Endocytosis, Distribution, and Exocytosis of Polystyrene Nanoparticles in Human Lung Cells
Abstract
1. Introduction
2. Materials and Methods
2.1. PS NPs
2.2. Cell Culture and Cytotoxicity Evaluation
2.3. Cellular Uptake of PS NPs
2.4. Locations of PS NPs in Cells
2.5. Exocytosis of PS NPs
2.6. Statistical Analysis
3. Results
3.1. PS NP Samples
3.2. Cellular Uptake of PS NPs
3.3. Endocytosis Mechanism of PS NPs
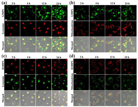
3.4. Subcellular Localization of PS NPs
3.5. Exocytosis of PS NPs
3.6. Exocytosis Pathway of PS NPs
4. Conclusions
Supplementary Materials
Author Contributions
Funding
Institutional Review Board Statement
Informed Consent Statement
Data Availability Statement
Conflicts of Interest
References
- Gigault, J.; ter Halle, A.; Baudrimont, M.; Pascal, P.Y.; Gauffre, F.; Phi, T.L.; El Hadri, H.; Grassl, B.; Reynaud, S. Current opinion: What is a nanoplastic? Environ. Pollut. 2018, 235, 1030–1034. [Google Scholar] [CrossRef] [PubMed]
- Auta, H.S.; Emenike, C.U.; Fauziah, S.H. Distribution and importance of microplastics in the marine environment: A review of the sources, fate, effects, and potential solutions. Environ Int. 2017, 102, 165–176. [Google Scholar] [CrossRef] [PubMed]
- Brito, W.A.D.; Mutter, F.; Wende, K.; Cecchini, A.L.; Schmidt, A.; Bekeschus, S. Consequences of nano and microplastic exposure in rodent models: The known and unknown. Part. Fibre Toxicol. 2022, 19, 28. [Google Scholar] [CrossRef] [PubMed]
- Kawecki, D.; Nowack, B. Polymer-specific modeling of the environmental emissions of even commodity plastics as macro-and microplastics. Environ. Sci. Technol. 2019, 53, 9664–9676. [Google Scholar] [CrossRef] [PubMed]
- Leslie, H.A.; van Velzen, M.J.M.; Brandsma, S.H.; Vethaak, A.D.; Garcia-Vallejo, J.J.; Lamoree, M.H. Discovery and quantification of plastic particle pollution in human blood. Environ. Int. 2022, 163, 107199. [Google Scholar] [CrossRef]
- Kik, K.; Bukowska, B.; Sicinska, P. Polystyrene nanoparticles: Sources, occurrence in the environment, distribution in tissues, accumulation and toxicity to various organisms. Environ. Pollut. 2020, 262, 114297. [Google Scholar] [CrossRef]
- Rhodes, C.J. Plastic pollution and potential solutions. Sci. Prog. 2018, 101, 207–260. [Google Scholar] [CrossRef]
- De Falco, F.; Gullo, M.P.; Gentile, G.; Di Pace, E.; Cocca, M.; Gelabert, L.; Brouta-Agnesa, M.; Rovira, A.; Escudero, R.; Villalba, R.; et al. Evaluation of microplastic release caused by textile washing processes of synthetic fabrics. Environ. Pollut. 2018, 236, 916–925. [Google Scholar] [CrossRef]
- Hernandez, E.; Nowack, B.; Mitrano, D.M. Polyester textiles as a source of microplastics from households: A mechanistic study to understand microfiber release during washing. Environ. Sci. Technol. 2017, 51, 7036–7046. [Google Scholar] [CrossRef]
