Sign in to use this feature.

Years

Between: -

Subjects

remove_circle_outline
remove_circle_outline
remove_circle_outline
remove_circle_outline
remove_circle_outline
remove_circle_outline
remove_circle_outline
remove_circle_outline
remove_circle_outline

Journals

remove_circle_outline
remove_circle_outline
remove_circle_outline
remove_circle_outline
remove_circle_outline
remove_circle_outline
remove_circle_outline
remove_circle_outline
remove_circle_outline
remove_circle_outline

Article Types

Countries / Regions

remove_circle_outline
remove_circle_outline
remove_circle_outline

Search Results (584)

Search Parameters:
Keywords = effective roughness scale

Order results
Result details
Results per page
Select all
Export citation of selected articles as:
25 pages, 10433 KB  
Article
Comparison of Microstructure and Mechanical Properties of Ti65 Alloy Prepared by Micro and Conventional Laser Powder Bed Fusion
by Yuan Meng, Jinjun Wu, Zhenghao Xu, Xianglong Wang and Xiaoyu Chen
Metals 2026, 16(4), 419; https://doi.org/10.3390/met16040419 (registering DOI) - 12 Apr 2026
Abstract
The demand for miniaturized high-temperature components necessitates advanced additive manufacturing techniques, yet the microstructural and mechanical consequences of scaling down the laser powder bed fusion (LPBF) process remain poorly understood. In this study, we systematically investigate the scaling effects of micro laser powder [...] Read more.
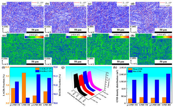
The demand for miniaturized high-temperature components necessitates advanced additive manufacturing techniques, yet the microstructural and mechanical consequences of scaling down the laser powder bed fusion (LPBF) process remain poorly understood. In this study, we systematically investigate the scaling effects of micro laser powder bed fusion (μ-LPBF) versus conventional LPBF on the phase transformation kinetics and performance of the near-α Ti65 alloy. Results demonstrate that μ-LPBF significantly enhances surface integrity, reducing the arithmetic mean roughness (Ra) by 59.5%. Microstructural characterization reveals that the extreme cooling rates intrinsic to the microscale melt pool induce a massive refinement of hierarchical α′ martensite and promote a highly randomized variant selection. Consequently, the strong building-direction crystallographic texture typical of LPBF is substantially weakened, and the proportion of high-angle grain boundaries increases to 91.6%. This microstructural homogenization effectively mitigates mechanical anisotropy, reducing the directional variance in the Schmid factor by 35%. In terms of mechanical properties, μ-LPBF demonstrates exceptional strengthening at both room temperature and 600 °C, achieving a room-temperature yield strength of 1297 MPa and an ultimate tensile strength of 1514 MPa, which represent increases of 16.5% and 8.6%, respectively, compared to those of conventional LPBF. These findings provide critical insights into defect suppression and multiscale microstructural control under extreme thermal gradients, paving the way for the fabrication of isotropic, high-strength micro devices. Full article
Show Figures

Figure 1

16 pages, 5345 KB  
Article
Precise Pressure Control for Screw Extrusion 3D Printing of PP-GF Composites Based on Inverse Model Feedforward and Variable Structure Feedback
by Yunlong Ma, Xiping Li, Nan Ma, Youqiang Yao, Sisi Wang and Zhonglue Hu
Materials 2026, 19(7), 1453; https://doi.org/10.3390/ma19071453 - 5 Apr 2026
Viewed by 206
Abstract
Addressing challenges such as the non-Newtonian fluid characteristics of melt, significant system hysteresis, and rheological thermal drift in large-scale glass fiber-reinforced polypropylene (PP-GF) screw-extrusion additive manufacturing (SEAM), this paper proposes a composite pressure control strategy based on inverse model feedforward and variable-structure feedback [...] Read more.
Addressing challenges such as the non-Newtonian fluid characteristics of melt, significant system hysteresis, and rheological thermal drift in large-scale glass fiber-reinforced polypropylene (PP-GF) screw-extrusion additive manufacturing (SEAM), this paper proposes a composite pressure control strategy based on inverse model feedforward and variable-structure feedback (VSFC-Smith). This strategy establishes a dynamic pressure benchmark through an inverse rheological model, utilizes a Smith predictor to compensate for time delay, and introduces dead-zone variable-structure feedback to smoothly suppress thermal drift. Experimental results demonstrate that, compared to traditional PID (Proportional-Integral-Derivative) controller, the VSFC-Smith strategy reduces the step pressure overshoot from 23.37% to 17.37%, decreases steady-state screw speed fluctuation by approximately 50%, and limits the error within ±0.04 MPa during complex trajectory tracking. In practical molding validation, this strategy effectively suppressed surface ripples, reducing the surface roughness (Sa) by 14.5% to 124.41 μm; simultaneously, the Z-directional interlayer tensile strength reached 12.63 MPa (a 22.5% improvement compared to open-loop control). This study successfully overcomes the limitations of traditional high-gain feedback, achieving synergistic optimization of the macroscopic morphology and microscopic mechanical properties of composite parts. Full article
(This article belongs to the Section Manufacturing Processes and Systems)
Show Figures

