Temporal Changes in Functional and Structural Neuronal Activities in Auditory System in Non-Severe Blast-Induced Tinnitus
Abstract
1. Introduction
2. Materials and Methods
2.1. Animals
2.2. Blast Exposure
2.3. Sodium Salicylate-Induced Tinnitus (SSIT)
2.4. Acoustic Startle Response (ASR)
2.5. Auditory Brainstem Response (ABR)
2.6. Immunohistochemistry
2.7. Image Acquisition and Quantification
2.8. Animal Behavioral Tests
Elevated Plus Maze (EPM)
2.9. Sleep Studies
2.10. Statistical Analysis
3. Results
3.1. Blast Alters Acoustic Startle Responses
3.2. Blast Increases Thresholds of Auditory Brainstem Responses
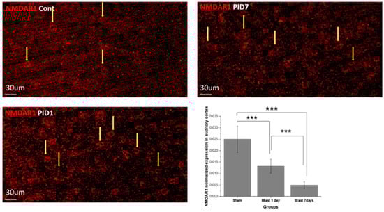
3.3. Blast Effect on Neurotransmitter Receptors and Synaptic Proteins in Auditory Cortex
3.4. Increased Anxiety Revealed by EPM
3.5. Altered Sleep Pattern after Blast
4. Discussion
4.1. Tinnitus-like Symptom and Hyperacusis after Blast
4.2. Shock Wave Caused Severe and Sustained Functional Injury in the Neuronal Circuit between Cochlea and Inferior Colliculus in High-Frequency Processing
4.3. Acute Astrocytic Response and Metabolic Changes after Blast
4.4. Neurotransmitter Receptor Alters Acute Imbalance in Blast TBI
4.5. Chronic Sleep Deficits and Increased Anxiety after Blast
5. Conclusions
Author Contributions
Funding
Institutional Review Board Statement
Informed Consent Statement
Data Availability Statement
Acknowledgments
Conflicts of Interest
References
- Cave, K.M.; Cornish, E.M.; Chandler, D.W. Blast injury of the ear: Clinical update from the global war on terror. Mil. Med. 2007, 172, 726–730. [Google Scholar] [CrossRef] [PubMed]
- Singh, A.K.; Ditkofsky, N.G.; York, J.D.; Abujudeh, H.H.; Avery, L.A.; Brunner, J.F.; Sodickson, A.D.; Lev, M.H. Blast Injuries: From Improvised Explosive Device Blasts to the Boston Marathon Bombing. Radiographics 2016, 36, 295–307. [Google Scholar] [CrossRef]
- Swan, A.A.; Nelson, J.T.; Swiger, B.; Jaramillo, C.A.; Eapen, B.C.; Packer, M.; Pugh, M.J. Prevalence of hearing loss and tinnitus in Iraq and Afghanistan Veterans: A Chronic Effects of Neurotrauma Consortium study. Hear. Res. 2017, 349, 4–12. [Google Scholar] [CrossRef] [PubMed]
- Remenschneider, A.K.; Lookabaugh, S.; Aliphas, A.; Brodsky, J.R.; Devaiah, A.K.; Dagher, W.; Grundfast, K.M.; Heman-Ackah, S.E.; Rubin, S.; Sillman, J.; et al. Otologic outcomes after blast injury: The Boston Marathon experience. Otol. Neurotol. 2014, 35, 1825–1834. [Google Scholar] [CrossRef] [PubMed]
- Metzger, K.; Akram, H.; Feldt, B.; Stone, K.; Alvey, S.; Henley, S.; Hernandez, A.; Melville, S.; Haywood, T.; Zane, D. Epidemiologic Investigation of Injuries Associated With the 2013 Fertilizer Plant Explosion in West, Texas. Disaster Med. Public Health Prep. 2016, 10, 583–590. [Google Scholar] [CrossRef] [PubMed]
- Tan, C.M.; Lecluyse, W.; McFerran, D.; Meddis, R. Tinnitus and patterns of hearing loss. J. Assoc. Res. Otolaryngol. 2013, 14, 275–282. [Google Scholar] [CrossRef] [PubMed]
- Fausti, S.A.; Wilmington, D.J.; Gallun, F.J.; Myers, P.J.; Henry, J.A. Auditory and vestibular dysfunction associated with blast-related traumatic brain injury. J. Rehabil. Res. Dev. 2009, 46, 797–810. [Google Scholar] [CrossRef] [PubMed]
- Zhang, J. Blast-induced tinnitus: Animal models. J. Acoust. Soc. Am. 2019, 146, 3811. [Google Scholar] [CrossRef] [PubMed]
- Gan, R.Z.; Nakmali, D.; Ji, X.D.; Leckness, K.; Yokell, Z. Mechanical damage of tympanic membrane in relation to impulse pressure waveform—A study in chinchillas. Hear. Res. 2016, 340, 25–34. [Google Scholar] [CrossRef] [PubMed]
