Sign in to use this feature.

Years

Between: -

Subjects

remove_circle_outline
remove_circle_outline
remove_circle_outline
remove_circle_outline
remove_circle_outline
remove_circle_outline
remove_circle_outline

Journals

Article Types

Countries / Regions

Search Results (77)

Search Parameters:
Keywords = small and dim target

Order results
Result details
Results per page
Select all
Export citation of selected articles as:
26 pages, 2627 KB  
Article
Pseudo-Sample Generation and Self-Supervised Framework for Infrared Dim and Small Target Detection
by Jinxin Guo, Weida Zhan, Dehua Huo, Depeng Zhu, Yu Chen, Yichun Jiang and Xiaoyu Xu
Entropy 2025, 27(12), 1212; https://doi.org/10.3390/e27121212 - 28 Nov 2025
Viewed by 343
Abstract
Infrared dim and small target detection is crucial for long-range sensing. However, its deep representation learning is severely constrained by the scarcity of accurately annotated real data, and related research remains underdeveloped. Existing data generation methods based on patch synthesis or geometric transformations [...] Read more.
Infrared dim and small target detection is crucial for long-range sensing. However, its deep representation learning is severely constrained by the scarcity of accurately annotated real data, and related research remains underdeveloped. Existing data generation methods based on patch synthesis or geometric transformations fail to incorporate the physical degradation mechanisms of infrared imaging systems and reasonable environmental constraints, leading to significant discrepancies between synthetic data and real-world scenarios. To address this issue, this paper proposes a novel pseudo-sample generation paradigm based on physics-informed degradation modeling and high-order constraints. First, we construct an infrared image degradation model that decouples the degradation processes of targets and backgrounds at the signal level, achieving accurate modeling of real infrared imaging while ensuring the reliability of the degradation process through information fidelity optimization. Second, an online grid-based high-order constraint strategy is designed, which synergistically integrates global semantic, local structural, and grayscale constraints based on statistical distribution consistency to generate a high-fidelity infrared simulation dataset. Finally, we build a complete self-supervised detection framework incorporating classical neural networks, customized loss functions, and two-dimensional information evaluation metrics. Extensive experiments demonstrate that the synthetic data generated by our method significantly outperforms existing simulated datasets on authenticity metrics. It also effectively enhances the generalization performance of various detectors in real-world scenarios, achieving detection accuracy superior to baseline models trained on traditional simulated data. Full article
(This article belongs to the Section Information Theory, Probability and Statistics)
Show Figures

Figure 1

24 pages, 24641 KB  
Article
Memory-Based Temporal Transformer U-Net for Multi-Frame Infrared Small Target Detection
by Zicheng Feng, Wenlong Zhang, Donghui Liu, Xingfu Tao, Ang Su and Yixin Yang
Remote Sens. 2025, 17(23), 3801; https://doi.org/10.3390/rs17233801 - 23 Nov 2025
Viewed by 613
Abstract
In the field of infrared small target detection (ISTD), single-frame ISTD (SISTD), using only spatial features, cannot deal well with dim targets in cluttered backgrounds. In contrast, multi-frame ISTD (MISTD), utilizing spatio-temporal information from videos, can significantly enhance moving target features and effectively [...] Read more.
In the field of infrared small target detection (ISTD), single-frame ISTD (SISTD), using only spatial features, cannot deal well with dim targets in cluttered backgrounds. In contrast, multi-frame ISTD (MISTD), utilizing spatio-temporal information from videos, can significantly enhance moving target features and effectively suppress background interference. However, current MISTD algorithms are limited by fixed-size time windows, resulting in an inability to adaptively adjust the input amount of spatio-temporal information for different detection scenarios. Moreover, utilizing spatio-temporal features remains a significant challenge in MISTD, particularly in scenarios involving slow-moving targets and fast-moving backgrounds. To address the above problems, we propose a memory-based temporal Transformer U-Net (MTTU-Net), which integrates a memory-based temporal Transformer module (MTTM) into U-Net. Specifically, MTTM utilizes the proposed D-ConvLSTM to sequentially transmit the temporal information in the form of memory, breaking through the limitation of the time window paradigm. And we propose a Transformer-based interactive fusion approach, which is dominated by spatial features of the to-be-detected frame and supplemented by temporal features in the memory, thereby effectively dealing with targets and backgrounds with various motion states. In addition, MTTM is divided into a temporal channel-cross Transformer module (TCTM) and a temporal space-cross Transformer module (TSTM), which achieve target feature enhancement and global background perception through feature interactive fusion in the channel and space dimensions, respectively. Extensive experiments on IRDST and IDSMT datasets demonstrate that our MTTU-Net outperforms existing MISTD algorithms, and they verify the effectiveness of the proposed modules. Full article
(This article belongs to the Section AI Remote Sensing)
Show Figures

