Next Article in Journal
Sustainable Architecture Principles in Sports Facilities: A Case Study in the Karkonosze Mountains
Next Article in Special Issue
Evolution Analysis of Soil-Arching Effect and Calculation of Pile–Soil Stress Ratio of Bidirectionally Reinforced Composite Foundation
Previous Article in Journal
The Electricity Load Prediction Model for Residential Buildings: A Critical Review of Output Types, Prediction Methods and Driving Factors
Previous Article in Special Issue
Shear Behavior of High-Strength and Lightweight Cementitious Composites Containing Hollow Glass Microspheres and Carbon Nanotubes
 
 
Font Type:
Arial Georgia Verdana
Font Size:
Aa Aa Aa
Line Spacing:
Column Width:
Background:
Article

Assessment of Precast Concrete Deterioration in Marine Environments Using Non-Destructive Methods

by
Tarek Ibrahim Selouma
1,
Walid Fouad Edris
1,2,
Abd Al-Kader A. Al Sayed
1,*,
Rashid Al-Marri
3 and
Mostafa Shaaban
1
1
Department of Civil Engineering, Giza Engineering Institute, Giza P.O. Box 3387722, Egypt
2
Department of Civil and Environmental Engineering, College of Engineering & Design, Kingdom University, Riffa P.O. Box 40434, Bahrain
3
Department of Mechanical and Industrial Engineering, Qatar University, Doha P.O. Box 2713, Qatar
*
Author to whom correspondence should be addressed.
Buildings 2025, 15(6), 926; https://doi.org/10.3390/buildings15060926
Submission received: 20 February 2025 / Revised: 4 March 2025 / Accepted: 11 March 2025 / Published: 15 March 2025
(This article belongs to the Special Issue Study on the Durability of Construction Materials and Structures)

Abstract

Concrete structures in marine environments face significant degradation due to reinforcement corrosion caused by chloride ingress and sulfate attack. Poor construction quality, inadequate standards, and suboptimal design can further accelerate deterioration. Non-destructive testing (NDT) has proven valuable for durability assessment, yet its application remains limited due to the complex microstructural characteristics of concrete. This study establishes a comprehensive procedure for evaluating precast concrete degradation in marine environments using multiple characterization techniques. Two precast concrete elements with different cement types, CEM II A-L 42.5R and CEM I 42.5 R/SR, were analyzed through compressive strength tests, open porosity measurements, mercury intrusion porosimetry (MIP), ultrasonic wave transmission, and scanning electron microscopy (SEM). The results indicate that CEM I 42.5 R/SR exhibits superior compressive strength and lower porosity, making it more durable and suitable for load-bearing applications. Higher ultrasonic pulse velocity (UPV) further confirms its resilience. In contrast, CEM II A-L 42.5R shows lower mechanical performance and greater susceptibility to marine-induced degradation. Over time, pore size distribution shifts, potentially compromising mechanical integrity. SEM analysis reveals gypsum and brucite formation in degraded regions, demonstrating microstructural changes due to seawater exposure. A strong negative correlation between porosity and UPV underscores the detrimental effect of increased porosity on material density and structural stability. This study highlights the effectiveness of UPV and porosity analysis as reliable NDT techniques for assessing concrete deterioration. The strong correlation between UPV and porosity trends suggests that UPV serves as an early indicator of durability loss, enabling timely maintenance interventions. These findings provide valuable insights into material selection for enhanced structural performance in marine environments and emphasize the role of NDT in long-term structural health monitoring.

1. Introduction

Concrete is the most widely used construction material globally, valued for its versatility, strength, and relatively low cost. Its applications span from residential buildings to large-scale infrastructure, including structures exposed to harsh environments such as in marine settings. However, despite its widespread use, concrete is inherently vulnerable to degradation, particularly in aggressive environments like seawater. Marine environments pose significant risks to concrete durability due to the presence of aggressive ions, notably chlorides, sulfates, and magnesium, which initiate chemical reactions that deteriorate both the concrete matrix and embedded steel reinforcements [1,2,3]. Chloride ions infiltrate concrete, leading to the de-passivation and corrosion of steel reinforcements, while sulfate ions induce expansion and cracking through ettringite formation, which enhances permeability and accelerates chloride penetration. M. Amran et al. [1] demonstrated that sulfate-induced cracking significantly increases chloride ingress, thereby accelerating steel corrosion and contributing to the premature failure of offshore RC structures. External sulfate attack is a degradation mechanism that threatens the durability of concrete elements exposed to sulfate-rich environments. Although there is some debate regarding the specific mechanisms involved, in this study, it is defined as degradation arising from chemical reactions induced by sulfate ingress, leading to the formation of expansive products and the dissolution of calcium-bearing phases. These chemical processes can result in cracking, a gradual loss of strength and stiffness, overall expansion, and mechanical failure, affecting both the sulfate-exposed region and surrounding areas [4,5,6]. This degradation is compounded by physical sulfate attack, where salts crystallize within the concrete, further promoting cracking [7,8,9]. The durability of concrete in marine environments is primarily affected by two factors: the corrosion of reinforcement and chemical attack on the cementitious matrix. Corrosion caused by chloride-induced de-passivation of steel reinforcement, combined with sulfate reactions that promote cracking, compromises the structural integrity of concrete, making it more susceptible to degradation [10,11].
Additionally, in regions subject to fluctuating temperatures, freeze–thaw cycles can exacerbate the degradation process by inducing physical stresses within the concrete [1,2]. Research has highlighted the importance of reducing concrete permeability and porosity to mitigate these issues. High permeability allows for the easier ingress of seawater and harmful ions, accelerating the deterioration process. The use of supplementary cementitious materials (SCMs), such as silica fume, fly ash, and slag, has been shown to significantly enhance concrete’s durability by refining its microstructure, reducing large capillary pores, and lowering permeability [3,12,13]. This, in turn, reduces chloride penetration and expansion caused by sulfate attacks, ultimately extending the lifespan of concrete in marine environments [1,4,14]. Recent advancements in sulfate-resistant concrete mixtures emphasize both physical and chemical approaches to address sulfate attack. Reducing the water–cement ratio (w/c), utilizing low-C3A cement types, and incorporating SCMs have been found to be effective in lowering the porosity of concrete and limiting sulfate penetration [15,16,17]. Carbonation curing techniques and recycled aggregate usage have further enhanced resistance to sulfate attack by creating denser microstructures [18,19,20]. Non-destructive testing (NDT) techniques have emerged as valuable tools for assessing the integrity and durability of concrete structures in aggressive marine environments without causing damage [21,22,23]. Techniques such as ultrasonic pulse velocity (UPV), electrical resistivity, and dielectric spectroscopy are widely used for the early detection of degradation signs, such as cracking and increased permeability [5,24,25].
More advanced methods, including ultrasonic tomography and scanning electron microscopy (SEM), allow for the detailed microstructural analysis of concrete over time, providing insights into how degradation progresses [6,26,27]. Despite significant advancements in concrete technology and NDT methods, gaps remain in our understanding of the complex degradation mechanisms affecting concrete in sulfate-rich and marine environments [9,28,29]. The combination of chloride and sulfate attacks, environmental exposure, and mechanical stresses necessitates a comprehensive approach to accurately assess concrete’s durability [8,30,31]. Recent studies advocate for integrating multiple NDT techniques with physical–chemical analysis to develop a robust framework for evaluating the lifecycle of concrete in marine conditions [7,32,33]. This research aims to address these challenges by proposing a multidisciplinary evaluation procedure that combines NDT methods with physical–chemical analysis, ultimately contributing to improved maintenance strategies and the prolonged service life of marine-exposed concrete structures.

