Effects of Highland Barley Flour with Different Particle Sizes on the Characteristics of Reconstituted Flour and Noodles
Abstract
1. Introduction
2. Materials and Methods
2.1. Materials
2.2. Preparation of Highland Barley Flour (HBF) with Different Particle Sizes
2.3. Particle Size and Damaged Starch of HBF
2.4. Morphology of Granules
2.5. Preparation of Reconstituted Flour (RF) and Noodles
2.6. Rapid Viscosity Analysis (RVA) of RF
2.7. Mixing Properties of RF
2.8. Color and Cooking Properties of Noodles
2.9. Textural Properties of Noodles
2.10. Thermal Analysis of Noodles
2.11. Scanning Electron Microscope (SEM)
2.12. Confocal Laser Scanning Microscopy (CLSM)
2.13. Statistical Analysis
3. Results and Discussion
3.1. Particle Size Analysis of HBF
3.2. Microstructure of HBF
3.3. Pasting Properties of RF
3.4. Dough Mixing Properties of RF
3.5. Color and Cooking Properties of Noodles
3.6. Textural Characteristics of Noodles
3.7. Thermal Properties of Noodles
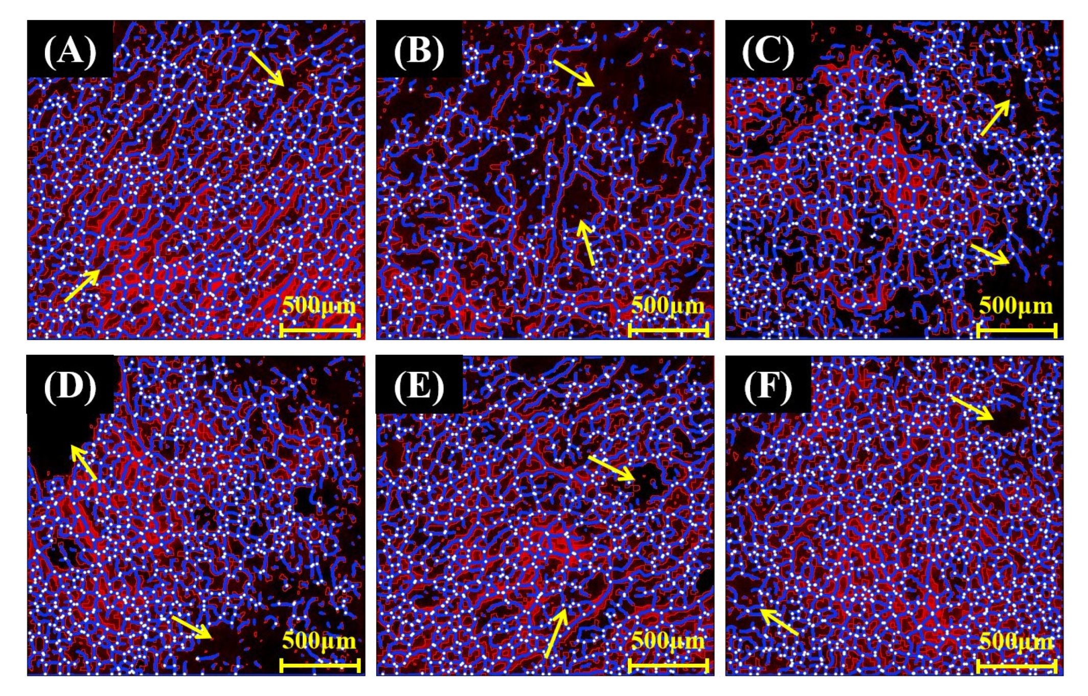
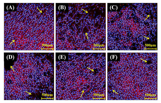
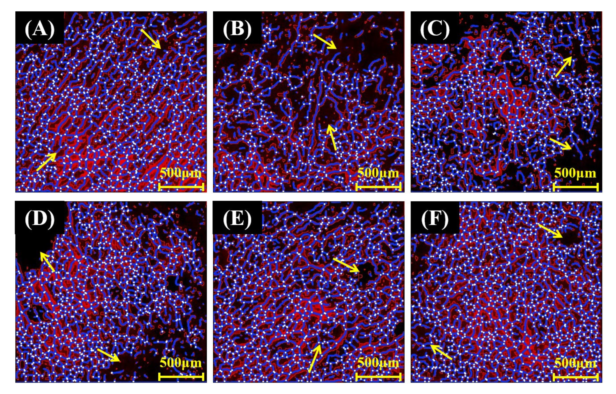
3.8. Microstructure of Noodles
4. Conclusions
Author Contributions
Funding
Data Availability Statement
Acknowledgments
Conflicts of Interest
References
- Niu, M.; Hou, G.; Lee, B.; Chen, Z. Effects of fine grinding of millfeeds on the quality attributes of reconstituted whole-wheat flour and its raw noodle products. LWT 2014, 57, 58–64. [Google Scholar] [CrossRef]
- Ling, X.; Tang, N.; Zhao, B.; Zhang, Y.; Guo, B.; Wei, Y. Study on the water state, mobility and textural property of Chinese noodles during boiling. Int. J. Food Sci. Tech. 2020, 55, 1716–1724. [Google Scholar] [CrossRef]
- Saito, H.; Tamura, M.; Ogawa, Y. Starch digestibility of various Japanese commercial noodles made from different starch sources. Food Chem. 2019, 283, 390–396. [Google Scholar] [CrossRef] [PubMed]
- Li, Y.; Wang, Y.; Liu, H.; Li, X. Effects of different crop starches on the cooking quality of Chinese dried noodles. Int. J. Food Sc. Tech. 2022, 57, 2080–2092. [Google Scholar] [CrossRef]
- Zhao, Z.; Ming, J.; Zhao, G.; Lei, L. Color, Starch Digestibility, and In Vitro Fermentation of Roasted Highland Barley Flour with Different Fractions. Foods 2022, 11, 287. [Google Scholar] [CrossRef]
- Obadi, M.; Sun, J.; Xu, B. Highland barley: Chemical composition, bioactive compounds, health effects, and applications. Food Res. Int. 2021, 140, 110065. [Google Scholar] [CrossRef]
- Liu, H.; Li, Y.; You, M.; Liu, X. Comparison of physicochemical properties of β-glucans extracted from hull-less barley bran by different methods. Int. J. Biol. Macromol. 2021, 182, 1192–1199. [Google Scholar] [CrossRef]
