Sign in to use this feature.

Years

Between: -

Subjects

remove_circle_outline
remove_circle_outline
remove_circle_outline
remove_circle_outline
remove_circle_outline
remove_circle_outline
remove_circle_outline

Journals

Article Types

Countries / Regions

Search Results (60)

Search Parameters:
Keywords = analytics of extrudates

Order results
Result details
Results per page
Select all
Export citation of selected articles as:
14 pages, 1716 KB  
Article
Anisotropic Extrudate Swell from a Slit Die: A Velocity-Centre Hypothesis and Numerical Verification
by Guangdong Zhang, Xinyu Hao and Linzhen Zhou
Polymers 2026, 18(5), 652; https://doi.org/10.3390/polym18050652 - 7 Mar 2026
Viewed by 387
Abstract
While anisotropic extrudate swell in polymer processing is fundamentally driven by physical viscoelastic recovery, this paper proposes a theoretical framework to explicitly isolate and map the purely geometric and kinematic components of this phenomenon. Serving as a mathematical proof-of-concept, a multi-velocity-centre hypothesis is [...] Read more.
While anisotropic extrudate swell in polymer processing is fundamentally driven by physical viscoelastic recovery, this paper proposes a theoretical framework to explicitly isolate and map the purely geometric and kinematic components of this phenomenon. Serving as a mathematical proof-of-concept, a multi-velocity-centre hypothesis is proposed. By introducing a semi-empirical, lumped material-flow calibration parameter, the macroscopic diameter swell ratio is mathematically extended to the discrete local flow field of a rectangular slit die. To evaluate its validity, the analytical framework is subjected to a numerical test for kinematic consistency utilizing isothermal, inelastic power-law fluid CFD simulations, thereby separating geometric mapping from complex viscoelastic stress relaxation. Results indicate that analytical predictions show good agreement with CFD data (error < 5%) strictly within the core zone of high-aspect-ratio dies. However, due to the infinite-slit assumption, 3D flow kinematics near die edges induce velocity decay, leading to local deviations that require future empirical corrections. Although comprehensive physical extrusion experiments and non-isothermal viscoelastic coupling are required for industrial deployment, this semi-empirical kinematic mapping provides a foundational mathematical basis that could potentially inform future inverse die-profile design and shape distortion compensation. Full article
(This article belongs to the Section Polymer Processing and Engineering)
Show Figures

Figure 1

32 pages, 6365 KB  
Article
Flexural Behavior of One-Way Lightweight UHPC-NC Superimposed Sandwich Slabs
by Ziqian Ma, Hao Li, Tian Su, Tianyu Wu, Jiaqi Li and Jing Zhu
Buildings 2026, 16(3), 641; https://doi.org/10.3390/buildings16030641 - 3 Feb 2026
Cited by 1 | Viewed by 404
Abstract
A novel type of ultra-high-performance concrete–normal concrete (UHPC-NC) superimposed sandwich slab is introduced, which eliminates the need for conventional longitudinal reinforcement. This sandwich slab consists of a prefabricated thin UHPC layer at the bottom, a cast-in-place NC layer at the top, and an [...] Read more.
A novel type of ultra-high-performance concrete–normal concrete (UHPC-NC) superimposed sandwich slab is introduced, which eliminates the need for conventional longitudinal reinforcement. This sandwich slab consists of a prefabricated thin UHPC layer at the bottom, a cast-in-place NC layer at the top, and an extruded polystyrene foam core that provides both acoustic and thermal insulation. The resulting lightweight composite sandwich structure is integrated with web walls reinforced by a three-dimensional truss reinforcement system. The flexural performance is examined through four-point bending tests and compared with that of a fully UHPC sandwich slab of identical structural configuration and casting progress. Relative to the fully UHPC slab, the UHPC-NC slab demonstrates superior flexural structural integrity, significantly reduces costs and improves construction efficiency. The ductility coefficient of the UHPC-NC slab reaches 3.23, which is superior to the UHPC slab. This indicates that it has a stronger collaborative working ability with the rebars and the compressed concrete. Comprehensive analytical, numerical, and experimental investigations into the flexural behavior of the proposed UHPC-NC sandwich slab yield accurate evaluation of cracking and ultimate load capacities, thereby offering valuable guidance for the engineering application of this innovative superimposed sandwich slab system. Full article
Show Figures

