Machine Learning Approach for Mechanical Property Prediction of a Bio-Epoxy and Glass Fiber Composite Reinforced with Titanium Dioxide Nanoparticles
Abstract
1. Introduction
2. Materials and Methods
2.1. Raw Materials
2.2. Composite Fabrication
2.3. Composite Characterization
2.4. Machine Learning Prediction
3. Results and Discussion
3.1. Tensile Tests
3.2. Flexural Tests
3.3. SEM of Fractured Specimens
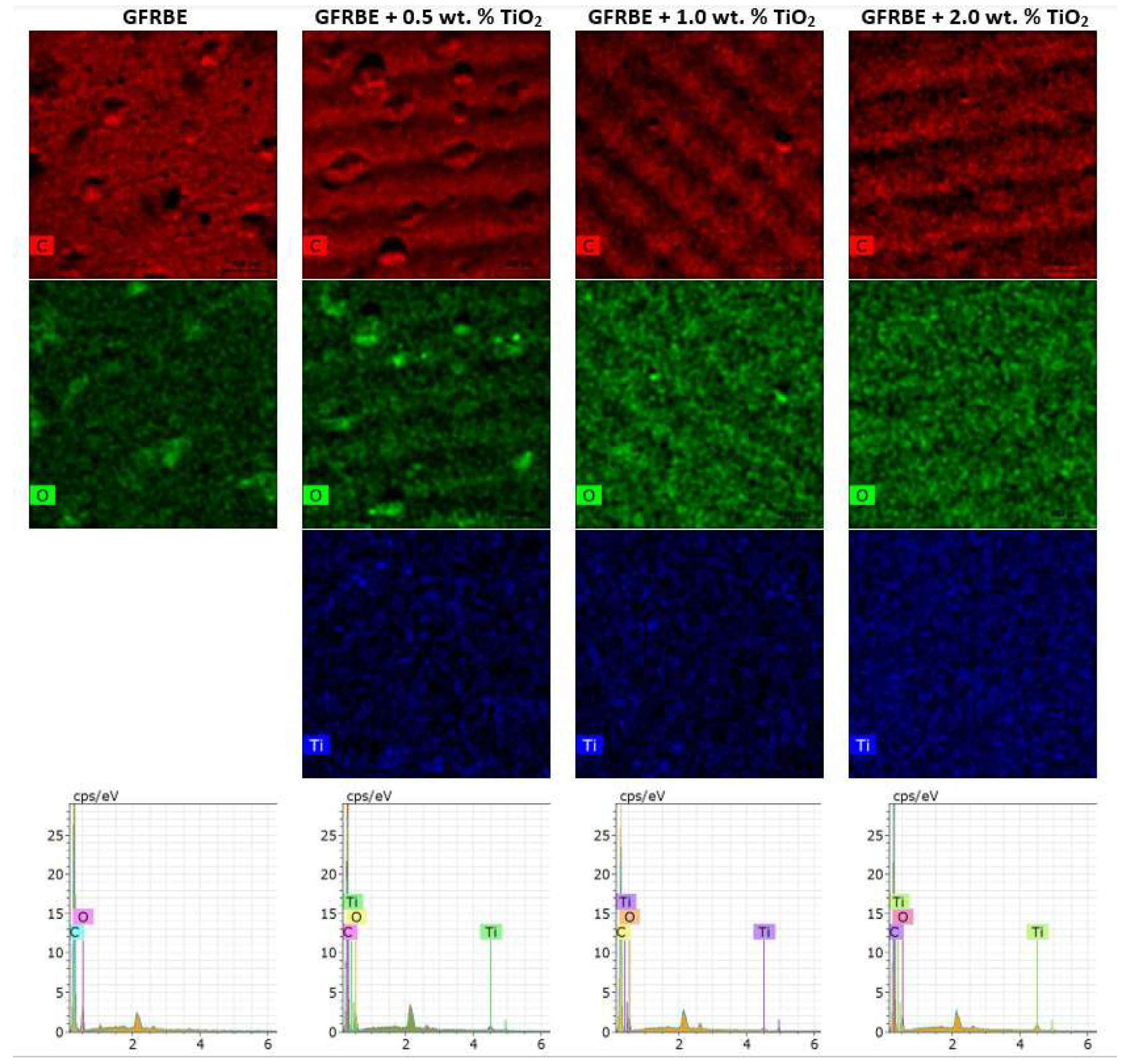
3.4. Nanoparticle Distribution in the Matrix
3.5. FT-IR Spectroscopy
3.6. Machine Learning Predictions
4. Conclusions
- •
- The addition of TiO2 nanoparticles to the bio-epoxy resin allowed to improve the mechanical resistance, both tensile and flexural, for the totality of composite formulations developed. The composite containing 1 wt.% of the reinforcement displayed the best tensile property results with an improvement of 13.6% for tensile strength and 12.8% for tensile modulus when compared to the unreinforced GFRBE. Similarly, the composite with 2 wt.% reinforcement obtained the best flexural response with an improvement of 19.3% and 39.6% for the flexural strength and modulus, respectively. The obtained results confirm that controlled nanoparticle addition can significantly improve load transfer and improve the overall mechanical resistance on GFRPs.