- Niwa, K.; Mizutari, K.; Matsui, T.; Kurioka, T.; Matsunobu, T.; Kawauchi, S.; Satoh, Y.; Sato, S.; Shiotani, A.; Kobayashi, Y. Pathophysiology of the inner ear after blast injury caused by laser-induced shock wave. Sci. Rep. 2016, 6, 31754. [Google Scholar] [CrossRef]
- Wu, J.; Liu, B.; Fan, J.; Zhu, Q.; Wu, J. Study of protective effect on rat cochlear spiral ganglion after blast exposure by adenovirus-mediated human beta-nerve growth factor gene. Am. J. Otolaryngol. 2011, 32, 8–12. [Google Scholar] [CrossRef]
- Luo, H.; Pace, E.; Zhang, J. Blast-induced tinnitus and hyperactivity in the auditory cortex of rats. Neuroscience 2017, 340, 515–520. [Google Scholar] [CrossRef] [PubMed]
- Luo, H.; Pace, E.; Zhang, X.; Zhang, J. Blast-induced tinnitus and spontaneous activity changes in the rat inferior colliculus. Neurosci. Lett. 2014, 580, 47–51. [Google Scholar] [CrossRef] [PubMed]
- Mao, J.C.; Pace, E.; Pierozynski, P.; Kou, Z.; Shen, Y.; VandeVord, P.; Haacke, E.M.; Zhang, X.; Zhang, J. Blast-induced tinnitus and hearing loss in rats: Behavioral and imaging assays. J. Neurotrauma 2012, 29, 430–444. [Google Scholar] [CrossRef] [PubMed]
- Ouyang, J.; Pace, E.; Lepczyk, L.; Kaufman, M.; Zhang, J.; Perrine, S.A.; Zhang, J. Blast-Induced Tinnitus and Elevated Central Auditory and Limbic Activity in Rats: A Manganese-Enhanced MRI and Behavioral Study. Sci. Rep. 2017, 7, 4852. [Google Scholar] [CrossRef] [PubMed]
- Kallakuri, S.; Pace, E.; Lu, H.; Luo, H.; Cavanaugh, J.; Zhang, J. Time course of blast-induced injury in the rat auditory cortex. PLoS ONE 2018, 13, e0193389. [Google Scholar] [CrossRef] [PubMed]
- Simonetti, P.; Oiticica, J. Tinnitus Neural Mechanisms and Structural Changes in the Brain: The Contribution of Neuroimaging Research. Int. Arch. Otorhinolaryngol. 2015, 19, 259–265. [Google Scholar] [CrossRef][Green Version]
- Chen, G.D.; Radziwon, K.E.; Kashanian, N.; Manohar, S.; Salvi, R. Salicylate-induced auditory perceptual disorders and plastic changes in nonclassical auditory centers in rats. Neural. Plast. 2014, 2014, 658741. [Google Scholar] [CrossRef] [PubMed]
- Lobarinas, E.; Yang, G.; Sun, W.; Ding, D.; Mirza, N.; Dalby-Brown, W.; Hilczmayer, E.; Fitzgerald, S.; Zhang, L.; Salvi, R. Salicylate- and quinine-induced tinnitus and effects of memantine. Acta Oto-Laryngol. 2006, 126 (Suppl. 556), 13–19. [Google Scholar] [CrossRef]
- Stolzberg, D.; Salvi, R.J.; Allman, B.L. Salicylate toxicity model of tinnitus. Front. Syst. Neurosci. 2012, 6, 28. [Google Scholar] [CrossRef] [PubMed]
- Yang, G.; Lobarinas, E.; Zhang, L.; Turner, J.; Stolzberg, D.; Salvi, R.; Sun, W. Salicylate induced tinnitus: Behavioral measures and neural activity in auditory cortex of awake rats. Hear. Res. 2007, 226, 244–253. [Google Scholar] [CrossRef] [PubMed]
- Kakehata, S.; Santos-Sacchi, J. Effects of salicylate and lanthanides on outer hair cell motility and associated gating charge. J. Neurosci. 1996, 16, 4881–4889. [Google Scholar] [CrossRef] [PubMed]
- Muller, M.; Klinke, R.; Arnold, W.; Oestreicher, E. Auditory nerve fibre responses to salicylate revisited. Hear. Res. 2003, 183, 37–43. [Google Scholar] [CrossRef]
- Su, Y.Y.; Luo, B.; Wang, H.T.; Chen, L. Differential effects of sodium salicylate on current-evoked firing of pyramidal neurons and fast-spiking interneurons in slices of rat auditory cortex. Hear. Res. 2009, 253, 60–66. [Google Scholar] [CrossRef] [PubMed]
- Shao, N.; Jiang, S.; Younger, D.; Chen, T.; Brown, M.; Rao, K.V.R.; Skotak, M.; Gan, R.Z.; Chandra, N. Central and peripheral auditory abnormalities in chinchilla animal model of blast-injury. Hear. Res. 2021, 407, 108273. [Google Scholar] [CrossRef]