Figure 1

29 pages, 48102 KB  
Article
Infrared Temporal Differential Perception for Space-Based Aerial Targets
by Lan Guo, Xin Chen, Cong Gao, Zhiqi Zhao and Peng Rao
Remote Sens. 2025, 17(20), 3487; https://doi.org/10.3390/rs17203487 - 20 Oct 2025
Viewed by 736
Abstract
Space-based infrared (IR) detection, with wide coverage, all-time operation, and stealth, is crucial for aerial target surveillance. Under low signal-to-noise ratio (SNR) conditions, however, its small target size, limited features, and strong clutters often lead to missed detections and false alarms, reducing stability [...] Read more.
Space-based infrared (IR) detection, with wide coverage, all-time operation, and stealth, is crucial for aerial target surveillance. Under low signal-to-noise ratio (SNR) conditions, however, its small target size, limited features, and strong clutters often lead to missed detections and false alarms, reducing stability and real-time performance. To overcome these issues of energy-integration imaging in perceiving dim targets, this paper proposes a biomimetic vision-inspired Infrared Temporal Differential Detection (ITDD) method. The ITDD method generates sparse event streams by triggering pixel-level radiation variations and establishes an irradiance-based sensitivity model with optimized threshold voltage, spectral bands, and optical aperture parameters. IR sequences are converted into differential event streams with inherent noise, upon which a lightweight multi-modal fusion detection network is developed. Simulation experiments demonstrate that ITDD reduces data volume by three orders of magnitude and improves the SNR by 4.21 times. On the SITP-QLEF dataset, the network achieves a detection rate of 99.31%, and a false alarm rate of 1.97×105, confirming its effectiveness and application potential under complex backgrounds. As the current findings are based on simulated data, future work will focus on building an ITDD demonstration system to validate the approach with real-world IR measurements. Full article
(This article belongs to the Special Issue Deep Learning-Based Small-Target Detection in Remote Sensing)
Show Figures

Figure 1

23 pages, 7497 KB  
Article
RFA-YOLOv8: A Robust Tea Bud Detection Model with Adaptive Illumination Enhancement for Complex Orchard Environments
by Qiuyue Yang, Jinan Gu, Tao Xiong, Qihang Wang, Juan Huang, Yidan Xi and Zhongkai Shen
Agriculture 2025, 15(18), 1982; https://doi.org/10.3390/agriculture15181982 - 19 Sep 2025
Cited by 1 | Viewed by 853
Abstract
Accurate detection of tea shoots in natural environments is crucial for facilitating intelligent tea picking, field management, and automated harvesting. However, the detection performance of existing methods in complex scenes remains limited due to factors such as the small size, high density, severe [...] Read more.
Accurate detection of tea shoots in natural environments is crucial for facilitating intelligent tea picking, field management, and automated harvesting. However, the detection performance of existing methods in complex scenes remains limited due to factors such as the small size, high density, severe overlap, and the similarity in color between tea shoots and the background. Consequently, this paper proposes an improved target detection algorithm, RFA-YOLOv8, based on YOLOv8, which aims to enhance the detection accuracy and robustness of tea shoots in natural environments. First, a self-constructed dataset containing images of tea shoots under various lighting conditions is created for model training and evaluation. Second, the multi-scale feature extraction capability of the model is enhanced by introducing RFCAConv along with the optimized SPPFCSPC module, while the spatial perception ability is improved by integrating the RFAConv module. Finally, the EIoU loss function is employed instead of CIoU to optimize the accuracy of the bounding box positioning. The experimental results demonstrate that the improved model achieves 84.1% and 58.7% in mAP@0.5 and mAP@0.5:0.95, respectively, which represent increases of 3.6% and 5.5% over the original YOLOv8. Robustness is evaluated under strong, moderate, and dim lighting conditions, yielding improvements of 6.3% and 7.1%. In dim lighting, mAP@0.5 and mAP@0.5:0.95 improve by 6.3% and 7.1%, respectively. The findings of this research provide an effective solution for the high-precision detection of tea shoots in complex lighting environments and offer theoretical and technical support for the development of smart tea gardens and automated picking. Full article
(This article belongs to the Section Artificial Intelligence and Digital Agriculture)
Show Figures

