Preparation and High-Sensitivity Thermochromic Performance of MXene-Enhanced Cholesteric Liquid Crystal Microcapsule Textiles
Abstract
1. Introduction
2. Results and Discussion
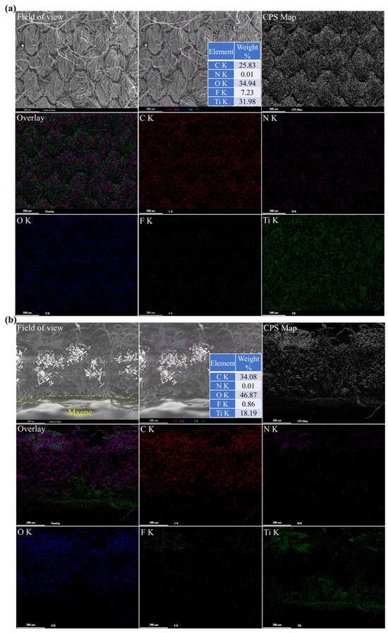
2.1. Preparation and Characterization of MXene
2.2. Preparation and Characterization of Cholesteric Liquid Crystal Microcapsules
2.3. Characterization and Color-Changing Performance of MXene-CLCs-Based Fabrics
3. Materials and Methods
3.1. Materials
3.2. Preparation of Ti3C2Tx
3.3. Preparation of MXene Nanosheet Dispersion
3.4. Preparation of PDA-Modified Substrates
3.5. Preparation of PDAC/MXene Electrostatic Self-Assembled Coated Fabrics
3.6. Preparation of Hydrophobically Modified PDA@PDAC/MXene Substrates
3.7. Preparation of Cholesteric Liquid Crystal Microcapsules
3.8. Preparation of MXene-Based Liquid Crystal Microcapsule Coated Fabrics
4. Conclusions
Author Contributions
Funding
Institutional Review Board Statement
Data Availability Statement
Acknowledgments
Conflicts of Interest
Abbreviations
| CLCs | Cholesteric Liquid Crystals |
| CLCMs | Cholesteric Liquid Crystal Microcapsules |
| PDA | Polydopamine |
| PDAC | Poly(diallyldimethylammonium chloride) |
| LbL | Layer-by-Layer |
| SEM | Scanning Electron Microscopy |
| AFM | Atomic Force Microscopy |
| UV-Vis | Ultraviolet-Visible |
| POM | Polarized Optical Microscopy |
| IoT | Internet of Things |
| Tris | Tris(hydroxymethyl) aminomethane |
| DPA | Dopamine Hydrochloride |
| DMSO | Dimethyl Sulfoxide |
| CPE | Cholesteryl Nonanoate |
| COC | Cholesteryl Oleyl Carbonate |
| PMMA | Poly(methyl methacrylate) |
| DMC | Dichloromethane |
| PVA | Poly(vinyl alcohol) |
| O/W | Oil-in-Water |
References
- Qi, P.; Xie, J.; Xia, G.; Wang, Y.; Xin, J.H. Advanced bionic textile materials: From principles to functional applications. Adv. Mater. 2025, 37, e02118. [Google Scholar] [CrossRef]
- Trovato, V.; Sfameni, S.; Rando, G.; Rosace, G.; Libertino, S.; Ferri, A.; Plutino, M.R. A review of stimuli-responsive smart materials for wearable Technology in Healthcare: Retrospective, perspective, and prospective. Molecules 2022, 27, 5709. [Google Scholar] [CrossRef]
- Ramlow, H.; Andrade, K.L.; Immich, A.P.S. Smart textiles: An overview of recent progress on chromic textiles. J. Text. Inst. 2021, 112, 152–171. [Google Scholar] [CrossRef]
- Seeboth, A.; Lotzsch, D.; Ruhmann, R.; Muehling, O. Thermochromic Polymers Function by Design. Chem. Rev. 2014, 114, 3037–3068. [Google Scholar] [CrossRef]
- Supian, A.; Asyraf, M.; Syamsir, A.; Najeeb, M.; Alhayek, A.; Al-Dala’ien, R.N.; Manar, G.; Atiqah, A. Thermochromic polymer nanocomposites for the heat detection system: Recent progress on properties, applications, and challenges. Polymers 2024, 16, 1545. [Google Scholar] [CrossRef] [PubMed]
