Flow Training Program: Mindfulness, Decision Making, and Mental Well-Being of Young and Adult Elite Handball Athletes
Abstract
1. Introduction
2. Materials and Methods
2.1. Methods
2.2. Sample
2.3. Instruments
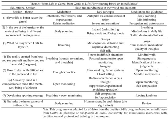
2.4. Procedures
2.5. Study Design
2.6. Data Analysis
2.7. Ethical Considerations
3. Results
4. Discussion
5. Conclusions
Author Contributions
Funding
Institutional Review Board Statement
Informed Consent Statement
Data Availability Statement
Acknowledgments
Conflicts of Interest
References
- Lange-Smith, S.; Cabot, J.; Coffee, P.; Gunnell, k.; Tod, D. The efficacy of psychological skills training for enhancing performance in sport: A review of reviews. Int. J. Sport. Exerc. Psychol. 2023, 1–18. [Google Scholar] [CrossRef]
- Park, I.; Jeon, J. Psychological skills training for athletes in sports: Web of science bibliometric analysis. Healthcare 2023, 11, 259. [Google Scholar] [CrossRef] [PubMed]
- Castro-Sánchez, M.; Zurita-Ortega, F.; Chacón-Cuberos, R.; López-Gutiérrez, C.J.; Zafra-Santos, E. Emotional Intelligence, Motivational Climate and Levels of Anxiety in Athletes from Different Categories of Sports: Analysis through Structural Equations. Int. J. Environ. Res. Public Health 2018, 15, 894. [Google Scholar] [CrossRef] [PubMed]
- Ring, C.; Kavussanu, M.; Ali Al-yaaribi, A.S.; Tenenbaum, G.; Stanger, N. Effects of Antisocial Behaviour on Opponent’s Anger, Attention, and Performance. J. Sports Sci. 2019, 37, 871–877. [Google Scholar] [CrossRef] [PubMed]
- Csikszentmihalyi, M. Flow and the Foundations of Positive Psychology: The Collected Works of Mihaly Csikszentmihalyi; Springer: Dordrecht, The Netherlands, 2014. [Google Scholar]
- Jackson, S.A.; Csikszentmihalyi, M. Flow in Sports: The Keys to Optimal Experiences and Performances; Human Kinetics: Champaign, IL, USA, 1999. [Google Scholar]
- Csikszentmihalyi, M. Flow: The Psychology of Optimal Experience; Harper and Row: New York, NY, USA, 1990. [Google Scholar]
- Garcia, W.F.; Codonhato, R.; Mizoguchi, M.V.; do Nascimento Junior, J.R.A.; Aizava, P.V.S.; Ribas, M.L.; Caruzzo, A.M.; Vissoci, J.R.N.; Vissoci, J.R.N.; Fiorese, L. Dispositional Flow and Performance in Brazilian Triathletes. Front. Psychol. 2019, 10, 2136. [Google Scholar] [CrossRef] [PubMed]
- Harris, D.J.; Allen, K.L.; Vine, S.J.; Wilson, M.R. A systematic review and meta-analysis of the relationship between flow states and performance. Int. Rev. Sport. Exerc. Psychol. 2023, 16, 693–721. [Google Scholar] [CrossRef]
- Alexander, R.; Aragón, O.R.; Bookwala, J.; Cherbuin, N.; Gatt, J.M.; Kahrilas, I.J.; Kästner, N.; Lawrence, A.; Lowe, L.; Morrison, R.G. The Neuroscience of Positive Emotions and Affect: Implications for Cultivating Happiness and Wellbeing. Neurosci. Biobehav. Rev. 2021, 121, 220–249. [Google Scholar] [CrossRef] [PubMed]
- Jackson, S. Joy, Fun, and Flow State in Sport. In Emotions in Sport; Hanin, Y., Ed.; Human Kinetics: Champaign, IL, USA, 2000; pp. 135–156. [Google Scholar]
- Marty-Dugas, J.; Smilek, D. Deep, effortless concentration: Re-examining the flow concept and exploring relations with inattention, absorption, and personality. Psychol. Res. 2019, 83, 1760–1777. [Google Scholar] [CrossRef] [PubMed]
