Effect of Lentinan on Lipid Oxidation and Quality Change in Goose Meatballs during Cold Storage
Abstract
:1. Introduction
2. Materials and Methods
2.1. Materials and Samples
2.2. Preparation of Goose Meatballs
2.3. pH and Color
2.4. Thiobarbituric Acid Reactive Substances (TBARS)
2.5. Total Volatile Base Nitrogen (TVB-N)
2.6. Scanning Electron Microscope (SEM)
2.7. Texture Profile Analysis (TPA)
2.8. Electronic Tongue Analysis
2.9. Analysis of Volatile Compounds
2.10. Sensory Evaluation
2.11. Statistical Analysis
3. Results and Discussion
3.1. pH and Color
3.2. TBARS
3.3. TVB-N
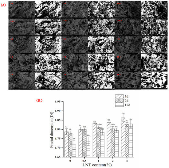
3.4. Microstructure and Df
3.5. Texture Profile Analysis
3.6. Electronic Tongue Analysis
3.7. Changes in Flavor Substances
3.8. Correlation Analysis
4. Conclusions
Supplementary Materials
Author Contributions
Funding
Institutional Review Board Statement
Informed Consent Statement
Data Availability Statement
Conflicts of Interest
References
- Huo, W.; Weng, K.; Gu, T.; Zhang, Y.; Zhang, Y.; Chen, G.; Xu, Q. Difference in developmental dynamics between subcutaneous and abdominal adipose tissues in goose (Anser Cygnoides). Poult. Sci. 2021, 100, 101185. [Google Scholar] [CrossRef] [PubMed]
- Wereńska, M.; Haraf, G.; Wołoszyn, J.; Goluch, Z.; Okruszek, A.; Teleszko, M. Fatty acid profile and health lipid indicies of goose meat in relation to various types of heat treatment. Poult. Sci. 2021, 100, 101237. [Google Scholar] [CrossRef] [PubMed]
- Buzała, M.; Adamski, M.; Janicki, B. Characteristics of performance traits and the quality of meat and fat in Polish oat geese. Worlds Poult. Sci. J. 2019, 70, 531–542. [Google Scholar] [CrossRef]
- Orkusz, A.; Wolanska, W.; Krajinska, U. The Assessment of Changes in the Fatty Acid Profile and Dietary Indicators Depending on the Storage Conditions of Goose Meat. Molecules 2021, 26, 5122. [Google Scholar] [CrossRef]
- Gulbaz, G.; Kamber, U. Experimentally fermented sausage from goose meat and quality attributes. J. Muscle Foods 2008, 19, 247–260. [Google Scholar] [CrossRef]
- Hamadani, H.; Khan, A.; Salahudin, M.; Sofi, A.H.; Banday, M. Slaughter and carcass characteristics, sensory attributes and consumer acceptability of geese meat. Indian J. Poult. Sci. 2013, 48, 223–227. [Google Scholar]
- Morrissey, P.A.; Sheehy, P.J.A.; Galvin, K.; Kerry, J.P.; Buckley, D.J. Lipid stability in meat and meat products. Meat Sci. 1998, 49, S73–S86. [Google Scholar] [CrossRef]
- Wereńska, M.; Okruszek, A.; Haraf, G.; Wołoszyn, J.; Goluch, Z. Impact of Frozen Storage on Oxidation Changes of Some Components in Goose Meat. Poult. Sci. 2022, 101, 101517. [Google Scholar] [CrossRef]
