Thermal Stability of CsPbBr3 Perovskite Quantum Dots Assembled with SBA-15
Abstract
:1. Introduction
2. Materials and Methods
2.1. Experimental Materials
2.2. Synthesis of CsPbBr3 QDs
2.3. Synthesis of SBA-15@CsPbBr3 QDs
2.4. Characterizations
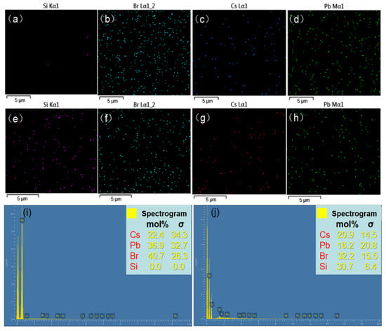
3. Results and Discussion
4. Conclusions
Author Contributions
Funding
Institutional Review Board Statement
Informed Consent Statement
Data Availability Statement
Conflicts of Interest
References
- Sun, S.; Yuan, D.; Xu, Y.; Wang, A.; Deng, Z. Ligand-mediated synthesis of shape-controlled cesium lead halide perovskite nanocrystals via reprecipitation process at room temperature. ACS Nano 2016, 10, 3648–3657. [Google Scholar] [CrossRef]
- Lin, C.C.; Meijerink, A.; Liu, R.-S. Critical red components for next-generation white LEDs. J. Phys. Chem. Lett. 2016, 7, 495–503. [Google Scholar] [CrossRef] [PubMed]
- Li, J.; Xu, L.; Wang, T.; Song, J.; Chen, J.; Xue, J.; Dong, Y.; Cai, B.; Shan, Q.; Han, B.; et al. 50-Fold EQE improvement up to 6.27% of solution-processed all-inorganic perovskite CsPbBr3 QLEDs via surface ligand density control. Adv. Mater. 2017, 29, 1603885–1603894. [Google Scholar] [CrossRef] [PubMed]
- Yuan, F.; Yuan, T.; Sui, L.; Wang, Z.; Xiaohong, L.; Li, Y.; Li, X.; Fanglong, Y.; Tan, Z.; Chen, A.; et al. Engineering triangular carbon quantum dots with unprecedented narrow bandwidth emission for multicolored LEDs. Nat. Commun. 2018, 9, 1–11. [Google Scholar] [CrossRef] [PubMed]
- Wang, L.; Liu, H.; Zhao, J.; Zhang, X.; Zhang, C.; Zhang, G.; Liu, Q.; Duan, H. Enhancement of charge transport in porous car-bon nanofiber networks via ZIF-8-enabled welding for flexible supercapacitors. Chem. Eng. J. 2020, 382, 122979–123012. [Google Scholar] [CrossRef]
- Luyen, D.T.L.; Thanh, T.D.; Chuong, N.D.; Tuan, L.H.; Hoon, K.N.; Hee, L.J. Hierarchical three-dimensional framework interface assembled from oxygen-doped cobalt phosphide layer-shelled metal nanowires for ef-ficient electrocatalytic water splitting. Appl. Catal. 2020, 261, 118268–118281. [Google Scholar] [CrossRef]
- Septiani, N.L.W.; Kaneti, Y.V.; Fathoni, K.B.; Wang, J.; Ide, Y.; Yuliarto, B.; Nugraha; Dipojono, H.K.; Nanjundan, A.K.; Golberg, D.; et al. Self-assembly of nickel phosphate-based nanotubes into two-dimensional crumpled sheet-like architectures for high-performance asymmetric supercapacitors. Nano Energy 2020, 67, 104270. [Google Scholar] [CrossRef]
- Song, J.; Li, J.; Li, X.; Xu, L.; Dong, Y.; Zeng, H. Quantum dot light-emitting diodes based on inorganic perovskite cesium lead halides (CsPbX3). Adv. Mater. 2015, 27, 7162–7167. [Google Scholar] [CrossRef]
