of acetyl groups still contributed to stability, as Bz-C3B, which lacks acetyl groups, displayed the highest formation energy at −0.94 eV, indicating the weakest binding.
Comparing Mx-CAB and Bz-CAB, the results showed that Bz-CAB complexes were generally less stable than Mx-CAB complexes, as indicated by the higher formation energy of the most stable Bz-CAB complex (−1.47 eV for Bz-C1A3B) compared to the most stable Mx-CAB complex (−1.93 eV for Mx-C2A2B). This finding aligns with release study results, where Mx exhibited a more sustained release profile, with ~80% released by day 7 without reaching a plateau, while Bz showed complete release (100%) by day 7 [27,28]. These observations confirm that the stronger binding of Mx to CAB contributes to its prolonged release, whereas the weaker Bz-CAB interactions result in a faster release profile.
In conclusion, the formation energy analyses clearly demonstrate that the specific substitution pattern of CAB, including the proportions of butyryl, acetyl, and hydroxyl groups directly influences the strength and stability of drug–polymer interactions for both Mx and Bz. CAB variants with higher acetyl content favor more stable interactions and are thus more suitable for sustained-release systems, whereas increasing the butyryl content or reducing acetyl groups may lead to faster drug release. These findings offer guidance for tailoring CAB compositions to achieve the desired drug release profiles. This study provides valuable insights into the molecular interactions between Mx, Bz, and CAB, contributing to the rational design of CAB-based polymeric drug delivery systems for improved pharmaceutical applications.
4. Conclusions
This study utilized molecular dynamics (MD) simulations and density functional theory (DFT) calculations to explore the phase inversion process and molecular interactions in CAB-based in situ forming gel (ISG) formulations containing moxifloxacin (Mx) or benzydamine HCl (Bz). CAB’s high butyryl and acetyl substitution renders the polymer highly hydrophobic, substantially limiting its ability to form hydrogen bonds with water during solvent exchange. As N-methyl pyrrolidone (NMP) is replaced by water, the breakdown of CAB–NMP hydrogen bonds and the minimal formation of CAB–water hydrogen bonds drive the rapid aggregation of CAB chains, facilitating the transition from a solution to a structured gel matrix. The hydrophobic side chains of CAB shield the polymer backbone, causing water to be excluded and promoting a dense, phase-inverted matrix rather than simple precipitation. This matrix structure is critical for encapsulating active compounds and controlling their subsequent release. The hydrophobic side chains of CAB shield the polymer backbone, causing water to be excluded and promoting a dense, phase-inverted matrix rather than simple precipitation. The formed matrix structure is critical for encapsulating active compounds and controlling their subsequent release. The specific pattern and degree of acetyl and butyryl substitution modulate the balance between hydrophobic and polar interactions within the matrix. A higher acetyl content enhances the stability of drug–CAB complexes through stronger van der Waals and hydrophobic interactions, resulting in more sustained drug release. In contrast, increasing the butyryl content or reducing acetyl groups weakens these interactions, leading to a faster release profile. Therefore, CAB acts as both a physical barrier and a molecular modulator during phase inversion, with its substitution pattern serving as a key lever for optimizing drug encapsulation and release kinetics. Overall, this study provides valuable insights into the molecular behavior of CAB-based ISG formulations, offering a deeper understanding of phase inversion dynamics and drug release mechanisms. These findings can help guide the design and optimization of injectable ISG systems for sustained drug delivery applications.
Author Contributions
Conceptualization and Experimental design, K.J., N.P. and W.T.; Investigation and Data collection, N.P., W.T., P.T., N.Y. and J.S.; Data evaluation and Interpretation, K.J., P.T., N.P. and T.P.; Writing—Original Draft Preparation, K.J.; Writing—Review and Editing, W.T., S.M.T.R., J.S. and T.P.; Supervision, P.T., N.Y. and J.S.; Project administration and Funding acquisition, T.P. All authors have read and agreed to the published version of the manuscript.