- Li Lv, Y.; Ma, S.; Yan, J.; Sun, B.; Wang, X. Effect of Heat-Moisture Treatment on the Physicochemical Properties, Structure, Morphology, and Starch Digestibility of Highland Barley (Hordeum vulgare L. var. nudum Hook. f) Flour. Foods 2022, 11, 3511. [Google Scholar] [CrossRef]
- Puhin, K.; Fukuoka, M.; Ratanasumawong, S. Effect of starch and non-starch components on water migration, microstructure, starch retrogradation and texture of flat rice noodles made from different rice varieties. Int. J. Food Sci. Tech. 2021, 56, 3344–3354. [Google Scholar] [CrossRef]
- Hong, J.; An, D.; Wang, M.; Liu, C.; Buckow, R.; Li, L.; Zheng, X.; Bian, K. Wheat noodles enriched with A-type and/or B-type wheat starch: Physical, thermal and textural properties of dough sheet and noodle samples from different noodle-making process. Int. J. Food Sci. Tech. 2021, 56, 3111–3122. [Google Scholar] [CrossRef]
- Gu, Y.; Qian, X.; Sun, B.; Ma, S.; Tian, X.; Wang, X. Nutritional composition and physicochemical properties of oat flour sieving fractions with different particle size. LWT 2022, 154, 112757. [Google Scholar] [CrossRef]
- Liu, T.; Gao, X.; Li, L.; Du, D.; Cheng, X.; Zhao, Y.; Liu, Y.; Li, X. Effects of HMW-GS at Glu-B1 locus on the polymerization of glutenin during grain development and on the secondary and micro-structures of gluten in wheat (Triticum aestivum L.). J. Cereal Sci. 2016, 72, 101–107. [Google Scholar] [CrossRef]
- Qin, W.; Lin, Z.; Wang, A.; Chen, Z.; He, Y.; Wang, L.; Liu, L.; Wang, F.; Tong, L.T. Influence of particle size on the properties of rice flour and quality of gluten-free rice bread. LWT 2021, 151, 112236. [Google Scholar] [CrossRef]
- Azeem, M.; Mu, T.H.; Zhang, M. Influence of particle size distribution of orange-fleshed sweet potato flour on dough rheology and simulated gastrointestinal digestion of sweet potato-wheat bread. LWT 2020, 131, 109690. [Google Scholar] [CrossRef]
- Li, Y.; Liu, H.; Wang, Y.; Ibrahim Shabani, K.; Qin, X.; Liu, X. Comparison of structural features of reconstituted doughs affected by starches from different cereals and other botanical sources. J. Cereal Sci. 2020, 93, 102937. [Google Scholar] [CrossRef]
- Chen, Z.; Huang, Q.; Xia, Q.; Zha, B.; Sun, J.; Xu, B.; Shi, Y.C. Intact endosperm cells in buckwheat flour limit starch gelatinization and digestibility in vitro. Food Chem. 2020, 330, 127318. [Google Scholar] [CrossRef]
- Pu, H.; Wei, J.; Wang, L.; Huang, J.; Chen, X.; Luo, C.; Liu, S.; Zhang, H. Effects of potato/wheat flours ratio on mixing properties of dough and quality of noodles. J. Cereal Sci. 2017, 76, 236–242. [Google Scholar] [CrossRef]
