Durability Evaluation of GGBS-RHA-Based Geopolymer Concrete Along with Lightweight Expanded Clay Aggregate Using SEM Images and EDAX Analysis
Abstract
1. Introduction
2. Materials
3. Mix Design
4. Preparation of LWGPC
5. Experimental Program
6. Durability Tests
6.1. Density and Compressive Strength of LWGPC
6.2. Acid Resistance of LWGPC
6.3. Sulfate Attack of LWGPC
6.4. Salt Attack
7. Microstructural Analysis
7.1. SEM
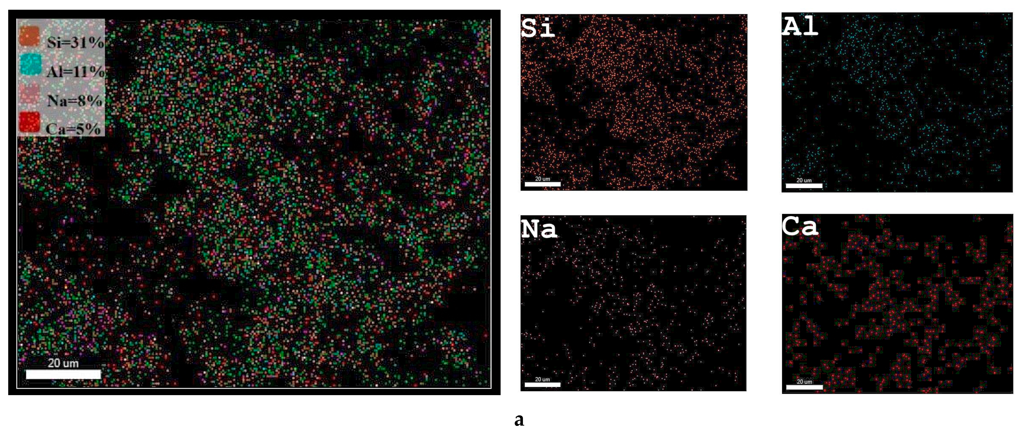
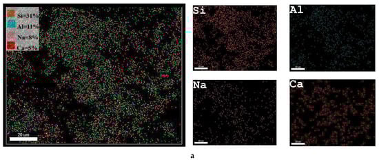
7.2. EDAX
8. Conclusions
- The LWGPC with a 12M NaOH concentration mix exhibited the highest compressive strength compared to the 8M and 10M mixes.
- The density of the LWGPC ranged from 1707 to 1868 kg/m3 and its compressive strength varied from 27.3 to 37.1 MPa, satisfying the requirement for structural lightweight concrete.
- The 12G mix exhibited a 1.8% higher residual compressive strength than the 12RG mix in an acid environment, 2% higher in a sulfate environment, and 1.7% higher in a salt environment.
- The combination of 12M and 35% LECA in GGBS LWGPC demonstrated markedly better durability qualities compared to the LWGPC mix containing 20% RHA and 80% GGBS.
- The 12G mix had the highest compression strength, with porosity values of 0.6273 for an acid attack, 0.6169 for a sulfate attack, and 0.5194 a salt attack.
- The 12G mix had Si/Al ratios of 3.2, Al/Si ratios of 0.31, and Ca/Si ratios of 0.7, confirming the presence of N-A-S- H, C-S-H, and C-A-S-H gels.
- Consequently, the current study using GGBS and RHA with LECA highlighted the potential of LWGPC as a viable alternative, making it a key player in the future of sustainable infrastructure development.