- Jackson, S.A.; Thomas, P.R.; Marsh, H.W.; Smethurst, C.J. Relationships between flow, self-concept, psychological skills, and performance. J. Appl. Sport. Psychol. 2001, 13, 129–153. [Google Scholar] [CrossRef]
- Aherne, C.; Moran, A.; Lonsdale, C. The Effect of Mindfulness Training on Athletes’ Flow: An Initial Investigation. Sport. Psychol. 2011, 25, 177–189. [Google Scholar] [CrossRef]
- Schutte, N.; Malouff, J. The connection between mindfulness and flow: A meta-analysis. Personal. Individ. Differ. 2023, 200, 111871. [Google Scholar] [CrossRef]
- Martiny, L.E.; Theil, L.Z.; Maciel Neto, E.; Dias, G.; Ferreira, J.P.; Mendes, R. Effects of Flow States on Elite Athletes in Team Sports: A Systematic Review. Revista Foco 2023, 16, e2910. [Google Scholar] [CrossRef]
- Fazli, Z.; Ghahari, S. The Relationship Between Mindfulness and Psychological Well-being and Coping Strategies with Stress Among Female Basketball Athletes in Tehran. Br. J. Pharm. Res. 2017, 17, 1–8. [Google Scholar] [CrossRef]
- Zadeh, M.; Ajilchi, B.; Salman, Z.; Kisely, S. Effect of a Mindfulness Programme Training to Prevent the Sport Injury and Improve the Performance of Semi-professional Soccer Players. Australas. Psychiatry 2019, 27, 589–595. [Google Scholar] [CrossRef] [PubMed]
- Carraça, B.; Serpa, S.; Rosado, A.; Guerrero, J.P.; Magalhães, C. Mindfull Compassion Training on Elite Soccer: Effects, Roles and Associations on Flow, Psychological Distress and Thought Suppression. Rev. Iberoam. De. Psicol. Del. Ejerc. Y El Deporte 2019, 14, 141–149. [Google Scholar]
- Lundgren, T.; Reinebo, G.; Reinebo, G.; Näslund, M.; Parling, T.; Parling, T. Acceptance and Commitment Training to Promote Psychological Flexibility in Ice Hockey Performance: A Controlled Group Feasibility Study. J. Clin. Sport. Psychol. 2020, 14, 170–181. [Google Scholar] [CrossRef]
- Killham, M.; Mosewich, A.; Mack, D.; Gunnell, K.; Ferguson, L. Women athletes’ self-compassion, self-criticism, and perceived sport performance. Sport. Exerc. Perform. Psychol. 2018, 7, 297–307. [Google Scholar] [CrossRef]
- Ataabadi, Y.; Cormier, D.; Kowalski, K.; Oates, A.; Ferguson, L.; Lanovaz, J. The Associations Among Self-compassion, Self-esteem, Self-criticism, and Concern over Mistakes in Response to Biomechanical Feedback in Athletes. Front. Sports Act. Living 2022, 4, 868576. [Google Scholar] [CrossRef] [PubMed]
- Dehghani, M.; Delbar Saf, A.; Vosoughi, A.; Tebbenouri, G.; Ghazanfari Zarnagh, H. Effectiveness of the Mindfulness-acceptance-commitment-based Approach on Athletic Performance and Sports Competition Anxiety: A Randomized Clinical Trial. Electron. Physician 2018, 10, 6749–6755. [Google Scholar] [CrossRef] [PubMed]
- Vidic, Z.; St. Martin, M.; Oxhandler, R. Mindfulness Intervention with a U.S. Women’s NCAA Division I Basketball Team: Impact on Stress, Athletic Coping Skills and Perceptions of Intervention. Sport. Psychol. 2017, 31, 147–159. [Google Scholar] [CrossRef]
