Next Article in Journal
The Use of Compost and Arbuscular Mycorrhizal Fungi and Their Combination to Improve Tomato Tolerance to Salt Stress
Next Article in Special Issue
Rehmannia glutinosa RgMATE35 Participates in the Root Secretion of Phenolic Acids and Modulates the Development of Plant Replant Disease
Previous Article in Journal
Antioxidant Active Phytochemicals in Ternstroemia lineata Explained by Aquaporin Mechanisms
 
 
Font Type:
Arial Georgia Verdana
Font Size:
Aa Aa Aa
Line Spacing:
Column Width:
Background:
Article

Methionine Synthase 2 Represses Stem Cell Maintenance of Arabidopsis thaliana in Response to Salt Stress

State Key Laboratory of Cellular Stress Biology, Xiamen Key Laboratory for Plant Genetics, School of Life Sciences, Xiamen University, Xiamen 361102, China
*
Author to whom correspondence should be addressed.
These authors contributed equally to this work.
Plants 2024, 13(16), 2224; https://doi.org/10.3390/plants13162224
Submission received: 23 June 2024 / Revised: 31 July 2024 / Accepted: 7 August 2024 / Published: 10 August 2024

Abstract

Salt stress represses the growth and development of plants that mainly depend on the continual propagation and differentiation of stem cells. WUSCHEL (WUS)/WUSCHEL-RELATED HOMEOBOX (WOX) family proteins determine stem cell fate in plants under ever-changing environments. It is not yet known how plant stem cell homeostasis is regulated under salt stress. Methionine synthase catalyzes the formation of methionine by methylating homocysteine in the one-carbon metabolism pathway. In this work, we investigated the role of Arabidopsis METHIONINE SYNTHASE 2 (AtMS2) in stem cell homeostasis under salt stress. The results showed that AtMS2 represses the stem cell maintenance of Arabidopsis in response to salt stress. Under normal growth conditions, AtMS2 is mainly localized in the cytoplasm. However, under salt stress, it exhibits significant accumulation in the nucleus. AtMS2 interacts with the WUS/WOX protein, and, together, they repress WUS/WOX expression by binding to its promoter. The mutation in AtMS2 resulted in enhanced salt tolerance. Therefore, AtMS2 might act as a key negative regulator to repress the stem cell maintenance and growth of Arabidopsis under salt stress.

1. Introduction

The continual propagation and differentiation of totipotent stem cells provide an essential basis for the postembryonic development of plants. WUSCHEL (WUS) expressed in the organization center regulates stem cell propagation and activates CLAVATA3 (CLV3) expression by moving to stem cell regions in the shoot apical meristem (SAM) [1,2,3]. Stem cell homeostasis in SAM is determined by a WUS-CLV3 feedback inhibition loop [4]. WUS protein regulates SAM development via the activation or repression of downstream genes by directly binding to different DNA motifs in the promoter region of these genes [5,6,7,8,9]. As another key shoot meristem regulator, SHOOT MERISTEMLESS (STM) is also involved in the WUS-CLV3 loop by interacting with WUS as a complex [10]. The WOX5 and WOX4 proteins of WUSCHEL-RELATED HOMEOBOX (WOX) family determine stem cell homeostasis in the root apical meristem (RAM) and vascular meristem (VM), respectively [11,12,13]. Plants have to face the ever-changing environment, which might be unfavorable for growth and development. Plants show developmental plasticity as an acclimation strategy via the modulation of their apical meristem activity after sensing the internal stress signal and external environmental stress [14,15,16,17]. High salt content in the soil is also a major environmental stress that represses plant growth and development. The response and developmental changes of plants to salt stress, as well as the underlying molecular mechanisms for salt perception and signaling, have been extensively investigated in recent decades [18,19,20]. It was reported that salt stress represses root growth by decreasing root meristem activity [21]. Salt stress decreases root meristem size by triggering the accumulation of nitric oxide, which further reduces auxin levels by decreasing PINFORMED (PIN) expression and represses auxin signaling by stabilizing INDOLE-3-ACETIC ACID17 (IAA17) [22]. Under salt stress, the activated SALT OVERLY SENSITIVE (SOS) signaling pathway also maintains meristem activity and primary root growth by stabilizing APETALA2 (AP2)-domain transcription factor PLETHORAs (PLT1 and PLT2) [23]. The condensation of STM in the nucleus is also required for maintaining the shoot meristem; moreover, nuclear STM condensation is stimulated by salt stress and allows for enhanced salt tolerance [24]. So far, the mechanism employed for stem cell maintenance in different apical meristems under salt stress is still largely unknown.
Methionine (Met) is essential for the synthesis of proteins and the production of cellular S-adenosylmethionine, with the latter acting as the universal activated methyl donor for the majority of the methylation process of DNA, RNA, proteins, and metabolites [25]. In Arabidopsis, three cobalamin-independent methionine synthase isoforms including cytosolic AtMS1 (AT5G17920), cytosolic AtMS2 (AT3G03780), and plastid AtMS3 (AT5G20980) catalyze the regeneration of Met from homocysteine in the one-carbon metabolism pathway [26]. AtMS1 mutation causes a lower cellular Met level and reduces S-adenosylmethionine accessibility to DNA or histone methyltransferases, resulting in a significant reduction in the genome-wide DNA methylation level [27]. Mutations in AtMS2 or AtMS3 only cause a slight reduction in cellular Met content and have no effect on the genome-wide DNA methylation level [27]. In Arabidopsis, S-adenosylmethionine is predominantly synthesized by methionine adenosyltransferase 4/S-adenosyl-Met synthetase 3 (MAT4/AtSAMS3) using Met and ATP as substrates. The MAT4/AtSAMS3 mutation causes a reduction in cellular S-adenosylmethionine content and decreases the methylation level of DNA and histone [28]. It was also reported that the MAT4/AtSAMS3 mutation causes Arabidopsis to be hypersensitive to salt stress, while the overexpression of S-adenosyl-Met synthetase 2 from sugar beet increases the tolerance of Arabidopsis to salt and oxidative stress [29]. It seems that the one-carbon metabolism pathway plays a pivotal role in plant salt tolerance by regulating the genome-wide DNA methylation level. It remains to be elucidated whether the one-carbon metabolism pathway can regulate WUS/WOX expression and apical meristem activity under salt stress.
In our previous work, we identified AtMS2 as a possible WUS promoter-binding protein through a DNA pull-down assay using biotin-labeled WUS promoter fragments followed by mass spectrometry identification [30]. A possible link was indicated between the one-carbon metabolism pathway and stem cell maintenance. Therefore, the role of AtMS2 in stem cell maintenance under salt stress was further examined in this work. Our results showed that AtMS2 might repress WUS/WOX expression and stem cell maintenance of plants under salt stress.

2. Results

2.1. AtMS2 Binds to the WUS/WOX Promoter

Both the WUS and WOX5 proteins were previously reported to form protein complexes with other proteins, which further activate WUS/WOX expression by binding to the TAAT motif in the WUS/WOX promoter [30,31,32]. Since the AtMS2 protein was identified as a possible WUS promoter-binding protein [30], we further examined whether AtMS2 might also bind to the WUS/WOX promoter by interacting with WUS/WOX5 using the electrophoretic mobility shift assay (EMSA). The purified MBP (maltose-binding protein):WUS fusion protein bound to Texas red-labeled WUS promoter probes containing a TAAT motif, but not to mutant probes with the TAAT motif substituted by GGGG (Figure 1a). MBP:AtMS2 alone failed to bind to the WUS promoter probe, but caused a super shift of the WUS promoter probe in the presence of the MBP:WUS protein (Figure 1a), suggesting that AtMS2 might bind to the WUS promoter probe by interacting with WUS. Consistently, MBP:AtMS2 also caused a super shift of a Texas red-labeled WOX5 promoter probe in the presence of the MBP:WOX5 protein in an EMSA assay (Figure 1b). These results demonstrated that AtMS2 can bind to the WUS/WOX5 promoter by interacting with WUS/WOX5. The binding of AtMS2 to the WUS/WOX promoter was further confirmed by a Chromatin immunoprecipitation (ChIP) experiment using 3-day-old 35Spro::AtMS2:HA seedling expressing the HA-tagged AtMS2 protein. The abundance of the examined regions in the WUS, WOX5, and WOX4 promoters, but not the control exon region of the WUS gene, was significantly increased in the ChIP analysis (Figure 1c). Therefore, the AtMS2 protein might bind to the WUS, WOX5, and WOX4 promoters in Arabidopsis. In addition, the growth and leaf differentiation of some 35Spro::AtMS2:HA lines were completely compressed after germination, demonstrating that the overexpression of AtMS2 might repress the growth and development of Arabidopsis (Figure 1d,e). The effects of the AtMS2 protein on the activity of the WUS/WOX promoter were further examined in Nicotiana benthamiana leaf epidermal cells using dual-luciferase assays. GFP:WUS and AtMS2:HA proteins were transiently expressed in Nicotiana benthamiana leaf epidermal cells, and luciferase reporter activity in WUSpro::LUC was measured. Luciferase activity was significantly increased in the presence of the GFP:WUS protein, suggesting that WUS binds to and activates the WUS promoter. On the other hand, luciferase activity decreased significantly when GFP:WUS and AtMS2:HA were co-expressed (Figure 1f). Similar results were obtained when GFP:WOX5 or GFP:WOX4 were co-expressed with AtMS2:HA and when the activity of WOX5 or WOX4 promoter was measured (Figure 1g,h). These results demonstrated that AtMS2 might repress WUS/WOX expression by forming a protein complex with the WUS/WOX protein and by binding to the WUS/WOX promoter.

