Novel Hybrid Feature Engineering with Optimized BAS Algorithm for Shipborne Radar Marine Oil Spill Detection
Abstract
1. Introduction
2. Materials and Methods
2.1. Materials
2.2. Experimental Flow
2.3. Preprocessing Data
2.4. GLCM Feature
- (1)
- Energy
- (2)
- Contrast
- (3)
- Entropy
- (4)
- Inverse Difference Moment
- (5)
- Correlation
- (6)
- Homogeneity
- (7)
- Variance
- (8)
- Inertia
2.5. Dynamic Interaction-Based Feature Integration
- (1)
- Build a set of feature images
- (2)
- Calculate image entropy and perform feature filtering
- (3)
- Feature map fusion
- (4)
- Normalization and Nonlinear Improvement Processing
2.6. Boundary-Preserving ROI Anti-Interference Thresholding
- (1)
- Adaptive threshold segmentation
- (2)
- Morphological post-processing
- (3)
- Extraction and Improvement of ROI
2.7. Improved Beetle Antennae Search Algorithm
- (1)
- Initialization
- (2)
- Objective function evaluation
- (3)
- Location update
- (4)
- Step size update
- (5)
- Termination conditions
3. Results
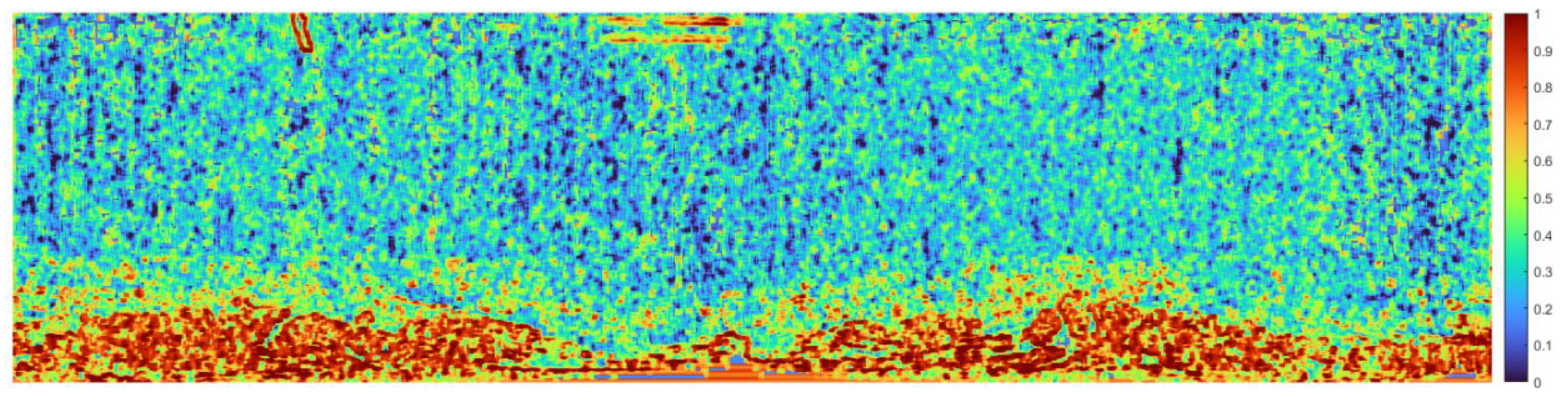
3.1. Statistical Texture Feature Acquisition and Dynamic Heterogeneous Feature Integration
3.2. ROI Extraction
3.3. Intelligent Anti-Interference Oil Slick Semantic Segmentation
3.4. Post Processing
4. Discussion
4.1. Comparison of Traditional BAS Algorithm
4.2. Analysis of Visual Interpretation Results
4.3. Comparison with Other RIO Segmentation Methods
4.4. Comparison with an Existing Marine Radar Oil Spill Detection Method
5. Conclusions
Author Contributions
Funding
Data Availability Statement
Conflicts of Interest
References
- Chen, J.; Zhang, W.; Wan, Z.; Li, S.; Huang, T.; Fei, Y. Oil spills from global tankers: Status review and future governance. J. Clean. Prod. 2019, 227, 20–32. [Google Scholar] [CrossRef]
- Jia, B.; Guo, Z.; Xu, J.; Liu, P.; Liu, B. Neural Gas Network Optimization Using Improved OAT Algorithm for Oil Spill Detection in Marine Radar Imagery. Remote Sens. 2025, 17, 2793. [Google Scholar] [CrossRef]
- Asif, Z.; Chen, Z.; An, C.; Dong, J. Environmental impacts and challenges associated with oil spills on shorelines. J. Mar. Sci. Eng. 2022, 10, 762. [Google Scholar] [CrossRef]
- Hu, C.; Feng, L.; Holmes, J.; Swayze, G.A.; Leifer, I.; Melton, C.; Garcia, O.; MacDonald, I.; Hess, M.; Muller-Karger, F.; et al. Remote sensing estimation of surface oil volume during the 2010 Deepwater Horizon oil blowout in the Gulf of Mexico: Scaling up AVIRIS observations with MODIS measurements. J. Appl. Remote Sens. 2018, 12, 026008. [Google Scholar] [CrossRef]
- Clement, T.P.; John, G.F. A perspective on the state of Deepwater Horizon oil spill related tarball contamination and its impacts on Alabama beaches. Curr. Opin. Chem. Eng. 2022, 36, 100799. [Google Scholar] [CrossRef]
- Zhang, D.; Ding, A.; Cui, S.; Hu, C.; Thornton, S.F.; Dou, J.; Sun, Y.; Huang, W.E. Whole cell bioreporter application for rapid detection and evaluation of crude oil spill in seawater caused by Dalian oil tank explosion. Water Res. 2013, 47, 1191–1200. [Google Scholar] [CrossRef]
