Sign in to use this feature.

Years

Between: -

Subjects

remove_circle_outline
remove_circle_outline
remove_circle_outline
remove_circle_outline
remove_circle_outline
remove_circle_outline
remove_circle_outline

Journals

Article Types

Countries / Regions

Search Results (54)

Search Parameters:
Keywords = misregistration

Order results
Result details
Results per page
Select all
Export citation of selected articles as:
17 pages, 2974 KB  
Article
Genetic-Algorithm-Based Research on Key Technologies for Motion System Calibration and Error Control for the Precision Marking System
by Jiang Li, Shuangxiong Yin, Zexiao Li, Yongxu Xiang and Xiaodong Zhang
Photonics 2026, 13(1), 4; https://doi.org/10.3390/photonics13010004 - 22 Dec 2025
Viewed by 280
Abstract
To counteract accuracy degradation in micrometer-scale precision marking—where the precision marking (PM) system denotes the precision marking platform and the Optical Microscope (OM) system denotes the camera-based visual guidance module—a genetic-algorithm-based framework for motion-system calibration and error control is introduced. A kinematic error [...] Read more.
To counteract accuracy degradation in micrometer-scale precision marking—where the precision marking (PM) system denotes the precision marking platform and the Optical Microscope (OM) system denotes the camera-based visual guidance module—a genetic-algorithm-based framework for motion-system calibration and error control is introduced. A kinematic error model is established to capture multi-source coupled errors in the PM system, and the propagation mechanisms of axis misalignment, pose misregistration, and flatness-induced errors are analyzed. Building on this model, a GA-driven multi-objective calibration scheme and a coordinated optimization model jointly address axis-orthogonality correction, PM-OM extrinsic-pose calibration, and workpiece flatness compensation. Furthermore, a dynamic error-compensation framework leveraging real-time monitoring and adaptive adjustment sustains long-term high-precision marking. In post-calibration tests-after correcting axis orthogonality, aligning the PM-OM extrinsic pose, and compensating workpiece flatness, the PM system achieves dimensional accuracies of ±0.05, ±0.08, and ±0.10 μm for nominal 1, 2, and 3 μm marks, respectively, with positional accuracy better than ±0.2 μm. Marking consistency improves markedly, and the indentation force closely matches the target mark size, validating the approach. These techniques provide both theoretical and practical support for the engineering deployment of PM systems and are significant for improving the quality and productivity of micrometer-scale precision marking. Full article
(This article belongs to the Special Issue Emerging Topics in Freeform Optics)
Show Figures

Figure 1

21 pages, 12274 KB  
Article
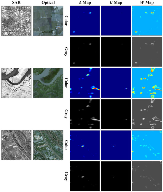
AWM-GAN: SAR-to-Optical Image Translation with Adaptive Weight Maps
by Su-Jang Pyeon, Seong-Heon Kim, Ho-Kyung Shin, Taeheon Kim and Woo-Jeoung Nam
Remote Sens. 2025, 17(23), 3878; https://doi.org/10.3390/rs17233878 - 29 Nov 2025
Viewed by 486
Abstract
Synthetic Aperture Radar (SAR) imagery enables high-resolution observation regardless of weather conditions. However, it is difficult to interpret intuitively due to issues such as speckle noise. In contrast, optical imagery provides realistic visual information but is vulnerable to weather and illumination changes. Leveraging [...] Read more.
Synthetic Aperture Radar (SAR) imagery enables high-resolution observation regardless of weather conditions. However, it is difficult to interpret intuitively due to issues such as speckle noise. In contrast, optical imagery provides realistic visual information but is vulnerable to weather and illumination changes. Leveraging this complementarity, SAR-to-Optical image translation has attracted considerable attention. Nevertheless, existing paired learning approaches are limited by the high cost of large-scale data collection and residual misregistration errors, while unpaired learning approaches are prone to global color shifts and structural distortions. To address these limitations, this study proposes a SAR-to-Optical translation framework that introduces a weight map throughout the training process. The proposed weight map combines Attribution maps and Uncertainty maps to amplify losses in important regions while guiding conservative learning in uncertain areas. Moreover, the weight map is incorporated into the registration stage to refine pixel-wise displacement estimation, preserve boundary and structural consistency, and enhance overall training stability. The experimental results demonstrate that the proposed method outperforms existing approaches on the SAR2Opt and SEN1-2 datasets in all metrics, including PSNR and SSIM. Full article
Show Figures