- Kabat-Zinn, J. Atenção Plena Para Iniciantes: Usando a Prática de Mindfulness Para Acalmar a Mente e Desenvolver o Foco no Momento Presente; Sextante: Rio de Janeiro, Brasil, 2019. [Google Scholar]
- Shapiro, S.; Siegel, R.; Neff, K. Paradoxes of Mindfulness. Mindfulness 2018, 9, 1693–1701. [Google Scholar] [CrossRef]
- Shapiro, S.L.; Carlson, L.E.; Astin, J.A.; Freedman, B. Mechanisms of mindfulness. J. Clin. Psychol. 2006, 62, 373–386. [Google Scholar] [CrossRef] [PubMed]
- Röthlin, P.; Birrer, D.; Horvath, S.; Grosse Holtforth, M. Psychological skills training and a mindfulness-based intervention to enhance functional athletic performance: Design of a randomized controlled trial using ambulatory assessment. BMC Psychol. 2016, 4, 39. [Google Scholar] [CrossRef] [PubMed]
- Colzato, L.S.; Colzato, L.S.; Colzato, L.S.; Kibele, A. How Different Types of Meditation Can Enhance Athletic Performance Depending on the Specific Sport Skills. J. Cogn. Enhanc. 2017, 1, 122–126. [Google Scholar] [CrossRef]
- Carraça, B.; Magalhães, C.; Martiny, L.; Rosado, A. Mindfulness, Flow e Flexibilidade Compassiva no Esporte, In Vida, Vivência e Experiência de Professores (as) de Educação Física: Os processos de formação, a Prática Profissional e Estudos Sobre o Flow; Sawitzki, R., Borges, R., Martiny, L., e Roveda, G., Eds.; Unijuí: Ijuí, Brasil, 2023. [Google Scholar]
- Gardner, F.L.; Moore, Z.E. A Mindfulness-acceptance-commitment-based Approach to Athletic Performance Enhancement: Theoretical Considerations. Behav. Ther. 2004, 35, 707–723. [Google Scholar] [CrossRef]
- Harris, D.J.; Vine, S.J.; Wilson, M.R. Neurocognitive mechanisms of flow state. Prog. Brain Res. 2017, 234, 221–243. [Google Scholar] [PubMed]
- Ferguson, L.; Adam, M.; Gunnell, K.; Kowalski, K.; Mack, D.; Mosewich, A.; Murphy, N. Self-compassion or Self-criticism? Predicting Women Athletes’ Psychological Flourishing in Sport in Canada. J. Happiness Stud. 2021, 23, 1923–1939. [Google Scholar] [CrossRef]
- Ferguson, L.; Kowalski, K.; Mack, D.; Sabiston, C. Exploring self-compassion and eudaimonic well-being in young women athletes. J. Sport. Exerc. Psychol. 2014, 36, 203–216. [Google Scholar] [CrossRef] [PubMed]
- Roebuck, G.S.; Fitzgerald, P.B.; Urquhart, D.M.; Ng, S.-K.; Cicuttini, F.M.; Fitzgibbon, B.M. The Psychology of Ultra-marathon Runners: A Systematic Review. Psychol. Sport. Exerc. 2018, 37, 43–58. [Google Scholar] [CrossRef]
- Swann, C. Flow in sport. In Flow Experience: Empirical Research and Applications; Harmat, L., Andersen, F., Ullen, F., Wright, J., Sadlo, G., Eds.; Springer: Switzerland, 2016; pp. 51–64. [Google Scholar]
- Carraça, B.; Serpa, S.; Rosado, A.B.; Guerrero, P.; Ozbayer, C.; Kurt, H. Mindfulness and Compassion Strategies on Elite Soccer: Conceptualization of Mindfulness-based Soccer Program (mbsoccerp). Cuad. De. Psicol. Del. Deporte 2019, 14, 62–85. [Google Scholar]
- Thienot, E.; Thienot, E.; Jackson, B.; Dimmock, J.A.; Grove, J.R.; Bernier, M.; Bernier, M.; Fournier, J.F. Development and Preliminary Validation of the Mindfulness Inventory for Sport. Psychol. Sport. Exerc. 2014, 15, 72–80. [Google Scholar] [CrossRef]