- Gul, I.; Sayed, M.; Shah, N.S.; Khan, J.A.; Polychronopoulou, K.; Iqbal, J.; Rehman, F. Solar light responsive bismuth doped titania with Ti3+ for efficient photocatalytic degradation of flumequine: Synergistic role of peroxymonosulfate. Chem. Eng. J. 2020, 384, 123255–123273. [Google Scholar] [CrossRef]
- Chu, S.; Chen, W.; Fang, Z.; Xiao, X.; Liu, Y.; Chen, J.; Huang, J.; Xiao, Z. Large-area and efficient perovskite light-emitting diodes via low-temperature blade-coating. Nat. Commun. 2021, 12, 1–9. [Google Scholar] [CrossRef]
- Im, J.-H.; Lee, C.-R.; Lee, J.-W.; Park, S.-W.; Park, N.-G. 6.5% efficient perovskite quantum-dot-sensitized solar cell. Nanoscale 2011, 3, 4088–4093. [Google Scholar] [CrossRef] [PubMed] [Green Version]
- Zhu, Z.; Ma, J.; Wang, Z.; Mu, C.; Fan, Z.; Du, L.; Bai, Y.; Fan, L.; Yan, H.; Phillips, D.L.; et al. Efficiency enhancement of perovskite solar cells through fast electron extraction: The role of graphene quantum dots. J. Am. Chem. Soc. 2014, 136, 3760–3763. [Google Scholar] [CrossRef] [PubMed]
- Tang, D.; Liu, J.; Wu, X.; Liu, R.; Han, X.; Han, Y.; Huang, H.; Liu, Y.; Kang, Z. Carbon quantum Dot/NiFe layered double-hydroxide composite as a highly efficient electrocatalyst for water oxidation. ACS Appl. Mater. Interfaces 2014, 6, 7918–7925. [Google Scholar] [CrossRef] [PubMed]
- Niu, H.; Yang, X.; Wang, Q.; Jing, X.; Cheng, K.; Zhu, K.; Ye, K.; Wang, G.; Cao, D.; Yan, J. Electrostatic self-assembly of MXene and edge-rich CoAl layered double hydroxide on molecular-scale with superhigh volumetric performances. J. Energy Chem. 2019, 46, 105–113. [Google Scholar] [CrossRef]
- Xu, Y.; Wang, R.; Zheng, Y.; Zhang, L.; Jiao, T.; Peng, Q.; Liu, Z. Facile preparation of self-assembled Ni/Co phosphates composite spheres with highly efficient HER electrocatalytic performances. Appl. Surf. Sci. 2020, 509, 145383–145430. [Google Scholar] [CrossRef]
- Jellicoe, T.; Richter, J.M.; Glass, H.F.J.; Tabachnyk, M.; Brady, R.; E Dutton, S.; Rao, A.; Friend, R.H.; Credgington, D.; Greenham, N.C.; et al. Synthesis and optical properties of lead-free cesium tin halide perovskite nanocrystals. J. Am. Chem. Soc. 2016, 138, 2941–2944. [Google Scholar] [CrossRef] [Green Version]
- Chen, Y.; Zhao, Y. Incorporating quantum dots for high efficiency and stable perovskite photovoltaics. J. Mater. Chem. A 2020, 8, 25017–25027. [Google Scholar] [CrossRef]
- Stoumpos, C.; Malliakas, C.D.; Peters, J.A.; Liu, Z.; Sebastian, M.; Im, J.; Chasapis, T.C.; Wibowo, A.; Chung, D.Y.; Freeman, A.J.; et al. Crystal growth of the perovskite semiconductor CsPbBr3: A new material for high-energy radiation detection. Cryst. Growth Des. 2013, 13, 2722–2727. [Google Scholar] [CrossRef]
- Protesescu, L.; Yakunin, S.; Bodnarchuk, M.; Krieg, F.; Caputo, R.; Hendon, C.; Yang, R.X.; Walsh, A.; Kovalenko, M.V. Nanocrystals of cesium lead halide perovskites (CsPbX3, X = Cl, Br, and I): Novel optoelectronic materials showing bright emission with wide color gamut. Nano Lett. 2015, 15, 3692–3696. [Google Scholar] [CrossRef] [Green Version]
