Antioxidant Extracts from Greek and Spanish Olive Leaves: Antimicrobial, Anticancer and Antiangiogenic Effects
Abstract
1. Introduction
2. Materials and Methods
2.1. Plant Materials
2.2. High-Performance Liquid Chromatography-Photo Diode Array (HPLC-PDA)/Electrospray Ionization-Mass Spectrometry (ESI-MS) Identification and Quantification of Phenolic Compounds
2.3. HPLC-PDA/ESI-MS Identification and Quantification of Pentacyclic Triterpenes
2.4. Inorganic Elemental Determination of OF Extracts by the Graphite Furnace-Atomic Absorption Spectrometry (GF-AAS) Method
2.5. Thermogravimetry-Differential Scanning Calorimetry (TG-DSC) and Fourier Transform-Infrared Spectroscopy (FT-IR) Characterization Techniques
2.6. 2,2-Diphenyl-1-Picrylhydrazyl (DPPH) Assay
2.7. Electron Paramagnetic Resonance Spectroscopy Measurements
2.8. Antimicrobial Activity
2.8.1. Disk Diffusion Method
2.8.2. Determination of MIC, MBC and MFC
2.9. In Vitro Evaluation
2.9.1. Cell Culture
2.9.2. MTT Assay
2.9.3. Scratch Assay
2.10. CAM Assay
2.10.1. Irritation Evaluation by HET-CAM Assay
2.10.2. Angiogenesis Assessment Using the CAM Protocol
2.11. Statistical Analysis
3. Results
3.1. Identification and Quantification of Phenolic Compounds and Pentacyclic Triterpenes in OFS and OFG Extracts
3.2. Inorganic Elemental Content of OFS and OFG Extracts
3.3. Characterization Techniques (TG-DSC and FT-IR) of OFS and OFG Extracts
3.4. The Antioxidant Activity of OFS and OFG Extracts Using DPPH Radical Scavenging Assay
3.5. EPR Measurements of OFS and OFG Extracts
3.6. Antimicrobial Activity of OFS and OFG Extracts
3.6.1. Disk Diffusion Method
3.6.2. Determination of the Minimal Inhibitory Concentration (MIC), Minimal Bactericidal Concentration (MBC), and Minimal Fungal Concentration (MFC)
3.7. The Antiproliferative/Cytotoxic Activity of OFS and OFG Extracts
3.7.1. 3-(4,5-Dimethylthiazol-2-yl)-2,5-Diphenyltetrazolium Bromide (MTT) Assay
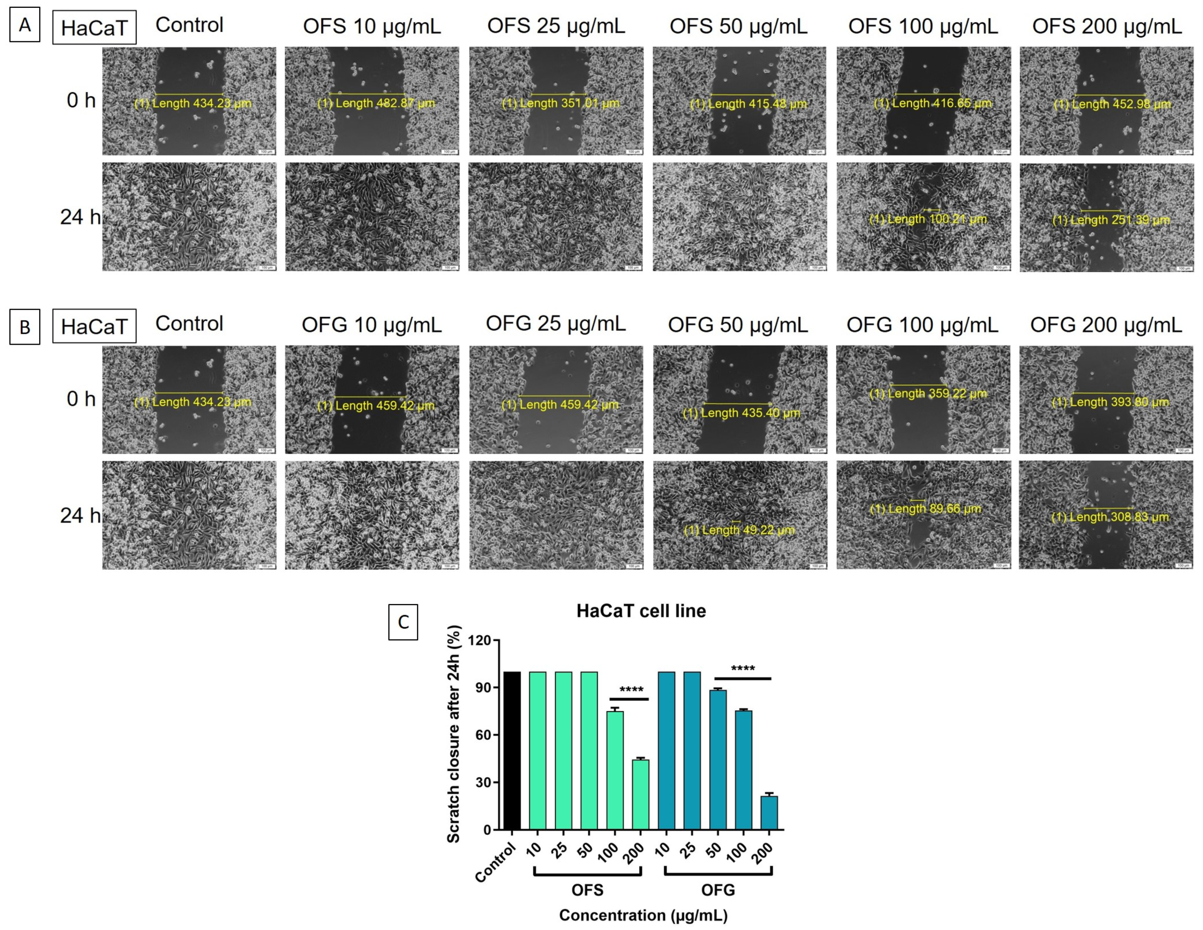
3.7.2. Scratch Assay
3.8. The Anti-Irritant Effect of OFS and OFG Extracts Using the HET-CAM Assay
3.9. Modulation of Angiogenesis by OFS and OFG Extracts Using CAM Assay
4. Discussion
5. Conclusions
Author Contributions
Funding
Institutional Review Board Statement
Informed Consent Statement
Data Availability Statement
Conflicts of Interest
References
- Choudhari, A.S.; Mandave, P.C.; Deshpande, M.; Ranjekar, P.; Prakash, O. Phytochemicals in Cancer Treatment: From Preclinical Studies to Clinical Practice. Front. Pharmacol. 2020, 10, 497776. [Google Scholar] [CrossRef] [PubMed]
- Gupta, R.; Gabrielsen, B.; Ferguson, S. Natures Medicines: Traditional Knowledge and Intellectual Property Management. Case Studies from the National Institutes of Health (NIH), USA. Curr. Drug Discov. Technol. 2005, 2, 203–219. [Google Scholar] [CrossRef][Green Version]
- Gurib-Fakim, A. Medicinal Plants: Traditions of Yesterday and Drugs of Tomorrow. Mol. Asp. Med. 2006, 27, 1–93. [Google Scholar] [CrossRef] [PubMed]
- Yuan, H.; Ma, Q.; Ye, L.; Piao, G. The Traditional Medicine and Modern Medicine from Natural Products. Molecules 2016, 21, 559. [Google Scholar] [CrossRef]
- Cragg, G.M.; Pezzuto, J.M. Natural Products as a Vital Source for the Discovery of Cancer Chemotherapeutic and Chemopreventive Agents. Med. Princ. Pract. 2016, 25, 41–59. [Google Scholar] [CrossRef] [PubMed]
- Nunes, A.R.; Vieira, Í.G.P.; Queiroz, D.B.; Leal, A.L.A.B.; Maia Morais, S.; Muniz, D.F.; Calixto-Junior, J.T.; Coutinho, H.D.M. Use of Flavonoids and Cinnamates, the Main Photoprotectors with Natural Origin. Adv. Pharmacol. Sci. 2018, 2018, 5341487. [Google Scholar] [CrossRef] [PubMed]
- Aris, M.; Barrio, M.M. Combining Immunotherapy with Oncogene-Targeted Therapy: A New Road for Melanoma Treatment. Front. Immunol. 2015, 6, 46. [Google Scholar] [CrossRef] [PubMed]
- Iwashita, K.; Kobori, M.; Yamaki, K.; Tsushida, T. Flavonoids Inhibit Cell Growth and Induce Apoptosis in B16 Melanoma 4A5 Cells. Biosci. Biotechnol. Biochem. 2000, 64, 1813–1820. [Google Scholar] [CrossRef]
