Automatic Ship Detection Using the Artificial Neural Network and Support Vector Machine from X-Band Sar Satellite Images
Abstract
1. Introduction
2. Materials and Methods
2.1. SAR Data
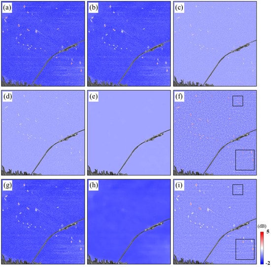
2.2. Methods
- (1)
- Generate a sigma-naught image from a SAR SLC image;
- (2)
- Create a first noise-reduced map by using a first median filtering of 7 × 7 kernel size;
- (3)
- Produce a first multi-looking map by 2 × 2 multi-look processing;
- (4)
- Generate a normalized map by using Z-score after masking out land areas;
- (5)
- Create a second noise-reduced map by using second median filtering of 15 × 15 or 19 × 19 kernel sizes;
- (6)
- Produce a textured map through the root-mean-square difference (RMSD) calculation between the normalized and second noise-reduced maps;
- (7)
- Generate second multi-looking intensity and texture maps from the second noise-reduced and texture maps by 2 × 2 multi-look processing, respectively;
- (8)
- Create ship-removed intensity and texture maps from the second multi-looking intensity and texture maps by 51 × 51 median filtering, respectively;
- (9)
- Produce intensity difference maps using the difference between the second multi-looking maps and the ship-removed maps; and
- (10)
- Produce texture difference maps using the scaled difference between the second multi-looking maps and the ship-removed maps.
2.2.1. Mitigation of Speckle Noise and Land Masking
2.2.2. Generation of the Input Layer
2.2.3. Artificial Neural Network (ANN)
2.2.4. Support Vector Machine (SVM)
2.2.5. Training and Validation Data
2.2.6. Accuracy Assessment
3. Results
4. Discussion
5. Conclusions
Author Contributions
Funding
Acknowledgments
Conflicts of Interest
References
- Khesali, E.; Enayati, H.; Modiri, M.; Aref, M.M. Automatic ship detection in Single-Pol SAR Images using texture features in artificial neural networks. Int. Arch. Photogramm. Remote. Sens. Spat. Inf. Sci. 2015, 40, 395–399. [Google Scholar] [CrossRef]
- Franceschetti, G.; Lanari, R. Synthetic Aperture Radar Processing; CRC press: Boca Raton, FL, USA, 2018; ISBN 0-8493-7899-0. [Google Scholar]
- Askari, F.; Zerr, B. Automatic Approach to Ship Detection in Spaceborne Synthetic Aperture Radar Imagery: An Assessment of Ship Detection Capability Using RADARSAT; Technical Report SACLANTCEN-SR-338; SACLANT Undersea Research Centre: La Spezia, Italy, 2000. [Google Scholar]
- Corbane, C.; Najman, L.; Pecoul, E.; Demagistri, L.; Petit, M. A complete processing chain for ship detection using optical satellite imagery. Int. J. Remote Sens. 2010, 31, 5837–5854. [Google Scholar] [CrossRef]
- Zhu, C.; Zhou, H.; Wang, R.; Guo, J. A novel hierarchical method of ship detection from spaceborne optical image based on shape and texture features. IEEE Trans. Geosci. Remote Sens. 2010, 48, 3446–3456. [Google Scholar] [CrossRef]
- Shi, Z.; Yu, X.; Jiang, Z.; Li, B. Ship detection in high-resolution optical imagery based on anomaly detector and local shape feature. IEEE Trans. Geosci. Remote Sens. 2014, 52, 4511–4523. [Google Scholar] [CrossRef]