Figure 1

24 pages, 4010 KB  
Article
MFAFNet: A Multi-Feature Attention Fusion Network for Infrared Small Target Detection
by Zehao Zhao, Weining Chen, Seng Dong, Yaohong Chen and Hao Wang
Remote Sens. 2025, 17(17), 3070; https://doi.org/10.3390/rs17173070 - 3 Sep 2025
Cited by 2 | Viewed by 1558
Abstract
Infrared small target detection is a critical task in remote sensing applications, such as aerial reconnaissance, maritime surveillance, and early-warning systems. However, due to the inherent characteristics of remote sensing imagery, such as complex backgrounds, low contrast, and limited spatial resolution-detecting small-scale, dim [...] Read more.
Infrared small target detection is a critical task in remote sensing applications, such as aerial reconnaissance, maritime surveillance, and early-warning systems. However, due to the inherent characteristics of remote sensing imagery, such as complex backgrounds, low contrast, and limited spatial resolution-detecting small-scale, dim infrared targets remains highly challenging. To address these issues, we propose MFAFNet, a novel Multi-Feature Attention Fusion Network tailored for infrared remote sensing scenarios. The network comprises three key modules: a Feature Interactive Fusion Module (FIFM), a Patch Attention Block (PAB), and an Asymmetric Contextual Fusion Module (ACFM). FIFM enhances target saliency by integrating the original infrared image with two locally enhanced feature maps capturing different receptive field scales. PAB exploits global contextual relationships by computing inter-pixel correlations across multi-scale patches, thus improving detection robustness in cluttered remote scenes. ACFM further refines feature representation by combining shallow spatial details with deep semantic cues, alleviating semantic gaps across feature hierarchies. Experimental results on two public remote sensing datasets, SIRST-Aug and IRSTD-1k, demonstrate that MFAFNet achieves excellent performance, with mean IoU values of 0.7465 and 0.6701, respectively, confirming its effectiveness and generalizability in infrared remote sensing image analysis. Full article
Show Figures