Figure 1

27 pages, 10379 KB  
Article
The Enhance-Fuse-Align Principle: A New Architectural Blueprint for Robust Object Detection, with Application to X-Ray Security
by Yuduo Lin, Yanfeng Lin, Heng Wu and Ming Wu
Sensors 2025, 25(21), 6603; https://doi.org/10.3390/s25216603 - 27 Oct 2025
Viewed by 822
Abstract
Object detection in challenging imaging domains like security screening, medical analysis, and satellite imaging is often hindered by signal degradation (e.g., noise, blur) and spatial ambiguity (e.g., occlusion, extreme scale variation). We argue that many standard architectures fail by fusing multi-scale features prematurely, [...] Read more.
Object detection in challenging imaging domains like security screening, medical analysis, and satellite imaging is often hindered by signal degradation (e.g., noise, blur) and spatial ambiguity (e.g., occlusion, extreme scale variation). We argue that many standard architectures fail by fusing multi-scale features prematurely, which amplifies noise. This paper introduces the Enhance-Fuse-Align (E-F-A) principle: a new architectural blueprint positing that robust feature enhancement and explicit spatial alignment are necessary preconditions for effective feature fusion. We implement this blueprint in a model named SecureDet, which instantiates each stage: (1) an RFCBAMConv module for feature Enhancement; (2) a BiFPN for weighted Fusion; (3) ECFA and ASFA modules for contextual and spatial Alignment. To validate the E-F-A blueprint, we apply SecureDet to the highly challenging task of X-ray contraband detection. Extensive experiments and ablation studies demonstrate that the mandated E-F-A sequence is critical to performance, significantly outperforming both the baseline and incomplete or improperly ordered architectures. In practice, enhancement is applied prior to fusion to attenuate noise and blur that would otherwise be amplified by cross-scale aggregation, and final alignment corrects mis-registrations to avoid sampling extraneous signals from occluding materials. Full article
(This article belongs to the Section Sensing and Imaging)
Show Figures

Figure 1

22 pages, 13239 KB  
Article
Best BiCubic Method to Compute the Planimetric Misregistration between Images with Sub-Pixel Accuracy: Application to Digital Elevation Models
by Serge Riazanoff, Axel Corseaux, Clément Albinet, Peter A. Strobl, Carlos López-Vázquez, Peter L. Guth and Takeo Tadono
ISPRS Int. J. Geo-Inf. 2024, 13(3), 96; https://doi.org/10.3390/ijgi13030096 - 15 Mar 2024
Cited by 3 | Viewed by 2905
Abstract
In recent decades, an important number of regional and global digital elevation models (DEMs) have been released publicly. As a consequence, researchers need to choose between several of these models to perform their studies and to use these DEMs as third-party data to [...] Read more.
In recent decades, an important number of regional and global digital elevation models (DEMs) have been released publicly. As a consequence, researchers need to choose between several of these models to perform their studies and to use these DEMs as third-party data to compute derived products (e.g., for orthorectification). However, the comparison of DEMs is not trivial. For most quantitative comparisons, DEMs need to be expressed in the same coordinate reference system (CRS) and sampled over the same grid (i.e., be at the same ground sampling distance with the same pixel-is-area or pixel-is-point convention) with heights relative to the same vertical reference system (VRS). Thankfully, many open tools allow us to perform these transformations precisely and easily. Despite these rigorous transformations, local or global planimetric displacements may still be observed from one DEM to another. These displacements or disparities may lead to significant biases in comparisons of DEM elevations or derived products such as slope, aspect, or curvature. Therefore, before any comparison, the control of DEM planimetric accuracy is certainly a very important task to perform. This paper presents the disparity analysis method enhanced to achieve a sub-pixel accuracy by interpolating the linear regression coefficients computed within an exploration window. This new method is significantly faster than oversampling the input data because it uses the correlation coefficients that have already been computed in the disparity analysis. To demonstrate the robustness of this algorithm, artificial displacements have been introduced through bicubic interpolation in an 11 × 11 grid with a 0.1-pixel step in both directionsThis validation method has been applied in four approximately 10 km × 10 km DEMIX tiles showing different roughness (height distribution). Globally, this new sub-pixel accuracy method is robust. Artificial displacements have been retrieved with typical errors (eb) ranging from 12 to 20% of the pixel size (with the worst case in Croatia). These errors in displacement retrievals are not equally distributed in the 11 × 11 grid, and the overall error Eb depends on the roughness encountered in the different tiles. The second aim of this paper is to assess the impact of the bicubic parameter (slope of the weight function at a distance d = 1 of the interpolated point) on the accuracy of the displacement retrieval. By considering Eb as a quality indicator, tests have been performed in the four DEMIX tiles, making the bicubic parameter vary between −1.5 and 0.0 by a step of 0.1. For each DEMIX tile, the best bicubic (BBC) parameter b* is interpolated from the four Eb minimal values. This BBC parameter b* is low for flat areas (around −0.95) and higher in mountainous areas (around −0.75). The roughness indicator is the standard deviation of the slope norms computed from all the pixels of a tile. A logarithmic regression analysis performed between the roughness indicator and the BBC parameter b* computed in 67 DEMIX tiles shows a high correlation (r = 0.717). The logarithmic regression formula b~σslope estimating the BBC parameter from the roughness indicator is generic and may be applied to estimate the displacements between two different DEMs. This formula may also be used to set up a future Adaptative Best BiCubic (ABBC) that will estimate the local roughness in a sliding window to compute a local BBC b~. Full article
(This article belongs to the Topic Advances in Earth Observation and Geosciences)
Show Figures