- Corbane, C.; Marre, F.; Petit, M. Using SPOT-5 HRG data in panchromatic mode for operational detection of small ships in tropical area. Sensors 2008, 8, 2959–2973. [Google Scholar] [CrossRef] [PubMed]
- Corbane, C.; Pecoul, E.; Demagistri, L.; Petit, M. Fully automated procedure for ship detection using optical satellite imagery. In Proceedings of the SPIE 7150, Remote Sensing of Inland, Coastal, and Oceanic Waters, Noumea, New Caledonia, 17–21 November 2008. [Google Scholar] [CrossRef]
- Jubelin, G.; Khenchaf, A. Multiscale algorithm for ship detection in mid, high and very high resolution optical imagery. In Proceedings of the 2014 IEEE Geoscience and Remote Sensing Symposium (IGARSS), Quebec City, QC, Canada, 13–18 July 2014. [Google Scholar] [CrossRef]
- di Bisceglie, M.; Galdi, C. CFAR detection of extended objects in high-resolution SAR images. IEEE Trans. Geosci. Remote Sens. 2005, 43, 833–843. [Google Scholar] [CrossRef]
- Gao, G. A parzen-window-kernel-based CFAR algorithm for ship detection in SAR images. IEEE Geosci. Remote Sens. Lett. 2011, 8, 557–561. [Google Scholar] [CrossRef]
- Habib, M.A.; Barkat, M.; Aissa, B.; Denidni, T.A. Ca-cfar detection performance of radar targets embedded in “non centered chi-2 gamma” clutter. Electromagn. Res. 2008, 88, 135–148. [Google Scholar] [CrossRef]
- Cui, Y.; Zhou, G.; Yang, J.; Yamaguchi, Y. On the iterative censoring for target detection in SAR images. IEEE Geosci. Remote. Sens. Lett. 2011, 8, 641–645. [Google Scholar] [CrossRef]
- Lee, Y.K.; Kim, S.W.; Ryu, J.H. Report of Wave Glider Detecting by KOMPSAT-5 Spotlight Mode SAR Image. Korean J. Remote. Sens. 2018, 34, 431–437. [Google Scholar] [CrossRef]
- Liu, C.; Vachon, P.; Geling, G. Improved ship detection with airborne polarimetric SAR data. Can. J. Remote Sens. 2005, 31, 122–131. [Google Scholar] [CrossRef]
- Hannevik, T.N.A. Multi-channel and multi-polarisation ship detection. In Proceedings of the 2012 IEEE International Geoscience and Remote Sensing Symposium (IGARSS), Munich, Germany, 22–27 July 2012. [Google Scholar]
- Gao, G.; Shi, G.; Zhou, S. Ship detection in high-resolution dual-polarization SAR amplitude images. Int. J. Antennas Propag. 2013, 2013. [Google Scholar] [CrossRef]
- Crisp, D.J. A ship detection system for RADARSAT-2 dual-pol multi-look imagery implemented in the ADSS. In Proceedings of the 2013 International Conference on Radar (Radar), Adelaide, Australia, 9–12 September 2013. [Google Scholar]
- Wei, J.; Li, P.; Yang, J.; Zhang, J.; Lang, F. A New Automatic Ship Detection Method Using L -Band Polarimetric SAR Imagery. IEEE J. Sel. Top. Appl. Earth Obs. 2014, 7, 1383–1393. [Google Scholar] [CrossRef]
- Zakhvatkina, N.; Korosov, A.; Muckenhuber, S.; Sandven, S.; Babiker, M. Operational algorithm for ice–water classification on dual-polarized RADARSAT-2 images. Cryosphere 2017, 11, 33. [Google Scholar] [CrossRef]
- Kang, M.; Ji, K.; Leng, X.; Lin, Z. Contextual region-based convolutional neural network with multilayer fusion for SAR ship detection. Remote Sens. 2017, 9, 860. [Google Scholar] [CrossRef]