Funding
This research was supported with grant No. 195979 funded by the Thailand Science Research and Innovation (TSRI) National Science, Research, and Innovation Fund (NSRF), as the Fundamental Fund (Fiscal Year 2024).
Institutional Review Board Statement
Not applicable.
Data Availability Statement
Data are contained within the article and available upon request.
Acknowledgments
The researchers are grateful to the Thailand Science Research and Innovation (TSRI) National Science, Research, and Innovation Fund (NSRF), for the Fundamental Fund (Fiscal Year 2024). The authors express sincere gratitude to School of Pharmacy, Walailak University, Faculty of Pharmacy, Chiang Mai University, Faculty of Science-Faculty of Pharmacy, Silpakorn University, and Synchrotron Light Research Institute, Thailand, for their support and motivation. The authors express sincere gratitude to University of Pharmacy, Mandalay, Myanmar for support.
Conflicts of Interest
The authors declare no conflicts of interest.
Abbreviations
The following abbreviations are used in this manuscript:
| Mx | Moxifloxacin |
| Bz | Benzydamine HCl |
| CAB | Cellulose acetate butyrate |
| MD | Molecular dynamics |
| DFT | Density functional theory |
| ISG | In situ forming gel |
| NMP | N-methyl pyrrolidone |
| WAT | Water |
References
- Mohamed, E.M.; Khuroo, T.; Afrooz, H.; Dharani, S.; Sediri, K.; Cook, P.; Arunagiri, R.; Khan, M.A.; Rahman, Z. Development of a Multivariate Predictive Dissolution Model for Tablets Coated with Cellulose Ester Blends. Pharmaceuticals 2020, 13, 311. [Google Scholar] [CrossRef]
- Wang, W.; Li, L.; Jin, S.; Wang, Y.; Lan, G.; Chen, Y. Study on Cellulose Acetate Butyrate/Plasticizer Systems by Molecular Dynamics Simulation and Experimental Characterization. Polymers 2020, 12, 1272. [Google Scholar] [CrossRef]
- Khaing, E.M.; Lertsuphotvanit, N.; Thammasut, W.; Rojviriya, C.; Chansatidkosol, S.; Phattarateera, S.; Pichayakorn, W.; Phaechamud, T. Cellulose Acetate Butyrate-Based in Situ Gel Comprising Doxycycline Hyclate and Metronidazole. Polymers 2024, 16, 3477. [Google Scholar] [CrossRef]
- Ali, R.; Walther, M.; Bodmeier, R. Cellulose Acetate Butyrate: Ammonio Methacrylate Copolymer Blends as a Novel Coating in Osmotic Tablets. AAPS PharmSciTech 2018, 19, 148–154. [Google Scholar] [CrossRef]
- Asgarkhani, M.A.H.; Mousavi, S.M.; Saljoughi, E. Cellulose Acetate Butyrate Membrane Containing TiO2 Nanoparticle: Preparation, Characterization and Permeation Study. Korean J. Chem. Eng. 2013, 30, 1819–1824. [Google Scholar] [CrossRef]
- Podshivalov, A.; Besson, F.; Budtova, T.; Bronnikov, S. Morphology and Improved Impact Strength of Cellulose Acetate Butyrate Blended with Polyethylene Copolymer. Express Polym. Lett. 2018, 12, 856–866. [Google Scholar] [CrossRef]
- Shanbhag, A.; Barclay, B.; Koziara, J.; Shivanand, P. Application of Cellulose Acetate Butyrate-Based Membrane for Osmotic Drug Delivery. Cellulose 2007, 14, 65–71. [Google Scholar] [CrossRef]