- Khazi, M.I.; Jeong, W.; Kim, J.M. Functional materials and systems for rewritable paper. Adv. Mater. 2018, 30, 1705310. [Google Scholar] [CrossRef] [PubMed]
- Geng, Y.; Kizhakidathazhath, R.; Lagerwall, J.P. Robust cholesteric liquid crystal elastomer fibres for mechanochromic textiles. Nat. Mater. 2022, 21, 1441–1447. [Google Scholar] [CrossRef]
- Mostafa, M.; Agra-Kooijman, D.M.; Perera, K.; Adaka, A.; West, J.L.; Jakli, A. Colloidal latex/liquid crystal coatings for thermochromic textiles. Colloid Interface Sci. Commun. 2023, 52, 100693. [Google Scholar] [CrossRef]
- Zhang, Y.; Yang, H.; Chen, Y.; Yu, H. Progress in fabrication and applications of cholesteric liquid crystal microcapsules. Chem. –A Eur. J. 2024, 30, e202303198. [Google Scholar]
- Li, R.; Zhang, S.; Zhang, R. Recent progress in artificial structural colors and their applications in fibers and textiles. Chem.-Methods 2023, 3, e202200081. [Google Scholar] [CrossRef]
- Isapour, G.; Lattuada, M. Bioinspired stimuli-responsive color-changing systems. Adv. Mater. 2018, 30, 1707069. [Google Scholar] [CrossRef]
- Chen, T.; Yang, Q.; Fang, C.; Deng, S.; Xu, B. Advanced Design for Stimuli-Reversible Chromic Wearables With Customizable Functionalities. Adv. Mater. 2025, 37, 2413665. [Google Scholar] [CrossRef]
- Lv, K.; Liu, D.; Li, W.; Tian, Q.; Zhou, X. Reflection characteristics of cholesteric liquid crystal microcapsules with different geometries. Dye. Pigment. 2012, 94, 452–458. [Google Scholar] [CrossRef]
- Yang, T.; Yuan, D.; Liu, W.; Zhang, Z.; Wang, K.; You, Y.; Ye, H.; de Haan, L.T.; Zhang, Z.; Zhou, G. Thermochromic cholesteric liquid crystal microcapsules with cellulose nanocrystals and a melamine resin hybrid shell. ACS Appl. Mater. Interfaces 2022, 14, 4588–4597. [Google Scholar] [CrossRef]
- Lee, S.S.; Kim, S.K.; Won, J.C.; Kim, Y.H.; Kim, S.H. Reconfigurable photonic capsules containing cholesteric liquid crystals with planar alignment. Angew. Chem. 2015, 127, 15481–15485. [Google Scholar] [CrossRef]
- Guan, Y.; Zhang, L.; Wang, D.; West, J.L.; Fu, S. Preparation of thermochromic liquid crystal microcapsules for intelligent functional fiber. Mater. Des. 2018, 147, 28–34. [Google Scholar] [CrossRef]
- Qu, R.; George, T.F.; Li, G. Development in liquid crystal microcapsules: Fabrication, optimization and applications. J. Mater. Chem. C 2022, 10, 413–432. [Google Scholar] [CrossRef]
- Sheng, M.; Zhang, L.; Wang, D.; Li, M.; Li, L.; West, J.L.; Fu, S. Fabrication of dye-doped liquid crystal microcapsules for electro-stimulated responsive smart textiles. Dye. Pigment. 2018, 158, 1–11. [Google Scholar] [CrossRef]
- Sheng, M.; Zhang, L.; Lei, Q.; Hu, A.; Li, L.; Fu, S. Dye-doped liquid crystals under confinement in microcapsules. Dye. Pigment. 2020, 180, 108544. [Google Scholar] [CrossRef]