Figure 1

20 pages, 9099 KB  
Article
Accuracy Evaluation of Ocean Wave Spectra from Sentinel-1 SAR Based on Buoy Observations and ERA5 Data
by Fengjia Sun, Jungang Yang and Wei Cui
Remote Sens. 2024, 16(6), 987; https://doi.org/10.3390/rs16060987 - 12 Mar 2024
Cited by 7 | Viewed by 3935
Abstract
Doppler mis-registrations in azimuth can lead to ocean waves shorter than a specific wavelength being undetectable by SAR. In order to evaluate the actual ocean wave observation ability, the accuracy of Sentinel-1 SAR ocean wave spectra from January 2016 to December 2021 is [...] Read more.
Doppler mis-registrations in azimuth can lead to ocean waves shorter than a specific wavelength being undetectable by SAR. In order to evaluate the actual ocean wave observation ability, the accuracy of Sentinel-1 SAR ocean wave spectra from January 2016 to December 2021 is evaluated by comparisons to NDBC buoys, ERA5 wave height, and CMEMS buoys. The results compared with NDBC show that the spectral shape of Sentinel-1 SAR ocean wave spectra is accurate, while the spectral values need to be improved. The wave spectra of Sentinel-1 have the best observations in season autumn. The comparison results of total wave height show the RMSE and bias are 0.91 m and −0.52 m for the comparisons to NDBC buoy wave spectra data, 0.93 m and −0.68 m for the comparison to ERA5 wave height data, and 0.9 m and −0.35 m for the comparisons to CMEMS buoy data. The comparison results of wave height in different wind speeds and areas shows that the accuracy of Sentinel-1 wave mode data is relatively good in the open ocean located in middle and low latitude area under the medium wind speed, while those are relatively poor in high latitude areas or the areas with excessively high or low wind speed. Full article
Show Figures