Figure 1

24 pages, 3398 KB  
Article
DEMNet: Dual Encoder–Decoder Multi-Frame Infrared Small Target Detection Network with Motion Encoding
by Feng He, Qiran Zhang, Yichuan Li and Tianci Wang
Remote Sens. 2025, 17(17), 2963; https://doi.org/10.3390/rs17172963 - 26 Aug 2025
Cited by 1 | Viewed by 1469
Abstract
Infrared dim and small target detection aims to accurately localize targets within complex backgrounds or clutter. However, under extremely low signal-to-noise ratio (SNR) conditions, single-frame detection methods often fail to effectively detect such targets. In contrast, multi-frame detection can exploit temporal cues to [...] Read more.
Infrared dim and small target detection aims to accurately localize targets within complex backgrounds or clutter. However, under extremely low signal-to-noise ratio (SNR) conditions, single-frame detection methods often fail to effectively detect such targets. In contrast, multi-frame detection can exploit temporal cues to significantly improve the probability of detection (Pd) and reduce false alarms (Fa). Existing multi-frame approaches often employ 3D convolutions/RNNs to implicitly extract temporal features. However, they typically lack explicit modeling of target motion. To address this, we propose a Dual Encoder–Decoder Multi-Frame Infrared Small Target Detection Network with Motion Encoding (DEMNet) that explicitly incorporates motion information into the detection process. The first multi-level encoder–decoder module leverages spatial and channel attention mechanisms to fuse hierarchical features across multiple scales, enabling robust spatial feature extraction from each frame of the temporally aligned input sequence. The second encoder–decoder module encodes both inter-frame target motion and intra-frame target positional information, followed by 3D convolution to achieve effective motion information fusion. Extensive experiments demonstrate that DEMNet achieves state-of-the-art performance, outperforming recent advanced methods such as DTUM and SSTNet. For the DAUB dataset, compared to the second-best model, DEMNet improves Pd by 2.42 percentage points and reduces Fa by 4.13 × 10−6 (a 68.72% reduction). For the NUDT dataset, it improves Pd by 1.68 percentage points and reduces Fa by 0.67 × 10−6 (a 7.26% reduction) compared to the next-best model. Notably, DEMNet demonstrates even greater advantages on test sequences with SNR ≤ 3. Full article
(This article belongs to the Special Issue Recent Advances in Infrared Target Detection)
Show Figures

Figure 1

15 pages, 3633 KB  
Article
HSS-YOLO Lightweight Object Detection Model for Intelligent Inspection Robots in Power Distribution Rooms
by Liang Li, Yangfei He, Yingying Wei, Hucheng Pu, Xiangge He, Chunlei Li and Weiliang Zhang
Algorithms 2025, 18(8), 495; https://doi.org/10.3390/a18080495 - 8 Aug 2025
Cited by 1 | Viewed by 841
Abstract
Currently, YOLO-based object detection is widely employed in intelligent inspection robots. However, under interference factors present in dimly lit substation environments, YOLO exhibits issues such as excessively low accuracy, missed detections, and false detections for critical targets. To address these problems, this paper [...] Read more.
Currently, YOLO-based object detection is widely employed in intelligent inspection robots. However, under interference factors present in dimly lit substation environments, YOLO exhibits issues such as excessively low accuracy, missed detections, and false detections for critical targets. To address these problems, this paper proposes HSS-YOLO, a lightweight object detection model based on YOLOv11. Initially, HetConv is introduced. By combining convolutional kernels of different sizes, it reduces the required number of floating-point operations (FLOPs) and enhances computational efficiency. Subsequently, the integration of Inner-SIoU strengthens the recognition capability for small targets within dim environments. Finally, ShuffleAttention is incorporated to mitigate problems like missed or false detections of small targets under low-light conditions. The experimental results demonstrate that on a custom dataset, the model achieves a precision of 90.5% for critical targets (doors and two types of handles). This represents a 4.6% improvement over YOLOv11, while also reducing parameter count by 10.7% and computational load by 9%. Furthermore, evaluations on public datasets confirm that the proposed model surpasses YOLOv11 in assessment metrics. The improved model presented in this study not only achieves lightweight design but also yields more accurate detection results for doors and handles within dimly lit substation environments. Full article
(This article belongs to the Section Algorithms for Multidisciplinary Applications)
Show Figures