Graphical abstract

24 pages, 30338 KB  
Article
On the Dynamics and Stability of Envelope Rossby Solitary Waves Under the Topographic Geostrophic Approximation
by Guohua Cao, Quansheng Liu, Liangui Yang and Ruigang Zhang
Mathematics 2026, 14(7), 1189; https://doi.org/10.3390/math14071189 - 2 Apr 2026
Viewed by 156
Abstract
Scholars are widely concerned about the research of nonlinear Rossby waves due to their essential importance in understanding the geophysical fluid dynamics. The effects of different topographies on the propagation of barotropic Rossby waves are discussed in this paper. Starting from the classical [...] Read more.
Scholars are widely concerned about the research of nonlinear Rossby waves due to their essential importance in understanding the geophysical fluid dynamics. The effects of different topographies on the propagation of barotropic Rossby waves are discussed in this paper. Starting from the classical shallow water equation of uniformly rotating fluid with bottom topography, a new Schrödinger model equation of nonlinear Rossby wave amplitude is obtained by multi-scale spatial-temporal transformations and perturbation expansion method, which has an advantage in characterizing the propagation of the blocking for atmospheres. The evolutionary dynamics of dipole blocking are discussed analytically and are simulated numerically via changing terrain parameters for sinusoidal topography, slope topography, and roughed topography, respectively. The results show that the amplitude increase for sinusoidal bottom topography makes the dipole blocking move faster and enhances the intensity significantly. For sloped topography, the intensity of dipole blocking slowly decreases with increasing topographic slope. At the same time, the effect of the frequency for roughed topography agrees with the slope effect on the dynamics of nonlinear envelope solitary Rossby waves. This theoretical attempt gives a new explanation of the topographic Rossby waves. Full article
Show Figures

Figure 1

30 pages, 3709 KB  
Article
Multiscale Resource Selection for a Reintroduced Elk Population
by Braiden A. Quinlan, Brett R. Jesmer, Jacalyn P. Rosenberger, William Mark Ford and Michael J. Cherry
Animals 2026, 16(7), 1076; https://doi.org/10.3390/ani16071076 - 1 Apr 2026
Viewed by 435
Abstract
Patterns of resource selection are driven by the decision-making processes of animals occurring at multiple scales from where to establish a home range (i.e., second order selection) to which resource patches to use within the home range (i.e., third order selection). Elk ( [...] Read more.
Patterns of resource selection are driven by the decision-making processes of animals occurring at multiple scales from where to establish a home range (i.e., second order selection) to which resource patches to use within the home range (i.e., third order selection). Elk (Cervus canadensis) were reintroduced to southwestern Virginia, USA, from 2012 to 2014 following successful translocations onto reclaimed surface coal mines in the region. We sought to understand how elk have acclimated following their translocation using location data from GPS-collared adult female elk (n = 33) collected from 2019 to 2022 along with remotely sensed terrain and land cover data. We utilized continuous-time movement models paired with generalized linear mixed-effects modeling to describe seasonal resource selection at second and third orders. At both scales of selection and throughout the year, female elk selected reclaimed surface mines, conifer forests, ridgetops, and areas with lower terrain roughness, while avoiding mixed hardwood and oak (Quercus spp.) forests. Unmined open land was only selected at the third order during periods of forage scarcity (i.e., winter) and increased metabolic requirements (i.e., late gestation). Although surface coal mining leaves legacy environmental impacts on the landscape, management of these sites provides benefits to elk and maintains open habitat that is otherwise limited. Full article
(This article belongs to the Section Animal System and Management)
Show Figures