- Cunha, L.C.M.; Monteiro, M.L.G.; Lorenzo, J.M.; Munekata, P.E.S.; Muchenje, V.; de Carvalho, F.A.L.; Conte-Junior, C.A. Natural antioxidants in processing and storage stability of sheep and goat meat products. Food Res. Int. 2018, 111, 379–390. [Google Scholar] [CrossRef]
- Montano-Sanchez, E.; Torres-Martinez, B.D.M.; Vargas-Sanchez, R.D.; Huerta-Leidenz, N.; Sanchez-Escalante, A.; Beriain, M.J.; Torrescano-Urrutia, G.R. Effects of Chitosan Coating with Green Tea Aqueous Extract on Lipid Oxidation and Microbial Growth in Pork Chops during Chilled Storage. Foods 2020, 9, 766. [Google Scholar] [CrossRef]
- Rocchetti, G.; Bernardo, L.; Pateiro, M.; Barba, F.J.; Munekata, P.E.S.; Trevisan, M.; Lorenzo, J.M.; Lucini, L. Impact of a Pitanga Leaf Extract to Prevent Lipid Oxidation Processes during Shelf Life of Packaged Pork Burgers: An Untargeted Metabolomic Approach. Foods 2020, 9, 1668. [Google Scholar] [CrossRef]
- Khan, I.A.; Xu, W.; Wang, D.; Yun, A.; Khan, A.; Zongshuai, Z.; Ijaz, M.U.; Yiqun, C.; Hussain, M.; Huang, M. Antioxidant potential of chrysanthemum morifolium flower extract on lipid and protein oxidation in goat meat patties during refrigerated storage. J. Food Sci. 2020, 85, 618–627. [Google Scholar] [CrossRef]
- Guan, W.; Ren, X.; Li, Y.; Mao, L. The beneficial effects of grape seed, sage and oregano extracts on the quality and volatile flavor component of hairtail fish balls during cold storage at 4 °C. LWT 2019, 101, 25–31. [Google Scholar] [CrossRef]
- Hayes, J.E.; Stepanyan, V.; Allen, P.; O’Grady, M.N.; Kerry, J.P. Evaluation of the effects of selected plant-derived nutraceuticals on the quality and shelf-life stability of raw and cooked pork sausages. LWT 2011, 44, 164–172. [Google Scholar] [CrossRef]
- Hozová, B.; Kuniak, Ľ.; Kelemenová, B. Application of β-d-glucans isolated from mushrooms Pleurotus ostreatus (pleuran) and Lentinus edodes (lentinan) for increasing the bioactivity of yoghurts. Czech J. Food Sci. 2004, 22, 204–214. [Google Scholar] [CrossRef] [Green Version]
- Moonmoon, M.; Shelly, N.J.; Khan, M.A.; Uddin, M.N.; Hossain, K.; Tania, M.; Ahmed, S. Effects of different levels of wheat bran, rice bran and maize powder supplementation with saw dust on the production of shiitake mushroom (Lentinus edodes (Berk.) Singer). Saudi. J. Biol. Sci. 2011, 18, 323–328. [Google Scholar] [CrossRef] [Green Version]
- Zhang, Y.; Li, S.; Wang, X.; Zhang, L.; Cheung, P.C.K. Advances in lentinan: Isolation, structure, chain conformation and bioactivities. Food Hydrocoll. 2011, 25, 196–206. [Google Scholar] [CrossRef]
- Olawuyi, I.F.; Lee, W.Y. Quality and antioxidant properties of functional rice muffins enriched with shiitake mushroom and carrot pomace. Int. J. Food Sci. Technol. 2019, 54, 2321–2328. [Google Scholar] [CrossRef]