Graphical abstract

15 pages, 6903 KB  
Article
MRI and CT Fusion in Stereotactic Electroencephalography (SEEG)
by Jaime Pérez Hinestroza, Claudia Mazo, Maria Trujillo and Alejandro Herrera
Diagnostics 2023, 13(22), 3420; https://doi.org/10.3390/diagnostics13223420 - 9 Nov 2023
Cited by 1 | Viewed by 2669
Abstract
Epilepsy is a neurological disorder characterized by spontaneous recurrent seizures. While 20% to 30% of epilepsy cases are untreatable with Anti-Epileptic Drugs, some of these cases can be addressed through surgical intervention. The success of such interventions greatly depends on accurately locating the [...] Read more.
Epilepsy is a neurological disorder characterized by spontaneous recurrent seizures. While 20% to 30% of epilepsy cases are untreatable with Anti-Epileptic Drugs, some of these cases can be addressed through surgical intervention. The success of such interventions greatly depends on accurately locating the epileptogenic tissue, a task achieved using diagnostic techniques like Stereotactic Electroencephalography (SEEG). SEEG utilizes multi-modal fusion to aid in electrode localization, using pre-surgical resonance and post-surgical computer tomography images as inputs. To ensure the absence of artifacts or misregistrations in the resultant images, a fusion method that accounts for electrode presence is required. We proposed an image fusion method in SEEG that incorporates electrode segmentation from computed tomography as a sampling mask during registration to address the fusion problem in SEEG. The method was validated using eight image pairs from the Retrospective Image Registration Evaluation Project (RIRE). After establishing a reference registration for the MRI and identifying eight points, we assessed the method’s efficacy by comparing the Euclidean distances between these reference points and those derived using registration with a sampling mask. The results showed that the proposed method yielded a similar average error to the registration without a sampling mask, but reduced the dispersion of the error, with a standard deviation of 0.86 when a mask was used and 5.25 when no mask was used. Full article
(This article belongs to the Special Issue Brain Imaging in Epilepsy -Volume 2)
Show Figures

Figure 1

15 pages, 7237 KB  
Article
Clinical Quality Control of MRI Total Kidney Volume Measurements in Autosomal Dominant Polycystic Kidney Disease
by Chenglin Zhu, Hreedi Dev, Arman Sharbatdaran, Xinzi He, Daniil Shimonov, James M. Chevalier, Jon D. Blumenfeld, Yi Wang, Kurt Teichman, George Shih, Akshay Goel and Martin R. Prince
Tomography 2023, 9(4), 1341-1355; https://doi.org/10.3390/tomography9040107 - 12 Jul 2023
Cited by 7 | Viewed by 4669
Abstract
Total kidney volume measured on MRI is an important biomarker for assessing the progression of autosomal dominant polycystic kidney disease and response to treatment. However, we have noticed that there can be substantial differences in the kidney volume measurements obtained from the various [...] Read more.
Total kidney volume measured on MRI is an important biomarker for assessing the progression of autosomal dominant polycystic kidney disease and response to treatment. However, we have noticed that there can be substantial differences in the kidney volume measurements obtained from the various pulse sequences commonly included in an MRI exam. Here we examine kidney volume measurement variability among five commonly acquired MRI pulse sequences in abdominal MRI exams in 105 patients with ADPKD. Right and left kidney volumes were independently measured by three expert observers using model-assisted segmentation for axial T2, coronal T2, axial single-shot fast spin echo (SSFP), coronal SSFP, and axial 3D T1 images obtained on a single MRI from ADPKD patients. Outlier measurements were analyzed for data acquisition errors. Most of the outlier values (88%) were due to breathing during scanning causing slice misregistration with gaps or duplication of imaging slices (n = 35), slice misregistration from using multiple breath holds during acquisition (n = 25), composing of two overlapping acquisitions (n = 17), or kidneys not entirely within the field of view (n = 4). After excluding outlier measurements, the coefficient of variation among the five measurements decreased from 4.6% pre to 3.2%. Compared to the average of all sequences without errors, TKV measured on axial and coronal T2 weighted imaging were 1.2% and 1.8% greater, axial SSFP was 0.4% greater, coronal SSFP was 1.7% lower and axial T1 was 1.5% lower than the mean, indicating intrinsic measurement biases related to the different MRI contrast mechanisms. In conclusion, MRI data acquisition errors are common but can be identified using outlier analysis and excluded to improve organ volume measurement consistency. Bias toward larger volume measurements on T2 sequences and smaller volumes on axial T1 sequences can also be mitigated by averaging data from all error-free sequences acquired. Full article
(This article belongs to the Section Abdominal Imaging)
Show Figures