- •
- SEM micrographs demonstrate that the improvement in mechanical performance of the composites were associated with the modification of the fracture surfaces, which allowed crack pinning mechanisms to develop.
- •
- EDS mapping determined the manufacturing process used in this study was adequate to obtain a homogenous TiO2 nanoparticle dispersion in composite matrix.
- •
- Across both mechanical tests—tension and flexure—the ML models consistently showed that the mechanical response of TiO2-reinforced composites is governed by nonlinear structure–property relationships. In both datasets, ensemble regressors such as Random Forest, ExtraTrees, and XGBoost demonstrated the highest predictive stability, confirming that nanoparticle-induced mechanisms (matrix stiffening, enhanced interfacial bonding, and restricted deformation) produced trends that are not adequately captured by linear or low-complexity models.
- •
- The agreement among the top-performing regressors in both tensile and flexural predictions demonstrates that supervised machine learning can reliably characterize and generalize the mechanical behavior of TiO2-modified composites, even with modest dataset sizes. The cross-validated consistency observed in both studies indicated that the learned relationships are robust rather than model-dependent, providing strong evidence that data-driven methods are suitable for predicting and optimizing multiple mechanical properties in nanoparticle-reinforced polymer composites.
- •
- Overall, this study demonstrates that the integration of a thorough characterization process of materials accompanied by machine learning prediction models constitutes a powerful tool to provide an optimization for composite materials’ formulations. Undoubtedly, the observed interaction between machine learning prediction and experimental validation can become the foundation for keen design strategies, which may optimize conventional trial and error experimentation.
Author Contributions
Funding
Data Availability Statement
Acknowledgments
Conflicts of Interest
Abbreviations
| GFRP | Glass fiber reinforced polymer |
| SEM | Scanning electron microscopy |
| EDS | Energy-dispersive spectroscopy |
| ML | Machine learning |
| TS | Tensile strength |
| GO | Graphene oxide |
| G-SVM | Gaussian support vector |
| ANN | Artificial neural networks |
| BFRP | Basalt fiber reinforced polymer |
| GFRBE | Glass fiber reinforced bio-epoxy |
| ASTM | American Society for Testing and Materials |
| FT-IR | Fourier-transform infrared spectroscopy |
| FS | Flexural strength |
| RMSE | Root mean square error |
| GPR | Gaussian process regression |
| RFR | Random forest regression |
| MSE | Mean square error |
| MAE | Mean absolute error |
| MLP | Multi-layer perceptron |
References
- Hsissou, R.; Seghiri, R.; Benzekri, Z.; Hilali, M.; Rafik, M.; Elharfi, A. Polymer composite materials: A comprehensive review. Compos. Struct. 2021, 262, 113640. [Google Scholar] [CrossRef]
- Navas-Pinto, W.; Cree, D.E.; Wilson, L.D.; Barrionuevo, G.O.; Sánchez-Sánchez, X. Mechanical response of bio-epoxy resin composites reinforced with graphene oxide: Machine learning approach for property prediction. Funct. Compos. Struct. 2025, 7, 035002. [Google Scholar] [CrossRef]
- Radzi, F.S.M.; Ali, A.; Anwar, U.K.; Khalina, A.; Mansor, M.R.; Sani, M.S.M. Effect of reinforcement of Alkaline-treated sugar palm/bamboo/kenaf and fibreglass/Kevlar with polyester hybrid biocomposites: Mechanical, morphological, and water absorption properties. J. Mater. Res. Technol. 2023, 24, 4190–4202. [Google Scholar] [CrossRef]
- Xu, Y.; Chung, D.D.L.; Mroz, C. Thermally conducting aluminum nitride polymer-matrix composites. Compos. Part A Appl. Sci. Manuf. 2001, 32, 1749–1757. [Google Scholar] [CrossRef]
- Zhou, Y.; He, J.; Fu, H.; Zhou, X. Fabrication and characterization of aluminum nitride polymer matrix composites with high thermal conductivity and low dielectric constant for electronic packaging. Mater. Sci. Eng. B 2012, 177, 892–896. [Google Scholar] [CrossRef]