2. Research Significance

This research is significant for several reasons. Marine environments are among the most aggressive conditions for concrete structures due to the presence of chloride ions, sulfate attack, and cyclic wetting and drying. Precast concrete, widely used in marine infrastructures such as bridges, ports, and offshore platforms, is particularly susceptible to deterioration. This study provides a systematic approach to assessing the extent and mechanisms of deterioration, which is essential for ensuring the longevity and safety of these structures. Also, the use of non-destructive methods to evaluate concrete deterioration is a significant advancement over traditional destructive testing. NDT techniques, such as ultrasonic pulse velocity, ground-penetrating radar, and electrical resistivity, allow for the assessment of structural integrity without compromising the functionality of the structure. This research contributes to the refinement and validation of these methods, making them more reliable for field applications.
By enabling the early detection of deterioration, the findings of this study can help in the development of cost-effective maintenance and repair strategies. Early intervention can prevent catastrophic failures, reduce repair costs, and extend the service life of precast concrete structures. This aligns with global efforts to promote sustainable infrastructure by minimizing resource consumption and waste. The deterioration of concrete in marine environments can lead to structural failures, posing significant risks to human safety and economic assets. This research provides a framework for monitoring and assessing the health of precast concrete structures, thereby enhancing safety and reducing the risk of unexpected failures.
This study adds to the body of knowledge on the behavior of precast concrete in marine environments and the effectiveness of NDT methods. It also has the potential to inform the development of industry standards and guidelines for the assessment and maintenance of marine concrete structures. With increasing global investments in coastal and offshore infrastructure, such as renewable energy installations and coastal protection systems, the findings of this research are highly relevant. They provide engineers and stakeholders with tools to ensure the durability and performance of precast concrete in these challenging environments.
In summary, this manuscript is significant as it addresses a pressing issue in civil engineering, advances the application of non-destructive testing methods, and contributes to the development of sustainable, safe, and durable infrastructure in marine environments. The research has broad implications for both academic knowledge and practical applications in the field.

3. Materials and Experimental Development

3.1. Characteristics of the Materials

3.1.1. Cement

For this study, two types of cement were used: Portland limestone Cement II A-L 42.5 R according to UNE-EN 197-1:2000, and sulfate-resistant Portland Cement I 42.5 R/SR according to UNE-EN 80303-1, sourced from the CEMENTOS LA UNION S.A. plant in Ribarroja del Turia (Valencia, Spain). The chemical compositions of the cements used are detailed in Table 1.
The samples were extracted from precast concrete frames, which were real products of a precast concrete factory (precast concrete factory GADEA HNOS—Valencia, Spain), The decision to select CEM I 42.5 R/SR and CEM II A-L 42.5R was based on their proven performance, compliance with standards, and specific chemical compositions that contribute to their durability and sulfate resistance. Both cements are suitable for marine environments, with CEM I 42.5 R/SR offering a slight advantage due to its lower Al2O3 content and lower LOI. In conclusion, CEM I 42.5 R/SR is the best option for sulfate-rich environments due to its higher durability, denser microstructure, and lower sulfate reactivity. CEM II A-L 42.5R can be used in marine environments, but its higher porosity makes it less durable over long-term exposure. If CEM II A-L 42.5R must be used in marine applications, supplementary materials and protection strategies should be applied.

3.1.2. Aggregate

The aggregate used was a crushed limestone aggregate. Gravel sizes of 4/10 mm and 8/20 mm were used, supplied by Caolines Lapiedra (Lliria, Valencia, Spain). The physical tests conducted to characterize the coarse aggregate and the natural sand are listed in Table 2. The granulometry tests were performed according to the following standard (UNE-EN 933-1:97).

3.1.3. Water

The water used in the preparation of concrete was potable water. Its analysis is presented in Table 3.

3.1.4. Additives

Sika Paver® HC-1 was used, which met the requirements established in the standard (UNE-EN-934-2). Sika® Paver is a specialized range of admixtures designed to optimize the production and performance of concrete pavers, blocks, and other precast concrete elements. These admixtures improve workability, compaction, and surface aesthetics while ensuring high durability and resistance to environmental factors. The technical data provided by the manufacturer are summarized in Table 4.

3.2. Experimental Development

3.2.1. Dosage of Concrete and Fabrication of Frames

Two concrete frames measuring 2000 × 1500 × 2000 mm were manufactured (Figure 1) at a precast concrete factory, GADEA HNOS (Valencia, Spain). The first frame contained CEM I 42.5R/SR cement and the second frame contained CEM II A-L 42.5 R cement. The curing of the frames was under normal conditions, with neither water nor steam. The extraction of the test specimens was performed using a drilling machine, typically electric, which had a circular crown at one end with a cutting element, usually made of diamond. The drilling machine transmitted rotation to its crown at a certain number of revolutions, which, due to the wear and abrasion of the cutting element on the concrete, accommodates the concrete core inside it. To prevent excessive heating and the premature wear of the crown, a continuous small flow of water was injected through the interior of the crown, thus achieving its cooling.

3.2.2. Simulation of Marine Environment (Sea Water)

Seawater was prepared in the seawater laboratory with a salinity of 3.5% g/L, using distilled water. Table 5 shows the composition of the seawater where the precast concrete specimens were degraded.

3.2.3. Compressive Strength Test

According to Figure 2a,b, the concrete specimens were made with a diameter of 75 mm and a height of 150 mm for the compression break test. The test was conducted following the UNE 83.304/84 standard. The press used for the compression test was from Ibertest, model H/B150DAVA. The testing machine had a load application regulation system so that the loading speed produced an increase in the average stress on the specimen of 5 ± 2 kp/cm2/s (0.5 ± 0.2 MPa/s).

3.2.4. The Open Porosity Test

Three concrete specimens were taken to determine the porosity, and the following procedure was carried out. Each sample was submerged in a container of water, completely covering it, and left submerged for 24 h. After 24 h, the sample was saturated by creating a vacuum with a pump to extract all the air from the sample (Figure 3). It was then left in the desiccator for another 24 h. The visual indicator that the sample was saturated was when no air bubbles remained on its surface. Once saturated, its surface was dried with a slightly absorbent cloth and it was immediately weighed, obtaining the mass msat. The submerged sample was weighed again on a hydrostatic balance; this value was referred to as mhm. Finally, the sample was placed in an oven at 105–110 °C for 24 h. This temperature is suitable for concrete, although for cement pastes and mortars, it can cause microcracking if high thermal gradients are applied. Once dry, the sample was removed from the oven and placed in a desiccator until its temperature equaled that of the environment, preventing it from absorbing moisture from the air. Once the temperature had equilibrated, the final weight was taken, referred to as ms. The balance used for weighing was a precision balance with 0.1 g accuracy, and the water used was distilled water.
P o r o s i t y = M s a t   + M s M s a t   M b . h × 100
where porosity (%), represents the total volume of voids in the concrete sample as a percentage of the total volume, while the symbol Msat represent the mass of the saturated sample in (g), which includes both the solid material and all the accessible pores filled with water. Ms is the mass of the solid material after drying in (g), which represents the mass of the sample with all the moisture removed. Mb,h is the mass in (g) of the sample in water (buoyant mass), measured using the Archimedes principle, accounting for the hydrostatic buoyancy effect.

3.2.5. The Transmission–Reception Ultrasound Test (Tx-Rx)

For the acquisition of the ultrasonic signals, the following equipment was used: a Panametrics 5058PR, Import Sensor for industrial Easily—China, a high-voltage pulse transmitter-receiver with high gain whose bandwidth covered all inspection frequencies (from 10 kHz to 10 MHz), and a Tektronics TDS3012 oscilloscope, Tequipment—USA for signal visualization (Figure 4). As shown in Figure 5, two transducers with frequencies of 1 MHz K1SC from Krautkrammer were used for measuring propagation speeds (longitudinal wave). Two transducers with frequencies of 500 kHz V151 from Panametrics were used for measuring propagation speeds (transversal wave).
For the estimation of the ultrasonic velocity, the zero-crossing double method was chosen. This method consists of taking the zero-crossing times of the signal, having suitably subtracted any possible offset. Once the propagation times of the crossings t1 (first zero-crossing) and t2 (second zero-crossing) are taken, the corrected time tcorr is calculated as follows:
t c o r r . = 2   t 2 t 1
This aims to eliminate the low-pass filter effect of the material, which is very present in highly dispersive and attenuating media. A first pulse is typically received with a slow oscillation or lower frequency. This pulse shows a slow rise in the waveform, and it is here that threshold estimation methods fail. In contrast, at the zero-crossing, the slope is the steepest, resulting in propagation time estimates with less bias and variance. Due to the heterogeneity of the concrete, the following measurements were carried out on each specimen from the cores (Figure 6): for the transmission–reception method (Tx-Rx), four axial measurements and twelve radial measurements were taken.