Figure 1

33 pages, 11420 KB  
Article
Influence of Form Factor on Microstructural, Mechanical and Electrical Properties of Electrically Conductive Polyvinylidene Fluoride Processed by Arburg Plastic Freeforming
by Nurettin Arikan, Kevin Klier, Ibrahim Mutlu, Michael Hartung, Yavuz Emre Yagci, Mustafa Ozgur Bora and Hans-Peter Heim
Polymers 2026, 18(3), 353; https://doi.org/10.3390/polym18030353 - 28 Jan 2026
Viewed by 629
Abstract
The utilization of polymer-based additive manufacturing processes for the production of functional components, consumer goods, spare parts, etc., has increased thanks to recent technological advances. The Arburg Plastic Freeforming (APF) process is a promising AM technology, in which standard plastic granules are deployed, [...] Read more.
The utilization of polymer-based additive manufacturing processes for the production of functional components, consumer goods, spare parts, etc., has increased thanks to recent technological advances. The Arburg Plastic Freeforming (APF) process is a promising AM technology, in which standard plastic granules are deployed, and droplets are discharged along a track instead of using continuously extruded straws, unlike other filament-based processes, to the benefit of various industries that require good mechanical properties while maintaining dimensional precision. Due to the round shape of the droplets and tracks, however, defects such as voids can occur between individual paths during processing, which affect, most notably, mechanical properties. The electrical/ferroelectric properties of conductive/electroactive polymers are also affected. This study focuses on determining the optimal form factor for processing a special grade polyvinylidene fluoride (PVDF) material whilst other parameters, along with the ones ascertained in previous work, are kept constant. Along with tensile tests, X-ray computed microtomography (µ-CT) and scanning electron microscopy (SEM) analyses are implemented, particularly to observe microstructural porosity. Electrical properties and possible piezoelectric behavior are investigated via an originally adapted analytical method. The results provide important insights into the APF process and printing high-performance plastics with individual features, expanding the potential for further applications. Full article
(This article belongs to the Section Polymer Processing and Engineering)
Show Figures

Graphical abstract

43 pages, 6068 KB  
Review
Fundamentals of Cooling Rate and Its Thermodynamic Interactions in Material Extrusion
by Ahmad Saeed Alzahrani, Muhammad Khan and Feiyang He
J. Manuf. Mater. Process. 2025, 9(12), 412; https://doi.org/10.3390/jmmp9120412 - 16 Dec 2025
Cited by 2 | Viewed by 1816
Abstract
Material Extrusion (ME) is a layer-by-layer additive manufacturing technique that has gained prominence due to its simplicity, cost-effectiveness, design freedom, and adaptability to a wide range of thermoplastic materials. However, the mechanical performance of ME-printed parts often remains suboptimal, primarily due to complex [...] Read more.
Material Extrusion (ME) is a layer-by-layer additive manufacturing technique that has gained prominence due to its simplicity, cost-effectiveness, design freedom, and adaptability to a wide range of thermoplastic materials. However, the mechanical performance of ME-printed parts often remains suboptimal, primarily due to complex thermal phenomena that govern microstructural development during the printing process, which are key determinants of mechanical strength. As a result, optimizing thermodynamic printing parameters has become essential for improving the overall quality of the printed parts. Extensive research articles and reviews have been published to explore the effect of many ME printing parameter settings on the resultant product characteristics. Despite this focus, the effect of cooling rate, a critical thermodynamic parameter of the process, has been largely overlooked in current research when they are critically reviewed. Cooling rate plays a central role in determining the thermal history of printed material, which in turn influences polymer chain mobility and microstructural features of the extruded material, all of which are crucial to the mechanical integrity of the printed part. Thus, it has been concluded by this review that analytical and empirical investigations into the influence of cooling rate on the microstructural properties of ME parts represent a valuable and novel contribution to the academic field. Full article
Show Figures