Figure 1

17 pages, 4698 KB  
Article
Robust Feature Recognition of Slab Edges in Complex Industrial Environments Based on a Deep Dense Perception Network Model
by Yang Liu, Meiqin Liang, Xuejun Zhang and Junqi Yuan
Metals 2026, 16(4), 378; https://doi.org/10.3390/met16040378 - 28 Mar 2026
Viewed by 325
Abstract
Defect detection in the hot rolling process is closely linked to the quality of the final product. Among these defects, slab camber during the intermediate rolling stage is one of the primary manifestations of asymmetry, which significantly impairs both the quality of the [...] Read more.
Defect detection in the hot rolling process is closely linked to the quality of the final product. Among these defects, slab camber during the intermediate rolling stage is one of the primary manifestations of asymmetry, which significantly impairs both the quality of the finished strip and the stability of subsequent rolling processes. Conventional image-based edge detection methods for slab camber are prone to detection deviations in complex industrial environments, mainly due to their weak noise robustness. To address the scientific challenge of low accuracy and poor robustness in feature extraction for hot-rolled intermediate slab camber detection, which is induced by environmental interference in complex industrial settings, we break through the technical bottlenecks of traditional edge detection methods and existing deep learning models in terms of channel–spatial feature collaborative optimization and anti-interference fusion of multi-scale features. We establish a dense perception network model integrated with a channel–spatial attention mechanism, realize robust feature recognition of slab edges under complex working conditions, and provide theoretical and technical support for the real-time quantitative detection of slab shape defects in the hot rolling process. The proposed model significantly improves detection accuracy and robustness through multi-scale feature enhancement and noise suppression, effectively meeting the requirements for real-time quantitative detection of slab camber in the roughing rolling stage. Field experiments verify that the method increases detection accuracy by 36.55% and achieves favorable performance on evaluation metrics, including ODS and OIS. Full article
Show Figures

Figure 1

16 pages, 4826 KB  
Article
Tuning the Performance of Ge-Doped CZTSSe Solar Cells via Selenization
by Xiaogong Lv, Shumin Zhang, Yanchun Yang, Guonan Cui, Wenliang Fan and Xing Yue
Materials 2026, 19(7), 1337; https://doi.org/10.3390/ma19071337 - 27 Mar 2026
Viewed by 313
Abstract
Cu2ZnSn(S,Se)4 (CZTSSe) is a candidate thin-film photovoltaic material; however, its performance is restricted by innate defect-induced nonradiative recombination. Low-concentration Ge doping has been identified as an efficient way to mitigate these defects, but the selenization temperature remains an important process [...] Read more.
Cu2ZnSn(S,Se)4 (CZTSSe) is a candidate thin-film photovoltaic material; however, its performance is restricted by innate defect-induced nonradiative recombination. Low-concentration Ge doping has been identified as an efficient way to mitigate these defects, but the selenization temperature remains an important process parameter that governs the structure and optoelectronic characteristics of CZTSSe absorbers. In the present work, low-concentration Ge-doped Cu2ZnSn0.95Ge0.05S4 (CZTGS) precursor films were synthesized through a green, n-butylammonium butyrate-based solution approach. The effects of the selenization temperature (530–570 °C) on the microstructure, composition, and photovoltaic performance of Cu2ZnSn0.95Ge0.05(S,Se)4 (CZTGSSe) films and devices were comprehensively investigated. X-ray diffraction (XRD), scanning electron microscopy (SEM), X-ray photoelectron spectroscopy (XPS), energy-dispersive X-ray spectrometer (EDS), atomic force microscopy (AFM) were performed to comprehensively characterize the synthesized samples, and the results suggested that the selenization temperature dramatically altered the film grain growth, crystallinity, elemental retention and surface roughness. Specifically, the film that underwent selenization at 550 °C presented the best crystallinity, which was accompanied by large-scale even grains, efficient Ge4+ addition to the kesterite lattice and the lowest surface roughness. These better properties in terms of structure and composition resulted in the lowest carrier transport resistance (Rs = 8.6 Ω∙cm2), improved recombination resistance (Rj = 5.9 kΩ∙cm2), inhibited nonradiative recombination, and prolonged carrier lifetime (τEIS = 35.8 μs). Therefore, the resulting CZTGSSe thin-film solar cell had an 8.69% better power conversion efficiency (PCE), while its open-circuit voltage (VOC) was 0.42 V, the fill factor (FF) was 55.51%, and the short-circuit current density (JSC) was 37.71 mA·cm−2. Our results elucidate the mechanism by which the selenization temperature regulates low-concentration Ge-doped kesterite devices and provide more insights into the optimization of processes for cost-effective, high-performance, and green thin-film solar cells. Full article
(This article belongs to the Section Energy Materials)
Show Figures