- Karimi, Z.; Taymouri, S.; Minaiyan, M.; Mirian, M. Evaluation of Thermosensitive Chitosan Hydrogel Containing Gefitinib Loaded Cellulose Acetate Butyrate Nanoparticles in a Subcutaneous Breast Cancer Model. Int. J. Pharm. 2022, 624, 122036. [Google Scholar] [CrossRef]
- Chantadee, T.; Santimaleeworagun, W.; Phorom, Y.; Chuenbarn, T.; Phaechamud, T. Vancomycin HCl-Loaded Lauric Acid in Situ-Forming Gel with Phase Inversion for Periodontitis Treatment. J. Drug Deliv. Sci. Technol. 2020, 57, 101615. [Google Scholar] [CrossRef]
- ElShagea, H.N.; Makar, R.R.; Salama, A.H.; Elkasabgy, N.A.; Basalious, E.B. Investigating the Targeting Power to Brain Tissues of Intranasal Rasagiline Mesylate-Loaded Transferosomal In Situ Gel for Efficient Treatment of Parkinson’s Disease. Pharmaceutics 2023, 15, 533. [Google Scholar] [CrossRef]
- Khan, S.; Warade, S.; Singhavi, D.J. Improvement in Ocular Bioavailability and Prolonged Delivery of Tobramycin Sulfate Following Topical Ophthalmic Administration of Drug-Loaded Mucoadhesive Microparticles Incorporated in Thermosensitive In Situ Gel. J. Ocul. Pharmacol. Ther. 2017, 34, 287–297. [Google Scholar] [CrossRef]
- Kulkarni, J.A.; Avachat, A.M. Pharmacodynamic and Pharmacokinetic Investigation of Cyclodextrin-Mediated Asenapine Maleate In Situ Nasal Gel for Improved Bioavailability. Drug Dev. Ind. Pharm. 2017, 43, 234–245. [Google Scholar] [CrossRef] [PubMed]
- Kumar, D.; Jain, N.; Gulati, N.; Nagaich, U. Nanoparticles Laden In Situ Gelling System for Ocular Drug Targeting. J. Adv. Pharm. Technol. Res. 2013, 4, 9–17. [Google Scholar] [CrossRef]
- Couffin-Hoarau, A.C.; Motulsky, A.; Delmas, P.; Leroux, J.C. In Situ-Forming Pharmaceutical Organogels Based on the Self-Assembly of L-Alanine Derivatives. Pharm. Res. 2004, 21, 454–457. [Google Scholar] [CrossRef]
- Rein, S.M.T.; Lwin, W.W.; Tuntarawongsa, S.; Phaechamud, T. Meloxicam-Loaded Solvent Exchange-Induced In Situ Forming Beta-Cyclodextrin Gel and Microparticle for Periodontal Pocket Delivery. Mater. Sci. Eng. C 2020, 117, 111275. [Google Scholar] [CrossRef]
- Kurniawansyah, I.S.; Rusdiana, T.; Sopyan, I.; Subarnas, A. A Review on Poloxamer and Hydroxy Propyl Methyl Cellulose Combination as Thermoresponsive Polymers in Novel Ophthalmic In Situ Gel Formulation and Their Characterization. Int. J. Appl. Pharm. 2021, 13, 27–31. [Google Scholar] [CrossRef]
- Thapa, R.; Pandey, P.; Parat, M.O.; Gurung, S.; Parekh, H.S. Phase Transforming In Situ Gels for Sustained and Controlled Transmucosal Drug Delivery via the Intravaginal Route. Int. J. Pharm. 2024, 655, 124054. [Google Scholar] [CrossRef]
- Makwana, S.B.; Patel, V.A.; Parmar, S.J. Development and Characterization of In-Situ Gel for Ophthalmic Formulation Containing Ciprofloxacin Hydrochloride. Results Pharma Sci. 2016, 6, 1–6. [Google Scholar] [CrossRef]
- Yu, Z.-G.; Geng, Z.-X.; Liu, T.-F.; Jiang, F. In Vitro and In Vivo Evaluation of an In Situ Forming Gel System for Sustained Delivery of Florfenicol. J. Vet. Pharmacol. Ther. 2015, 38, 271–277. [Google Scholar] [CrossRef] [PubMed]