- Rama Rao, K.V.; Iring, S.; Younger, D.; Kuriakose, M.; Skotak, M.; Alay, E.; Gupta, R.K.; Chandra, N. A Single Primary Blast-Induced Traumatic Brain Injury in a Rodent Model Causes Cell-Type Dependent Increase in Nicotinamide Adenine Dinucleotide Phosphate Oxidase Isoforms in Vulnerable Brain Regions. J. Neurotrauma 2018, 35, 2077–2090. [Google Scholar] [CrossRef] [PubMed]
- Kuriakose, M.; Skotak, M.; Misistia, A.; Kahali, S.; Sundaramurthy, A.; Chandra, N. Tailoring the Blast Exposure Conditions in the Shock Tube for Generating Pure, Primary Shock Waves: The End Plate Facilitates Elimination of Secondary Loading of the Specimen. PLoS ONE 2016, 11, e0161597. [Google Scholar] [CrossRef]
- Skotak, M.; Alay, E.; Chandra, N. On the Accurate Determination of Shock Wave Time-Pressure Profile in the Experimental Models of Blast-Induced Neurotrauma. Front. Neurol. 2018, 9, 52. [Google Scholar] [CrossRef] [PubMed]
- Dehmel, S.; Eisinger, D.; Shore, S.E. Gap prepulse inhibition and auditory brainstem-evoked potentials as objective measures for tinnitus in guinea pigs. Front. Syst. Neurosci. 2012, 6, 42. [Google Scholar] [CrossRef]
- Schilling, A.; Krauss, P.; Gerum, R.; Metzner, C.; Tziridis, K.; Schulze, H. A New Statistical Approach for the Evaluation of Gap-prepulse Inhibition of the Acoustic Startle Reflex (GPIAS) for Tinnitus Assessment. Front. Behav. Neurosci. 2017, 11, 198. [Google Scholar] [CrossRef] [PubMed]
- Yoder, R.M.; Pang, K.C. Involvement of GABAergic and cholinergic medial septal neurons in hippocampal theta rhythm. Hippocampus 2005, 15, 381–392. [Google Scholar] [CrossRef] [PubMed]
- Paxinos, G.; Watson, C. The Rat Brain in Stereotaxic Coordinates, 4th ed.; Academic Press: Cambridge, MA, USA, 1998. [Google Scholar]
- Qu, T.; Qi, Y.; Yu, S.; Du, Z.; Wei, W.; Cai, A.; Wang, J.; Nie, B.; Liu, K.; Gong, S. Dynamic Changes of Functional Neuronal Activities Between the Auditory Pathway and Limbic Systems Contribute to Noise-Induced Tinnitus with a Normal Audiogram. Neuroscience 2019, 408, 31–45. [Google Scholar] [CrossRef]
- Zhang, L.; Wu, C.; Martel, D.T.; West, M.; Sutton, M.A.; Shore, S.E. Remodeling of cholinergic input to the hippocampus after noise exposure and tinnitus induction in Guinea pigs. Hippocampus 2019, 29, 669–682. [Google Scholar] [CrossRef] [PubMed]
- Pace, E.; Luo, H.; Bobian, M.; Panekkad, A.; Zhang, X.; Zhang, H.; Zhang, J. A Conditioned Behavioral Paradigm for Assessing Onset and Lasting Tinnitus in Rats. PLoS ONE 2016, 11, e0166346. [Google Scholar] [CrossRef] [PubMed]
- Mhatre, A.N.; Tajudeen, B.; Welt, E.M.; Wartmann, C.; Long, G.R.; Lalwani, A.K. Temporary reduction of distortion product otoacoustic emissions (DPOAEs) immediately following auditory brainstem response (ABR). Hear. Res. 2010, 269, 180–185. [Google Scholar] [CrossRef] [PubMed]
- Zhang, S.J.; Zhang, X.; Liang, Y.; Yue, Z.L. Effect of sildenafil on ABR thresholds shift to noise-induced hearing loss in guinea pigs. Zhonghua Er Bi Yan Hou Tou Jing Wai Ke Za Zhi 2011, 46, 844–847. [Google Scholar]
- Peacock, J.; Al Hussaini, M.; Greene, N.T.; Tollin, D.J. Intracochlear pressure in response to high intensity, low frequency sounds in chinchilla. Hear. Res. 2018, 367, 213–222. [Google Scholar] [CrossRef] [PubMed]
- Yokoi, H.; Yanagita, N. Blast injury to sensory hairs: A study in the guinea pig using scanning electron microscopy. Arch. Otorhinolaryngol. 1984, 240, 263–270. [Google Scholar] [CrossRef] [PubMed]
