Sign in to use this feature.

Years

Between: -

Subjects

remove_circle_outline
remove_circle_outline
remove_circle_outline
remove_circle_outline
remove_circle_outline
remove_circle_outline
remove_circle_outline
remove_circle_outline
remove_circle_outline

Journals

remove_circle_outline
remove_circle_outline
remove_circle_outline
remove_circle_outline
remove_circle_outline
remove_circle_outline
remove_circle_outline

Article Types

Countries / Regions

remove_circle_outline
remove_circle_outline
remove_circle_outline

Search Results (310)

Search Parameters:
Keywords = damaged starch

Order results
Result details
Results per page
Select all
Export citation of selected articles as:
20 pages, 3936 KB  
Article
Melatonin Activates Phenylpropanoid Metabolism and Antioxidant Defense to Preserve Quality of Fresh-Cut Potatoes During Cold Storage
by Xingyue Ma, Hao Wang, Xiju Wang, Xingyu Li, Hui Li, Dongqing Wang and Yang Yang
Foods 2026, 15(7), 1234; https://doi.org/10.3390/foods15071234 - 4 Apr 2026
Viewed by 311
Abstract
To develop safe and effective preservatives for fresh-cut produce, this study elucidates the multi-pathway mechanisms through which Melatonin (MT) regulates postharvest senescence in fresh-cut potatoes. Treatment with 0.1 mmol/L exogenous MT effectively inhibited browning and softening during storage. In terms of browning control, [...] Read more.
To develop safe and effective preservatives for fresh-cut produce, this study elucidates the multi-pathway mechanisms through which Melatonin (MT) regulates postharvest senescence in fresh-cut potatoes. Treatment with 0.1 mmol/L exogenous MT effectively inhibited browning and softening during storage. In terms of browning control, MT suppressed PPO and POD activities by 46% and ~10% at the end of storage (day 12), while enhancing enzymatic and non-enzymatic antioxidant capacity by 1.1- to 1.6-fold on average throughout storage. This alleviated oxidative damage and membrane lipid peroxidation, thereby reducing tissue browning. Regarding texture maintenance, MT downregulated PME and cellulase activities by 23% and 19% at the end of storage, activated phenylpropanoid metabolism, and inhibited starch degradation (maintaining 19% higher starch content), thus preserving cell wall structure and firmness (9.2% higher at the end of storage). Further analysis revealed that MT antagonized ethylene biosynthesis, upregulated StMYB168 expression (5.8-fold higher than control on average), and activated endogenous MT biosynthesis, establishing a self-sustaining positive regulatory cycle. Correlation analysis confirmed close relationships among physiological processes, signaling responses, and quality traits, with significant associations between firmness and starch content (r = 0.72), color indices and PPO/POD (|r| > 0.65), and MT biosynthesis genes and metabolic pathways (r = 0.65–0.75) (p < 0.01). Full article
(This article belongs to the Section Plant Foods)
Show Figures

Figure 1

19 pages, 3728 KB  
Article
Paraburkholderia Mediates Salt Stress Alleviation in Cucumber Seedlings
by Xinyu Jia, Bin Tian, Jingwen Li, Shanyu Li, Mengxin Chen, Sai Wang, Yonghui Zhao, Lin Hao and Wei Fu
Plants 2026, 15(7), 1104; https://doi.org/10.3390/plants15071104 - 3 Apr 2026
Viewed by 355
Abstract
To elucidate the cooperative regulatory mechanisms underlying Paraburkholderia sp. GD17-mediated salt tolerance in cucumber plants. Hydroponically grown cucumber plants were inoculated with GD17 and subsequently subjected to NaCl treatment. Physiological, biochemical parameters, as well as gene expression profiles, were comprehensively analyzed. GD17 inoculation [...] Read more.
To elucidate the cooperative regulatory mechanisms underlying Paraburkholderia sp. GD17-mediated salt tolerance in cucumber plants. Hydroponically grown cucumber plants were inoculated with GD17 and subsequently subjected to NaCl treatment. Physiological, biochemical parameters, as well as gene expression profiles, were comprehensively analyzed. GD17 inoculation significantly improved plant growth, developmental performance, and salinity tolerance. Under salt stress, GD17-inoculated plants exhibited higher leaf nutrient contents compared to non-inoculated controls, particularly an elevated K+/Na+ ratio, which was closely associated with the upregulated expression of Na+ extrusion-related genes. A substantial increase in proline content and the corresponding biosynthesis-related gene expression indicated that enhanced osmoprotectant synthesis played a critical role in GD17-conferred salt tolerance. Phytohormone levels and their signaling-related gene expression were also significantly upregulated in GD17-inoculated plants under salt stress. Moreover, transcription factor gene expression was markedly increased in GD17-treated plants following salt exposure. GD17 inoculation alleviated salt-induced photosynthetic inhibition, as demonstrated by improved photosynthetic efficiency and reduced suppression of photosynthesis-related gene expression. Transcriptional profiling further revealed that starch degradation, photorespiration, and the pentose phosphate pathway were crucial for GD17-mediated salt tolerance. Reduced oxidative damage, driven by enhanced antioxidative activity, further contributed to the observed protective mechanisms. This study demonstrates that the application of Paraburkholderia sp. GD17 concurrently enhances cucumber growth and salinity tolerance, effectively resolving the trade-off between growth and defense. Multi-level analyses provided comprehensive mechanistic insights into these synergistic effects. Full article
Show Figures