- Brussaard, C.P.D.; Peperzak, L.; Beggah, S.; Wick, L.Y.; Wuerz, B.; Weber, J.; Arey, J.S.; van der Burg, B.; Jonas, A.; Huisman, J.; et al. Immediate ecotoxicological effects of short-lived oil spills on marine biota. Nat. Commun. 2016, 7, 11206. [Google Scholar] [CrossRef]
- de Melo, A.P.Z.; Hoff, R.B.; Molognoni, L.; de Oliveira, T.; Daguer, H.; Barreto, P.L.M. Disasters with oil spills in the oceans: Impacts on food safety and analytical control methods. Food Res. Int. 2022, 157, 111366. [Google Scholar] [CrossRef]
- Johansen, J.L.; Allan, B.J.M.; Rummer, J.L.; Esbaugh, A.J. Oil exposure disrupts early life-history stages of coral reef fishes via behavioural impairments. Nat. Ecol. Evol. 2017, 1, 1146–1152. [Google Scholar] [CrossRef]
- Barron, M.G.; Vivian, D.N.; Heintz, R.A.; Yim, U.H. Long-term ecological impacts from oil spills: Comparison of Exxon Valdez, Hebei Spirit, and Deepwater Horizon. Environ. Sci. Technol. 2020, 54, 6456–6467. [Google Scholar] [CrossRef]
- Soares, M.O.; Rabelo, E.F. Severe ecological impacts caused by one of the worst orphan oil spills worldwide. Mar. Environ. Res. 2023, 187, 105936. [Google Scholar] [CrossRef]
- Balogun, A.-L.; Yekeen, S.T.; Pradhan, B.; Althuwaynee, O.F. Spatio-Temporal Analysis of Oil Spill Impact and Recovery Pattern of Coastal Vegetation and Wetland Using Multispectral Satellite Landsat 8-OLI Imagery and Machine Learning Models. Remote Sens. 2020, 12, 1225. [Google Scholar] [CrossRef]
- Trongtirakul, T.; Agaian, S.; Oulefki, A.; Panetta, K. Method for remote sensing oil spill applications over thermal and polarimetric imagery. IEEE J. Ocean. Eng. 2023, 48, 973–987. [Google Scholar] [CrossRef]
- Ventikos, N.P.; Vergetis, E.; Psaraftis, H.N.; Triantafyllou, G. A high-level synthesis of oil spill response equipment and countermeasures. J. Hazard. Mater. 2004, 107, 51–58. [Google Scholar] [CrossRef] [PubMed]
- Hong, X.; Chen, L.; Sun, S.; Sun, Z.; Chen, Y.; Mei, Q.; Chen, Z. Detection of Oil Spills in the Northern South China Sea Using Landsat-8 OLI. Remote Sens. 2022, 14, 3966. [Google Scholar] [CrossRef]
- Lu, Y.; Li, X.; Tian, Q.; Zheng, G.; Sun, S.; Liu, Y.; Yang, Q. Progress in Marine Oil Spill Optical Remote Sensing: Detected Targets, Spectral Response Characteristics, and Theories. Mar. Geod. 2013, 36, 334–346. [Google Scholar] [CrossRef]
- Chen, G.; Huang, J.; Wen, T.; Du, C.; Lin, Y.; Xiao, Y. Multiscale Feature Fusion for Hyperspectral Marine Oil Spill Image Segmentation. J. Mar. Sci. Eng. 2023, 11, 1265. [Google Scholar] [CrossRef]
- Naz, S.; Iqbal, M.F.; Mahmood, I.; Allam, M. Marine oil spill detection using synthetic aperture radar over Indian Ocean. Mar. Pollut. Bull. 2021, 162, 111921. [Google Scholar] [CrossRef]