Figure 1

20 pages, 1653 KB  
Article
Simulation of the Melt Conveying Zone of a Single-Screw Extruder for Mixed Polymer Materials Using an Isothermal Analytical Flat Plate Model
by Emil Wagner, Christian Kneidinger, Christoph Burgstaller and Gernot Zitzenbacher
Polymers 2025, 17(23), 3145; https://doi.org/10.3390/polym17233145 - 26 Nov 2025
Viewed by 632
Abstract
An optimized extrusion process is desired for both an environmentally friendly and economically sustainable recycling process. The aim of this study is to simulate the melt conveying zone of a single-screw extruder when using contaminated polymers instead of commonly used pure materials, to [...] Read more.
An optimized extrusion process is desired for both an environmentally friendly and economically sustainable recycling process. The aim of this study is to simulate the melt conveying zone of a single-screw extruder when using contaminated polymers instead of commonly used pure materials, to optimize a mechanical recycling process, and to reduce the number of measurements needed for rheological input data by using mixing rules. Polypropylene (PP) is blended with a polyamide 12 (PA 12) grade and another PP grade to introduce polymer impurities into the material. The blends are subjected to extrusion experiments in a lab-scale single-screw extruder with pressure and temperature sensors along the barrel. An isothermal analytical simulation model is proposed using representative shear rate values and rheological mixing rules to calculate the pressure distribution along the screw channel throughout the melt conveying zone. The rheological input data for the simulation is taken from high-pressure capillary rheometric measurements, but also substituted with values derived from mixing rules. The results show that the application of the shear viscosity through mixing models yields simulated pressure values similar to those measured in the experiments. With the introduction of representative viscosity into the model, relative deviations of around 5% at certain screw speeds can be achieved. Full article
Show Figures

Figure 1

22 pages, 4614 KB  
Article
Elucidating the Corrosion Mechanism of Graphite Anodes in Fluoride Molten Salt for Rare Earth Electrolysis: A Multiscale Structure-Property Investigation
by Baoling Jia, Yangtao Xu, Feng Liang, Zhenxu Zhu, Boming Chen, Lihong Xu, Peng Gao, Lin Gan, Yangbin Zhu and Mingzhen Li
Processes 2025, 13(11), 3640; https://doi.org/10.3390/pr13113640 - 10 Nov 2025
Viewed by 1234
Abstract
Graphite anodes are widely used as consumable electrodes in the high-temperature electrolytic production of rare earth metals within fluoride molten salts. However, their rapid and complex corrosion presents significant economic and operational challenges, including high consumption costs, process instability, greenhouse gas emissions, and [...] Read more.
Graphite anodes are widely used as consumable electrodes in the high-temperature electrolytic production of rare earth metals within fluoride molten salts. However, their rapid and complex corrosion presents significant economic and operational challenges, including high consumption costs, process instability, greenhouse gas emissions, and product contamination. While the corrosion morphology of specific graphite types has been studied, a systematic investigation linking the intrinsic properties of diverse graphite materials to their microstructural and chemical evolution during corrosion is lacking. This study elucidates the corrosion mechanisms of three distinct graphite anodes—fine-grained, isostatically pressed graphite anodes (#1), medium-coarse-grained, extruded graphite anodes (#2), and recycled, extruded graphite anodes (#3) in industrial PrNdF3–LiF molten salt electrolytes at 1050 °C. Through a multifaceted analytical approach encompassing SEM, EDS, XRD, Raman, and FT-IR, we investigated the macro- and microscale corrosion behaviors across multiple scales. The results revealed markedly different degradation patterns: the #1 anode exhibited intergranular corrosion with granular exfoliation; the #2 anode developed a protective but cracked resolidified salt layer; and the #3 anode suffered the most severe uniform and pitting corrosion. Postcorrosion analysis confirmed surface enrichment with fluorine, praseodymium, and neodymium, the formation of PrF3 and NdF3 phases, and substantial degradation of the graphitic structure. Raman spectroscopy specifically revealed a reduction in the crystallite size, introduction of in-plane point defects, and disruption of the interlayer stacking order. On the base of infrared spectroscopy analysis, all key characteristic absorption peaks of the graphite anodes undergo consistent attenuation after corrosion. This work provides critical insights for the informed selection and optimization of graphite anodes to increase the efficiency and sustainability of rare earth electrolysis. Full article
(This article belongs to the Section Materials Processes)
Show Figures