- Ruan, J.S.; Liu, Y.P.; Zhang, L.; Yan, L.G.; Fan, F.T.; Shen, C.S.; Wang, A.Y.; Zheng, S.Z.; Wang, S.M.; Lu, Y. Luteolin Reduces the Invasive Potential of Malignant Melanoma Cells by Targeting Β3 Integrin and the Epithelial-Mesenchymal Transition. Acta Pharmacol. Sin. 2012, 33, 1325–1331. [Google Scholar] [CrossRef][Green Version]
- Ghitu, A.; Pavel, I.Z.; Avram, S.; Kis, B.; Minda, D.; Dehelean, C.A.; Buda, V.; Folescu, R.; Danciu, C. An in Vitro-In Vivo Evaluation of the Antiproliferative and Antiangiogenic Effect of Flavone Apigenin against SK-MEL-24 Human Melanoma Cell Line. Anal. Cell. Pathol. 2021, 2021, 5552664. [Google Scholar] [CrossRef]
- Bracci, T.; Busconi, M.; Fogher, C.; Sebastiani, L. Molecular Studies in Olive (Olea Europaea L.): Overview on DNA Markers Applications and Recent Advances in Genome Analysis. Plant Cell Rep. 2011, 30, 449–462. [Google Scholar] [CrossRef] [PubMed]
- Kaniewski, D.; Van Campo, E.; Boiy, T.; Terral, J.F.; Khadari, B.; Besnard, G. Primary Domestication and Early Uses of the Emblematic Olive Tree: Palaeobotanical, Historical and Molecular Evidence from the Middle East. Biol. Rev. 2012, 87, 885–899. [Google Scholar] [CrossRef] [PubMed]
- El, S.N.; Karakaya, S. Olive Tree (Olea Europaea) Leaves: Potential Beneficial Effects on Human Health. Nutr. Rev. 2009, 67, 632–638. [Google Scholar] [CrossRef] [PubMed]
- Benavente-García, O.; Castillo, J.; Lorente, J.; Ortuño, A.; Del Rio, J.A. Antioxidant Activity of Phenolics Extracted from Olea Europaea L. Leaves. Food Chem. 2000, 68, 457–462. [Google Scholar] [CrossRef]
- Ben Salah, M.; Abdelmelek, H. Study of Phenolic Composition and Biological Activities Assessment of Olive Leaves from Different Varieties Grown in Tunisia. Med. Chem. 2012, 2, 107–111. [Google Scholar] [CrossRef]
- Monteleone, J.I.; Sperlinga, E.; Siracusa, L.; Spagna, G.; Parafati, L.; Todaro, A.; Palmeri, R. Water as a Solvent of Election for Obtaining Oleuropein-Rich Extracts from Olive (Olea Europaea) Leaves. Agronomy 2021, 11, 465. [Google Scholar] [CrossRef]
- Vogel, P.; Machado, I.K.; Garavaglia, J.; Zani, V.T.; de Souza, D.; Dal Bosco, S.M. Polyphenols Benefits of Olive Leaf (Olea Europaea L.) to Human Health. Nutr. Hosp. 2015, 31, 1427–1433. [Google Scholar] [CrossRef]
- Martín-García, B.; De Montijo-Prieto, S.; Jiménez-Valera, M.; Carrasco-Pancorbo, A.; Ruiz-Bravo, A.; Verardo, V.; Gómez-Caravaca, A.M. Comparative Extraction of Phenolic Compounds from Olive Leaves Using a Sonotrode and an Ultrasonic Bath and the Evaluation of Both Antioxidant and Antimicrobial Activity. Antioxidants 2022, 11, 558. [Google Scholar] [CrossRef] [PubMed]
- Borjan, D.; Leitgeb, M.; Knez, Ž.; Hrnčič, M.K. Microbiological and Antioxidant Activity of Phenolic Compounds in Olive Leaf Extract. Molecules 2020, 25, 5946. [Google Scholar] [CrossRef]
- Barbaro, B.; Toietta, G.; Maggio, R.; Arciello, M.; Tarocchi, M.; Galli, A.; Balsano, C. Effects of the Olive-Derived Polyphenol Oleuropein on Human Health. Int. J. Mol. Sci. 2014, 15, 18508–18524. [Google Scholar] [CrossRef]
- Musa, M.; Bertrand, Ö. A Review: Benefit and Bioactive Properties of Olive (Olea Europaea L.) Leaves. Eur. Food Res. Technol. 2017, 243, 89–99. [Google Scholar] [CrossRef]
- Fares, R.; Bazzi, S.; Baydoun, S.E.; Abdel-Massih, R.M. The Antioxidant and Anti-Proliferative Activity of the Lebanese Olea Europaea Extract. Plant Foods Hum. Nutr. 2011, 66, 58–63. [Google Scholar] [CrossRef] [PubMed]
- Samet, I.; Han, J.; Jlaiel, L.; Sayadi, S.; Isoda, H. Olive (Olea Europaea) Leaf Extract Induces Apoptosis and Monocyte/Macrophage Differentiation in Human Chronic Myelogenous Leukemia K562 Cells: Insight into the Underlying Mechanism. Oxid. Med. Cell. Longev. 2014, 2014, 927619. [Google Scholar] [CrossRef] [PubMed]
- Isleem, R.M.; Alzaharna, M.M.; Sharif, F.A. Synergistic Anticancer Effect of Combining Metformin with Olive (Olea Europaea L.) Leaf Crude Extract on the Human Breast Cancer Cell Line MCF-7. J. Med. Plants Stud. 2020, 8, 30–37. [Google Scholar]
- Milanizadeh, S.; Reza Bigdeli, M. Pro-Apoptotic and Anti-Angiogenesis Effects of Olive Leaf Extract on Spontaneous Mouse Mammary Tumor Model by Balancing Vascular Endothelial Growth Factor and Endostatin Levels. Nutr. Cancer 2019, 71, 1374–1381. [Google Scholar] [CrossRef] [PubMed]