3.2.6. Scanning Electron Microscopy (SEM)

Microstructural characterization was carried out using a scanning electron microscopy (SEM) model (HITACHI S-4800 II) and energy-dispersive spectroscopy (EDS) (Figure 7). The images were obtained using the SEM equipment from secondary electrons generated under the following conditions: voltage: 10 kV; current: 15 μA; and working distance: 15 mm.
For the study of the microstructure of the attacked concrete, a flat section was cut from the outer vertex (attacked area) perpendicular to the longitudinal axis of the cylindrical specimens, reaching the inner part of the specimen (area free of attack), using a diamond disk saw. The samples were placed in acetone to stop the hydration process, allowing the correlation of the images and microanalyses obtained with SEM and EDX with the strength values obtained in the mechanical characterization for the same ages. The triangular portions obtained were placed in small cylindrical molds, and the molds were subsequently filled with resin (to avoid influencing the composition of the attacked concrete) and put under a vacuum for 15 min. After this time, polishing and coating were carried out.
Once the resin tablets were obtained, the surfaces to be studied were polished and covered with graphite. Graphite was used as a bridge between the conductive electron support and the sample. Figure 7 shows a sample prepared for analysis by SEM. A silver bridge was used as a link between the conductive support and the analysis sample, and the samples were coated with graphite (C) to metalize them. Elemental mapping (SEM-EDS) was conducted on the area coated with carbon, as well as EDX microanalysis (Quantax 800, Bruker AXS Microanalysis GmbH, Germany) on different areas of the sample, due to their differing textures or colorations.

3.2.7. Mercury Porosimetry

Mercury injection porosimetry is an indirect technique for characterizing the porous systems of materials, primarily providing the distribution of porosity as a function of the apparent access size of the pores, the real and skeletal density of the system, and a global view of the distribution of pore sizes as well as the connection necks between them. This test is highly useful for analyzing the evolution of the porous system of the same material subjected to different physical or chemical processes (alteration, treatments, etc.) and as a quality control test. With this technique, the pore size distribution, connected porosity, and average pore size (by volume) were analyzed to demonstrate the changes produced in cements and according to the degradation process from immersion in seawater.

4. Results and Discussion

4.1. Compression Strength

Figure 8 illustrates the compressive strength of two types of cement—Cement I, 42.5 R/SR, and Cement II, A-L 42.5 R—across four degradation periods: 0, 60, 120, and 180 days. The results indicate that both cement types maintain relatively stable compressive strengths over time, demonstrating resilience against degradation. Cement I consistently exhibits higher strength compared to Cement II at all measurement points, with values near 42 MPa at 180 days for Cement I versus approximately 40 MPa for Cement II.
This trend highlights the superior durability characteristics of Cement I, suggesting it is more suitable for applications requiring long-term performance. Its consistent strength across time points underscores the necessity of selecting appropriate cement types based on anticipated environmental conditions. The implications of this analysis are significant for material selection in construction, as higher compressive strength correlates with enhanced structural integrity [8,10,30].
The presence of error bars in the graph provides insights into the variability of the data, further presenting the reliability of the results. Overall, this analysis emphasizes the importance of understanding the relationship between compressive strength and degradation time in cement-based materials to ensure optimal performance in engineering applications. Future research could explore the effects of environmental factors on these properties to enhance material performance further [11,31].

4.2. Open Porosity

Figure 9 illustrates the porosity changes for Cement I (42.5 R/SR) and Cement II (A-L 42.5R), subjected to marine environmental degradation at specific intervals of 0, 60, 120, and 180 days. Both cement types initially show a decrease in porosity up to 60 days, likely attributed to early hydration and densification processes that reduce the permeability of the materials. This initial phase suggests that the marine environment initially aids in cement densification, potentially due to interactions with seawater minerals that promote further curing or due to ettringite or gypsum formation inside pores.
However, after the 60-day mark, both samples exhibit an increase in porosity, reflecting degradation effects common in prolonged marine exposure. By 180 days, Cement I demonstrates a gradual rise in porosity, stabilizing around 14%, whereas Cement II shows a more rapid increase, reaching approximately 16%. The disparity in porosity increase indicates that Cement I possesses superior durability in marine conditions, as its slower porosity rise implies a greater resistance to degradation. Cement II, on the other hand, appears more vulnerable to marine-induced deterioration. These findings underscore the need to consider cement composition when selecting materials for marine structures, as lower porosity progression correlates with improved durability and longevity. The study emphasizes the significance of choosing cement types with a better resistance to marine degradation to ensure the structural integrity and extended lifespan of constructions exposed to such environments.

4.3. Mercury Porosimetry

The results of the porosity measurements obtained via mercury porosimetry are presented below (Table 6).
This analysis reveals that both cement types exhibit comparable levels of connected porosity when measured using mercury (Hg) intrusion. However, Cement I, 42.5 R/SR, particularly the sulfate-resistant variant, shows a higher porosity at 180 days. Additionally, as shown in Figure 10a, the average pore size in Cem II, AL 42.5 R, is larger than that in Cem I 42.5 R/SR. The pore structure reveals two distinct pore populations.
Initially, the frequencies used for granular noise inspection show heightened sensitivity to macropores in the 100 to 300-micron range, indicating an expected increase in average pore area (APA) values at 180 days. Conversely, Figure 10b illustrates a shift toward smaller pore sizes within capillary porosity as the specimens undergo prolonged seawater immersion. This trend suggests a breakdown of the plateau phase observed in control specimens, leading to a rise in the number of macropores (100–300 microns) and an increase in micropores measuring approximately 0.015 microns. This dual shift in pore structure highlights the complex impact of marine exposure on the cement matrix, where both macropore expansion and micropore formation contribute to changes in porosity and durability.
According Figure 11a–c, the degradation of concrete in marine environments is closely linked to pore structure changes, influencing permeability, mechanical strength, and long-term durability. Mercury intrusion porosimetry (MIP) analysis of CEM I 42.5 R/SR and CEM II A-L 42.5 R at 0, 60, and 180 days reveals significant differences in their resistances to marine exposure. Initially, both cements exhibit similar pore distributions, with dominant pore sizes in the capillary range (~100 nm–10 μm); however, CEM I 42.5 R/SR presents a denser microstructure with slightly lower initial porosity. Over time, a general reduction in porosity occurs due to continued hydration, with a more pronounced shift toward smaller pores in CEM I 42.5 R/SR, indicating better long-term durability.
At 180 days, CEM II A-L 42.5 R exhibits an increased presence of macropores (>50 nm), signifying a breakdown in the cement matrix and greater susceptibility to sulfate attack, whereas CEM I 42.5 R/SR maintains a more stable pore structure with a lower proportion of harmful pores. The classification of pores into harmful (>50 nm), mesopores (2–50 nm), and micropores (<2 nm) highlights that CEM II A-L 42.5 R undergoes significant macropore formation, increasing permeability and reducing durability. In contrast, CEM I 42.5 R/SR retains a denser microstructure, with controlled mesopore and micropore development.
The correlation between pore structure and ultrasonic pulse velocity (UPV) further supports these findings. As the harmful pores (>50 nm) increase in CEM II A-L 42.5 R, greater wave scattering and reduced UPV occur. Conversely, the more compact matrix of CEM I 42.5 R/SR results in higher UPV values, indicating superior mechanical integrity. These results confirm that UPV serves as an effective non-destructive indicator of cement durability, reinforcing that CEM I 42.5 R/SR is more suitable for marine environments due to its lower permeability and resistance to long-term degradation.
The intrusion volumes reveal significant connectivity within the pore structure, where certain pore sizes correspond to higher volumes, suggesting that cement integrity and durability are closely linked to pore structure—a critical factor in assessing real-world performance [10,34]. These findings emphasize the importance of monitoring pore size distributions in cement materials, as they directly affect mechanical properties and environmental resistance [22,23]. The observed differences between the 42.5 R and 42.5 R/SR cements highlight how compositional modifications influence porosity and material behavior over time, reinforcing the need for further research in this area [9].