Graphical abstract

25 pages, 6570 KB  
Article
Analytical Analysis of Recirculating Flow in Single-Screw Extruders
by Chris Rauwendaal
Polymers 2025, 17(21), 2959; https://doi.org/10.3390/polym17212959 - 6 Nov 2025
Cited by 1 | Viewed by 780
Abstract
Current analytical theories of recirculating flow in single-screw extruders consider only cross-channel flow in channels of infinite width with only one exception. Proper analysis of recirculating flow requires inclusion of normal velocities and the effect of finite channel width. More broadly, this paper [...] Read more.
Current analytical theories of recirculating flow in single-screw extruders consider only cross-channel flow in channels of infinite width with only one exception. Proper analysis of recirculating flow requires inclusion of normal velocities and the effect of finite channel width. More broadly, this paper presents an analytical description of lid-driven cavity flow—one of the most frequently studied flows in fluid dynamics. Expressions for velocities and flow rates for Newtonian fluids are obtained that satisfy the balance equations. These expressions have been compared to results of numerical analyses with good agreement. Flow rates and velocities are displayed with 3D surface plots and contour plots. These plots provide better insight into the flow behavior than 2D graphs. We have analyzed flow in slit channels with width much greater than the height (W>>H) and flow in a square channel (W=H). The vortex center (stagnation point) in a slit channel is located at normal coordinate ψ=2/3. The vortex center in a square channel is located at ψ=0.76. These analytical results allow for the development of better analytical models for melt temperature distribution, mixing, and devolatilization in single-screw extruders. Full article
Show Figures

Graphical abstract

19 pages, 2626 KB  
Article
Process–Structure–Property Correlations in Twin-Screw Extrusion of Graphitic Negative Electrode Pastes for Lithium Ion Batteries Focusing on Kneading Concentrations
by Kristina Borzutzki, Markus Börner, Olga Fromm, Uta Rodehorst and Martin Winter
Batteries 2025, 11(8), 299; https://doi.org/10.3390/batteries11080299 - 5 Aug 2025
Cited by 2 | Viewed by 3100
Abstract
A continuous mixing process with a twin-screw extruder was investigated for graphite-based negative electrode pastes for high-power applications. In the extrusion-based mixing process, the first kneading concentration is one of the key processing parameters for systematic optimization of relevant electrode paste properties like [...] Read more.
A continuous mixing process with a twin-screw extruder was investigated for graphite-based negative electrode pastes for high-power applications. In the extrusion-based mixing process, the first kneading concentration is one of the key processing parameters for systematic optimization of relevant electrode paste properties like viscosity and particle size distribution. For different active materials at a constant electrode paste composition, a clear correlation of increasing kneading concentration with decreasing viscosity can be observed up to a certain reversal point, initiating a change in the trend and the rheological behavior, thus indicating a process limit. The fundamental effects causing this change and the associated impact on materials and battery performance were evaluated by applying further analytical methods and electrochemical characterization. It is revealed that the change in viscosity is associated with enhanced de-agglomeration of the carbon black additive and with partial particle grinding of the active material and thus a partial change in the interlayer distance of graphene layers and, correspondingly, the electrochemical behavior of the active material. Beyond this, correlations between processing parameters and product properties are presented. Furthermore, indicators are suggested with which monitoring of the machine parameters enables the detection of changes in the electrode paste characteristics. Full article
(This article belongs to the Special Issue Batteries: 10th Anniversary)
Show Figures

Graphical abstract

25 pages, 3993 KB  
Article
Green Chemistry and Multivariate Optimization in the Extraction of Phenolic Compounds: The Potential of NaDES in Alternative Raw Materials for Expanded Extrudates
by Mateus Alves Araújo, Bianca Rodrigues Morais, João Pedro da Silva Santos, Larissa Karla de Jesus, Kaliston Aurélio Lomba, Gustavo Costa do Nascimento, Marcus Alvarenga Soares, Nathalia de Andrade Neves, Irene Andressa, Maria Teresa Pedrosa Silva Clerici and Marcio Schmiele
Methods Protoc. 2025, 8(4), 82; https://doi.org/10.3390/mps8040082 - 23 Jul 2025
Cited by 4 | Viewed by 2670
Abstract
Phenolic compounds are secondary metabolites widely distributed among plants, with bioactive properties, especially antioxidant activity. The search for sustainable extraction methods has driven the use of natural deep eutectic solvents (NaDESs), formed by combinations of natural compounds, such as organic acids, sugars, alcohols, [...] Read more.
Phenolic compounds are secondary metabolites widely distributed among plants, with bioactive properties, especially antioxidant activity. The search for sustainable extraction methods has driven the use of natural deep eutectic solvents (NaDESs), formed by combinations of natural compounds, such as organic acids, sugars, alcohols, and amino acids. This study optimized NaDES (sorbitol, citric acid, and glycine) efficiency and compared it to that of 70% methanol solution in extracting total soluble phenolic compounds (TSPCs) from six flours matrices—corn, buckwheat, biofortified orange sweet potato, red lentil, Sudan grass, and chickpea—before and after thermoplastic extrusion cooking. Quantification was performed using the Folin–Ciocalteu method, with statistical analysis at the 10% significance level. In general, the methanolic extracts showed higher TSPC levels in the raw materials, whereas the levels were higher in NaDESs for legumes. After extrusion, a reduction in the TSPC levels was observed, except in the sweet potato. Multivariate analysis (PLS-DA and heatmap) distinguished the raw and extruded samples, revealing structural and chemical changes from thermal processing. The AGREE scores were 0.7 (NaDES) and 0.54 (methanol), favoring NaDES. The BAGI score (75.0) confirmed the method’s robustness and suitability for sustainable analytical applications. Full article
(This article belongs to the Collection Green Chemistry)
Show Figures

