Next Article in Journal
Tribological Properties of the Fast Ceramic Conversion Treated Ti-6Al-2Sn-4Zr-2Mo Alloy with a Pre-Deposited Gold Layer
Previous Article in Journal
Minimisation of Friction Resistance of Elastomeric Lip Seals on Rotating Shafts
 
 
Font Type:
Arial Georgia Verdana
Font Size:
Aa Aa Aa
Line Spacing:
Column Width:
Background:
Article

Investigation of the Lubricating Conditions in a Reciprocating Sliding Tribotest with Applied Electric Voltage

by
Raimondas Kreivaitis
1,
Albinas Andriušis
1,
Jolanta Treinytė
1,
Artūras Kupčinskas
2 and
Vytenis Jankauskas
1,*
1
Agriculture Academy, Vytautas Magnus University, K. Donelaičio Str. 58, 44248 Kaunas, Lithuania
2
University of Applied Engineering Sciences, Tvirtovės Av. 35, 50155 Kaunas, Lithuania
*
Author to whom correspondence should be addressed.
Lubricants 2024, 12(4), 104; https://doi.org/10.3390/lubricants12040104
Submission received: 14 February 2024 / Revised: 15 March 2024 / Accepted: 20 March 2024 / Published: 22 March 2024

Abstract

The appearance, evolution, and proliferation of electric-vehicle motors have introduced new challenges for lubricants. The appearance of electric currents in the shafts of electric motors can dramatically change the original properties of lubricated contacts, leading to mechanism failure. Understanding and controlling this phenomenon can be advantageous for lubrication, but investigating the lubricants requires specific equipment and conditions. Therefore, in this study, we introduced a ball-on-plate reciprocating tribometer capable of applying electric voltage to the elements of the friction pair and measuring the electric contact resistance (ECR) as feedback. Mineral-based paraffin oil was used as a lubricant in this study. The coefficient of friction (COF), wear, surface morphology, and composition were analysed. It was found that high-speed ECR measurement could give valuable information regarding the lubrication conditions in reciprocating friction pairs. This study shows that even tiny currents flowing through the tribo contact can alter the lubricating conditions. Moreover, the polarity of the applied voltage is also of great importance. Applying negative voltage to the harder surface can significantly increase wear if the tribo-film is based on surface oxidation.

Graphical Abstract

1. Introduction

The recent increase in demand for electric and hybrid vehicles has introduced new challenges for lubricants [1,2,3]. The harsh operation conditions include high torque at low speed, extremely high rotation speeds, low noise requirements, and currents that appear in the shafts and cannot be controlled [3,4,5,6]. The latter is the most challenging because it changes the lubrication mechanisms when current flows between interacting surfaces. This problem is the most urgent in hybrid systems where both the electric and internal combustion engines must operate in complement to each other. In response to these demands, lubricants must be investigated in particular conditions, which will show the influence of flowing current on the lubrication ability. As a result, recently published papers present the results and suggest potential tribometers and their upgrades that can be used to evaluate the influence of current flow [7,8,9,10,11].
The negative influence of current flowing through the interface of interacting surfaces has been known for a long time [12,13]. In order to study this further, three main tribological experiments can be performed in which potential difference and current flow are necessary: (i) Monitoring tribo-film formation requires the application of electric voltage to the contact and then measuring the current [7,9,14,15,16]. The signal is reported as electrical contact resistance (ECR). The current is very small in these measurements and is believed not to affect lubricity. (ii) Investigating the influence of the current flowing through the contact on the lubricity [1,8,10,17,18]. In these experiments, the flowing currents are much higher, causing significant lubricity changes. (iii) Applying the potential to control lubricity [19,20,21]. Usually, this is performed when conductive lubricants or particular additives are used in the base oil to increase its conductivity. These tests claim to reduce friction and wear by applying a specific potential. The latter method is widely investigated, and it is well known that both polar and nonpolar lubricants will change their behaviour in the case of applied electric voltage [1,9,21]. Therefore, there is an urgent need to study their behaviour in cases of voltage/current flow in particular applications.
Rubbing the metal surfaces releases electrons, thus making interfaces have a positive charge. Therefore, the additives are usually given a negative charge and, thus, they organise themselves near the rubbing surface [22]. If, however, the external potential is applied, it changes the whole scenario. Applying an electric field enhances the anode side’s oxidation. This is performed by releasing electrons into the external circuit during an electrochemical reaction. On the other hand, the cathode acquires electrons and, when reduced, slows its oxidation [1,23]. Therefore, the polarity of interacting surfaces is of great importance.
Besides surface oxidation, even more lubricity-disturbing processes can occur due to current flow: (i) at the high potential difference between interacting surfaces, an electric discharge can severely damage surfaces and change lubricant properties [3,10,24]; (ii) the adsorption and chemisorption of additives/surfactants can be enhanced or disturbed [25,26]; (iii) intensified ageing of lubricating grease in bearings can occur [1,27]; (iv) microbubbles form [28]; (v) local viscosity changes [1]; etc. These lubricity-disturbing mechanisms occur in particular conditions and could be prevented or controlled. The influence of electrical charges on lubricity has been widely investigated, revealing general theories. However, in most cases, scholars applied the potential using complicated systems with a few electrodes, while in practical applications, there are usually only two. Moreover, the studies that were conducted often focused on water-based solutions.
Studies regarding hydrocarbon lubricants in particular mechanisms are rare. Usually, these experiments are made in grease-lubricated bearings [4,11,29,30]. Aguilar-Rosas et al. [8] emphasised the need for standardised methods to investigate lubricity under charged conditions. They proposed an electrified four-ball tribotest to investigate the current influence on several lubricating oils. It was found that a passing current significantly alters lubrication conditions. When this occurred, the temperature in the contact increased significantly. As a result, the wear and friction increased in most cases.
The lubrication film formation is often observed using ECR methods [9,15,31]. The lubricated ECR is usually measured in continuous sliding conditions where tribo-film formation is similar throughout the sliding track. On the other hand, measuring lubricated contact resistance in reciprocating sliding will lead to periodically changing lubrication conditions [7]. While reciprocation is still widely used in machinery, investigating a flowing current in such contacts is relevant, and the results are valuable.
This study aims to highlight the necessity of investigating the influence of electric fields on lubricity in continuously altering lubricating conditions. Therefore, the reciprocating ball-on-plate tribometer was electrified, enabling the possibility of changing the polarity of the applied voltage and high-speed ECR recording.