4.4. The Correlation Between Compressive Strength and Open Porosity

Figure 12 illustrates the relationship between compressive strength and porosity over time for Cement I 42.5 R/SR and Cement II A-L 42.5 R, showing an inverse trend where compressive strength increases steadily from the start to the end of the study period, while porosity initially decreases until 60 days and then increases toward the study’s end. Cement I 42.5 R/SR consistently demonstrates higher compressive strength across all the measured porosity levels, likely due to its sulfate-resistant formulation that enhances its dense and resilient microstructure.
The exponential trend lines reveal that as porosity increases (especially after 60 days) the growth in compressive strength becomes less significant, particularly in Cement I, which shows a steeper decay factor (0.0193) compared to Cement II (0.0093). This indicates that Cement I’s compressive strength is more sensitive to changes in porosity, making low porosity critical for maintaining its mechanical performance. The R2 values highlight a strong correlation for both Cement I (0.72025) and Cement II (0.8128), suggesting that porosity is a reliable predictor of compressive strength for both cements, albeit with some variability in sensitivity. These findings underscore the importance of managing porosity over time to sustain mechanical properties, particularly for sulfate-resistant cements like Cement I, which rely on their low porosity for durability. Monitoring porosity evolution is crucial to ensure the structural integrity and long-term performance of cement-based materials in real-world, degradation-prone environments.
In the early stages of degradation, the increase in porosity is gradual and minimal, as the microstructure remains largely intact. Consequently, the expected inverse relationship between porosity and compressive strength is less pronounced during this phase. However, in the advanced stages of degradation, as microcracks develop and pore connectivity increases, porosity rises more significantly, leading to a sharp decline in strength due to higher permeability and the loss of cohesive bonding within the cement matrix. This explains why the trend observed in Figure 12 may initially appear unconventional but ultimately aligns with the expected long-term degradation behavior, where structural deterioration becomes more evident over extended exposure.

4.5. The Porosity and Transmission–Reflection Ultrasonics of P-Wave Velocity (Longitudinal Wave)

4.5.1. Ultrasonics of P-Wave Velocity (Longitudinal Wave)

Figure 13 presents the P-wave velocity of Cement I 42.5 R/SR and Cement II A-L 42.5 R over degradation time, comparing both axial and radial measurements. The axial direction was protected from degradation by painting the top and bottom surfaces with Sikaguard resin, resulting in a consistent increase in P-wave velocity from the start to the end of the degradation period. This sustained increase indicates that the structural integrity of the cement remains intact in the axial direction, contributing to enhanced wave propagation [22,28]. In contrast, the radial direction, where degradation was permitted, shows a different trend. P-wave velocity increases until approximately 60 days of degradation, after which it decreases slightly. This decline may indicate the onset of structural weakening due to degradation effects, such as the formation of microcracks, which can hinder acoustic performance [33]. Cement II consistently demonstrates higher P-wave velocities compared to Cement I, reflecting its more robust composition and better resistance to degradation. These findings emphasize the critical importance of monitoring both axial and radial P-wave velocities as indicators of durability and performance in cement-based materials. Understanding these relationships is essential for making informed decisions regarding material selection and structural design in construction applications. Overall, the results illustrate how degradation impacts cement properties, highlighting the need for effective monitoring to ensure long-term reliability [35,36,37].

4.5.2. The Correlation of Porosity and P-Wave Velocity

Figure 14 illustrates that the analysis of open porosity and P-wave velocity for Cement I 42.5 R/SR and Cement II A-L 42.5 R reveals distinct patterns in the axial and radial measurements, highlighting the influence of directional measurement constraints and the behavior of P-wave velocity over exposure time. In the axial direction, where degradation is prevented, the P-wave velocity shows a steady increase until the end of the exposure period for both cement types. For Cement I 42.5 R/SR, the axial direction follows a positive exponential trend with an (R2 of 0.75), suggesting that P-wave velocity is moderately influenced by porosity but remains resilient due to the prevention of degradation, thus increasing as exposure continues. Similarly, Cement II A-L 42.5 R exhibits a positive exponential correlation in the axial direction, albeit weaker, with an (R2 of 0.61). This lower correlation implies that P-wave velocity in this cement type is somewhat variable under the same conditions but still shows a general increase due to the lack of degradation in the axial direction. This continuous increase in axial P-wave velocity across both cements reflects their structural integrity under conditions that prevent degradation, aligning with expectations of improved material stability.
In contrast, in the radial direction, where degradation is permitted, the behavior of P-wave velocity over time is notably different. For both Cement I 42.5 R/SR and Cement II A-L 42.5 R, the P-wave velocity initially increases up to approximately 60 days, likely due to initial densification and curing processes, which enhance structural integrity temporarily. However, after this period, P-wave velocity begins to decline, indicating that as porosity increases, degradation starts affecting the material’s density and integrity in the radial direction. This trend is reflected in the following strong negative exponential correlations: Cement I 42.5 R/SR shows an (R2 of 0.91) in the radial direction, while Cement II A-L 42.5 R exhibits an even stronger correlation with an (R2 of 0.93). These high correlation values suggest that radial P-wave measurements are highly sensitive to porosity changes, particularly as degradation progresses beyond the initial 60-day period and illustrated in Table 7.
In summary, the axial measurements, which were protected from degradation, exhibit a consistent increase in P-wave velocity until the end of the exposure period, demonstrating the resilience of both cement types in a controlled environment. In contrast, the radial measurements, which allowed for degradation, show an initial increase in P-wave velocity, followed by a decline after 60 days, signifying the impact of increased porosity on material integrity. These findings underscore the importance of axial protection for maintaining structural stability, while radial measurements offer valuable insights into material degradation over time, which is critical for assessing long-term durability in applications where exposure to environmental factors is inevitable.

4.6. The Porosity and Transmission–Reflection Ultrasonics of S-Wave Velocity (Transversal Wave)

Ultrasonics S-Wave Velocity (Transversal Wave)

Figure 15 illustrates the transverse wave (S-wave) velocity over time for two types of cement: Cement I 42.5 R/SR and Cement II A-L 42.5 R, measured in both the axial and radial directions. The behavior of S-wave velocity is distinct across the two directions due to different degradation constraints, where the axial direction was protected from degradation, while the radial direction was allowed to degrade. The S-wave velocity measurements in the axial direction, where degradation was prevented, show stability over time in both cements, indicating preserved structural integrity. Cement I 42.5 R/SR exhibited a modest increase from 2656 m/s to nearly 2731 m/s by day 180, while Cement II A-L 42.5 R increased from approximately 2677 m/s to 2786 m/s, reflecting a stable structural profile under protected conditions. In contrast, the radial measurements, where degradation was permitted, show an initial increase in S-wave velocity, peaking at around 60 days, followed by a noticeable decline. Cement I 42.5 R/SR reached a maximum of approximately 2787 m/s at 60 days before declining below 2701 m/s, suggesting early structural densification followed by degradation-related losses. Similarly, Cement II A-L 42.5 R showed a pronounced decrease after peaking, dropping from around 2822 m/s to 2713 m/s, indicating greater sensitivity to degradation in the radial direction. These findings underscore that degradation protection in the axial direction preserved structural integrity, while exposure in the radial direction led to a decline in S-wave velocity, reflective of reduced material density and structural resilience over time.
Figure 16 illustrates the correlation of porosity with S-wave velocity for both types of cement. In the axial direction, where degradation was prevented, both cement types exhibit a positive exponential trend in S-wave velocity. For Cement I 42.5 R/SR, the S-wave velocity displays a moderate correlation with porosity (R2 = 0.54), indicating a stable increase over time, as structural integrity remains unaffected by degradation. Similarly, Cement II A-L 42.5 R shows a positive exponential correlation with a slightly higher (R2 = 0.65), reflecting a consistent increase in S-wave velocity as porosity changes, though with some variability. This upward trend in axial measurements for both cements aligns with the expectation that protection from degradation allows for preserved material stability, resulting in a resilient structural profile over the exposure period.
In contrast, the radial direction, where degradation was permitted, shows distinct behavior with an initial increase in S-wave velocity followed by a decline after approximately 60 days. Cement I 42.5 R/SR reaches a peak S-wave velocity of around 2787 m/s at 60 days before decreasing, with a strong negative correlation (R2 = 0.94), signifying that degradation gradually compromises material density and integrity. Cement II A-L 42.5 R follows a similar trend in the radial direction, peaking near 2822 m/s around 60 days and then experiencing a decline in S-wave velocity, with an (R2 = 0.92), indicating sensitivity to degradation. This consistent decrease in radial S-wave velocity for both cement types suggests that initial curing processes momentarily improve structural properties; however, degradation over time leads to progressive weakening due to increasing porosity [35,36,37,38,39,40,41]. Table 8 showed exponential equations and coefficients of determination for both cement types.
The above results underscore the critical role of degradation prevention in maintaining structural integrity in cementitious materials. In the axial direction, where protection from degradation was provided, both cement types demonstrate a stable increase in S-wave velocity, reflecting sustained material resilience. Conversely, in the radial direction, where degradation was allowed, the S-wave velocity exhibits a temporary rise followed by a pronounced decline, highlighting the impact of porosity and environmental exposure on material strength. These findings emphasize that radial measurements are more sensitive indicators of degradation, while axial protection supports long-term durability. This analysis provides valuable insights into the degradation behavior of cementitious materials, informing strategies for enhancing structural resilience in construction applications exposed to environmental stressors [39,40,41,42,43,44].