- Pirc, U.; Vidmar, M.; Mozer, A.; Krzan, A. Emissions of microplastic fibers from microfiber fleece during domestic washing. Environ. Sci. Pollut. Res. 2016, 23, 22206. [Google Scholar] [CrossRef]
- Yang, T.; Luo, J.L.; Nowack, B. Characterization of nanoplastics, fibrils, and microplastics released during washing and abrasion of polyester textiles. Environ. Sci. Technol. 2021, 55, 15873–15881. [Google Scholar] [CrossRef]
- Yoon, Y.H.; Brimblecombe, P. Clothing as a Source of Fibres within Museums. J. Cult. Herit. 2000, 1, 445–454. [Google Scholar] [CrossRef]
- Allen, S.; Allen, D.; Phoenix, V.R.; Le-Roux, G.; Jimenez, P.D.; Simonneau, A.; Binet, S.; Galop, D. Atmospheric transport and deposition of microplastics in a remote mountain catchment. Nat. Geosci. 2019, 12, 339–344. [Google Scholar] [CrossRef]
- Cai, L.Q.; Wang, J.D.; Peng, J.P.; Tan, Z.; Zhan, Z.W.; Tan, X.L.; Chen, Q.Q. Characteristic of microplastics in the atmospheric fallout from Dongguan city, China: Preliminary research and first evidence. Environ. Sci. Pollut. Res. 2017, 24, 24928–24935. [Google Scholar] [CrossRef]
- Vianello, A.; Jensen, R.L.; Liu, L.; Vollertsen, J. Simulating human exposure to indoor airborne microplastics using a breathing thermal manikin. Sci. Rep. 2019, 9, 8670. [Google Scholar] [CrossRef]
- Zhang, Y.X.; Wang, M.; Yang, L.Y.; Pan, K.; Miao, A.J. Bioaccumulation of differently-sized polystyrene nanoplastics by human lung and intestine cells. J. Hazard. Mater. 2022, 439, 129585. [Google Scholar] [CrossRef]
- Wang, Z.Y.; Liu, Z.F.; Mei, J.; Xu, S.S.; Liu, Y. The next generation therapy for lung cancer: Taking medicine by inhalation. Nanotechnology 2021, 32, 392002. [Google Scholar] [CrossRef]
- Yue, P.F.; Zhou, W.C.; Huang, G.T.; Lei, F.F.; Chen, Y.C.; Ma, Z.L.; Chen, L.R.; Yang, M. Nanocrystals based pulmonary inhalation delivery system: Advance and challenge. Drug Deliv. 2022, 29, 637–651. [Google Scholar] [CrossRef]
- Choi, H.S.; Ashitate, Y.; Lee, J.H.; Kim, S.H.; Matsui, A.; Insin, N.; Bawendi, M.G.; Semmler-Behnke, M.; Frangioni, J.V.; Tsuda, A. Rapid translocation of nanoparticles from the lung airspaces to the body. Nat. Biotechnol. 2010, 28, 1300–1303. [Google Scholar] [CrossRef]
- Liu, Y.; Crowe, W.N.; Wang, L.L.; Lu, Y.; Petty, W.J.; Habib, A.A.; Zhao, D.W. An inhalable nanoparticulate STING agonist synergizes with radiotherapy to confer long-term control of lung metastases. Nat. Commum. 2019, 10, 5108. [Google Scholar] [CrossRef]
- Florance, I.; Ramasubbu, S.; Mukherjee, A.; Chandrasekaran, N. Polystyrene nanoplastics dysregulate lipid metabolism in murine macrophages in vitro. Toxicology 2021, 458, 152850. [Google Scholar] [CrossRef] [PubMed]
- Kim, E.H.; Choi, S.; Kim, D.; Park, H.J.; Bian, Y.; Choi, S.H.; Chung, H.Y.; Bae, O.N. Amine-modified nanoplastics promote the procoagulant activation of isolated human red blood cells and thrombus formation in rats. Part. Fibre Toxicol. 2022, 19, 60. [Google Scholar] [CrossRef] [PubMed]