- Xiang, X.; Lin, H.; Xu, J.; Cheng, Y.; Wang, C.; Zhang, L.; Wang, Y. CsPb(Br,I)3 embedded glass: Fabrication, tunable luminescence, improved stability and wide-color gamut LCD application. Chem. Eng. J. 2019, 378, 122255. [Google Scholar] [CrossRef]
- Aboulaich, A.; Michalska, M.; Schneider, R.; Potdevin, A.; Deschamps, J.; Deloncle, R.; Chadeyron, G.; Mahiou, R. Ce-doped YAG nanophosphor and red emitting CuInS2/ZnS core/shell quantum dots for warm white light-emitting diode with high color rendering index. ACS Appl. Mater. Interfaces 2014, 6, 252–258. [Google Scholar] [CrossRef]
- Yang, D.D.; Li, X.M.; Wu, Y.; Wei, C.T.; Qin, Z.Y.; Zhang, C.F.; Sun, Z.G.; Li, Y.L.; Wang, Y.; Zeng, H.B. Surface halogen compensation for robust performance enhancements of CsPbX3 perovskite quantum dots. Adv. Opt. Mater. 2019, 7, 1900276. [Google Scholar] [CrossRef]
- Long, Z.; Ren, H.; Sun, J.H.; Ouyang, J.; Na, N. High-throughput and tunable synthesis of colloidal CsPbX3 perovskite nano-crystals in a heterogeneous system by microwave irradiation. Chem. Comm. 2017, 53, 9914–9917. [Google Scholar] [CrossRef] [PubMed] [Green Version]
- Dong, Y.; Tang, X.; Zhang, Z.; Song, J.; Niu, T.; Shan, D.; Zeng, H. Perovskite nanocrystal fluorescence-linked immunosorbent assay methodology for sensitive point-of-care biological test. Matter 2020, 3, 273–286. [Google Scholar] [CrossRef]
- Shamsi, J.; Urban, A.S.; Imran, M.; De Trizio, L.; Manna, L. Metal halide perovskite nanocrystals: Synthesis, post-synthesis modifications, and their optical properties. Chem. Rev. 2019, 119, 3296–3348. [Google Scholar] [CrossRef]
- Swarnkar, A.; Chulliyil, R.; Ravi, V.K.; Irfanullah, M.; Chowdhury, A.; Nag, A. Colloidal CsPbBr3 perovskite nanocrystals: Lu-minescence beyond traditional quantum dots. Angew. Chem. Int. Ed. 2015, 54, 15424–15428. [Google Scholar] [CrossRef]
- Wu, K.; Liang, G.; Shane, Q.; Ren, Y.; Kong, D.; Lian, T. Ultrafast interfacial electron and hole transfer from CsPbBr3 perovskite quantum dots. J. Am. Chem. Soc. 2015, 137, 12792–12795. [Google Scholar] [CrossRef] [PubMed]
- Wang, H.-C.; Lin, S.-Y.; Tang, A.-C.; Singh, B.P.; Tong, H.-C.; Chen, C.-Y.; Lee, Y.-C.; Tsai, T.-L.; Liu, R.-S. Mesoporous Silica Particles Integrated with All-Inorganic CsPbBr3 Perovskite Quantum-Dot Nanocomposites (MP-PQDs) with high stability and wide color gamut used for backlight display. Angew. Chem. Int. Ed. 2016, 55, 7924–7929. [Google Scholar] [CrossRef] [PubMed]
- Pan, A.; He, B.; Fan, X.; Liu, Z.; Urban, J.J.; Alivisatos, A.P.; He, L.; Liu, Y. Insight into the ligand-mediated synthesis of colloidal CsPbBr3 perovskite nanocrystals: The role of organic acid, base, and cesium precursors. Acs Nano 2016, 10, 7943–7954. [Google Scholar] [CrossRef] [Green Version]