5. Analysis of Scanning Electron Microscopy

This study presents a detailed SEM analysis of Cement I 42.5 R/SR samples at 60 and 180 days post-exposure to synthetic seawater. The examined fragments and the specific areas analyzed to assess the perimeter affected by degradation are illustrated in Figure 17a,b.
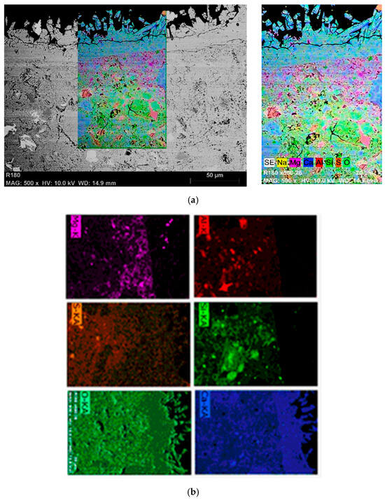
Figure 18a,b display the results of the EDX analysis of the sample coated with carbon and abundance maps for silicon (Si), calcium (Ca), aluminum (Al), and sulfur (S) at 60 days, indicating that the elemental abundance corresponds to the color intensity observed in the SEM images. Notably, the aluminum map reveals small, isolated zones of intense color, linked to compounds typical of hydrated cement, with no significant differences between the upper and lower zones. The silicon map similarly shows no variation, suggesting that feldspathic silicates may exist among the aggregates. The calcium map highlights a strong emission intensity, indicating the presence of calcium due to the CaCO3 and/or CaMgCO3 aggregates alongside calcium in hydrated cement compounds. A distinct area of heightened calcium abundance is noted in the internal zone of the concrete, while the upper zone shows reduced intensity, corresponding to the marine environment exposure. The presence of needle-like gypsum crystals, approximately 20 microns in length, suggests surface deposition due to environmental attack. The sulfur map confirms the emissions in calcium crystals, indicating a composition of calcium and sulfur, and reveals an interface with higher emissions in the internal zone, indicative of aggressive agent penetration. Table 9 showed EDX analysis of sample coated with carbon in both areas
After 180 days of marine exposure, as shown in Figure 19a,b, the areas near the perimeter display predominant gypsum crystals alongside visible magnesium presence. The mapping of elements further establishes their distribution; however, defining a global attack depth remains challenging. The accessibility the concrete’s interior for various agents is influenced by the concrete’s porosity, the size of ions involved, and the compounds formed during exposure.
The analysis confirms gypsum’s presence in the peripheral regions and brucite formations in the concrete. Internal examinations suggest that some areas may remain free from attack, as traces of chlorine, magnesium, and sulfur were detected. This complexity complicates the establishment of a seawater penetration profile. A recent study by [38,39,40] supports these findings, highlighting the impact of marine environments on the durability and elemental composition of cementitious materials.
Accordingly, the quantitative EDX analysis of the marine-exposed precast concrete, provides a detailed elemental composition of the precast concrete sample subjected to marine environmental conditions. The quantitative results, expressed in weight percentages, indicate the presence of major oxides contributing to the material’s microstructural integrity and deterioration mechanisms. As shown in Table 10, its high oxygen content (47.03%) indicates extensive oxide formation, supporting evidence of microstructural degradation due to prolonged marine exposure, while its elevated magnesium levels (24.1%) suggest the potential formation of brucite (Mg(OH)2) and magnesium silicate hydrates, confirming sulfate-induced deterioration in concrete. The significant calcium presence (24.1%) demonstrates the presence of calcium-bearing phases (C-S-H, portlandite, and possible carbonation), crucial for structural integrity. Increased silicon and aluminum content correlates with C-S-H gel stability and ettringite formation, which could contribute to expansion and cracking in sulfate-rich environments. The iron traces (2.58%) suggest minimal iron oxide precipitation, possibly due to the corrosion of the reinforcements or unreacted cement phases.
The EDX results quantitatively confirm the presence of degradation-related compounds in the precast concrete samples. The high number of magnesium and sulfate-reactive phases suggest sulfate attack as a primary deterioration mechanism, while variations in silica and calcium content reflect progressive material breakdown. This quantitative assessment enhances the reliability of non-destructive evaluations in monitoring the durability of precast concrete structures in aggressive marine environments.

6. Conclusions

This study examines the durability of Cement I 42.5 R/SR and Cement II A-L 42.5 R over time, emphasizing their suitability for long-term construction applications.
  • Cement I consistently exhibits superior compressive strength across all degradation periods, making it ideal for load-bearing environments requiring structural resilience. Cement II shows lower porosity and higher P-wave and S-wave velocities, attributes linked to reduced permeability and enhanced durability in settings where permeability control is essential.
  • Pore size distribution changes with degradation, with a shift toward smaller pores over time, potentially affecting structural integrity.
  • A strong negative correlation between porosity and P-wave velocity highlights how increased porosity compromises wave propagation and material density.
  • SEM analysis identifies the formation of gypsum and brucite crystals in peripheral areas after prolonged seawater exposure, showing how environmental interactions alter cement’s microstructure.
  • The EDX results quantitatively confirm the presence of degradation-related compounds in the precast concrete samples. The high number of magnesium and sulfate-reactive phases suggest sulfate attack as a primary deterioration mechanism, while variations in silica and calcium content reflect progressive material breakdown. This quantitative assessment enhances the reliability of non-destructive evaluations in monitoring the durability of precast concrete structures in aggressive marine environments.
Overall, this study underscores the importance of selecting cement based on compressive strength, porosity, and acoustic properties to meet performance demands in various environmental conditions. These findings contribute to informed material selections for enhanced durability, and future studies can further refine this understanding by exploring additional environmental factors.

7. Future Studies

A comprehensive plan is essential to refine non-destructive testing (NDT) methods for accurately assessing concrete deterioration in marine environments. To achieve this, a combination of various NDT techniques should be explored. In addition to ultrasonic pulse velocity (UPV), advanced ultrasonic methods such as ultrasonic grain noise analysis using the attenuation profile area (APA) method can be utilized to estimate different stages of degradation. Furthermore, ultrasonic tomography should be implemented to generate detailed imaging of internal deterioration, providing a more precise representation of damage progression.
Beyond concrete, future research should extend to mortar and cement paste, ensuring a comprehensive understanding of degradation mechanisms across different cementitious materials. Additionally, long-term studies should focus on extended exposure durations to assess the progressive effects of sulfate and chloride penetration over time, replicating real-world marine conditions more accurately.
In addition to non-destructive testing, scanning electron microscopy (SEM), porosity measurements, and mechanical testing, including compressive and flexural strength tests, are necessary to establish correlations between destructive and non-destructive methods. Studying these relationships will allow for the development of reliable estimation models for degradation, enabling engineers to assess structural integrity more effectively using non-destructive approaches. Integrating both destructive and non-destructive evaluations will enhance the accuracy of deterioration assessments and predictive maintenance strategies for marine infrastructure.