Figure 1

22 pages, 7964 KB  
Article
Bandpass Alignment from Sentinel-2 to Gaofen-1 ARD Products with UNet-Induced Tile-Adaptive Lookup Tables
by Zhi-Qiang Liu, Zhao Wang, Zhitao Zhao, Lianzhi Huo, Ping Tang and Zheng Zhang
Remote Sens. 2023, 15(10), 2563; https://doi.org/10.3390/rs15102563 - 14 May 2023
Cited by 4 | Viewed by 3021
Abstract
The successful launching of more satellites in recent years has made data fusion an important and promising task because it can significantly increase the temporal frequency of the resulting time series data. To improve the usability of Gaofen-1 analysis ready data (GF1-ARD), Sentinel-2 [...] Read more.
The successful launching of more satellites in recent years has made data fusion an important and promising task because it can significantly increase the temporal frequency of the resulting time series data. To improve the usability of Gaofen-1 analysis ready data (GF1-ARD), Sentinel-2 (S2) is selected to enhance the temporal resolution of GF1-ARD due to their similar characteristics and short revisit period. Before constructing a denser time series from different platforms, bandpass alignment is required. Most researchers implement bandpass alignment using the linear model. However, the transformed bands of S2 by the linear model cannot match GF1-ARD well due to the limited globally shared parameters. In contrast, local-derived lookup tables (LUTs) can better address this problem. Inspired by the powerful capability of deep learning, we develop a model based on the U-shaped network (UNet) to learn tile-adaptive LUTs. Specifically, the LUTs are adaptively learned from the histogram of the S2 tile. Given that the bandpass alignment can be viewed as a histogram matching process, the expected LUTs are believed to be highly correlated with the input histogram. In addition, a simple convolutional module is further introduced to address the pixel-level misregistration. We have created a large-scale dataset and conducted extensive experiments on it to evaluate the competitive performance of the proposed model. Meanwhile, extensive visualizations are generated to illustrate the mechanism of our model. Furthermore, the temporal frequency of S2 and GF1-ARD is thoroughly assessed to demonstrate that bandpass alignment can significantly improve the temporal resolution of GF1-ARD. Full article
(This article belongs to the Special Issue Gaofen 16m Analysis Ready Data)
Show Figures

Figure 1

21 pages, 15261 KB  
Article
A Vicarious Technique for Understanding and Diagnosing Hyperspectral Spatial Misregistration
by David N. Conran and Emmett J. Ientilucci
Sensors 2023, 23(9), 4333; https://doi.org/10.3390/s23094333 - 27 Apr 2023
Cited by 1 | Viewed by 2644
Abstract
Pushbroom hyperspectral imaging (HSI) systems intrinsically measure our surroundings by leveraging 1D spatial imaging, where each pixel contains a unique spectrum of the observed materials. Spatial misregistration is an important property of HSI systems because it defines the spectral integrity of spatial pixels [...] Read more.
Pushbroom hyperspectral imaging (HSI) systems intrinsically measure our surroundings by leveraging 1D spatial imaging, where each pixel contains a unique spectrum of the observed materials. Spatial misregistration is an important property of HSI systems because it defines the spectral integrity of spatial pixels and requires characterization. The IEEE P4001 Standards Association committee has defined laboratory-based methods to test the ultimate limit of HSI systems but negates any impacts from mounting and flying the instruments on airborne platforms such as unmanned aerial vehicles (UAV’s) or drones. Our study was designed to demonstrate a novel vicarious technique using convex mirrors to bridge the gap between laboratory and field-based HSI performance testing with a focus on extracting hyperspectral spatial misregistration. A fast and simple extraction technique is proposed for estimating the sampled Point Spread Function’s width, along with keystone, as a function of wavelength for understanding the key contributors to hyperspectral spatial misregistration. With the ease of deploying convex mirrors, off-axis spatial misregistration is assessed and compared with on-axis behavior, where the best performance is often observed. In addition, convex mirrors provide an easy methodology to exploit ortho-rectification errors related to fixed pushbroom HSI systems, which we will show. The techniques discussed in this study are not limited to drone-based systems but can be easily applied to other airborne or satellite-based systems. Full article
(This article belongs to the Special Issue Hyperspectral Imaging Sensing and Analysis)
Show Figures