2. Materials and Methods

2.1. Materials Used

The mineral-based paraffin oil, CAS No. 8012-95-1, purchased from Sigma Aldrich (St. Louis, MO, USA), was used as a lubricant for these experiments. It was chosen because it does not contain additives, which can increase its polarity. The principal physical properties of the investigated oil were measured using an Anton Paar Stabinger viscometer SVM 3000 (Anton Paar, Graz, Austria) and are given in Table 1. The lubricating oil was used as received without additional preparation.
The acetone and toluene used for cleaning were of analytical grade and were also purchased from Sigma Aldrich.

2.2. Tribotest Procedures

The tribotests were performed on a reciprocating ball-on-plate tribometer TR-282 (Ducom, India, Bangalore) outfitted with equipment to measure the application of electric voltage and the electric contact resistance (ECR). The tribotest procedure was carried out using the following test parameters: load—4 N; initial contact pressure—1.05 GPa; stroke length—1 mm; reciprocation frequency—15 Hz; test temperatures—30 and 80 °C; oil volume—1 mL; test time—7200 s. This study used ϕ 6 mm ball and a ϕ 10 × 3 mm plate, both made of bearing steel 100Cr6. The ball had a hardness of 780 HV and a roughness of Ra—0.05 µm. The plate had a hardness of 180 HV and a roughness of Ra—0.02 µm. Before the tribotest, all the appropriate parts that were in contact with the lubricant were cleaned in toluene and acetone.
There were three cases of electric voltage application: (i) no voltage applied, no ECR measurements; (ii) the positive charge was applied to the ball and referred to as the “Ball+” test; (iii) the negative charge was applied to the ball and referred to as the “Ball−” test. The last two cases allowed the measurement of ECR. Before starting the tribotest, the corresponding electric voltage was applied, and ECR measurements were started. Then, after a few seconds, the tribotest was started. During the tribotest, the tribometer continuously recorded the coefficient of friction (COF), while the designed equipment recorded ECR and ball position. At the end of the experiment, the tribotest stops first, then ECR measurements stop. The mean COF was calculated from steady-state friction, considering the last 5000 s of each tribotest. The tribotests were performed in triplicate.

2.3. Equipment for Application of Electric Voltage and ECR Measurement

Figure 1 presents a schematic view of the experimental setup. Plate specimen holder 7 was separated from device body 2 using thin insulating material 8, ensuring the proper current flow only through the tribo-contact. The wires of resistors R1 and R2 going to the samples were swapped to reverse polarity and change the current’s direction through the tribo-contact, thus allowing Ball+ and Ball− cases. The wires were connected to ball holder 6 and plate holder 7.
The electric scheme was partly made with reference to Yamaguchi et al. [32]. The resistances of R1 and R2 were 103 KΩ and 1.5 KΩ, respectively. These were axial metal film resistors, having tolerances not greater than 0.1% and temperature coefficients not greater than ±10 ppm/°C. R1 and R2 work as current limiting resistors, with a maximum current of 14.56 µA in the case of a short circuit. Full bridge resistors R01, R02, R03, and R04 have a resistance of 1 KΩ with 0.05% tolerance. The 3 VDC feeds the bridge from the amplifier Scaime CPJ. Therefore, the circuit through R1, Rc, and R2 is supplied by 1.5 VDC. The bridge is set to a balanced condition when Rc is short, i.e., there is zero resistance between the ball and the plate. If Rc has a non-zero value, bridge disbalance is amplified by Scaime CPJ (low pass filter disabled) and then recorded using the high-speed ADC board PCIE-1816H. The voltages were recorded with a frequency of 10 kHz. Electrical contact resistance was calculated by scaling the measured voltage values according to the established relationship and, in this paper, referred to as measured electrical contact resistance (mECR). During the 15 Hz reciprocation sliding, more than 300 measurements were made while the ball moved between endpoints. These data are helpful when analysing fast-changing processes in tribo-contact. On the other hand, for faster observation and understanding of general trends, the average electrical contact resistance (aECR) was calculated by averaging 1000 mECR values.
The setup was verified by substituting Rc with the resistors of known values.
The ball position h was measured using Hall sensor 9, mounted on additional support, and attached to the tribometers’ body. Permanent magnet 4 was attached to ball holder 6 and moved together with the ball. A Hall sensor, type A1308, was connected using a typical application circuit. GND and 5 VDC outputs of PCIE-1816H were used as power supplies. Sensors output against GND was recorded second to the amplified voltage on the channel scan list of PCIE 1816H. The equipment for applying electric voltage and ECR measurement was supplied using an isolating transformer.