- Zhang, X.; Xu, B.; Zhang, J.; Gao, Y.; Zheng, Y.; Wang, K.; Sun, X. All-inorganic perovskite nanocrystals for high-efficiency light emitting diodes: Dual-phase CsPbBr3 -CsPb2 Br5 composites. Adv. Funct. Mater. 2016, 26, 4595–4600. [Google Scholar] [CrossRef]
- Zhang, J.; Bai, D.; Jin, Z.; Bian, H.; Wang, K.; Sun, J.; Wang, Q.; Liu, S. 3D-2D-0D interface profiling for record efficiency all-inorganic CsPbBrI2 perovskite solar cells with superior stability. Adv. Energy Mater. 2018, 8, 1703246–1703255. [Google Scholar] [CrossRef]
- Yang, H.; Yin, W.; Dong, W.; Gao, L.; Tan, C.-H.; Li, W.; Zhang, X.; Zhang, J. Enhancing the light-emitting performance and stability in CsPbBr3 perovskite quantum dots via simultaneous doping and surface passivation. J. Mater. Chem. C 2020, 8, 14439–14445. [Google Scholar] [CrossRef]
- Guo, Q.; Yuan, F.L.; Zhang, B.; Zhou, S.J.; Zhang, J.; Bai, Y.M.; Fan, L.Z.; Hayat, T.; Alsaedi, A.; Tan, Z.A. Passivation of the grain boundaries of CH3NH3PbI3 using carbon quantum dots for highly efficient perovskite solar cells with excellent environmental stability. Nanoscale 2019, 11, 115–124. [Google Scholar] [CrossRef]
- Krieg, F.; Ochsenbein, S.T.; Yakunin, S.; Brinck, S.t.; Aellen, P.; Suess, A.; Clerc, B.; Guggisberg, D.; Nazarenko, O.; Shynkarenko, Y.; et al. Colloidal CsPbX3 (X = CI, Br, I) nanocrystals 2.0: Zwitterionic capping ligands for improved durability and stability. ACS Energy Lett. 2018, 3, 641–646. [Google Scholar] [CrossRef] [PubMed] [Green Version]
- Kojima, A.; Ikegami, M.; Teshima, K.; Miyasaka, T. Highly Luminescent lead bromide perovskite nanoparticles synthesized with porous alumina media. Chem. Lett. 2012, 41, 397–399. [Google Scholar] [CrossRef]
- Hui, X.; Zhao, R.; Zhang, P.; Li, C.; Wang, C.; Yin, L. Low-Temperature Reduction Strategy Synthesized Si/Ti3C2 MXene composite anodes for high-performance li-ion batteries. Adv. Energy Mater. 2019, 9, 1901065. [Google Scholar] [CrossRef]
- Zhang, X.; Bai, X.; Wu, H.; Zhang, X.; Sun, C.; Zhang, Y.; Zhang, W.; Zheng, W.; Yu, W.W.; Rogach, A.L. Water-assisted size and shape control of CsPbBr3 perovskite nanocrystals. Angew. Chem. Int. Ed. 2018, 57, 3337–3342. [Google Scholar] [CrossRef]
- Huang, S.; Li, Z.; Kong, L.; Zhu, N.; Shan, A.; Li, L. Enhancing the stability of CH3NH3PbBr3 quantum dots by embedding in silica spheres derived from tetramethyl orthosilicate in “Waterless” toluene. J. Am. Chem. Soc. 2016, 138, 5749–5752. [Google Scholar] [CrossRef]
- Raja, S.N.; Bekenstein, Y.; Koc, M.A.; Fischer, S.; Zhang, D.; Lin, L.; Ritchie, R.O.; Yang, P.; Alivisatos, A.P. Encapsulation of perovskite nanocrystals into macroscale polymer matrices: Enhanced stability and polarization. ACS Appl. Mater. Interfaces 2016, 8, 35523–35533. [Google Scholar] [CrossRef] [Green Version]