Figure 1

29 pages, 12522 KB  
Article
Investigating Commensal Practices in Iron Age Communities of Southern Italy Through Functional Analysis of Local Pottery
by Florinda Notarstefano, Francesco Messa, Gaia Sabetta and Grazia Semeraro
Heritage 2026, 9(4), 125; https://doi.org/10.3390/heritage9040125 - 25 Mar 2026
Viewed by 311
Abstract
Iron Age settlements in the Salento peninsula (Southern Italy, 8th–6th century BC) underwent fundamental transformations in social organization, marked by the emergence of local elites through trade development and intense contacts with the Greek world. This study examines organic residue assemblages from 99 [...] Read more.
Iron Age settlements in the Salento peninsula (Southern Italy, 8th–6th century BC) underwent fundamental transformations in social organization, marked by the emergence of local elites through trade development and intense contacts with the Greek world. This study examines organic residue assemblages from 99 ceramic sherds from one key Iron Age site to clarify the role of locally produced ceramics—both coarse ware containers and Japigian matt-painted vessels—in commensal and beverage production practices. Chromatographic analyses identified a wide variety of animal and plant by-products, including fats, oils, waxes, and resin compounds. Integrated phytolith and starch analysis revealed evidence consistent with fermentation processes, particularly through the identification of fungal remains and damaged starch granules suggesting brewing activities in a subset of vessels. Matt-painted pottery forms—characterized by conical rims, funnel-shaped necks, bowls, and jugs—show distinctive use-alteration patterns and residue profiles associated with fermented beverage consumption and preparation in approximately 26% of the analyzed assemblage. Integrating organic residue analysis, experimental archaeology, and microfossil investigation suggests the central role of locally produced pottery in Iron Age commensal activities and status display, though alternative interpretations for some biomarker profiles cannot be excluded. This multiproxy approach demonstrates functional differentiation and consumption practices, refining interpretations of vessel use and providing new insights into food economies and social life during the Iron Age in southern Italy. Full article
(This article belongs to the Special Issue New Advances in Biomolecular Approaches to Archaeological Heritage)
Show Figures

Figure 1

21 pages, 3089 KB  
Article
The Regulatory Effects of Different Girdling Treatments on Leaf Senescence Characteristics and Fruit Quality in Kiwifruit
by Siyu Wang, Qian Chen, Meng Zhang, Huihui Tao, Guiqing Tu and Chao Xu
Horticulturae 2026, 12(3), 332; https://doi.org/10.3390/horticulturae12030332 - 10 Mar 2026
Viewed by 291
Abstract
This study elucidates the regulatory mechanisms of girdling on leaf senescence and fruit quality in ‘Jinyan’ kiwifruit, providing a theoretical basis for high-yield and high-quality cultivation. Ten-year-old vines were subjected to single (5 mm, 9 mm) and double (5 mm, 9 mm) girdling [...] Read more.
This study elucidates the regulatory mechanisms of girdling on leaf senescence and fruit quality in ‘Jinyan’ kiwifruit, providing a theoretical basis for high-yield and high-quality cultivation. Ten-year-old vines were subjected to single (5 mm, 9 mm) and double (5 mm, 9 mm) girdling treatments at two distinct stages: peak flowering stage (Group A) and 10 days post-anthesis (Group B). Physiological markers, including reactive oxygen species (ROS) and antioxidant enzyme activities, were monitored at 10, 35, and 70 days post-treatment and integrated with fruit quality metrics using Principal Component Analysis (PCA). Physiologically, girdling induced a transient oxidative burst, characterized by increased ROS accumulation proportional to girdling intensity. This triggered a robust antioxidant defense response, where superoxide dismutase (SOD), catalase (CAT), and peroxidase (POD) activities peaked at 35 days, effectively mitigating oxidative damage (MDA) during the healing phase. Concurrently, metabolic substrates (soluble protein, starch, and sugar) were significantly enriched in leaves. Agronomically, all treatments enhanced fruit yield, single-fruit weight, and soluble solids content (SSC). Notably, double girdling treatments specifically promoted fruit elongation and dry matter accumulation. Comprehensive evaluation identified distinct optimal strategies: while moderate single girdling (A2) was superior during flowering, double girdling (B3, B4) proved most effective post-anthesis. Ultimately, double girdling performed 10 days post-anthesis emerged as the optimal regimen, effectively balancing source-sink relationships to maximize both physiological function and fruit quality. Full article
(This article belongs to the Special Issue Advances in Cultivation and Breeding of Kiwifruit)
Show Figures