- Mijatovic, S.A.; Timotijevic, G.S.; Miljkovic, D.M.; Radovic, J.M.; Maksimovic-Ivanic, D.D.; Dekanski, D.P.; Grujicic, S.D. Multiple Antimelanoma Potential of Dry Olive Leaf Extract. Int. J. Cancer 2011, 128, 1955–1965. [Google Scholar] [CrossRef]
- Sánchez-Gomar, I.; Benítez-Camacho, J.; Cejudo-Bastante, C.; Casas, L.; Moreno-Luna, R.; Mantell, C.; Durán-Ruiz, M.C. Pro-Angiogenic Effects of Natural Antioxidants Extracted from Mango Leaf, Olive Leaf and Red Grape Pomace over Endothelial Colony-Forming Cells. Antioxidants 2022, 11, 851. [Google Scholar] [CrossRef] [PubMed]
- Tezcan, G.; Taskapilioglu, M.O.; Tunca, B.; Bekar, A.; Demirci, H.; Kocaeli, H.; Aksoy, S.A.; Egeli, U.; Cecener, G.; Tolunay, S. Olea Europaea Leaf Extract and Bevacizumab Synergistically Exhibit Beneficial Efficacy upon Human Glioblastoma Cancer Stem Cells through Reducing Angiogenesis and Invasion In Vitro. Biomed. Pharmacother. 2017, 90, 713–723. [Google Scholar] [CrossRef]
- Song, H.; Lim, D.Y.; Jung, J.I.; Cho, H.J.; Park, S.Y.; Kwon, G.T.; Kang, Y.H.; Lee, K.W.; Choi, M.S.; Park, J.H.Y. Dietary Oleuropein Inhibits Tumor Angiogenesis and Lymphangiogenesis in the B16F10 Melanoma Allograft Model: A Mechanism for the Suppression of High-Fat Diet-Induced Solid Tumor Growth and Lymph Node Metastasis. Oncotarget 2017, 8, 32027–32042. [Google Scholar] [CrossRef] [PubMed]
- Borugă, M.; Enătescu, V.; Pînzaru, I.; Szuhanek, C.; Minda, D.; Marcovici, I.; Radu, D.; Marți, D.; Vlaicu, B.; Suciu, O. Assessment of Olive Leaves Extract–Cytotoxicity in Vitro and Angiogenesis in Ovo. Farmacia 2021, 69, 38–43. [Google Scholar] [CrossRef]
- Nieto-Argüello, A.; Medina-Cruz, D.; Pérez-Ramírez, Y.S.; Pérez-García, S.A.; Velasco-Soto, M.A.; Jafari, Z.; De Leon, I.; González, M.U.; Huttel, Y.; Martínez, L.; et al. Composition-Dependent Cytotoxic and Antibacterial Activity of Biopolymer-Capped Ag/Au Bimetallic Nanoparticles against Melanoma and Multidrug-Resistant Pathogens. Nanomaterials 2022, 12, 779. [Google Scholar] [CrossRef] [PubMed]
- Zhang, C.; Xin, X.; Zhang, J.; Zhu, S.; Niu, E.; Zhou, Z.; Liu, D. Comparative Evaluation of the Phytochemical Profiles and Antioxidant Potentials of Olive Leaves from 32 Cultivars Grown in China. Molecules 2022, 27, 1292. [Google Scholar] [CrossRef] [PubMed]
- Breakspear, I.; Guillaume, C. A Quantitative Phytochemical Comparison of Olive Leaf Extracts on the Australian Market. Molecules 2020, 25, 4099. [Google Scholar] [CrossRef] [PubMed]
- Kabbash, E.M.; Abdel-Shakour, Z.T.; El-Ahmady, S.H.; Wink, M.; Ayoub, I.M. Comparative Metabolic Profiling of Olive Leaf Extracts from Twelve Different Cultivars Collected in Both Fruiting and Flowering Seasons. Sci. Rep. 2023, 13, 612. [Google Scholar] [CrossRef] [PubMed]
- Xie, P.; Cecchi, L.; Bellumori, M.; Balli, D.; Giovannelli, L.; Huang, L.; Mulinacci, N. Phenolic Compounds and Triterpenes in Different Olive Tissues and Olive Oil By-Products, and Cytotoxicity on Human Colorectal Cancer Cells: The Case of Frantoio, Moraiolo and Leccino Cultivars (Olea Europaea L.). Foods 2021, 10, 2823. [Google Scholar] [CrossRef] [PubMed]
- Antoniou, C.; Hull, J. The Anti-Cancer Effect of Olea Europaea L. Products: A Review. Curr. Nutr. Rep. 2021, 10, 99–124. [Google Scholar] [CrossRef] [PubMed]
- Minda, D.; Ghiulai, R.; Banciu, C.D.; Pavel, I.Z.; Danciu, C.; Racoviceanu, R.; Soica, C.; Budu, O.D.; Muntean, D.; Diaconeasa, Z.; et al. Phytochemical Profile, Antioxidant and Wound Healing Potential of Three Artemisia Species: In Vitro and In Ovo Evaluation. Appl. Sci. 2022, 12, 1359. [Google Scholar] [CrossRef]
- Santos, U.P.; Campos, J.F.; Torquato, H.F.V.; Paredes-Gamero, E.J.; Carollo, C.A.; Estevinho, L.M.; De Picoli Souza, K.; Dos Santos, E.L. Antioxidant, Antimicrobial and Cytotoxic Properties as Well as the Phenolic Content of the Extract from Hancornia Speciosa Gomes. PLoS ONE 2016, 11, e0167531. [Google Scholar] [CrossRef] [PubMed]