- Martiny, L.; Carraça, B.; Magalhães, C.; Dias, G.; Ferreira, P.; Mendes, R. Validação das propriedades Psicométricas do Inventário da Atenção Plena para Atletas de Handebol do Brasil (MIS-Hbr). Rev. Contemp. 2024, 4, 481–523. [Google Scholar] [CrossRef]
- Caldas, I. Validação e Aplicação de um Protocolo do Nível de Conhecimento Tático Declarativo no Handebol. Tese de doutoramento, Universidade Federal de Pernambuco, Recife, Brasil, 2015. [Google Scholar]
- Caldas, I.; Viana, M.; Sougey, E. Reprodutibilidade de respostas na validação de um protocolo do nível de conhecimento tático declarativo no handebol. Rev. Bras. Esporte Colet. 2017, 1, 4–7. [Google Scholar]
- Jackson, S.A.; Eklund, R.C. Assessing Flow in Physical Activity: The Flow State Scale–2 and Dispositional Flow Scale–2. J. Sport. Exerc. Psychol. 2002, 24, 133–150. [Google Scholar] [CrossRef]
- Bittencourt, I.I.; Freires, L.A.; Lu, Y.; Challco, G.C.; Fernandes, S.C.S.; Coelho, J.A.P.d.M.; Costa, J.; Pian, Y.; Marinho, A.; Isotani, S. Validation and Psychometric Properties of the Brazilian-portuguese Dispositional Flow Scale 2 (DFS-BR). PLoS ONE 2021, 16, e0253044. [Google Scholar] [CrossRef] [PubMed]
- Santos, J.; Costa, T.; Guilherme, J.; Silva, W.; Abentroth, L.; Krebs, J.; Sotoriva, P. Adaptation and cross-cultural validation of the Brazilian version of the Warwick-Edinburgh mental well-being scale. Rev. Assoc. Med. Bras. 2015, 61, 209–214. [Google Scholar] [CrossRef] [PubMed]
- Brown, K.W.; Ryan, R.M. The Benefits of Being Present: Mindfulness and Its Role in Psychological Well-being. J. Personal. Soc. Psychol. 2003, 84, 822–848. [Google Scholar] [CrossRef] [PubMed]
- de Barros, V.; Kozasa, E.H.; Weiss de Souza, I.C.; Weiss de Souza, I.C.; Ronzani, T.M. Validity Evidence of the Brazilian Version of the Mindful Attention Awareness Scale (MAAS). Psicol. Reflexão E Crítica 2015, 28, 87–95. [Google Scholar] [CrossRef]
- Norsworthy, C.; Thelwell, R.C.; Weston, N.J.V.; Jackson, S.A. Flow Training, Flow States, and Performance in Elite Athletes. Int. J. Sport. Psychol. 2018, 49, 134–152. [Google Scholar]
- Kabat-Zinn, J. Viver a Catástrofe Total: Como Utilizar a Sabedoria do Corpo e da Mente Para Enfrentar o Estresse, a dor e a Doença; Palas Athena: São Paulo, Brasil, 2017. [Google Scholar]
- Mumford, G.; Jackson, P. The Mindful Athlete: Secrets to Pure Performance; Parallax Press: Berkeley, CA, USA, 2015. [Google Scholar]
- Crane, R.; Eames, C.; Kuyken, W.; Hastings, R.P.; Williams, J.M.G.; Bartley, T.; Evans, A.; Silverton, S.; Soulsby, J.G.; Surawy, C. Development and Validation of the Mindfulness-based Interventions—Teaching Assessment Criteria (MBI:TAC). Assessment 2013, 20, 681–688. [Google Scholar] [CrossRef]
- Crane, R.; Brewer, J.A.; Feldman, C.H.; Kabat-Zinn, J.; Santorelli, S.F.; Williams, J.; Kuyken, W. What Defines Mindfulness-based Programs? the Warp and the Weft. Psychol. Med. 2017, 47, 990–999. [Google Scholar] [CrossRef] [PubMed]
- Carraça, B.; Serpa, S.; Rosado, A.; Guerrero, J.P. A Pilot Study of a Mindfulness-based Program (mbsoccerp): The Potential Role of Mindfulness, Self-compassion and Psychological Flexibility on Flow and Elite Performance in Soccer Athletes. Rev. Iberoam. De. Psicol. Del. Ejerc. Y El Deporte 2019, 14, 34–40. [Google Scholar]