2.2. AtMS2 Interacts with WUS/WOX as a Complex

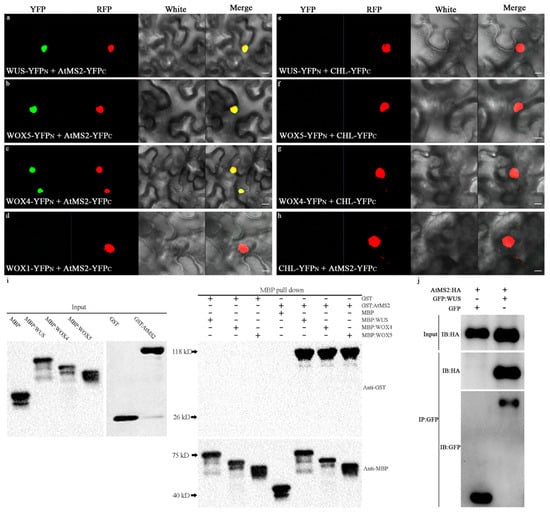
To further examine the interaction between the AtMS2 and WUS/WOX proteins, a bimolecular fluorescence complementation (BiFC) assay was performed in leaf epidermal cells of Nicotiana benthamiana. The Coilin:RFP protein was transiently expressed in epidermal cells as a nucleus marker [33]. Strong fluorescence of YFP and RFP was observed in the nucleus of many epidermal cells when AtMS2 in fusion with the C-terminal half of YFP (AtMS2-YFPC) and WUS in fusion with the N-terminal half of YFP (WUS-YFPN), as well as Coilin:RFP protein, were transiently co-expressed in Nicotiana benthamiana epidermal cells (Figure 2a). Therefore, AtMS2 might interact with WUS in the nucleus. AtMS2 also interacted with WOX5 and WOX4 in the nucleus of leaf epidermal cells in the BiFC assay (Figure 2b,c), while it failed to interact with WOX1, which is another member of the WOX family (Figure 2d). YFP fluorescence was not observed in negative control assays either (Figure 2e–h). The interaction between AtMS2 and WUS/WOX was further examined by an in vitro pull-down assay. The results showed that the purified AtMS2 protein fused with GST can directly interact with MBP:WUS, MBP:WOX5, and MBP:WOX4 proteins but not with the MBP protein (Figure 2i). In addition, the AtMS2 protein was demonstrated to interact with the WUS protein in Nicotiana benthamiana epidermal cells in a co-immunoprecipitation assay (Co-IP) (Figure 2j). Taken together, the above results demonstrated that AtMS2 can directly interact with WUS, WOX5, and WOX4.

2.3. Salt Stress Regulates the Expression and Subcellular Localization of AtMS2

To further examine the subcellular localization of AtMS2 protein in response to salt stress, the 35Spro::AtMS2:GFP construct was generated and directly introduced into 35Spro::Coilin:RFP transgenic plants. AtMS2:GFP was mainly observed in the cytoplasm in 5-day-old 35Spro::AtMS2:GFP 35Spro::Coilin:RFP seedlings grown on MS media (Figure 3a). However, AtMS2:GFP clearly accumulated in the nucleus in 5-day-old 35Spro::AtMS2:GFP 35Spro::Coilin:RFP seedlings grown on media supplemented with 80 mM of NaCl (Figure 3b), suggesting that salt stress can trigger the accumulation of AtMS2 in the nucleus. Salt stress causes osmotic stress and an increase in the abscisic acid (ABA) content of plants [34,35,36]. Salt stress also causes the flooding of reactive oxygen species (ROS), which act as a signaling molecule to trigger downstream gene expression [37]. The subcellular localizations of AtMS2:GFP protein were further examined in a 35Spro::AtMS2:GFP plant subjected to sorbitol, ABA, or H2O2 treatment. The results showed that the accumulation of AtMS2:GFP protein in the nucleus can be triggered by 0.6 M sorbitol or 2 mM H2O2 treatment, but not by 180 μM ABA treatment (Figure S1). Therefore, the accumulation of AtMS2 in the nucleus might result from the osmotic stress and/or ROS accumulation triggered by salt stress.
To further examine the expression pattern of AtMS2, a 7234 bp genomic sequence of the AtMS2 gene including a 2841 bp promoter region, 3139 bp coding region, and 1253 bp 3′downstream region was cloned to create gAtMS2::GFP:GUS plants that express the AtMS2:GFP:GUS fusion protein under the control of the AtMS2 promoter. GUS staining showed that AtMS2:GFP:GUS is expressed in young seedling, shoots, and all floral organs in flowers after the germination of several independent lines (Figure S2). When 5-day-old gAtMS2::GFP:GUS seedlings were germinated and grown on MS medium containing NaCl, the expression level of the AtMS2:GFP:GUS protein was clearly increased in comparison with that in control seedlings (Figure 3c,d). Furthermore, AtMS2:GFP:GUS protein also clearly accumulated in the nucleus of root cells under salt stress (Figure 3d). Therefore, salt stress promotes the expression of the AtMS2 gene and the nuclear accumulation of AtMS2 protein.

2.4. AtMS2 Represses WUS/WOX Expression under Salt Stress

To explore the role of the AtMS2 gene in regulating the expression of WUS in Arabidopsis under salt stress, an atms2 knockout mutant was identified by reverse transcription polymerase chain reaction (RT-PCR) analysis (Figure S3). The gWUS::GFP:GUS plant was used to create gWUS::GFP:GUS atms2 plants via genetic crossing. GUS staining showed that the protein level of WUS:GFP:GUS was clearly decreased in 7-day-old gWUS::GFP:GUS plants grown on media containing NaCl at different concentrations (Figure 4a–c). Consistently, the SAM of WT was flattened in the presence of 120 mM NaCl (Figure 4c). However, WUS:GFP:GUS was expressed at a relatively higher level in gWUS::GFP:GUS atms2 plants in comparison with gWUS::GFP:GUS plants when grown on media containing NaCl (Figure 4d–f). To explore the roles of AtMS2 in regulating the expression of WOX5 and WOX4 proteins in Arabidopsis under salt stress, gWOX5::GFP:GUS atms2 and gWOX4::GFP:GUS atms2 plants were also created by crossing. WOX5:GFP:GUS and WOX4:GFP:GUS proteins were also expressed at a higher level in gWOX5::GFP:GUS atms2 and gWOX4::GFP:GUS atms2 plants in comparison with gWOX5::GFP:GUS and gWOX4::GFP:GUS plants, respectively, upon NaCl treatment (Figure 4g–r). RT-qPCR analysis also showed that the expression level of WUS, WOX5, WOX4, and WUS downstream target CLV3 in 5-day-old atms2 mutant was already higher than that in WT under normal growth conditions, demonstrating that the nuclear localization of AtMS2 and the repressive effect of AtMS2 on WUS/WOX expression can be observed even under normal growth conditions. In the presence of 80 mM of NaCl, the expression of WUS, WOX5, WOX4, and CLV3 in 5-day-old atms2 mutant increased to a higher level in comparison with that of the 5-day-old WT seedlings (Figure 4s–v), demonstrating the predominant repression of WUS/WOX expression by AtMS2 under salt stress. In addition, the expression of WUS and WOX4 mRNA in WT seedlings was not changed, while WOX5 mRNA in WT seedlings was also slightly increased in the presence of 80 mM NaCl, demonstrating that in response to salt stress, the expression of WUS/WOX might be regulated at transcriptional and post-transcriptional levels by many promotive and inhibitory factors, including AtMS2. Taken together, AtMS2 represses the expression of the WUS/WOX gene when it is subjected to salt stress.

