Abstract
New Zealand has a legal 3D cadastre, and has done since the inception of its cadastral survey and tenure systems around 150 years ago. However, the digital representation of the cadastre is 2D with 3D situations handled via static plan, section and elevation images and supporting textual information. Work is currently underway to develop a 3D digital cadastre that will enable the 3D spatial extents of property rights, restrictions and responsibilities to be captured, validated, lodged, integrated with existing data, visualised, and made available for use in other systems. This article presents the approach that is being promoted by regulators of New Zealand’s cadastral survey system in discussions with suppliers of land administration systems. Previous research concluded that the most appropriate way for New Zealand to develop a 3D digital cadastre is to build upon its existing system. The 2D digital cadastre would continue to be the default layer with 3D situations incorporated as and where necessary. To enable this requires a new approach to handling parcels defined in 3D. The representation of a 3D parcel as a spatial object is being proposed to allow parcels limited in height to be integrated into the digital cadastre and subsequently maintained. While the authors discuss how New Zealand’s digital cadastre may be transitioned to 3D, it is suggested that the generic nature of spatial objects could be applied to other jurisdictions. For this reason, the international appeal of the approach is considered as other jurisdictions and providers of software applications may benefit from New Zealand’s efforts.
1. Introduction
This article builds on the paper, A 3D Digital Cadastre for New Zealand by 2021: leveraging the current system and modern technology [1], which was submitted by the authors to the 5th International FIG (International Federation of Surveyors) Workshop on 3D Cadastres in 2016. In that paper it was emphasised that the authors’ involvement in regulating New Zealand’s cadastral survey system meant a regulatory perspective was being shared with the international research community. While this perspective is continued in this article, there is a point of difference to the authors’ earlier contribution. A key finding of the research at that time was the need to develop a system that best accounts for New Zealand’s situation, for which there are a number of unique characteristics. Whilst this premise still stands today, the authors have since formed the view that the development of New Zealand’s cadastral survey system presents opportunities at the international level. These opportunities relate to the way in which 3D parcels of rights, restrictions and responsibilities could be produced and incorporated into the digital cadastre as the survey and title system for New Zealand is further developed.
It is not the intention of the authors to offer a detailed design solution. Rather this article shares with the international community the work that New Zealand is doing to develop its current 2D digital cadastre to an operational 3D digital cadastre. To date, this work is enabling the authors and other Land Information New Zealand (LINZ) staff to have meaningful conversations with suppliers of land administration systems. The detailed design of the final solution will be the responsibility of the vendor contracted to build the new system with input from LINZ and the surveying profession of New Zealand.
The authors have been actively promoting the development of a 3D digital cadastre for New Zealand since 2013. During this time:
- the international status of 3D cadastres has been examined;
- dialogue with likeminded international jurisdictions has taken place;
- attendance and participation at national and international conferences with a 3D cadastre flavour has occurred;
- input of practising licensed cadastral surveyors has been obtained.
Outputs from these undertakings include a thesis [2], conference papers [1,3] and presentations, articles in a New Zealand survey publication [4,5] and several internal discussion documents.
The following discussion commences with an overview of New Zealand’s cadastral survey system. This is an important starting point as the system provides both the environment and platform on which to develop a 3D digital cadastre. With this context the next section presents the approach being pursued to achieve a 3D solution. This section includes the documentation of requirements fundamental to a 3D digital cadastre in New Zealand. This is followed with discussion on the international opportunities that the authors’ believe exist. The article is closed with concluding remarks.
2. The Present Situation in New Zealand
In this section an overview of New Zealand’s cadastral survey system is presented with consideration of the institutional framework and the technical and operational processes currently employed for handling cadastral survey data. This sets the scene in which the goals for developing the system are discussed.
2.1. Property Rights and the Cadastral Survey System
New Zealand (Figure 1) benefits from a national property rights system that promotes efficiency and confidence in the transaction of property rights. The cadastral survey system is a core component of the property rights system with a prime purpose to define the location and spatial extents of land and other real property (e.g., a unit under the Unit Titles Act 2010). This information is used by managers of tenure systems to enable the registration of rights, restrictions and responsibilities and provides interested parties with confidence in the location of boundaries [5].
Figure 1.
Reference [8] New Zealand—an island nation with a national property rights system.
All cadastral surveys must be undertaken by licensed cadastral surveyors. There are currently 668 licensed cadastral surveyors [6], most of whom are employed in the private sector. Those surveyors must ensure that their surveys and the resulting cadastral survey datasets comply with rules (regulations) set by the Surveyor-General (currently the Rules for Cadastral Survey 2010 [7]) before they are lodged with LINZ. LINZ, the government agency responsible for the cadastral, geodetic and title systems, ensures each cadastral survey dataset complies with the Rules before approving it and then integrating it into the cadastre.
2.2. A 3D Legal Cadastre
Associated with the cadastral survey system is the ‘cadastre’. The Cadastral Survey Act 2002 defines ‘cadastre’ to mean “all the cadastral survey data held by or for the Crown and Crown agencies” [9] (s. 4). In practise, this describes the repository of cadastral survey datasets lodged with LINZ and integrated into its database (currently Landonline). These integrated data are referred to in the Surveyor-General’s strategic document, Cadastre 2034 [10], as being fundamental to the cadastral survey system.