- Jin, S.-K.; Choi, J.-S. Effect of packaging methods on quality characteristics of fermented dry-cured hams during cold storage at 4 °C. J. Food Meas. Charact. 2017, 11, 2052–2060. [Google Scholar] [CrossRef]
- Chai, H.E.; Sheen, S. Effect of high pressure processing, allyl isothiocyanate, and acetic acid stresses on Salmonella survivals, storage, and appearance color in raw ground chicken meat. Food Control 2021, 123, 107784. [Google Scholar] [CrossRef]
- Zhou, F.; Zhao, M.; Su, G.; Cui, C.; Sun, W. Gelation of salted myofibrillar protein under malondialdehyde-induced oxidative stress. Food Hydrocoll. 2014, 40, 153–162. [Google Scholar] [CrossRef]
- Wang, Z.; Sun, Y.; Dang, Y.; Cao, J.; Pan, D.; Guo, Y.; He, J. Water-insoluble dietary fibers from oats enhance gel properties of duck myofibrillar proteins. Food Chem. 2021, 344, 128690. [Google Scholar] [CrossRef]
- Reihani, S.F.; Tan, T.C.; Huda, N.; Easa, A.M. Frozen storage stability of beef patties incorporated with extracts from ulam raja leaves (Cosmos caudatus). Food Chem. 2014, 155, 17–23. [Google Scholar] [CrossRef]
- Dang, Y.; Hao, L.; Zhou, T.; Cao, J.; Sun, Y.; Pan, D. Establishment of new assessment method for the synergistic effect between umami peptides and monosodium glutamate using electronic tongue. Food Res. Int. 2019, 121, 20–27. [Google Scholar] [CrossRef]
- Deng, S.; Liu, Y.; Huang, F.; Liu, J.; Han, D.; Zhang, C.; Blecker, C. Evaluation of volatile flavor compounds in bacon made by different pig breeds during storage time. Food Chem. 2021, 357, 129765. [Google Scholar] [CrossRef]
- Ramle, N.A.; Zulkurnain, M.; Ismail-Fitry, M.R. Replacing animal fat with edible mushrooms: A strategy to produce high-quality and low-fat buffalo meatballs. Int. Food Res. J. 2021, 28, 905–915. [Google Scholar]
- Alarcon-Rojo, A.D.; Carrillo-Lopez, L.M.; Reyes-Villagrana, R.; Huerta-Jimenez, M.; Garcia-Galicia, I.A. Ultrasound and meat quality: A review. Ultrason. Sonochem. 2019, 55, 369–382. [Google Scholar] [CrossRef]
- Sellamuthu, K.M.; Govindaswamy, M. Effect of Fertiliser and Humic Acid on Rhizosphere Microorganisms and Soil Enzymes at an Early Stage of Sugarcane Growth. Sugar Tech 2003, 5, 273–277. [Google Scholar] [CrossRef]
- Hughes, J.M.; Clarke, F.M.; Purslow, P.P.; Warner, R.D. Meat color is determined not only by chromatic heme pigments but also by the physical structure and achromatic light scattering properties of the muscle. Compr. Rev. Food Sci. Saf. 2020, 19, 44–63. [Google Scholar] [CrossRef] [PubMed] [Green Version]