- Wagner, S.A. SAR ATR by a combination of convolutional neural network and support vector machines. IEEE Trans. Aerosp. Electron. Syst. 2016, 52, 2861–2872. [Google Scholar] [CrossRef]
- Bentes, C.; Velotto, D.; Tings, B. Ship Classification in TerraSAR-X Images with Convolutional Neural Networks. IEEE J. Ocean. Eng. 2017, 43, 258–266. [Google Scholar] [CrossRef]
- Hwang, J.I.; Chae, S.H.; Kim, D.; Jung, H.S. Application of Artificial Neural Networks to Ship Detection from X-Band Kompsat-5 Imagery. Appl. Sci. 2017, 7, 961. [Google Scholar] [CrossRef]
- Mas, J.F.; Flores, J.J. The application of artificial neural networks to the analysis of remotely sensed data. Int. J. Remote Sens. 2008, 29, 617–663. [Google Scholar] [CrossRef]
- Kavzoglu, T. Increasing the accuracy of neural network classification using refined training data. Environ. Model. Softw. 2009, 24, 850–858. [Google Scholar] [CrossRef]
- Eineder, M.; Fritz, T.; Mittermayer, J.; Roth, A.; Boerner, E.; Breit, H. TerraSAR-X Ground Segment, Basic Product Specification Document; Cluster Applied Remote Sensing (Caf): Oberpfaffenhofen, Germany, 2008. [Google Scholar]
- Martinez, A.; Marchand, J.L. SAR image quality assessment. Rev. De Teledeteccin 1993, 2, 12–18. [Google Scholar]
- Eldhuset, K. An automatic ship and ship wake detection system for spaceborne SAR images in coastal regions. IEEE Trans. Geosci. Remote Sens. 1996, 34, 1010–1019. [Google Scholar] [CrossRef]
- Reigber, A.; Ferro-Famil, L. Interference suppression in synthesized SAR images. IEEE Geosci. Remote Sens. Lett. 2005, 2, 45–49. [Google Scholar] [CrossRef]
- ISA. COSMO-SkyMed Mission and Products Description; Italian Space Agency (ISA): Rome, Italy, 31 May 2016.
- KARI. KOMPSAT-5 PRODUCT SPECIFICATIONS Standard Products Specifications, Korea Aerospace Research Institute (KARI); KARI: Daejeon, Korea, July 2015. [Google Scholar]
- DLR. TerraSAR-X Ground Segment Basic Product Specification Document; The German Aerospace Center (DLR): Cologne, Germany, 24 February 2008.
- Gagnon, L.; Jouan, A. Speckle filtering of SAR images: A comparative study between complex-wavelet-based and standard filters. In Proceedings of the SPIE, Wavelet Applications in Signal and Image Processing V, Optical Science, Engineering and Instrumentation, San Diego, CA, USA, 30 July–1 August 1997; Volume 3169, pp. 80–92. [Google Scholar] [CrossRef]
- Sheng, Y.; Xia, Z.-G. A comprehensive evaluation of filters for radar speckle suppression. In Proceedings of the 1996 International Geoscience and Remote Sensing Symposium, Remote Sensing for a Sustainable Future, Lincoln, NE, USA, 27–31 May 1996. [Google Scholar]
- Lee, J.-S.; Grunes, M.R.; De Grandi, G. Polarimetric SAR speckle filtering and its implication for classification. IEEE Trans. Geosci. Remote Sens. 1999, 37, 2363–2373. [Google Scholar] [CrossRef]
- Lee, J.-S. Digital image enhancement and noise filtering by use of local statistics. IEEE Trans. Pattern Anal. Mach. Intell. 1980, 2, 165–168. [Google Scholar] [CrossRef] [PubMed]