- Peng, H.; Jiang, W.; Liu, Q.; Chen, G.; Ni, M.; Liang, F.; Liao, Y.; Xie, X.; Smalyukh, I.I. Liquid crystals under confinement in submicrometer capsules. Langmuir 2018, 34, 10955–10963. [Google Scholar] [CrossRef]
- Lin, L.; Li, W.; Wang, X.; Xie, Y.; Li, Y.; Wu, Z. Functional liquid crystal core/hydrogel shell microcapsules for monitoring live cells in a 3D microenvironment. Anal. Chem. 2023, 95, 2750–2756. [Google Scholar] [CrossRef]
- Li, Y.; Jun-Yan Suen, J.; Prince, E.; Larin, E.M.; Klinkova, A.; Thérien-Aubin, H.; Zhu, S.; Yang, B.; Helmy, A.S.; Lavrentovich, O.D. Colloidal cholesteric liquid crystal in spherical confinement. Nat. Commun. 2016, 7, 12520. [Google Scholar] [CrossRef] [PubMed]
- Sheng, M.; Zhang, L.; Guan, Y.; Li, L.; Fu, S. The photoelectric properties characteristics of dye-doped nematic liquid crystal microcapsules with different structural composition. J. Mol. Liq. 2019, 283, 816–822. [Google Scholar] [CrossRef]
- Lim, K.R.G.; Shekhirev, M.; Wyatt, B.C.; Anasori, B.; Gogotsi, Y.; Seh, Z.W. Fundamentals of MXene synthesis. Nat. Synth. 2022, 1, 601–614. [Google Scholar] [CrossRef]
- Zhan, X.; Si, C.; Zhou, J.; Sun, Z. MXene and MXene-based composites: Synthesis, properties and environment-related applications. Nanoscale Horiz. 2020, 5, 235–258. [Google Scholar] [CrossRef]
- Zhang, Y.; Yan, Y.; Qiu, H.; Ma, Z.; Ruan, K.; Gu, J. A mini-review of MXene porous films: Preparation, mechanism and application. J. Mater. Sci. Technol. 2022, 103, 42–49. [Google Scholar] [CrossRef]
- Alhabeb, M.; Maleski, K.; Anasori, B.; Lelyukh, P.; Clark, L.; Sin, S.; Gogotsi, Y. Guidelines for synthesis and processing of two-dimensional titanium carbide (Ti3C2T x MXene). Chem. Mater. 2017, 29, 7633–7644. [Google Scholar] [CrossRef]
- Zhang, S.; Ying, H.; Huang, P.; Yang, T.; Han, W.-Q. Hierarchical utilization of raw Ti3C2Tx MXene for fast preparation of various Ti3C2Tx MXene derivatives. Nano Res. 2022, 15, 2746–2755. [Google Scholar] [CrossRef]
- Shahzad, A.; Rasool, K.; Miran, W.; Nawaz, M.; Jang, J.; Mahmoud, K.A.; Lee, D.S. Two-dimensional Ti3C2T x MXene nanosheets for efficient copper removal from water. ACS Sustain. Chem. Eng. 2017, 5, 11481–11488. [Google Scholar] [CrossRef]
- Ding, L.; Wei, Y.; Wang, Y.; Chen, H.; Caro, J.; Wang, H. A two-dimensional lamellar membrane: MXene nanosheet stacks. Angew. Chem. Int. Ed. 2017, 56, 1825–1829. [Google Scholar] [CrossRef]
- Wang, X.; Kajiyama, S.; Iinuma, H.; Hosono, E.; Oro, S.; Moriguchi, I.; Okubo, M.; Yamada, A. Pseudocapacitance of MXene nanosheets for high-power sodium-ion hybrid capacitors. Nat. Commun. 2015, 6, 6544. [Google Scholar] [CrossRef]
- Sheng, M.; Zhang, L.; West, J.L.; Fu, S. Multicolor electrochromic dye-doped liquid crystal yolk–shell microcapsules. ACS Appl. Mater. Interfaces 2020, 12, 29728–29736. [Google Scholar] [CrossRef]