- Patil, U.; Fihri, A.; Emwas, A.-H.; Polshettiwar, V. Silicon oxynitrides of KCC-1, SBA-15 and MCM-41 for CO2 capture with excellent stability and regenerability. Chem. Sci. 2012, 3, 2224–2229. [Google Scholar] [CrossRef]
- Boutros, M.; Maoui, Z.; Sfihi, H.; Viossat, V.; Gédéon, A.; Launay, F. Effect of the anchorage of Rh(III) ions by imidazoline type ligands on the location of Rh0 particles within the calcined form of the SBA-15 support. Microporous Mesoporous Mater. 2008, 108, 247–257. [Google Scholar] [CrossRef]
- Mandache, I.; Parvulescu, V.I.; Popescu, A.; Parvulescu, L.; Banciu, M.D.; Amoros, P.; Beltran, D.; On, D.T.; Kaliaguine, S. Epox-idation of dibenzocycloalkenes on Ti-Ge-MCM-41 and Ti-SBA-15 catalysts. Microporous Mesoporous Mat. 2005, 81, 115–124. [Google Scholar] [CrossRef]
- Sousa, W.R.D.N.; Oliveira, A.R.; Filho, J.F.C.; Dantas, T.C.M.; Santos, A.G.D.; Caldeira, V.; Luz, G.E. Ciprofloxacin adsorption on ZnO supported on SBA-15. Water Air Soil Pollut. 2018, 229, 125. [Google Scholar] [CrossRef]
- Colmenares, M.G.; Simon, U.; Schmidt, F.; Dey, S.; Schmidt, J.; Thomas, A.; Gurlo, A. Tailoring of ordered mesoporous silica COK-12: Room temperature synthesis of mesocellular foam and multilamellar vesicles. Microporous Mesoporous Mater. 2018, 267, 142–149. [Google Scholar] [CrossRef]











| Atoms | CsPbBr3 (mol%) | SBA-15@CsPbBr3 (mol%) |
|---|---|---|
| Cs | 22.4 | 20.9 |
| Pb | 36.9 | 16.2 |
| Br | 40.7 | 32.2 |
| Si | 0 | 30.7 |
Publisher’s Note: MDPI stays neutral with regard to jurisdictional claims in published maps and institutional affiliations. |
© 2021 by the authors. Licensee MDPI, Basel, Switzerland. This article is an open access article distributed under the terms and conditions of the Creative Commons Attribution (CC BY) license (https://creativecommons.org/licenses/by/4.0/).
Share and Cite
Chen, H.; Wang, Y.; Wang, J.; Liu, W. Thermal Stability of CsPbBr3 Perovskite Quantum Dots Assembled with SBA-15. Coatings 2021, 11, 953. https://doi.org/10.3390/coatings11080953
Chen H, Wang Y, Wang J, Liu W. Thermal Stability of CsPbBr3 Perovskite Quantum Dots Assembled with SBA-15. Coatings. 2021; 11(8):953. https://doi.org/10.3390/coatings11080953
Chicago/Turabian StyleChen, Hongyu, Yunfei Wang, Jianing Wang, and Wenyan Liu. 2021. "Thermal Stability of CsPbBr3 Perovskite Quantum Dots Assembled with SBA-15" Coatings 11, no. 8: 953. https://doi.org/10.3390/coatings11080953
APA StyleChen, H., Wang, Y., Wang, J., & Liu, W. (2021). Thermal Stability of CsPbBr3 Perovskite Quantum Dots Assembled with SBA-15. Coatings, 11(8), 953. https://doi.org/10.3390/coatings11080953