- Gillespie, S.H.; Billington, O. Activity of Moxifloxacin against Mycobacteria. J. Antimicrob. Chemother. 1999, 44, 393–395. [Google Scholar] [CrossRef] [PubMed]
- Kesarla, R.; Tank, T.; Vora, P.A.; Shah, T.; Parmar, S.; Omri, A. Preparation and Evaluation of Nanoparticles Loaded Ophthalmic In Situ Gel. Drug Deliv. 2016, 23, 2363–2370. [Google Scholar] [CrossRef]
- Alaiye, A.; Kaya, E.; Pınarbaşlı, M.Ö.; Harmancı, N.; Yıldırım, C.; Dönmez, D.B.; Cingi, C. An Experimental Comparison of the Analgesic and Anti-Inflammatory Effects of Safflower Oil, Benzydamine HCl, and Naproxen Sodium. J. Med. Food 2020, 23, 862–869. [Google Scholar] [CrossRef]
- Blachechen, L.S.; de Mesquita, J.P.; de Paula, E.L.; Pereira, F.V.; Petri, D.F.S. Interplay of Colloidal Stability of Cellulose Nanocrystals and Their Dispersibility in Cellulose Acetate Butyrate Matrix. Cellulose 2013, 20, 1329–1342. [Google Scholar] [CrossRef]
- Subashini, M.; Devarajan, P.V.; Sonavane, G.S.; Doble, M. Molecular Dynamics Simulation of Drug Uptake by Polymer. J. Mol. Model. 2011, 17, 1141–1147. [Google Scholar] [CrossRef]
- Kairys, V.; Baranauskiene, L.; Kazlauskiene, M.; Matulis, D.; Kazlauskas, E. Binding Affinity in Drug Design: Experimental and Computational Techniques. Expert Opin. Drug Discov. 2019, 14, 755–768. [Google Scholar] [CrossRef] [PubMed]
- López-Ramírez, E.; Chapa-González, C.; Martínez-Peréz, C.A.; Escobedo-González, R.; Nicolás Vázquez, M.I.; Medellín-Rodríguez, F.; García-Casillas, P.E. Citrulline Malate Transdermal Delivery through Integrating into Polyvinyl Alcohol (PVA) Nanofibers. J. Drug Deliv. Sci. Technol. 2021, 64, 102630. [Google Scholar] [CrossRef]
- Thammasut, W.; Senarat, S.; Tuntarawongsa, S.; Narakornwit, W.; Rojviriya, C.; Pichayakorn, W.; Phaechamud, T. Development of Benzydamine HCl Loaded-Cellulose Acetate Butyrate In Situ Forming Gels for Periodontal Treatment. J. Drug Deliv. Sci. Technol. 2024, 101, 106147. [Google Scholar] [CrossRef]
- Thammasut, W.; Rojviriya, C.; Chaiya, P.; Phaechamud, T.; Limsitthichaikoon, S. Moxifloxacin HCl -Loaded Cellulose Acetate Butylate In Situ Forming Gel for Periodontitis Treatment. AAPS PharmSciTech 2024, 25, 242. [Google Scholar] [CrossRef]
- O’Malley, A.J.; Catlow, C.R.A. Molecular Dynamics Simulations of Longer N-Alkanes in Silicalite: State-of-the-Art Models Achieving Close Agreement with Experiment. Phys. Chem. Chem. Phys. 2015, 17, 1943–1948. [Google Scholar] [CrossRef] [PubMed]
- Dobrev, P.; Donnini, S.; Groenhof, G.; Grubmüller, H. Accurate Three States Model for Amino Acids with Two Chemically Coupled Titrating Sites in Explicit Solvent Atomistic Constant PH Simulations and PKa Calculations. J. Chem. Theory Comput. 2017, 13, 147–160. [Google Scholar] [CrossRef]
- Bowler, D.R.; Miyazaki, T. Methods in Electronic Structure Calculations. Rep. Prog. Phys. 2012, 75, 36503. [Google Scholar] [CrossRef]
- Shaikhullina, R.M.; Hrapkovsky, G.M.; Shaikhullina, M.M. N-Propyl Nitrate Vibrational Spectrum Analysis Using DFT B3LYP Quantum-Chemical Method. J. Phys. Conf. Ser. 2018, 1015, 32125. [Google Scholar] [CrossRef]