Author Contributions
Funding
Data Availability Statement
Conflicts of Interest
References
- Aleem, M.A.; Arumairaj, P.D. Geopolymer concrete–A review. Int. J. Eng. Sci. Emerg. Technol. 2012, 1, 118–122. [Google Scholar] [CrossRef]
- Hassan, A.; Arif, M.; Shariq, M. Use of geopolymer concrete for a cleaner and sustainable environment—A review of mechanical properties and microstructure. J. Clean. Prod. 2019, 223, 704–728. [Google Scholar] [CrossRef]
- Prabha, V.C.; Revathi, V.; Sivamurthy Reddy, S. Ambient cured high calcium fly ash geopolymer concrete with dolomite powder. Eur. J. Environ. Civ. Eng. 2022, 26, 7857–7877. [Google Scholar] [CrossRef]
- Özkılıç, Y.O.; Çelik, A.İ.; Tunç, U.; Karalar, M.; Deifalla, A.; Alomayri, T.; Althoey, F. The use of crushed recycled glass for alkali activated fly ash based geopolymer concrete and prediction of its capacity. J. Mater. Res. Technol. 2023, 24, 8267–8281. [Google Scholar] [CrossRef]
- Jittin, V.; Bahurudeen, A.; Ajinkya, S.D. Utilisation of rice husk ash for cleaner production of different construction products. J. Clean. Prod. 2020, 263, 121578. [Google Scholar] [CrossRef]
- Ogwang, G.; Olupot, P.W.; Kasedde, H.; Menya, E.; Storz, H.; Kiros, Y. Experimental evaluation of rice husk ash for applications in geopolymer mortars. J. Bioresour. Bioprod. 2021, 6, 160–167. [Google Scholar] [CrossRef]
- Xu, W.; Lo, T.Y.; Memon, S.A. Microstructure and reactivity of rich husk ash. Constr. Build. Mater. 2012, 29, 541–547. [Google Scholar] [CrossRef]
- Mahdi, S.N.; Babu, R.D.V.; Shashishankar, A.; Arunraj, A. Influence of brick industrial rice husk ash on properties of ambient cured geopolymer mortar matrix. Mater. Today Proc. 2020, 43, 1160–1166. [Google Scholar] [CrossRef]
- Huo, Y.; Huang, J.; Lu, D.; Han, X.; Sun, H.; Liu, T.; Wang, J.; Wang, F.; Tan, P.; Wang, M.; et al. Durability of alkali-activated slag concrete incorporating silica fume and rice husk ash. J. Build. Eng. 2023, 78, 107637. [Google Scholar] [CrossRef]
- Sangeetha, B.N. Effect of Rice Husk Ash and GGBS on Performance of Concrete. Int. J. Eng. Res. 2015, 4, 491–495. [Google Scholar] [CrossRef]
- Kim, Y.Y.; Lee, B.-J.; Saraswathy, V.; Kwon, S.-J. Strength and Durability Performance of Alkali-Activated Rice Husk Ash Geopolymer Mortar. Sci. World J. 2014, 2014, 209584. [Google Scholar] [CrossRef] [PubMed]
- Mahdi, S.N.; Babu, R.D.V.; Hossiney, N.; Abdullah, M.M.A.B. Strength and durability properties of geopolymer paver blocks made with fly ash and brick kiln rice husk ash. Case Stud. Constr. Mater. 2022, 16, e00800. [Google Scholar] [CrossRef]
- Abbass, M.; Singh, D.; Singh, G. Properties of hybrid geopolymer concrete prepared using rice husk ash, fly ash and GGBS with coconut fiber. Mater. Today Proc. 2021, 45, 4964–4970. [Google Scholar] [CrossRef]
- Khalil, M.G.; Elgabbas, F.; El-Feky, M.S.; El-Shafie, H. Performance of geopolymer mortar cured under ambient temperature. Constr. Build. Mater. 2020, 242, 118090. [Google Scholar] [CrossRef]
- Nadarajah, A.; Mohd Nasir, N.A.; Abu Bakar, N.; Safiee, N.A. Fly ash-GGBS blended geopolymer mortar for early engineering characteristic at ambient temperature. Ain Shams Eng. J. 2024, 15, 102821. [Google Scholar] [CrossRef]
- Mallikarjuna Rao, G.; Gunneswara Rao, T.D. Final Setting Time and Compressive Strength of Fly Ash and GGBS-Based Geopolymer Paste and Mortar. Arab. J. Sci. Eng. 2015, 40, 3067–3074. [Google Scholar] [CrossRef]