Figure 1

18 pages, 2036 KB  
Article
Synergistic Thermal Enhancement of Embedded Micro-Pyramid Array and Advanced Nanofluids for High Heat Dissipation
by Yafan Qin, Jingtan Chen, Xing Yang, Yuefei Yan, Shikun Zheng, Xiaofei Ma, Meng Wang and Congsi Wang
Micromachines 2026, 17(4), 410; https://doi.org/10.3390/mi17040410 - 27 Mar 2026
Viewed by 335
Abstract
The escalating power density in Active Phased Array Radar has made the thermal management of Transmitter and Receiver (T/R) modules a critical bottleneck for radar performance. To address the thermal resistance of traditional cold plates, this study investigates an innovative embedded cooling strategy [...] Read more.
The escalating power density in Active Phased Array Radar has made the thermal management of Transmitter and Receiver (T/R) modules a critical bottleneck for radar performance. To address the thermal resistance of traditional cold plates, this study investigates an innovative embedded cooling strategy utilizing micro-pyramid arrays and advanced nanofluids. Thermal performance was evaluated using maximum temperature, maximum temperature difference and surface temperature standard deviation (ST). Higher pyramid density markedly enhances temperature uniformity, an effect that scales positively with the power load. Under a 100 W condition, the 8-circle micro-pyramids configuration (the densest structure with roughness Ra = 1.3) achieved a 22.58 K reduction in maximum temperature and a 22.5% improvement in temperature uniformity compared to the 2-circle structure, and outperformed the 4-circle structure by 16.98 K and 17.9%, respectively. Furthermore, a comparative analysis of nanofluids (Al2O3, CuO, graphene, and h-BN) is conducted and it is found that graphene nanofluid exhibits the best overall heat transfer enhancement because of its high thermal conductivity and moderate reduction in specific heat capacity. The thermal performance of the nanofluid is evaluated by comparing the maximum temperatures of the heat source at the 8-circle structure. The synergistic coupling of graphene nanofluid with the 8-circle array yields a remarkable 35.38% enhancement in temperature uniformity at 100 W. The enhancement mechanisms are mainly attributed to intrinsic thermophysical properties of the nanoparticles and convection caused by denser pyramid array. The aforementioned findings provide important guidance for the thermal management design of antenna and other high-density integrated electronic systems with embedded cold plate design demand. Full article
(This article belongs to the Section E:Engineering and Technology)
Show Figures