Figure 1

26 pages, 14974 KB  
Article
HFEF2-YOLO: Hierarchical Dynamic Attention for High-Precision Multi-Scale Small Target Detection in Complex Remote Sensing
by Yao Lu, Biyun Zhang, Chunmin Zhang, Yifan He and Yanqiang Wang
Remote Sens. 2025, 17(10), 1789; https://doi.org/10.3390/rs17101789 - 20 May 2025
Cited by 1 | Viewed by 1633
Abstract
Deep learning-based methods for real-time small target detection are critical for applications such as traffic monitoring, land management, and marine transportation. However, achieving high-precision detection of small objects against complex backgrounds remains challenging due to insufficient feature representation and background interference. Existing methods [...] Read more.
Deep learning-based methods for real-time small target detection are critical for applications such as traffic monitoring, land management, and marine transportation. However, achieving high-precision detection of small objects against complex backgrounds remains challenging due to insufficient feature representation and background interference. Existing methods often struggle to balance multi-scale feature enhancement and computational efficiency, particularly in scenarios with low target-to-background contrast. To address this challenge, this study proposes an efficient detection method called hierarchical feature enhancement and feature fusion YOLO (HFEF2-YOLO), which is based on the hierarchical dynamic attention. Firstly, a Hierarchical Filtering Feature Pyramid Network (HF-FPN) is introduced, which employs a dynamic gating mechanism to achieve differentiated screening and fusion of cross-scale features. This design addresses the feature redundancy caused by fixed fusion strategies in conventional FPN architectures, preserving edge details of tiny targets. Secondly, we propose a Dynamic Spatial–Spectral Attention Module (DSAM), which adaptively fuses channel-wise and spatial–dimensional responses through learnable weight allocation, generating dedicated spatial modulation factors for individual channels and significantly enhancing the saliency representation of dim small targets. Extensive experiments on four benchmark datasets (VEDAI, AI-TOD, DOTA, NWPU VHR-10) demonstrate the superiority of HFEF2-YOLO; the proposed method can reach an accuracy of 0.761, 0.621, 0.737, and 0.969 (in terms of mAP@0.5), outperforming state-of-the-art methods by 3.5–8.1%. Furthermore, a lightweight version (L-HFEF2-YOLO) is developed via dynamic convolution, reducing parameters by 42% while maintaining >95% accuracy, demonstrating real-time applicability on edge devices. Robustness tests under simulated degradation (e.g., noise, blur) validate its practicality for satellite-based tasks. Full article
(This article belongs to the Section Remote Sensing Image Processing)
Show Figures

Figure 1

21 pages, 5519 KB  
Article
Design and Optimization of an FPGA-Based Infrared Dim Small Target Detection Network Under a Sky Cloud Background
by Yongbo Cheng, Xuefeng Lai and Yucheng Xia
Appl. Sci. 2025, 15(9), 4634; https://doi.org/10.3390/app15094634 - 22 Apr 2025
Viewed by 902
Abstract
To address the challenges of infrared dim small target detection under sky cloud backgrounds on edge devices, this study proposes a lightweight sequential-differential-frame-based network (LSDF-Net) with optimization and deployment on the heterogeneous FPGA JFMQL100TAI. The network enhances detection performance through sequential-differential inputs, false-alarm-object [...] Read more.
To address the challenges of infrared dim small target detection under sky cloud backgrounds on edge devices, this study proposes a lightweight sequential-differential-frame-based network (LSDF-Net) with optimization and deployment on the heterogeneous FPGA JFMQL100TAI. The network enhances detection performance through sequential-differential inputs, false-alarm-object learning, and multi-anchor assignment while reducing computational overhead through sequential-differential acceleration and convolutional pooling. Deployment efficiency is improved via image channel optimization, mixed quantization, and refining the infrared image calibration set. Experimental results indicate that the proposed network structure optimization methods reduce the hardware inference time by 15.78%. Overall, the optimized LSDF-Net achieves a recall rate of no less than 85.71% on the validation datasets and an FPS of 54.10 on the JFMQL100TAI. The proposed methods provide a reference solution for related application fields. Full article
Show Figures