Figure 1

23 pages, 14789 KB  
Article
Feasibility of Hot Melt Extrusion in Converting Water-Based Nanosuspensions into Solid Dosage Forms
by Erasmo Ragucci, Marco Uboldi, Adam Sobczuk, Giorgio Facchetti, Alice Melocchi, Mauro Serratoni and Lucia Zema
Pharmaceutics 2025, 17(5), 662; https://doi.org/10.3390/pharmaceutics17050662 - 17 May 2025
Viewed by 1840
Abstract
Aim: In addition to numerous benefits provided by nanosuspensions (NSs) (e.g., enhanced saturation solubility, increased area for interaction with fluids), they suffer from major stability, handling and compliance issues. To overcome these challenges, we evaluated the feasibility of hot melt extrusion (HME) in [...] Read more.
Aim: In addition to numerous benefits provided by nanosuspensions (NSs) (e.g., enhanced saturation solubility, increased area for interaction with fluids), they suffer from major stability, handling and compliance issues. To overcome these challenges, we evaluated the feasibility of hot melt extrusion (HME) in transforming a cinnarizine-based NS, selected as a case study, into granules for oral intake. Methods: Thermoplastic polymers, in principle compatible with the thermal behavior of the selected drug and characterized by different interaction mechanisms with aqueous fluids, were used as carriers to absorb the NS and were processed by HME. Results: The extruded granules pointed out good physio-technological characteristics, a drug content > 85% with coefficient of variation (CV) < 5% and tunable in vitro performance coherent with the polymeric carriers they were composed of. Particle size as well as the solid state of cinnarizine was checked using several analytical techniques in combination (e.g., DSC, SEM, FT-IR, Raman). Depending on the composition of the granules, and specifically for formulations processed below 85 °C, the drug was found to remain crystalline and in the desired nanoscale. Conclusions: HME turned out to be a versatile process to transform, in a single-step, NSs into multi-particulate solid products for oral administration showing a variety of release profiles. Full article
(This article belongs to the Special Issue Advances in Hot Melt Extrusion Technology)
Show Figures

Graphical abstract

30 pages, 16206 KB  
Review
Literature Review on Single and Twin-Screw Extruders Design for Polymerization Using CFD Simulation
by Elham Delvar, Inês Oliveira, Margarida S. C. A. Brito, Cláudia G. Silva, Arantzazu Santamaria-Echart, Maria-Filomena Barreiro and Ricardo J. Santos
Fluids 2025, 10(1), 9; https://doi.org/10.3390/fluids10010009 - 7 Jan 2025
Cited by 19 | Viewed by 10778
Abstract
This work presents a comprehensive review of the evolution in modeling reactive extrusion (REx), tracing developments from early analytical models to advanced computational fluid dynamics (CFD) simulations. Additionally, it highlights the key challenges and future directions in this field. Analytical models to describe [...] Read more.
This work presents a comprehensive review of the evolution in modeling reactive extrusion (REx), tracing developments from early analytical models to advanced computational fluid dynamics (CFD) simulations. Additionally, it highlights the key challenges and future directions in this field. Analytical models to describe the velocity profiles were proposed in the 1950s, involving certain geometrical simplifications. However, numerical models of melt polymeric flow in extruders have proven to be crucial for optimizing screw design and predicting process characteristics. The state-of-the-art CFD models for single and twin-screw extruders design address the impact of geometry (type of mixing elements and geometrical simplifications of CFD geometries), pressure and temperature gradients, and quantification of mixing. Despite the extensive work conducted, modeling reactive extrusion using CFD remains challenging due to the intricate interplay of mixing, heat transfer, chemical reactions, and non-Newtonian fluid behavior under high shear and temperature gradients. These challenges are further intensified by the presence of multiphase flows and the complexity of extruder geometries. Future advancements should enhance simulation accuracy, incorporate multiphase flow models, and utilize real-time sensor data for adaptive modeling approaches. Full article
(This article belongs to the Special Issue Industrial CFD and Fluid Modelling in Engineering, 2nd Edition)
Show Figures