Figure 1

16 pages, 4235 KB  
Article
Machine Learning-Assisted Burst Femtosecond Laser Polishing of Invar Alloy: Process Optimization and Performance Enhancement
by Jiawei Lin, Donghan Li, Jinlin Luo, Kai Li, Xianshi Jia, Cong Wang, Xin Li, Ke Sun and Ji’an Duan
Nanomaterials 2026, 16(6), 383; https://doi.org/10.3390/nano16060383 - 23 Mar 2026
Viewed by 328
Abstract
As a key low-expansion material for high-end equipment such as aerospace and precision instruments, the surface quality of Invar alloy directly determines the operational performance of devices. To fill the research gap in the multi-parameter synergy and mechanism of Invar alloy laser polishing, [...] Read more.
As a key low-expansion material for high-end equipment such as aerospace and precision instruments, the surface quality of Invar alloy directly determines the operational performance of devices. To fill the research gap in the multi-parameter synergy and mechanism of Invar alloy laser polishing, this study performs polishing experiments on Invar alloy using a burst-mode femtosecond laser, with a repetition rate of 1 MHz and four sub-pulses per burst. The results indicate that energy density plays a dominant role in the polishing effect: with the increase in energy density, the surface roughness first decreases and then increases. A stable molten pool is formed under medium energy density (0.47–0.64 J/cm2), and under the optimal parameter conditions, the surface roughness is reduced to 394 ± 50 nm, representing a 52% reduction compared to the original surface (821 nm). Scanning speed and scanning pitch affect the polishing effect by synergistically regulating energy input: increasing scanning speed under high energy density can inhibit the rise in roughness, while a small scanning pitch can lower the threshold of optimal energy density. Amplitude spectrum analysis reveals that the medium-scale surface undulations are significantly improved after polishing. A four-layer Fully Connected Neural Network (FCNN) model is established to achieve high-precision prediction of polishing effects with a coefficient of determination R2 = 0.92, which enables rapid prediction of unknown polishing parameter combinations and provides a new solution path for the optimization of polishing effects. This study clarifies the interaction mechanism between a burst-mode laser and Invar alloy, proposes an efficient ultra-precision polishing method for Invar alloy, and lays a theoretical foundation for its application in the field of high-end manufacturing. Full article
(This article belongs to the Special Issue Ultrafast Laser Micro-Nano Welding: From Principles to Applications)
Show Figures

Figure 1

26 pages, 6980 KB  
Article
Assessment of Wind–Thermal Environments in Urban Cultural Blocks Integrating Remote Sensing Data with Fluid Dynamics Simulations
by Hong-Yuan Huo, Lingying Zhou, Han Zhang, Yi Lian and Peng Du
Appl. Sci. 2026, 16(6), 2889; https://doi.org/10.3390/app16062889 - 17 Mar 2026
Viewed by 251
Abstract
Mitigating heat stress in high-density historical districts remains a critical challenge in urban renewal due to complex morphological heterogeneity. Existing research often relies on isolated intervention measures, lacking systematic, multi-strategy assessments driven by high-precision spatial data. This study addresses this gap by establishing [...] Read more.
Mitigating heat stress in high-density historical districts remains a critical challenge in urban renewal due to complex morphological heterogeneity. Existing research often relies on isolated intervention measures, lacking systematic, multi-strategy assessments driven by high-precision spatial data. This study addresses this gap by establishing a quantitative framework that couples thermal infrared remote sensing with Computational Fluid Dynamics (CFD) to optimize microclimate responses in Beijing’s Liulichang Historic District. Remote sensing data were utilized to retrieve high-resolution Land Surface Temperature (LST), providing accurate thermal boundary conditions for micro-scale wind-thermal simulations. A baseline scenario (S0) and seven renewal strategies (S1–S7)—integrating varying configurations of greenery, water bodies, and permeable pavements—were evaluated using pedestrian-level comfort indices. Results reveal that single-factor interventions yield marginal improvements or thermodynamic trade-offs; specifically, adding greenery (S1) in narrow street canyons increased aerodynamic roughness, thereby obstructing ventilation and inducing localized warming. Conversely, composite strategies significantly enhanced microclimatic quality. The “greenery-water-permeable pavement” strategy (S4) achieved optimal synergistic effects, characterized by substantial cooling and spatial homogenization. Regression analysis identified water bodies as the dominant cooling driver, where a 10% increase in water coverage resulted in a temperature reduction of approximately 5.17 °C. Conversely, greenery alone showed no statistically significant cooling contribution (p > 0.05) without the synergistic presence of water or pavement modifications. This research suggests that urban renewal in high-temperature zones (>36 °C) should prioritize composite cooling networks. Furthermore, vegetation layouts near wind corridors must be precisely regulated to prevent ventilation degradation. These findings provide a scientific basis for the climate-adaptive sustainable regeneration of culturally significant, high-density urban blocks. Full article
Show Figures