- Loeffen, A.; Cree, D.E.; Sabzevari, M.; Wilson, L.D. Effect of Graphene Oxide as a Reinforcement in a Bio-Epoxy Composite. J. Compos. Sci. 2021, 5, 91. [Google Scholar] [CrossRef]
- Chen, R.S.; Muhammad, Y.H.; Ahmad, S. Physical, mechanical and environmental stress cracking characteristics of epoxy/glass fiber composites: Effect of matrix/fiber modification and fiber loading. Polym. Test. 2021, 96, 107088. [Google Scholar] [CrossRef]
- Morampudi, P.; Namala, K.K.; Gajjela, Y.K.; Barath, M.; Prudhvi, G. Review on glass fiber reinforced polymer composites. Mater. Today Proc. 2021, 43, 314–319. [Google Scholar] [CrossRef]
- Yang, G.; Park, M.; Park, S.J. Recent progresses of fabrication and characterization of fibers-reinforced composites: A review. Compos. Commun. 2019, 14, 34–42. [Google Scholar] [CrossRef]
- Patel, A.; Kravchenko, O.; Manas-Zloczower, I. Effect of Curing Rate on the Microstructure and Macroscopic Properties of Epoxy Fiberglass Composites. Polymers 2018, 10, 125. [Google Scholar] [CrossRef]
- Megahed, M.; Fathy, A.; Morsy, D.; Shehata, F. Mechanical Performance of glass/epoxy composites enhanced by micro- and nanosized aluminum particles. J. Ind. Text. 2021, 51, 68–92. [Google Scholar] [CrossRef]
- Sajan, S.; Selvaraj, D.P. A review on polymer matrix composite materials and their applications. Mater. Today Proc. 2021, 47, 5493–5498. [Google Scholar] [CrossRef]
- Haeri, Z.; Ramezanzadeh, B.; Ramezanzadeh, M. Recent progress on the metal-organic frameworks decorated graphene oxide (MOFs-GO) nano-building application for epoxy coating mechanical-thermal/flame-retardant and anti-corrosion features improvement. Prog. Org. Coat. 2022, 163, 106645. [Google Scholar] [CrossRef]
- Jin, K.; Luo, H.; Wang, Z.; Wang, H.; Tao, J. Composition optimization of a high-performance epoxy resin based on molecular dynamics and machine learning. Mater. Des. 2020, 194, 108932. [Google Scholar] [CrossRef]
- Zhou, S.; Zhang, W.; Wang, C.; Zhang, J. Highly improving the mechanical and thermal properties of epoxy resin via blending with polyetherketone cardo. Compos. Commun. 2019, 13, 80–84. [Google Scholar] [CrossRef]
- Ke, J.; Li, X.; Liao, H.; Wang, J. Critical transition of epoxy resin from brittleness to toughness by incorporating CO2-sourced cyclic carbonate. J. CO2 Util. 2018, 26, 302–313. [Google Scholar] [CrossRef]
- Luo, J.; Zhang, Y.; Wang, Y.; Li, Y.; Zhao, Y. Simultaneous optimization of the thermal conductivity and mechanical properties of epoxy resin composites through PES and AgNP functionalized BNs. Compos. B Eng. 2023, 248, 110373. [Google Scholar] [CrossRef]
- Wang, H.; Lu, R.; Li, L. Strong, tough, and thermally conductive nacre-inspired boron nitride nanosheet/epoxy layered nanocomposites. Nano Res. 2024, 17, 820–828. [Google Scholar] [CrossRef]
- Azman, M.A.; Asyraf, M.R.M.; Khalina, A.; Petrů, M.; Ruzaidi, M.S.; Sapuan, S.M.; Wan Aman, V.G.; Ishak, M.R. Natural Fiber Reinforced Composite Material for Product Design: A Short Review. Polymers 2021, 13, 1917. [Google Scholar] [CrossRef]
- Pappa, C.; Feghali, E.; Vanbroekhoven, K.; Triantafyllidis, K.S. Recent advances in epoxy resins and composites derived from lignin and related bio-oils. Curr. Opin. Green Sustain. Chem. 2022, 38, 100687. [Google Scholar] [CrossRef]
- Ebrahimnezhad-Khaljiri, H.; Ghadi, A. Recent advancement in synthesizing bio-epoxy nanocomposites using lignin, plant oils, saccharides, polyphenols, and natural rubbers: A review. Int. J. Biol. Macromol. 2024, 256, 128041. [Google Scholar] [CrossRef] [PubMed]
- Hidalgo, P.; Salgado, L.; Ibacache, N.; Hunter, R. Influence of Biochar and Bio-Oil Loading on the Properties of Epoxy Resin Composites. Polymers 2023, 15, 1895. [Google Scholar] [CrossRef] [PubMed]
- Navas-Pinto, W.; Pila-Quishpe, M.; Velasquez, S.; Valadez-Gonzalez, A.; Espinoza-Santos, C. Comprehensive characterization of Yanchama (Poulsenia Armata) fiber cloth from the Ecuadorian Amazon region: Towards sustainable reinforcement materials. J. Mater. Res. Technol. 2025, 38, 6053–6062. [Google Scholar] [CrossRef]
- Birleanu, C.; Udroiu, R.; Cioaza, M.; Pustan, M.; Paul, B.; Vilau, C. The Effect of Fiber Weight Fraction on Tribological Behavior for Glass Fiber Reinforced Polymer. Polymers 2025, 17, 720. [Google Scholar] [CrossRef]