- Hemdane, S.; Jacobs, P.J.; Bosmans, G.M.; Verspreet, J.; Delcour, J.A.; Courtin, C.M. Study on the effects of wheat bran incorporation on water mobility and biopolymer behavior during bread making and storage using time-domain 1H NMR relaxometry. Food Chem. 2017, 236, 76–86. [Google Scholar] [CrossRef] [PubMed]
- Li, M.; Sun, Q.J.; Han, C.W.; Chen, H.H.; Tang, W.T. Comparative study of the quality characteristics of fresh noodles with regular salt and alkali and the underlying mechanisms. Food Chem. 2018, 246, 335–342. [Google Scholar] [CrossRef] [PubMed]
- Cao, Z.B.; Yu, C.; Yang, Z.; Xing, J.J.; Guo, X.N.; Zhu, K.X. Impact of gluten quality on textural stability of cooked noodles and the underlying mechanism. Food Hydrocolloid. 2021, 119, 106842. [Google Scholar] [CrossRef]
- Ma, M.; Mu, T. Effects of extraction methods and particle size distribution on the structural, physicochemical, and functional properties of dietary fiber from deoiled cumin. Food Chem. 2016, 194, 237–246. [Google Scholar] [CrossRef]
- Asmeda, R.; Noorlaila, A.; Norziah, M.H. Relationships of damaged starch granules and particle size distribution with pasting and thermal profiles of milled MR263 rice flour. Food Chem. 2016, 191, 45–51. [Google Scholar] [CrossRef] [PubMed]
- Du, B.; Zhu, F.; Xu, B. Physicochemical and antioxidant properties of dietary fibers from Qingke (hull-less barley) flour as affected by ultrafine grinding. Bioact. Carbohydr. Diet. Fibre 2014, 4, 170–175. [Google Scholar] [CrossRef]
- Xing, J.J.; Jiang, D.H.; Guo, X.N.; Yang, Z.; Zhu, K.X. Effect of dough mixing with slightly acidic electrolyzed water on the shelf-life and quality characteristics of fresh wet noodles. Food Control 2021, 124, 107891. [Google Scholar] [CrossRef]
- Jia, F.; Ma, Z.; Wang, X.; Li, X.; Liu, L.; Hu, X. Effect of kansui addition on dough rheology and quality characteristics of chickpea-wheat composite flour-based noodles and the underlying mechanism. Food Chem. 2019, 298, 125081. [Google Scholar] [CrossRef]
- Wang, Q.; Li, L.; Zheng, X. A review of milling damaged starch: Generation, measurement, functionality and its effect on starch-based food systems. Food Chem. 2020, 315, 126267. [Google Scholar] [CrossRef]
- Xie, Y.; Zhu, M.; Liu, H.; Fan, Z.; Zhang, Y.; Qin, X.; Liu, X. Effects of β-glucan and various thermal processing methods on the in vitro digestion of hulless barley starch. Food Chem. 2021, 360, 129952. [Google Scholar] [CrossRef]
- Ma, Z.; Ma, M.; Zhou, D.; Li, X.; Hu, X. The retrogradation characteristics of pullulanase debranched field pea starch: Effects of storage time and temperature. Int. J Biol. Macromol. 2019, 134, 984–992. [Google Scholar] [CrossRef]