- Fan, J.; Liu, C. Multitask GANs for oil spill classification and semantic segmentation based on SAR images. IEEE J. Sel. Top. Appl. Earth Obs. Remote Sens. 2023, 16, 2532–2546. [Google Scholar] [CrossRef]
- Chen, F.; Zhang, A.; Balzter, H.; Ren, P.; Zhou, H. Oil spill SAR image segmentation via probability distribution modeling. IEEE J. Sel. Top. Appl. Earth Obs. Remote Sens. 2021, 14, 533–554. [Google Scholar] [CrossRef]
- Wang, Y.; Wang, L.; Chen, X.; Liang, D. Offshore petroleum leaking source detection method from remote sensing data via deep reinforcement learning with knowledge transfer. IEEE J. Sel. Top. Appl. Earth Obs. Remote Sens. 2022, 15, 5826–5840. [Google Scholar] [CrossRef]
- Yang, J.; Wang, J.; Hu, Y.; Ma, Y.; Li, Z.; Zhang, J. Hyperspectral Marine Oil Spill Monitoring Using a Dual-Branch Spatial–Spectral Fusion Model. Remote Sens. 2023, 15, 4170. [Google Scholar] [CrossRef]
- Li, B.; Xu, J.; Pan, X.; Chen, R.; Ma, L.; Yin, J.; Liao, Z.; Chu, L.; Zhao, Z.; Lian, J.; et al. Preliminary Investigation on Marine Radar Oil Spill Monitoring Method Using YOLO Model. J. Mar. Sci. Eng. 2023, 11, 670. [Google Scholar] [CrossRef]
- Xu, J.; Huang, Y.; Dong, H.; Chu, L.; Yang, Y.; Li, Z.; Qian, S.; Cheng, M.; Li, B.; Liu, P.; et al. Marine Radar Oil Spill Detection Method Based on YOLOv8 and SA_PSO. J. Mar. Sci. Eng. 2024, 12, 1005. [Google Scholar] [CrossRef]
- Li, Y.; Lyu, X.; Frery, A.C.; Ren, P. Oil spill detection with multiscale conditional adversarial networks with small-data training. Remote Sens. 2021, 13, 2378. [Google Scholar] [CrossRef]
- Kang, X.; Deng, B.; Duan, P.; Wei, X.; Li, S. Self-supervised spectral–spatial transformer network for hyperspectral oil spill mapping. IEEE Trans. Geosci. Remote Sens. 2023, 61, 5507410. [Google Scholar] [CrossRef]
- Ji, H.; Zhang, X.; Wang, T.; Yang, K.; Jiang, J.; Xing, Z. Oil spill area prediction model of submarine pipeline based on bp neural network and convolutional neural network. Process Saf. Environ. Prot. 2025, 199, 107264. [Google Scholar] [CrossRef]
- Jha, M.N.; Levy, J.; Gao, Y. Advances in remote sensing for oil spill disaster management: State-of-the-art sensors technology for oil spill surveillance. Sensors 2008, 8, 236–255. [Google Scholar] [CrossRef]
- Sun, H.; Ma, L.; Fu, Q.; Li, Y.; Shi, H.; Liu, Z.; Liu, J.; Wang, J.; Jiang, H. Long-wave infrared polarization-based airborne marine oil spill detection and identification technology. Photonics 2023, 10, 588. [Google Scholar] [CrossRef]
- Han, M.; Fan, C.; Huang, S.; Hu, K.; Fan, E. An n-valued neutrosophic set method for the assessment of an offshore oil spill risk. Water Sci. Technol. 2023, 87, 1643–1659. [Google Scholar] [CrossRef]
- Crone, T.J.; Tolstoy, M. Magnitude of the 2010 Gulf of Mexico oil leak. Science 2010, 330, 634. [Google Scholar] [CrossRef] [PubMed]
- Xu, J.; Pan, X.; Jia, B.; Wu, X.; Liu, P.; Li, B. Oil spill detection using LBP feature and K-means clustering in shipborne radar image. J. Mar. Sci. Eng. 2021, 9, 65. [Google Scholar] [CrossRef]