Figure 1

21 pages, 16183 KB  
Article
Fusing Gradient, Intensity Accumulation, and Region Contrast for Robust Infrared Dim-Small Target Detection
by Liqi Liu, Rongguo Zhang, Xinyue Ni, Liyuan Li, Xiaofeng Su and Fansheng Chen
Appl. Sci. 2025, 15(6), 3373; https://doi.org/10.3390/app15063373 - 19 Mar 2025
Viewed by 785
Abstract
Existing infrared small target detection methods often fail due to limited exploitation of spatiotemporal information, leading to missed detections and false alarms. To address these limitations, we propose a novel framework called Spatial–Temporal Fusion Detection (STFD), which synergistically integrates three original components: gradient-enhanced [...] Read more.
Existing infrared small target detection methods often fail due to limited exploitation of spatiotemporal information, leading to missed detections and false alarms. To address these limitations, we propose a novel framework called Spatial–Temporal Fusion Detection (STFD), which synergistically integrates three original components: gradient-enhanced spatial contrast, adaptive temporal intensity accumulation, and temporal regional contrast. In the temporal domain, we introduce Temporal Regional Contrast (TRC), the first method to quantify target-background dissimilarity through adaptive region-based temporal profiling, overcoming the rigidity of conventional motion-based detection. Concurrently, Regional Intensity Accumulation (RIA) uniquely accumulates weak target signatures across frames while suppressing transient noise, addressing the critical gap in detecting sub-SNR-threshold targets that existing temporal filters fail to resolve. For spatial analysis, we propose the Gradient-Enhanced Local Contrast Measure (GELCM), which innovatively incorporates gradient direction and magnitude coherence into contrast computation, significantly reducing edge-induced false alarms compared with traditional local contrast methods. The proposed TRC, RIA, and GELCM modules complement each other, enabling robust detection through their synergistic interactions. Specifically, our method achieves significant improvements in key metrics: SCRG increases by up to 36.59, BSF improves by up to 9.48, and AUC rises by up to 0.027, reaching over 0.99, compared with the best existing methods, indicating a substantial enhancement in detection effectiveness. Full article
Show Figures

Figure 1

28 pages, 8967 KB  
Article
Adaptive Global Dense Nested Reasoning Network into Small Target Detection in Large-Scale Hyperspectral Remote Sensing Image
by Siyu Zhan, Yuxuan Yang, Muge Zhong, Guoming Lu and Xinyu Zhou
Remote Sens. 2025, 17(6), 948; https://doi.org/10.3390/rs17060948 - 7 Mar 2025
Cited by 1 | Viewed by 1397
Abstract
Small and dim target detection is a critical challenge in hyperspectral remote sensing, particularly in complex, large-scale scenes where spectral variability across diverse land cover types complicates the detection process. In this paper, we propose a novel target reasoning algorithm named Adaptive Global [...] Read more.
Small and dim target detection is a critical challenge in hyperspectral remote sensing, particularly in complex, large-scale scenes where spectral variability across diverse land cover types complicates the detection process. In this paper, we propose a novel target reasoning algorithm named Adaptive Global Dense Nested Reasoning Network (AGDNR). This algorithm integrates spatial, spectral, and domain knowledge to enhance the detection accuracy of small and dim targets in large-scale environments and simultaneously enables reasoning about target categories. The proposed method involves three key innovations. Firstly, we develop a high-dimensional, multi-layer nested U-Net that facilitates cross-layer feature transfer, preserving high-level features of small and dim targets throughout the network. Secondly, we present a novel approach for computing physicochemical parameters, which enhances the spectral characteristics of targets while minimizing environmental interference. Thirdly, we construct a geographic knowledge graph that incorporates both target and environmental information, enabling global target reasoning and more effective detection of small targets across large-scale scenes. Experimental results on three challenging datasets show that our method outperforms state-of-the-art approaches in detection accuracy and achieves successful classification of different small targets. Consequently, the proposed method offers a robust solution for the precise detection of hyperspectral small targets in large-scale scenarios. Full article
Show Figures