- Gilbert, P. Terapia Focada na Compaixão, 4th ed.; Hogrefe: São Paulo, Brasil, 2019. [Google Scholar]
- Neff, C.; Germer, C. Manual de Mindfulness e Autocompaixão: Um Guia Para Construir Forças Internas e Prosperar na arte de ser seu Melhor Amigo; Artmed: Porto Alegre, Brasil, 2019. [Google Scholar]
- Carraça, B.; Serpa, S.; Rosado, A.; Palmi, J. The Mindfulness—Based Soccer Program (MBSoccerP): Effects on Elite Athletes. El Programa Basado en Mindfulness nel Fútbol (MBSoccerP): Efectos en los Atletas de Élite. Cuad. De. Psicol. Del. Deporte 2018, 18, 62–85. [Google Scholar]
- Espírito-Santo, H.; Daniel, F. Calcular e apresentar tamanhos de efeito em trabalhos científicos (3): Guia para reportar os tamanhos de efeito par análises de regressão e ANOVAs. Rev. Port. Investig. Comport. Soc. 2018, 4, 43–60. [Google Scholar] [CrossRef]
- Cohen, J. A power primer. Psychol. Bull. 1992, 112, 155–159. [Google Scholar] [CrossRef] [PubMed]
- Chen, J.-H.; Tsai, P.-H.; Tsai, P.-H.; Lin, Y.-C.; Chen, C.-K.; Chen, C.-K.; Chen, C.-Y.; Chen, C.-Y. Mindfulness Training Enhances Flow State and Mental Health Among Baseball Players in Taiwan. Psychol. Res. Behav. Manag. 2018, 12, 15–21. [Google Scholar] [CrossRef] [PubMed]
- Vella-Fondacaro, D.; Romano-Smith, S. The Impact of a Psychological Skills Training and Mindfulness-Based Intervention on the Mental Toughness, Competitive Anxiety, and Coping Skills of Futsal Players—A Longitudinal Convergent Mixed-Methods Design. Sports 2023, 11, 162. [Google Scholar] [CrossRef] [PubMed]
- Lin, P. The Relationship Between Trait Mindfulness and Well-Being in College Students: The Serial Mediation Role of Flow Experience and Sports Participation. Psychol. Res. Behav. Manag. 2023, 16, 2071–2083. [Google Scholar] [CrossRef] [PubMed]
- Bishop, S.; Lau, M.; Shapiro, S.; Carlson, L.; Anderson, N.; Carmody, J.; Segal, Z.; Abbey, S.; Speca, M.; Veltin, D.; et al. Mindfulness: A proposed operational definition. Clin. Psychol. 2019, 9, 76–80. [Google Scholar] [CrossRef]
- Malinowski, P. Neural mechanisms of attentional control in mindfulness meditation. Front. Neurosci. 2013, 7, 35772. [Google Scholar] [CrossRef]
- Afonso, J.; Garganta, J.; Mesquita, I. A tomada de decisão no desporto: O papel da atenção, da antecipação e da memória. Rev. Bras. Cineantropometria Desempenho Hum. 2012, 14, 592–601. [Google Scholar] [CrossRef]
- Short, M.; Mazmanian, D.; Oinonem, K.; Mushquash, C. Executive function and self-regulation mediate dispositional mindfulness and well-being. Personal. Indididual Differ. 2016, 93, 97–103. [Google Scholar] [CrossRef]
- Roca, A.; Ford, P.; Memmert, D. Creative decision making and visual search behavior in skilled soccer players. PLoS ONE 2018, 13, e0199381. [Google Scholar] [CrossRef] [PubMed]

| Group | Category | Sex | n | Age | Years of Practice | Hours of Training | |||
|---|---|---|---|---|---|---|---|---|---|
| Average | SD | Average | SD | Average | SD | ||||