New Zealand has a well-established ‘legal’ 3D cadastre. The ability to define the extents of rights, restrictions and responsibilities in 3D has existed since the inception of New Zealand’s cadastral survey and tenure systems at the time when the country was being colonised by the British in the 1800s [2]. The freehold title system under the Torrens based Land Transfer Act 1952 [11] supports rights, restrictions and responsibilities in property, regardless of whether they are restricted in height or not. The Land Transfer Act 1952 is set to be repealed and replaced by the Land Transfer Act 2017, although the fundamental principles of the system will remain [12] (s. 3).
2.3. The Cadastre and the Role of Monuments
The spatial definition of the New Zealand cadastral survey and property rights systems, and hence cadastre, is founded on physical monuments in the ground. The legal position of boundaries of a parcel of rights, restrictions and responsibilities is defined by original and undisturbed boundary monuments. These boundary monuments, which are often wooden or plastic pegs, are connected by survey observations (via bearing and distance vectors) to nearby reference marks (known as witness and permanent reference marks). The reference marks, which are often iron spikes or iron tubes set into the ground, are in turn connected to other survey marks, including geodetic control. These connections help surveyors to confirm the reliability of old boundary marks and also to relocate boundary positions if the original mark is determined to be disturbed or no longer there.
2.4. The Cadastre and the Role of 2D Coordinates
Connection of the cadastral network to the geodetic network allows 2D coordinates to be assigned to all survey and boundary marks that are integrated into Landonline. It is through these coordinates that the cadastral network can be digitally managed in 2D. Coordinates have also enabled the highly-automated capture, validation, recording and supply of cadastral survey data, thus promoting high levels of efficiency and accuracy of in-coming data [5].
While coordinates enable surveyors to readily relocate survey and boundary marks, they do not provide a legal definition of boundary location (i.e., New Zealand does not have a legal coordinated cadastre). The legal definition of boundaries continues to be provided by original and undisturbed boundary marks established by the surveyor and supported through observations connecting those marks, as documented in the certified cadastral survey dataset.
2.5. The Cadastre and the 2D Parcel Fabric
A valuable output of the cadastral survey system is the parcel fabric, being a continuous surface of connected parcels that covers the whole of New Zealand. The parcel fabric is a substantive layer of information that is used extensively in a myriad of spatial applications, well beyond cadastral surveying. Although the parcel fabric is derived from information provided through cadastral survey datasets, it should not be confused as being the legal cadastre. The parcel fabric is a digital, non-legal representation of boundaries with a positional accuracy that may not coincide with original and undisturbed boundary marks in the ground and may not represent their relative positions as documented in the legal cadastre [5].
2.6. The Cadastre and the Effects of Ground Movement
New Zealand’s geographical location astride the collision zone between the Australian and Pacific tectonic plates adds to the complexity of cadastral surveying in this country. Survey observations between local marks accommodate ‘general’ ground movements across the country because the distortions over small areas are normally insignificant (i.e., the relativity between boundary and witness marks is preserved). In the case of significant movements, such as those resulting from a powerful earthquake (especially around fault lines), the differences might be too great to ignore. In these situations resurvey work is required, based on old marks in conjunction with other information available to the surveyor. The effect of ground movement also impacts on the accuracy of coordinates used for the digital management of the cadastral network. As New Zealand moves, discrepancies occur between the in-the-ground position of marks and their coordinated representation [5]. The magnitude and unpredictable nature of ground movement in New Zealand is the prime reason for a monument-based cadastre.
2.7. 2D Cadastral Survey Datasets
In situations where there is neither need nor desire to restrict the lower and/or upper limits of parcels, surveyors present the detailed survey information in 2D. In the past (prior to Landonline) surveyors documented this information on paper-based survey plans (e.g., Figure 2). Today, this information is spatially captured in the Landonline system via a cadastral survey dataset. Cadastral survey datasets include all the survey data (e.g., marks, measurements, boundaries, parcels) in structured digital form (Figure 3) as well as a static diagram image (‘plan’—Figure 4) of the dataset. Within Landonline, the dataset components are directly linked to the same components from previous surveys. For example, it is possible to see the measurements between two marks from many different surveys.
Figure 2.
Reference [13] An early example of rights defined in 3D. The 1911 survey plan relates to a railway tunnel in the South Island of New Zealand. The tunnel traverses beneath multiple privately held parcels of land. The upper limit of the railway corridor is restricted in height by way of reference to an offset from a physical structure, being the ceiling of the tunnel. The lower limit of the tunnel is not defined; therefore, it is assumed that the tunnel parcel extends downward to the centre of the Earth.
Figure 3.
Landonline spatial view of captured cadastral survey dataset.
Figure 4.
Static diagram image (plan) of cadastral survey dataset.