Figure 1

17 pages, 6072 KB  
Article
Binary Neighborhood Coordinate Descriptor for Circuit Board Defect Detection
by Jiaming Zhang, Xuejuan Hu, Tan Zhang, Shiqian Liu, Kai Hu, Ting He, Xiaokun Yang, Jianze Ye, Hengliang Wang, Yadan Tan and Yifei Liang
Electronics 2023, 12(6), 1435; https://doi.org/10.3390/electronics12061435 - 17 Mar 2023
Cited by 2 | Viewed by 1931
Abstract
Due to the periodicity of circuit boards, the registration algorithm based on keypoints is less robust in circuit board detection and is prone to misregistration problems. In this paper, the binary neighborhood coordinate descriptor (BNCD) is proposed and applied to circuit board image [...] Read more.
Due to the periodicity of circuit boards, the registration algorithm based on keypoints is less robust in circuit board detection and is prone to misregistration problems. In this paper, the binary neighborhood coordinate descriptor (BNCD) is proposed and applied to circuit board image registration. The BNCD consists of three parts: neighborhood description, coordinate description, and brightness description. The neighborhood description contains the grayscale information of the neighborhood, which is the main part of BNCD. The coordinate description introduces the actual position of the keypoints in the image, which solves the problem of inter-period matching of keypoints. The brightness description introduces the concept of bright and dark points, which improves the distinguishability of BNCD and reduces the calculation amount of matching. Experimental results show that in circuit board image registration, the matching precision rate and recall rate of BNCD is better than that of classic algorithms such as scale-invariant feature transform (SIFT) and speeded up robust features (SURF), and the calculation of descriptors takes less time. Full article
(This article belongs to the Section Circuit and Signal Processing)
Show Figures

Figure 1

15 pages, 2447 KB  
Article
Detection of Multitemporal Changes with Artificial Neural Network-Based Change Detection Algorithm Using Hyperspectral Dataset
by Neelam Dahiya, Sartajvir Singh, Sheifali Gupta, Adel Rajab, Mohammed Hamdi, M. A. Elmagzoub, Adel Sulaiman and Asadullah Shaikh
Remote Sens. 2023, 15(5), 1326; https://doi.org/10.3390/rs15051326 - 27 Feb 2023
Cited by 21 | Viewed by 4660
Abstract
Monitoring the Earth’s surface and objects is important for many applications, such as managing natural resources, crop yield predictions, and natural hazard analysis. Remote sensing is one of the most efficient and cost-effective solutions for analyzing land-use and land-cover (LULC) changes over the [...] Read more.
Monitoring the Earth’s surface and objects is important for many applications, such as managing natural resources, crop yield predictions, and natural hazard analysis. Remote sensing is one of the most efficient and cost-effective solutions for analyzing land-use and land-cover (LULC) changes over the Earth’s surface through advanced computer algorithms, such as classification and change detection. In the past literature, various developments were made to change detection algorithms to detect LULC multitemporal changes using optical or microwave imagery. The optical-based hyperspectral highlights the critical information, but sometimes it is difficult to analyze the dataset due to the presence of atmospheric distortion, radiometric errors, and misregistration. In this work, an artificial neural network-based post-classification comparison (ANPC) as change detection has been utilized to detect the muti-temporal LULC changes over a part of Uttar Pradesh, India, using the Hyperion EO-1 dataset. The experimental outcomes confirmed the effectiveness of ANPC (92.6%) as compared to the existing models, such as a spectral angle mapper (SAM) based post-classification comparison (SAMPC) (89.7%) and k-nearest neighbor (KNN) based post-classification comparison (KNNPC) (91.2%). The study will be beneficial in extracting critical information about the Earth’s surface, analysis of crop diseases, crop diversity, agriculture, weather forecasting, and forest monitoring. Full article
(This article belongs to the Special Issue Advanced Artificial Intelligence for Environmental Remote Sensing)
Show Figures