Author Contributions

Conceptualization, T.I.S. and A.A.-K.A.A.S.; methodology A.A.-K.A.A.S.; software, R.A.-M.; validation, A.A.-K.A.A.S., M.S. and R.A.-M.; formal analysis, W.F.E.; investigation, R.A.-M.; resources, T.I.S.; data curation, R.A.-M. and M.S.; writing—original draft preparation, A.A.-K.A.A.S. and W.F.E.; writing—review and editing, A.A.-K.A.A.S.; visualization, A.A.-K.A.A.S.; supervision, R.A.-M.; project administration, T.I.S.; funding acquisition, R.A.-M. and W.F.E. All authors have read and agreed to the published version of the manuscript.

Funding

The authors would like to acknowledge that this research work was partially financed by Kingdom University, Bahrain from research grant number [KU-SRU-2024–05]. Also, the authors would like to acknowledge that the practical program proposed in the research was part of the research project generated by the “Ministerio de Ciencia e Innovación” with the reference number [BTA-2006-15188-C02-02].

Data Availability Statement

The original contributions presented in this study are included in the article. Further inquiries can be directed to the corresponding author.

Acknowledgments

The authors gratefully acknowledge Kingdom University, Bahrain, represented by the Deanship of Graduate Studies and Scientific Research.

Conflicts of Interest

The authors declare no conflict of interest.