- Clinical and Laboratory Standards Institute. Methods for Dilution Antimicrobial Susceptibility Tests for Bacteria That Grow Aerobically; Clinical and Laboratory Standards Institute: Wayne, PA, USA, 2018. [Google Scholar]
- Arendrup, M.C.; Cuenca-Estrella, M.; Lass-Flörl, C.; Hope, W.; EUCAST-AFST. EUCAST Technical Note on the EUCAST Definitive Document EDef 7.2: Method for the Determination of Broth Dilution Minimum Inhibitory Concentrations of Antifungal Agents for Yeasts EDef 7.2 (EUCAST-AFST). Clin. Microbiol. Infect. 2012, 18, 7–8. [Google Scholar] [CrossRef]
- Danciu, C.; Bojin, F.; Ambrus, R.; Muntean, D.; Soica, C.; Paunescu, V.; Cristea, M.; Pinzaru, I.; Dehelean, C. Physico-Chemical and Biological Evaluation of Flavonols: Fisetin, Quercetin and Kaempferol Alone and Incorporated in Beta Cyclodextrins. Anticancer Agents Med. Chem. 2017, 17, 615–626. [Google Scholar]
- Buda, V.; Brezoiu, A.M.; Berger, D.; Pavel, I.Z.; Muntean, D.; Minda, D.; Dehelean, C.A.; Soica, C.; Diaconeasa, Z.; Folescu, R.; et al. Biological Evaluation of Black Chokeberry Extract Free and Embedded in Two Mesoporous Silica-Type Matrices. Pharmaceutics 2020, 12, 838. [Google Scholar] [CrossRef]
- Brezoiu, A.M.; Prundeanu, M.; Berger, D.; Deaconu, M.; Matei, C.; Oprea, O.; Vasile, E.; Negreanu-Pîrjol, T.; Muntean, D.; Danciu, C. Properties of Salvia Offcinalis L. And Thymus Serpyllum L. Extracts Free and Embedded into Mesopores of Silica and Titania Nanomaterials. Nanomaterials 2020, 10, 820. [Google Scholar] [CrossRef]
- Ghițu, A.; Schwiebs, A.; Radeke, H.H.; Avram, S.; Zupko, I.; Bor, A.; Pavel, I.Z.; Dehelean, C.A.; Oprean, C.; Bojin, F.; et al. A Comprehensive Assessment of Apigenin as an Antiproliferative, Proapoptotic, Antiangiogenic and Immunomodulatory Phytocompound. Nutrients 2019, 11, 858. [Google Scholar] [CrossRef] [PubMed]
- Ribatti, D. The Chick Embryo Chorioallantoic Membrane in the Study of Tumor Angiogenesis. Rom. J. Morphol. Embryol. 2008, 49, 131–135. [Google Scholar] [PubMed]
- Avram, Ș.; Bora, L.; Vlaia, L.L.; Muț, A.M.; Olteanu, G.E.; Olariu, I.; Magyari-Pavel, I.Z.; Minda, D.; Diaconeasa, Z.; Sfirloaga, P.; et al. Cutaneous Polymeric-Micelles-Based Hydrogel Containing Origanum Vulgare L. Essential Oil: In Vitro Release and Permeation, Angiogenesis, and Safety Profile In Ovo. Pharmaceuticals 2023, 16, 940. [Google Scholar] [CrossRef] [PubMed]
- Pavel, I.Z.; Csuk, R.; Danciu, C.; Avram, S.; Baderca, F.; Cioca, A.; Moaca, E.A.; Mihali, C.V.; Pinzaru, I.; Muntean, D.M.; et al. Assessment of the Antiangiogenic and Anti-Inflammatory Properties of a Maslinic Acid Derivative and Its Potentiation Using Zinc Chloride. Int. J. Mol. Sci. 2019, 20, 2828. [Google Scholar] [CrossRef] [PubMed]
- Macasoi, I.; Pavel, I.Z.; Moaca, A.E.; Avram, S.; David, V.L.; Coricovac, D.; Mioc, A.; Spandidos, D.A.; Tsatsakis, A.; Soica, C.; et al. Mechanistic Investigations of Antitumor Activity of a Rhodamine B-oleanolic Acid Derivative Bioconjugate. Oncol. Rep. 2020, 44, 1169–1183. [Google Scholar] [CrossRef]
- Interagency Coordinating Committee on the Validation of Alternative Methods (ICCVAM), ICCVAM-Recommended Test Method Protocol: Hen’s Egg Test-Chorioallantoic Membrane (HET-CAM) Test Method. NIH Publ. No. 10-7553–Publ. 2010. Available online: https://ntp.niehs.nih.gov/sites/default/files/iccvam/docs/ocutox_docs/invitro-2010/tmer-vol1.pdf (accessed on 12 February 2024).
- Luepke, N.P. Hen’s Egg Chorioallantoic Membrane Test for Irritation Potential. Food Chem. Toxicol. 1985, 23, 287–291. [Google Scholar] [CrossRef] [PubMed]
- Ghiulai, R.; Avram, S.; Stoian, D.; Pavel, I.Z.; Coricovac, D.; Oprean, C.; Vlase, L.; Farcas, C.; Mioc, M.; Minda, D.; et al. Lemon Balm Extracts Prevent Breast Cancer Progression In Vitro and In Ovo on Chorioallantoic Membrane Assay. Evid. Based Complement. Alternat. Med. 2020, 2020, 6489159. [Google Scholar] [CrossRef] [PubMed]
- EMA, ICH Q3D Elemental Impurities. Available online: https://www.ema.europa.eu/en/documents/scientific-guideline/international-conference-harmonisation-technical-requirements-registration-pharmaceuticals-human-use-ich-q3d-elemental-impurities-step-5-revision-1_en.pdf (accessed on 25 January 2024).