- Mohamed, O.A.; Al Khattab, R.; Al Hawat, W. Effect of relative GGBS/fly contents and alkaline solution concentration on compressive strength development of geopolymer mortars subjected to sulfuric acid. Sci. Rep. 2022, 12, 5634. [Google Scholar] [CrossRef]
- Giogetti Deutou Nemaleu, J.; Rodrigue Kaze, C.; Valdès Sontia Metekong, J.; Adesina, A.; Alomayri, T.; Stuer, M.; Kamseu, E. Synthesis and characterization of eco-friendly mortars made with RHA-NaOH activated fly ash as binder at room temperature. Clean. Mater. 2021, 1, 100010. [Google Scholar] [CrossRef]
- Farooq, F.; Jin, X.; Faisal Javed, M.; Akbar, A.; Izhar Shah, M.; Aslam, F.; Alyousef, R. Geopolymer concrete as sustainable material: A state of the art review. Constr. Build. Mater. 2021, 306, 124762. [Google Scholar] [CrossRef]
- Jindal, B.B.; Jangra, P.; Garg, A. Effects of ultra fine slag as mineral admixture on the compressive strength, water absorption and permeability of rice husk ash based geopolymer concrete. Mater. Today Proc. 2020, 32, 871–877. [Google Scholar] [CrossRef]
- Sravani, T.; Ramani, P.V. Durability Properties of Geopolymer Concrete Containing Ground-Granulated Blast Furnace Slag and Black Rice Husk Ash; Springer: Singapore, 2021; Volume 111, ISBN 9789811591617. [Google Scholar] [CrossRef]
- Chiranjeevi, K.; Vijayalakshmi, M.M.; Praveenkumar, T.R. Investigation of fly ash and rice husk ash-based geopolymer concrete using nano particles. Appl. Nanosci. 2023, 13, 839–846. [Google Scholar] [CrossRef]
- Amran, M.; Al-Fakih, A.; Chu, S.H.; Fediuk, R.; Haruna, S.; Azevedo, A.; Vatin, N. Long-term durability properties of geopolymer concrete: An in-depth review. Case Stud. Constr. Mater. 2021, 15, e00661. [Google Scholar] [CrossRef]
- Chithambaram, S.J.; Kumar, S.; Prasad, M.M. Thermo-mechanical characteristics of geopolymer mortar. Constr. Build. Mater. 2019, 213, 100–108. [Google Scholar] [CrossRef]
- Kaur, K.; Singh, J.; Kaur, M. Compressive strength of rice husk ash based geopolymer: The effect of alkaline activator. Constr. Build. Mater. 2018, 169, 188–192. [Google Scholar] [CrossRef]
- Hwang, C.L.; Huynh, T.P. Effect of alkali-activator and rice husk ash content on strength development of fly ash and residual rice husk ash-based geopolymers. Constr. Build. Mater. 2015, 101, 1–9. [Google Scholar] [CrossRef]
- Wahyudi, K.; Rosmayanti, I. Nurhidayati The development of indonesian local clay as a lightweight expanded clay aggregate (LECA) for organic growing medium. IOP Conf. Ser. Mater. Sci. Eng. 2020, 980, 012010. [Google Scholar] [CrossRef]
- Yang, K.H.; Song, J.K.; Lee, J.S. Properties of alkali-activated mortar and concrete using lightweight aggregates. Mater. Struct. Constr. 2010, 43, 403–416. [Google Scholar] [CrossRef]
- Roces, E.; Muñiz-Menéndez, M.; González-Galindo, J.; Estaire, J. Lightweight expanded clay aggregate properties based on laboratory testing. Constr. Build. Mater. 2021, 313, 125486. [Google Scholar] [CrossRef]
- Ming, L.Y.; Sandu, A.V.; Yong, H.C.; Tajunnisa, Y.; Azzahran, S.F.; Bayuji, R.; Abdullah, M.M.A.B.; Vizureanu, P.; Hussin, K.; Jin, T.S.; et al. Compressive strength and thermal conductivity of fly ash geopolymer concrete incorporated with lightweight aggregate, expanded clay aggregate and foaming agent. Rev. Chim. 2019, 70, 4021–4028. [Google Scholar] [CrossRef]
- Priyanka, M.; Karthikeyan, M.; Chand, M.S.R. Development of mix proportions of geopolymer lightweight aggregate concrete with LECA. Mater. Today Proc. 2020, 27, 958–962. [Google Scholar] [CrossRef]
- Shafigh, P.; M, M.H.; Razavi, S.V.; Kobraei, M. An investigation of the flexural behaviour of reinforced lightweight concrete beams. Int. J. Phys. Sci. 2011, 6, 2414–2421. [Google Scholar]