References

  1. Amran, M.; Onaizi, A.M.; Fediuk, R.; Vatin, N.I.; Muhammad Rashid, R.S.; Abdelgader, H.; Ozbakkaloglu, T. Self-Healing Concrete as a Prospective Construction Material: A Review. Materials 2022, 15, 3214. [Google Scholar] [CrossRef] [PubMed]
  2. Fan, Y.; Zhang, G.; Li, Y. Study on graphene oxide reinforced magnesium phosphate cement composites. Constr. Build. Mater. 2022, 359, 129523. [Google Scholar] [CrossRef]
  3. Edris, W.F.; Elbialy, S.; El-Zohairy, A.; Soliman, A.M.; Shawky, S.M.M.; Selouma, T.I.; Al Sayed, A.A.-K.A. Examining Mechanical Property Differences in Concrete with Natural and Synthetic Fiber Additives. J. Compos. Sci. 2024, 8, 167. [Google Scholar] [CrossRef]
  4. Wang, Y.; Liu, J.; Hu, X.; Chang, J.; Zhang, T.; Shi, C. Utilization of accelerated carbonation to enhance the application of steel slag: A review. J. Sustain. Cem. Mater. 2023, 12, 471–486. [Google Scholar] [CrossRef]
  5. Wang, Q.; Zhou, X.; Sun, X.; Aslam, R.; Wang, R.; Sun, Y.; Yan, Z.; Li, X. Corrosion of Reinforcement in Reinforced Concrete: Influencing Factors, Detection Methods, and Control Techniques—A Review. J. Test. Eval. 2024, 52, 3096–3122. [Google Scholar] [CrossRef]
  6. Zhang, C.; Li, J.; Yu, M.; Lu, Y.; Liu, S. Mechanism and Performance Control Methods of Sulfate Attack on Concrete: A Review. Materials 2024, 17, 4836. [Google Scholar] [CrossRef]
  7. Mehta, P.K.; Monteiro, P. Concrete: Microstructure, Properties, and Materials; McGraw-Hill: New York, NY, USA, 2006. [Google Scholar]
  8. Chen, C.; Chen, Y.; Cai, Z.; Zhang, X.; Zhu, P.; Liu, R.; Liu, H. Prediction model for equivalent exposure time in indoor dry-wet cycling tests for concrete in marine tidal zones. Constr. Build. Mater. 2024, 451, 138778. [Google Scholar] [CrossRef]
  9. Li, P.; Wang, X.; Peng, J.; Li, D. Chloride penetration and material characterisation of carbonated concrete under various simulated marine environment exposure conditions. Constr. Build. Mater. 2024, 429, 135885. [Google Scholar] [CrossRef]
  10. Ali, M.; Shams, M.A.; Bheel, N.; Almaliki, A.H.; Mahmoud, A.S.; Dodo, Y.A.; Benjeddou, O. A review on chloride induced corrosion in reinforced concrete structures: Lab and in situ investigation. RSC Adv. 2024, 14, 37252–37271. [Google Scholar] [CrossRef]
  11. Yu, F.; Chen, M.; Zhou, M.; Yang, Q.; Xie, H.; Yin, H.; Li, W.; Poon, C.S.; Liu, F. Study on corrosion characteristics of steel rebars and corrosion-induced cracks in reinforced concrete by employing X-ray microcomputed tomography. J. Build. Eng. 2025, 100, 111738. [Google Scholar] [CrossRef]
  12. Al Sayed, A.A.-K.A.; Al-Waked, Q.F.; Shawky, S.M.; Al-Jabali, H.M.; Edris, W.F. Effect of alkali activated limestone-silica fume blended precursor on performance enhancement of recycled aggregate concrete. Case Stud. Constr. Mater. 2023, 19, e02661. [Google Scholar] [CrossRef]
  13. Al Sayed, A.A.-K.A.; Al-Jabali, H.M.; Fahmy, M.; Mohamed, G.N.; Bayoumi, E.-S.A.-A.; Selouma, T.I. Evaluation of the structural performance of T-section beams with construction defects utilizing numerical analysis. Front. Built Environ. 2024, 10, 1280072. [Google Scholar] [CrossRef]
  14. Yuan, Q.; Shi, C.; Jiao, D. Rheology of Fresh Cement-Based Materials: Fundamentals, Measurements, and Applications; CRC Press: Boca Raton, FL, USA, 2022. [Google Scholar]
  15. Geiker, M.; Robuschi, S.; Lundgren, K.; Paraskevoulakos, C.; Gundlach, C.; Danner, T.; Jakobsen, U.H.; Michel, A. Concluding destructive investigation of a nine-year-old marine-exposed cracked concrete panel. Cem. Concr. Res. 2023, 165, 107070. [Google Scholar] [CrossRef]
  16. Baten, B.; Manzur, T. Formation Factor Concept for Non-Destructive Evaluation of Concrete’s chloride diffusion coefficients. Cem. Concr. Compos. 2022, 128, 104440. [Google Scholar] [CrossRef]
  17. Gómez-Luna, G.; López-Calvo, H.; Bremner, T.; Miguel, G.F.-S.; Castro-Borges, P.; Montes-García, P. Assessment of corrosion prevention methods for steel reinforcement embedded in concrete exposed to a natural marine environment. Constr. Build. Mater. 2023, 385, 131514. [Google Scholar] [CrossRef]
  18. Li, K.; Zeng, J.; Tang, L.; Sørensen, H.E.; Borges, P.C.; Geiker, M.R.; Pedersen, M.T.; Zhang, P.; Surana, S.; Maddalena, R.; et al. Long-term field exposure of structural concretes in marine environment: State-of-the-art review by RILEM TC 289-DCM. Mater. Struct. 2022, 55, 205. [Google Scholar] [CrossRef]
  19. Xu, Y.; Ye, H.; Yuan, Q.; Shi, C.; Gao, Y.; Fu, Q. The durability of concrete subject to mechanical load coupled with freeze–thaw cycles: A review. Arch. Civ. Mech. Eng. 2022, 22, 47. [Google Scholar] [CrossRef]
  20. Guo, J.; Sun, W.; Xu, Y.; Lin, W.; Jing, W. Damage Mechanism and Modeling of Concrete in Freeze–Thaw Cycles: A Review. Buildings 2022, 12, 1317. [Google Scholar] [CrossRef]
  21. Zhang, M.; Ma, D.; Zhou, D. Scouring erosion resistance of nano-marine concrete under four-factor coupling. J. Build. Eng. 2025, 103, 111954. [Google Scholar] [CrossRef]
  22. Gómez-Luna, G.; Lopez-Calvo, H.; Bremner, T.; Castro-Borges, P.; Montes-García, P. Performance of fly ash and CNI as corrosion prevention methods for steel reinforcement embedded in cracked HPC concrete exposed to a natural marine environment. Constr. Build. Mater. 2024, 428, 136260. [Google Scholar] [CrossRef]
  23. Cui, H.; Cao, L.; Cao, X.; Yu, S.; Huang, M. Experimental investigation of chloride ion monitoring in concrete considering the coupling effect of temperature and humidity. J. Build. Eng. 2024, 98, 111155. [Google Scholar] [CrossRef]
  24. Wang, R.; Hu, Z.; Li, Y.; Wang, K.; Zhang, H. Review on the deterioration and approaches to enhance the durability of concrete in the freeze–thaw environment. Constr. Build. Mater. 2022, 321, 126371. [Google Scholar] [CrossRef]
  25. Ma, Y.; Jiang, X.; Li, J.; Li, G.; Huang, W.; Chang, W.; Cao, G.; Yu, Z. Research on the Classification of Concrete Sulfate Erosion Types in Tumushuke Area, Xinjiang. Buildings 2024, 14, 729. [Google Scholar] [CrossRef]
  26. Zhao, H.; Hu, Y.; Tang, Z.; Wang, K.; Li, Y.; Li, W. Deterioration of concrete under coupled aggressive actions associated with load, temperature and chemical attacks: A comprehensive review. Constr. Build. Mater. 2022, 322, 126466. [Google Scholar] [CrossRef]
  27. Song, Y.; Wang, Y.; Wang, Y.; Liu, B. Experimental Study on Chloride Threshold Content in Reinforced Concrete Above and in Water Level Fluctuation Zone Considering Sulphate Attack. Available online: https://ssrn.com/abstract=4903013 (accessed on 15 February 2025).
  28. Reddy, V.G.P.; Tadepalli, T.; Pancharathi, R.K. Surface imaging based non-destructive assessment of concrete deterioration using hue-saturation-intensity colour space. Measurement 2022, 197, 111311. [Google Scholar] [CrossRef]
  29. Zhang, Y.; Zhong, W.; Fan, L. Long-term durability investigation of basalt fiber-reinforced geopolymer concrete in marine environment. J. Mater. Res. Technol. 2024, 31, 593–605. [Google Scholar] [CrossRef]
  30. Shen, D.; Yu, Y.; Jin, Z.; Li, N. Effects of Crumb Rubber Particles on the Evolution of Pore Structure in Steam-Cured Concrete Under Freeze-Thaw Cycles. J. Build. Eng. 2025, 103, 112138. [Google Scholar] [CrossRef]
  31. Yamamoto, M.; Nakarai, K.; Yoshizumi, Y.; Torrent, R. Relationship between chloride ingress and concrete cover quality of inland structures exposed to deicing salts. Case Stud. Constr. Mater. 2024, 20, e03075. [Google Scholar] [CrossRef]
  32. Yang, L.F.; Cai, R.; Yu, B. Investigation of computational model for surface chloride concentration of concrete in marine atmosphere zone. Ocean Eng. 2017, 138, 105–111. [Google Scholar] [CrossRef]
  33. Wu, W.; Li, H.; Elghazouli, A.Y.; Wu, Y. Prediction of axial compressive stresses in ultra-high-performance concrete blocks using non-destructive ultrasonic techniques. J. Build. Eng. 2024, 95, 110326. [Google Scholar] [CrossRef]
  34. Shahedan, N.F.; Hadibarata, T.; Abdullah, M.M.A.B.; Jusoh, M.N.H.; Rahim, S.Z.A.; Isia, I.; Bras, A.A.; Bouaissi, A.; Juwono, F.H. Potential of fly ash geopolymer concrete as repairing and retrofitting solutions for marine infrastructure: A review. Case Stud. Constr. Mater. 2024, 20, e03214. [Google Scholar] [CrossRef]
  35. Akinwumi, I.I.; Olofinnade, O.M.; Awoyera, P.O. Automated ultrasonic-based diagnosis of concrete compressive damage amidst temperature variations utilizing deep learning. Constr. Build. Mater. 2022, 348, 128509. [Google Scholar] [CrossRef]
  36. Cheng, H.; Wang, L.; Zhang, Y. Deep learning-enhanced ultrasonic imaging for concrete defect detection. J. Mater. Civ. Eng. 2021, 33, 04021056. [Google Scholar] [CrossRef]
  37. Lahouar, S.; Huang, Y. Ground penetrating radar-based automated defect identification of bridge decks: A hybrid approach. Autom. Constr. 2020, 113, 103118. [Google Scholar] [CrossRef]
  38. Ma, Y.; Sun, C.; Li, P. Machine learning-enhanced ultrasonic pulse velocity method for detecting microstructural changes in concrete. Mater. Struct. 2022, 55, 86. [Google Scholar]
  39. Alavi, A.H.; Jiao, P. Hybrid AI models for ground penetrating radar-based non-destructive evaluation of reinforced concrete structures. J. Intell. Robot. Syst. 2021, 103, 23. [Google Scholar]
  40. Forde, M.C.; Wright, D.; Mulligan, J. Multi-modal NDT techniques for structural health monitoring: A case study on marine concrete deterioration. J. Struct. Eng. 2023, 149, 04023068. [Google Scholar]
  41. Hassan, A.A.; Khalil, A. Combining ultrasonic and infrared thermography techniques for concrete durability assessment. Cem. Concr. Res. 2020, 135, 106142. [Google Scholar] [CrossRef]
  42. Zhang, T.; Liu, Y.; Wu, Z. AI-powered ultrasonic evaluation of concrete porosity and permeability. Constr. Build. Mater. 2022, 356, 129165. [Google Scholar] [CrossRef]
  43. Zhao, X.; Wang, X.; Zhou, L. A hybrid approach for automated defect detection in reinforced concrete using GPR and deep learning. NDT E Int. 2021, 122, 102511. [Google Scholar] [CrossRef]
  44. Li, H.; Gao, S.; Chen, J. Long-term performance monitoring of marine concrete using hybrid NDT techniques. Mar. Struct. 2023, 89, 103245. [Google Scholar]
Figure 1. (a) The frames under analysis at Gadea Hnos S.L. and (b) the extracted samples for testing.
Figure 1. (a) The frames under analysis at Gadea Hnos S.L. and (b) the extracted samples for testing.
Buildings 15 00926 g001
Figure 2. (a) The compression strength testing machine and (b) the specimens prepared for testing.
Figure 2. (a) The compression strength testing machine and (b) the specimens prepared for testing.
Buildings 15 00926 g002
Figure 3. (a) Experimental setup used for open porosity and water absorption testing by vacuum immersion and (b) flow chart explaining vacuum immersion process.
Figure 3. (a) Experimental setup used for open porosity and water absorption testing by vacuum immersion and (b) flow chart explaining vacuum immersion process.
Buildings 15 00926 g003
Figure 4. Ultrasound equipment. Panametrics 5058PR and Tektronics TDS3012 oscilloscope.
Figure 4. Ultrasound equipment. Panametrics 5058PR and Tektronics TDS3012 oscilloscope.
Buildings 15 00926 g004
Figure 5. The transducers used in the ultrasound tests (Tx-Rx)—500 KHz and 1 MHz.
Figure 5. The transducers used in the ultrasound tests (Tx-Rx)—500 KHz and 1 MHz.
Buildings 15 00926 g005
Figure 6. The axial and radial measurements for the core.
Figure 6. The axial and radial measurements for the core.
Buildings 15 00926 g006
Figure 7. The scanning electron microscopy (SEM) equipment and analysis area of a sample placed in resin for SEM analysis.
Figure 7. The scanning electron microscopy (SEM) equipment and analysis area of a sample placed in resin for SEM analysis.
Buildings 15 00926 g007
Figure 8. The compressive strength of two types of cement.
Figure 8. The compressive strength of two types of cement.
Buildings 15 00926 g008
Figure 9. Relationship between open porosity and degradation time.
Figure 9. Relationship between open porosity and degradation time.
Buildings 15 00926 g009
Figure 10. Results of mercury porosimetry: (a) porosity and (b) average pore size.
Figure 10. Results of mercury porosimetry: (a) porosity and (b) average pore size.
Buildings 15 00926 g010
Figure 11. (a) Relation between pore size distribution of cements according to degradation ages and pore diameter. (b) Zoom shot of right part; (c) zoom shot of left part.
Figure 11. (a) Relation between pore size distribution of cements according to degradation ages and pore diameter. (b) Zoom shot of right part; (c) zoom shot of left part.
Buildings 15 00926 g011
Figure 12. The correlation between open porosity and compressive strength.
Figure 12. The correlation between open porosity and compressive strength.
Buildings 15 00926 g012
Figure 13. Longitudinal velocity (P-wave).
Figure 13. Longitudinal velocity (P-wave).
Buildings 15 00926 g013
Figure 14. The correlation between open porosity and P-wave velocity.
Figure 14. The correlation between open porosity and P-wave velocity.
Buildings 15 00926 g014
Figure 15. Transversal velocity (S-wave).
Figure 15. Transversal velocity (S-wave).
Buildings 15 00926 g015
Figure 16. The correlations between open porosity and S-wave velocity.
Figure 16. The correlations between open porosity and S-wave velocity.
Buildings 15 00926 g016
Figure 17. (a) Analysis area of a sample embedded in resin for SEM analysis; (b) backscattered image of analysis area.
Figure 17. (a) Analysis area of a sample embedded in resin for SEM analysis; (b) backscattered image of analysis area.
Buildings 15 00926 g017
Figure 18. (a). EDX analysis of sample coated with carbon in both areas. (b). EDS analysis by elemental mapping of same area represented by SEM (X200).
Figure 18. (a). EDX analysis of sample coated with carbon in both areas. (b). EDS analysis by elemental mapping of same area represented by SEM (X200).
Buildings 15 00926 g018
Figure 19. (a). SEM image (×500) and composite mapping of concrete sample after 180 days in marine environment. (b). Mapping of upper area (×500).
Figure 19. (a). SEM image (×500) and composite mapping of concrete sample after 180 days in marine environment. (b). Mapping of upper area (×500).
Buildings 15 00926 g019
Table 1. I 42.5R/SR and II A-L 42.5R’s chemical makeup.
Table 1. I 42.5R/SR and II A-L 42.5R’s chemical makeup.
CementSiO2Al2O3Fe2O3CaOMgOSO3K2ONa2OLOI
I 42.5R/SR19.84.303.8363.51.132.480.620.103.58
II A-L 42.5R17.104.403.0862.41.172.780.460.127.33
Table 2. The physical tests conducted to characterize the coarse aggregate and the natural sand.
Table 2. The physical tests conducted to characterize the coarse aggregate and the natural sand.
PropertyCoarse AggregateNatural Sand
Specific gravity 2.652.58
Volume density14301612
Water absorption%0.861.9
Los Angeles abrasion %17.56-
Crushing value %17.93-
Table 3. Analysis of the mixing water.
Table 3. Analysis of the mixing water.
Acidity, Expressed by Its pHSoluble SubstancesSulfatesChloride
8.410.96 gm/L0.25 gm/L0.10 gm/L
Table 4. Characteristics of Sika Paver.
Table 4. Characteristics of Sika Paver.
Chemical CompositionSurfactant Mixture
Density1.01 ± 0.01 kg/L (at +20 °C)
pH7
Chloride Content≤0.1%
Dosage0.2–0.5%
Table 5. The composition of the seawater.
Table 5. The composition of the seawater.
ParameterResult
Bicarbonates (HCO3)173 mg/L
Bromate<1 mg/L
Chlorides21,200 mg/L
Fluorides<10 mg/L
Sulfates2690 mg/L
Dissolved Boron4590 µg/L
Dissolved Calcium453 mg/L
Dissolved Potassium614 mg/L
Dissolved Magnesium1250 mg/L
Dissolved Sodium10,300 mg/L
Dissolved Strontium9310 µg/L
Table 6. The porosity measurements obtained via mercury porosimetry.
Table 6. The porosity measurements obtained via mercury porosimetry.
Mercury Porosimetry, Hg
Days060180
Cem I SR7.224.686.67
Cem II R6.964.995.66
Average Size
Days060180
Cem I SR0.0320.0210.0167
Cem II R0.02650.02020.013
Table 7. Exponential equations and coefficients of determination for both cement types.
Table 7. Exponential equations and coefficients of determination for both cement types.
Direction of MeasurementExponential EquationR2
P-Wave Cement I 42.5 R/SR (Axial)y = 4216.2 × e0.0081477x0.75
P-Wave Cement I 42.5 R/SR (Radial)y = 4959.5 × e−0.0061634x0.91
P-Wave Cement II A-L 42.5 R (Axial)y = 4307.7 × e0.006464x0.61
P-Wave Cement II A-L 42.5 R (Radial)y = 5052.9 × e−0.0066547x0.93
Table 8. Exponential equations and coefficients of determination for both cement types.
Table 8. Exponential equations and coefficients of determination for both cement types.
Direction of MeasurementExponential EquationR2
S-Wave Cement I 42.5 R/SR (Axial)y = 2489 × e0.0063647x0.54
S-Wave Cement I 42.5 R/SR (Radial)y = 3088.6 × e−0.0095873x0.94
S-Wave Cement II A-L 42.5 R (Axial)y = 2402.5 × e0.009175x0.65
S-Wave Cement II A-L 42.5 R (Radial)y = 3216.6 × e−0.01086x0.92
Table 9. Tabulated EDX analysis of sample coated with carbon in both areas.
Table 9. Tabulated EDX analysis of sample coated with carbon in both areas.
Sample coated with carbon in both areas% Weight
Magnesium (Mg)Oxygen (O)Aluminum (Al)Silica (Si)Iron (Fe)Calcium (Ca)
24.147.036.6614.362.5824.1
Table 10. Primary contribution of different elements %.
Table 10. Primary contribution of different elements %.
ElementWeight %Primary Contribution
Oxygen (O)47.03%Primary constituent of oxides and hydration compounds
Magnesium (Mg)24.1%Presence of brucite (Mg(OH)2) and magnesium silicate phases due to sulfate attack
Calcium (Ca)24.1%Calcium hydroxide (CH) and calcium silicate hydrate (C-S-H), key phases in cement hydration
Silicon (Si)14.36%Indicative of silicate structures (C-S-H) and potential degradation of cement matrix
Aluminum (Al)6.66%Presence of aluminate phases, possibly forming ettringite in sulfate-rich environments
Iron (Fe)2.58%Likely associated with iron oxides or unreacted clinker phases
Disclaimer/Publisher’s Note: The statements, opinions and data contained in all publications are solely those of the individual author(s) and contributor(s) and not of MDPI and/or the editor(s). MDPI and/or the editor(s) disclaim responsibility for any injury to people or property resulting from any ideas, methods, instructions or products referred to in the content.