- Artwell, K.; France, N.; Florence, K. Investigation of Some Metals in Leaves and Leaf Extracts of Lippia Javanica: Its Daily Intake. J. Environ. Public Health 2017, 2017, 1476328. [Google Scholar] [CrossRef]
- Maares, M.; Haase, H. A Guide to Human Zinc Absorption: General Overview and Recent Advances of in Vitro Intestinal Models. Nutrients 2020, 12, 762. [Google Scholar] [CrossRef] [PubMed]
- Silvan, J.M.; Guerrero-Hurtado, E.; Gutiérrez-Docio, A.; Alarcón-Cavero, T.; Prodanov, M.; Martinez-Rodriguez, A.J. Olive-Leaf Extracts Modulate Inflammation and Oxidative Stress Associated with Human H. Pylori Infection. Antioxidants 2021, 10, 2030. [Google Scholar] [CrossRef] [PubMed]
- Duque-Soto, C.; Quirantes-Piné, R.; Borrás-Linares, I.; Segura-Carretero, A.; Lozano-Sánchez, J. Characterization and Influence of Static In Vitro Digestion on Bioaccessibility of Bioactive Polyphenols from an Olive Leaf Extract. Foods 2022, 11, 743. [Google Scholar] [CrossRef] [PubMed]
- Zaïri, A.; Nouir, S.; Zarrouk, A.; Haddad, H.; Khelifa, A.; Achour, L. Phytochemical Profile, Cytotoxic, Antioxidant, and Allelopathic Potentials of Aqueous Leaf Extracts of Olea Europaea. Food Sci. Nutr. 2020, 8, 4805–4813. [Google Scholar] [CrossRef] [PubMed]
- Ben-Amor, I.; Musarra-Pizzo, M.; Smeriglio, A.; D’arrigo, M.; Pennisi, R.; Attia, H.; Gargouri, B.; Trombetta, D.; Mandalari, G.; Sciortino, M.T. Phytochemical Characterization of Olea Europea Leaf Extracts and Assessment of Their Anti-Microbial and Anti-Hsv-1 Activity. Viruses 2021, 13, 1085. [Google Scholar] [CrossRef] [PubMed]
- Lins, P.G.; Marina Piccoli Pugine, S.; Scatolini, A.M.; de Melo, M.P. In Vitro Antioxidant Activity of Olive Leaf Extract (Olea Europaea L.) and Its Protective Effect on Oxidative Damage in Human Erythrocytes. Heliyon 2018, 4, 1–26. [Google Scholar] [CrossRef] [PubMed]
- Pereira, A.P.; Ferreira, I.C.F.R.; Marcelino, F.; Valentão, P.; Andrade, P.B.; Seabra, R.; Estevinho, L.; Bento, A.; Pereira, J.A. Phenolic Compounds and Antimicrobial Activity of Olive (Olea Europaea L. Cv. Cobrançosa) Leaves. Molecules 2007, 12, 1153–1162. [Google Scholar] [CrossRef]
- Hayes, J.E.; Allen, P.; Brunton, N.; O’Grady, M.N.; Kerry, J.P. Phenolic Composition and in Vitro Antioxidant Capacity of Four Commercial Phytochemical Products: Olive Leaf Extract (Olea Europaea L.), Lutein, Sesamol and Ellagic Acid. Food Chem. 2011, 126, 948–955. [Google Scholar] [CrossRef]
- Muzzalupo, I.; Badolati, G.; Chiappetta, A.; Picci, N.; Muzzalupo, R. In Vitro Antifungal Activity of Olive (Olea Europaea) Leaf Extracts Loaded in Chitosan Nanoparticles. Front. Bioeng. Biotechnol. 2020, 8, 151. [Google Scholar] [CrossRef]
- De la Ossa, J.G.; Fusco, A.; Azimi, B.; Salsano, J.E.; Digiacomo, M.; Coltelli, M.B.; De Clerck, K.; Roy, I.; Macchia, M.; Lazzeri, A.; et al. Immunomodulatory Activity of Electrospun Polyhydroxyalkanoate Fiber Scaffolds Incorporating Olive Leaf Extract. Appl. Sci. 2021, 11, 4006. [Google Scholar] [CrossRef]
- Sánchez-Quesada, C.; López-Biedma, A.; Warleta, F.; Campos, M.; Beltrán, G.; Gaforio, J.J. Bioactive Properties of the Main Triterpenes Found in Olives, Virgin Olive Oil, and Leaves of Olea Europaea. J. Agric. Food Chem. 2013, 61, 12173–12182. [Google Scholar] [CrossRef] [PubMed]
- Rufino-Palomares, E.E.; Pérez-Jiménez, A.; García-Salguero, L.; Mokhtari, K.; Reyes-Zurita, F.J.; Peragón-Sánchez, J.; Lupiáñez, J.A. Nutraceutical Role of Polyphenols and Triterpenes Present in the Extracts of Fruits and Leaves of Olea Europaea as Antioxidants, Anti-Infectives and Anticancer Agents on Healthy Growth. Molecules 2022, 27, 2341. [Google Scholar] [CrossRef] [PubMed]
- Somova, L.I.; Shode, F.O.; Ramnanan, P.; Nadar, A. Antihypertensive, Antiatherosclerotic and Antioxidant Activity of Triterpenoids Isolated from Olea Europaea, Subspecies Africana Leaves. J. Ethnopharmacol. 2003, 84, 299–305. [Google Scholar] [CrossRef] [PubMed]
- Duquesnoy, E.; Castola, V.; Casanova, J. Triterpenes in the Hexane Extract of Leaves of Olea Europaea L.: Analysis Using 13C-NMR Spectroscopy. Phytochem. Anal. 2007, 18, 347–353. [Google Scholar] [CrossRef] [PubMed]
- Taamalli, A.; Sánchez, J.L.; Jebabli, H.; Trabelsi, N.; Abaza, L.; Carretero, A.S.; Cho, J.Y.; Román, D.A. Monitoring the Bioactive Compounds Status in Olea Europaea According to Collecting Period and Drying Conditions. Energies 2019, 12, 947. [Google Scholar] [CrossRef]
- Sellami, H.; Khan, S.A.; Ahmad, I.; Alarfaj, A.A.; Hirad, A.H.; Al-Sabri, A.E. Green Synthesis of Silver Nanoparticles Using Olea Europaea Leaf Extract for Their Enhanced Antibacterial, Antioxidant, Cytotoxic and Biocompatibility Applications. Int. J. Mol. Sci. 2021, 22, 2562. [Google Scholar] [CrossRef] [PubMed]
- Ayoub, L.; Hassan, F.; Hamid, S.; Abdelhamid, Z.; Souad, A. Phytochemical Screening, Antioxidant Activity and Inhibitory Potential of Ficus Carica and Olea Europaea Leaves. Bioinformation 2019, 15, 226–232. [Google Scholar] [CrossRef] [PubMed]
