Microfluidic Chip for Detection of Drug Resistance at the Single-cell Level
Abstract
1. Introduction
2. Experimental Methods
2.1. Chip Design and Manufacturing
2.2. Bacteria Strains and Drugs
2.3. Drug Prepositioning and Use of the Microfluidic Chip
2.4. Drug Resistance Testing
3. Results and Discussion
3.1. Verifying Effect of Drug Prepositioning by SEM
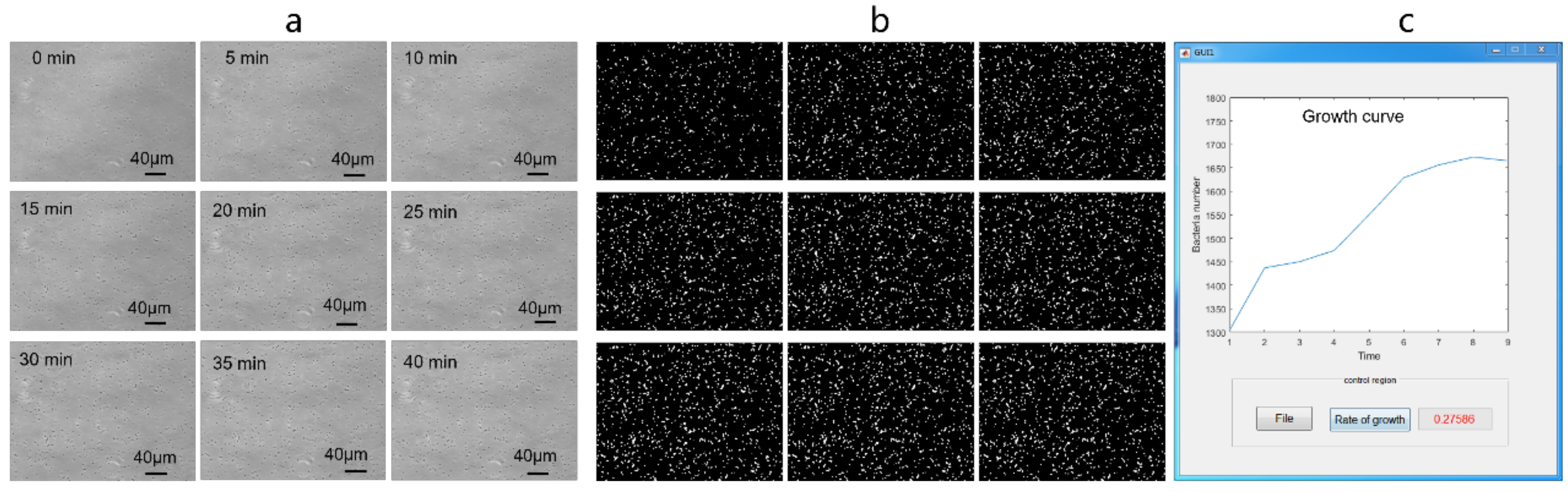
3.2. Tracking Bacteria Growth in the Rapid AST System at the Single-cell Level
3.3. Rapid Identification and Counting of Bacteria
3.4. Validation of the Single-cell Level Rapid AST System with E. coli
4. Conclusion
Reference
Author Contributions
Funding
Data Availability Statement
Conflicts of Interest
References
- World Health Organization (WHO). Antimicrobial Resistance: Global Report on Surveillance 2014; WHO: Geneva, Switzerland, 2014.