- Holman, B.W.; van de Ven, R.J.; Mao, Y.; Coombs, C.E.; Hopkins, D.L. Using instrumental (CIE and reflectance) measures to predict consumers’ acceptance of beef colour. Meat Sci. 2017, 127, 57–62. [Google Scholar] [CrossRef] [PubMed]
- Calnan, H.B.; Jacob, R.H.; Pethick, D.W.; Gardner, G.E. Selection for intramuscular fat and lean meat yield will improve the bloomed colour of Australian lamb loin meat. Meat Sci. 2017, 131, 187–195. [Google Scholar] [CrossRef] [Green Version]
- Sun, L.; Sun, J.; Thavaraj, P.; Yang, X.; Guo, Y. Effects of thinned young apple polyphenols on the quality of grass carp (Ctenopharyngodon idellus) surimi during cold storage. Food Chem. 2017, 224, 372–381. [Google Scholar] [CrossRef]
- Sabeena Farvin, K.H.; Grejsen, H.D.; Jacobsen, C. Potato peel extract as a natural antioxidant in chilled storage of minced horse mackerel (Trachurus trachurus): Effect on lipid and protein oxidation. Food Chem. 2012, 131, 843–851. [Google Scholar] [CrossRef]
- Liu, D.; Liang, L.; Xia, W.; Regenstein, J.M.; Zhou, P. Biochemical and physical changes of grass carp (Ctenopharyngodon idella) fillets stored at −3 and 0 °C. Food Chem. 2013, 140, 105–114. [Google Scholar] [CrossRef]
- Li, Y.; Yang, Z.; Li, J. Shelf-life extension of Pacific white shrimp using algae extracts during refrigerated storage. J. Sci. Food Agric. 2017, 97, 291–298. [Google Scholar] [CrossRef]
- Feng, Z.; Li, L.; Wang, Q.; Wu, G.; Liu, C.; Jiang, B.; Xu, J. Effect of Antioxidant and Antimicrobial Coating based on Whey Protein Nanofibrils with TiO2 Nanotubes on the Quality and Shelf Life of Chilled Meat. Int. J. Mol. Sci. 2019, 20, 1184. [Google Scholar] [CrossRef] [Green Version]
- Banerjee, R.; Verma, A.K.; Siddiqui, M.W. Natural Antioxidants: Applications in Foods of Animal Origin, 1st ed.; Apple Academic Press: New York, NY, USA, 2017; pp. 99–102. [Google Scholar] [CrossRef]
- Orczewska-Dudek, S.; Bederska-Łojewska, D.; Pieszka, M.; Pietras, M. Cholesterol and Lipid Peroxides in Animal Products and Health Implications—A Review. Ann. Anim. Sci. 2012, 12, 25–52. [Google Scholar] [CrossRef]
- Xue, S.; He, L. Optimization of adding polysaccharides from chicory root based on fuzzy mathematics to improve physicochemical properties of silver carp surimi balls during storage. J. Food Process. Preserv. 2021, 45, e15307. [Google Scholar] [CrossRef]
- Hamzaoui, A.; Ghariani, M.; Sellem, I.; Hamdi, M.; Feki, A.; Jaballi, I.; Nasri, M.; Amara, I.B. Extraction, characterization and biological properties of polysaccharide derived from green seaweed “Chaetomorpha linum” and its potential application in Tunisian beef sausages. Int. J. Biol. Macromol. 2020, 148, 1156–1168. [Google Scholar] [CrossRef]