- Xie, P.; Huang, L.; Zhang, C.; Zhang, Y. Phenolic Compositions, and Antioxidant Performance of Olive Leaf and Fruit (Olea Europaea L.) Extracts and Their Structure-Activity Relationships. J. Funct. Foods 2015, 16, 460–471. [Google Scholar] [CrossRef]
- Koca, U.; Suntar, I.; Akkol, E.K.; Yilmazer, D.; Alper, M. Wound Repair Potential of Olea Europaea L. Leaf Extracts Revealed by In Vivo Experimental Models and Comparative Evaluation of the Extracts’ Antioxidant Activity. J. Med. Food 2011, 14, 140–146. [Google Scholar] [CrossRef]
- Lukić, I.; Pasković, I.; Žurga, P.; Germek, V.M.; Brkljača, M.; Marcelić, Š.; Ban, D.; Grozić, K.; Lukić, M.; Užila, Z.; et al. Determination of the Variability of Biophenols and Mineral Nutrients in Olive Leaves with Respect to Cultivar, Collection Period and Geographical Location for Their Targeted and Well-Timed Exploitation. Plants 2020, 9, 1667. [Google Scholar] [CrossRef]
- Turan, D.; Kocahakimoglu, C.; Kavcar, P.; Gaygisiz, H.; Atatanir, L.; Turgut, C.; Sofuoglu, S.C. The Use of Olive Tree (Olea Europaea L.) Leaves as a Bioindicator for Environmental Pollution in the Province of Aydın, Turkey. Environ. Sci. Pollut. Res. 2011, 18, 355–364. [Google Scholar] [CrossRef]
- Guarino, F.; Improta, G.; Triassi, M.; Castiglione, S.; Cicatelli, A. Air Quality Biomonitoring through Olea Europaea L.: The Study Case of “Land of Pyres”. Chemosphere 2021, 282, 131052. [Google Scholar] [CrossRef] [PubMed]
- Pucci, E.; Palumbo, D.; Puiu, A.; Lai, A.; Fiorani, L.; Zoani, C. Characterization and Discrimination of Italian Olive (Olea Europaea Sativa) Cultivars by Production Area Using Different Analytical Methods Combined with Chemometric Analysis. Foods 2022, 11, 1085. [Google Scholar] [CrossRef] [PubMed]
- Haidu, D.; Párkányi, D.; Moldovan, R.I.; Savii, C.; Pinzaru, I.; Dehelean, C.; Kurunczi, L. Elemental Characterization of Romanian Crop Medicinal Plants by Neutron Activation Analysis. J. Anal. Methods Chem. 2017, 2017, 9748413. [Google Scholar] [CrossRef] [PubMed]
- Kis, B.; Pavel, I.Z.; Haidu, D.; Ștefănuț, M.N.; Diaconeasa, Z.; Moacă, E.A.; Dehelean, C.A.; Șipos, S.; Ivan, A.; Danciu, C. Inorganic Element Determination of Romanian Populus Nigra L. Buds Extract and In Vitro Antiproliferative and pro-Apoptotic Evaluation on A549 Human Lung Cancer Cell Line. Pharmaceutics 2021, 13, 986. [Google Scholar] [CrossRef] [PubMed]
- Nedjimi, B. Measurement of Selected Trace Elements in Olea Europaea L. cv. ‘Sigoise’. J. Trace Elem. Med. Biol. 2020, 62, 126595. [Google Scholar] [CrossRef]
- Fedenko, V.S.; Landi, M.; Shemet, S.A. Metallophenolomics: A Novel Integrated Approach to Study Complexation of Plant Phenolics with Metal/Metalloid Ions. Int. J. Mol. Sci. 2022, 23, 1370. [Google Scholar] [CrossRef] [PubMed]
- Kitsati, N.; Mantzaris, M.D.; Galaris, D. Hydroxytyrosol Inhibits Hydrogen Peroxide-Induced Apoptotic Signaling via Labile Iron Chelation. Redox Biol. 2016, 10, 233–242. [Google Scholar] [CrossRef] [PubMed]
- Xu, D.; Hu, M.J.; Wang, Y.Q.; Cui, Y.L. Antioxidant Activities of Quercetin and Its Complexes for Medicinal Application. Molecules 2019, 24, 1123. [Google Scholar] [CrossRef]
- Kasprzak, M.M.; Erxleben, A.; Ochocki, J. Properties and Applications of Flavonoid Metal Complexes. RSC Adv. 2015, 5, 45853–45877. [Google Scholar] [CrossRef]
- Rodríguez-Arce, E.; Saldías, M. Antioxidant Properties of Flavonoid Metal Complexes and Their Potential Inclusion in the Development of Novel Strategies for the Treatment against Neurodegenerative Diseases. Biomed. Pharmacother. 2021, 143, 112236. [Google Scholar] [CrossRef]
- WHO Guidelines for Assessing Quality of Herbal Medicines with Reference to Contaminants and Residues. Available online: https://www.who.int/publications/i/item/9789241594448 (accessed on 5 February 2024).
- Afify, A.E.M.M.R.; El-Beltagi, H.S.; Fayed, S.A.; El-Ansary, A.E. Hypoglycemic and Iron Status Ameliorative Effects of Olea Europea Cv.’picual’ Leaves Extract in Streptozotocin Induced Diabetic Rats. Fresen. Environ. Bull. 2017, 26, 6898–6908. [Google Scholar]
- Zhao, J.; Kondo, S.; Suidasari, S.; Yokozawa, M.; Yamauchi, K.; Ferdousi, F.; Isoda, H. Study of Therapeutic Effects of Olive Leaf Extract on Phenylhydrazine-Induced Anemia Mice Model. Blood 2021, 138, 935. [Google Scholar] [CrossRef]
- Tietz, T.; Lenzner, A.; Kolbaum, A.E.; Zellmer, S.; Riebeling, C.; Gürtler, R.; Jung, C.; Kappenstein, O.; Tentschert, J.; Giulbudagian, M.; et al. Aggregated Aluminium Exposure: Risk Assessment for the General Population. Arch. Toxicol. 2019, 93, 3503–3521. [Google Scholar] [CrossRef] [PubMed]
- Fu, Z.; Jiang, X.; Li, W.W.; Shi, Y.; Lai, S.; Zhuang, J.; Yao, S.; Liu, Y.; Hu, J.; Gao, L.; et al. Proanthocyanidin-Aluminum Complexes Improve Aluminum Resistance and Detoxification of Camellia Sinensis. J. Agric. Food Chem. 2020, 68, 7861–7869. [Google Scholar] [CrossRef]
- Moudache, M.; Silva, F.; Nerín, C.; Zaidi, F. Olive Cake and Leaf Extracts as Valuable Sources of Antioxidant and Antimicrobial Compounds: A Comparative Study. Waste Biomass Valor 2021, 12, 1431–1445. [Google Scholar] [CrossRef]