2.5. AtMS2 Represses Plant Growth and Development under Salt Stress

The same 7.324 Kb AtMS2 genomic sequence used for the gAtMS2::GFP:GUS construct was also used to create the gAtMS2 construct, which was introduced into the atms2 mutant for the complementation test. The germination and growth of 7-day-old WT, atms2, gAtMS2 atms2, and 35Spro::AtMS2:GFP seedlings on media containing NaCl at different concentrations were examined. After sowing on the control MS medium for 7 days, the germination ratio of the 35Spro::AtMS2:GFP seed was clearly lower than that of the WT, atms2, and gAtMS2 atms2 seeds (Figure 5a,d), suggesting the nuclear localization of AtMS2:GFP protein even under normal growth conditions. On the MS medium containing 120 mM NaCl, the germination ratio of the 35Spro::AtMS2:GFP seedling was more strongly reduced in comparison with other seedlings, suggesting that the overexpression of AtMS2 protein causes hypersensitivity to salt stress (Figure 5b,d). On the medium containing 160 mM of NaCl, the germination ratio of atms2 was higher than that of WT and gAtMS2 atms2, demonstrating that atms2 was insensitive to salt stress (Figure 5c,d). When 2-day-old WT, atms2, gAtMS2 atms2, and 35Spro::AtMS2:GFP seedlings grown on control MS media were transferred to MS media containing NaCl at different concentrations for another 5 days, atms2 mutants had longer primary roots and a higher percentage of seedlings with true leaves than that of the WT and gAtMS2 atms2 seedlings, while the 35Spro::AtMS2:GFP seedling exhibited the opposite phenotypes (Figure 5e,f and Figure S4). These results demonstrated that AtMS2 represses plant growth and development under salt stress. To examine the effects of long-term NaCl treatment on the growth and development of the atms2 mutant, the WT and atms2 mutant were grown on soil and watered with 40 mM NaCl once per week. After a two-month NaCl treatment, the inflorescent shoot development of WT was clearly suppressed, while the inflorescent shoot of the atms2 mutant grew up and produced flowers as those of the control plants under normal growth conditions (Figure 5g,h). Therefore, the loss of function of AtMS2 enhanced the salt tolerance of Arabidopsis.

AtMS2 Mutation Does Not Affect Met Content under Salt Stress

Met is converted into S-adenosylmethionine by methionine adenosyltransferase 4 in the one-carbon metabolism pathway, and cellular S-adenosylmethionine content further determines the salt tolerance of Arabidopsis by regulating the genome-wide DNA methylation level [28,29]. The effect of Met treatment on the salt tolerance of WT and the atms2 mutant were further examined. The results showed that the addition of 1 mM Met to the medium significantly increases the root length of WT and the atms2 mutant grown on the medium containing 80 mM NaCl, suggesting that Met can enhance the salt tolerance of both WT and atms2 (Figure 6a,b). It was reported that the AtMS2 mutation only caused a slight reduction in cellular Met content under normal growth conditions [27]. In this work, cellular Met content was further examined in WT and the atms2 mutant subjected to NaCl treatment. Actually, Met content was slightly increased in WT and the atms2 mutant in the presence of 80 mM NaCl, while there was no significant difference between WT and the atms2 mutant (Figure 6c). Taken together, although Met can enhance the salt tolerance of Arabidopsis, the AtMS2 protein might cause the repression of growth and development under salt stress. Therefore, the atms2 mutant had the same Met content as WT under salt stress but showed enhanced salt tolerance in comparison with WT.

3. Discussion

The stem cell homeostasis of SAM is maintained by a WUS-CLV3 feedback inhibition loop [4]. The secreted CLV3 peptide can bind to its receptors, including the leucine-rich repeat receptor-like kinases (LRR-RLK) CLV1/2, CORYNE, BARELY ANY MERISTEM1 (BAM1), and CLAVATA3 INSENSITIVE RECEPTOR KINASES (CIKs), on the plasma membrane, resulting in the final downregulation of WUS expression [4,38,39,40]. It has been revealed that a clv3 mutant and a clv1 bam1 double mutant exhibit the tolerant phenotype of SAM development to salt stress, which is independent of typical stress-responsive genes [41]. Since the loss of function of CLV3 or the interruption of its signaling pathway definitely enhances WUS expression, these results indicate a possibility that a high level of WUS expression might increase SAM tolerance to salt stress by promoting stem cell maintenance. So far, it still remains largely unknown how salt signaling is involved in the WUS-CLV3 framework during SAM acclimation to salt stress. More work is still required to explore the interaction between salt stress and stem cells.
In this work, the results show that salt stress can increase the expression of AtMS2 and promote the accumulation of AtMS2 in the nucleus (Figure 3). AtMS2 can interact with WUS/WOX protein and further represses the expression of the WUS/WOX gene by binding to its promoter (Figure 2 and Figure 4). Consistently, the atms2 mutant has a higher WUS/WOX expression level under salt stress and shows enhanced salt tolerance, while the overexpression of AtMS2 causes hypersensitivity of plants to salt stress (Figure 5). These results demonstrate that AtMS2 can be recruited into a transcriptional complex that represses WUS/WOX expression and plant growth under salt stress. Taken together, our signaling model proposes that AtMS2 might act as a negative regulator to repress meristem activity in response to salt stress (Figure 7).
Both AtMS1 and AtMS2 encode a cytosolic methionine synthase, while only the AtMS1 mutation significantly reduces cellular Met content and the DNA methylation level [27]. This might be the reason that the complete loss of function of AtMS1 causes the lethal phenotype but not that of AtMS2 [27]. In Arabidopsis, Met is further converted into S-adenosylmethionine by MAT4/AtSAMS3, and the MAT4/AtSAMS3 mutation also reduces cellular S-adenosylmethionine content and the methylation level of DNA and histones [28]. The MAT4/AtSAMS3 mutation also causes the hypersensitivity of Arabidopsis to salt stress, while the overexpression of S-adenosyl-Met synthetase 2 increases Arabidopsis tolerance to salt stress [29]. Consistently, our results also show that Met treatment enhances the salt tolerance of WT and atms2 possibly because a high level of Met might enhance the catalytic reaction from Met to S-adenosylmethionine in the one-carbon metabolism pathway (Figure 6a). Therefore, the one-carbon metabolism pathway might play a positive role in plant salt tolerance by regulating the cellular level of Met and S-adenosylmethionine, which further affect the methylation level of DNA and histones. Unlike the major contribution of AtMS1 to Met biosynthesis, the AtMS2 mutation does not significantly decrease Met content (Figure 6c) [27]. According to the positive role of Met in salt tolerance, it should have been expected that atms2 has reduced plant salt tolerance. However, our results show that atms2 enhances plant salt tolerance and that the overexpression of AtMS2 causes plants to be hypersensitive to salt stress (Figure 4). It seems that AtMS2 might play a predominant role in the repression of plant growth under salt stress in addition to its minor role in Met biosynthesis. Clearly, the repressive role of AtMS2 in WUS/WOX expression and plant growth under salt stress might not be related to its catalytic activity and cellular Met content. Therefore, AtMS2 inhibits plant growth under salt stress by repressing meristem activity as a transcriptional factor but fails to increase plant salt tolerance by promoting Met biosynthesis as a metabolic enzyme.
In addition, AtMS1 also interacts with WUS/WOX in the BiFC assay (Figure S5), suggesting that AtMS1 might also be recruited into a transcriptional complex with the WUS/WOX protein. Furthermore, the overexpression of AtMS1:HA protein also causes the hypersensitivity of 35Spro::AtMS1:HA plants to salt stress (Figure S6). These results demonstrate that AtMS1 might also act as a negative factor to repress plant growth under salt stress, although its catalytic product Met plays a positive role in plant salt tolerance. Therefore, AtMS1 has more complicated and contradictory roles in WUS/WOX expression, Met metabolism, genome-wide DNA methylation, and plant growth under salt stress.
The moonlighting function of methionine synthase provides a new signaling pathway for salt stress to sensitively repress meristem activity and plant growth. Although the complete loss of function of AtMS1 causes a lethal phenotype [27], the loss of function of AtMS2 confers that plants have enhanced salt tolerance, suggesting that AtMS2 might be used as a salt tolerance marker for future crop breeding.