- Li, X.; Liu, A.; Ye, R.; Wang, Y.; Wang, W. Fabrication of gelatin–laponite composite films: Effect of the concentration of laponite on physical properties and the freshness of meat during storage. Food Hydrocoll. 2015, 44, 390–398. [Google Scholar] [CrossRef]
- Ruiz-Capillas, C.; Moral, A. Sensory and biochemical aspects of quality of whole bigeye tuna (Thunnus obesus) during bulk storage in controlled atmospheres. Food Chem. 2005, 89, 347–354. [Google Scholar] [CrossRef]
- Zhang, X.; Xu, Y.; Xue, H.; Jiang, G.C.; Liu, X.J. Antioxidant activity of vine tea (Ampelopsis grossedentata) extract on lipid and protein oxidation in cooked mixed pork patties during refrigerated storage. Food Sci. Nutr. 2019, 7, 1735–1745. [Google Scholar] [CrossRef] [Green Version]
- Salvador, P.; Toldrà, M.; Saguer, E.; Carretero, C.; Parés, D. Microstructure–function relationships of heat-induced gels of porcine haemoglobin. Food Hydrocoll. 2009, 23, 1654–1659. [Google Scholar] [CrossRef]
- Zhuang, X.; Jiang, X.; Zhou, H.; Chen, Y.; Zhao, Y.; Yang, H.; Zhou, G. Insight into the mechanism of physicochemical influence by three polysaccharides on myofibrillar protein gelation. Carbohydr. Polym. 2020, 229, 115449. [Google Scholar] [CrossRef] [PubMed]
- Nieto, G.; Castillo, M.; Xiong, Y.L.; Alvarez, D.; Payne, F.A.; Garrido, M.D. Antioxidant and emulsifying properties of alcalase-hydrolyzed potato proteins in meat emulsions with different fat concentrations. Meat Sci. 2009, 83, 24–30. [Google Scholar] [CrossRef]
- Kumar, Y.; Kaur, K.; Shahi, A.K.; Kairam, N.; Tyagi, S.K. Antilisterial, antimicrobial and antioxidant effects of pediocin and Murraya koenigii berry extract in refrigerated goat meat emulsion. LWT 2017, 79, 135–144. [Google Scholar] [CrossRef]
- Saengsuk, N.; Laohakunjit, N.; Sanporkha, P.; Kaisangsri, N.; Selamassakul, O.; Ratanakhanokchai, K.; Uthairatanakij, A. Physicochemical characteristics and textural parameters of restructured pork steaks hydrolysed with bromelain. Food Chem. 2021, 361, 130079. [Google Scholar] [CrossRef]
- Kasana, R.C.; Salwan, R.; Yadav, S.K. Microbial proteases: Detection, production, and genetic improvement. Crit. Rev. Microbiol. 2011, 37, 262–276. [Google Scholar] [CrossRef]
- Wang, L.; Guo, H.; Liu, X.; Jiang, G.; Li, C.; Li, X.; Li, Y. Roles of Lentinula edodes as the pork lean meat replacer in production of the sausage. Meat Sci. 2019, 156, 44–51. [Google Scholar] [CrossRef]
- Lenik, J.; Wesoły, M.; Ciosek, P.; Wróblewski, W. Evaluation of taste masking effect of diclofenac using sweeteners and cyclodextrin by a potentiometric electronic tongue. J. Electroanal. Chem. 2016, 780, 153–159. [Google Scholar] [CrossRef]