2D cadastral survey datasets are integrated into the Landonline database. Integration includes recording all the data in the cadastral survey dataset as lodged by the surveyor, as well as generating 2D coordinates for all survey and boundary points in terms of the geodetic control network using least squares adjustments. The coordinates are assigned an accuracy ‘order’ based on their compliance with the Rules, although, as noted in Section 2.4 they do not define the legal boundaries. Integration also includes meeting topology requirements to ensure that there are no gaps or overlaps recorded in the network of ‘primary’ parcels. That primary parcel network covers all of New Zealand and consists of 2,538,167 parcels as at 24 August 2017 [14].
Landonline also has a 2D network of ‘secondary’ parcels (e.g., for rights-of-way or other easements) which are generally related to the corresponding underlying primary parcels. In this secondary parcel network gaps and overlaps are permitted, although secondary parcels may not cross a primary parcel boundary.
2.8. 3D Cadastral Survey Datasets
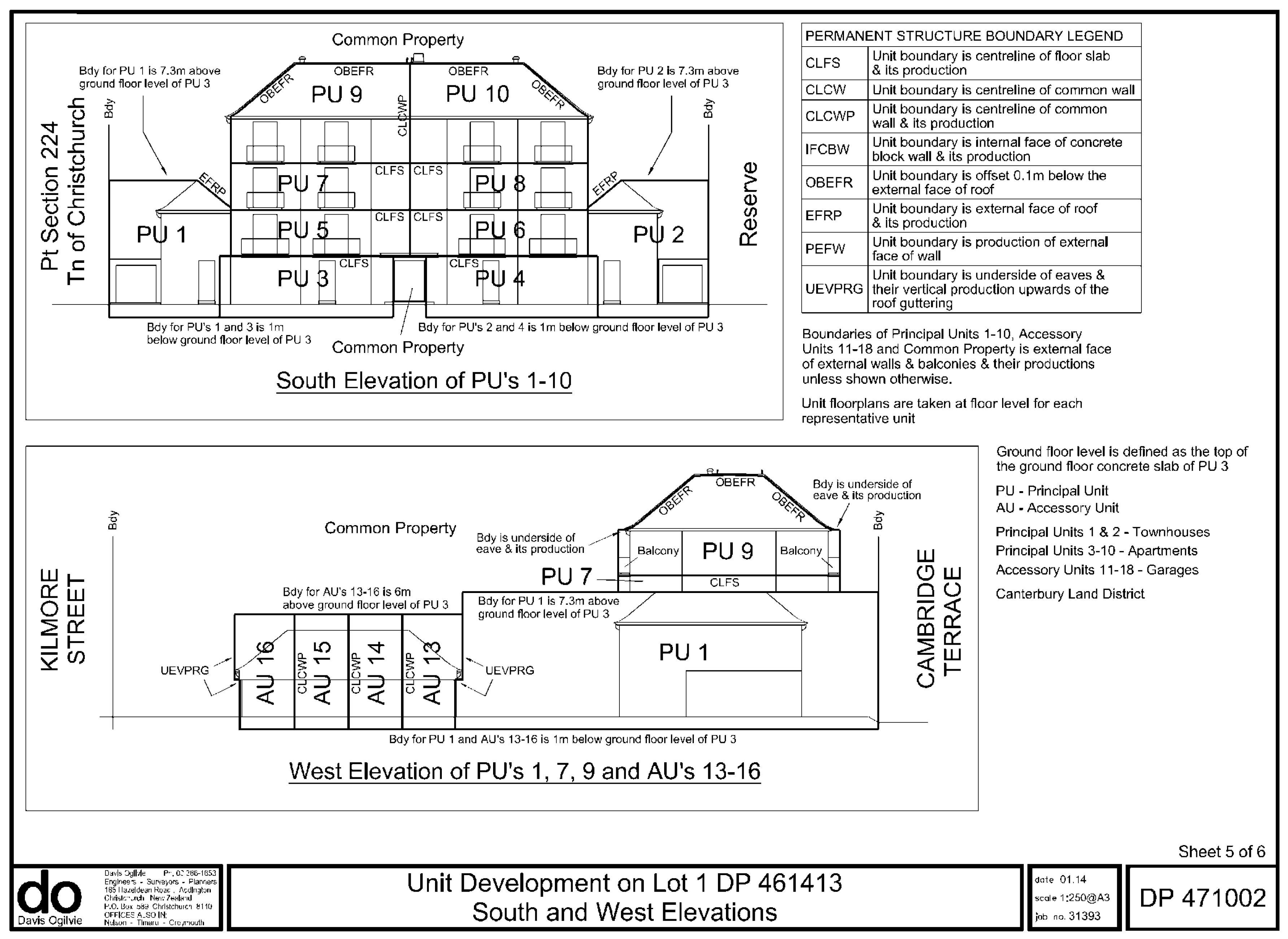
In situations where a parcel is defined in 3D, the surveyor is required to draft a plan, with section and elevation graphics supported by textual descriptions. This information is provided as a TIFF file and uploaded to Landonline as a static image and not intelligent spatial data as for a 2D cadastral survey dataset (and hence 3D parcels are not visualised in the digital cadastre). These plans can be difficult to interpret by surveyors, let alone the layperson, especially where the boundaries are not uniform.