- Chandramouli, P.; Muthukrishnan, D.; Sridhar, V.; Sathish Kumar, V.; Murali, G.; Vatin, N.I. Flexural Behaviour of Lightweight Reinforced Concrete Beams Internally Reinforced with Welded Wire Mesh. Buildings 2022, 12, 1374. [Google Scholar] [CrossRef]
- Verma, M.; Dev, N.; Rahman, I.; Nigam, M.; Ahmed, M.; Mallick, J. Geopolymer Concrete: A Material for Sustainable Development in Indian Construction Industries. Crystals 2022, 12, 514. [Google Scholar] [CrossRef]
- Zaidahtulakmal, M.Z.; Kartini, K.; Hamidah, M.S. Rice husk ash (RHA) based geopolymer mortar incorporating sewage sludge ash (SSA). J. Phys. Conf. Ser. 2019, 1349, 012022. [Google Scholar] [CrossRef]
- Rodríguez De Sensale, G. Effect of rice-husk ash on durability of cementitious materials. Cem. Concr. Compos. 2010, 32, 718–725. [Google Scholar] [CrossRef]
- Singh, R.; Vanapalli, K.; Jadda, K.; Mohanty, B. Durability assessment of fly ash, GGBS, and silica fume based geopolymer concrete with recycled aggregates against acid and sulfate attack. J. Build. Eng. 2024, 82, 108354. [Google Scholar] [CrossRef]
- Hossain, M.M.; Karim, M.R.; Zain, M.F.M. Acid and Sulfate Resistance of Alkali-Activated Ternary Blended Composite Binder. J. Mater. Civ. Eng. 2018, 30, 04017276. [Google Scholar] [CrossRef]
- Saloma, S.; Usman, A.P.; Hanafiah, H.; Ramadhanty, C.V. The Durability of Lightweight Geopolymer Concrete (LGC) on Chloride Resistance. Civ. Eng. Archit. 2022, 10, 1881–1890. [Google Scholar] [CrossRef]
- Kurtoğlu, A.E.; Alzeebaree, R.; Aljumaili, O.; Niş, A.; Gülşan, M.E.; Humur, G.; Çevik, A. Mechanical and durability properties of fly ash and slag based geopolymer concrete. Adv. Concr. Constr. 2018, 6, 345–362. [Google Scholar] [CrossRef]
- Sarath Chandra Kumar, B.; Ramesh, K. Durability studies of ggbs and metakaolin based geopolymer concrete. Int. J. Civ. Eng. Technol. 2017, 8, 17–28. [Google Scholar]
- Nnaemeka, O.F.; Singh, N.B. Durability properties of geopolymer concrete made from fly ash in presence of Kaolin. Mater. Today Proc. 2019, 29, 781–784. [Google Scholar] [CrossRef]
- Chindaprasirt, P.; Chalee, W. Effect of sodium hydroxide concentration on chloride penetration and steel corrosion of fly ash-based geopolymer concrete under marine site. Constr. Build. Mater. 2014, 63, 303–310. [Google Scholar] [CrossRef]
- Shankar H Sanni, R.K. Performance of geopolymer concrete under severe environmental conditions. Int. J. Civ. Struct. Eng. 2012, 3, 396–407. [Google Scholar]
- Chen, K.; Wu, D.; Yi, M.; Cai, Q.; Zhang, Z. Mechanical and durability properties of metakaolin blended with slag geopolymer mortars used for pavement repair. Constr. Build. Mater. 2021, 281, 122566. [Google Scholar] [CrossRef]
- Ganesan, N.; Abraham, R.; Deepa Raj, S. Durability characteristics of steel fibre reinforced geopolymer concrete. Constr. Build. Mater. 2015, 93, 471–476. [Google Scholar] [CrossRef]
- Rana, T.; Avi, P.; Patel, D.; Kishan, M.; Patel, Y.J. Suitability of GGBFS & RHA (Combined) as Source Material in Geopolymer Concrete—A Review. Int. J. Innov. Res. Sci. Technol. 2018, 5, 135–138. [Google Scholar]
- Razak, R.A.; Abdullah, M.M.A.B.; Yahya, Z.; Hamid, M.S.A. Durability of geopolymer lightweight concrete infilled LECA in seawater exposure. IOP Conf. Ser. Mater. Sci. Eng. 2017, 267, 012012. [Google Scholar] [CrossRef]
- Pradeep, P.; Beenamol, H.S. Effect of pre-soaked light expanded clay aggregate on strength, durability and flexural behaviour of high-performance concrete. J. Eng. Sci. Technol. 2019, 14, 2629–2642. [Google Scholar]