Figure 1

23 pages, 7569 KB  
Article
Improvement in an Analytical Approach for Modeling the Melting Process in Single-Screw Extruders
by Felix Knaup, Florian Brüning and Volker Schöppner
Polymers 2024, 16(22), 3130; https://doi.org/10.3390/polym16223130 - 9 Nov 2024
Cited by 5 | Viewed by 2375
Abstract
Most single-screw extruders used in the plastics processing industry are plasticizing extruders, designed to melt solid pellets or powders within the screw channel during processing. In many cases, the efficiency of the melting process acts as the primary throughput-limiting factor. If the material [...] Read more.
Most single-screw extruders used in the plastics processing industry are plasticizing extruders, designed to melt solid pellets or powders within the screw channel during processing. In many cases, the efficiency of the melting process acts as the primary throughput-limiting factor. If the material melts too late in the process, it may not be sufficiently mixed, resulting in substandard product quality. Accurate prediction of the melting process is therefore essential for efficient and cost-effective machine design. A practical method for engineers is the modeling of the melting process using mathematical–physical models that can be solved without complex numerical methods. These models enable rapid calculations while still providing sufficient predictive accuracy. This study revisits the modified Tadmor model by Potente, which describes the melting process and predicts the delay-zone length, extending from the hopper front edge to the point of melt pool formation. Based on extensive experimental investigations, this model is adapted by redefining the flow temperatures at the phase boundary and accounting for surface porosity at the beginning of the melting zone. Additionally, the effect of variable solid bed dynamics on model accuracy is examined. Significant model improvements were achieved by accounting for reduced heat flow into the solid bed due to the porous surface structure in the solid conveying zone, along with a new assumption for the flow temperature at the phase boundary between the solid bed and melt film. Full article
(This article belongs to the Section Polymer Processing and Engineering)
Show Figures

Figure 1

14 pages, 5023 KB  
Article
Experimental Calculation of Added Masses for the Accurate Construction of Airship Flight Models
by Deibi López, Diego Domínguez, Adrián Delgado, Adrián García-Gutiérrez and Jesús Gonzalo
Aerospace 2024, 11(11), 872; https://doi.org/10.3390/aerospace11110872 - 24 Oct 2024
Cited by 3 | Viewed by 1923
Abstract
In recent years, interest in airships for cargo transport and stratospheric platforms has increased, necessitating accurate dynamic modeling for stability analysis, autopilot design, and mission planning, specifically through the calculation of stability derivatives, like added mass and inertia. Despite the several CFD methods [...] Read more.
In recent years, interest in airships for cargo transport and stratospheric platforms has increased, necessitating accurate dynamic modeling for stability analysis, autopilot design, and mission planning, specifically through the calculation of stability derivatives, like added mass and inertia. Despite the several CFD methods and analytical solutions available to calculate added masses, experimental validation remains essential. This study introduces a novel methodology to measure these in a wind tunnel, comparing the results with prior studies that utilized towing tanks. The approach involves designing the test model and a crank-slider mechanism to generate motion within the wind tunnel, considering load cell sensitivity, precision, frequency range, and Reynolds numbers. A revolution ellipsoid model, made from extruded polystyrene, was used to validate analytical solutions. The test model, measuring 1 m in length with an aspect ratio of 6, weighing 482 g, was moved along rails by the crank-slider system. By increasing the motion frequency, structural vibrations affecting load cell measurements were minimized. Proper signal processing, including high-pass filtering and second-order Fourier series fitting, enabled successful virtual mass calculation, showing only a 2.1% deviation from theoretical values, significantly improving on previous studies with higher relative errors. Full article
Show Figures