- Andermatt, S.; Cha, J.; Schiffmann, F.; VandeVondele, J. Combining Linear-Scaling DFT with Subsystem DFT in Born-Oppenheimer and Ehrenfest Molecular Dynamics Simulations: From Molecules to a Virus in Solution. J. Chem. Theory Comput. 2016, 12, 3214–3227. [Google Scholar] [CrossRef]
- Sharma, D.; Sharma, A.; Garg, R. Design, Development and In Vitro/Ex Vivo Evaluation of Mucoadhesive Buccal Film of Benzydamine Hydrochloride for the Effective Treatment of Aphthous Stomatitis. Recent Pat. Drug Deliv. Formul. 2018, 12, 277–294. [Google Scholar] [CrossRef] [PubMed]
- Kumar, S.; Sindhu, S.K.; Kumar, P.; Sharma, A.; Sagadevan, S. Determination of Moxifloxacin Hydrochloride in AVELOX Pharmacological Formulations Using Modified Potentiometer Sensors. Polimery 2021, 66, 589–601. [Google Scholar] [CrossRef]
- Puyathorn, N.; Tamdee, P.; Sirirak, J.; Okonogi, S.; Phaechamud, T.; Chantadee, T. Computational Insight of Phase Transformation and Drug Release Behaviour of Doxycycline-Loaded Ibuprofen-Based In-Situ Forming Gel. Pharmaceutics 2023, 15, 2315. [Google Scholar] [CrossRef] [PubMed]
- Maruyama, Y.; Igarashi, R.; Ushiku, Y.; Mitsutake, A. Analysis of Protein Folding Simulation with Moving Root Mean Square Deviation. J. Chem. Inf. Model. 2023, 63, 1529–1541. [Google Scholar] [CrossRef]
- Nagai, T.; Tsurumaki, S.; Urano, R.; Fujimoto, K.; Shinoda, W.; Okazaki, S. Position-Dependent Diffusion Constant of Molecules in Heterogeneous Systems as Evaluated by the Local Mean Squared Displacement. J. Chem. Theory Comput. 2020, 16, 7239–7254. [Google Scholar] [CrossRef]
- Chan, T.C.; Lee, I.; Chan, K.S. Effect of Solvent on Diffusion: Probing with Nonpolar Solutes. J. Phys. Chem. B 2014, 118, 10945–10955. [Google Scholar] [CrossRef]
- Wei, X.; Mares, J.W.; Gao, Y.; Li, D.; Weiss, S.M. Biomolecule Kinetics Measurements in Flow Cell Integrated Porous Silicon Waveguides. Biomed. Opt. Express 2012, 3, 1993–2003. [Google Scholar] [CrossRef][Green Version]
- Ando, T.; Skolnick, J. Crowding and Hydrodynamic Interactions Likely Dominate In Vivo Macromolecular Motion. Proc. Natl. Acad. Sci. USA 2010, 107, 18457–18462. [Google Scholar] [CrossRef]
- Echeverria, C.; Kapral, R. Enzyme Kinetics and Transport in a System Crowded by Mobile Macromolecules. Phys. Chem. Chem. Phys. 2015, 17, 29243–29250. [Google Scholar] [CrossRef] [PubMed]
- Muthukumar, M. Counterion Adsorption Theory of Dilute Polyelectrolyte Solutions: Apparent Molecular Weight, Second Virial Coefficient, and Intermolecular Structure Factor. J. Chem. Phys. 2012, 137, 34902. [Google Scholar] [CrossRef] [PubMed]
- Ali, F.; Negash, B.M.; Siddiqui, N.A.; Ridha, S.; Khosravi, V.; Haq, I.U. CO2/Water Interfacial Tension under Induced Acidic Conditions Employing Dissipative Particle Dynamics Simulations. Energy Fuels 2024, 38, 15515–15532. [Google Scholar] [CrossRef]
- Hossain, M.D.; Reid, J.C.; Lu, D.; Jia, Z.; Searles, D.J.; Monteiro, M.J. Influence of Constraints within a Cyclic Polymer on Solution Properties. Biomacromolecules 2018, 19, 616–625. [Google Scholar] [CrossRef]