2.4. Analysis of the Worn Surfaces

Before the inspection, the worn surfaces were cleaned with acetone in an ultrasonic bath for 5 min. Nikon ECLIPSE MA 100 (Nikon, Tokyo, Japan) optical microscope and Hitachi 3400N (Hitachi, Tokyo, Japan) scanning electron microscope (SEM) were used to analyse worn surfaces. Bruker Quad 5040 (Bruker, Berlin, Germany) energy dispersive spectroscopy (EDS) analysis was employed to inspect the composition of worn surfaces. The cross-section profiles of the wear traces formed on the plate during the tribotests were measured using a stylus profilometer Mahr GD-25 (Mahr GmbH, Goettingen, Germany).

3. Results

3.1. Relationship between Friction and Electrical Contact Resistance

Generally, the additive-free base oil provides poor lubricity to the interacting surfaces. When lubricating with base oil, friction reduction and wear prevention can be achieved by forming a metal oxide layer and a thin lubricant layer. In the case of reciprocation sliding, the lubricant layer can be achieved when the ball is moving at its maximum speed between endpoints. Therefore, the present study hypothesises that mixed and boundary lubrication would occur in the middle of the wear trace. In contrast, the boundary lubrication takes the lead at the endpoints where the ball is stopped and changes its sliding direction.
The mean COF observed during the steady state of the tribotests is presented in Figure 2. As was expected, lubrication with base oil provided relatively high COF. The high viscosity difference between the two investigated temperatures resulted in different COFs. At 80 °C, the viscosity of paraffin oil drops sharply, resulting in a higher COF at a higher tribotest temperature. According to the calculated Least Significant Difference (LSD), the application of electric voltage noticeably affected mean COF only when negative voltage was applied to the ball at 30 °C. In this case, the COF was increased by 12.5% compared to the case when no voltage was applied.
The application of electric voltage enables the measurement of ECR, allowing monitoring of the lubricated contact conditions. The variations of aECR during the tests are presented side-by-side with the corresponding COF variation in Figure 3 and Figure 4. Fortunately, the COF and aECR variations overlap each other. According to the COF variation pattern, the running-in finishes during the first 2000 s in most investigated cases. At 30 °C, running-in is characterised by higher COF and near-zero aECR (Figure 3). After about 1200 s from the onset of the tribotest, aECR increases and varies between 0.5 and 1 KΩ. As predicted by aECR, COF stabilises during the following 500…800 s. The aECR during the steady-state lubrication regime slightly differs for the two polarities applied. When the positive voltage was applied to the ball, a higher aECR was observed. Moreover, it has a broader fluctuation interval. In the case of a negatively charged ball, the increased aECR observed at the end of the tribotest did not cause a noticeable response in the COF variation. It could be that the response comes with a delay similar to that observed before a steady state.
At the tribotest temperature of 80 °C, the running-in period can be observed only when electric voltage is applied. This means that electric voltage changes lubrication conditions in these conditions. When electric voltage is applied, the running-in period is distinguished by fluctuating COF, and its value does not decrease when the steady state is reached. The aECR at the tribotest of 80 °C does not show distinct features during the running-in stage, and its value for both polarities does not exceed 20 Ω.