Figure 1

23 pages, 1612 KB  
Review
Extracellular Vesicles Derived from Natural Biological Resources and Their Potential to Facilitate Skin Regeneration and Rejuvenation
by Zhuoyue Yang, Shijun Li, Hangyu Zhang, Zhigang Sui and Na Li
Pharmaceutics 2026, 18(3), 342; https://doi.org/10.3390/pharmaceutics18030342 - 10 Mar 2026
Cited by 1 | Viewed by 817
Abstract
The skin, the largest organ in the human body, serves as a crucial barrier against external stimuli. With the acceleration of social industrialization and the worsening of global climate change, the risk of physical, chemical and biological damage to the skin has significantly [...] Read more.
The skin, the largest organ in the human body, serves as a crucial barrier against external stimuli. With the acceleration of social industrialization and the worsening of global climate change, the risk of physical, chemical and biological damage to the skin has significantly increased. Among these, surgical wounds, accidental injuries, diabetic wounds, and ultraviolet (UV)-radiation-induced photoaging are particularly common. Cutaneous wound healing is a complex and dynamic process that requires precise coordination of numerous molecular events to effectively repair damaged skin. Skin photoaging, a phenomenon of premature aging caused by long-term UV exposure, is characterized by pigmentary abnormalities, telangiectasia, epidermal roughness, wrinkle formation, and precancerous lesions, all of which seriously affect skin health and appearance. Extracellular vesicles (EVs), a class of nano-sized vesicles secreted by various cells, play important regulatory roles in tissue regeneration. Although cell-culture-medium-derived EVs (C-EVs) have been proven to effectively promote skin wound healing and photodamage repair, their origin from a single cell type and challenges in large-scale production severely limit their broad application. In contrast, EVs derived from natural biological resources, including tissue-derived EVs (Ti-EVs) and plant-derived EVs (PDEVs), have emerged as novel therapeutic strategies for skin wounds and photoaging. These EVs better reflect the physiological microenvironment and demonstrate considerably higher production efficiencies. Ti-EVs, obtained from mammalian tissues composed of multiple cell types and extracellular matrix, contain more abundant regulatory factors, thus exhibiting superior bioactivity compared with C-EVs. PDEVs have also garnered significant attention due to their favorable stability, low immunogenicity, unique natural antioxidant components, and feasibility of large-scale extraction. This review will systematically elaborate on the characteristics and isolation methods of both Ti-EVs and PDEVs, as well as their therapeutic roles and underlying mechanism in wound healing and skin photoaging. Full article
Show Figures

Graphical abstract

18 pages, 3964 KB  
Article
A Taguchi-Based and Data-Driven Assessment of Surface Roughness and Wettability in FDM-Printed Polymers
by Mehmet Albaşkara and Eyyup Gerçekcioğlu
Micromachines 2026, 17(3), 322; https://doi.org/10.3390/mi17030322 - 5 Mar 2026
Viewed by 431
Abstract
Fused Deposition Modeling (FDM) enables rapid, flexible production of polymer-based parts; however, because of additive manufacturing’s nature, it creates distinct microscale surface structures. These micro-scale surface morphologies directly affect the functional properties of the parts, such as surface roughness and wettability. In this [...] Read more.
Fused Deposition Modeling (FDM) enables rapid, flexible production of polymer-based parts; however, because of additive manufacturing’s nature, it creates distinct microscale surface structures. These micro-scale surface morphologies directly affect the functional properties of the parts, such as surface roughness and wettability. In this study, the surface roughness and contact angle behavior of PLA, PETG, and ABS samples printed via FDM were investigated by varying layer thickness, print orientation, and infill density. The experimental design was created using a Taguchi L16 orthogonal array. Surface roughness was determined by optical profilometry, and wettability was measured by static contact angle tests. Surface topography was supported by scanning electron microscopy (SEM) and three-dimensional surface analyses. The findings revealed that surface roughness is predominantly dependent on layer thickness, whereas wettability is more strongly influenced by printing orientation, which determines the surface’s anisotropy. The developed artificial neural network (ANN) models successfully predicted the trends in surface roughness and contact angle outputs. This study reveals the effect of micro-scale surface structures formed in the FDM process on functional surface behavior, offering a fundamental framework for developing designable surfaces for micromechanical, microfluidic, and biomedical applications. Full article
(This article belongs to the Special Issue Feature Papers of Micromachines in Additive Manufacturing 2025)
Show Figures