| Control | Adult | Female | 14 | 23.85 | 4.67 | 5.71 | 5.65 | 3.50 | 1.78 |
| Male | 15 | 26.67 | 8.41 | 8.90 | 6.68 | 4.07 | 2.63 | ||
| Youth | Female | 10 | 17.00 | 0.81 | 1.16 | 0.89 | 4.10 | 1.59 | |
| Male | 13 | 17.62 | 0.65 | 1.26 | 0.94 | 4.00 | 2.00 | ||
| Experimental | Adult | Female | 16 | 23.25 | 2.86 | 9.19 | 3.86 | 8.50 | 4.08 |
| Male | 13 | 21.38 | 1.80 | 8.23 | 3.08 | 11.69 | 3.54 | ||
| Youth | Female | 11 | 17.36 | 0.67 | 3.91 | 1.75 | 7.64 | 5.10 | |
| Male | 13 | 17.69 | 0.48 | 5.35 | 1.37 | 5.62 | 2.14 | ||
| General | 105 | 20.99 | 5.12 | 5.79 | 4.78 | 6.17 | 4.05 | ||
| Measures | Pre-Test | Post-Test | Repeated Anova | Difference (Pre-/Post-Test) (Control versus Experimental) | |||||
|---|---|---|---|---|---|---|---|---|---|
| M | SD | M | SD | F | M | SD | p-Value | n²p | |
| DM | 0.055 | 0.229 | −1.098 | 0.256 * | 9.09 (1.97) | −0.543 | 0.180 | 0.003 * | 0.086 |
| CSB | −0.365 | 0.151 * | −0.731 | 0.156 * | 27.35 (1.94) | −0.608 | 0.116 | <0.001 * | 0.225 |
| AAM | 0.094 | 0.134 | −0.025 | 0.158 | 0.12 (1.94) | −0.040 | 0.115 | 0.728 | 0.001 |
| CGs | −0.492 | 0.149 * | −0.544 | 0.148 * | 19.02 (1.94) | −0.543 | 0.125 | <0.001 * | 0.168 |
| UF | −0.324 | 0.145 * | −0.686 | 0.153 * | 24.27(1.94) | −0.571 | 0.116 | <0.001 * | 0.205 |
| TC | −0.144 | 0.158 | −0.315 | 0.152 * | 4.34 (1.94) | −0.275 | 0.132 | 0.040 * | 0.044 |
| SC | −0.167 | 0.149 | −0.568 | 0.154 * | 11.57 (1.94) | −0.416 | 0.122 | <0.001 * | 0.110 |
| LSC | −0.173 | 0.183 | −0.114 | 0.176 | 2.24 (1.94) | −0.195 | 0.130 | 0.138 | 0.023 |
| TT | 0.184 | 0.164 | 0.260 | 0.165 | 1.59 (1.94) | 0.178 | 0.141 | 0.209 | 0.017 |
| AE | 0.285 | 0.151 | −0.211 | 0.131 | 0.02 (1.94) | −0.018 | 0.115 | 0.874 | 0.000 |
| DFS-total | −0.124 | 0.105 | −0.325 | 0.107 * | 10.84 (1.94) | −0.277 | 0.084 | 0.001 * | 0.103 |
| MIS-AW | −0.038 | 0.176 | −0.304 | 0.172 | 1.99 (1.96) | −0.208 | 0.147 | 0.161 | 0.020 |
| MIS-NJ | 0.407 | 0.222 | 0.286 | 0.232 | 4.01 (1.96) | 0.387 | 0.193 | 0.048 * | 0.040 |
| MIS-RE | −0.076 | 0.164 | −0.441 | 0.165 * | 5.30 (1.96) | −0.309 | 0.134 | 0.023 * | 0.052 |
| MWB | −0.147 | 0.157 | −0.416 | 0.160 * | 4.54 (1.96) | −0.297 | 0.139 | 0.036 * | 0.045 |
| MAAS | −0.298 | 0.183 | −0.473 | 0.169 * | 5.86 (1.96) | −0.377 | 0.156 | 0.017 * | 0.058 |
| DMa | CSBa | AAMa | CGa | UFa | TCa | SCa | LSCa | TTa | AEa | DFSa | AWa | NJa | REa | MWBa | MAASa | |
|---|---|---|---|---|---|---|---|---|---|---|---|---|---|---|---|---|
| DMp | 0.07 | −0.20 | 0.08 | −0.17 | −0.12 | −0.08 | −0.28 * | 0.00 | 0.24 | −0.23 | −0.12 | −0.20 | −0.18 | 0.02 | 0.03 | −0.41 * |
| CSBp | −0.14 | 0.35 * | 0.28 * | 0.22 | 0.39 * | 0.39 * | 0.40 * | 0.18 | 0.20 | 0.46 * | 0.46 * | 0.16 | 0.10 | 0.17 | 0.49 * | 0.23 |
| AAMp | −0.20 | 0.08 | 0.25 | −0.14 | 0.10 | 0.10 | 0.02 | 0.11 | 0.08 | 0.11 | 0.11 | −0.16 | −0.24 | −0.12 | 0.06 | −0.22 |
| CGp | 0.02 | 0.17 | 0.03 | 0.37 * | 0.32 * | 0.36 * | 0.46 * | −0.09 | 0.03 | 0.13 | 0.27 | 0.06 | −0.04 | 0.15 | 0.19 | 0.23 |
| UFp | −0.00 | 0.31 * | 0.24 | 0.32 * | 0.48 * | 0.31 | 0.33 * | 0.12 | 0.21 | 0.53 * | 0.45 * | 0.05 | 0.03 | 0.06 | 0.42 * | 0.16 |