- Matykiewicz, D. Hybrid Epoxy Composites with Both Powder and Fiber Filler: A Review of Mechanical and Thermomechanical Properties. Materials 2020, 13, 1802. [Google Scholar] [CrossRef]
- Chinnasamy, V.; Subramani, S.P.; Palaniappan, S.K.; Mylsamy, B.; Aruchamy, K. Characterization on thermal properties of glass fiber and kevlar fiber with modified epoxy hybrid composites. J. Mater. Res. Technol. 2020, 9, 3158–3167. [Google Scholar] [CrossRef]
- Colombo, M.; Pinho, S.T.; Greenhalgh, E.S. Interfacial Chemistry Behind Damage Monitoring in Glass Fiber-Reinforced Composites: Attempts and Perspectives. Polym. Compos. 2026, 47, 2925–2954. [Google Scholar] [CrossRef]
- Wang, Z.; Zhao, X.L.; Xian, G.; Wu, G.; Raman, R.K.S.; Al-Saadi, S. Durability study on interlaminar shear behaviour of basalt-, glass- and carbon-fibre reinforced polymer (B/G/CFRP) bars in seawater sea sand concrete environment. Constr. Build. Mater. 2017, 156, 985–1004. [Google Scholar] [CrossRef]
- Januš, O.; Girgle, F.; Rozsypalová, I.; Kostiha, V.; Štěpánek, P. Influence of test parameters on the interlaminar shear strength of FRP bars. Compos. Struct. 2022, 299, 116061. [Google Scholar] [CrossRef]
- Alsaadi, M.; Ugla, A.A.; Erklig, A. A comparative study on the interlaminar shear strength of carbon, glass, and Kevlar fabric/epoxy laminates filled with SiC particles. J. Compos. Mater. 2017, 51, 2835–2844. [Google Scholar] [CrossRef]
- Gao, H.; Zhang, J.; Li, Y.; Zhao, Y. Enhanced interfacial adhesion in glass fiber fabric/epoxy composites employing fiber surface treatment with aminosilane-functionalized graphene oxide. Text. Res. J. 2021, 91, 790–801. [Google Scholar] [CrossRef]
- Megahed, M.; Youssef, S.M.; Ali-Eldin, S.S.; Agwa, M.A. Upgraded Mechanical Properties of Diluent Nano-filled Glass/Epoxy Composites Fabricated by Vacuum Assisted Resin Infusion. Fibers Polym. 2021, 22, 1063–1081. [Google Scholar] [CrossRef]
- Kose, H.; Bayar, I.; Ergün, R.K. Experimental optimization of CuO and MgO hybrid nanoparticle reinforcement ratios to enhance fatigue life of GFRP composites. Polym. Compos. 2024, 45, 11125–11137. [Google Scholar] [CrossRef]
- Nawaz, H.; Abbas, N.; Arshad, M.A.; Ahmad, S.; Shakoor, A. Polymer Nanocomposites Based on TiO2 as a Reinforcing Agent: An Overview. Adv. Eng. Mater. 2022, 24, 2200844. [Google Scholar] [CrossRef]
- Singh, S.; Kumar, V. Investigation on the titanium dioxide nanoparticles infusion on tensile behavior of optimized stacking pattern of hybrid fiber-reinforced polymer composite. Adv. Compos. Mater. 2025, 34, 901–927. [Google Scholar] [CrossRef]
- Wang, N.; Zhang, J.; Li, Y.; Zhao, Y. Preparation and Characterization of Polyimide/TiO2 Nano-composites for Non-lethal Weapon. J. Phys. Conf. Ser. 2021, 1759, 012005. [Google Scholar] [CrossRef]
- Liu, Z.; Bobrinetskiy, I.; Morozov, R.; Lisenkov, S. Reinforcement of polymer composite materials by titanium dioxide nanoparticles synthesized in plasma discharge under ultrasonic cavitation. J. Phys. Conf. Ser. 2022, 2231, 012012. [Google Scholar] [CrossRef]
- Radhakrishnan, S.; Siju, C.R.; Mahanta, D.; Patil, S.; Madras, G. Conducting polyaniline–nano-TiO2 composites for smart corrosion resistant coatings. Electrochim. Acta 2009, 54, 1249–1254. [Google Scholar] [CrossRef]
- Díez-Pascual, A.M.; Díez-Vicente, A.L. Nano-TiO2 reinforced PEEK/PEI blends as biomaterials for load-bearing implant applications. ACS Appl. Mater. Interfaces 2015, 7, 5561–5573. [Google Scholar] [CrossRef]
- Prasad, V.; Sekar, K.; Varghese, S.; Joseph, M.A. Evaluation of interlaminar fracture toughness and dynamic mechanical properties of nano TiO2 coated flax fibre epoxy composites. Polym. Test. 2020, 91, 106784. [Google Scholar] [CrossRef]
- Perumal, K.P.S.; Boopathi, R.; Saravanan, P.; Selvarajan, L. Effect of zircon and anatase titanium dioxide nanoparticles on glass fibre reinforced epoxy with mechanical and morphological studies. Ceram. Int. 2023, 49, 21667–21677. [Google Scholar] [CrossRef]