- La Rosa, R.; Johansen, H.K.; Molin, S. Persistent bacterial infections, antibiotic treatment failure, and microbial adaptive evolution. Antibiotics 2022, 11, 419. [Google Scholar] [CrossRef] [PubMed]
- Folgori, L.; Ellis, S.J.; Bielicki, J.A.; Heath, P.T.; Sharland, M.; Balasegaram, M. Tackling antimicrobial resistance in neonatal sepsis. Lancet Glob. Health 2017, 5, e1066–e1068. [Google Scholar] [CrossRef] [PubMed]
- Pitout, J.D.D. Transmission surveillance for antimicrobial-resistant organisms in the health system. Microbiol. Spectr. 2018, 6, 215–227. [Google Scholar] [CrossRef] [PubMed]
- Antimicrobial Resistance Collaborators. Global burden of bacterial antimicrobial resistance in 2019: A systematic analysis. Lancet 2020, 399, 629–655. [Google Scholar] [CrossRef]
- Van Belkum, A.; Burnham, C.D.; Rossen, J.W.A.; Mallard, F.; Rochas, O.; Dunne, W.M., Jr. Innovative and rapid antimicrobial susceptibility testing systems. Nat. Rev. Microbiol. 2020, 18, 299–311. [Google Scholar] [CrossRef]
- Rampacci, E.; Trotta, M.; Fani, C.; Silvestri, S.; Stefanetti, V.; Brachelente, C.; Mencacci, A.; Passamonti, F. Comparative performances of Vitek-2, disk diffusion, and broth microdilution for antimicrobial susceptibility testing of canine Staphylococcus pseudintermedius. J. Clin. Microbiol. 2021, 59, e0034921. [Google Scholar] [CrossRef]
- Balouiri, M.; Sadiki, M.; Ibnsouda, S.K. Methods for in vitro evaluating antimicrobial activity: A review. J. Pharm. Anal. 2016, 6, 71–79. [Google Scholar] [CrossRef]
- Bobenchik, A.M.; Hindler, J.A.; Giltner, C.L.; Saeki, S.; Humphries, R.M. Performance of Vitek 2 for antimicrobial susceptibility testing of Staphylococcus spp. and Enterococcus spp. J. Clin. Microbiol. 2014, 52, 392–397. [Google Scholar] [CrossRef]
- Al-Rawahi, G.N.; Chorlton, S.; Dhaliwal, S.; Golding, G.R.; Tilley, P. Performance of the BD Phoenix automated microbiology system for trimethoprim-sulfamethoxazole susceptibility testing of Staphylococcus aureus. J. Clin. Microbiol. 2019, 58, e00994-19. [Google Scholar] [CrossRef]
- Algammal, A.M.; Mohamed, M.F.; Tawfiek, B.A.; Hozzein, W.N.; El Kazzaz, W.M.; Mabrok, M. Molecular typing, antibiogram and PCR-RFLP based detection of Aeromonas hydrophila complex isolated from Oreochromis niloticus. Pathogens 2020, 9, 238. [Google Scholar] [CrossRef]
- Luukinen, B.V.; Vuento, R.; Hirvonen, J.J. Evaluation of a semi-automated Seegene PCR workflow with MTB, MDR, and NTM detection for rapid screening of tuberculosis in a low-prevalence setting. APMIS Acta Pathol. Microbiol. Immunol. Scand. 2020, 128, 406–413. [Google Scholar] [CrossRef] [PubMed]
- Pelzer, B.W.; Seufert, R.; Koldehoff, M.; Liebregts, T.; Schmidt, D.; Buer, J.; Rath, P.M.; Steinmann, J. Performance of the AsperGenius® PCR assay for detecting azole resistant Aspergillus fumigatus in BAL fluids from allogeneic HSCT recipients: A prospective cohort study from Essen, West Germany. Med. Mycol. 2020, 58, 268–271. [Google Scholar] [CrossRef] [PubMed]
- Pirkani, G.S.; Awan, M.A.; Abbas, F.; Din, M. Culture and PCR based detection of bacteria causing urinary tract infection in urine specimen. Pak. J. Med. Sci. 2020, 36, 391–395. [Google Scholar] [CrossRef] [PubMed]
- Shanmugakani, R.K.; Fujiya, Y.; Akeda, Y.; Hamaguchi, S.; Hamada, S.; Tomono, K. Rapid multiplex detection of the resistance genes mecA, vanA and vanB from Gram-positive cocci-positive blood cultures using a PCR-dipstick technique. J. Med. Microbiol. 2020, 69, 249–255. [Google Scholar] [CrossRef]
- Francis, R.O.; Wu, F.; Della-Latta, P.; Shi, J.; Whittier, S. Rapid detection of Klebsiella pneumoniae carbapenemase genes in enterobacteriaceae directly from blood culture bottles by real-time PCR. Am. J. Clin. Pathol. 2012, 137, 627–632. [Google Scholar] [CrossRef]