- Karve, I.P.; Taylor, J.M.; Crack, P.J. The contribution of astrocytes and microglia to traumatic brain injury. Br. J. Pharmacol. 2016, 173, 692–702. [Google Scholar] [CrossRef]
- Fehily, B.; Fitzgerald, M. Repeated Mild Traumatic Brain Injury: Potential Mechanisms of Damage. Cell Transplant. 2017, 26, 1131–1155. [Google Scholar] [CrossRef] [PubMed]
- Zou, F.; Xu, J.; Fu, H.; Cao, J.; Mao, H.; Gong, M.; Cui, G.; Zhang, Y.; Shi, W.; Chen, J. Different functions of HIPK2 and CtBP2 in traumatic brain injury. J. Mol. Neurosci. 2013, 49, 395–408. [Google Scholar] [CrossRef] [PubMed]
- Stovell, M.G.; Mada, M.O.; Helmy, A.; Carpenter, T.A.; Thelin, E.P.; Yan, J.L.; Guilfoyle, M.R.; Jalloh, I.; Howe, D.J.; Grice, P.; et al. The effect of succinate on brain NADH/NAD(+) redox state and high energy phosphate metabolism in acute traumatic brain injury. Sci. Rep. 2018, 8, 11140. [Google Scholar] [CrossRef] [PubMed]
- Guerriero, R.M.; Giza, C.C.; Rotenberg, A. Glutamate and GABA imbalance following traumatic brain injury. Curr. Neurol. Neurosci. Rep. 2015, 15, 27. [Google Scholar] [CrossRef] [PubMed]
- Duclos, C.; Dumont, M.; Wiseman-Hakes, C.; Arbour, C.; Mongrain, V.; Gaudreault, P.O.; Khoury, S.; Lavigne, G.; Desautels, A.; Gosselin, N. Sleep and wake disturbances following traumatic brain injury. Pathol. Biol. 2014, 62, 252–261. [Google Scholar] [CrossRef] [PubMed]
- Macera, C.A.; Aralis, H.J.; Rauh, M.J.; MacGregor, A.J. Do sleep problems mediate the relationship between traumatic brain injury and development of mental health symptoms after deployment? Sleep 2013, 36, 83–90. [Google Scholar] [CrossRef] [PubMed]













Disclaimer/Publisher’s Note: The statements, opinions and data contained in all publications are solely those of the individual author(s) and contributor(s) and not of MDPI and/or the editor(s). MDPI and/or the editor(s) disclaim responsibility for any injury to people or property resulting from any ideas, methods, instructions or products referred to in the content. |
© 2023 by the authors. Licensee MDPI, Basel, Switzerland. This article is an open access article distributed under the terms and conditions of the Creative Commons Attribution (CC BY) license (https://creativecommons.org/licenses/by/4.0/).
Share and Cite
Shao, N.; Skotak, M.; Pendyala, N.; Rodriguez, J.; Ravula, A.R.; Pang, K.; Perumal, V.; Rao, K.V.R.; Chandra, N. Temporal Changes in Functional and Structural Neuronal Activities in Auditory System in Non-Severe Blast-Induced Tinnitus. Medicina 2023, 59, 1683. https://doi.org/10.3390/medicina59091683
Shao N, Skotak M, Pendyala N, Rodriguez J, Ravula AR, Pang K, Perumal V, Rao KVR, Chandra N. Temporal Changes in Functional and Structural Neuronal Activities in Auditory System in Non-Severe Blast-Induced Tinnitus. Medicina. 2023; 59(9):1683. https://doi.org/10.3390/medicina59091683
Chicago/Turabian StyleShao, Ningning, Maciej Skotak, Navya Pendyala, Jose Rodriguez, Arun Reddy Ravula, Kevin Pang, Venkatesan Perumal, Kakulavarapu V. Rama Rao, and Namas Chandra. 2023. "Temporal Changes in Functional and Structural Neuronal Activities in Auditory System in Non-Severe Blast-Induced Tinnitus" Medicina 59, no. 9: 1683. https://doi.org/10.3390/medicina59091683
APA StyleShao, N., Skotak, M., Pendyala, N., Rodriguez, J., Ravula, A. R., Pang, K., Perumal, V., Rao, K. V. R., & Chandra, N. (2023). Temporal Changes in Functional and Structural Neuronal Activities in Auditory System in Non-Severe Blast-Induced Tinnitus. Medicina, 59(9), 1683. https://doi.org/10.3390/medicina59091683