- Elamvazhudi, B.; Gopalakannan, S. Effect of nanoclay and nanoscale TiO2 on carbon/glass fibrereinforced polymer composites. Mater. Res. Express 2020, 7, 075303. [Google Scholar] [CrossRef]
- Barrrionuevo, G.O.; Ramos-Grez, J.A. Machine Learning for Optimizing Technological Properties of Wood Composite Filament-Timberfill Fabricated by Fused Deposition Modeling. Commun. Comput. Inf. Sci. 2019, 1194, 119–132. [Google Scholar] [CrossRef]
- Liu, J.; Zhang, Y.; Zhang, Y.; Kitipornchai, S.; Yang, J. Machine learning assisted prediction of mechanical properties of graphene/aluminium nanocomposite based on molecular dynamics simulation. Mater. Des. 2022, 213, 110334. [Google Scholar] [CrossRef]
- Kim, Y.; Oh, H. Comparison between Multiple Regression Analysis, Polynomial Regression Analysis, and an Artificial Neural Network for Tensile Strength Prediction of BFRP and GFRP. Materials 2021, 14, 4861. [Google Scholar] [CrossRef] [PubMed]
- Hirani, H.; Verma, M. Effect of titanium dioxide (TiO2) nanoparticles on the wear rate of marine journal bearings made of composite materials. Results Eng. 2025, 27, 105949. [Google Scholar] [CrossRef]
- Khan, S.B.; li, N.; Chen, S.; Liang, J.; Xiao, C.; Sun, X. Influence of nanoparticle size on the mechanical and tribological characteristics of TiO2 reinforced epoxy composites. J. Mater. Res. Technol. 2023, 26, 6001–6015. [Google Scholar] [CrossRef]
- Saffar Shamshirgar, A.; Toghyani, A.; Ghasemi-Ghalebahman, A.; Ahmadikhah, M. Raman spectroscopy study of the role of dispersion and interfaces in the improvement of the mechanical properties of epoxy-TiO2 composites. J. Mater. Res. Technol. 2025, 34, 1744–1758. [Google Scholar] [CrossRef]
- Zeng, X.L.; Tan, L.S.; He, S.Y.; Zhang, J. Effect of graphene oxide size on interlaminar shear strength of glass fabric/epoxy composites. Mater. Res. Express 2019, 6, 105306. [Google Scholar] [CrossRef]
- Parveen, S.; Pichandi, S.; Goswami, P.; Rana, S. Novel glass fibre reinforced hierarchical composites with improved interfacial, mechanical and dynamic mechanical properties developed using cellulose microcrystals. Mater. Des. 2020, 188, 108448. [Google Scholar] [CrossRef]
- Harsha, M.S.; Shivamurthy, B.; Anandkumar, R. Synergistic effects of titanium dioxide and graphene nanofillers on delamination and thrust forces in machining glass fiber reinforced nanocomposites. Sci. Rep. 2025, 15, 1–18. [Google Scholar] [CrossRef] [PubMed]
- Varghese, A.S.; Sreekanth, M.S. Investigation on the effect of multiwalled carbon nanotubes in carbon fiber-reinforced epoxy composites manufactured using vacuum infusion process and hand layup process followed by vacuum bagging. Polym. Compos. 2024, 45, 1600–1618. [Google Scholar] [CrossRef]
- Amar, T.A.; Kumar, A.; Yadav, D.K. A Comparative Study on the Properties of Carbon Fiber-Reinforced Polymer Composites Developed by Hand Layup and Vacuum Bagging Molding Techniques. J. Inst. Eng. (India) Ser. D 2024, 106, 263–275. [Google Scholar] [CrossRef]
- Standard Test Method for Tensile Properties of Polymer Matrix Composite Materials. Available online: https://store.astm.org/d3039_d3039m-08.html (accessed on 25 October 2025).
- Standard Test Method for Flexural Properties of Polymer Matrix Composite Materials. Available online: https://store.astm.org/d7264_d7264m-21.html (accessed on 25 October 2025).
- Navas-Pinto, W.; Cree, D.E.; Wilson, L.D.; Barrionuevo, G.O.; Sánchez-Sánchez, X.; Calvopiña, H. Characterization of graphene oxide synthesized through a modified Hummers method. Ingenius 2025, 34, 31–42. [Google Scholar] [CrossRef]
- Abdelhamied, M.M.; Atta, A.; Alotaibi, B.M.; Al-Harbi, N.; Henaish, A.M.A.; Rabia, M. Synthesis of flexible polymer nanocomposites based on methyl cellulose/copper oxide with desired dielectric properties for electrical applications. Inorg. Chem. Commun. 2023, 157, 111245. [Google Scholar] [CrossRef]
- Çağlar, S.; Gaylan, Y. Optimization of the microstructural, mechanical, and radiation shielding properties of Al-30B4C-25 W hybrid composites with Gd2O3 reinforcement. Sci. Rep. 2025, 15, 29867. [Google Scholar] [CrossRef]
- Noman, M.T.; Amor, N.; Petru, M.; Mahmood, A.; Kejzlar, P. Photocatalytic Behaviour of Zinc Oxide Nanostructures on Surface Activation of Polymeric Fibres. Polymers 2021, 13, 1227. [Google Scholar] [CrossRef]