Figure 1

18 pages, 8198 KB  
Article
Effect of Industrial-Scale Microfluidizer Treatment on the Physicochemical Properties and Quality of Whole-Component Dehulled Foxtail Millet Slurry
by Wen Cao, Jianlei Liu, Xiaoxuan Jing, Ruohao Sun, Dong Zhang, Hui Sun, Weiqiao Yang and Xiaoliang Duan
Foods 2026, 15(5), 962; https://doi.org/10.3390/foods15050962 - 9 Mar 2026
Viewed by 321
Abstract
The effects of an industrial-scale microfluidizer (ISM) on the physicochemical properties and quality of whole-component dehulled foxtail millet slurry were investigated under varying processing pressures (0, 60, 90, and 120 MPa). ISM treatment significantly enhanced the apparent stability of the whole-component dehulled foxtail [...] Read more.
The effects of an industrial-scale microfluidizer (ISM) on the physicochemical properties and quality of whole-component dehulled foxtail millet slurry were investigated under varying processing pressures (0, 60, 90, and 120 MPa). ISM treatment significantly enhanced the apparent stability of the whole-component dehulled foxtail millet slurry, with ISM–120 exhibiting the best apparent stability. The results of dispersion characteristics, serum cloudiness, and zeta potential measurements indicated that ISM processing enhanced the physical stability of the slurry. As processing pressure increased, the particle size of whole-component dehulled foxtail millet slurry first decreased sharply and then showed a slight increase. Compared to the untreated slurry, the D was reduced by approximately 81.32%, 81.72%, and 78.44% after treatment at 60, 90, and 120 MPa, respectively. Concurrently, the apparent viscosity of the slurry rises with increasing processing pressure, with ISM–120 displaying the highest apparent viscosity. Furthermore, CLSM analysis revealed that ISM–90 and ISM–120 exhibited overall more uniform and stable structures. The content of damaged starch correspondingly increased with higher processing pressures, further corroborating the findings from particle size and scanning electron microscopy observations. Simultaneously, the soluble solids content also increased with rising ISM processing pressure. However, increasing ISM processing pressure progressively reduced the L*, a*, b*, and C* values of the slurry, while the ΔE and h values progressively increased. Compared to the untreated slurry, the ΔE value increased by approximately 1.92%, 3.85%, and 6.41% after treatment at 60, 90, and 120 MPa, respectively. These changes resulted in a deterioration of the color quality of the whole-component dehulled foxtail millet slurry. Full article
(This article belongs to the Section Grain)
Show Figures

Figure 1

19 pages, 3720 KB  
Article
Ozone, Heat Shock, and Microwave Differentially Promote Nutritional Quality and Antioxidant Capacity of Sweet Corn
by Wenhui Xu, Ting Guo, Zhuan Peng, Yuanqing Li, Jian Lou, Fucheng Zhao, Lingling Liu, Yizhou Gao, Longying Pei, Miroslava Kačániová, Zhaojun Ban and Jinghe Sun
Foods 2026, 15(5), 911; https://doi.org/10.3390/foods15050911 - 6 Mar 2026
Viewed by 269
Abstract
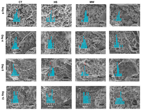
In this study, the effects of ozone treatment (O3), heat shock treatment (HS), and microwave treatment (MW) on sensory quality, physicochemical properties, and oxidation levels of sweet corn were systematically investigated during storage. The results demonstrated that three treatments prolonged the [...] Read more.
In this study, the effects of ozone treatment (O3), heat shock treatment (HS), and microwave treatment (MW) on sensory quality, physicochemical properties, and oxidation levels of sweet corn were systematically investigated during storage. The results demonstrated that three treatments prolonged the postharvest quality of sweet corn to varying degrees. Specifically, the O3 group demonstrated the best sensory and appearance characteristics, with its sensory score being 1.18 and 1.38 folds higher than the HS group and MW group, respectively, and significant retardation of color deterioration. In addition, the O3 group effectively maintained the stability and hardness of the starch structure. The weight loss rate of the HS group decreased 0.78-fold compared to the CT group after storage. Moreover, both HS and MW treatments maintained the antioxidant properties of sweet corn, but MW had the limitations of local scalding damage and accelerated deterioration in later quality. The results of this study provide a scientific basis for the optimization and application of postharvest preservation techniques for sweet corn. Full article
Show Figures