- Sánchez-Gutiérrez, M.; Bascón-Villegas, I.; Rodríguez, A.; Pérez-Rodríguez, F.; Fernández-Prior, Á.; Rosal, A.; Carrasco, E. Valorisation of Olea Europaea L. Olive Leaves through the Evaluation of Their Extracts: Antioxidant and Antimicrobial Activity. Foods 2021, 10, 966. [Google Scholar] [CrossRef] [PubMed]
- Liu, Y.; McKeever, L.C.; Malik, N.S.A. Assessment of the Antimicrobial Activity of Olive Leaf Extract against Foodborne Bacterial Pathogens. Front. Microbiol. 2017, 8, 113. [Google Scholar] [CrossRef] [PubMed]
- Erdohan, Z.; Turhan, K. Olive Leaf Extract and Usage for Development of Antimicrobial Food Packaging. In Science against Microbial Pathogens: Communicating Current Research and Technological Advances; Formatex: Norristown, PA, USA, 2011; pp. 1094–1101. [Google Scholar]
- Korukluoglu, M.; Sahan, Y.; Yigit, A.; Ozer, E.T.; GÜCer, S. Antibacterial Activity and Chemical Constitutions of Olea Europaea l. Leaf Extracts. J. Food Process. Preserv. 2010, 34, 383–396. [Google Scholar] [CrossRef]
- Keskin, D.; Ceyhan, N.; Uǧur, A.; Dbeys, A.D. Antimicrobial Activity and Chemical Constitutions of West Anatolian Olive (Olea Europaea L.) Leaves. J. Food Agric. Environ. 2012, 10, 99–102. [Google Scholar]
- Zorić, N.; Kopjar, N.; Bobnjarić, I.; Horvat, I.; Tomić, S.; Kosalec, I. Antifungal Activity of Oleuropein against Candida Albicans-the in Vitro Study. Molecules 2016, 21, 1631. [Google Scholar] [CrossRef] [PubMed]
- Khemakhem, I.; Abdelhedi, O.; Trigui, I.; Ayadi, M.A.; Bouaziz, M. Structural, Antioxidant and Antibacterial Activities of Polysaccharides Extracted from Olive Leaves. Int. J. Biol. Macromol. 2018, 106, 425–432. [Google Scholar] [CrossRef] [PubMed]
- Ruzzolini, J.; Peppicelli, S.; Bianchini, F.; Andreucci, E.; Urciuoli, S.; Romani, A.; Tortora, K.; Caderni, G.; Nediani, C.; Calorini, L. Cancer Glycolytic Dependence as a New Target of Olive Leaf Extract. Cancers 2020, 12, 317. [Google Scholar] [CrossRef] [PubMed]
- Ruzzolini, J.; Peppicelli, S.; Andreucci, E.; Bianchini, F.; Scardigli, A.; Romani, A.; La Marca, G.; Nediani, C.; Calorini, L. Oleuropein, the Main Polyphenol of Olea Europaea Leaf Extract, Has an Anti-Cancer Effect on Human BRAF Melanoma Cells and Potentiates the Cytotoxicity of Current Chemotherapies. Nutrients 2018, 10, 1950. [Google Scholar] [CrossRef]
- Cicco, P.D.; Ercolano, G.; Tenore, G.C.; Ianaro, A. Olive Leaf Extract Inhibits Metastatic Melanoma Spread through Suppression of Epithelial to Mesenchymal Transition. Phyther. Res. 2022, 36, 4002–4013. [Google Scholar] [CrossRef] [PubMed]
- Cádiz-Gurrea, M.d.l.L.; Pinto, D.; Delerue-Matos, C.; Rodrigues, F. Olive Fruit and Leaf Wastes as Bioactive Ingredients for Cosmetics—A Preliminary Study. Antioxidants 2021, 10, 245. [Google Scholar] [CrossRef] [PubMed]
- Machała, P.; Liudvytska, O.; Kicel, A.; Dziedzic, A.; Olszewska, M.A.; Zbikowska, H.M. Valorization of the Photo-Protective Potential of the Phytochemically Standardized Olive (Olea Europaea L.) Leaf Extract in UVA-Irradiated Human Skin Fibroblasts. Molecules 2022, 27, 5144. [Google Scholar] [CrossRef] [PubMed]
- Morandi, F.; Bensa, V.; Calarco, E.; Pastorino, F.; Perri, P.; Corrias, M.V.; Ponzoni, M.; Brignole, C. The Olive Leaves Extract Has Anti-tumor Effects against Neuroblastoma through Inhibition of Cell Proliferation and Induction of Apoptosis. Nutrients 2021, 13, 2178. [Google Scholar] [CrossRef]
- George, V.C.; Kumar, N.; Suresh, P.K.; Kumar, R.A. Apoptosis-Induced Cell Death Due to Oleanolic Acid in HaCaT Keratinocyte Cells -a Proof-of-Principle Approach for Chemopreventive Drug Development. Asian Pac. J. Cancer Prev. 2015, 13, 2015–2020. [Google Scholar] [CrossRef]













| No | Metal | Wave, λ (nm) | Lower Limit (μg/L) | Upper Limit (μg/L) | Calibration Curve | R2 |
|---|---|---|---|---|---|---|
| 1 | Pb | 283.3 | 7.4 | 37 | y = 0.001778 + 0.003524x | 0.9994 |
| 2 | As | 193.7 | 13.2 | 58.1 | y = 0.00185 + 0.001544x | 0.9927 |
| 3 | Co | 240.7 | 5.4 | 29.4 | y = 0.008353 + 0.010864x | 0.9929 |
| 4 | Cd | 228.8 | 0.1 | 2.2 | y = 0.004734 + 0.071971x | 0.9923 |
| 5 | Ni | 232 | 4.2 | 34.6 | y = 0.033774 + 0.011603x | 0.9967 |
| 6 | Mn | 297.5 | 0.84 | 4,2 | y = 0.007792 + 0.112496x | 0.9925 |
| 7 | Zn | 213.9 | 1 | 8 | y = 0.071658 + 0.092202x | 0.9827 |
| 8 | Cu | 324.8 | 3.6 | 18 | y = 0.020731 + 0.016628x | 0.9961 |
| 9 | Cr | 357.9 | 5 | 22 | y = 0.018371 + 0.018435x | 0.9961 |
| 10 | Fe | 248.3 | 3.6 | 14.4 | y = 0.02274 + 0.013974 | 0.9939 |
| 11 | Al | 309.3 | 13.2 | 58.2 | y = 0.006978 + 0.00175x | 0.9971 |
| Subclass | Peak No. | Rt (min) | [M + H]+ (m/z) | UV λmax (nm) | Compound | OFS | OFG |
|---|---|---|---|---|---|---|---|
| Concentration (μg/mg) | |||||||
| Tyrosol | 1 | 3.05 | 181 | 274 | Tyrosol acetate | 1.586 | 3.185 |
| Tyrosol | 2 | 9.68 | 139 | 280 | Tyrosol | 1.132 | 0.682 |
| Tyrosol | 3 | 15.45 | 625 | 349.250 | Verbascoside | 5.537 | 8.877 |
| Tyrosol | 4 | 15.75 | 527 | 295 | Demethyloleuropein | 5.069 | 5.271 |
| Flavone | 5 | 16.08 | 449 | 350.249 | Luteolin 6-C-glucoside | 8.915 | 20.246 |
| Tyrosol | 6 | 16.64 | 525 | 320.240 | Lingstroside | 2.014 | 4.354 |
| Flavone | 7 | 17.54 | 449 | 350.249 | Luteolin 7-O-glucoside | 10.171 | 20.959 |