- La Fé-Perdomo, I.; Loyola, O.; Barrionuevo, G.O.; Ramos-Grez, J.A. Adiabatic efficiency and mechanical properties optimization for the laser-based powder bed fusion process of 316L stainless steel alloy. Mater. Today Commun. 2025, 49, 113616. [Google Scholar] [CrossRef]
- Bukichev, Y.S.; Bogdanova, L.M.; Lesnichaya, V.A.; Chukanov, N.V.; Golubeva, N.D.; Dzhardimalieva, G.I. Mechanical and Thermophysical Properties of Epoxy Nanocomposites with Titanium Dioxide Nanoparticles. Appl. Sci. 2023, 13, 4488. [Google Scholar] [CrossRef]
- Yang, J.; Dai, J.; Liu, X.; Fu, S.; Zong, E.; Song, P. A lignin-based epoxy/TiO2 hybrid nanoparticle for multifunctional bio-based epoxy with improved mechanical, UV absorption and antibacterial properties. Int. J. Biol. Macromol. 2022, 210, 85–93. [Google Scholar] [CrossRef] [PubMed]
- Xia, R.; Xi, J.; Zhang, Z.; He, Y.; Yu, Z. Curing Behavior of UV-Initiated Surface-Modified Nano-TiO2/Epoxy Resin Prepolymers and the Properties of Cured Composites. Polymers 2023, 15, 1756. [Google Scholar] [CrossRef] [PubMed]
- Goyat, M.S.; Rana, S.; Halder, S.; Ghosh, P.K. Facile fabrication of epoxy-TiO2 nanocomposites: A critical analysis of TiO2 impact on mechanical properties and toughening mechanisms. Ultrason. Sonochem. 2018, 40, 861–873. [Google Scholar] [CrossRef] [PubMed]
- Yadhav, B.R.L.; Govindaraju, H.K.; Kiran, M.D.; Suresha, B. Three-point bending and impact behaviour of carbon/epoxy composites modified with titanium dioxide nanoparticles. Mater. Today Proc. 2021, 43, 1755–1761. [Google Scholar] [CrossRef]
- Hatata, S.M.; Salman, H.H. Study of Impact Resistant and Flexural Strength for Epoxy Composite Reinforced by Nano and Micro Materials of Silica and Titanium Oxide. AIP Conf. Proc. 2023, 2845, 070036. [Google Scholar] [CrossRef]
- Kamesh, B.; Singh, L.K.; Kassa, M.K.; Arumugam, A.B. Synergetic effect of incorporating graphene, CNT and hybrid nanoparticles on the mechanical properties of glass fiber reinforced epoxy laminated composites. Cogent Eng. 2023, 10, 2232604. [Google Scholar] [CrossRef]
- Pinto, D.; Bernardo, L.; Amaro, A.; Lopes, S. Mechanical properties of epoxy nanocomposites using titanium dioxide as reinforcement—A review. Constr. Build. Mater. 2015, 95, 506–524. [Google Scholar] [CrossRef]
- Kumar, A.; Saha, A.; Kumar, S. Structural analysis of sol-gel derived TiO2 nanoparticles: A critical impact of TiO2 nanoparticles on thermo-mechanical mechanism of glass fiber polymer composites. J. Polym. Res. 2021, 28, 441. [Google Scholar] [CrossRef]
- Perumal, K.P.S.; Selvarajan, L.; Kumar, P.M.; Shriguppikar, S. Enhancing mechanical and morphological properties of glass fiber reinforced epoxy polymer composites through rutile nanoparticle incorporation. Prog. Addit. Manuf. 2024, 10, 831–848. [Google Scholar] [CrossRef]
- Dasari, S.; Lohani, S.; Dash, S.S.; Fulmali, A.O.; Prusty, R.K.; Ray, B.C. A novel study of flexural behavior of short glass fibers as secondary reinforcements in GFRP composite. Mater. Today Proc. 2021, 47, 3370–3374. [Google Scholar] [CrossRef]
- Abebe, Y.; Palani, S.; Sirahbizu, B. Effect of Al2O3 nanoparticle on mechanical properties of polyester/ glass-wool fiber reinforced polymer composites. Hybrid Adv. 2025, 10, 100472. [Google Scholar] [CrossRef]
- Barbaz-Isfahani, R.; Shariati, M.; Jalali Azizpour, M. Synergistic Effects of Incorporating Various Types of Nanoparticles on Tensile, Flexural, and Quasi-static Behaviors of GFRP Composites. Fibers Polym. 2022, 23, 2003–2016. [Google Scholar] [CrossRef]
- Turaka, S.; Chintalapudi, R.; Geetha, N.K.; Pappula, B.; Makgato, S. Experimental and numerical analysis of the Microstructure and mechanical properties of unidirectional glass fiber reinforced epoxy composites. Compos. Struct. 2024, 331, 117887. [Google Scholar] [CrossRef]
- Ojha, S.; Bisaria, H.; Mohanty, S.; Kanny, K. Fractographic analysis of fiber-reinforced polymer laminate composites for marine applications: A comprehensive review. Polym. Compos. 2024, 45, 6771–6787. [Google Scholar] [CrossRef]