Graphical abstract

17 pages, 5118 KB  
Article
Effect of a Low-Temperature Tempering Process on the Hot Air Drying Characteristics and Quality of Waxy Corn
by Qingyun Sun, Qina Yu, Menglong Han, Xianlong Yu, Zhenchao Jia, Dayong Guo, Feng Zhao and Zongchao Zhang
AgriEngineering 2026, 8(3), 89; https://doi.org/10.3390/agriengineering8030089 - 2 Mar 2026
Viewed by 399
Abstract
A low-temperature tempering staged drying process was proposed in this study to minimize quality degradation and improve drying efficiency during waxy corn drying. Experiments of continuous drying, low-temperature tempering drying, and low-temperature tempering staged drying were conducted to investigate the drying characteristics and [...] Read more.
A low-temperature tempering staged drying process was proposed in this study to minimize quality degradation and improve drying efficiency during waxy corn drying. Experiments of continuous drying, low-temperature tempering drying, and low-temperature tempering staged drying were conducted to investigate the drying characteristics and quality of waxy corn. The results showed that the low-temperature tempering drying process could shorten the effective drying time and increase the drying rate during the latter stage of the drying process. Under the same hot air temperature, increasing the tempering temperature from 30 °C to 40 °C reduced the effective drying time by 20 min. The Modified Henderson and Pabis model exhibited the best fit to the experimental drying data (R2 ≥ 0.9864). The microstructural images of the waxy corn flour showed no significant changes among the experimental groups. The color difference (ΔE) of the continuous drying group was higher than that of the other experimental groups. Both the low-temperature tempering drying process and the low-temperature tempering staged drying process caused less damage to the waxy corn with a relatively lower crack ratio, thereby leading to a reduced electrical conductivity value. The starch content of the 80 °C–60 °C–40 °C group was higher than that of the other experimental groups. Based on comprehensive evaluation of the drying characteristics, the color parameters, and the quality of the dried waxy corn, the 80 °C–60 °C–40 °C group represents a favorable alternative. Full article
Show Figures

Figure 1

24 pages, 4017 KB  
Article
Adaptive Strategies of Cyrtorhinus lividipennis (Hemiptera: Miridae) to Short-Term High Temperature Stress: Insights from Physiological and Transcriptomic Responses
by Qian Huang, Suosheng Huang, Biqiu Wu, Liping Long, Cheng Li, Siyu Chen and Yan Ling
Insects 2026, 17(2), 173; https://doi.org/10.3390/insects17020173 - 5 Feb 2026
Viewed by 632
Abstract
Cyrtorhinus lividipennis, a key natural enemy of the brown planthopper, Nilaparvata lugens, has been observed to tolerate short-term high-temperature exposure; however, the physiological and molecular mechanisms underlying this heat tolerance remain unclear, which may hinder its effective conservation and utilization. Here, [...] Read more.
Cyrtorhinus lividipennis, a key natural enemy of the brown planthopper, Nilaparvata lugens, has been observed to tolerate short-term high-temperature exposure; however, the physiological and molecular mechanisms underlying this heat tolerance remain unclear, which may hinder its effective conservation and utilization. Here, we combined physiological and biochemical assays with transcriptome sequencing to elucidate the physiological and molecular mechanisms of heat tolerance in C. lividipennis following 1 h exposure to three temperatures: 26 °C (control), 33 °C (moderate heat stress), and 40 °C (severe heat stress). At 40 °C, sorbitol, trehalose, lipid, and glycogen contents increased significantly, whereas glycerol levels declined. Transcriptomic profiling revealed temperature-dependent DEGs enriched in starch and sucrose metabolism, galactose metabolism, glycerolipid metabolism, oxidative phosphorylation, and protein folding, sorting, and degradation, with pronounced temperature-dependent upregulation of heat shock protein (HSP) gene families. Together, these results demonstrate that C. lividipennis coordinates its heat stress response through soluble polyol accumulation, which is known to act as a compatible osmolytes that help stabilize proteins and membranes and mitigate thermal damage, energy metabolic reprogramming, and HSP-mediated proteostasis, thereby providing a theoretical basis for its conservation and utilization in sustainable paddy agroecosystems. Full article
(This article belongs to the Section Insect Physiology, Reproduction and Development)
Show Figures