- Tian, X.; Li, Z.J.; Chao, Y.Z.; Wu, Z.Q.; Zhou, M.X.; Xiao, S.T.; Zeng, J.; Zhe, J. Evaluation by electronic tongue and headspace-GC-IMS analyses of the flavor compounds in dry-cured pork with different salt content. Food Res. Int. 2020, 137, 109456. [Google Scholar] [CrossRef]
- Soncin, S.; Chiesa, L.M.; Cantoni, C.; Biondi, P.A. Preliminary study of the volatile fraction in the raw meat of pork, duck and goose. J. Food Compos. Anal. 2007, 20, 436–439. [Google Scholar] [CrossRef]
- Xie, J.; Sun, B.; Zheng, F.; Wang, S. Volatile flavor constituents in roasted pork of Mini-pig. Food Chem. 2008, 109, 506–514. [Google Scholar] [CrossRef]
- Sutherland, M.M.; Ames, J.M. The effect of castration on the headspace aroma components of cooked lamb. J. Sci. Food Agric. 1995, 69, 403–413. [Google Scholar] [CrossRef]
- Li, X.; Zhu, J.; Li, C.; Ye, H.; Wang, Z.; Wu, X.; Xu, B. Evolution of Volatile Compounds and Spoilage Bacteria in Smoked Bacon during Refrigeration Using an E-Nose and GC-MS Combined with Partial Least Squares Regression. Molecules 2018, 23, 3286. [Google Scholar] [CrossRef] [Green Version]
- Ma, Q.L.; Hamid, N.; Bekhit, A.E.; Robertson, J.; Law, T.F. Evaluation of pre-rigor injection of beef with proteases on cooked meat volatile profile after 1 day and 21 days post-mortem storage. Meat Sci. 2012, 92, 430–439. [Google Scholar] [CrossRef]






| Times/Day | 0% | 0.5% | 1% | 2% | 4% | |
|---|---|---|---|---|---|---|
| pH | 3 | 6.073 ± 0.006 Aa | 6.027 ± 0.006 Bb | 6.010 ± 0.010 Ab | 5.947 ± 0.006 Bc | 5.930 ± 0.026 Ac |
| 7 | 6.083 ± 0.006 Aa | 6.070 ± 0.017 Aab | 6.030 ± 0.010 Aabc | 6.017 ± 0.031 Abc | 5.990 ± 0.052 Ac | |
| 12 | 5.013 ± 0.035 Ba | 4.953 ± 0.011 Ca | 4.997 ± 0.063 Ba | 5.007 ± 0.015 Ca | 5.007 ± 0.038 Ba | |
| L* | 3 | 63.08 ± 0.78 Aa | 62.60 ± 1.47 Aa | 60.72 ± 2.37 Aab | 58.41 ± 0.35 Abc | 56.15 ± 2.04 Ac |
| 7 | 62.58 ± 0.46 Aa | 62.20 ± 0.10 Aa | 59.26 ± 0.46 Ab | 56.77 ± 1.33 Ac | 54.63 ± 0.59 Ad | |
| 12 | 60.55 ± 0.74 Ba | 60.36 ± 3.29 Ba | 55.84 ± 1.04 Bb | 53.75 ± 1.84 Bbc | 51.72 ± 1.13 Bc | |
| A* | 3 | 3.02 ± 0.25 Ab | 3.11 ± 0.20 Ab | 3.23 ± 0.56 Aab | 3.56 ± 0.62 Aab | 3.87 ± 0.19 Aa |
| 7 | 2.33 ± 0.65 Bc | 2.68 ± 0.58 Abc | 3.14 ± 0.25 Aab | 3.26 ± 0.29 Aab | 3.46 ± 0.23 Ba | |
| 12 | 1.50 ± 0.10 Cc | 1.84 ± 0.51 Abc | 2.46 ± 1.03 Aab | 3.03 ± 0.10 Aa | 3.04 ± 0.31 Ca | |
| B* | 3 | 17.96 ± 0.97 Aab | 12.36 ± 1.93 Bc | 16.93 ± 0.49 Bb | 17.54 ± 0.24 Bab | 18.78 ± 0.57 Ba |
| 7 | 18.48 ± 0.32 Ab | 15.31 ± 0.23 Ac | 19.20 ± 1.05 Aab | 19.57 ± 0.65 Aa | 20.11 ± 0.61 Aa | |
| 12 | 18.95 ± 0.88 Aa | 17.82 ± 0.21 Ab | 17.82 ± 0.73 Bb | 18.09 ± 0.45 Bab | 17.99 ± 0.45 Bb | |
| 3 | 10.95 ± 1.96 c | 12.52 ± 2.72 c | 22.18 ± 2.11 b | 35.97 ± 4.05 a | ||