- Howlader, M.I.; Islam, M.S.; Haque, M.M. Mechanical and morphological analysis of natural fiber-reinforced epoxy and polyester hybrid composites. Results Eng. 2025, 26, 105010. [Google Scholar] [CrossRef]
- Zhang, W.; Yin, L.; Zhao, M.; Tan, Z.; Li, G. Rapid and non-destructive quality verification of epoxy resin product using ATR-FTIR spectroscopy coupled with chemometric methods. Microchem. J. 2021, 168, 106397. [Google Scholar] [CrossRef]
- Pannico, M.; Mensitieri, G.; Musto, P. In-situ FTIR spectroscopy of epoxy resin degradation: Kinetics and mechanisms. Front. Chem. 2024, 12, 1476965. [Google Scholar] [CrossRef]
- Mamudu, U.; Dufresne, A.; Lim, R.C. Synthesis and characterization of phosphorylated cellulose nanocrystals for enhanced UV stability of epoxy nanocomposite films. Compos. Part C Open Access 2023, 12, 100393. [Google Scholar] [CrossRef]
- Nikolic, G.; Zlatković, S.J.; Živković, M.Ž.; Nikolić, A.S.; Kakurinov, V.B.; Živković, D.T. Fast Fourier Transform IR Characterization of Epoxy GY Systems Crosslinked with Aliphatic and Cycloaliphatic EH Polyamine Adducts. Sensors 2010, 10, 684–696. [Google Scholar] [CrossRef]
- Gonçalves, F.A.M.M.; Ferreira, P.; Alves, P. Synthesis and characterization of itaconic-based epoxy resin: Chemical and thermal properties of partially biobased epoxy resins. Polymer 2021, 235, 124285. [Google Scholar] [CrossRef]
- Girigoswami, A.; Deepika, B.; Pandurangan, A.K.; Girigoswami, K. Preparation of titanium dioxide nanoparticles from Solanum Tuberosum peel extract and its applications. Artif. Cells Nanomed. Biotechnol. 2024, 52, 59–68. [Google Scholar] [CrossRef] [PubMed]
- Barrionuevo, G.O.; Walczak, M.; Ramos-Grez, J.; Sánchez-Sánchez, X. Microhardness and wear resistance in materials manufactured by laser powder bed fusion: Machine learning approach for property prediction. CIRP J. Manuf. Sci. Technol. 2023, 43, 106–114. [Google Scholar] [CrossRef]
- Barrionuevo, G.O.; Ramos-Grez, J.A.; Walczak, M.; Betancourt, C.A. Comparative evaluation of supervised machine learning algorithms in the prediction of the relative density of 316L stainless steel fabricated by selective laser melting. Int. J. Adv. Manuf. Technol. 2021, 113, 419–433. [Google Scholar] [CrossRef]
- Ramezani, M.; Choe, D.E.; Rasheed, A. Prediction of the flexural strength and elastic modulus of cementitious materials reinforced with carbon nanotubes: An approach with artificial intelligence. Eng. Appl. Artif. Intell. 2025, 150, 110544. [Google Scholar] [CrossRef]
- Mirindi, D.; Sinkhonde, D.; Bezabih, T.; Mirindi, F.; Oshineye, O.; Mirindi, P. Prediction of flexural and split tensile strength of waste glass-concrete composite using machine learning algorithms. Green Technol. Sustain. 2026, 4, 100275. [Google Scholar] [CrossRef]
- Sarmiento-Pupo, K.D.; Escalante-Tovar, J.D.; Altamiranda, J.E.; Abellan-Garcia, J.; Vélez, J.I. Predicting flexural strength in fiber-reinforced UHPC via random forest. Sci. Rep. 2025, 15, 42045. [Google Scholar] [CrossRef]
- Fu, Y.; Yao, X. A review on manufacturing defects and their detection of fiber reinforced resin matrix composites. Compos. Part C Open Access 2022, 8, 100276. [Google Scholar] [CrossRef]














| Formulation | Titanium Dioxide (wt.%) | CPM Bio-Epoxy (wt.%) | CPL Hardener (wt.%) |
|---|---|---|---|
| 1 | 0.0 | 70.40 | 29.60 |
| 2 | 0.5 | 70.05 | 29.45 |
| 3 | 1.0 | 69.70 | 29.30 |
| 4 | 2.0 | 69.00 | 29.00 |
| Characterization Test | ASTM Standard | Specimen Dimensions |
|---|---|---|
| Tensile test | D3039-17R25 [54] | Length: 250 mm Width: 25 mm Thickness: 1.5 mm |
| Flexural test | D7264-21 [55] | Length: 125 mm Width: 12.5 mm Thickness: 1.5 mm Support span to depth ratio: 40 to 1 |
| Composite Formulation | Tensile Strength (MPa) | Percent of Increment (%) | Tensile Modulus (GPa) | Percent of Increment (%) | Elongation Percent at Break (%) | Percent of Increment (%) |
|---|---|---|---|---|---|---|
| GFRBE | 214.43 ± 7.35 | -- | 13.11 ± 0.36 | -- | 1.99 ± 0.10 | -- |
| GFRBE + 0.5 wt.% TiO2 | 233.65 ± 2.22 | 8.96 | 14.67 ± 0.19 | 11.90 | 2.00 ± 0.06 | 0.50 |
| GFRBE + 1.0 wt.% TiO2 | 241.80 ± 3.72 | 12.76 | 14.89 ± 0.13 | 13.58 | 2.01 ± 0.03 | 1.01 |