3.2. Wear Evaluation

Figure 5 presents the wear volume observed in the performed tribotests. Due to the poor lubricity of the paraffin base oil, the results are characterised by high variation represented by wide error bars. However, according to LSD, the cases of negatively charged balls significantly differ from those of uncharged and positively charged ones. Interestingly, at the test temperature of 30 °C, the negatively charged ball resulted in wear reduction, while at the test temperature of 80 °C, the opposite phenomenon was observed.
Figure 6 and Figure 7 present the cross-section profiles of the wear traces that formed on the plate due to rubbing. Combining these results with the optical images of the wear scars (Figure 8) gives a comprehensive view of the lubrication conditions.
The wear scars on the balls observed after the tribotest at 30 °C have a similar appearance (Figure 8). They all are elliptical and have slight abrasion marks. The abrasion is also evident on the worn surface of the plate (Figure S1). Therefore, it was assumed that the predominant wear mechanism was abrasion and plastic deformation. The evidence of plastic deformation can be seen in the cross-section profiles of the wear traces, where a considerable amount of material is located at the edges of the wear trace (Figure 6a,b). The amount of pushed-out material is less when the negative voltage is applied to the ball. In the case of a negatively charged ball, both surfaces underwent more abrasion. The higher abrasion could explain why COF was higher in this charging condition (Figure 2). However, it is not clear why the application of negative voltage resulted in lower wear.
Highly abraded worn surfaces were observed after the tribotest at 80 °C (Figure 8). This is particularly true when no or positive voltage was applied to the ball (Figure 7a,b). Different wear scars were formed when the ball was negatively charged (Figure 7c and Figure 8). Both interacting surfaces underwent more wear in this case, but fewer abraded worn surfaces were generated. It likely resulted from oxidation prevention of the plats’ surface, which occurred when positive voltage was applied to this part.
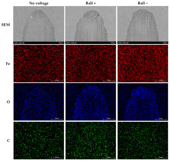
The distinct feature of worn surfaces observed after the tribotest at 30 °C is the lighter area formed at the ends of the wear trace (Figure 8). At these points, the reciprocating ball changes direction and, thus, lubrication conditions are also different. The high-resolution SEM images of these regions show smooth surfaces with small pits (Figure 9). The severity of the interaction is evident from the pitting, which was formed due to micro adhesion in difficult lubrication conditions. Possibly, the adhered phases moved together with the ball, causing abrasion on the plate. Consequently, the wear debris between the interacting bodies resulted in abrasion on the relatively harder ball surface.
The EDS analysis was performed to further analyse the lubrication mechanism and causes of applied electric voltage. The results show that worn surfaces were intensively oxidised (Figure 9, Table 2). The amount of oxygen varies within the wear trace and even between the repetitions of the same experiment. This is because additive-free paraffin base oil is a poor lubricant, and surface oxidation is a self-initiating, rubbing surface-protecting mechanism. Interestingly, in all the tribotests performed at 30 °C, there was a trend that the amount of oxygen was smaller at the points where the reciprocating ball was changing direction. This is evidence that harsher friction conditions prevent surface oxidation by continuously removing it. Thus, the unoxidised surface was, therefore, vulnerable to adhesion.
It must be noted that worn surfaces on the plate have less oxygen when a negative voltage is applied to the ball. This is in agreement with the electrochemical processes where a positively charged surface, in the present case, the plate, is prevented from oxidation. Therefore, the soft plate surface underwent more abrasion than the oxidised ones.
The worn surfaces obtained after the high-temperature tribotest were even more oxidised. The amount of oxygen on these surfaces varies between 26 and 38%, with no pattern observed. However, there were slightly higher amounts of oxygen when the negative potential was applied to the ball.
Comparing the results at two temperatures, it is evident that the lubricant’s viscosity plays a vital role in the case of reciprocation sliding. The difference between the conditions was viscosity. It led to the formation of better lubrication conditions when the ball was moving between endpoints. At the high temperature, the viscosity was much lower; therefore, conditions in the contact were governed only by metal oxide formation.

3.3. ECR Variation Analysis

In all of the cases, the ECR jumps sharply at the onset of the tribotest and then decreases. This phenomenon can be related to the removal of initial surface roughness during the first interaction cycles [33]. The time interval needed to remove the initial surface roughness is closely related to the lubricity of the lubricant used. In the present case, the lower viscosity at a higher test temperature resulted in a very short interval of approximately one second (Figure 10c,d). In contrast, this process took a few seconds at the lower test temperature, where the higher viscosity of the lubricant could lead to surface separation. It must be noted that higher mECR was recorded when negative voltage was applied to the ball. This phenomenon can be related to the fact that a negative potential-having surface tends to oxidise. In the present case, the ball surface was oxidised and resisted the removal of its surface asperities.
The measured ECR recorded during the tribotests when electric voltage was applied is presented in Figure 11 and Figure 12 for 30 and 80 °C, respectively. These graphs represent variations in the mECR and respective ball positions in the most representative tribotest time intervals. Figure 11a,d represents the mECR at the onset of the tribotest, respectively, for positive and negative voltages applied to the ball. Figure 11b represents the mECR during the running-in period. It was similar for both polarities. Finally, Figure 11c,e shows the mECR variation observed during the steady-state friction regime for positive and negative voltages, respectively. The same graph position is held for the tribotest temperature of 80 °C in Figure 12, where a and c were recorded at the onset of the tribotest for different polarities. Figure 12b represents the steady-state friction conditions, which were similar for both polarities.
In most cases, the mECR obtains its maximum value while the ball travels between endpoints. At the endpoints, mECR has a much lower value. In some cases, zero resistance is reached. Comparing the mECR and aECR variations, one can observe that they differ significantly. In the mECR mode, the contact resistance varies significantly while the ball moves, showing changing lubrication conditions. On the other hand, the aECR represents the general trend in contact resistance and friction-pair lubricity.
At the tribotest temperature of 30 °C, the aECR was very low during the running-in period (Figure 3b,c). In these cases, the mECR was <100 Ω and did not vary with the ball position (Figure 11b). Instead, it has a noise pattern of 50 Hz, which most likely comes from the measurement equipment. Based on the composition of the worn surfaces, the metal oxide layer formed during the running-in stage. Moreover, due to wear, the contact area increases, and contact pressure decreases, creating conditions for the entrapping lubricant layer. These processes lead to COF stabilisation and increased aECR (Figure 3). However, if we look at the variations in the mECR, we will observe that the contact resistance increases only when the ball travels between the endpoints (Figure 11c,e). Near the endpoints, mECR drops sharply and has a much lower value. It can be speculated that the actual surface separation occurs in the middle of the wear trace, while the lubrication conditions are different at the ends. Low mECR can also be observed while the ball is sliding, which was attributed to the poor lubricity of paraffin oil.
As mentioned earlier, at the temperature of 80 °C, the mECR jumped sharply at the onset of the tribotest. Similar to the low-temperature tribotest, a higher electrical resistance was observed when the ball moved (Figure 12a,c). Moreover, its peaks were higher when the negative voltage was applied to the ball. Later, during the tribotest, the mECR decreased to <100 Ω and did not vary with ball position (Figure 12b).