Figure 1

17 pages, 8614 KB  
Article
Exogenous Melatonin Enhances the Salt Tolerance of Celery (Apium graveolens L.) by Regulating Osmotic Adaptation and Energy Metabolism via Starch and Sucrose Metabolic Pathways
by Zhiheng Chen, Wenhao Lin, Shengyan Yang, Wenjia Cui, Shiyi Zhang, Zexi Peng, Yonglu Li, Yangxia Zheng, Fangjie Xie and Mengyao Li
Int. J. Mol. Sci. 2026, 27(3), 1299; https://doi.org/10.3390/ijms27031299 - 28 Jan 2026
Viewed by 390
Abstract
Salt stress is one of the main abiotic stresses that restrict crop production. Melatonin (MT), a signal molecule widely present in plants, plays an important role in regulating abiotic stress response. In this study, celery seedlings were used as experimental materials, and the [...] Read more.
Salt stress is one of the main abiotic stresses that restrict crop production. Melatonin (MT), a signal molecule widely present in plants, plays an important role in regulating abiotic stress response. In this study, celery seedlings were used as experimental materials, and the control, salt stress, and exogenous MT treatment groups under salt stress were set up. Through phenotypic, physiological index determination, transcriptome sequencing, and expression analysis, the alleviation effects of MT on salt stress were comprehensively investigated. The results showed that exogenous MT treatment significantly reduced seedling growth inhibition caused by salt stress. Physiological measurements showed that MT significantly reduced malondialdehyde content, increased the activities of superoxide dismutase (SOD), peroxidase (POD) and catalase (CAT), promoted the accumulation of free proline and soluble protein, and increased photosynthetic parameters such as chlorophyll, ΦPSII, Fv/Fm, and ETR. Transcriptome analysis showed that MT regulates the expression of several genes associated with carbon metabolism, including β-amylase gene (AgBAM), sucrose-degrading enzyme genes (AgSUS, AgINV), and glucose synthesis-related genes (AgAG, AgEGLC, AgBGLU). The results of qRT-PCR verification were highly consistent with the transcriptome sequencing data, revealing that MT synergistically regulates starch and sucrose metabolic pathways, and effectively alleviates the damage of celery seedlings under salt stress at the molecular level. In summary, exogenous MT significantly improved the salt tolerance of celery by enhancing antioxidant capacity, maintaining photosynthetic function, promoting the accumulation of osmotic adjustment substances, and synergistically regulating carbon metabolism-related pathways. The concentration of 200 μM was identified as optimal, based on its most pronounced alleviating effects across the physiological parameters measured. This study provides an important theoretical basis for utilizing MT to enhance plant salt resistance. Full article
(This article belongs to the Collection Advances in Molecular Plant Sciences)
Show Figures