Figure 1

21 pages, 12793 KB  
Article
Linear Spatial Misregistration Detection and Correction Based on Spectral Unmixing for FAHI Hyperspectral Imagery
by Xiangyue Zhang, Xiaoyu Cheng, Tianru Xue and Yueming Wang
Sensors 2022, 22(24), 9932; https://doi.org/10.3390/s22249932 - 16 Dec 2022
Cited by 3 | Viewed by 2353
Abstract
In push-broom hyperspectral imaging systems, the sensor rotation to the optical plane leads to linear spatial misregistration (LSM) in hyperspectral images (HSIs). To compensate for hardware defects through software, this paper develops four methods to detect LSM in HSIs. Different from traditional methods [...] Read more.
In push-broom hyperspectral imaging systems, the sensor rotation to the optical plane leads to linear spatial misregistration (LSM) in hyperspectral images (HSIs). To compensate for hardware defects through software, this paper develops four methods to detect LSM in HSIs. Different from traditional methods for grayscale images, the method of fitting the sum of abundance (FSAM) and the method of searching for equal abundance (SEAM) are achieved by hyperspectral unmixing for a selected rectangular transition areas containing an edge, which makes good use of spatial and spectral information. The method based on line detection for band-interleaved-by-line (BIL) images (LDBM) and the method based on the Fourier transform of BIL images (FTBM) aim to characterize the slope of line structure in BIL images and get rid of the dependence on scene and wavelength. A full strategy is detailed from aspects of data selection, LSM detection, and image correction. The full spectrum airborne hyperspectral imager (FAHI) is China’s new generation push-broom scanner. The HSIs obtained by FAHI are tested and analyzed. Experiments on simulation data compare the four proposed methods with traditional methods and prove that FSAM outperforms other methods in terms of accuracy and stability. In experiments on real data, the application of the full strategy on FAHI verifies its effectiveness. This work not only provides reference for other push-broom imagers with similar problems, but also helps to reduce the requirement for hardware calibration. Full article
(This article belongs to the Section Physical Sensors)
Show Figures

Figure 1

11 pages, 2131 KB  
Article
Correlation between CT Value on Lung Subtraction CT and Radioactive Count on Perfusion Lung Single Photon Emission CT in Chronic Thromboembolic Pulmonary Hypertension
by Toshiya Kariyasu, Haruhiko Machida, Tsuneo Yamashiro, Keita Fukushima, Masamichi Koyanagi, Kenichi Yokoyama, Makiko Nishikawa and Toru Satoh
Diagnostics 2022, 12(11), 2895; https://doi.org/10.3390/diagnostics12112895 - 21 Nov 2022
Cited by 2 | Viewed by 2651
Abstract
Background: Lung subtraction CT (LSCT), the subtraction of noncontrast CT from CT pulmonary angiography (CTPA) without spatial misregistration, is easily applicable by utilizing a software-based deformable image registration technique without additional hardware and permits the evaluation of lung perfusion as iodine accumulation, similar [...] Read more.
Background: Lung subtraction CT (LSCT), the subtraction of noncontrast CT from CT pulmonary angiography (CTPA) without spatial misregistration, is easily applicable by utilizing a software-based deformable image registration technique without additional hardware and permits the evaluation of lung perfusion as iodine accumulation, similar to that observed in perfusion lung single photon emission CT (PL-SPECT). The aim of this study was to use LSCT to newly assess the quantitative correlation between the CT value on LSCT and radioactive count on PL-SPECT as a reference and validate the quantification of lung perfusion by measuring the CT value in chronic thromboembolic pulmonary hypertension (CTEPH). Methods: We prospectively enrolled 47 consecutive patients with CTEPH undergoing both LSCT and PL-SPECT; we used noncontrast CT, CTPA, and LSCT to measure CT values and PL-SPECT to measure radioactive counts in areas representing three different perfusion classes—no perfusion defect, subsegmental perfusion defect, and segmental perfusion defect; we compared CT values on noncontrast CT, CTPA, and LSCT and radioactive counts on PL-SPECT among the three classes, then assessed the correlation between them. Results: Both the CT values and radioactive counts differed significantly among the three classes (p < 0.01 for all) and showed weak correlation (ρ = 0.38) by noncontrast CT, moderate correlation (ρ = 0.61) by CTPA, and strong correlation (ρ = 0.76) by LSCT. Conclusions: The CT value measurement on LSCT is a novel quantitative approach to assess lung perfusion in CTEPH and only correlates strongly with radioactive count measurement on PL-SPECT. Full article
(This article belongs to the Section Medical Imaging and Theranostics)
Show Figures