Figure 1

16 pages, 1928 KB  
Article
Comprehensive Evaluation of Decarbonization Technologies: A Case Study of Residential Buildings in Zhuzhou City, China
by Jianlong Liu, Qing Tang, Haiyan Chen, Wenjing Meng, Feng Xu and Zhisheng Li
Buildings 2024, 14(5), 1322; https://doi.org/10.3390/buildings14051322 - 7 May 2024
Viewed by 2086
Abstract
Efficient carbon emission reduction technologies in buildings are necessary for achieving the “Dual carbon” goal in China. In this study, a comprehensive evaluation model is proposed to assess the effect of carbon emission reduction based on the analytic hierarchy process–entropy weight–coefficient of variation [...] Read more.
Efficient carbon emission reduction technologies in buildings are necessary for achieving the “Dual carbon” goal in China. In this study, a comprehensive evaluation model is proposed to assess the effect of carbon emission reduction based on the analytic hierarchy process–entropy weight–coefficient of variation model which takes newly built residential buildings in Zhuzhou City as the research object. The results show that the preferred materials for the roof and exterior walls of the building’s envelope structure were flame-retardant extruded polystyrene boards, and porous shale bricks were preferred as the main materials for the exterior walls. In addition, the rooftop solar photovoltaic system and energy-saving air conditioning technology were suitable in terms of being renewable and were better utilized. In the end, carbon emissions were significantly reduced when using the building decarbonization technologies. This study provides a new reference for choosing materials and technologies for the design of residential buildings in Hunan Province and even other regions with hot summers and cold winters. Full article
(This article belongs to the Special Issue Achieving Carbon Neutrality in Urban Infrastructure Development)
Show Figures

Figure 1

22 pages, 53419 KB  
Article
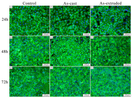
Effect of Extrusion on Mechanical Property, Corrosion Behavior, and In Vitro Biocompatibility of the As-Cast Mg-Zn-Y-Sr Alloy
by Tao Huang, Lijing Yang, Chunxiang Xu, Cheng Xu, Qingke Zhang, Jinshan Zhang and Zhenlun Song
Materials 2024, 17(6), 1297; https://doi.org/10.3390/ma17061297 - 11 Mar 2024
Cited by 3 | Viewed by 1839
Abstract
The effect of extrusion on the microstructure, mechanical property, corrosion behavior, and in vitro biocompatibility of as-cast Mg-1.5Zn-1.2Y-0.1Sr (wt.%) alloy was investigated via tensile tests, electrochemical methods, immersion tests, methylthiazolyl diphenyltetrazolium bromide (MTT), and analytical techniques. Results showed that the as-cast and as-extruded [...] Read more.
The effect of extrusion on the microstructure, mechanical property, corrosion behavior, and in vitro biocompatibility of as-cast Mg-1.5Zn-1.2Y-0.1Sr (wt.%) alloy was investigated via tensile tests, electrochemical methods, immersion tests, methylthiazolyl diphenyltetrazolium bromide (MTT), and analytical techniques. Results showed that the as-cast and as-extruded Mg-1.5Zn-1.2Y-0.1Sr alloys comprised an α-Mg matrix and Mg3Y2Zn3 phase (W-phase). In the as-cast alloy, the W-phase was mainly distributed at the grain boundaries, with a small amount of W-phase in the grains. After hot extrusion, the W-phase was broken down into small particles that were dispersed in the alloy, and the grains were refined considerably. The as-extruded alloy exhibited appropriate mechanical properties that were attributed to refinement strengthening, dispersion strengthening, dislocation strengthening, and precipitation strengthening. The as-cast and as-extruded alloys exhibited galvanic corrosion between the W-phase and α-Mg matrix as the main corrosion mechanism. The coarse W-phase directly caused the poor corrosion resistance of the as-cast alloy. The as-extruded alloy obtained via hydrogen evolution and mass loss had corrosion rates of less than 0.5 mm/year. MTT, high-content screening (HCS) analysis, and cell adhesion tests revealed that the as-extruded alloy can improve L929 cell viability and has great potential in the field of biomedical biodegradable implant materials. Full article
(This article belongs to the Section Biomaterials)
Show Figures

Figure 1

Back to TopTop