There are a variety of scenarios where a surveyor may define the vertical extents of a parcel of rights, restrictions and responsibilities, both below ground level (e.g., a tunnel as in Figure 2) and above ground (e.g., an air space covenant). In New Zealand the most common situation in which 3D parcels are created are for unit titles under the Unit Titles Act 2010 (previously the 1972 Act) [15]. Unit titles are the most widely used form of multi-unit property ownership in New Zealand. As at 21 August 2017 there are 14,263 residential and commercial unit title developments that comprise a total of 168,039 individual unit titles [14].
Figure 5 and Figure 6 are examples of plan and elevation views of a 3D unit title development over the primary parcel (surveyed in 2D) that was discussed under Section 2.7 above.
Figure 5.
Plan view of unit title development.
Figure 6.
Elevation views of unit title development.
2.9. Future Goals for the New Zealand 3D Cadastre
The introduction of Landonline in the early 2000s represented a significant step forward into the age of digital information. It enabled an end-to-end cycle of digital cadastral survey data (discussed further in Section 3.3 below), at least in a 2D sense. However, the cycle is incomplete in situations where parcels are defined in 3D because analogue procedures are incorporated (as emphasised in Section 2.8 above). The aim is for New Zealand’s current legal 3D cadastre to be represented and managed digitally.
A 3D digital cadastre would permit data associated with the real world extents of property rights, restrictions and responsibilities to be digitally captured, automatically checked against requirements, combined with existing data (and subsequently maintained), and exported for re-use in other systems. The primary goal is for the entire cadastral survey process (from ‘field to finish’) to move away from any remaining analogue processes and maximise the benefits associated with digital data. In this respect New Zealand is already well advanced in relation to 2D surveys (i.e., those that do not have height information), but not for 3D.
Cadastral surveyors in New Zealand already utilise digital technologies when undertaking their surveys, calculations, and verification. They are also obtaining the digital models generated by architects and engineers for new buildings (e.g., through Building Information Modelling—‘BIM’) and utilise them to define internal boundaries (with ground truthing). However, the current processes do not allow surveyors to submit that data to the cadastre, but instead require them to produce a plan image that cannot be interpreted by a computer and which require human interpretation.
Full digital representation of 3D survey data will enable quality to be maximised through digital verification techniques (e.g., clash detection for 3D boundaries). Visualisation tools offer the opportunity to significantly improve the quality and interpretation of 3D cadastral survey datasets and the digital models they contain. The functionality of zooming into a 3D model and changing the point of view is now readily available (e.g., 3D PDF viewers).
Availability of 3D digital cadastral data will enable it to be presented in various forms and utilised with other geospatial data for a multitude of purposes, both current and yet to be realised [3]. This is routinely undertaken for 2D cadastral data, but can also be readily achieved for 3D datasets.
3. Approach to Achieving Digital 3D
In this section an approach to achieving a 3D digital cadastre is identified with rationale provided as to why it was selected. This leads into discussion around the application of the approach at the (reasonably high) technical level.
3.1. Identifying an Approach
Solutions need to consider how the extents of 3D property rights, restrictions and responsibilities are legally defined in a digital environment and also how the related digital data is incorporated into and managed within the system. As noted earlier New Zealand’s legislative framework already supports the definition of property rights, restrictions and responsibilities in 3D and does not inhibit the development of the cadastral survey system to cater for 3D digital data. It is at the technical level where modification is required.
Gulliver (2015) reviewed the literature associated with the development of 3D cadastres, particularly stemming from the research of Stoter and van Oosterom [16], where three fundamental interpretations of 3D cadastre are presented: fully 3D cadastre, hybrid solution and 3D tags. The option being pursued for New Zealand is based on a variation on the concept of ‘hybrid cadastre’. Under this approach, 3D property rights, restrictions and responsibilities can be integrated into the digital cadastre and subsequently maintained. In situations where the upper and lower height limits of property rights, restrictions and responsibilities are defined, a full 3D spatial depiction would be used. Otherwise ‘2D’ parcels would be maintained as a default.
The development of a 3D digital cadastre using a variation of Stoter’s hybrid approach is deemed to be the most appropriate solution to enhance New Zealand’s cadastral survey system. This approach builds on the existing robust 2D digital cadastre by allowing 3D data to be digitally captured, validated, maintained and made available for reuse as and where necessary. Importantly the approach also allows New Zealand’s monument-based legal cadastre (discussed in Section 2.3 and Section 2.6 above) to be preserved as the foundation of the digital cadastre.
3.2. Spatial Objects to Represent 3D Parcels
The concept of a ‘spatial object’ (Figure 7) is being pursued to allow parcels defined in 3D to be submitted and integrated into the digital cadastre and subsequently maintained. Spatial object modelling is a seasoned tool used in GIS (Geographic Information System) applications [17] and its relevance to advancing cadastral systems was foreseen in Cadastre 2014: A vision for a future cadastre system [18]. In the context of this article, a spatial object describes (within specified accuracy standards) the size, shape and extent of property rights, restrictions and responsibilities as a ‘watertight’ 3D volume. In a GIS context, the spatial object is a coordinated 3D volume—defined in terms of x, y and z. Modern spatial technologies, including GIS and BIM, have functionality for creating, manipulating, viewing, and managing such spatial objects.