4. Discussion

The results above agree well and complement each other. After removing initial surface asperities, the ECR decreases and keeps a low value during the running-in period. The rising ECR predicted the end of the running-in period in such a way that, shortly after an increase in aECR, the COF stabilises. The rising electrical contact resistance was also reported by other scholars, who used this method to indicate surface separation [16,31]. Therefore, it was speculated that the formation of the metal oxide film and decreased contact pressure led to improved lubrication conditions. During the steady-state period, the mECR and surface composition confirmed the presence of varying lubrication regimes when the ball was reciprocating. It was also found that the polarity of applied voltage can result in increased wear and COF. Application of negative voltage to the harder ball surface prevented oxide film formation on the softer plate surface, resulting in higher wear.
Even though the observation of ECR enables monitoring of lubricating conditions, it is impossible without applying electric voltage. Many studies have confirmed that even a tiny flowing current influences lubricity [9,18]. Therefore, its application must be considered cautiously, experimentally confirming that its measurement has a marginal effect on lubricity.

5. Conclusions

In this study, the reciprocating ball-on-plate tribometer was electrified, enabling the application of electric voltage and high-speed ECR recording. There were cases when no voltage and positive or negative voltages were applied to the ball. The tribotests were performed at two temperatures of 30 and 80 °C, using paraffin oil as a lubricant. The lubricity was evaluated by analysing COF, wear, surface morphology, and composition. In light of the obtained results, the following findings can be outlined:
  • The high-speed recording of electrical contact resistance enables monitoring of lubrication conditions during reciprocating sliding. ECR and worn surface composition confirm that mild lubrication occurs when the ball moves between endpoints. On the other hand, severe lubrication conditions were observed at the endpoints. Variations in the average ECR predicted the end of the running-in at a low tribotest temperature.
  • The polarity of the applied electric voltage changed the tribo-film formation. Applying negative voltage to the ball resulted in significantly higher wear at the test temperature of 80 °C. At the temperature of 30 °C, the negative voltage increased COF.
  • The lubricant’s viscosity plays an essential role in the lubrication of reciprocating surfaces. Its effect can be observed by comparing electrical contact resistance obtained at two different temperatures. It was also confirmed by friction and wear results.

Supplementary Materials

The following supporting information can be downloaded at: https://www.mdpi.com/article/10.3390/lubricants12040104/s1, Figure S1: SEM images of the worn surfaces on the plate.

Author Contributions

Conceptualisation, R.K. and A.A.; methodology, R.K. and A.A.; software, A.A.; validation, R.K., A.A. and V.J.; formal analysis, R.K. and J.T.; investigation, A.K., R.K. and A.A.; resources, R.K. and V.J.; writing—original draft preparation, V.J., R.K. and A.A.; writing—review and editing, V.J., R.K. and A.A.; visualisation, A.A., R.K. and J.T.; supervision, R.K.; project administration, R.K. All authors have read and agreed to the published version of the manuscript.

Funding

This research was funded by grant No. S-MIP-21-61 from the Research Council of Lithuania.

Data Availability Statement

Data are contained within the article.

Conflicts of Interest

The authors declare no conflicts of interest.