Figure 1

22 pages, 8950 KB  
Article
Six-Axis Robotic Milling for Enhancing Surface Quality and Dimensional Accuracy of Fused Granular Fabrication Parts
by Rui Zhang, Xiping Li, Youqiang Yao, Sisi Wang, Yu Zhou and Zhonglue Hu
Polymers 2026, 18(5), 608; https://doi.org/10.3390/polym18050608 - 28 Feb 2026
Viewed by 562
Abstract
Fused granular fabrication (FGF) offers high deposition efficiency and low material cost for large-scale mold production, but commonly yields parts with surface defects and dimensional deviations. This study develops a six-axis robotic post-processing workstation that integrates multi-DOF toolpath planning and real-time communication to [...] Read more.
Fused granular fabrication (FGF) offers high deposition efficiency and low material cost for large-scale mold production, but commonly yields parts with surface defects and dimensional deviations. This study develops a six-axis robotic post-processing workstation that integrates multi-DOF toolpath planning and real-time communication to flexibly machine FGF components with complex geometries. Using short-fiber-reinforced polypropylene (PP-GF), robotic milling experiments were performed, and spindle speed, feed rate, and cutting depth were systematically optimized to enhance surface quality and dimensional accuracy. The NSGA-III algorithm optimizes parameters, thereby increasing machining efficiency by 4.9% and reducing surface roughness by 12.35%. Results show that the proposed platform effectively improves the machining performance of FGF-printed parts, demonstrating its feasibility for high-precision post-processing. The work provides a practical technical route for the hybrid additive–subtractive manufacturing of large 3D-printed structures. Full article
Show Figures

Figure 1

22 pages, 446 KB  
Article
Irreversibility by Singular Limits: An Ontological Account of Turbulent Dissipation (Euler, Onsager, and the Defect Measure)
by Waleed Mouhali
Philosophies 2026, 11(2), 29; https://doi.org/10.3390/philosophies11020029 - 28 Feb 2026
Viewed by 594
Abstract
We argue that turbulent irreversibility is best explained as an asymptotic feature of a singular inviscid limit—a reclassification of admissible entities and balances at ν0—rather than as a mere residual effect of molecular viscosity. Tracing a conceptual line from Euler [...] Read more.
We argue that turbulent irreversibility is best explained as an asymptotic feature of a singular inviscid limit—a reclassification of admissible entities and balances at ν0—rather than as a mere residual effect of molecular viscosity. Tracing a conceptual line from Euler and Kármán–Howarth to Onsager, Duchon–Robert, Kato/Prandtl, and modern convex integration results, we show that the limit theory reclassifies the admissible entities: from smooth Euler fields (energy conserving) to rough weak solutions equipped with a positive defect measure in the energy balance. The constant inter-scale process (energy flux) observed at high-Reynolds number therefore persists at ν=0 as a structural feature of the limit ontology. We articulate three selection principles—the local energy inequality, the exact third-order law, and scale-locality—as ontological constraints that reconcile mathematical non-uniqueness with physical uniqueness. A brief conceptual history clarifies how the arrow of time in turbulence emerged through successive shifts of entities and invariants, and a comparison with other singular limit explanations (Boltzmannian irreversibility, shocks, renormalization) situates the account within general foundations of physics. Methodologically, we recast LES/closures as asymptotic mediators validated by flux plateaus and viscosity-free diagnostics, not microscopic subgrid fidelity. Full article
(This article belongs to the Special Issue Ontological Perspectives in the Philosophy of Physics)
Show Figures