| 7 | 4.94 ± 0.73 c | 7.86 ± 0.63 c | 21.93 ± 2.76 b | 31.13 ± 2.41 a | ||
| 12 | 2.45 ± 1.21 c | 4.62 ± 0.47 c | 16.93 ± 0.99 b | 21.76 ± 4.02 a |
| Times/d | 0% | 0.5% | 1% | 2% | 4% | |
|---|---|---|---|---|---|---|
| Hardness (N) | 3 | 4182.76 ± 88.46 Aa | 3969.41 ± 82.55 Ab | 3724.42 ± 111.21 Ac | 3496.33 ± 149.70 Ad | 3409.05 ± 102.60 Ad |
| 7 | 4033.74 ± 77.62 Aa | 3638.09 ± 11.31 Bb | 3547.10 ± 43.76 Ab | 3383.15 ± 110.56 Ac | 3196.83 ± 127.40 Bd | |
| 12 | 3861.21 ± 65.21 Ba | 3654.51 ± 121.06 Bb | 3150.50 ± 111.94 Bc | 2938.62 ± 108.77 Bd | 2756.58 ± 46.28 Ce | |
| Springiness (mm) | 3 | 0.18 ± 0.02 Aab | 0.21 ± 0.04 Aab | 0.24 ± 0.06 Aa | 0.19 ± 0.02 Aab | 0.16 ± 0.01 Ab |
| 7 | 0.10 ± 0.01 Bb | 0.12 ± 0.01 Bb | 0.15 ± 0.00 Ba | 0.11 ± 0.01 Bb | 0.12 ± 0.01 Bb | |
| 12 | 0.09 ± 0.01 Ba | 0.10 ± 0.01 Ba | 0.10 ± 0.00 Ba | 0.10 ± 0.01 Ba | 0.10 ± 0.01 Ca | |
| Cohesiveness (ratio) | 3 | 0.16 ± 0.00 Aab | 0.19 ± 0.03 Aa | 0.20 ± 0.02 Aa | 0.17 ± 0.03 Aab | 0.15 ± 0.00 Ab |
| 7 | 0.08 ± 0.01 Bb | 0.10 ± 0.02 Bb | 0.12 ± 0.00 Ba | 0.10 ± 0.00 Bb | 0.09 ± 0.01 Bb | |
| 12 | 0.08 ± 0.01 Ba | 0.08 ± 0.01 Ba | 0.09 ± 0.01 Ba | 0.09 ± 0.00 Ba | 0.09 ± 0.00 Ba | |
| Chewiness (N·mm) | 3 | 101.72 ± 3.12 Ab | 159.54 ± 17.03 Aa | 181.97 ± 28.46 Aa | 149.17 ± 27.15 Aa | 80.60 ± 12.79 Ab |
| 7 | 29.73 ± 4.08 Bc | 36.69 ± 1.25 Bb | 48.47 ± 3.01 Ba | 37.72 ± 5.57 Bb | 34.01 ± 3.11 Bbc | |
| 12 | 20.67 ± 6.17 Bc | 33.97 ± 0.82 Ba | 34.58 ± 1.02 Ba | 27.16 ± 2.44 Bb | 25.21 ± 3.48 Bbc |
| Times/d | 0% | 0.5% | 1% | 2% | 4% | |
|---|---|---|---|---|---|---|
| aldehydes | 3 | 3 | 4 | 3 | 2 | 0 |
| 7 | 3 | 3 | 1 | 1 | 0 | |
| 12 | 2 | 2 | 2 | 0 | 0 | |
| hydrocarbons | 3 | 18 | 17 | 19 | 20 | 21 |
| 7 | 18 | 16 | 20 | 20 | 21 | |
| 12 | 20 | 15 | 17 | 21 | 24 | |
| ketones | 3 | 2 | 2 | 2 | 2 | 3 |
| 7 | 2 | 2 | 2 | 2 | 2 | |
| 12 | 2 | 2 | 2 | 2 | 2 | |
| alcohols | 3 | 4 | 4 | 4 | 3 | 2 |
| 7 | 5 | 5 | 6 | 4 | 3 | |
| 12 | 4 | 3 | 3 | 4 | 4 | |
| ethers | 3 | 2 | 2 | 2 | 2 | 2 |
| 7 | 2 | 2 | 2 | 2 | 2 | |
| 12 | 2 | 2 | 2 | 2 | 2 | |
| others | 3 | 1 | 1 | 0 | 1 | 1 |
| 7 | 1 | 0 | 1 | 0 | 1 | |
| 12 | 2 | 1 | 1 | 2 | 3 | |
| total | 3 | 30 | 30 | 30 | 30 | 29 |
| 7 | 31 | 28 | 32 | 29 | 30 | |
| 12 | 32 | 25 | 27 | 31 | 35 |
| Times/d | 0% | 0.5% | 1% | 2% | 4% | |
|---|---|---|---|---|---|---|
| Aldehydes/% | 3 | 35.33 ± 1.39 a | 25.40 ± 0.74 b | 10.04 ± 0.23 c | 3.89 ± 0.90 cd | 0.00 ± 0.00 d |
| 7 | 10.26 ± 0.76 a | 9.54 ± 1.90 a | 4.43 ± 1.82 b | 3.10 ± 0.64 b | 0.00 ± 0.00 c | |
| 12 | 2.32 ± 0.12 a | 0.73 ± 0.33 b | 0.63 ± 0.17 b | 0.00 ± 0.00 c | 0.00 ± 0.00 c | |
| hydrocarbons/% | 3 | 27.34 ± 3.81 c | 27.60 ± 0.59 c | 29.24 ± 2.00 bc | 35.70 ± 3.41 b | 49.78 ± 2.83 a |