Figure 1

20 pages, 22620 KB  
Article
Adaptive Differential Event Detection for Space-Based Infrared Aerial Targets
by Lan Guo, Peng Rao, Cong Gao, Yueqi Su, Fenghong Li and Xin Chen
Remote Sens. 2025, 17(5), 845; https://doi.org/10.3390/rs17050845 - 27 Feb 2025
Cited by 4 | Viewed by 1454
Abstract
Space resources are of economic and strategic value. Infrared (IR) remote sensing, unaffected by geography and weather, is widely used in weather forecasting and defense. However, detecting small IR targets is challenging due to their small size and low signal-to-noise ratio, and the [...] Read more.
Space resources are of economic and strategic value. Infrared (IR) remote sensing, unaffected by geography and weather, is widely used in weather forecasting and defense. However, detecting small IR targets is challenging due to their small size and low signal-to-noise ratio, and the resulting low detection rates (DRs) and high false alarm rates (FRs). Existing algorithms struggle with complex backgrounds and clutter interference. This paper proposes an adaptive differential event detection method for space-based aerial target observation, tailored to the characteristics of target motion. The proposed IR differential event detection mechanism uses trigger rate feedback to dynamically adjust thresholds for strong, dynamic radiation backgrounds. To accurately extract targets from event frames, a lightweight target detection network is designed, incorporating an Event Conversion and Temporal Enhancement (ECTE) block, a Spatial-Frequency Domain Fusion (SFDF) block, and a Joint Spatial-Channel Attention (JSCA) block. Extensive experiments on simulated and real datasets demonstrate that the method outperforms state-of-the-art algorithms. To advance research on IR event frames, this paper introduces SITP-QLEF, the first remote-sensing IR event dataset designed for dim and moving target detection. The algorithm achieves an mAP@0.5 of 96.3%, an FR of 4.3 ×105, and a DR of 97.5% on the SITP-QLEF dataset, proving the feasibility of event detection for small targets in strong background scenarios. Full article
(This article belongs to the Special Issue Recent Advances in Infrared Target Detection)
Show Figures

Figure 1

20 pages, 1587 KB  
Article
Infrared Dim Small Target Detection Algorithm with Large-Size Receptive Fields
by Xiaozhen Wang, Chengshan Han, Jiaqi Li, Ting Nie, Mingxuan Li, Xiaofeng Wang and Liang Huang
Remote Sens. 2025, 17(2), 307; https://doi.org/10.3390/rs17020307 - 16 Jan 2025
Viewed by 2212
Abstract
Infrared target detection has a wide range of application value, but due to the characteristics of infrared images, infrared targets are easily submerged in the complex background. Therefore, in complex scenes, it is difficult to effectively and accurately detect infrared dim small targets. [...] Read more.
Infrared target detection has a wide range of application value, but due to the characteristics of infrared images, infrared targets are easily submerged in the complex background. Therefore, in complex scenes, it is difficult to effectively and accurately detect infrared dim small targets. For this reason, we design an infrared dim small target (IDST) detection algorithm containing Large-size Receptive Fields (LRFNet). It uses the Residual network with an Inverted Pyramid Structure (RIPS), which consists of convolutional layers that become progressively smaller, so it can have a larger effective receptive field and can improve the robustness of the model. In addition, through the Attention Mechanisms with Large Receptive Fields and Inverse Bottlenecks (LRIB), it can make the network better localize the region where the target is located and improve the detection effect of the model. The experimental results show that our proposed algorithm outperforms other state-of-the-art algorithms in all evaluation metrics. Full article
Show Figures