- Zhang, J.; Shi, J. Asymptotic normality for plug-in estimators of generalized Shannon’s entropy. Entropy 2022, 24, 683. [Google Scholar] [CrossRef] [PubMed]
- Ge, S.; Mamoulis, N.; Cheung, D.W. Efficient all top-k computation-a unified solution for all top-k, reverse top-k and top-m in-fluential queries. IEEE Trans. Knowl. Data Eng. 2012, 25, 1015–1027. [Google Scholar] [CrossRef]
- Li, Y.; Zhong, X.; Liu, H.; Liao, M.; Lu, Y.F.; Liu, B. Urban built-up area extraction using triangle threshold algorithm and Naive Bayes classification model with multidata fusion. Sci. Rep. 2025, 15, 40175. [Google Scholar] [CrossRef]
- Guney, H.; Oztoprak, H. A robust ensemble feature selection technique for high-dimensional datasets based on minimum weight threshold method. Comput. Intell. 2022, 38, 1616–1658. [Google Scholar] [CrossRef]
- Yang, Y.; Yan, J.; Xu, J.; Zhong, X.; Huang, Y.; Rui, J.; Cheng, M.; Huang, Y.; Wang, Y.; Liang, T.; et al. Oil Film Detection for Marine Radar Image Using SBR Feature and Adaptive Threshold. J. Mar. Sci. Eng. 2025, 13, 1178. [Google Scholar] [CrossRef]














Disclaimer/Publisher’s Note: The statements, opinions and data contained in all publications are solely those of the individual author(s) and contributor(s) and not of MDPI and/or the editor(s). MDPI and/or the editor(s) disclaim responsibility for any injury to people or property resulting from any ideas, methods, instructions or products referred to in the content. |
© 2026 by the authors. Licensee MDPI, Basel, Switzerland. This article is an open access article distributed under the terms and conditions of the Creative Commons Attribution (CC BY) license.
Share and Cite
Xu, J.; Xu, B.; Dong, H.; Liu, Q.; Qian, L.; Yao, B.; Guo, Z.; Liu, P. Novel Hybrid Feature Engineering with Optimized BAS Algorithm for Shipborne Radar Marine Oil Spill Detection. J. Mar. Sci. Eng. 2026, 14, 312. https://doi.org/10.3390/jmse14030312
Xu J, Xu B, Dong H, Liu Q, Qian L, Yao B, Guo Z, Liu P. Novel Hybrid Feature Engineering with Optimized BAS Algorithm for Shipborne Radar Marine Oil Spill Detection. Journal of Marine Science and Engineering. 2026; 14(3):312. https://doi.org/10.3390/jmse14030312
Chicago/Turabian StyleXu, Jin, Bo Xu, Haihui Dong, Qiao Liu, Lihui Qian, Boxi Yao, Zekun Guo, and Peng Liu. 2026. "Novel Hybrid Feature Engineering with Optimized BAS Algorithm for Shipborne Radar Marine Oil Spill Detection" Journal of Marine Science and Engineering 14, no. 3: 312. https://doi.org/10.3390/jmse14030312
APA StyleXu, J., Xu, B., Dong, H., Liu, Q., Qian, L., Yao, B., Guo, Z., & Liu, P. (2026). Novel Hybrid Feature Engineering with Optimized BAS Algorithm for Shipborne Radar Marine Oil Spill Detection. Journal of Marine Science and Engineering, 14(3), 312. https://doi.org/10.3390/jmse14030312