Figure 1

26 pages, 4773 KB  
Article
Research on Random Forest-Based Downscaling Inversion Techniques for Numerical Precipitation Prediction Guided by Integrated Physical Mechanisms
by Haoshuang Liao, Shengchu Zhang, Jun Guo, Qiukuan Zhou, Xinyu Chang and Xinyi Liu
Water 2026, 18(5), 574; https://doi.org/10.3390/w18050574 - 27 Feb 2026
Viewed by 299
Abstract
Numerical weather prediction (NWP) models are essential for precipitation forecasting but are constrained by coarse spatial resolutions (10–50 km), which fail to capture fine-scale variations required for regional disaster prevention, particularly in complex terrain. While statistical and machine learning downscaling methods have been [...] Read more.
Numerical weather prediction (NWP) models are essential for precipitation forecasting but are constrained by coarse spatial resolutions (10–50 km), which fail to capture fine-scale variations required for regional disaster prevention, particularly in complex terrain. While statistical and machine learning downscaling methods have been developed to bridge this resolution gap, they predominantly operate as “black boxes” without explicit physical guidance, leading to predictions that violate meteorological principles and systematic underestimation of extreme precipitation events. To address these limitations, this study aims to develop a Physics-Informed Machine Learning framework that explicitly integrates multi-scale topographic modulation and physical consistency constraints into precipitation downscaling. Specifically, a Random Forest model enhanced with Multi-Scale Structural Similarity (MS-SSIM) loss and Physical Constraint Enhancement (MSSSIM-PCE-RF) was constructed. The model introduces elevation gradient weights at low-resolution layers and micro-topographic parameters (slope, surface roughness) at high-resolution layers, while enforcing physical consistency between precipitation intensity, radar reflectivity, and ground observations via the Z-R relationship. Based on hourly data from 2252 meteorological stations in Jiangxi Province (2021–2022), coupled with topographic factors (DEM, slope, aspect) and Normalized Difference Vegetation Index (NDVI), a technical framework of “data fusion–feature synergy–machine learning–spatial reconstruction” was established. Results demonstrate that the MSSSIM-PCE-RF model achieves a validation R2 of 0.9465 and RMSE of 0.1865 mm, significantly outperforming the conventional RF model (R2 = 0.9272). Notably, errors in high-altitude, steep-slope, and high-vegetation areas are reduced by 45.3%, 42.0%, and 43.1%, respectively, with peak precipitation period errors decreasing by 37.2%. Multi-scale topographic analysis reveals significant orographic lifting effects at 250–1000 m elevations, peak precipitation at 12–15° slopes, and abundant precipitation on south/southeast aspects. By explicitly embedding topographic modulation and physical consistency constraints, the model effectively alleviates systematic underestimation of extreme precipitation in complex terrain, providing high-resolution data support for transmission line disaster prevention and micro-meteorological risk assessment. Full article
(This article belongs to the Section Hydrology)
Show Figures

Figure 1

25 pages, 25859 KB  
Article
Insights into Pore–Throat Fractal Characteristics and Shale-Oil Mobilization by HTHP Imbibition in Lacustrine Calcareous Shale
by Xianda Sun, Qiansong Guo, Yuchen Wang, Chengwu Xu and Ziheng Zhang
Fractal Fract. 2026, 10(3), 156; https://doi.org/10.3390/fractalfract10030156 - 27 Feb 2026
Viewed by 291
Abstract
Upper Es4 lacustrine calcareous shale in the Dongying Depression is characterized by strong pore–throat heterogeneity that limits shale-oil producibility. This study quantifies multiscale pore–throat complexity using high-pressure mercury intrusion-based fractal analysis (segmented fractal dimensions D1–D3 and a weighted comprehensive [...] Read more.
Upper Es4 lacustrine calcareous shale in the Dongying Depression is characterized by strong pore–throat heterogeneity that limits shale-oil producibility. This study quantifies multiscale pore–throat complexity using high-pressure mercury intrusion-based fractal analysis (segmented fractal dimensions D1–D3 and a weighted comprehensive fractal dimension, Dc) and evaluates its control on oil occurrence and mobilization using low-field 2D NMR (T1–T2) and confocal microscopy before and after high-temperature, high-pressure spontaneous imbibition. Reservoirs show clear scale segmentation, with micropore fractality governing quality differentiation. Imbibition promotes desorption and redistribution from adsorbed to free oil, but effective mobilization is primarily controlled by pore–fracture connectivity: samples with well-connected networks can mobilize both adsorbed and free oil efficiently, whereas poorly connected systems exhibit desorption without effective production, implying that thermal stimulation alone is insufficient without fracture-assisted flow pathways. Movable-oil saturation decreases systematically with increasing Dc, indicating that higher roughness and tortuosity intensify capillary retention and Jamin trapping. Dc provides an actionable criterion for sweet-spot ranking and for designing stimulation–imbibition coupling and water-based EOR strategies in lacustrine calcareous shale-oil reservoirs. Full article
(This article belongs to the Special Issue Analysis of Geological Pore Structure Based on Fractal Theory)
Show Figures

Figure 1

Back to TopTop