- Liu, A.Q.; Richards, L.; Bladen, C.L.; Ingham, E.; Fisher, J.; Tipper, J.L. The biological response to nanometre-sized polymer particles. Acta Biomater. 2015, 23, 38–51. [Google Scholar] [CrossRef] [PubMed]
- Sarma, D.K.; Dubey, R.; Samarth, R.M.; Shubham, S.; Chowdhury, P.; Kumawat, M.; Verma, V.; Tiwari, R.R.; Kumar, M. The biological effects of polystyrene nanoplastics on human peripheral blood lymphocytes. Nanomaterials 2022, 12, 1632. [Google Scholar] [CrossRef] [PubMed]
- Shi, X.R.; Wang, X.A.; Huang, R.; Tang, C.; Hu, C.; Ning, P.B.; Wang, F. Cytotoxicity and genotoxicity of polystyrene micro- and nanoplastics with different dize and surface modification in A549 cells. Int. J. Nanomed. 2022, 17, 4509–4523. [Google Scholar] [CrossRef]
- Weber, A.; Schwiebs, A.; Solhaug, H.; Stenvik, J.; Nilsen, A.M.; Wagner, M.; Relja, B.; Radeke, H.H. Nanoplastics affect the inflammatory cytokine release by primary human monocytes and dendritic cells. Environ. Int. 2022, 163, 107173. [Google Scholar] [CrossRef]
- Zhang, T.Y.; Yang, S.; Ge, Y.L.; Wan, X.; Zhu, Y.X.; Li, J.; Yin, L.H.; Pu, Y.P.; Liang, G.Y. Polystyrene nanoplastics induce lung injury via activating oxidative stress: Molecular insights from bioinformatics analysis. Nanomaterials 2022, 12, 3507. [Google Scholar] [CrossRef]
- Forte, M.; Iachetta, G.; Tussellino, M.; Carotenuto, R.; Prisco, M.; De Falco, M.; Laforgia, V.; Valiante, S. Polystyrene nanoparticles internalization in human gastric adenocarcinoma cells. Toxicol. Vitr. 2016, 31, 126–136. [Google Scholar] [CrossRef]
- Halimu, G.; Zhang, Q.R.; Liu, L.; Zhang, Z.C.; Wang, X.J.; Gu, W.; Zhang, B.W.; Dai, Y.M.; Zhang, H.W.; Zhang, C.G.; et al. Toxic effects of nanoplastics with different sizes and surface charges on epithelial-to-mesenchymal transition in A549 cells and the potential toxicological mechanism. J. Hazard. Mater. 2022, 430, 128485. [Google Scholar] [CrossRef]
- Xu, M.K.; Halimu, G.; Zhang, Q.R.; Song, Y.B.; Fu, X.H.; Li, Y.Q.; Li, Y.S.; Zhang, H.W. Internalization and toxicity: A preliminary study of effects of nanoplastic particles on human lung epithelial cell. Sci. Total Environ. 2019, 694, 133794. [Google Scholar] [CrossRef]
- Asati, A.; Santra, S.; Kaittanis, C.; Perez, J.M. Surface-charge-dependent cell localization and cytotoxicity of cerium oxide nanoparticles. ACS Nano 2010, 4, 5321–5331. [Google Scholar] [CrossRef]
- Carrillo-Carrion, C.; Bocanegra, A.I.; Arnaiz, B.; Feliu, N.; Zhu, D.C.; Parak, W.J. Triple-labeling of polymer-coated quantum dots and adsorbed proteins for tracing their fate in cell cultures. ACS Nano 2019, 13, 4631–4639. [Google Scholar] [CrossRef]
- Mahadevan, G.; Valiyaveettil, S. Comparison of genotoxicity and cytotoxicity of polyvinyl chloride and poly(methyl methacrylate) nanoparticles on normal human lung cell lines. Chem. Res. Toxicol. 2021, 34, 1468–1480. [Google Scholar] [CrossRef]