References

  1. Xie, G.; Guo, D.; Luo, J. Lubrication under Charged Conditions. Tribol. Int. 2015, 84, 22–35. [Google Scholar] [CrossRef]
  2. Taylor, R.I. Energy Efficiency, Emissions, Tribological Challenges and Fluid Requirements of Electrified Passenger Car Vehicles. Lubricants 2021, 9, 66. [Google Scholar] [CrossRef]
  3. Ahmed Abdalglil Mustafa, W.; Dassenoy, F.; Sarno, M.; Senatore, A. A Review on Potentials and Challenges of Nanolubricants as Promising Lubricants for Electric Vehicles. Lubr. Sci. 2022, 34, 1–29. [Google Scholar] [CrossRef]
  4. Calderon Salmeron, G.; Leckner, J.; Schwack, F.; Westbroek, R.; Glavatskih, S. Greases for Electric Vehicle Motors: Thickener Effect and Energy Saving Potential. Tribol. Int. 2022, 167, 107400. [Google Scholar] [CrossRef]
  5. Xu, J.; Li, X.; Chen, R.; Shang, D.; Yang, Z.; Yang, H. Modeling and Control Analysis of Electric Driving System Considering Gear Friction Based on Dual-Inertia System. J. Frankl. Inst. 2023, 360, 3633–3656. [Google Scholar] [CrossRef]
  6. Wang, F.; Wu, J.; Lin, Z.; Zhang, H.; Xu, B. A Power-Sharing Electro-Hydraulic Actuator System to Downsize Electric Motors for Electric Mobile Machines. Energy 2023, 284, 129343. [Google Scholar] [CrossRef]
  7. Beake, B.D.; Harris, A.J.; Liskiewicz, T.W.; Wagner, J.; McMaster, S.J.; Goodes, S.R.; Neville, A.; Zhang, L. Friction and Electrical Contact Resistance in Reciprocating Nano-Scale Wear Testing of Metallic Materials. Wear 2021, 474–475, 203866. [Google Scholar] [CrossRef]
  8. Aguilar-Rosas, O.A.; Farfan-Cabrera, L.I.; Erdemir, A.; Cao-Romero-Gallegos, J.A. Electrified Four-Ball Testing—A Potential Alternative for Assessing Lubricants (E-Fluids) for Electric Vehicles. Wear 2023, 522, 204676. [Google Scholar] [CrossRef]
  9. Glovnea, R.; Furtuna, M.; Nagata, Y.; Sugimura, J. Electrical Methods for the Evaluation of Lubrication in Elastohydrodynamic Contacts. Tribol. Online 2012, 7, 46–53. [Google Scholar] [CrossRef][Green Version]
  10. Guo, L.; Mol, H.; Nijdam, T.; de Vries, L.; Bongaerts, J. Study on the Electric Discharge Behaviour of a Single Contact in EV Motor Bearings. Tribol. Int. 2023, 187, 108743. [Google Scholar] [CrossRef]
  11. Schirra, T.; Martin, G.; Puchtler, S.; Kirchner, E. Electric Impedance of Rolling Bearings—Consideration of Unloaded Rolling Elements. Tribol. Int. 2021, 158, 106927. [Google Scholar] [CrossRef]
  12. Archard, J.F.; Kirk, M.T.; Allibone, T.E. Lubrication at Point Contacts. Proc. R. Soc. Lond. A Math. Phys. Sci. 1997, 261, 532–550. [Google Scholar] [CrossRef]
  13. Yamamoto, Y.; Hirano, F. Scuffing Resistance of Phosphate Esters II: Effect of Applied Voltage. Wear 1981, 66, 77–86. [Google Scholar] [CrossRef]
  14. Alves, S.M.; Barros, B.S.; Trajano, M.F.; Ribeiro, K.S.B.; Moura, E. Tribological Behavior of Vegetable Oil-Based Lubricants with Nanoparticles of Oxides in Boundary Lubrication Conditions. Tribol. Int. 2013, 65, 28–36. [Google Scholar] [CrossRef]
  15. Alves, S.M.; Mello, V.S.; Faria, E.A.; Camargo, A.P.P. Nanolubricants Developed from Tiny CuO Nanoparticles. Tribol. Int. 2016, 100, 263–271. [Google Scholar] [CrossRef]
  16. Hong, F.T.; Singh, E.; Sarathy, S.M. On the Origins of Lubricity and Surface Cleanliness in Ethanol-Diesel Fuel Blends. Fuel 2021, 302, 121135. [Google Scholar] [CrossRef]
  17. Farfan-Cabrera, L.I.; Cao-Romero-Gallegos, J.A.; Lee, S.; Komurlu, M.U.; Erdemir, A. Tribological Behavior of H-DLC and H-Free DLC Coatings on Bearing Materials under the Influence of DC Electric Current Discharges. Wear 2023, 522, 204709. [Google Scholar] [CrossRef]
  18. Kronberger, M.; Ripoll, M.R.; Dörr, N.; Linhardt, P. In-Situ Cyclic Voltammetry of an Ionic Liquid as a Lubricant Additive in a Steel-Ceramic Contact. Tribol. Int. 2020, 152, 106264. [Google Scholar] [CrossRef]
  19. Yang, X.; Meng, Y.; Tian, Y. Potential-Controlled Boundary Lubrication of Stainless Steels in Non-Aqueous Sodium Dodecyl Sulfate Solutions. Tribol. Lett. 2014, 53, 17–26. [Google Scholar] [CrossRef]
  20. Peng, J.; Yang, F.; Huang, K.; Dong, H.; Yan, S.; Zheng, X. Friction Behavior of Monolayer Molybdenum Diselenide Nanosheet under Normal Electric Field. Phys. Lett. A 2020, 384, 126166. [Google Scholar] [CrossRef]
  21. de Wijn, A.S.; Fasolino, A.; Filippov, A.E.; Urbakh, M. Nanoscopic Friction under Electrochemical Control. Phys. Rev. Lett. 2014, 112, 55502. [Google Scholar] [CrossRef] [PubMed]
  22. Czeslaw, K. Importance of Anionic Reactive Intermediates for Lubricant Component Reactions with Friction Surfaces. Lubr. Sci. 2018, 6, 203–228. [Google Scholar] [CrossRef]
  23. Yamamoto, Y.; Yagi, J.; Higaki, H. Effect of Externally Applied Electric Field on Friction and Wear Characteristics. JSME Int. J. Vib. Control Eng. Eng. Ind. 1992, 35, 641–646. [Google Scholar] [CrossRef]
  24. Sunahara, K.; Ishida, Y.; Yamashita, S.; Yamamoto, M.; Nishikawa, H.; Matsuda, K.; Kaneta, M. Preliminary Measurements of Electrical Micropitting in Grease-Lubricated Point Contacts. Tribol. Trans. 2011, 54, 730–735. [Google Scholar] [CrossRef]
  25. Ismail, M.N.F.; Harvey, T.J.; Wharton, J.A.; Wood, R.J.K.; Humphreys, A. Surface Potential Effects on Friction and Abrasion of Sliding Contacts Lubricated by Aqueous Solutions. Wear 2009, 267, 1978–1986. [Google Scholar] [CrossRef]
  26. Brandon, N.P.; Bonanos, N.; Fogarty, P.O.; Mahmood, M.N.; Moore, A.J.; Wood, R.J.K. Influence of Potential. on the Friction and Wear of Mild Steel in a Model. In Aqueous Lubricant; World Scientific Publishing Company: Singapore, 1993; Volume 23. [Google Scholar]
  27. Komatsuzaki, S.; Uematsu, T.; Nakano, F. Bearing Damage by Electrical Wear and Its Effect on Deterioration of Lubricating Greases. Lubr. Eng. 1987, 43, 25–30. [Google Scholar]
  28. Xie, G.; Luo, J.; Liu, S.; Guo, D.; Zhang, C.; Si, L. Electrospreading of Dielectric Liquid Menisci on the Small Scale. Soft Matter 2011, 7, 6076–6081. [Google Scholar] [CrossRef]
  29. Zika, T.; Gebeshuber, I.C.; Buschbeck, F.; Preisinger, G.; Gröschl, M. Surface Analysis on Rolling Bearings after Exposure to Defined Electric Stress. Proc. Inst. Mech. Eng. Part I J. Eng. Tribol. 2009, 223, 787–797. [Google Scholar] [CrossRef]
  30. Raadnui, S.; Kleesuwan, S. Electrical Pitting Wear Debris Analysis of Grease-Lubricated Rolling Element Bearings. Wear 2011, 271, 1707–1718. [Google Scholar] [CrossRef]
  31. Wu, Y.Y.; Tsui, W.C.; Liu, T.C. Experimental Analysis of Tribological Properties of Lubricating Oils with Nanoparticle Additives. Wear 2007, 262, 819–825. [Google Scholar] [CrossRef]
  32. Yamaguchi, E.S.; Ryason, P.R.; Yeh, S.W.; Hansen, T.P. Boundary Film Formation by Zndtps and Detergents Using Ecr. Tribol. Trans. 1998, 41, 262–272. [Google Scholar] [CrossRef]