Share and Cite

MDPI and ACS Style

Selouma, T.I.; Edris, W.F.; Al Sayed, A.A.-K.A.; Al-Marri, R.; Shaaban, M. Assessment of Precast Concrete Deterioration in Marine Environments Using Non-Destructive Methods. Buildings 2025, 15, 926. https://doi.org/10.3390/buildings15060926

AMA Style

Selouma TI, Edris WF, Al Sayed AA-KA, Al-Marri R, Shaaban M. Assessment of Precast Concrete Deterioration in Marine Environments Using Non-Destructive Methods. Buildings. 2025; 15(6):926. https://doi.org/10.3390/buildings15060926

Chicago/Turabian Style

Selouma, Tarek Ibrahim, Walid Fouad Edris, Abd Al-Kader A. Al Sayed, Rashid Al-Marri, and Mostafa Shaaban. 2025. "Assessment of Precast Concrete Deterioration in Marine Environments Using Non-Destructive Methods" Buildings 15, no. 6: 926. https://doi.org/10.3390/buildings15060926

APA Style

Selouma, T. I., Edris, W. F., Al Sayed, A. A.-K. A., Al-Marri, R., & Shaaban, M. (2025). Assessment of Precast Concrete Deterioration in Marine Environments Using Non-Destructive Methods. Buildings, 15(6), 926. https://doi.org/10.3390/buildings15060926

Note that from the first issue of 2016, this journal uses article numbers instead of page numbers. See further details here.

Article Metrics

Back to TopTop