- Xi, W.S.; Song, Z.M.; Chen, Z.; Chen, N.; Yan, G.H.; Gao, Y.F.; Cao, A.N.; Liu, Y.F.; Wang, H.F. Short-term and long-term toxicological effects of vanadium dioxide nanoparticles on A549 cells. Environ. Sci. Nano 2019, 6, 565. [Google Scholar] [CrossRef]
- Liu, Y.Y.; Chang, Q.; Sun, Z.X.; Liu, J.; Deng, X.Y.; Liu, Y.F.; Cao, A.N.; Wang, H.F. Fate of CdSe/ZnS quantum dots in cells: Endocytosis, translocation and exocytosis. Colloids Surf. B 2021, 208, 112140. [Google Scholar] [CrossRef]
- Li, L.; Xi, W.S.; Su, Q.Q.; Li, Y.; Yan, G.H.; Liu, Y.F.; Wang, H.F.; Cao, A.N. Unexpected size effect: The interplay between different- sized nanoparticles in their cellular uptake. Small 2019, 15, 1901687. [Google Scholar] [CrossRef]
- Gurnani, P.; Sanchez-Cano, C.; Xandri-Monje, H.; Zhang, J.L.; Ellacott, S.H.; Mansfield, E.D.H.; Hartlieb, M.; Dallmann, R.; Perrier, S. Probing the effect of rigidity on the cellular uptake of core-shell nanoparticles: Stiffness effects are size dependent. Small 2022, 18, 2203070. [Google Scholar] [CrossRef]
- Boucrot, E.; Ferreira, A.P.A.; Almeida-Souza, L.; Debard, S.; Vallis, Y.; Howard, G.; Bertot, L.; Sauvonnet, N.; McMahon, H.T. Endophilin marks and controls a clathrin-independent endocytic pathway. Nature 2015, 517, 460–465. [Google Scholar] [CrossRef]
- Zhang, Z.; Wang, T.; Yang, R.; Fu, S.; Guan, L.; Hou, T.; Mu, W.; Pang, X.; Liang, S.; Liu, Y.; et al. Small morph nanoparticles for deep tumor penetration via caveolae-mediated transcytosis. ACS Appl. Mater. Interfaces 2020, 12, 38499–38511. [Google Scholar] [CrossRef]
- Wang, T.; Wang, L.; Li, X.; Hu, X.; Han, Y.; Luo, Y.; Wan, Z.; Li, Q.; Aldalbahi, A.; Wang, L.; et al. Size-dependent regulation of intracellular trafficking of polystyrene nanoparticle-based drug-delivery Systems. ACS Appl. Mater. Interfaces 2017, 9, 18619–18625. [Google Scholar] [CrossRef]
- Yanes, R.E.; Tarn, D.; Hwang, A.A.; Ferris, D.P.; Sherman, S.P.; Thomas, C.R.; Lu, J.; Pyle, A.D.; Zink, J.I.; Tamanoi, F. Involvement of lysosomal exocytosis in the excretion of mesoporous silica nanoparticles and enhancement of the drug delivery effect by exocytosis inhibition. Small 2013, 9, 697–704. [Google Scholar] [CrossRef] [PubMed]
- Chai, G.H.; Xu, Y.; Chen, S.Q.; Cheng, B.; Hu, F.Q.; You, J.; Du, Y.Z.; Yuan, H. Transport mechanisms of solid lipid nanoparticles across Caco-2 cell monolayers and their related cytotoxicology. ACS Appl. Mater. Interfaces 2016, 8, 5929–5940. [Google Scholar] [CrossRef] [PubMed]
- Ursini, C.L.; Cavallo, D.; Fresegna, A.M.; Ciervo, A.; Maiello, R.; Buresti, G.; Casciardi, S.; Bellucci, S.; Iavicoli, S. Differences in cytotoxic, genotoxic, and inflammatory response of bronchial and alveolar human lung epithelial cells to pristine and COOH-functionalized multiwalled carbon nanotubes. BioMed Res. Int. 2014, 2014, 359506. [Google Scholar] [CrossRef] [PubMed]