- Rosell, C.M.; Collar, C.; Haros, M. Assessment of hydrocolloid effects on the thermo-mechanical properties of wheat using the Mixolab. Food Hydrocolloid. 2007, 21, 452–462. [Google Scholar] [CrossRef]
- Ding, J.Z.; Hou, G.G.; Nemzer, B.V.; Xiong, S.B.; Dubat, A.; Feng, H. Effects of controlled germination on selected physicochemical and functional properties of whole-wheat flour and enhanced γ-aminobutyric acid accumulation by ultrasonication. Food Chem. 2018, 243, 214–221. [Google Scholar] [CrossRef]
- Cai, L.; Choi, I.; Hyun, J.N.; Jeong, Y.K.; Baik, B.K. Influence of Bran Particle Size on Bread-Baking Quality of Whole Grain Wheat Flour and Starch Retrogradation. Cereal Chem. 2014, 91, 65–71. [Google Scholar] [CrossRef]
- Rosell, C.M.; Santos, E.; Collar, C. Physical characterization of fiber-enriched bread doughs by dual mixing and temperature constraint using the Mixolab. Eur. Food Res. Tech. 2010, 231, 535–544. [Google Scholar] [CrossRef]
- Wang, N.; Hou, G.G.; Dubat, A. Effects of flour particle size on the quality attributes of reconstituted whole-wheat flour and Chinese southern-type steamed bread. LWT 2017, 82, 147–153. [Google Scholar] [CrossRef]
- Wang, X.; Pei, D.; Teng, Y.; Liang, J. Effects of enzymes to improve sensory quality of frozen dough bread and analysis on its mechanism. J. Food Sci. Tech. 2018, 55, 389–398. [Google Scholar] [CrossRef]
- Jia, F.; Ma, Z.; Hu, X. Controlling dough rheology and structural characteristics of chickpea-wheat composite flour-based noodles with different levels of Artemisia sphaerocephala Krasch. gum addition. Int. J. Biol. Macromol. 2020, 150, 605–616. [Google Scholar] [CrossRef]
- Chen, J.S.; Fei, M.J.; Shi, C.L.; Tian, J.C.; Sun, C.L.; Zhang, H.; Ma, Z.; Dong, H.X. Effect of particle size and addition level of wheat bran on quality of dry white Chinese noodles. J. Cereal Sci. 2011, 53, 217–224. [Google Scholar] [CrossRef]
- Yan, H.; Lu, Q. Effects of the size distribution of wheat starch on noodles with and without gluten. J. Texture Stud. 2021, 52, 101–109. [Google Scholar] [CrossRef]
- Niu, M.; Hou, G.G.; Kindelspire, J.; Krishnan, P.; Zhao, S. Microstructural, textural, and sensory properties of whole-wheat noodle modified by enzymes and emulsifiers. Food Chem. 2017, 223, 16–24. [Google Scholar] [CrossRef]
- Yang, Y.; Jiao, A.; Zhao, S.; Liu, Q.; Fu, X.; Jin, Z. Effect of removal of endogenous non-starch components on the structural, physicochemical properties, and in vitro digestibility of highland barley starch. Food Hydrocolloid. 2021, 117, 106698. [Google Scholar] [CrossRef]
- Yang, C.; Zhong, F.; Douglas Goff, H.; Li, Y. Study on starch-protein interactions and their effects on physicochemical and digestible properties of the blends. Food Chem. 2019, 280, 51–58. [Google Scholar] [CrossRef]