4. Materials and Methods

4.1. Plant Materials

Arabidopsis thaliana of Columbia ecotype (Col-0) was used as wild type. The atms2 mutant (Salk_143628) was obtained from the European Arabidopsis Stock Centre. The gWUS::GFP:GUS, gWOX5::GFP:GUS, and gWOX4::GFP:GUS plants have been described in a recent report [30]. Arabidopsis and tobacco (Nicotiana benthamiana) seedlings were cultivated on soil with 120 μmol·m−2·s−1 white light under long day hours (16 h light/8 h dark) at 22 °C.

4.2. Plasmid Construction for Transgenic Plants

The putative 2.841 kb AtMS2 promoter (−1–−2481 bp) was cloned into pB7GW2 vector to create pB7GW2_ AtMS2pro by replacing 35S promoter. The 3.139 kb AtMS2 coding region and 1.253 kb 3′ downstream region were cloned into the Xba I site before GFP gene and Spe I site behind GUS gene in pDONR201_GFP:GUS vector, individually, to create pDONR201_gAtMS2:GFP:GUS for the in-frame fusion of AtMS2 with GFP:GUS gene. The gAtMS2:GFP:GUS fusion gene was further cloned into pB7GW2_AtMS2pro to create gAtMS2::GFP:GUS construct using LR clonase (Invitrogen, Carlsbad, CA, USA). The AtMS2 genomic region containing 3.139 kb coding region and 1.253 kb 3′ downstream region was also cloned into the pB7GW2_AtMS2pro to create gAtMS2 construct. AtMS2 and AtMS1 cDNA were cloned into pDONR201 to create pDONR201_ AtMS2 and pDONR201_ AtMS1, respectively. The HA tag and GFP were cloned into the pDONR201_AtMS2 and the pDONR201_ AtMS1 to create pDONR201_AtMS2:HA, pDONR201_AtMS1:HA and pDONR201-AtMS2:GFP, respectively. These genes harbored in the pDONR201 were further cloned into pK2GW7 to create 35Spro::AtMS2:HA, 35Spro::AtMS1:HA, and 35Spro::AtMS2:GFP constructs, respectively. All constructs were transformed into an Agrobacterium tumefaciens PMP90 strain to generate transgenic plants via the floral dip transformation [42].

4.3. Protein Purification

The AtMS2 cDNA was cloned into the pGEX-4T-1 to express GST:AtMS2 protein. The AtMS2, WUS, WOX5, and WOX4 were also cloned into the pMBP-c vector to express MBP:AtMS2, MBP:WUS, MBP:WOX5, and MBP:WOX4 proteins, respectively. These proteins were expressed in E. coli BL21 using 1.0 mM isopropyl β-D-1-thiogalactopyranoside (IPTG) at 16 °C for 12 h and were purified with glutathione resin (Thermo Scientific, Waltham, MA, USA) and amylose resin (New England Bio-Labs, Ipswich, MA, USA), respectively.

4.4. In Vitro Pull-Down Assay

The MBP:WUS, MBP:WOX5, MBP:WOX4, and MBP were immobilized on amylose resin and incubated with GST:AtMS2 or GST in a reaction buffer (50 mM Tris-HCl, pH 7.4, 200 mM NaCl, 5.0% glycerol, 1.5% Triton X-100, 10 mM NaF, 1.0 mM Na3VO4 and 1.0 mM phenylmethylsulfonyl fluoride) for 1.5 h at 4 °C with rotation. The amylose resin was then washed three times and subjected to immunoblot analysis to detect the precipitated GST:AtMS2 protein using an anti-GST antibody (Cell Signaling Technology, Beverly, MA, USA).

4.5. Bimolecular Fluorescence Complementation (BiFC) Assays

The AtMS2 and AtMS1 cDNA were cloned into the p2YC vector containing C-terminal half of YFP to express the fusion proteins of AtMS2-YFPC and AtMS1-YFPC, respectively. The vectors expressing WUS-YFPN, WOX4-YFPN, WOX5-YFPN, and WOX1-YFPN, individually, have been already described in a recent report [30]. The 35Spro::Coilin:RFP construct was also used to express the nucleus-localized Coilin:RFP protein. The Agrobacterium tumefaciens harboring p2YC, p2YN, and 35Spro::Coilin:RFP plasmids were mixed at the ratio of 1:1:1 and infiltrated into Nicotiana benthamiana leaves. YFP fluorescence and RFP fluorescence were examined 2 d after the Agrobacterium infiltration.

4.6. Fluorescence Scanning

GFP fluorescence, YFP fluorescence, and RFP fluorescence were examined using a confocal laser scanning microscope (Zeiss LSM 780, Jena, Germany) with excitation/emission values of 488 nm/495–545 nm, 513 nm/495–545 nm and 561 nm/578–636 nm, respectively. The laser intensity was usually set between 700 and 800.

4.7. Chromatin Immunoprecipitation (ChIP)

Around 3 g of 3-day-old 35Spro::AtMS2:HA seedlings grown on medium containing 80 mM NaCl was harvested and fixed with 1% formaldehyde (v/w) under vacuum. ChIP-qPCR was performed with four independent biological samples as described previously [31]. The primers used for ChIP-qPCR are listed in Supplemental Table S1.

4.8. Transactivation Assay in Nicotiana Benthamiana

The WUSpro::LUC, WOX5pro::LUC, and WOX4pro::LUC dual-luciferase reporters, as well as 35Spro::GFP:WOX5, 35Spro::GFP:WUS, 35Spro::GFP:WOX4, and 35Spro::GFP constructs, have been described in a recent report [30]. The dual-luciferase reporters in combination with different effectors (35Spro::AtMS2:HA, 35Spro::GFP, 35Spro::GFP:WUS, 35Spro::GFP:WOX5, and 35Spro::GFP:WOX4) harbored in Agrobacterium were infiltrated into Nicotiana benthamiana leaves. The activities of firefly luciferase (FLuc) and renilla luciferase (REN) were examined with 4 independent biological samples using a dual-luciferase assay kit (Promega, Madison, WI, USA) on a Promega GloMax® 20/20 luminometer.

4.9. Electrophoretic Mobility Shift Assay (EMSA)

The WUS promoter probe (5’-CTAGAATGAATAATAAAAAAAG TGAAAACCGTTTGATCATAA-3’), WUS mutant probe (5′-CTAGAATGA AGGGGAAAAAAAGTGAAAACCGTTTGATCATAA-3’), and WOX5 promoter probe (5’-TGAATTTGTTCTCCTTTAATTTGTGGTGACTCGCACACACTT-3′) labeled with Texas red at 5′ end were used for EMSA assay. The unlabeled probes were used for competition experiments. WUS/WOX5 promoter probe in combination with MBP, MBP:WUS/MBP:WOX5, and MBP:AtMS2 were incubated in a total volume of 20 μL binding buffer (10 mM Hepes-KOH pH 7.8, 20 mM KCl, 10 mM MgCl2, 1 mM DTT, 0.1% BSA, 5% glycerol, 0.5% Triton-X100, 20 ng/μL salmon sperm DNA) at 22 °C for 30 min as in a recent report [30]. Then, the reaction products were resolved on 6% polyacrylamide gel and visualized using a ChemiDoc XRS molecular imaging system (Bio-Rad, Hercules, CA, USA).

4.10. Co-Immunoprecipitation

The 35Spro::GFP:WUS and 35Spro::GFP in combination with 35Spro::AtMS2:HA were transiently expressed in leaves of 4-week-old Nicotiana benthamiana through the Agrobacterium infiltration to examine the interaction between AtMS2 and WUS following the protocol described in an earlier report [31].