| TCp | −0.00 | 0.33 * | 0.28 * | 0.28 * | 0.31 * | 0.31 * | 0.35 * | 0.03 | 0.30 * | 0.26 | 0.38 * | 0.08 | −0.07 | 0.29 * | 0.31 * | 0.14 |
| SCp | 0.07 | 0.30 * | 0.22 | 0.30 | 0.39 * | 0.33 * | 0.38 * | 0.08 | 0.04 | 0.32 * | 0.37 * | 0.15 | −0.00 | 0.25 | 0.37 * | 0.20 |
| LSCp | −0.06 | 0.08 | 0.22 | 0.11 | 0.12 | 0.05 | 0.26 | 0.05 | 0.20 | 0.02 | 0.15 | −0.08 | −0.11 | 0.34 * | 0.06 | 0.19 |
| TTp | 0.03 | −0.09 | 0.17 | −0.04 | −0.00 | −0.02 | 0.01 | 0.00 | 0.54 * | −0.06 | 0.07 | −0.00 | −0.17 | −0.01 | −0.23 | −0.16 |
| AEp | −0.01 | 0.36 * | 0.28 * | 0.16 | 0.38 * | 0.39 * | 0.15 | 0.28 * | 0.35 * | 0.39 * | 0.45 * | 0.29 * | −0.25 | 0.26 | 0.27 | −0.00 |
| DFSp | −0.05 | 0.30 * | 0.32 * | 0.25 | 0.40 * | 0.35 * | 0.38 * | 0.10 | 0.32 * | 0.35 * | 0.44 * | 0.08 | −0.12 | 0.23 | 0.31 * | 0.12 |
| AWp | 0.16 | 0.24 | 0.25 | 0.46 * | 0.44 * | 0.32 * | 0.38 * | 0.20 | 0.54 * | 0.31 * | 0.49 * | 0.39 * | −0.17 | 0.36 * | 0.33 * | 0.13 |
| NJp | −0.07 | −0.21 | −0.13 | −0.13 | −0.31 * | −0.17 | −0.14 | −0.09 | −0.29 * | −0.19 | −0.26 | −0.31 | 0.42 * | −0.24 | −0.14 | 0.03 |
| REp | 0.11 | 0.20 | 0.25 | 0.25 | 0.33 * | 0.18 | 0.30 * | 0.02 | 0.20 | 0.15 | 0.29 * | 0.23 | −0.14 | 0.42 * | 0.29 * | 0.15 |
| MWBp | 0.06 | 0.17 | 0.39 * | 0.30 * | 0.26 | 0.30 * | 0.36 * | 0.17 | 0.23 | 0.04 | 0.34 * | 0.14 | 0.02 | 0.29 * | 0.36 * | −0.07 |
| MAASp | −0.026 | 0.200 | 0.04 | 0.24 | 0.16 | 0.18 | 0.37 * | 0.07 | 0.11 | 0.06 | 0.22 | 0.14 | 0.02 | 0.32 * | 0.22 | 0.17 |
Disclaimer/Publisher’s Note: The statements, opinions and data contained in all publications are solely those of the individual author(s) and contributor(s) and not of MDPI and/or the editor(s). MDPI and/or the editor(s) disclaim responsibility for any injury to people or property resulting from any ideas, methods, instructions or products referred to in the content. |
© 2024 by the authors. Licensee MDPI, Basel, Switzerland. This article is an open access article distributed under the terms and conditions of the Creative Commons Attribution (CC BY) license (https://creativecommons.org/licenses/by/4.0/).
Share and Cite
Martiny, L.; Dias, G.; Ferreira, J.P.; Mendes, R.; Mendes, R. Flow Training Program: Mindfulness, Decision Making, and Mental Well-Being of Young and Adult Elite Handball Athletes. Sports 2024, 12, 160. https://doi.org/10.3390/sports12060160
Martiny L, Dias G, Ferreira JP, Mendes R, Mendes R. Flow Training Program: Mindfulness, Decision Making, and Mental Well-Being of Young and Adult Elite Handball Athletes. Sports. 2024; 12(6):160. https://doi.org/10.3390/sports12060160
Chicago/Turabian StyleMartiny, Luis, Gonçalo Dias, José Pedro Ferreira, Rodrigo Mendes, and Rui Mendes. 2024. "Flow Training Program: Mindfulness, Decision Making, and Mental Well-Being of Young and Adult Elite Handball Athletes" Sports 12, no. 6: 160. https://doi.org/10.3390/sports12060160
APA StyleMartiny, L., Dias, G., Ferreira, J. P., Mendes, R., & Mendes, R. (2024). Flow Training Program: Mindfulness, Decision Making, and Mental Well-Being of Young and Adult Elite Handball Athletes. Sports, 12(6), 160. https://doi.org/10.3390/sports12060160