- Han, W.; Ma, S.; Li, L.; Zheng, X.; Wang, X. Impact of wheat bran dietary fiber on gluten and gluten-starch microstructure formation in dough. Food Hydrocolloid. 2019, 95, 292–297. [Google Scholar] [CrossRef]
- Bernklau, I.; Lucas, L.; Jekle, M.; Becker, T. Protein network analysis—A new approach for quantifying wheat dough microstructure. Food Res. Int. 2016, 89, 812–819. [Google Scholar] [CrossRef] [PubMed]
- Gao, X.; Liu, T.; Ding, M.; Wang, J.; Li, C.; Wang, Z.; Li, X. Effects of HMW-GS Ax1 or Dx2 absence on the glutenin polymerization and gluten micro structure of wheat (Triticum aestivum L.). Food Chem. 2018, 240, 626–633. [Google Scholar] [CrossRef] [PubMed]
- Liu, T.; Hou, G.G.; Lee, B.; Marquart, L.; Dubat, A. Effects of particle size on the quality attributes of reconstituted whole-wheat flour and tortillas made from it. J. Cereal Sci. 2016, 71, 145–152. [Google Scholar] [CrossRef]
- Shevkani, K.; Singh, N.; Bajaj, R.; Kaur, A. Wheat starch production, structure, functionality and applications-a review. Int. J Food Sci. Tech. 2017, 52, 38–58. [Google Scholar] [CrossRef]



| Sample | d (0.1) (μm) | d (0.5) (μm) | d (0.9) (μm) | D (4,3) (μm) | DS (g/kg) |
|---|---|---|---|---|---|
| HBF-1 | 12.79 ± 0.41a | 223.25 ± 17.63a | 667.88 ± 18.77a | 282.24 ± 11.27a | 47.0 ± 1.9a |
| HBF-2 | 11.71 ± 0.04b | 143.12 ± 2.99b | 410.18 ± 13.16b | 176.65 ± 5.44b | 61.0 ± 2.4b |
| HBF-3 | 9.99 ± 0.20c | 90.73 ± 3.63c | 385.21 ± 4.81c | 148.08 ± 3.11c | 62.3 ± 0.0b |
| HBF-4 | 7.04 ± 0.02d | 42.33 ± 0.35d | 210.17 ± 3.80d | 80.05 ± 1.17d | 102.0 ± 2.4c |
| HBF-5 | 3.57 ± 0.11e | 19.26 ± 0.61e | 58.00 ± 6.43e | 25.96 ± 1.92e | 108.0 ± 1.8c |
| Sample | Pv (mPa·s) | Tv (mPa·s) | BD (mPa·s) | Fv (mPa·s) | SB (mPa·s) | PT (min) |
|---|---|---|---|---|---|---|
| WF | 2440.00 ± 10.00a | 1904.00 ± 29.00a | 536.00 ± 19.00c | 3182.50 ± 0.50a | 1278.50 ± 28.50a | 6.37 ± 0.03a |
| RF-1 | 1066.67 ± 7.23d | 599.33 ± 3.21c | 467.33 ± 4.16d | 1461.67 ± 8.74c | 862.33 ± 6.35c | 5.69 ± 0.03c |
| RF-2 | 1449.00 ± 46.86c | 692.33 ± 18.04b | 756.67 ± 34.31b | 1656.33 ± 35.23b | 964.00 ± 19.08b | 5.71 ± 0.08c |
| RF-3 | 1489.00 ± 27.18c | 708.33 ± 16.26b | 780.67 ± 43.41b | 1682.67 ± 17.39b | 974.33 ± 7.09b | 5.78 ± 0.04c |
| RF-4 | 1642.00 ± 47.32b | 715.33 ± 41.10b | 926.67 ± 50.90a | 1678.67 ± 52.05b | 963.33 ± 25.17b | 5.95 ± 0.04b |
| RF-5 | 1662.33 ± 15.82b | 721.67 ± 24.34b | 940.67 ± 11.15a | 1676.33 ± 27.79b | 954.67 ± 12.66b | 6.02 ± 0.04b |
| Sample | WA (%) | DT (min) | ST (min) | C2 (Nm) | C3 (Nm) | C5 (Nm) | C3-C4 (Nm) | C5-C4 (Nm) |
|---|---|---|---|---|---|---|---|---|