- Frost, V.S.; Stiles, J.A.; Shanmugan, K.S.; Holtzman, J.C. A model for radar images and its application to adaptive digital filtering of multiplicative noise. IEEE Trans. Pattern Anal. Mach. Intell. 1982, 4, 157–166. [Google Scholar] [CrossRef] [PubMed]
- Lopes, A.; Nezry, E.; Touzi, R.; Laur, H. Structure detection and statistical adaptive speckle filtering in SAR images. Int. J. Remote Sens. 1993, 14, 1735–1758. [Google Scholar] [CrossRef]
- Saur, G.; Estable, S.; Zielinski, K.; Knabe, S.; Teutsch, M.; Gabel, M. Detection and classification of man-made offshore objects in terrasar-x and rapideye imagery: Selected results of the demarine-deko project. In Proceedings of the IEEE OCEANS 2011, Santander, Spain, 6–9 June 2011. [Google Scholar]
- Hwang, J.; Kim, D.; Jung, H.S. An efficient ship detection method for KOMPSAT-5 synthetic aperture radar imagery based on adaptive filtering approach. Korean J. Remote Sens. 2017, 33, 89–95. [Google Scholar] [CrossRef]
- Kim, S.W.; Kim, D.H.; Lee, Y.K. Operational Ship Monitoring Based on Integrated Analysis of KOMPSAT-5 SAR and AIS Data. Korean J. Remote Sens. 2018, 34, 327–338. [Google Scholar] [CrossRef]
- Brusch, S.; Lehner, S.; Fritz, T.; Soccorsi, M.; Soloviev, A.; van Schie, B. Ship surveillance with TerraSAR-X. IEEE Trans. Geosci. Remote Sens. 2011, 49, 1092–1103. [Google Scholar] [CrossRef]
- Ao, W.; Xu, F.; Li, Y.; Wang, H. Detection and Discrimination of Ship Targets in Complex Background From Spaceborne ALOS-2 SAR Images. IEEE J. Sel. Top. Appl. Earth Obs. 2018, 11, 536–550. [Google Scholar] [CrossRef]
- Margarit, G.; Tabasco, A. Ship classification in single-pol SAR images based on fuzzy logic. IEEE Trans. Geosci. Remote Sens. 2011, 49, 3129–3138. [Google Scholar] [CrossRef]
- Bae, J.; Yang, C.S. Land Masking Methods of Sentinel-1 SAR Imagery for Ship Detection Considering Coastline Changes and Noise. Korean J. Remote Sens. 2017, 33, 437–444. [Google Scholar] [CrossRef]
- Liao, P.-S.; Chen, T.-S.; Chung, P.-C. A fast algorithm for multilevel thresholding. J. Inf. Sci. Eng. 2001, 17, 713–727. [Google Scholar]
- McCulloch, W.S.; Pitts, W. A logical calculus of the ideas immanent in nervous activity. Bull. Math. Biophys. 1943, 5, 115–133. [Google Scholar] [CrossRef]
- Jain, A.K.; Mao, J.; Mohiuddin, K.M. Artificial neural networks: A tutorial. Computer 1996, 29, 31–44. [Google Scholar] [CrossRef]
- Basheer, I.A.; Hajmeer, M. Artificial neural networks: Fundamentals, computing, design, and application. J. Microbiol. Methods 2000, 43, 3–31. [Google Scholar] [CrossRef]
- Cortes, C.; Vapnik, V. Support-vector networks. Mach. Learn. 1995, 20, 273–297. [Google Scholar] [CrossRef]
- Chen, P.H.; Lin, C.J.; Schölkopf, B. A tutorial on ν-support vector machines. Appl. Stoch. Model. Bus. Ind. 2005, 21, 111–136. [Google Scholar] [CrossRef]
- Hsu, C.W.; Chang, C.C.; Lin, C.-J. A Practical Guide to Support Vector Classification. 2003. Available online: https://bit.ly/2QBdXU8 (accessed on 13 November 2018).