Figure 7.
A perspective view of a unit title development, being a set of spatial objects which represent the 3D extents of parcels of rights, restrictions and responsibilities associated with a multilevel apartment complex (a single 3D parcel is highlighted in magenta). The digital model is based on the paper-based 3D cadastral survey dataset discussed in Section 2.8 above.
3.3. Establishing the Fundamental Requirements
The requirements considered to be fundamental for handling 3D cadastral survey datasets in a 3D digital cadastre are considered in terms of the Cycle of Digital Cadastral Survey Data, as presented in Figure 8.
Figure 8.
Cycle of Digital Cadastral Survey Data. Note: LINZ denotes Land Information New Zealand.
In the Cycle of Digital Cadastral Survey Data a cadastral survey typically commences with a surveyor searching the cadastral survey database for records that relate to the area of interest. Relevant information is obtained and spatial data is extracted and uploaded into the surveyor’s survey software where it is combined with new data from their field survey. A dataset is prepared in the surveyor’s software and checked for initial compliance against Rules and system requirements via the validation service. The surveyor then sends their dataset to the LINZ staging environment. Here the surveyor finalises the cadastral survey dataset and checks it for accuracy and completeness, again through the validation service. The surveyor then certifies the cadastral survey dataset and submits it to LINZ for approval and integration into the cadastral survey database.
From the Cycle of Digital Cadastral Survey Data, the fundamental requirements of a 3D digital cadastre are identified (refer to Table 1) and then discussed in further detail in the following subsections.
Table 1.
List of fundamental requirements of 3D digital cadastre.
3.3.1. Search, Visualise & Retrieve
A search function would need to have the ability to visualise, interrogate and extract digital 3D survey and boundary information. Specifically, users of the system should be able to:
- see 3D parcels as 2D birds-eye (plan) view against the 2D cadastral parcel network (Figure 9);
Figure 9. Plan view of 3D parcels against the 2D parcel fabric. - see 3D parcels in 3D against a 3D projection of the 2D parcel fabric in an area (Figure 10), which also enable different 3D cadastral survey datasets to be related to each other spatially;
Figure 10. Perspective view of 3D parcels against the 2D parcel fabric. - interrogate 3D parcels defined in a cadastral survey dataset by visualising and interacting with them in 3D;
- retrieve all data in the 3D cadastral survey dataset as provided by the surveyor.
Existing 3D parcels can be changed (e.g., subdivided, boundaries shifted) just as ordinary ‘2D’ parcels can be altered. In this case, surveyors would obtain existing 3D survey and parcel data from the system and then upload it into their third-party software. The surveyor would then combine new survey work with the existing data as they create a new cadastral survey dataset.
Exports of 3D parcels for use in other software would be dependent on the user’s requirement of the data. Two different options for extracting a 3D parcel would be available:
- as it was lodged, certified and approved in the cadastral survey dataset, as that is the authoritative record of the legal position of the boundary; and;
- as transformed to fit the digital cadastre, recognising that positions change over time due to improved data and geodetic shifts.
In the former case the future surveyor could then transform that data to fit marks found on the new survey to accurately determine the location on the ground at that time.
3D parcels as spatial objects would be able to be integrated into GIS or other spatial information systems and overlaid with other datasets, whether in 2D or 3D. Being coordinated in terms of the official geodetic datum would enable the boundaries of the primary and secondary parcels (position of the spatial object) to be readily determined on the ground, especially through the use of positioning technologies.
It will be important for users to have the ability to become informed of the location and spatial extents of all property rights, restrictions and responsibilities through visual interrogation and analysis of the 3D digital cadastre. 3D parcels need to be suitably displayed in spatial views in terms of the underlying primary parcel fabric. In addition to 3D perspective views, 2D plan views could permit a quick assessment of the ‘footprint’ of all property rights, restrictions and responsibilities in relation to underlying primary parcels (refer to Figure 9 and Figure 10). The user would be alerted to situations where a ‘footprint’ represents a right defined in 3D. Views in 3D could then be explored if further understanding was required by the user.
3.3.2. Creation of 3D Parcels
A 3D parcel would be based on data collected and verified as correct by the surveyor responsible for certifying and lodging the cadastral survey dataset. These data could be obtained through a variety of sources, including digital architectural and engineering designs, BIM data, and via direct survey measurements made in the field. It is expected that the latter would also be used to ground-truth each of the preceding scenarios.
As discussed in Section 3.2 above, every 3D parcel represented as a spatial object is by definition coordinated in terms of x, y, and z coordinates. In order to have a defined relationship between a 3D parcel and its underlying primary parcel, there would be a need to link the 3D parcel to the underlying parcel and nearby permanent reference marks (refer to Figure 11).
Figure 11.
3D parcels coordinated in terms of the underlying parcel and permanent reference mark.
From a survey definition perspective, the 3D parcel (a parcel with defined height limits) must be defined in relation to its underlying primary parcel. This ensures that the boundaries of the 3D parcel could be identified by firstly relocating boundary points on the underlying primary parcel which will have been fully defined by monuments.