- Ursini, C.L.; Maiello, R.; Ciervo, A.; Fresegna, A.M.; Buresti, G.; Superti, F.; Marchetti, M.; Iavicoli, S.; Cavallo, D. Evaluation of uptake, cytotoxicity and inflammatory effects in respiratory cells exposed to pristine and -OH and -COOH functionalized multi-wall carbon nanotubes. J. Appl. Toxicol. 2016, 36, 394–403. [Google Scholar] [CrossRef] [PubMed]
- Xi, W.S.; Li, J.B.; Liu, Y.Y.; Wu, H.; Cao, A.N.; Wang, H.F. Cytotoxicity and genotoxicity of low-dose vanadium dioxide nanoparticles to lung cells following long-term exposure. Toxicology 2021, 459, 152859. [Google Scholar] [CrossRef]
- Liu, Y.Y.; Sun, Z.X.; Liu, J.; Zhang, Q.Q.; Liu, Y.F.; Cao, A.N.; Sun, Y.P.; Wang, H.F. On the cellular uptake and exocytosis of carbon dots-significant cell type dependence and effects of cell division. ACS Appl. Bio Mater. 2022, 5, 4378–4389. [Google Scholar] [CrossRef]
- Zhao, J.C.; Stenzel, M.H. Entry of nanoparticles into cells: The importance of nanoparticle properties. Polym. Chem. 2018, 9, 259–272. [Google Scholar] [CrossRef]
- Reczynska, K.; Marszalek, M.; Zarzycki, A.; Reczynski, W.; Kornaus, K.; Pamula, E.; Chrzanowski, W. Superparamagnetic iron oxide nanoparticles modified with silica layers as potential agents for lung cancer treatment. Nanomaterials 2020, 10, 1076. [Google Scholar] [CrossRef]
- Lieber, M.; Smith, B.; Szakal, A.; Nelson-Rees, W.; Todaro, G. A continuous tumor-cell line from a human lung carcinoma with properties of type II alveolar epithelial cells. Int. J. Cancer 1976, 17, 62–70. [Google Scholar] [CrossRef]
- Takizawa, H. Diesel exhaust particles and their effect on induced cytokine expression in human bronchial epithelial cells. Curr. Opin. Allergy Clin. Immunol. 2004, 4, 355–359. [Google Scholar] [CrossRef]
- Yang, M.; Wang, W.X. Recognition and movement of polystyrene nanoplastics in fish cells. Environ. Pollut. 2022, 316, 120627. [Google Scholar] [CrossRef]
- Chaudhuri, A.; Battaglia, G.; Golestanian, R. The effect of interactions on the cellular uptake of nanoparticles. Phys. Biol. 2011, 8, 046002. [Google Scholar] [CrossRef]
- Liu, L.; Xu, K.X.; Zhang, B.W.; Ye, Y.Y.; Zhang, Q.; Jiang, W. Cellular internalization and release of polystyrene microplastics and nanoplastics. Sci. Total Environ. 2021, 779, 146523. [Google Scholar] [CrossRef]
- Zhu, J.; Liao, L.; Zhu, L.N.; Zhang, P.; Guo, K.; Kong, J.L.; Ji, C.; Liu, B.H. Size-dependent cellular uptake efficiency, mechanism, and cytotoxicity of silica nanoparticles toward HeLa cells. Talanta 2013, 107, 408–415. [Google Scholar] [CrossRef]
- Ding, Y.F.; Zhang, R.Q.; Li, B.Q.; Du, Y.Q.; Li, J.; Tong, X.H.; Wu, Y.L.; Ji, X.F.; Zhang, Y. Tissue distribution of polystyrene nanoplastics in mice and their entry, transport, and cytotoxicity to GES-1 cells. Environ. Pollut. 2021, 280, 116974. [Google Scholar] [CrossRef]