| Flavone | 8 | 17.82 | 463 | 350.250 | Luteolin-glucuronide | 2.821 | 8.437 |
| Tyrosol | 9 | 18.49 | 541 | 281 | Oleuropein | 13.220 | 17.446 |
| Tyrosol | 10 | 19.05 | 379 | 280 | Oleuropein aglicone | 4.890 | 5.257 |
| Flavone | 11 | 21.32 | 287 | 350.249 | Luteolin | 1.379 | 4.513 |
| Total | 56.733 | 99.228 | |||||
| Peak No. | Rt (min) | [M + H]+ (m/z) | Compound | OFS | OFG |
|---|---|---|---|---|---|
| Concentration (μg/mg) | |||||
| 1 | 6.03 | 471 | Maslinic acid | 15.873 | 33.813 |
| 2 | 7.73 | 441 | Betulin | 0.956 | 1.309 |
| 3 | 8.81 | 455 | Oleanolic acid | 31.190 | 60.532 |
| 4 | 9.08 | 455 | Ursolic acid | 9.066 | 16.093 |
| Total | 57.085 | 111.747 | |||
| Element/Sample | OFG | OFS | Element Concentration Ratio OFG/OFS | Reference | ||
|---|---|---|---|---|---|---|
| Mean | SD | Mean | SD | |||
| Cd | udl | na | 0.0126 | 0.0015 | na | 0.5 [52] (a) |
| Ni | 0.462 | 0.004 | 1.766 | 0.312 | 0.26 | 20 [52] (a) |
| Mn | 0.933 | 0.044 | 1.478 | 0.072 | 0.63 | 11,000 [53] (b) |
| Zn | 1.714 | 0.084 | 6.500 | 0.338 | 0.26 | 7200 [54] (c) |
| Cu | 2.257 | 0.091 | 23.636 | 0.290 | 0.1 | 300 [52] (a) |
| Cr | 7.833 | 0.146 | 10.341 | 1.018 | 0.76 | 1100 [52] (a) |
| Fe | 51.414 | 0.307 | 69.398 | 5.003 | 0.74 | 45,000 [53] (b) |
| Al | 3130.392 | 88.937 | 5836.321 | 233.660 | 0.54 | 2000 µg/kg bw (d) |
| Disk Diffusion Inhibition Zones (mm) | ||||||||||||||||
|---|---|---|---|---|---|---|---|---|---|---|---|---|---|---|---|---|
| Streptococcus pyogenes | Staphylococcus aureus | Enterococcus faecalis | Escherichia coli | Salmonella enterica sv Typhimurium | Pseudononas aeruginosa | Candida albicans | Candida parapsilosis | |||||||||
| Concentration (mg/mL) | OFS | OFG | OFS | OFG | OFS | OFG | OFS | OFG | OFS | OFG | OFS | OFG | OFS | OFG | OFS | OFG |
| 50 | 27 | 25 | 24 | 22 | 22 | 20 | 20 | 20 | 20 | 19 | 19 | 17 | 22 | 21 | 21 | 21 |
| 25 | 24 | 22 | 21 | 19 | 19 | 18 | 12 | 10 | 10 | 10 | 10 | 9 | 19 | 17 | 18 | 16 |
| 5 | 15 | 14 | 12 | 10 | 10 | 9 | 10 | 8 | 7 | 7 | 7 | 7 | 10 | 8 | 10 | 9 |
| 1 | 10 | 8 | 9 | 7 | 8 | 7 | 8 | 8 | 7 | 7 | 7 | 7 | 8 | 8 | 7 | 7 |
| 0.5 | 7 | 7 | 7 | 7 | 7 | 7 | 7 | 7 | 7 | 7 | 7 | 7 | 7 | 7 | 7 | 7 |
| LEV/FCZ | 26 | 26 | 28 | 28 | 25 | 25 | 28 | 28 | 28 | 28 | 26 | 26 | 22 | 22 | 21 | 21 |
| Microbial Strains | OFS | OFG | ||
|---|---|---|---|---|
| MIC (mg/mL) | MBC/MFC (mg/mL) | MIC (mg/mL) | MBC/MFC (mg/mL) | |
| S. pyogenes | 12.5 12.5 | 12.5 12.5 | 12.5 12.5 | 12.5 12.5 |
| S. aureus | 25 25 | 25 25 | 25 25 | 25 25 |
| E. faecalis | 25 25 | 25 25 | 25 25 | 25 25 |
| E. coli | 50 50 | 50 50 | 50 50 | 50 50 |
| S. enterica serovar Typhimurium | 50 50 | 50 50 | 50 50 | 50 50 |
| P. aeruginosa | 50 50 | 50 50 | 50 50 | 50 50 |
| C. albicans | 25 25 | 25 25 | 25 25 | 25 25 |
| C. parapsilosis | 25 25 | 25 25 | 25 25 | 25 25 |
| Test Compound and Controls | Irritation Score | Type of Effect |
|---|---|---|
| SLS 0.5% | 16.43 | strong irritant |
| OFS 100 µg/mL | 0 | non-irritant |
| OFG 100 µg/mL | 0 | non-irritant |
Disclaimer/Publisher’s Note: The statements, opinions and data contained in all publications are solely those of the individual author(s) and contributor(s) and not of MDPI and/or the editor(s). MDPI and/or the editor(s) disclaim responsibility for any injury to people or property resulting from any ideas, methods, instructions or products referred to in the content. |
© 2024 by the authors. Licensee MDPI, Basel, Switzerland. This article is an open access article distributed under the terms and conditions of the Creative Commons Attribution (CC BY) license (https://creativecommons.org/licenses/by/4.0/).
Share and Cite
Magyari-Pavel, I.Z.; Moacă, E.-A.; Avram, Ș.; Diaconeasa, Z.; Haidu, D.; Ștefănuț, M.N.; Rostas, A.M.; Muntean, D.; Bora, L.; Badescu, B.; et al. Antioxidant Extracts from Greek and Spanish Olive Leaves: Antimicrobial, Anticancer and Antiangiogenic Effects. Antioxidants 2024, 13, 774. https://doi.org/10.3390/antiox13070774
Magyari-Pavel IZ, Moacă E-A, Avram Ș, Diaconeasa Z, Haidu D, Ștefănuț MN, Rostas AM, Muntean D, Bora L, Badescu B, et al. Antioxidant Extracts from Greek and Spanish Olive Leaves: Antimicrobial, Anticancer and Antiangiogenic Effects. Antioxidants. 2024; 13(7):774. https://doi.org/10.3390/antiox13070774
Chicago/Turabian StyleMagyari-Pavel, Ioana Zinuca, Elena-Alina Moacă, Ștefana Avram, Zorița Diaconeasa, Daniela Haidu, Mariana Nela Ștefănuț, Arpad Mihai Rostas, Delia Muntean, Larisa Bora, Bianca Badescu, and et al. 2024. "Antioxidant Extracts from Greek and Spanish Olive Leaves: Antimicrobial, Anticancer and Antiangiogenic Effects" Antioxidants 13, no. 7: 774. https://doi.org/10.3390/antiox13070774
APA StyleMagyari-Pavel, I. Z., Moacă, E.-A., Avram, Ș., Diaconeasa, Z., Haidu, D., Ștefănuț, M. N., Rostas, A. M., Muntean, D., Bora, L., Badescu, B., Iuhas, C., Dehelean, C. A., & Danciu, C. (2024). Antioxidant Extracts from Greek and Spanish Olive Leaves: Antimicrobial, Anticancer and Antiangiogenic Effects. Antioxidants, 13(7), 774. https://doi.org/10.3390/antiox13070774