Figure 1

22 pages, 8407 KB  
Article
STIDNet: Spatiotemporally Integrated Detection Network for Infrared Dim and Small Targets
by Liuwei Zhang, Zhitao Zhou, Yuyang Xi, Fanjiao Tan and Qingyu Hou
Remote Sens. 2025, 17(2), 250; https://doi.org/10.3390/rs17020250 - 12 Jan 2025
Cited by 2 | Viewed by 1243
Abstract
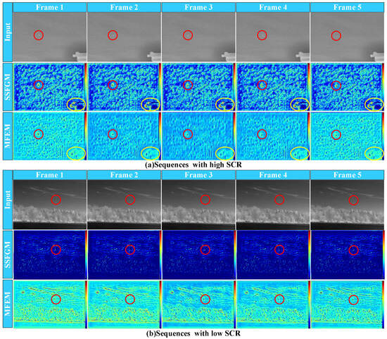
Infrared dim and small target detection (IRDSTD) aims to obtain target position information from the background, clutter, and noise. However, for infrared dim and small targets with low signal-to-clutter ratios (SCRs), the detection difficulty lies in the fact that their poor local spatial [...] Read more.
Infrared dim and small target detection (IRDSTD) aims to obtain target position information from the background, clutter, and noise. However, for infrared dim and small targets with low signal-to-clutter ratios (SCRs), the detection difficulty lies in the fact that their poor local spatial saliency will lead to missed detections and false alarms. In this work, a spatiotemporally integrated detection network (STIDNet) is proposed for IRDSTD. In the network, a spatial saliency feature generation module (SSFGM) employs a U-shaped network to extract deep features from the spatial dimension of the input image in a frame-by-frame manner and splices them based on the temporal dimension to obtain an airtime feature tensor. IRDSTs with direction-of-motion consistency and strong interframe correlation are reinforced, and randomly generated spurious waves, noise, and other false alarms are inhibited via a fixed-weight multiscale motion feature-based 3D convolution kernel (FWMFCK-3D). A mapping from the features to the target probability likelihood map is constructed in a spatiotemporal feature fusion module (STFFM) by performing 3D convolutional fusion on the spatially localized saliency and time-domain motion features. Finally, several ablation and comparison experiments indicate the excellent performance of the proposed network. For infrared dim and small targets with SCRs < 3, the average AUC value still reached 0.99786. Full article
(This article belongs to the Section Remote Sensing Image Processing)
Show Figures

Figure 1

22 pages, 5264 KB  
Article
Lightweight Neural Network for Centroid Detection of Weak, Small Infrared Targets via Background Matching in Complex Scenes
by Xiangdong Xu, Jiarong Wang, Zhichao Sha, Haitao Nie, Ming Zhu and Yu Nie
Remote Sens. 2024, 16(22), 4301; https://doi.org/10.3390/rs16224301 - 18 Nov 2024
Cited by 2 | Viewed by 1955
Abstract
In applications such as aerial object interception and ballistic estimation, it is crucial to precisely detect the centroid position of the target rather than to merely identify the position of the target bounding box or segment all pixels belonging to the target. Due [...] Read more.
In applications such as aerial object interception and ballistic estimation, it is crucial to precisely detect the centroid position of the target rather than to merely identify the position of the target bounding box or segment all pixels belonging to the target. Due to the typically long distances between targets and imaging devices in such scenarios, targets often exhibit a low contrast and appear as dim, obscure shapes in infrared images, which represents a challenge for human observation. To rapidly and accurately detect small targets, this paper proposes a lightweight, end-to-end detection network for small infrared targets. Unlike existing methods, the input of this network is five consecutive images after background matching. This design significantly improves the network’s ability to extract target motion features and effectively reduces the interference of static backgrounds. The network mainly consists of a local feature aggregation module (LFAM), which uses multiple-sized convolution kernels to capture multi-scale features in parallel and integrates multiple spatial attention mechanisms to achieve accurate feature fusion and effective background suppression, thereby enhancing the ability to detect small targets. To improve the accuracy of predicted target centroids, a centroid correction algorithm is designed. In summary, this paper presents a lightweight centroid detection network based on background matching for weak, small infrared targets. The experimental results show that, compared to directly inputting a sequence of images into the neural network, inputting a sequence of images processed by background matching can increase the detection rate by 9.88%. Using the centroid correction algorithm proposed in this paper can therefore improve the centroid localization accuracy by 0.0134. Full article
(This article belongs to the Special Issue Advancements in AI-Based Remote Sensing Object Detection)
Show Figures

Figure 1

Back to TopTop