| WF | 59.40 ± 0.36e | 2.62 ± 0.18e | 10.67 ± 0.15a | 0.86 ± 0.03a | 2.62 ± 0.01a | 2.48 ± 0.02a | 1.00 ± 0.01a | 0.86 ± 0.07a |
| RF-1 | 66.60 ± 0.00d | 8.95 ± 0.16a | 6.23 ± 0.23d | 0.46 ± 0.01b | 1.66 ± 0.02b | 2.22 ± 0.05b | 0.18 ± 0.03d | 0.74 ± 0.02b |
| RF-2 | 69.33 ± 0.06c | 6.07 ± 0.86b | 8.40 ± 0.50c | 0.47 ± 0.04b | 1.51 ± 0.02c | 1.98 ± 0.04c | 0.24 ± 0.02c | 0.71 ± 0.06b |
| RF-3 | 69.67 ± 0.06c | 5.72 ± 0.47bc | 9.20 ± 0.36b | 0.47 ± 0.00b | 1.50 ± 0.02c | 1.88 ± 0.01d | 0.29 ± 0.01b | 0.67 ± 0.04b |
| RF-4 | 71.50 ± 0.61b | 4.96 ± 0.12cd | 8.93 ± 0.06bc | 0.45 ± 0.01b | 1.36 ± 0.01d | 1.63 ± 0.03e | 0.30 ± 0.01b | 0.58 ± 0.03c |
| RF-5 | 72.43 ± 0.72a | 4.57 ± 0.10d | 8.87 ± 0.15bc | 0.45 ± 0.02b | 1.32 ± 0.02e | 1.53 ± 0.00f | 0.31 ± 0.03b | 0.52 ± 0.01c |
| Sample | L* | a* | b* | ΔE | BR (%) | CL (%) | CY (%) | OCT (min) |
|---|---|---|---|---|---|---|---|---|
| WFN | 89.56 ± 0.67a | 2.09 ± 0.16d | 18.13 ± 0.25c | - | 0.00 ± 0.00b | 6.09 ± 0.07a | 153.80 ± 5.34a | 1.96 ± 0.04d |
| RFN-1 | 73.68 ± 0.43b | 5.33 ± 0.11c | 19.31 ± 0.20b | 16.25 ± 0.14d | 14.44 ± 1.93a | 4.47 ± 0.16d | 105.40 ± 2.10b | 3.17 ± 0.00a |
| RFN-2 | 73.73 ± 0.41b | 5.30 ± 0.23c | 18.43 ± 0.50c | 16.15 ± 0.12d | 0.00 ± 0.00b | 4.52 ± 0.29d | 103.66 ± 3.83b | 2.32 ± 0.17c |
| RFN-3 | 69.13 ± 0.11e | 5.83 ± 0.06b | 21.18 ± 0.23a | 20.99 ± 0.21a | 0.00 ± 0.00b | 4.77 ± 0.08cd | 98.09 ± 4.85bc | 2.67 ± 0.09b |
| RFN-4 | 72.77 ± 0.29c | 5.99 ± 0.11ab | 20.73 ± 0.30a | 17.43 ± 0.18c | 0.00 ± 0.00b | 4.89 ± 0.17c | 97.21 ± 6.83bc | 2.44 ± 0.05c |
| RFN-5 | 69.92 ± 0.43d | 6.19 ± 0.22a | 21.11 ± 0.41a | 20.28 ± 0.22b | 0.00 ± 0.00b | 5.25 ± 0.28b | 94.28 ± 0.16c | 2.61 ± 0.10b |
| Sample | Ha (N) | Ad (N) | Sp (mm) | Ch (N·mm) | Re | SF (N) | BS (N) |
|---|---|---|---|---|---|---|---|
| WFN | 75.96 ± 0.87e | −0.97 ± 0.09a | 0.97 ± 0.02a | 51.27 ± 1.98b | 0.38 ± 0.03a | 2.18 ± 0.03bc | 21.24 ± 0.23d |
| RFN-1 | 87.88 ± 0.54d | −2.35 ± 0.18d | 0.93 ± 0.02a | 62.79 ± 2.84a | 0.32 ± 0.01b | 2.78 ± 0.03a | 20.18 ± 0.18e |
| RFN-2 | 88.21 ± 0.66d | −1.87 ± 0.12c | 0.95 ± 0.03a | 62.10 ± 4.69a | 0.40 ± 0.02a | 2.21 ± 0.03b | 23.35 ± 0.42c |
| RFN-3 | 89.24 ± 0.48c | −1.46 ± 0.06b | 0.96 ± 0.02a | 61.89 ± 2.58a | 0.39 ± 0.02a | 2.20 ± 0.03b | 23.82 ± 0.36c |
| RFN-4 | 91.24 ± 0.26b | −1.15 ± 0.02a | 0.97 ± 0.01a | 61.34 ± 0.22a | 0.41 ± 0.03a | 2.10 ± 0.04c | 26.38 ± 0.28b |
| RFN-5 | 93.65 ± 0.72a | −1.14 ± 0.09a | 0.97 ± 0.03a | 57.09 ± 3.66b | 0.38 ± 0.02a | 1.82 ± 0.02d | 28.83 ± 0.31a |
| Sample | To (°C) | Tp (°C) | Tc (°C) | ΔH (J/g) |
|---|---|---|---|---|
| WFN | 59.05 ± 0.01a | 66.40 ± 0.00a | 75.43 ± 0.12a | 2.14 ± 0.01a |
| RFN-1 | 55.43 ± 0.10d | 67.40 ± 0.00a | 73.58 ± 0.01b | 1.95 ± 0.04b |