Figure 1

24 pages, 10865 KB  
Article
LiDAR Odometry and Mapping Based on Neighborhood Information Constraints for Rugged Terrain
by Gang Wang, Xinyu Gao, Tongzhou Zhang, Qian Xu and Wei Zhou
Remote Sens. 2022, 14(20), 5229; https://doi.org/10.3390/rs14205229 - 19 Oct 2022
Cited by 4 | Viewed by 4058
Abstract
The simultaneous localization and mapping (SLAM) method estimates vehicles’ pose and builds maps established on the collection of environmental information primarily through sensors such as LiDAR and cameras. Compared to the camera-based SLAM, the LiDAR-based SLAM is more geared to complicated environments and [...] Read more.
The simultaneous localization and mapping (SLAM) method estimates vehicles’ pose and builds maps established on the collection of environmental information primarily through sensors such as LiDAR and cameras. Compared to the camera-based SLAM, the LiDAR-based SLAM is more geared to complicated environments and is not susceptible to weather and illumination, which has increasingly become a hot topic in autonomous driving. However, there has been relatively little research on the LiDAR-based SLAM algorithm in rugged scenes. The following two issues remain unsolved: on the one hand, the small overlap area of two adjacent point clouds results in insufficient valuable features that can be extracted; on the other hand, the conventional feature matching method does not take point cloud pitching into account, which frequently results in matching failure. Hence, a LiDAR SLAM algorithm based on neighborhood information constraints (LoNiC) for rugged terrain is proposed in this study. Firstly, we obtain the feature points with surface information using the distribution of the normal vector angles in the neighborhood and extract features with discrimination through the local surface information of the point cloud, to improve the describing ability of feature points in rugged scenes. Secondly, we provide a multi-scale constraint description based on point cloud curvature, normal vector angle, and Euclidean distance to enhance the algorithm’s discrimination of the differences between feature points and prevent mis-registration. Subsequently, in order to lessen the impact of the initial pose value on the precision of point cloud registration, we introduce the dynamic iteration factor to the registration process and modify the corresponding relationship of the matching point pairs by adjusting the distance and angle thresholds. Finally, the verification based on the KITTI and JLU campus datasets verifies that the proposed algorithm significantly improves the accuracy of mapping. Specifically in rugged scenes, the mean relative translation error is 0.0173%, and the mean relative rotation error is 2.8744°/m, reaching the current level of the state of the art (SOTA) method. Full article
Show Figures

Graphical abstract

24 pages, 20763 KB  
Article
A Novel Method of Small Object Detection in UAV Remote Sensing Images Based on Feature Alignment of Candidate Regions
by Jinkang Wang, Faming Shao, Xiaohui He and Guanlin Lu
Drones 2022, 6(10), 292; https://doi.org/10.3390/drones6100292 - 7 Oct 2022
Cited by 10 | Viewed by 3751
Abstract
To solve the problem of low detection accuracy of small objects in UAV optical remote sensing images due to low contrast, dense distribution, and weak features, this paper proposes a small object detection method based on feature alignment of candidate regions is proposed [...] Read more.
To solve the problem of low detection accuracy of small objects in UAV optical remote sensing images due to low contrast, dense distribution, and weak features, this paper proposes a small object detection method based on feature alignment of candidate regions is proposed for remote sensing images. Firstly, AFA-FPN (Attention-based Feature Alignment FPN) defines the corresponding relationship between feature mappings, solves the misregistration of features between adjacent levels, and improves the recognition ability of small objects by aligning and fusing shallow spatial features and deep semantic features. Secondly, the PHDA (Polarization Hybrid Domain Attention) module captures local areas containing small object features through parallel channel domain attention and spatial domain attention. It assigns a larger weight to these areas to alleviate the interference of background noise. Then, the rotation branch uses RROI to rotate the horizontal frame obtained by RPN, which avoids missing detection of small objects with dense distribution and arbitrary direction. Next, the rotation branch uses RROI to rotate the horizontal box obtained by RPN. It solves the problem of missing detection of small objects with dense distribution and arbitrary direction and prevents feature mismatch between the object and candidate regions. Finally, the loss function is improved to better reflect the difference between the predicted value and the ground truth. Experiments are conducted on a self-made dataset. The experimental results show that the mAP of the proposed method reaches 82.04% and the detection speed reaches 24.3 FPS, which is significantly higher than that of the state-of-the-art methods. Meanwhile, the ablation experiment verifies the rationality of each module. Full article
Show Figures

Figure 1

Back to TopTop