Figure 1

15 pages, 2662 KB  
Case Report
Multidisciplinary Approach for Dental Management of Congenital Insensitivity to Pain with Anhidrosis: Clinical Case Report with 12-Month Follow-Up
by Almoataz B. A. T. Abdel-bari, Mohamed Fawzy, Khaled A. Saad and Hatem A. Alhadainy
Dent. J. 2026, 14(1), 68; https://doi.org/10.3390/dj14010068 - 20 Jan 2026
Viewed by 587
Abstract
Background: Congenital Insensitivity to Pain and Anhidrosis (CIPA) is a rare autosomal recessive disorder characterized by congenital analgesia, anhidrosis, and multisystem involvement affecting the musculoskeletal, cutaneous, oral, and para-oral structures. This case report describes the oral phenotype and multidisciplinary clinical management of a [...] Read more.
Background: Congenital Insensitivity to Pain and Anhidrosis (CIPA) is a rare autosomal recessive disorder characterized by congenital analgesia, anhidrosis, and multisystem involvement affecting the musculoskeletal, cutaneous, oral, and para-oral structures. This case report describes the oral phenotype and multidisciplinary clinical management of a child with CIPA. Case Description: A 9-year-old boy presented with poor oral hygiene, multiple severely damaged teeth, masticatory difficulty, limited mouth opening, impaired bolus control, and para-oral traumatic injuries. Medical and orthopedic history indicated recurrent painless fractures, self-inflicted injuries, cutaneous scarring, and recurrent hyperpyrexia. Oral self-injury associated with CIPA was suspected and supported by the Nociception Assessment Test and Minor’s Iodine–Starch Test. Although the clinical findings were suggestive of CIPA, the diagnosis remained presumptive due to the absence of confirmatory molecular or histopathological testing. Management: A wearable wireless continuous temperature-monitoring device was prescribed to assist in tracking hyperpyrexia associated with CIPA (RHA-CIPA). A conservative, staged, multidisciplinary treatment was planned rather than full-mouth extraction, emphasizing prevention of dental sepsis and mitigation of future self-injury. Dental procedures were performed under local anesthesia to manage discomfort related to tactile hyperesthesia. To reduce nocturnal biting and oral trauma, a hard acrylic occlusal protector was fabricated using an intraoral scanner and a 3D-printed cast. The patient was followed for 12 months. Outcomes: At the 12-month follow-up, clinical improvement was observed, with particularly notable gains in cheek elasticity and soft tissue resilience. Conclusions: This case highlights the considerable challenges involved in the interdisciplinary management of children with CIPA, including oral self-injury prevention, limited mouth opening, and the necessity of close coordination with medical specialties. These findings are descriptive observations of a single case and do not establish efficacy or generalizability of any intervention. Full article
Show Figures

Figure 1

16 pages, 1908 KB  
Article
Effects of Milling Methods on the Physicochemical Properties of Rice Flour from Indica, Japonica, and Glutinous Rice
by Chunlei Zheng, Zhenzhen Ren, Limin Li and Xueling Zheng
Foods 2026, 15(2), 275; https://doi.org/10.3390/foods15020275 - 12 Jan 2026
Viewed by 766
Abstract
This study evaluated the effects of three milling methods, which are dry, semi-dry, and wet milling, on the physicochemical, thermal, and rheological properties of three types of broken rice (indica, japonica, and glutinous rice). The aim was to evaluate how these milling methods [...] Read more.
This study evaluated the effects of three milling methods, which are dry, semi-dry, and wet milling, on the physicochemical, thermal, and rheological properties of three types of broken rice (indica, japonica, and glutinous rice). The aim was to evaluate how these milling methods affect key flour characteristics, including starch damage, particle size distribution, swelling power, solubility, and gelatinization behavior. Dry milling resulted in the highest degree of starch damage, leading to increased solubility and swelling power, but also a reduction in gelatinization temperature and paste viscosity. Semi-dry milling exhibited moderate starch damage, enhanced thermal stability, and superior functional properties in comparison to dry milling. Wet milling, while minimizing starch damage, produced finer particles but resulted in lower swelling power and solubility. The results also indicated that Japonica rice exhibited the least starch damage, followed by Indica and Glutinous rice. These findings provide important insights into optimizing milling techniques for high-quality rice flour production, particularly for gluten-free food products. Overall, milling method substantially modulates structure and function relations in rice flour, and semi-dry and wet milling preserve starch integrity better than dry milling. These results provide practical guidance for selecting milling strategies to tailor flour functionality for specific rice-based products. Full article
(This article belongs to the Section Grain)
Show Figures

Graphical abstract

13 pages, 2175 KB  
Article
The Effect of Different Particle Size Distribution on the Quality of Rice Flour
by Qinghua Yue, Xiya Song, Yuxia Yang, Jingwen Qin, Yue Li, Xunda Wang and Jiangtao Lin
Foods 2026, 15(2), 204; https://doi.org/10.3390/foods15020204 - 7 Jan 2026
Viewed by 830
Abstract
Rice flour, as an essential food ingredient, exhibits processing and end-use properties that are critically influenced by its particle size distribution (D10, D50, D90). This study systematically investigates the effect of varying particle size fractions on the chemical composition, color, water absorption, pasting [...] Read more.
Rice flour, as an essential food ingredient, exhibits processing and end-use properties that are critically influenced by its particle size distribution (D10, D50, D90). This study systematically investigates the effect of varying particle size fractions on the chemical composition, color, water absorption, pasting behavior, thermal properties, and rheological characteristics of rice flour. Our results indicate no statistically significant differences in the major chemical constituents across different particle size ranges (p > 0.05). However, finer particles demonstrated increased whiteness (89.94 to 90.52) and higher levels of damaged starch. A consistent decline was observed in several pivotal parameters—including peak viscosity, final viscosity, breakdown, setback, onset temperature, peak temperature, conclusion temperature, gelatinization enthalpy (ΔH), storage modulus (G′), and loss modulus (G″)—with decreasing particle size, although only marginal variations were noted for the finest D and E fractions. Notably, the coarsest fraction exhibited the highest gelatinization enthalpy (ΔH = 11.12 J/g). These findings elucidate the fundamental role of particle size distribution in modulating the multifunctional properties of rice flour, providing a theoretical foundation for its targeted application and quality optimization in food industry practices. Full article
(This article belongs to the Section Grain)
Show Figures