- Chang, C.-C.; Lin, C.-J. Libsvm: A library for support vector machines. ACM Trans. Intell. Syst. Technol. 2011, 2, 1–27. [Google Scholar] [CrossRef]
- Kirscht, M. Detection and imaging of arbitrarily moving targets with single-channel SAR. In Proceedings of the IEE Radar, Sonar and Navigation, Edinburgh, UK, 15–17 October 2002; Volume 150, pp. 7–11. [Google Scholar] [CrossRef]
- Osman, H.; Blostein, S.D. Probabilistic winner-take-all segmentation of images with application to ship detection. IEEE Trans. Syst. Man Cybern. B Cybern. 2000, 30, 485–490. [Google Scholar] [CrossRef] [PubMed]
- Wang, C.; Bi, F.; Zhang, W.; Chen, L. An Intensity-Space Domain CFAR Method for Ship Detection in HR SAR Images. IEEE Geosci. Remote. Sens. Lett. 2017, 14, 529–533. [Google Scholar] [CrossRef]












| COSMO-SkyMed | KOMPSAT-5 | TerraSAR-X | |
|---|---|---|---|
| Imaging mode | StripMap (HIMAGE) | StripMap (ES *) | StripMap |
| Polarization | HH | HH | HH */VV |
| Incidence angle (deg.) | 38.74 | 23.93 | 39.71 |
| Pixel spacing in Az × Rg * (m) | 2.1 × 2.1 | 1.6 × 1.9 | 2.4 × 1.4 |
| Nominal resolution in Az × Rg (m) | 2.7 × 2.7 | 2.5 × 2.3 | 5.6 × 1.6 |
| PSLR (peak side lobe ratio) | ≤−22 dB [31] | ≤−20 dB [32] | −25 dB [33] |
| Acquisition Time (day/month/year) | 17/02/2012 | 14/07/2016 | 07/05/2010 |
| Orbit | Ascending | Ascending | Ascending |
| Parameters | Values | |
|---|---|---|
| The number of | Input layer | 2 |
| Hidden layers | 4 | |
| Output layer | 1 | |
| Training algorithm | Backpropagation | |
| Activation function | sigmoid | |
| Learning rate | 0.01 | |
| Epoch (cycle) | 2000 | |
| Data | Kernel Type | C (C-SVC) | Kernel Width (γ) |
|---|---|---|---|
| COSMO-SkyMed | RBF | 8 | 0.0625 |
| KOMPSAT-5 | RBF | 8 | 0.125 |
| TerraSAR-X | RBF | 8 | 0.0625 |
| No. of Ship Objects | Ground-Truth | Training |
|---|---|---|
| COSMO-SkyMed | 71 | 26 |
| KOMPSAT-5 | 40 | 25 |
| TerraSAR-X | 88 | 41 |
| Data | Threshold | Recall (%) | Precision (%) | False Detection Rate (%) | ||||
|---|---|---|---|---|---|---|---|---|
| COSMO-SkyMed | ANN | 0.74 | 71 | 63 | 59 | 83.10 | 93.65 | 6.35 |
| SVM | 0.62 | 71 | 79 | 68 | 95.77 | 86.08 | 13.92 | |
| KOMPSAT-5 | ANN | 0.72 | 40 | 42 | 38 | 95.00 | 90.48 | 9.52 |
| SVM | 0.71 | 40 | 40 | 39 | 97.50 | 97.50 | 2.50 | |
| TerraSAR-X | ANN | 0.66 | 88 | 92 | 81 | 92.05 | 88.04 | 11.96 |
| SVM | 0.65 | 88 | 90 | 80 | 90.91 | 88.89 | 11.11 |
© 2018 by the authors. Licensee MDPI, Basel, Switzerland. This article is an open access article distributed under the terms and conditions of the Creative Commons Attribution (CC BY) license (http://creativecommons.org/licenses/by/4.0/).
Share and Cite
Hwang, J.-I.; Jung, H.-S. Automatic Ship Detection Using the Artificial Neural Network and Support Vector Machine from X-Band Sar Satellite Images. Remote Sens. 2018, 10, 1799. https://doi.org/10.3390/rs10111799
Hwang J-I, Jung H-S. Automatic Ship Detection Using the Artificial Neural Network and Support Vector Machine from X-Band Sar Satellite Images. Remote Sensing. 2018; 10(11):1799. https://doi.org/10.3390/rs10111799
Chicago/Turabian StyleHwang, Jeong-In, and Hyung-Sup Jung. 2018. "Automatic Ship Detection Using the Artificial Neural Network and Support Vector Machine from X-Band Sar Satellite Images" Remote Sensing 10, no. 11: 1799. https://doi.org/10.3390/rs10111799
APA StyleHwang, J.-I., & Jung, H.-S. (2018). Automatic Ship Detection Using the Artificial Neural Network and Support Vector Machine from X-Band Sar Satellite Images. Remote Sensing, 10(11), 1799. https://doi.org/10.3390/rs10111799