Similarly, in the cadastral survey dataset, the relationship between the 3D parcel and its underlying primary parcel needs to be explicitly defined. This can be achieved by including in the dataset, horizontal coordinates that correspond to boundary points previously defined on its underlying primary parcel. Wherever the boundaries of the 3D parcel and the underlying parcel are coincident, the horizontal coordinates of both ends of the underlying boundary would also need to be included in the dataset. The accuracy between those coordinated points on the underlying parcel and the vertices of the spatial object would have to meet the relevant standard in the Rules. These requirements would also ensure that the spatial object for the 3D parcel could be maintained in alignment with the primary parcel network.
The vertical position of the 3D parcel needs to be capable of being re-established in the future, and also be reflected spatially in the digital cadastre. Therefore, the ‘z’ vertices inherent in the 3D parcel would need to be related to ‘z’ coordinates on existing boundary corners of the underlying primary parcel and/or permanent reference marks, all in terms of the official vertical datum.
3D Parcel Represented by Permanent Structure Boundaries
The Rules for Cadastral Survey 2010 allow certain types of secondary parcels to be defined by permanent structure boundaries. These boundaries are described in relation to a physical feature (e.g., the outer face of a wall, or an offset to the feature). The licensed cadastral surveyor who certifies the cadastral survey dataset is responsible for defining the position and accuracy of the permanent structure boundary in relation to the permanent structure.
Two options have been identified for recording this relationship:
- Three-dimensional parcel representation of the permanent structure boundary only (as presented in Figure 7). The parcel and its boundaries would be defined by a 3D spatial object, along with a description of the physical structure to which it is related and the relationship (e.g., ‘boundary through centre of wall’ or ‘boundary follows centre of concrete floor’). The description of the relationship between the permanent structure boundaries and the permanent structure is of great importance as it defines the legal position of the boundary.
- Spatial object representation of the permanent structure boundary and the permanent structure (e.g., the physical structure of the apartment complex associated with the 3D parcels depicted in Figure 7). The 3D parcel and its boundaries would be defined by a spatial object, as would the permanent structure itself (i.e., two layers of data would be provided). A description of the relationship between the two would not necessarily be required as this would be able to be determined from the spatial objects using a measurement tool in spatial software. This approach, in which legal spaces are associated with the physical elements to which they relate, was raised by Aien et al. [19] and is being further promoted in recent research, by Atazadeh, Rajabifard and Kalantari [20].
Common property, being land or a building that is for the use of all the property owners, would not necessarily be defined by a 3D parcel. It could be that part of the space remaining after the 3D parcels have been excluded, and would be viewable using suitable software that extruded the 2D underlying parcel boundaries as appropriate.
3.3.3. Lodgement
The system should be capable of receiving 3D cadastral survey datasets (that may include both 2D and 3D information) as digitally certified by the surveyor (i.e., without change). Cadastral survey datasets would be prepared by surveyors in third-party software. The contents of a 3D cadastral survey dataset would include information that describes the size, shape and spatial position of each of its 3D parcels in relation to:
- the ‘2D’ underlying primary parcel, or the 3D parcel where it is being subdivided or redefined;
- any permanent structure to which it is referenced (e.g., wall, floor and ceiling of an apartment complex).
A 3D cadastral survey dataset may also include ordinary (‘2D’) parcels and related survey information. For example, in a unit title development the surveyor may choose (or be required) to re-survey the ‘2D’ primary parcel to which new 3D parcels of an apartment block are referenced.
As is the situation for ordinary parcels, each 3D parcel will need to be identified through a unique appellation (label). This is required for the management of the cadastre and to enable tenure system managers to register (create) the associated right, restriction or responsibility.
3.3.4. Validation
Data being submitted into the cadastre needs to be validated. The primary purpose of validation is to ensure that the data complies with the Rules and that it is able to be integrated into the digital cadastre. Automated business rules should check that:
- new 3D parcel boundaries do not overlap underlying parcel boundaries to which they relate;
- new 3D parcels in a 3D cadastral survey dataset do not illegitimately overlap (some types of overlaps are permitted) other 3D parcels (new and existing);
- 3D cadastral survey datasets are in terms of the official national vertical and horizontal datums;
- the 3D volume of any existing 3D parcel that is being subdivided (e.g., a unit redevelopment of an apartment complex) is completely taken into account.
Validation through automated business rules is a key part of the system, and this is emphasised in research by Thompson and van Oosterom [21] and Karki et al. [22]. It is likely that surveyors will be required to obtain and carry through links to existing data (e.g., underlying parcels, points) held in the system to enable automated validation. For maximum effect, automated validation should be available to surveyors as a cadastral survey dataset is being prepared in third-party software prior to certification and lodgement. LINZ staff are also required to perform validation prior to the approval of the certified cadastral survey dataset.
Three-dimensional clash detection routines found in current surveying, engineering, GIS and BIM software indicate that the validation of 3D parcels ought to be readily achieved. Despite any validation procedures, the responsibility for the correctness of certified data will continue to be the obligation of the surveyor responsible for the cadastral survey dataset.