| 7 | 24.17 ± 0.12 c | 25.72 ± 0.11 bc | 28.68 ± 0.66 bc | 30.21 ± 3.00 b | 36.32 ± 1.64 a | |
| 12 | 28.45 ± 2.71 b | 44.30 ± 4.91 a | 33.07 ± 3.14 b | 28.26 ± 1.31 b | 26.60 ± 1.03 b | |
| ketones/% | 3 | 0.67 ± 0.03 c | 0.68 ± 0.00 c | 0.69 ± 0.04 c | 0.91 ± 0.04 b | 1.14 ± 0.05 a |
| 7 | 0.55 ± 0.02 bc | 0.53 ± 0.04 c | 0.59 ± 0.09 bc | 0.79 ± 0.05 a | 0.72 ± 0.04 ab | |
| 12 | 0.59 ± 0.05 b | 0.89 ± 0.19 a | 0.73 ± 0.09 ab | 0.71 ± 0.02 ab | 0.46 ± 0.03 b | |
| alcohols/% | 3 | 1.85 ± 0.31 a | 1.90 ± 0.01 a | 1.80 ± 0.22 ab | 1.81 ± 0.41 ab | 1.20 ± 0.18 b |
| 7 | 9.55 ± 2.23 a | 10.88 ± 1.44 a | 12.11 ± 1.88 a | 2.25 ± 0.10 b | 1.55 ± 0.16 b | |
| 12 | 12.02 ± 3.02 a | 10.36 ± 3.59 a | 6.79 ± 0.98 ab | 1.81 ± 0.27 b | 1.80 ± 0.06 b | |
| ethers/% | 3 | 34.82 ± 3.52 d | 44.01 ± 0.79 c | 58.27 ± 3.78 a | 56.44 ± 4.11 ab | 47.60 ± 2.84 bc |
| 7 | 55.24 ± 1.24 b | 54.67 ± 4.00 b | 54.04 ± 0.40 b | 61.33 ± 1.61 a | 61.05 ± 1.91 a | |
| 12 | 55.79 ± 1.11 b | 43.18 ± 3.91 c | 57.71 ± 1.15 b | 69.14 ± 1.88 a | 70.94 ± 1.95 a | |
| others/% | 3 | 0.00 ± 0.00 c | 0.42 ± 0.09 b | 0.00 ± 0.00 c | 1.24 ± 0.15 a | 0.27 ± 0.24 bc |
| 7 | 0.24 ± 0.04 a | 0.00 ± 0.00 b | 0.16 ± 0.02 ab | 0.00 ± 0.00 b | 0.09 ± 0.01 ab | |
| 12 | 0.84 ± 0.03 ab | 0.54 ± 0.13 ab | 1.08 ± 0.02 a | 0.09 ± 0.01 b | 0.20 ± 0.02 ab |
Publisher’s Note: MDPI stays neutral with regard to jurisdictional claims in published maps and institutional affiliations. |
© 2022 by the authors. Licensee MDPI, Basel, Switzerland. This article is an open access article distributed under the terms and conditions of the Creative Commons Attribution (CC BY) license (https://creativecommons.org/licenses/by/4.0/).
Share and Cite
Fu, L.; Du, L.; Sun, Y.; Fan, X.; Zhou, C.; He, J.; Pan, D. Effect of Lentinan on Lipid Oxidation and Quality Change in Goose Meatballs during Cold Storage. Foods 2022, 11, 1055. https://doi.org/10.3390/foods11071055
Fu L, Du L, Sun Y, Fan X, Zhou C, He J, Pan D. Effect of Lentinan on Lipid Oxidation and Quality Change in Goose Meatballs during Cold Storage. Foods. 2022; 11(7):1055. https://doi.org/10.3390/foods11071055
Chicago/Turabian StyleFu, Li, Lihui Du, Yangying Sun, Xiankang Fan, Changyu Zhou, Jun He, and Daodong Pan. 2022. "Effect of Lentinan on Lipid Oxidation and Quality Change in Goose Meatballs during Cold Storage" Foods 11, no. 7: 1055. https://doi.org/10.3390/foods11071055
APA StyleFu, L., Du, L., Sun, Y., Fan, X., Zhou, C., He, J., & Pan, D. (2022). Effect of Lentinan on Lipid Oxidation and Quality Change in Goose Meatballs during Cold Storage. Foods, 11(7), 1055. https://doi.org/10.3390/foods11071055