- Leelaprachakul, T.; Kubo, A.; Umeno, Y. Coarse-Grained Molecular Dynamics Simulation of Polycarbonate Deformation: Dependence of Mechanical Performance by the Effect of Spatial Distribution and Topological Constraints. Polymers 2023, 15, 43. [Google Scholar] [CrossRef] [PubMed]
- Medellín-Luna, M.F.; Hernández-López, H.; Castañeda-Delgado, J.E.; Martinez-Gutierrez, F.; Lara-Ramírez, E.; Espinoza-Rodríguez, J.J.; García-Cruz, S.; Portales-Pérez, D.P.; Cervantes-Villagrana, A.R. Fluoroquinolone Analogs, SAR Analysis, and the Antimicrobial Evaluation of 7-Benzimidazol-1-Yl-Fluoroquinolone in In Vitro, In Silico, and In Vivo Models. Molecules 2023, 28, 6018. [Google Scholar] [CrossRef]
- Ősz, B.-E.; Jîtcă, G.; Sălcudean, A.; Rusz, C.M.; Vari, C.-E. Benzydamine—An Affordable Over-the-Counter Drug with Psychoactive Properties—From Chemical Structure to Possible Pharmacological Properties. Pharmaceuticals 2023, 16, 566. [Google Scholar] [CrossRef]
- Hasanzade, Z.; Raissi, H. Molecular Mechanism for the Encapsulation of the Doxorubicin in the Cucurbit[n]Urils Cavity and the Effects of Diameter, Protonation on Loading and Releasing of the Anticancer Drug:Mixed Quantum Mechanical/Molecular Dynamics Simulations. Comput. Methods Programs Biomed. 2020, 196, 105563. [Google Scholar] [CrossRef]
- Quintero-Álvarez, F.G.; Rojas-Mayorga, C.K.; Mendoza-Castillo, D.I.; Aguayo-Villarreal, I.A.; Bonilla-Petriciolet, A. Physicochemical Modeling of the Adsorption of Pharmaceuticals on MIL-100-Fe and MIL-101-Fe MOFs. Adsorpt. Sci. Technol. 2022, 2022, 4482263. [Google Scholar] [CrossRef]
- Mottishaw, J.D.; Erck, A.R.; Kramer, J.H.; Sun, H.; Koppang, M. Electrostatic Potential Maps and Natural Bond Orbital Analysis: Visualization and Conceptualization of Reactivity in Sangers Reagent. J. Chem. Educ. 2015, 92, 1846–1852. [Google Scholar] [CrossRef]
- Habata, Y.; Akabori, S. Teaching 1H NMR Spectrometry Using Computer Modeling. J. Chem. Educ. 2001, 78, 121. [Google Scholar] [CrossRef]
- Essassaoui, H.; Bouhdadi, R.; Echajia, M.; Zeroual, A.; Tounsi, A.; Mbarki, M.; Jadida, E. Quantum Mechanical Descriptors of Indazole-Containing Derivatives Using the DFT Method. Eur. Rev. Chem. Res. 2019, 6, 12–22. [Google Scholar] [CrossRef]
- Qu, J.; Feng, X.; Wang, T.; Li, Z.; Lin, C.; Liu, X.; Legut, D.; Zhang, Q. Design of Non-Transition-Metal-Doped Nanoribbon Catalysis to Achieve Efficient Nitrogen Fixation. Mater. Adv. 2021, 2, 7423–7430. [Google Scholar] [CrossRef]
Disclaimer/Publisher’s Note: The statements, opinions and data contained in all publications are solely those of the individual author(s) and contributor(s) and not of MDPI and/or the editor(s). MDPI and/or the editor(s) disclaim responsibility for any injury to people or property resulting from any ideas, methods, instructions or products referred to in the content. |
© 2025 by the authors. Licensee MDPI, Basel, Switzerland. This article is an open access article distributed under the terms and conditions of the Creative Commons Attribution (CC BY) license (https://creativecommons.org/licenses/by/4.0/).