3.3.5. Integration
The vision is for a digital cadastre where 3D property rights, restrictions and responsibilities are represented digitally in 2D or 3D as appropriate in a single integrated and seamless system. To achieve this, the data contained in 3D cadastral survey datasets, as provided by the surveyor, will need to be integrated into the digital cadastre (i.e., combined with existing data). The integration process will store the components of the cadastral survey dataset in the database in a similar manner to other cadastral survey datasets and will be completed by LINZ. To enable automated integration processes, there is likely to be a need for surveyors to obtain and carry through links to existing data held in the system (as for validation, discussed above). Once a cadastral survey dataset is approved, it would be adjusted into the digital parcel network and the representation of 3D parcels would be repositioned relative to their underlying parcel and the permanent reference marks in terms of the official coordinate datum and projection.
Currently primary and secondary parcels defined by nodes and lines are fully integrated into the boundary network. This means they are managed topologically and coordinates are generated through least-squares adjustment of the vector (bearing and distance) data. However, under this proposal 3D parcels would be managed through a different process. Topology would not be directly managed, and alignment would be maintained by applying a transformation to the 3D parcels, using the connection points to the cadastral network as the ‘control’ (i.e., the boundary points on the underlying parcel and the permanent reference marks, as recorded in the cadastral survey dataset).
3.3.6. Maintaining Spatial Alignment
LINZ needs to be able to maintain and update the spatial location of 3D parcels in the network over time. Any movement of geodetic marks (such as that caused by tectonic movements) that affect cadastral marks may have an effect on the underlying parcels which in turn has an effect on any associated 3D parcel. The processes for adjusting the 2D parcel network will need to be extended to also adjust any 3D parcel to keep them in the correct relationship. The requirement for connections that meet the accuracy standards in the Rules is intended to ensure that the transformation would result in negligible distortion of the 3D parcel during future alignment processes. Similarly, the height values of 3D parcels will need to be adjustable as the height values of geodetic control marks change over time.
4. New Zealand’s Progress to a 3D Digital Cadastre and the International Opportunity
In this section New Zealand’s progress to a 3D digital cadastre is presented in light of work currently being undertaken. This work couples with the approach to realise a 3D digital cadastre to create an opportunity at the international level.
4.1. Advanced Survey and Title Services to Replace Landonline
Landonline is built on technology that was considered to be leading edge in the late 1990s. There have since been substantial advancements in technology, knowledge and expertise in developing land administration systems. There are also changing expectations from an increasingly diverse range of customers and consumers that include land professionals, such as surveyors and conveyancers, along with experts and non-experts in spatial science, systems and information. These expectations relate to the functionality and performance of the system and the applications for which its data can be used. In particular there is increasing demand from the spatial community, and indeed the general public, for 3D property information in a digital and readily consumable format.
Advanced Survey and Title Services (ASaTS) is a current project of work that aims to deliver next generation technology and significantly improve the quality and range of survey and title services that LINZ provides to its customers. ASaTS will increase the availability and quality of property information to support high quality decision-making, while moving the survey and title service to a responsive and sustainable technology platform. Importantly, ASaTS is supported by the New Zealand government, and in the context of this article, it provides a pathway to realising a 3D digital cadastre.
LINZ is considering an ‘as a Service’ (aaS) approach to developing ASaTS. Rather than owning the system, as is currently the case for Landonline, LINZ would select a provider that could deliver a suitable system that LINZ would pay to access. It is important to note that while the new system would be owned by another party, LINZ would retain control of the data and its use. LINZ and its staff would also continue to process and assure the quality of survey and title transactions.
At this point in time, LINZ is working with a preferred supplier through a discovery and definition phase. LINZ is hopeful of completing contractual arrangements in 2018 with the development of and transition to the new system scheduled to be completed by 2021 (see Figure 12).
Figure 12.
Advanced Survey and Title Services (ASaTS) timeline.
4.2. Applicability of New Zealand’s Approach to other Jurisdictions
New Zealand’s pursuit of advanced survey and title services provides an opportunity for other jurisdictions to benefit from the work resulting from the ASaTS Project. In particular, the work being undertaken could be of interest to other jurisdictions looking to develop digital 3D capabilities of their systems. This is especially due to the coordinate-based approach to create and manage 3D parcels.
Other jurisdictions would not necessarily need to share a similar base system to that of New Zealand. The GIS-centric approach of 3D spatial objects should lend itself to any existing cadastre, whether it be advanced or developing, and irrespective of whether the legal definition of underlying parcels is based on monuments (supported by observations—e.g., New Zealand) or legal coordinates (e.g., Singapore [23]). While the authors have described how 3D parcels defined by spatial objects will be integrated into a base system that is monument-based, the establishment of a relationship between 3D coordinated objects and underlying or abutting parcels would seem universal.