- Chalee, W.; Sasakul, T.; Suwanmaneechot, P.; Jaturapitakkul, C. Utilization of rice husk-bark ash to improve the corrosion resistance of concrete under 5-year exposure in a marine environment. Cem. Concr. Compos. 2013, 37, 47–53. [Google Scholar] [CrossRef]
- Zhuang, X.Y.; Chen, L.; Komarneni, S.; Zhou, C.H.; Tong, D.S.; Yang, H.M.; Yu, W.H.; Wang, H. Fly ash-based geopolymer: Clean production, properties and applications. J. Clean. Prod. 2016, 125, 253–267. [Google Scholar] [CrossRef]
- Saravanan, M.; Gopi, R.; Harihanandh, M. Durability properties of self compacting self curing concrete with presaturated light weight aggregates. Mater. Today Proc. 2021, 45, 7805–7809. [Google Scholar] [CrossRef]
- M, L.K.; Revathi, V. Durability studies in alkaline activated systems (metakaolin–Bottom ash): A prospective study. Boletín la Soc. Española Cerámica y Vidr. 2023, 62, 40–55. [Google Scholar] [CrossRef]
- Wasim, M.; Ngo, T.D.; Law, D. A state-of-the-art review on the durability of geopolymer concrete for sustainable structures and infrastructure. Constr. Build. Mater. 2021, 291, 123381. [Google Scholar] [CrossRef]
- Alyousef, R.; Abdel, A.; Ebid, K.; Huseien, G.F.; Mohammadhosseini, H.; Alabduljabbar, H.; Ngian, S.P.; Mohamed, A.M. Effects of Sulfate and Sulfuric Acid on Efficiency of Geopolymers as Concrete Repair Materials. Gels 2022, 8, 53. [Google Scholar] [CrossRef] [PubMed]
- Chen, Z.; Liu, X.; Yang, J.; Little, E.; Zhou, Y. Deep learning-based method for SEM image segmentation in mineral characterization, an example from Duvernay Shale samples in Western Canada Sedimentary Basin. Comput. Geosci. 2020, 138, 104450. [Google Scholar] [CrossRef]
- Avudaiappan, S.; Prakatanoju, S.; Amran, M.; Aepuru, R.; Saavedra Flores, E.I.; Das, R.; Gupta, R.; Fediuk, R.; Vatin, N. Experimental investigation and image processing to predict the properties of concrete with the addition of nano silica and rice husk ash. Crystals 2021, 11, 1230. [Google Scholar] [CrossRef]
- Joshi, S.K. On application of image processing: Study of digital image processing techniques for concrete mixture images and its composition. Int. J. Eng. Res. Technol. 2014, 3, 1137–1146. [Google Scholar]
- Kothala, V.S.K. Use of Image Analysis as a Tool for Evaluating Various Construction Materials. 2018. Available online: https://tigerprints.clemson.edu/all_theses/2855 (accessed on 20 September 2024).
- Nagajothi, S.; Elavenil, S. Effect of GGBS Addition on Reactivity and Microstructure Properties of Ambient Cured Fly Ash Based Geopolymer Concrete. Silicon 2021, 13, 507–516. [Google Scholar] [CrossRef]
- Walkley, B.; San Nicolas, R.; Sani, M.-A.; Rees, G.J.; Hanna, J.V.; van Deventer, J.S.J.; Provis, J.L. Phase evolution of C-(N)-A-S-H/N-A-S-H gel blends investigated via alkali-activation of synthetic calcium aluminosilicate precursors. Cem. Concr. Res. 2016, 89, 120–135. [Google Scholar] [CrossRef]
- Marvila, M.T.; Azevedo, A.R.G.; Vieira, C.M.F. Reaction mechanisms of alkali-activated materials. Rev. IBRACON Estrut. Mater. 2021, 14, e14309. [Google Scholar] [CrossRef]
- Alnahhal, A.M.; Alengaram, U.J.; Yusoff, S.; Darvish, P.; Srinivas, K.; Sumesh, M. Engineering performance of sustainable geopolymer foamed and non-foamed concretes. Constr. Build. Mater. 2022, 316, 125601. [Google Scholar] [CrossRef]
- Das, S.K.; Mishra, J.; Singh, S.K.; Mustakim, S.M.; Patel, A.; Das, S.K.; Behera, U. Characterization and utilization of rice husk ash (RHA) in fly ash—Blast furnace slag based geopolymer concrete for sustainable future. Mater. Today Proc. 2020, 33, 5162–5167. [Google Scholar] [CrossRef]
