Figure 1

17 pages, 3587 KB  
Article
Brassinolide Alleviates Maize Silk Growth Under Water Deficit by Reprogramming Sugar Metabolism and Enhancing Antioxidant Defense
by Jinrong Xu, Zhicheng Cheng, Li Dai, Wangjing Li, Liyuan Chen, Gatera Anicet, Yi Yu and Youhong Song
Plants 2026, 15(1), 139; https://doi.org/10.3390/plants15010139 - 3 Jan 2026
Viewed by 683
Abstract
Reproductive-stage drought arrests silk elongation, causing a greater anthesis-silking interval and subsequent kernel loss in maize. Exogenous brassinolide (BR) is known to increase drought tolerance; however, its influence on silk growth under water deficit remains unresolved. Here, we subjected maize to drought before [...] Read more.
Reproductive-stage drought arrests silk elongation, causing a greater anthesis-silking interval and subsequent kernel loss in maize. Exogenous brassinolide (BR) is known to increase drought tolerance; however, its influence on silk growth under water deficit remains unresolved. Here, we subjected maize to drought before tassel emergence (V13) and then applied foliar BR at concentrations of 0, 0.1, 0.5, or 1 mg mL−1, with distilled water-sprayed plants serving as controls. Silk elongation under water-deficit stress was partially restored by 0.1 and 0.5 mg mL−1 BR but suppressed by 1 mg mL−1, with 0.5 mg mL−1 increasing silk length by 2.9-fold compared to the stress control, recovering it to 26.5% of the well-watered level. This protection was underpinned by elevated antioxidant capacity (POD, SOD, and CAT by 31–77%, 12–46%, and 20–33%, respectively) and a 25–76% rise in proline relative to the distilled water-sprayed, which collectively curtailed oxidative damage, as evidenced by 36–67% reductions in O2 and H2O2 levels and a 24% decrease in MDA content. Critically, BR reprogrammed sugar metabolism: sucrose phosphate synthase (SPS) activity declined, while sucrose synthase (SS-I) and vacuolar invertase (VIN) activities surged, thereby shifting carbon partitioning from sucrose toward hexoses to sustain energy supply for silk growth. Genome-wide RNA-seq identified 6171 upregulated and 3295 downregulated genes, significantly enriched in 20 pathways, including starch/sucrose metabolism, glycolysis/gluconeogenesis, and phenylpropanoid biosynthesis. The expression of key genes, including sucrose invertase (INV) and hexokinase (HK), was significantly upregulated by 2.4- to 8.7-fold and 2.3- to 4.0-fold, respectively, compared to the distilled water-sprayed control. This multi-level analysis demonstrates that BR mitigates drought-induced silk growth arrest by orchestrating antioxidant defense, osmotic regulation, and metabolic reprogramming into a coordinated network, providing mechanistic insights into brassinosteroid-mediated reproductive stress adaptation in maize. Full article
Show Figures