- Kim, M.; Park, K.J.; Seok, S.; Ok, J.M.; Jung, H.-T.; Choe, J.; Kim, D.H. Fabrication of microcapsules for dye-doped polymer-dispersed liquid crystal-based smart windows. ACS Appl. Mater. Interfaces 2015, 7, 17904–17909. [Google Scholar]
- Li, K.; Zou, G.; Jiao, T.; Xing, R.; Zhang, L.; Zhou, J.; Zhang, Q.; Peng, Q. Self-assembled MXene-based nanocomposites via layer-by-layer strategy for elevated adsorption capacities. Colloids Surf. A Physicochem. Eng. Asp. 2018, 553, 105–113. [Google Scholar]
- Ahmed, A.; Hossain, M.M.; Adak, B.; Mukhopadhyay, S. Recent advances in 2D MXene integrated smart-textile interfaces for multifunctional applications. Chem. Mater. 2020, 32, 10296–10320. [Google Scholar] [CrossRef]
- Zhang, D.; Wang, R.; Wang, X.; Gogotsi, Y. In situ monitoring redox processes in energy storage using UV–Vis spectroscopy. Nat. Energy 2023, 8, 567–576. [Google Scholar] [CrossRef]
- Hao, H.; Liu, X. Preparation and characterization of thermotropic liquid crystal microcapsules and application in textile. Fibers Polym. 2017, 18, 246–252. [Google Scholar] [CrossRef]
- Guan, Y.; Zhang, L.; Li, M.; West, J.L.; Fu, S. Preparation of temperature-response fibers with cholesteric liquid crystal dispersion. Colloids Surf. A Physicochem. Eng. Asp. 2018, 546, 212–220. [Google Scholar] [CrossRef]







Disclaimer/Publisher’s Note: The statements, opinions and data contained in all publications are solely those of the individual author(s) and contributor(s) and not of MDPI and/or the editor(s). MDPI and/or the editor(s) disclaim responsibility for any injury to people or property resulting from any ideas, methods, instructions or products referred to in the content. |
© 2026 by the authors. Licensee MDPI, Basel, Switzerland. This article is an open access article distributed under the terms and conditions of the Creative Commons Attribution (CC BY) license.
Share and Cite
Sun, X.; Yang, Y.; Zhang, X.; Yin, M.; Sheng, M. Preparation and High-Sensitivity Thermochromic Performance of MXene-Enhanced Cholesteric Liquid Crystal Microcapsule Textiles. Polymers 2026, 18, 223. https://doi.org/10.3390/polym18020223
Sun X, Yang Y, Zhang X, Yin M, Sheng M. Preparation and High-Sensitivity Thermochromic Performance of MXene-Enhanced Cholesteric Liquid Crystal Microcapsule Textiles. Polymers. 2026; 18(2):223. https://doi.org/10.3390/polym18020223
Chicago/Turabian StyleSun, Xuzhi, Yi Yang, Xiangwu Zhang, Maoli Yin, and Mingfei Sheng. 2026. "Preparation and High-Sensitivity Thermochromic Performance of MXene-Enhanced Cholesteric Liquid Crystal Microcapsule Textiles" Polymers 18, no. 2: 223. https://doi.org/10.3390/polym18020223
APA StyleSun, X., Yang, Y., Zhang, X., Yin, M., & Sheng, M. (2026). Preparation and High-Sensitivity Thermochromic Performance of MXene-Enhanced Cholesteric Liquid Crystal Microcapsule Textiles. Polymers, 18(2), 223. https://doi.org/10.3390/polym18020223