4.11. NaCl Treatment

To examine the effects of salt stress on germination ratio, seeds were geminated and grown on Murashige and Skoog (MS) medium containing NaCl at different concentrations in a growth chamber with an irradiance of 120 μmol·m−2·s−1 white light at 22 °C. For long-term NaCl treatment, 5-day-old WT and atms2 seedlings were transplanted on soil and watered with 40 mM NaCl at 50 mL per pot once a week.

4.12. RNA Isolation and Real-Time Quantitative RT-PCR

Thirty-milligram seedlings were collected to extract total RNA using an EastepTM Total RNA Super Extraction Kit (Promega, USA). The isolated total RNA around 500 ng was reverse transcribed in a 20 μL reaction mixture using a PrimeScript™II 1st Strand cDNA Synthesis Kit (Takara, Osaka, Japan). The real-time quantitative PCR was performed using a SYBR Premix ExTaq II kit (Takara, Japan) with the CFX96 Touch TM real-time PCR detection system (Bio-Rad, USA). Three replicate assays were performed with independent RNA samples. Actin2 was examined as a reference gene. All primers used for RT-qPCR analysis are listed in Supplemental Table S1.

4.13. Measurement of Met Content

Five-day-old 25 mg seedlings were collected and frozen in liquid nitrogen. Samples were ground into powder and resuspended in 300 μL H2O. Samples were centrifuged at 12,000× g for 20 min at 4 °C; then, the supernatant was transferred into a new tube following freeze drying and resuspended in 100 μL 50% acetonitrile (v/v) for LC-MS analysis using an ACQUITY UPLC I-class system (Waters, Milford, MA, USA) connected to a QTRAP 6500+ mass spectrometer (AB SCIEX, Framingham, MA, USA). Data were acquired in a multiple reaction monitoring (MRM) model. The survey scan covered an m/z range of 150.1–104.1. Met at different concentrations (0.32, 1.6, 8, 40, 200 μg × mL−1) was also measured for standard curve. Three independent samples were examined for 5-day-old WT and atms2 mutant grown on MS medium containing 80 mM NaCl or not, individually.

4.14. Histochemical Localization of Gus Activity

The histological analysis of β-glucuronidase activity was performed as in a reported protocol [43]. To examine the effects of NaCl treatment on the β-glucuronidase activity in gWUS::GFP:GUS, gWOX5::GFP:GUS, and gWOX4::GFP:GUS plants, at least 60 seedlings were used for GUS staining with incubation in GUS staining solution for 8 h, 4 h, and 6 h, individually.

4.15. Accession Numbers

Sequence data for these genes in this report can be found in the Arabidopsis Genome Initiative with the following accession numbers: WUS (At2g17950), WOX5 (At3g11260), WOX4 (At1g46480), AtMS2 (At3g03780), and AtMS1 (At5g17920).

Supplementary Materials

The following supporting information can be downloaded at: https://www.mdpi.com/article/10.3390/plants13162224/s1, Figure S1: The accumulation of AtMS2:GFP protein in the nucleus can be triggered by osmotic stress and H2O2 treatment, but not by ABA treatment. The 5-day-old 35Spro::AtMS2:GFP seedlings were immersed in a control PBS solution (a), 180 µM ABA (b), 2 mM H2O2 (c), and 0.6 M sorbitol (d) for 24 h before GFP scanning. Scale bars = 200 µm; Figure S2: The expression pattern of AtMS2 gene in gAtMS2::GFP:GUS plant. (a) Diagram of gAtMS2::GFP:GUS construct. (b,c) AtMS2:GFP:GUS protein is universally expressed in 3-day-old gAtMS2::GFP:GUS seedling (b) and gAtMS2::GFP:GUS seedling with true leaves differentiated (c) by GUS staining. (d–f) AtMS2:GFP:GUS protein is universally expressed in silique (d), fluorescent meristem (e) and flower (f) by GUS staining. Scale bar = 0.5 mm (a), 2.0 mm (b–d), 5.0 mm (e), and 1.5 mm (f); Figure S3: The expression of AtMS2 mRNA in atms2 mutant by RT-PCR. The AtMS2 mRNA at full length was detected in WT seedling, but not atms2 mutant, by RT-PCR at 36 amplification cycles. Actin2 was examined as a reference gene by RT-PCR at 24 amplification cycles. Four independent samples were examined; Figure S4: The phenotype of root meristem of WT, atms2 and 35Spro::AtMS2:GFP plants. The 35Spro::AtMS2:GFP plant has a shorter root apical meristem in comparison with WT and atms2 plants. The root of 5-day-old seedlings was stained by propidium iodide. Scale bar = 100 µm; Figure S5: AtMS1 protein interacts with WUS/WOX in the nucleus. (a–g) Bimolecular fluorescence complementation in Nicotiana benthamiana epidermal cells. AtMS1:YFPC protein in combination with WUS:YFPN (a), WOX5:YFPN (b), and WOX4:YFPN (c), respectively, was colocalized with Coilin:RFP protein in nucleus. WOX1:YFPN, and Chloramphenicol Acetyltransferase (CHL):YFPN were used in control assays (d–g). Scale bar = 40 µm; Figure S6: Overexpression of AtMS1 represses plant growth under salt stress. (a,b) The growth phenotype of 5-day-old WT and 35Spro::AtMS1:HA seedlings on media containing 80 mM NaCl in comparison with control media (a). Scale bar = 1.0 cm; Table S1: Primers used in ChIP analysis and RT-qPCR analysis.

Author Contributions

J.Q., M.C., F.L., X.C. and Z.C. performed all the experiments; J.Q. and M.C. analyzed the data and prepared figures; T.H. designed the experiments and wrote this article. All authors have read and agreed to the published version of the manuscript.

Funding

This research received no external funding.

Data Availability Statement

The data that support the findings of this study are available within the paper and its Supplementary Materials online.

Acknowledgments

We thank Yi Tao for critically reading this paper.

Conflicts of Interest

The authors declare no competing financial interest in relation to this study.