4.3. Development of Software Applications
A key feature being explored is the potential for the ASaTS system to work in concert with third-party software applications via a set of secure standards-based application programming interfaces (APIs). The role played by these third parties is likely to include functionality to create cadastral survey datasets, including any diagrams, for both 2D and 3D surveys. Where possible, data formats and schemas will leverage existing LINZ/international standards. Where gaps exist, LINZ will endeavour to work with professional and industry bodies and communities to ensure that data standards are consistent, fit-for-purpose, and easily consumable by providers of third-party software solutions.
5. Conclusions
New Zealand is in the process of transitioning to a national 3D digital cadastre. In New Zealand’s favour is a mature property rights system that already accounts for 3D situations and a robust 2D digital cadastre. These combine to provide a sound platform on which to develop 3D capabilities.
Despite this, the approach presented in this article to digitally manage 3D parcels of rights, restrictions and responsibilities would seem generic and hence agnostic of a jurisdiction’s base cadastre. For this reason, the authors are of the view that the work being undertaken by New Zealand has international appeal with opportunities for other jurisdictions and providers of software applications to benefit from this work and thus better realise the efficiencies and value of 3D digital cadastral survey data.
Author Contributions
This content of this article is the result of collaboration and contribution of all three authors.
Conflicts of Interest
The authors declare no conflict of interest.
References and Notes
- Gulliver, T.; Haanen, A.; Goodin, M. A 3D Digital Cadastre for New Zealand by 2021: Leveraging the Current System and Modern Technology. In Proceedings of the 5th International FIG 3D Cadastre Workshop, Athens, Greece, 18–20 October 2016. [Google Scholar]
- Gulliver, T. Developing a 3D Digital Cadastral System for New Zealand. Master’s Thesis, Department of Geography, University of Canterbury, Christchurch, New Zealand, 2015. [Google Scholar]
- Gulliver, T.; Haanen, A. Developing a Three-Dimensional Digital Cadastral System for New Zealand. In Proceedings of the 25th FIG Congress, Kuala Lumpur, Malaysia, 16–21 June 2014. [Google Scholar]
- Gulliver, T. ASaTS and Opportunities for the Cadastral Survey System. In Surveying + Spatial; New Zealand Institute of Surveyors: Wellington, New Zealand, 2016; pp. 35–37. [Google Scholar]
- Gulliver, T. A Coordinate Cadastre for New Zealand? Yeah, nah! In Surveying + Spatial; New Zealand Institute of Surveyors: Wellington, New Zealand, 2017; pp. 31–33. [Google Scholar]
- Cadastral Surveyors Licensing Board of New Zealand. Register of Licensed Cadastral Surveyors. 2017. Available online: https://www.cslb.org.nz/ (accessed on 17 August 2017).
- Rules for Cadastral Survey 2010. New Zealand.
- Land Information New Zealand. Map of New Zealand. 2016.
- Cadastral Survey Act 2010. New Zealand.
- Land Information New Zealand. Cadastre 2034: A 10–20 Year Strategy for Developing the Cadastral System. 2014.
- Land Transfer Act 1952. New Zealand.
- Land Transfer Act 2017. New Zealand.
- Land Information New Zealand. Survey Plan SO 15456, Otago Land District. 1911.
- Land Information New Zealand. Landonline Interrogation. August 2017.
- Unit Titles Act 2010. New Zealand.
- Stoter, J.; van Oosterom, P. 3D Cadastre in an International Context: Legal, Organizational, and Technological Aspects; CRC Press: Boca Raton, FL, USA, 2006. [Google Scholar]
- Molenaar, M. An Introduction to the Theory of Spatial Object Modelling for GIS; CRC Press: London, UK, 1998. [Google Scholar]
- Kaufmann, J.; Steudler, D. Cadastre 2014: A Vision for a Future Cadastral System. Available online: http://www.eurocadastre.org/pdf/cadastre_2014.pdf (accessed on 31 August 2017).
- Aien, A.; Kalantari, M.; Rajabifard, A.; Williamson, I.; Wallace, J. Towards integration of 3D legal and physical objects in cadastral data models. Land Use Policy 2013, 35, 140–154. [Google Scholar] [CrossRef]
- Atazadeh, B.; Rajabifard, A.; Kalantari, M. Assessing Performance of Three BIM-Based Views of Buildings for Communication and Management of Vertically Stratified Legal Interests. ISPRS Int. J. Geo-Inf. 2017, 6, 198. [Google Scholar] [CrossRef]
- Thompson, R.; van Oosterom, P. Validity of Mixed 2D and 3D Cadastral Parcels in the Land Administration Domain Model. In Proceedings of the 3rd International FIG Workshop on 3D Cadastres: Developments and Practices, Shenzhen, China, 25–26 October 2012. [Google Scholar]
- Karki, S.; Thompson, R.; McDougall, K. Development of Validation Rules to Support Digital Lodgement of 3D Cadastral Plans. Comput. Environ. Urban Syst. 2013, 40, 34–45. [Google Scholar] [CrossRef]
- Boundaries and Survey Maps Act 1998. Singapore.
© 2017 by the authors. Licensee MDPI, Basel, Switzerland. This article is an open access article distributed under the terms and conditions of the Creative Commons Attribution (CC BY) license (http://creativecommons.org/licenses/by/4.0/).