| RFN-2 | 55.31 ± 0.06e | 66.79 ± 0.00a | 72.27 ± 0.22c | 1.72 ± 0.02c |
| RFN-3 | 57.76 ± 0.01c | 67.92 ± 0.00a | 71.51 ± 0.01d | 1.37 ± 0.01d |
| RFN-4 | 57.70 ± 0.04c | 67.31 ± 0.01a | 68.39 ± 0.26e | 1.14 ± 0.01e |
| RFN-5 | 58.54 ± 0.03b | 66.67 ± 0.00a | 67.21 ± 0.02f | 0.99 ± 0.01f |
| Sample | GA (×104 μm2) | GPA (%) | GJ | JD (×10−3) | TGL (×103 μm) | GE (×102) | La (×10−2) |
|---|---|---|---|---|---|---|---|
| WFN | 11.13 ± 0.58a | 64.41 ± 2.06a | 665.5 ± 52.60b | 5.9 ± 0.08b | 11.85 ± 0.12b | 1.60 ± 0.21c | 1.68 ± 0.16e |
| RFN-1 | 7.75 ± 0.87d | 44.84 ± 1.15d | 482.5 ± 9.80c | 4.4 ± 0.22c | 9.51 ± 0.09d | 3.28 ± 0.24a | 7.76 ± 0.21a |
| RFN-2 | 7.97 ± 0.21d | 46.10 ± 0.46d | 514.8 ± 36.89c | 4.6 ± 0.15c | 9.67 ± 0.05d | 3.16 ± 0.19a | 6.79 ± 0.27b |
| RFN-3 | 9.23 ± 0.34c | 53.39 ± 1.93c | 645.1 ± 18.92b | 5.8 ± 0.28b | 11.04 ± 0.38c | 2.70 ± 0.35b | 5.73 ± 0.48c |
| RFN-4 | 10.03 ± 0.45b | 58.02 ± 0.87b | 628.7 ± 10.09b | 5.61 ± 0.25bc | 11.33 ± 0.09c | 1.91 ± 0.22c | 2.32 ± 0.24d |
| RFN-5 | 10.91 ± 0.89a | 63.09 ± 0.85a | 847.2 ± 50.20a | 7.6 ± 0.17a | 12.89 ± 0.28a | 1.42 ± 0.18d | 1.49 ± 0.13e |
Disclaimer/Publisher’s Note: The statements, opinions and data contained in all publications are solely those of the individual author(s) and contributor(s) and not of MDPI and/or the editor(s). MDPI and/or the editor(s) disclaim responsibility for any injury to people or property resulting from any ideas, methods, instructions or products referred to in the content. |
© 2023 by the authors. Licensee MDPI, Basel, Switzerland. This article is an open access article distributed under the terms and conditions of the Creative Commons Attribution (CC BY) license (https://creativecommons.org/licenses/by/4.0/).
Share and Cite
Liu, H.; Duan, J.; Zhu, J.; Liu, X. Effects of Highland Barley Flour with Different Particle Sizes on the Characteristics of Reconstituted Flour and Noodles. Foods 2023, 12, 1074. https://doi.org/10.3390/foods12051074
Liu H, Duan J, Zhu J, Liu X. Effects of Highland Barley Flour with Different Particle Sizes on the Characteristics of Reconstituted Flour and Noodles. Foods. 2023; 12(5):1074. https://doi.org/10.3390/foods12051074
Chicago/Turabian StyleLiu, Haibo, Jiaojiao Duan, Jing Zhu, and Xiong Liu. 2023. "Effects of Highland Barley Flour with Different Particle Sizes on the Characteristics of Reconstituted Flour and Noodles" Foods 12, no. 5: 1074. https://doi.org/10.3390/foods12051074
APA StyleLiu, H., Duan, J., Zhu, J., & Liu, X. (2023). Effects of Highland Barley Flour with Different Particle Sizes on the Characteristics of Reconstituted Flour and Noodles. Foods, 12(5), 1074. https://doi.org/10.3390/foods12051074