| GFRBE + 2.0 wt.% TiO2 | 232.93 ± 6.60 | 8.63 | 13.80 ± 0.29 | 5.26 | 2.05 ± 0.07 | 3.02 |
| Composite Formulation | Flexural Modulus (GPa) | Percent of Increment (%) | Flexural Strength (MPa) | Percent of Increment (%) |
|---|---|---|---|---|
| GFRBE | 14.54 ± 0.17 | -- | 374.97 ± 5.40 | -- |
| GFRBE + 0.5 wt.% TiO2 | 17.10 ± 0.10 | 17.61 | 418.24 ± 4.80 | 11.54 |
| GFRBE + 1.0 wt.% TiO2 | 17.93 ± 0.05 | 23.31 | 440.54 ± 2.80 | 17.49 |
| GFRBE + 2.0 wt.% TiO2 | 20.30 ± 0.12 | 39.62 | 447.32 ± 3.69 | 19.29 |
| Composite Formulation | C (wt.%) | O (wt.%) | Ti (wt.%) |
|---|---|---|---|
| GFRBE | 80.40 | 19.60 | – |
| GFRBE + 0.5 wt.% TiO2 | 79.70 | 19.90 | 0.40 |
| GFRBE + 1.0 wt.% TiO2 | 78.90 | 20.30 | 0.80 |
| GFRBE + 2.0 wt.% TiO2 | 80.30 | 18.10 | 1.60 |
| Model | Training | Testing | ||||
|---|---|---|---|---|---|---|
| MAE | MSE | R2 | MAE | MSE | R2 | |
| RFR | 2.963 | 22.087 | 0.847 | 4.122 | 32.163 | 0.723 |
| XGBR | 2.963 | 22.047 | 0.846 | 4.387 | 33.211 | 0.714 |
| MLP | 4.082 | 29.701 | 0.793 | 5.274 | 37.781 | 0.674 |
| GPR | 3.036 | 22.080 | 0.846 | 3.456 | 25.808 | 0.777 |
| Cross-validation | LOOCV | |||||
| MAE | MSE | R2 | MAE | MSE | R2 | |
| RFR | 3.580 | 29.375 | 0.482 | 3.840 | 31.496 | 0.773 |
| XGBR | 4.027 | 31.754 | 0.465 | 4.119 | 32.407 | 0.766 |
| MLP | 4.448 | 36.471 | 0.284 | 4.705 | 37.272 | 0.731 |
| GPR | 3.414 | 27.635 | 0.504 | 3.526 | 29.519 | 0.787 |
| Model | Training | Testing | ||||
|---|---|---|---|---|---|---|
| MAE | MSE | R2 | MAE | MSE | R2 | |
| RFR | 4.915 | 59.043 | 0.902 | 8.863 | 107.454 | 0.880 |
| XGBR | 4.393 | 57.822 | 0.904 | 9.429 | 109.110 | 0.878 |
| MLP | 6.538 | 72.772 | 0.879 | 9.235 | 154.505 | 0.827 |
| GPR | 4.442 | 57.833 | 0.904 | 9.447 | 109.923 | 0.877 |
| Cross-validation | LOOCV | |||||
| MAE | MSE | R2 | MAE | MSE | R2 | |
| RFR | 7.933 | 127.321 | 0.625 | 7.296 | 95.441 | 0.856 |
| XGBR | 8.716 | 136.947 | 0.606 | 7.743 | 97.729 | 0.852 |
| MLP | 8.293 | 118.957 | 0.684 | 7.588 | 98.251 | 0.852 |
| GPR | 10.033 | 219.530 | 0.544 | 7.816 | 101.362 | 0.847 |
Disclaimer/Publisher’s Note: The statements, opinions and data contained in all publications are solely those of the individual author(s) and contributor(s) and not of MDPI and/or the editor(s). MDPI and/or the editor(s) disclaim responsibility for any injury to people or property resulting from any ideas, methods, instructions or products referred to in the content. |
© 2026 by the authors. Licensee MDPI, Basel, Switzerland. This article is an open access article distributed under the terms and conditions of the Creative Commons Attribution (CC BY) license.
Share and Cite
Navas-Pinto, W.; Díaz-Leime, P.; Barrionuevo, G.O.; Luna-Jaén, J.; Sánchez-Sánchez, X.; Navas-Cárdenas, C.; Cree, D.E. Machine Learning Approach for Mechanical Property Prediction of a Bio-Epoxy and Glass Fiber Composite Reinforced with Titanium Dioxide Nanoparticles. J. Compos. Sci. 2026, 10, 123. https://doi.org/10.3390/jcs10030123
Navas-Pinto W, Díaz-Leime P, Barrionuevo GO, Luna-Jaén J, Sánchez-Sánchez X, Navas-Cárdenas C, Cree DE. Machine Learning Approach for Mechanical Property Prediction of a Bio-Epoxy and Glass Fiber Composite Reinforced with Titanium Dioxide Nanoparticles. Journal of Composites Science. 2026; 10(3):123. https://doi.org/10.3390/jcs10030123
Chicago/Turabian StyleNavas-Pinto, Wilson, Pablo Díaz-Leime, Germán Omar Barrionuevo, Jhon Luna-Jaén, Xavier Sánchez-Sánchez, Carlos Navas-Cárdenas, and Duncan E. Cree. 2026. "Machine Learning Approach for Mechanical Property Prediction of a Bio-Epoxy and Glass Fiber Composite Reinforced with Titanium Dioxide Nanoparticles" Journal of Composites Science 10, no. 3: 123. https://doi.org/10.3390/jcs10030123
APA StyleNavas-Pinto, W., Díaz-Leime, P., Barrionuevo, G. O., Luna-Jaén, J., Sánchez-Sánchez, X., Navas-Cárdenas, C., & Cree, D. E. (2026). Machine Learning Approach for Mechanical Property Prediction of a Bio-Epoxy and Glass Fiber Composite Reinforced with Titanium Dioxide Nanoparticles. Journal of Composites Science, 10(3), 123. https://doi.org/10.3390/jcs10030123