Figure 1

14 pages, 3865 KB  
Article
Integrated Proteomic and Metabolomic Profiling of the Secretome of Fusarium verticillioides Reveals Candidate Associated Proteins and Secondary Metabolites
by Min-Min Sui, Yan Zhang, Jian-Fa Yang, Fan-Fan Shu, Feng-Cai Zou, Jun-Jun He and Jun Ma
J. Fungi 2026, 12(1), 24; https://doi.org/10.3390/jof12010024 - 27 Dec 2025
Viewed by 752
Abstract
Fusarium verticillioides (F. verticillioides) is an important fungal pathogen known to infect a variety of economically critical crops, particularly maize, causing substantial yield reductions and economic losses worldwide. In addition to its direct damage to agricultural productivity, F. verticillioides threatens public [...] Read more.
Fusarium verticillioides (F. verticillioides) is an important fungal pathogen known to infect a variety of economically critical crops, particularly maize, causing substantial yield reductions and economic losses worldwide. In addition to its direct damage to agricultural productivity, F. verticillioides threatens public health by producing/secreting potent compounds, including well-known fumonisins (FUMs), which pose significant health threats to both livestock and humans due to their toxicity and carcinogenicity. However, current knowledge of the materials secreted/produced by F. verticillioides, such as secreted proteins and additional secondary metabolites, remains limited. In the present study, we conducted an integrated secretome analysis of F. verticillioides at the exponential growth stage by using proteomic and metabolomic technologies. The results of the present study showed that proteomic analysis identified 185 proteins, including 138 fungus-specific proteins. GO enrichment of these 138 fungus-specific proteins yielded 24 significant terms spanning carbohydrate/polysaccharide and aminoglycan metabolic/catabolic processes, extracellular and membrane-anchored components, and hydrolase/peptidase activities. Meanwhile, KEGG analysis identified starch and sucrose metabolism as the sole significantly enriched pathway. Metabolomic analysis of medium supernatant showed that a total of 2352 metabolites were identified, with 110 unique to the medium supernatant of the fungal group, including fumonisins (A1, B2, B3, B4), fatty acids, and other bioactive compounds. KEGG pathway enrichment highlighted key metabolic pathways, including the TCA cycle, unsaturated fatty acid biosynthesis, and arachidonic acid metabolism. These findings provide new insights into the pathogenic mechanisms of F. verticillioides, suggesting candidates for virulence-associated functions and metabolic adaptations that potentially contribute to its pathogenicity. Full article
(This article belongs to the Section Fungal Genomics, Genetics and Molecular Biology)
Show Figures

Figure 1

16 pages, 3620 KB  
Article
Comparative Transcriptional Analysis and Functional Validation of Aluminum Stress-Responsive RsALS3 Gene in Two Rhododendron Cultivars
by Xueqin Li, Jing Zhang, Caiyan Yuan, Yingying Shan, Zhongxu Wang, Ziyun Wan and Songheng Jin
Horticulturae 2026, 12(1), 22; https://doi.org/10.3390/horticulturae12010022 - 25 Dec 2025
Viewed by 517
Abstract
Rhododendrons naturally inhabit acidic soils where aluminum (Al) toxicity severely restricts plant growth, yet the molecular basis underlying cultivar-dependent differences in Al tolerance remains poorly understood. In this study, we compared the transcriptional and physiological responses of an Al-resistant cultivar (Kangnaixin) and an [...] Read more.
Rhododendrons naturally inhabit acidic soils where aluminum (Al) toxicity severely restricts plant growth, yet the molecular basis underlying cultivar-dependent differences in Al tolerance remains poorly understood. In this study, we compared the transcriptional and physiological responses of an Al-resistant cultivar (Kangnaixin) and an Al-sensitive cultivar (Baijinpao) under Al stress. Transcriptome analysis was performed to identify Al-responsive differentially expressed genes (DEGs), followed by Gene Ontology (GO) and Kyoto Encyclopedia of Genes and Genomes (KEGG) enrichment analyses to elucidate functional categories and metabolic pathways involved in stress adaptation. In addition, the Al tolerance-related gene RsALS3 was cloned and functionally characterized through heterologous overexpression in Arabidopsis thaliana. The two cultivars exhibited distinct transcriptional profiles in response to Al stress, with DEGs significantly enriched in abiotic stress responses, membrane-associated functions, and key metabolic pathways, including starch and sucrose metabolism, phenylpropanoid and flavonoid biosynthesis, and photosynthesis-related processes. These results suggest that Al stress disrupts membrane integrity and alters carbon metabolism in Rhododendron. Functional validation demonstrated that RsALS3 overexpression moderately alleviated Al-induced toxicity in A. thaliana, as evidenced by reduced leaf damage and improved photosynthetic efficiency. Although the observed phenotypic differences were modest, and some chlorophyll fluorescence kinetics data did not reach strong statistical significance. The overall physiological trends support a potential role of RsALS3 in Al stress adaptation. Collectively, these findings provide insight into cultivar-specific Al stress responses in Rhododendron and identify RsALS3 as a promising candidate gene for further investigation aimed at improving adaptation to acidic soils. Full article
Show Figures

Figure 1

Back to TopTop