- Sahay, G.; Alakhova, D.Y.; Kabanov, A.V. Endocytosis of nanomedicines. J. Control. Release 2010, 145, 182–195. [Google Scholar] [CrossRef]
- Banerjee, A.; Shelver, W.L. Micro- and nanoplastic induced cellular toxicity in mammals: A review. Sci. Total Environ. 2020, 755, 142518. [Google Scholar] [CrossRef]
- Jin, H.; Heller, D.A.; Sharma, R.; Strano, M.S. Size-dependent cellular uptake and expulsion of single-walled carbon nanotubes: Single particle tracking and a generic uptake model for nanoparticles. ACS Nano 2009, 3, 149–158. [Google Scholar] [CrossRef]










| Dispersing Agent | Time (h) | Size (nm) | ζ-Potential (mV) | ||
|---|---|---|---|---|---|
| G50PS | R100PS | G50PS | R100PS | ||
| Water | 0 | 40.3 ± 9.0 | 86.9 ± 20.5 | –34.1 ± 10.8 | –22.2 ± 11.5 |
| 6 | 38.0 ± 9.4 | 88.7 ± 22.6 | –38.7 ± 9.2 | –18.7 ± 7.7 | |
| 12 | 41.2 ± 8.3 | 86.7 ± 24.0 | –41.2 ± 10.8 | –22.8 ± 11.4 | |
| Culture medium | 0 | 62.8 ± 25.3 | 103.0 ± 26.4 | –12.4 ± 4.1 | –9.4 ± 5.3 |
| 6 | 67.7 ± 25.6 | 113.9 ± 20.9 | –10.8 ± 3.1 | –8.4 ± 7.2 | |
| 12 | 64.6 ± 22.8 | 111.6 ± 19.8 | –12.1 ± 2.8 | –10.0 ± 3.5 | |
Disclaimer/Publisher’s Note: The statements, opinions and data contained in all publications are solely those of the individual author(s) and contributor(s) and not of MDPI and/or the editor(s). MDPI and/or the editor(s) disclaim responsibility for any injury to people or property resulting from any ideas, methods, instructions or products referred to in the content. |
© 2022 by the authors. Licensee MDPI, Basel, Switzerland. This article is an open access article distributed under the terms and conditions of the Creative Commons Attribution (CC BY) license (https://creativecommons.org/licenses/by/4.0/).
Share and Cite
Liu, Y.-Y.; Liu, J.; Wu, H.; Zhang, Q.; Tang, X.-R.; Li, D.; Li, C.-S.; Liu, Y.; Cao, A.; Wang, H. Endocytosis, Distribution, and Exocytosis of Polystyrene Nanoparticles in Human Lung Cells. Nanomaterials 2023, 13, 84. https://doi.org/10.3390/nano13010084
Liu Y-Y, Liu J, Wu H, Zhang Q, Tang X-R, Li D, Li C-S, Liu Y, Cao A, Wang H. Endocytosis, Distribution, and Exocytosis of Polystyrene Nanoparticles in Human Lung Cells. Nanomaterials. 2023; 13(1):84. https://doi.org/10.3390/nano13010084
Chicago/Turabian StyleLiu, Yuan-Yuan, Jie Liu, Hao Wu, Qiangqiang Zhang, Xue-Rui Tang, Dan Li, Chen-Si Li, Yuanfang Liu, Aoneng Cao, and Haifang Wang. 2023. "Endocytosis, Distribution, and Exocytosis of Polystyrene Nanoparticles in Human Lung Cells" Nanomaterials 13, no. 1: 84. https://doi.org/10.3390/nano13010084
APA StyleLiu, Y.-Y., Liu, J., Wu, H., Zhang, Q., Tang, X.-R., Li, D., Li, C.-S., Liu, Y., Cao, A., & Wang, H. (2023). Endocytosis, Distribution, and Exocytosis of Polystyrene Nanoparticles in Human Lung Cells. Nanomaterials, 13(1), 84. https://doi.org/10.3390/nano13010084