References

  1. Laux, T.; Mayer, K.F.; Berger, J.; Jürgens, G. The WUSCHEL gene is required for shoot and floral meristem integrity in Arabidopsis. Development 1996, 122, 87–96. [Google Scholar] [CrossRef]
  2. Mayer, K.F.; Schoof, H.; Haecker, A.; Lenhard, M.; Jürgens, G.; Laux, T. Role of WUSCHEL in regulating stem cell fate in the Arabidopsis shoot meristem. Cell 1998, 95, 805–815. [Google Scholar] [CrossRef]
  3. Yadav, R.K.; Perales, M.; Gruel, J.; Girke, T.; Jönsson, H.; Reddy, G.V. WUSCHEL protein movement mediates stem cell homeostasis in the Arabidopsis shoot apex. Genes Dev. 2011, 25, 2025–2030. [Google Scholar] [CrossRef]
  4. Schoof, H.; Lenhard, M.; Haecker, A.; Mayer, K.F.; Jürgens, G.; Laux, T. The stem cell population of Arabidopsis shoot meristems in maintained by a regulatory loop between the CLAVATA and WUSCHEL genes. Cell 2000, 100, 635–644. [Google Scholar] [CrossRef]
  5. Busch, W.; Miotk, A.; Ariel, F.D.; Zhao, Z.; Forner, J.; Daum, G.; Suzaki, T.; Schuster, C.; Schultheiss, S.J.; Leibfried, A.; et al. Transcriptional control of a plant stem cell niche. Cell 2010, 18, 849–861. [Google Scholar] [CrossRef] [PubMed]
  6. Yadav, R.K.; Perales, M.; Gruel, J.; Ohno, C.; Heisler, M.; Girke, T.; Jönsson, H.; Reddy, G.V. Plant stem cell maintenance involves direct transcriptional repression of differentiation program. Mol. Syst. Biol. 2013, 9, 654. [Google Scholar] [CrossRef]
  7. Perales, M.; Rodriguez, K.; Snipes, S.; Yadav, R.K.; Diaz-Mendoza, M.; Reddy, G.V. Threshold-dependent transcriptional discrimination underlies stem cell homeostasis. Proc. Natl. Acad. Sci. USA 2016, 113, E6298–E6306. [Google Scholar] [CrossRef]
  8. Ma, Y.; Miotk, A.; Šutiković, Z.; Ermakova, O.; Wenzl, C.; Medzihradszky, A.; Gaillochet, C.; Forner, J.; Utan, G.; Brackmann, K.; et al. WUSCHEL acts as an auxin response rheostat to maintain apical stem cells in Arabidopsis. Nat. Commun. 2019, 10, 5093. [Google Scholar] [CrossRef] [PubMed]
  9. Sloan, J.; Hakenjos, J.P.; Gebert, M.; Ermakova, O.; Gumiero, A.; Stier, G.; Wild, K.; Sinning, I.; Lohmann, J.U. Structural basis for the complex DNA binding behavior of the plant stem cell regulator WUSCHEL. Nat. Commun. 2020, 11, 2223. [Google Scholar] [CrossRef]
  10. Su, Y.H.; Zhou, C.; Li, Y.J.; Yu, Y.; Tang, L.P.; Zhang, W.J.; Yao, W.J.; Huang, R.; Laux, T.; Zhang, X.S. Integration of pluripotency pathways regulates stem cell maintenance in the Arabidopsis shoot meristem. Proc. Natl. Acad. Sci. USA 2020, 117, 22561–22571. [Google Scholar] [CrossRef] [PubMed]
  11. Hirakawa, Y.; Kondo, Y.; Fukuda, H. TDIF peptide signaling regulates vascular stem cell proliferation via the WOX4 homeobox gene in Arabidopsis. Plant Cell 2010, 22, 2618–2629. [Google Scholar] [CrossRef]
  12. Ji, J.; Strable, J.; Shimizu, R.; Koenig, D.; Sinha, N.; Scanlon, M.J. WOX4 promotes procambial development. Plant Physiol. 2010, 152, 1346–1356. [Google Scholar] [CrossRef]
  13. Pi, L.; Aichinger, E.; van der Graaff, E.; Llavata-Peris, C.I.; Weijers, D.; Hennig, L.; Groot, E.; Laux, T. Organizer-derived WOX5 signal maintains root columella stem cells through chromatin-mediated repression of CDF4 expression. Dev. Cell 2015, 33, 576–588. [Google Scholar] [CrossRef] [PubMed]
  14. Pfeiffer, A.; Wenzl, C.; Lohmann, J.U. Beyond flexibility: Controlling stem cells in an ever changing environment. Curr. Opin. Plant Biol. 2017, 35, 117–123. [Google Scholar] [CrossRef]
  15. Janocha, D.; Lohmann, J.U. From signals to stem cells and back again. Curr. Opin. Plant Biol. 2018, 45, 136–142. [Google Scholar] [CrossRef] [PubMed]
  16. Zeng, J.; Li, X.; Ge, Q.; Dong, Z.; Luo, L.; Tian, Z.; Zhao, Z. Endogenous stress-related signal directs shoot stem cell fate in Arabidopsis thaliana. Nat. Plants 2021, 7, 1276–1287. [Google Scholar] [CrossRef] [PubMed]
  17. Yang, S.; Lee, H. Salinity-triggered responses in plant apical meristems for developmental plasticity. Int. J. Mol. Sci. 2023, 24, 6647. [Google Scholar] [CrossRef]
  18. Park, H.J.; Kim, W.Y.; Yun, D.J. A new insight of salt stress signaling in plant. Mol. Cells 2016, 39, 447–459. [Google Scholar] [CrossRef]
  19. Yang, Y.; Guo, Y. Elucidating the molecular mechanisms mediating plant salt-stress responses. New Phytol. 2018, 217, 523–539. [Google Scholar] [CrossRef]
  20. Arif, Y.; Singh, P.; Siddiqui, H.; Bajguz, A.; Hayat, S. Salinity induced physiological and biochemical changes in plants: An omic approach towards salt stress tolerance. Plant Physiol. Biochem. 2020, 156, 64–77. [Google Scholar] [CrossRef]
  21. West, G.; Inzé, D.; Beemster, G.T. Cell cycle modulation in the response of the primary root of Arabidopsis to salt stress. Plant Physiol. 2004, 135, 1050–1058. [Google Scholar] [CrossRef] [PubMed]
  22. Liu, W.; Li, R.J.; Han, T.T.; Cai, W.; Fu, Z.W.; Lu, Y.T. Salt stress reduces root meristem size by nitric oxide-mediated modulation of auxin accumulation and signaling in Arabidopsis. Plant Physiol. 2015, 168, 343–356. [Google Scholar] [CrossRef] [PubMed]
  23. Hao, R.; Zhou, W.; Li, J.; Luo, M.; Scheres, B.; Guo, Y. On salt stress, PLETHORA signaling maintains root meristems. Dev. Cell 2023, 58, 1657–1669. [Google Scholar] [CrossRef]
  24. Cao, X.; Du, Q.; Guo, Y.; Wang, Y.; Jiao, Y. Condensation of STM is critical for shoot meristem maintenance and salt tolerance in Arabidopsis. Mol. Plant 2023, 16, 1445–1459. [Google Scholar] [CrossRef]
  25. Sauter, M.; Moffatt, B.; Saechao, M.C.; Hell, R.; Wirtz, M. Methionine salvage and S-adenosylmethionine: Essential links between sulfur, ethylene and polyamine biosynthesis. Biochem. J. 2013, 451, 145–154. [Google Scholar] [CrossRef]
  26. Ravanel, S.; Block, M.A.; Rippert, P.; Jabrin, S.; Curien, G.; Rébeillé, F.; Douce, R. Methionine metabolism in plants: Chloroplasts are autonomous for de novo methionine synthesis and can import S-adenosylmethionine from the cytosol. J. Biol. Chem. 2004, 279, 22548–22557. [Google Scholar] [CrossRef]
  27. Yan, X.; Ma, L.; Pang, H.; Wang, P.; Liu, L.; Cheng, Y.; Cheng, J.; Guo, Y.; Li, Q. Methionine Synthase1 is involved in chromatin silencing by maintaining DNA and histone methylation. Plant Physiol. 2019, 181, 249–261. [Google Scholar] [CrossRef] [PubMed]
  28. Meng, J.; Wang, L.; Wang, J.; Zhao, X.; Cheng, J.; Yu, W.; Jin, D.; Li, Q.; Gong, Z. Methionine Adenosyltransferase 4 mediates DNA and histone methylation. Plant Physiol. 2018, 177, 652–670. [Google Scholar] [CrossRef]
  29. Ma, C.; Wang, Y.; Gu, D.; Nan, J.; Chen, S.; Li, H. Overexpression of S-Adenosyl-l-Methionine synthetase 2 from Sugar Beet M14 increased Arabidopsis tolerance to salt and oxidative Stress. Int. J. Mol. Sci. 2017, 18, 847. [Google Scholar] [CrossRef]
  30. Li, Y.; Sun, W.; Yao, Y.; Zhang, L.; Xu, S.; Zhang, Q.; Huang, T. FRUCTOSE INSENSITIVE1 regulates stem cell function in Arabidopsis in response to fructose signaling. J. Exp. Bot. 2023, 74, 3060–3073. [Google Scholar] [CrossRef]
  31. Jia, T.Q.; Li, F.; Liu, S.; Dou, J.; Huang, T. DnaJ proteins regulate WUS expression in shoot apical meristem of Arabidopsis. Plants 2021, 10, 136. [Google Scholar] [CrossRef]
  32. Zhan, S.; Zhang, Q.; Yao, Y.; Cui, Y.; Huang, T. Cytosolic isocitrate dehydrogenase regulates plant stem cell maintenance in response to nutrient deficiency. Plant Physiol. 2023, 192, 3069–3087. [Google Scholar] [CrossRef]
  33. Collier, S.; Pendle, A.; Boudonck, K.; van Rij, T.; Dolan, L.; Shaw, P. A distant coilin homologue is required for the formation of cajal bodies in Arabidopsis. Mol. Biol. Cell 2006, 17, 2942–2951. [Google Scholar] [CrossRef] [PubMed]
  34. Zhu, J.K. Salt and drought stress signal transduction in plants. Annu. Rev. Plant Biol. 2002, 53, 247–273. [Google Scholar] [CrossRef]
  35. Zhang, J.; Jia, W.; Yang, J.; Ismail, A.M. Role of ABA in integrating plant responses to drought and salt stresses. Field Crops Res. 2006, 97, 111–119. [Google Scholar] [CrossRef]
  36. Munns, R.; Tester, M. Mechanisms of salinity tolerance. Annu. Rev. Plant Biol. 2008, 59, 651–681. [Google Scholar] [CrossRef]
  37. Castro, B.; Citterico, M.; Kimura, S.; Stevens, D.M.; Wrzaczek, M.; Coaker, G. Stress-induced reactive oxygen species compartmentalization, perception and signaling. Nat. Plants 2021, 7, 403–412. [Google Scholar] [CrossRef]
  38. Müller, R.; Bleckmann, A.; Simon, R. The receptor kinase CORYNE of Arabidopsis transmits the stem cell-limiting signal of CLAVATA3 independently of CLAVATA1. Plant Cell 2008, 20, 934–946. [Google Scholar] [CrossRef] [PubMed]
  39. Hu, C.; Zhu, Y.; Cui, Y.; Cheng, K.; Liang, W.; Wei, Z.; Zhu, M.; Yin, H.; Zeng, L.; Xiao, Y. A group of receptor kinases are essential for CLAVATA signalling to maintain stem cell homeostasis. Nat. Plants 2018, 4, 205–211. [Google Scholar] [CrossRef]
  40. Kitagawa, M.; Jackson, D. Control of Meristem Size. Annu. Rev. Plant Biol. 2019, 70, 269–291. [Google Scholar] [CrossRef]
  41. Jun, Y.S.; Cha, O.K.; Kim, J.H.; Lee, H. Shoot meristem activity is involved in salt tolerance on Arabidopsis shoot growth. J. Plant Biol. 2019, 62, 410–418. [Google Scholar] [CrossRef]
  42. Clough, S.J.; Bent, A.F. Floral dip: A simplified method for Agrobacterium-mediated transformation of Arabidopsis thaliana. Plant J. 1998, 16, 735–743. [Google Scholar] [CrossRef] [PubMed]
  43. Jefferson, R.A.; Kavanagh, T.A.; Bevan, M.W. Gus fusions—Beta-glucuronidase as a sensitive and versatile gene fusion marker in higher-plants. EMBO J. 1987, 6, 3901–3907. [Google Scholar] [CrossRef] [PubMed]
Figure 1. AtMS2 binds to the WUS/WOX promoter. (a,b) MBP:AtMS2 binds to a Texas red-labeled WUS promoter probe (a) and a WOX5 promoter probe (b) in the presence of MBP:WUS and MBP:WOX5 in the EMSA assay. The unlabeled probes were used as competitors. The WUS probe and WOX5 probe are located at −837–−879 bp and −393–−435 bp in the WUS promoter and WOX5 promoter, respectively. The TAAT motif in WUS mutant probe was replaced by GGGG. (c) Chromatin immunoprecipitation of AtMS2:HA with the WUS/WOX promoter in 3-day-old 35Spro::AtMS2:HA plant. The regions containing the TAAT motif in WUS promoter (−746–−908 bp), WOX5 promoter (−494–−810 bp), and WOX4 promoter (−1020–−1256 bp) were analyzed, respectively. An exon region of the WUS gene (+1421–+1547 bp) was examined in a control assay. Error bar = mean ± SD (n = 4 replicates). Student’s t-test. ** p < 0.01. (d,e) The growth phenotype of 3-week-old WT (d) and one 35Spro::AtMS2:HA line showing growth cessation (e). Scale bar = 0.5 mm. (fh) FLuc/REN ratio in Nicotiana benthamiana epidermal cells with transient expression of WUSpro::LUC (f), WOX5pro::LUC (g), and WOX4pro::LUC (h) dual luciferase reporters, respectively, in combination with indicated effectors. 35S: CaMV 35S promoter; Mini 35S: a 47-base-pair 35S minimal element; REN: renilla luciferase, FLUC: firefly luciferase. LB/RB: T-DNA left or right border. Error bar = mean ± SD (n = 4). Student’s t-test. ** p < 0.01.