  33. Lord, J.; Larsson, R. Film-Forming Capability in Rough Surface EHL Investigated Using Contact Resistance. Tribol. Int. 2008, 41, 831–838. [Google Scholar] [CrossRef]
Figure 1. Schematic representation of an experiment setup. 1—tribometer; 2—device body; 3—ball specimen; 4—permanent magnet; 5—plate specimen; 6—ball holder; 7—plate holder; 8—insulating material; 9—Hall sensor. Rc—contact resistance; R1 and R2—resistors; R01, R02, R03, and R04—bridge resistors; UBA—excitation voltage of resistors R1, Rc, R2; UBC—bridge excitation voltage; h—ball position; A, B, and C—bridge points; T1—isolating transformer.
Figure 1. Schematic representation of an experiment setup. 1—tribometer; 2—device body; 3—ball specimen; 4—permanent magnet; 5—plate specimen; 6—ball holder; 7—plate holder; 8—insulating material; 9—Hall sensor. Rc—contact resistance; R1 and R2—resistors; R01, R02, R03, and R04—bridge resistors; UBA—excitation voltage of resistors R1, Rc, R2; UBC—bridge excitation voltage; h—ball position; A, B, and C—bridge points; T1—isolating transformer.
Lubricants 12 00104 g001
Figure 2. The mean COF observed in the performed tribotests.
Figure 2. The mean COF observed in the performed tribotests.
Lubricants 12 00104 g002
Figure 3. Variations in COF and contact resistance (aECR) during the tribotest of paraffin oil at the test temperature of 30 °C obtained when (a) no voltage was applied, (b) a positive voltage, or (c) a negative voltage was applied to the ball. The blue line represents true variation, while the black is running average made from 20 values.
Figure 3. Variations in COF and contact resistance (aECR) during the tribotest of paraffin oil at the test temperature of 30 °C obtained when (a) no voltage was applied, (b) a positive voltage, or (c) a negative voltage was applied to the ball. The blue line represents true variation, while the black is running average made from 20 values.
Lubricants 12 00104 g003
Figure 4. Variations in COF and contact resistance (aECR) during the tribotest of paraffin oil at the test temperature of 80 °C obtained when (a) no voltage was applied, (b) a positive voltage, or (c) a negative voltage was applied to the ball. The red line represents true variation, while the black is running average made from 20 values.
Figure 4. Variations in COF and contact resistance (aECR) during the tribotest of paraffin oil at the test temperature of 80 °C obtained when (a) no voltage was applied, (b) a positive voltage, or (c) a negative voltage was applied to the ball. The red line represents true variation, while the black is running average made from 20 values.
Lubricants 12 00104 g004
Figure 5. The wear volume observed in the performed tribotests.
Figure 5. The wear volume observed in the performed tribotests.
Lubricants 12 00104 g005
Figure 6. Profiles of the wear traces on the plate observed after lubrication with paraffin oil at the test temperature of 30 °C when (a) no voltage, (b) a positive voltage, or (c) a negative voltage was applied to the ball.
Figure 6. Profiles of the wear traces on the plate observed after lubrication with paraffin oil at the test temperature of 30 °C when (a) no voltage, (b) a positive voltage, or (c) a negative voltage was applied to the ball.
Lubricants 12 00104 g006
Figure 7. Profiles of the wear traces on the plate observed after lubrication with paraffin oil at the test temperature of 80 °C when (a) no voltage was applied, (b) a positive voltage, or (c) a negative voltage was applied to the ball.
Figure 7. Profiles of the wear traces on the plate observed after lubrication with paraffin oil at the test temperature of 80 °C when (a) no voltage was applied, (b) a positive voltage, or (c) a negative voltage was applied to the ball.
Lubricants 12 00104 g007
Figure 8. Wear scars on the balls and wear traces on the plates formed during tribotests when paraffin oil was used for lubrication.
Figure 8. Wear scars on the balls and wear traces on the plates formed during tribotests when paraffin oil was used for lubrication.
Lubricants 12 00104 g008
Figure 9. SEM and EDS mapping images of the wear traces’ end region after the tribotest lubricated with paraffin oil at 30 °C with and without electric voltage.
Figure 9. SEM and EDS mapping images of the wear traces’ end region after the tribotest lubricated with paraffin oil at 30 °C with and without electric voltage.
Lubricants 12 00104 g009
Figure 10. Variations in mECR at the onset of tribotests at 30 (a,b) and 80 °C (c,d) when the positive or negative voltage was applied, respectively.
Figure 10. Variations in mECR at the onset of tribotests at 30 (a,b) and 80 °C (c,d) when the positive or negative voltage was applied, respectively.
Lubricants 12 00104 g010
Figure 11. The variations in the mECR and respective ball position observed during the particular time segments of tribotests at 30 °C when positive or negative voltage was applied to the ball. Ball(+)—(ac). Ball(−)—(d,e).
Figure 11. The variations in the mECR and respective ball position observed during the particular time segments of tribotests at 30 °C when positive or negative voltage was applied to the ball. Ball(+)—(ac). Ball(−)—(d,e).
Lubricants 12 00104 g011
Figure 12. The variations in the mECR and respective ball position observed during the particular time segments of tribotests at 80 °C when positive or negative voltage was applied to the ball. Ball(+)—(a,b). Ball(−)—(c).
Figure 12. The variations in the mECR and respective ball position observed during the particular time segments of tribotests at 80 °C when positive or negative voltage was applied to the ball. Ball(+)—(a,b). Ball(−)—(c).
Lubricants 12 00104 g012
Table 1. The physical properties of paraffin oil.
Table 1. The physical properties of paraffin oil.
LubricantDensity@ 15 °C, g/cm3Kinematic Viscosity, mm2/sViscosity IndexDynamic Viscosity, mPa × s
30 °C40 °C80 °C100 °C30 °C80 °C
Paraffin oil0.866884.3250.7411.847.21100.172.339.80
Table 2. The elements of interest in the wear trace on the plate observed after the tribotests performed at the temperature of 30 °C.
Table 2. The elements of interest in the wear trace on the plate observed after the tribotests performed at the temperature of 30 °C.
Applied VoltageIn the Middle of the Wear TraceAt the End of the Wear TraceOutside the Wear Trace
OCOtherOCOtherOCOther
No voltage20.35.22Balance15.94.52Balance0.020.19Balance
Ball+20.93.7316.44.88
Ball−15.93.9314.95.92
Disclaimer/Publisher’s Note: The statements, opinions and data contained in all publications are solely those of the individual author(s) and contributor(s) and not of MDPI and/or the editor(s). MDPI and/or the editor(s) disclaim responsibility for any injury to people or property resulting from any ideas, methods, instructions or products referred to in the content.