| Description | Fine Aggregate |
|---|---|
| Fineness Modulus | 2.64 |
| Zone | III |
| Specific Gravity | 2.78 |
| Water Absorption | 3% |
| Bulk Density | 1550 kg/m3 |
| Description | Coarse Aggregate | LECA |
|---|---|---|
| Specific Gravity | 2.6 | 1.15 |
| Water Absorption | 1% | 26% |
| Bulk Density | 1550 kg/m3 | 318 kg/m3 |
| Sl. No. | Mix Identity | GGBS | RHA | Coarse Agg. | LECA | Fine Agg. | Na2Sio3 | Solids in NaOH Solution | NaOH Solution | Molarity |
|---|---|---|---|---|---|---|---|---|---|---|
| 1 | 8G | 560 | 0 | 484 | 260 | 638.3 | 200 | 20.40 | 80 | 8 |
| 2 | 8RG | 448 | 112 | 484 | 260 | 638.3 | 200 | 20.40 | 80 | 8 |
| 3 | 10G | 560 | 0 | 484 | 260 | 638.3 | 200 | 24.48 | 80 | 10 |
| 4 | 10RG | 448 | 112 | 484 | 260 | 638.3 | 200 | 24.48 | 80 | 10 |
| 5 | 12G | 560 | 0 | 484 | 260 | 638.3 | 200 | 28.32 | 80 | 12 |
| 6 | 12RG | 448 | 112 | 484 | 260 | 638.3 | 200 | 28.32 | 80 | 12 |
| Parameters (Acid Attack) | 12G | 12RG |
|---|---|---|
| Average Pore Radius (µm) | 6.4331 | 6.0428 |
| Porosity (µm) | 0.6273 | 0.6748 |
| Standard Deviation (µm) | 7.0096 | 7.8536 |
| Average Grain Radius (µm) | 64.2895 | 66.7022 |
| Standard Deviation of Grain Radius (µm) | 51.0718 | 64.4924 |
| Parameters (Sulfate Attack) | 12G | 12RG |
|---|---|---|
| Average Pore Radius (µm) | 5.1305 | 5.8121 |
| Porosity (µm) | 0.6169 | 0.6788 |
| Standard Deviation (µm) | 7.0610 | 8.1096 |
| Average Grain Radius (µm) | 72.7525 | 68.9701 |
| Standard Deviation of Grain Radius (µm) | 76.8630 | 65.3446 |
| Parameters (Salt Attack) | 12G | 12RG |
|---|---|---|
| Average Pore Radius (µm) | 4.5101 | 6.1465 |
| Porosity (µm) | 0.5194 | 0.6415 |
| Standard Deviation (µm) | 4.7752 | 8.4047 |
| Average Grain Radius (µm) | 71.5303 | 79.1688 |
| Standard Deviation of Grain Radius (µm) | 59.1419 | 76.2920 |
Disclaimer/Publisher’s Note: The statements, opinions and data contained in all publications are solely those of the individual author(s) and contributor(s) and not of MDPI and/or the editor(s). MDPI and/or the editor(s) disclaim responsibility for any injury to people or property resulting from any ideas, methods, instructions or products referred to in the content. |
© 2024 by the authors. Licensee MDPI, Basel, Switzerland. This article is an open access article distributed under the terms and conditions of the Creative Commons Attribution (CC BY) license (https://creativecommons.org/licenses/by/4.0/).
Share and Cite
Hema, P.; Revathi, V. Durability Evaluation of GGBS-RHA-Based Geopolymer Concrete Along with Lightweight Expanded Clay Aggregate Using SEM Images and EDAX Analysis. Buildings 2024, 14, 3355. https://doi.org/10.3390/buildings14113355
Hema P, Revathi V. Durability Evaluation of GGBS-RHA-Based Geopolymer Concrete Along with Lightweight Expanded Clay Aggregate Using SEM Images and EDAX Analysis. Buildings. 2024; 14(11):3355. https://doi.org/10.3390/buildings14113355
Chicago/Turabian StyleHema, P., and V. Revathi. 2024. "Durability Evaluation of GGBS-RHA-Based Geopolymer Concrete Along with Lightweight Expanded Clay Aggregate Using SEM Images and EDAX Analysis" Buildings 14, no. 11: 3355. https://doi.org/10.3390/buildings14113355
APA StyleHema, P., & Revathi, V. (2024). Durability Evaluation of GGBS-RHA-Based Geopolymer Concrete Along with Lightweight Expanded Clay Aggregate Using SEM Images and EDAX Analysis. Buildings, 14(11), 3355. https://doi.org/10.3390/buildings14113355