Figure 1. AtMS2 binds to the WUS/WOX promoter. (a,b) MBP:AtMS2 binds to a Texas red-labeled WUS promoter probe (a) and a WOX5 promoter probe (b) in the presence of MBP:WUS and MBP:WOX5 in the EMSA assay. The unlabeled probes were used as competitors. The WUS probe and WOX5 probe are located at −837–−879 bp and −393–−435 bp in the WUS promoter and WOX5 promoter, respectively. The TAAT motif in WUS mutant probe was replaced by GGGG. (c) Chromatin immunoprecipitation of AtMS2:HA with the WUS/WOX promoter in 3-day-old 35Spro::AtMS2:HA plant. The regions containing the TAAT motif in WUS promoter (−746–−908 bp), WOX5 promoter (−494–−810 bp), and WOX4 promoter (−1020–−1256 bp) were analyzed, respectively. An exon region of the WUS gene (+1421–+1547 bp) was examined in a control assay. Error bar = mean ± SD (n = 4 replicates). Student’s t-test. ** p < 0.01. (d,e) The growth phenotype of 3-week-old WT (d) and one 35Spro::AtMS2:HA line showing growth cessation (e). Scale bar = 0.5 mm. (fh) FLuc/REN ratio in Nicotiana benthamiana epidermal cells with transient expression of WUSpro::LUC (f), WOX5pro::LUC (g), and WOX4pro::LUC (h) dual luciferase reporters, respectively, in combination with indicated effectors. 35S: CaMV 35S promoter; Mini 35S: a 47-base-pair 35S minimal element; REN: renilla luciferase, FLUC: firefly luciferase. LB/RB: T-DNA left or right border. Error bar = mean ± SD (n = 4). Student’s t-test. ** p < 0.01.
Plants 13 02224 g001
Figure 2. AtMS2 interacts with WUS/WOX in the nucleus. (ah) Bimolecular fluorescence complementation in Nicotiana benthamiana epidermal cells. AtMS2:YFPC protein in combination with WUS:YFPN (a), WOX5:YFPN (b), and WOX4:YFPN (c), respectively, was colocalized with Coilin:RFP protein in the nucleus. WOX1:YFPN, Chloramphenicol Acetyltransferase (CHL):YFPN, and CHL:YFPC were used in control assays (dh). Scale bar = 25 µm. (i) Input of recombinant proteins detected by immunoblotting with anti-GST antibody and anti-MBP antibody (Left) and pull-down of AtMS2 in fusion with GST through MBP-tagged WUS/WOX protein (Right). (j) AtMS2 interacts with GFP:WUS, but not GFP in Nicotiana benthamiana epidermal cells in a co-immunoprecipitation assay.
Figure 2. AtMS2 interacts with WUS/WOX in the nucleus. (ah) Bimolecular fluorescence complementation in Nicotiana benthamiana epidermal cells. AtMS2:YFPC protein in combination with WUS:YFPN (a), WOX5:YFPN (b), and WOX4:YFPN (c), respectively, was colocalized with Coilin:RFP protein in the nucleus. WOX1:YFPN, Chloramphenicol Acetyltransferase (CHL):YFPN, and CHL:YFPC were used in control assays (dh). Scale bar = 25 µm. (i) Input of recombinant proteins detected by immunoblotting with anti-GST antibody and anti-MBP antibody (Left) and pull-down of AtMS2 in fusion with GST through MBP-tagged WUS/WOX protein (Right). (j) AtMS2 interacts with GFP:WUS, but not GFP in Nicotiana benthamiana epidermal cells in a co-immunoprecipitation assay.
Plants 13 02224 g002
Figure 3. Salt stress increases AtMS2 expression and induces the accumulation of AtMS2 protein in the nucleus. (a,b) AtMS2:GFP was accumulated in the nucleus of 5-day-old 35Spro::AtMS2:GFP 35Spro::Coilin:RFP plants grown on MS medium containing 80 mM NaCl (b) in comparison with control plants (a). (c,d) AtMS2:GFP:GUS expression level was increased in 5-day-old gAtMS2::GFP:GUS plants grown on MS medium containing 120 mM NaCl (d) in comparison with control plants (c). Scale bar = 200 µm.
Figure 3. Salt stress increases AtMS2 expression and induces the accumulation of AtMS2 protein in the nucleus. (a,b) AtMS2:GFP was accumulated in the nucleus of 5-day-old 35Spro::AtMS2:GFP 35Spro::Coilin:RFP plants grown on MS medium containing 80 mM NaCl (b) in comparison with control plants (a). (c,d) AtMS2:GFP:GUS expression level was increased in 5-day-old gAtMS2::GFP:GUS plants grown on MS medium containing 120 mM NaCl (d) in comparison with control plants (c). Scale bar = 200 µm.
Plants 13 02224 g003
Figure 4. AtMS2 represses WUS/WOX expression under salt stress. (af) The expression of WUS:GFP:GUS protein is decreased to a lower level in 7-day-old gWUS::GFP:GUS seedlings (ac) in comparison with gWUS::GFP:GUS atms2 seedlings (df) grown on media containing 80 mM (b,c) and 120 mM NaCl (c,f), respectively. (gl) WOX5:GFP:GUS protein is expressed at a higher level in 7-day-old gWOX5::GFP:GUS atms2 seedlings (jl) in comparison with gWOX5::GFP:GUS seedlings (gi) grown on media containing 80 mM (h,k) and 120 mM (i,l) NaCl, respectively. (mr) WOX4:GFP:GUS protein is expressed at a higher level in 7-day-old gWOX4::GFP:GUS atms2 seedlings (pr) in comparison with gWOX4::GFP:GUS seedlings (mo) grown on media containing 80 mM (n,q) and 120 mM (o,r) NaCl, respectively. Scale bar = 50 µm (af), 25 µm (gl), and 200 µm (mr). (sv) The RT-qPCR analysis of WUS (s), WOX5 (t), WOX4 (u), and CLV3 (v) mRNA in 5-day-old WT and atms2 mutant grown on medium containing 80 mM NaCl. Actin2 was examined as a reference gene. Error bar = mean ± SD (n = 3). Statistical differences (p ≤ 0.01) between different plants were determined by one-way ANOVA followed by Tukey’s multiple comparison test.
Figure 4. AtMS2 represses WUS/WOX expression under salt stress. (af) The expression of WUS:GFP:GUS protein is decreased to a lower level in 7-day-old gWUS::GFP:GUS seedlings (ac) in comparison with gWUS::GFP:GUS atms2 seedlings (df) grown on media containing 80 mM (b,c) and 120 mM NaCl (c,f), respectively. (gl) WOX5:GFP:GUS protein is expressed at a higher level in 7-day-old gWOX5::GFP:GUS atms2 seedlings (jl) in comparison with gWOX5::GFP:GUS seedlings (gi) grown on media containing 80 mM (h,k) and 120 mM (i,l) NaCl, respectively. (mr) WOX4:GFP:GUS protein is expressed at a higher level in 7-day-old gWOX4::GFP:GUS atms2 seedlings (pr) in comparison with gWOX4::GFP:GUS seedlings (mo) grown on media containing 80 mM (n,q) and 120 mM (o,r) NaCl, respectively. Scale bar = 50 µm (af), 25 µm (gl), and 200 µm (mr). (sv) The RT-qPCR analysis of WUS (s), WOX5 (t), WOX4 (u), and CLV3 (v) mRNA in 5-day-old WT and atms2 mutant grown on medium containing 80 mM NaCl. Actin2 was examined as a reference gene. Error bar = mean ± SD (n = 3). Statistical differences (p ≤ 0.01) between different plants were determined by one-way ANOVA followed by Tukey’s multiple comparison test.
Plants 13 02224 g004
Figure 5. AtMS2 represses the growth of plants under salt stress. (ac) The growth phenotype of 7-day-old WT, 35Spro::AtMS2:GFP, atms2, and gAtMS2 atms2 seedlings on media containing NaCl at different concentrations. (df) The germination ratio (d), root length (e), and percentage of plants with true leaf differentiation (f) of 7-day-old WT, 35Spro::AtMS2:GFP, atms2, and gAtMS2 atms2 seedlings on media containing NaCl at different concentrations. Error bar = mean ± SD (n = 3). Statistical differences (p ≤ 0.01) between different plants were determined by one-way ANOVA followed by Tukey’s multiple comparison test. (g,h) The growth phenotype of 2-month-old WT and atms2 mutant grown on soil under salt stress (h) in comparison with control plants (g). Scale bar = 1.0 cm (ac) and 2.0 cm (g,h).
Figure 5. AtMS2 represses the growth of plants under salt stress. (ac) The growth phenotype of 7-day-old WT, 35Spro::AtMS2:GFP, atms2, and gAtMS2 atms2 seedlings on media containing NaCl at different concentrations. (df) The germination ratio (d), root length (e), and percentage of plants with true leaf differentiation (f) of 7-day-old WT, 35Spro::AtMS2:GFP, atms2, and gAtMS2 atms2 seedlings on media containing NaCl at different concentrations. Error bar = mean ± SD (n = 3). Statistical differences (p ≤ 0.01) between different plants were determined by one-way ANOVA followed by Tukey’s multiple comparison test. (g,h) The growth phenotype of 2-month-old WT and atms2 mutant grown on soil under salt stress (h) in comparison with control plants (g). Scale bar = 1.0 cm (ac) and 2.0 cm (g,h).
Plants 13 02224 g005
Figure 6. Met treatment enhances salt tolerance of Arabidopsis. (a,b) The growth phenotype and root length of 5-day-old WT and the atms2 mutant on MS medium containing 80 mM NaCl with or without 1 mM Met. Scale bar = 1 mm. (c) The Met content of 5-day-old WT and atms2 mutant grown on MS medium in the presence or absence of 80 mM NaCl. Error bar = mean ± SD (n = 3). Statistical differences (p ≤ 0.05) were determined by one-way ANOVA followed by Tukey’s multiple comparison test.
Figure 6. Met treatment enhances salt tolerance of Arabidopsis. (a,b) The growth phenotype and root length of 5-day-old WT and the atms2 mutant on MS medium containing 80 mM NaCl with or without 1 mM Met. Scale bar = 1 mm. (c) The Met content of 5-day-old WT and atms2 mutant grown on MS medium in the presence or absence of 80 mM NaCl. Error bar = mean ± SD (n = 3). Statistical differences (p ≤ 0.05) were determined by one-way ANOVA followed by Tukey’s multiple comparison test.
Plants 13 02224 g006
Figure 7. A proposed model for the repression of WUS/WOX gene by AtMS2 in response to salt stress. Salt stress induces the nuclear translocation of AtMS2, which further binds to the WUS/WOX promoter and represses WUS/WOX expression by interacting with WUS/WOX.
Figure 7. A proposed model for the repression of WUS/WOX gene by AtMS2 in response to salt stress. Salt stress induces the nuclear translocation of AtMS2, which further binds to the WUS/WOX promoter and represses WUS/WOX expression by interacting with WUS/WOX.
Plants 13 02224 g007
Disclaimer/Publisher’s Note: The statements, opinions and data contained in all publications are solely those of the individual author(s) and contributor(s) and not of MDPI and/or the editor(s). MDPI and/or the editor(s) disclaim responsibility for any injury to people or property resulting from any ideas, methods, instructions or products referred to in the content.