Share and Cite

MDPI and ACS Style

Kreivaitis, R.; Andriušis, A.; Treinytė, J.; Kupčinskas, A.; Jankauskas, V. Investigation of the Lubricating Conditions in a Reciprocating Sliding Tribotest with Applied Electric Voltage. Lubricants 2024, 12, 104. https://doi.org/10.3390/lubricants12040104

AMA Style

Kreivaitis R, Andriušis A, Treinytė J, Kupčinskas A, Jankauskas V. Investigation of the Lubricating Conditions in a Reciprocating Sliding Tribotest with Applied Electric Voltage. Lubricants. 2024; 12(4):104. https://doi.org/10.3390/lubricants12040104

Chicago/Turabian Style

Kreivaitis, Raimondas, Albinas Andriušis, Jolanta Treinytė, Artūras Kupčinskas, and Vytenis Jankauskas. 2024. "Investigation of the Lubricating Conditions in a Reciprocating Sliding Tribotest with Applied Electric Voltage" Lubricants 12, no. 4: 104. https://doi.org/10.3390/lubricants12040104

APA Style

Kreivaitis, R., Andriušis, A., Treinytė, J., Kupčinskas, A., & Jankauskas, V. (2024). Investigation of the Lubricating Conditions in a Reciprocating Sliding Tribotest with Applied Electric Voltage. Lubricants, 12(4), 104. https://doi.org/10.3390/lubricants12040104

Note that from the first issue of 2016, this journal uses article numbers instead of page numbers. See further details here.

Article Metrics

Back to TopTop