Share and Cite

MDPI and ACS Style

Qiu, J.; Chen, M.; Lu, F.; Chen, X.; Cai, Z.; Huang, T. Methionine Synthase 2 Represses Stem Cell Maintenance of Arabidopsis thaliana in Response to Salt Stress. Plants 2024, 13, 2224. https://doi.org/10.3390/plants13162224

AMA Style

Qiu J, Chen M, Lu F, Chen X, Cai Z, Huang T. Methionine Synthase 2 Represses Stem Cell Maintenance of Arabidopsis thaliana in Response to Salt Stress. Plants. 2024; 13(16):2224. https://doi.org/10.3390/plants13162224

Chicago/Turabian Style

Qiu, Jiaqi, Minghuang Chen, Feng Lu, Xiaofen Chen, Zheqi Cai, and Tao Huang. 2024. "Methionine Synthase 2 Represses Stem Cell Maintenance of Arabidopsis thaliana in Response to Salt Stress" Plants 13, no. 16: 2224. https://doi.org/10.3390/plants13162224

APA Style

Qiu, J., Chen, M., Lu, F., Chen, X., Cai, Z., & Huang, T. (2024). Methionine Synthase 2 Represses Stem Cell Maintenance of Arabidopsis thaliana in Response to Salt Stress. Plants, 13(16), 2224. https://doi.org/10.3390/plants13162224

Note that from the first issue of 2016, this journal uses article numbers instead of page numbers. See further details here.

Article Metrics

Back to TopTop