- Van der Zee, A.; Roorda, L.; Bosman, G.; Fluit, A.C.; Hermans, M.; Smits, P.H.; van der Zanden, A.G.; Te Witt, R.; Bruijnesteijn van Coppenraet, L.E.; Cohen Stuart, J.; et al. Multi-centre evaluation of real-time multiplex PCR for detection of carbapenemase genes OXA-48, VIM, IMP, NDM and KPC. BMC Infect. Dis. 2014, 14, 27. [Google Scholar] [CrossRef]
- Liu, Y.Y.; Wang, Y.; Walsh, T.R.; Yi, L.X.; Zhang, R.; Spencer, J.; Doi, Y.; Tian, G.; Dong, B.; Huang, X.; et al. Emergence of plasmid-mediated colistin resistance mechanism MCR-1 in animals and human beings in China: A microbiological and molecular biological study. Lancet. Infect. Dis. 2016, 16, 161–168. [Google Scholar] [CrossRef]
- Ábrók, M.; Tigyi, P.; Kostrzewa, M.; Burián, K.; Deák, J. Evaluation of the results of Group B Streptococcus screening by MALDI-TOF MS among pregnant women in a Hungarian Hospital. Pathogens 2019, 9, 1. [Google Scholar] [CrossRef]
- Dai, Y.; Li, C.; Yi, J.; Qin, Q.; Liu, B.; Qiao, L. Plasmonic colloidosome-coupled MALDI-TOF MS for bacterial heteroresistance study at single-cell Level. Anal. Chem. 2020, 92, 8051–8057. [Google Scholar] [CrossRef]
- Dortet, L.; Broda, A.; Bernabeu, S.; Glupczynski, Y.; Bogaerts, P.; Bonnin, R.; Naas, T.; Filloux, A.; Larrouy-Maumus, G. Optimization of the MALDIxin test for the rapid identification of colistin resistance in Klebsiella pneumoniae using MALDI-TOF MS. J. Antimicrob. Chemother. 2020, 75, 110–116. [Google Scholar] [CrossRef]
- Oviaño, M.; Rodicio, M.R.; Heinisch, J.J.; Rodicio, R.; Bou, G.; Fernández, J. Analysis of the degradation of broad-spectrum cephalosporins by OXA-48-producing Enterobacteriaceae using MALDI-TOF MS. Microorganisms 2019, 7, 614. [Google Scholar] [CrossRef] [PubMed]
- Quadros, M.; Bugs, R.C.F.; Soares, R.O.; Rossato, A.M.; Rocha, L.D.L.; d’Azevedo, P.A. Identifying gram-positive cocci in dermatoscopes and smartphone adapters using MALDI-TOF MS: A cross-sectional study. An. Bras. Dermatol. 2020, 95, 298–306. [Google Scholar] [CrossRef] [PubMed]
- Kandavalli, V.; Karempudi, P.; Larsson, J.; Elf, J. Rapid antibiotic susceptibility testing and species identification for mixed samples. Nat. Commun. 2022, 13, 6215. Available online: https://www-nature-com-s.haust.edu.cn/articles/s41467-022-33659-1 (accessed on 17 November 2022). [CrossRef] [PubMed]
- Lim, T.; Kim, E.G.; Choi, J.; Kwon, S. A high-throughput cell culture system based on capillary and centrifugal actions for rapid antimicrobial susceptibility testing. Lab Chip 2020, 20, 4552–4560. Available online: https://pubs.rsc.org/en/content/articlelanding/2020/lc/d0lc00753f/unauth (accessed on 17 November 2022). [CrossRef]
- Cama, J.; Voliotis, M.; Metz, J.; Smith, A.; Iannucci, J.; Keyser, U.F.; Tsaneva-Atanasova, K.; Pagliara, S. Single-cell microfluidics facilitates the rapid quantification of antibiotic accumulation in Gram-negative bacteria. Lab Chip 2020, 20, 2765–2775. Available online: https://pubs.rsc.org/is/content/articlehtml/2020/lc/d0lc00242a?page=search (accessed on 17 November 2022). [CrossRef]
- Radhakrishnan, J.; Varadaraj, S.; Dash, S.K.; Sharma, A.; Verma, R.S. Organotypic cancer tissue models for drug screening: 3D constructs, bioprinting and microfluidic chips. Drug Discov. Today 2020, 25, 879–890. [Google Scholar] [CrossRef]
- Hien, T.; Le, N.; Kim, J.; Park, J.; Cho, S. A review of electrical impedance characterization of cells for label-free and real-time assays. BioChip 2019, 13, 295–305. [Google Scholar] [CrossRef]
- Mancini, V.; Pensabene, V. Organs-On-Chip models of the female reproductive system. Bioengineering 2019, 6, 103. [Google Scholar] [CrossRef]
- Sun, J.; Warden, A.R.; Ding, X. Recent advances in microfluidics for drug screening. Biomicrofluidics 2019, 13, 061503. [Google Scholar] [CrossRef]






Disclaimer/Publisher’s Note: The statements, opinions and data contained in all publications are solely those of the individual author(s) and contributor(s) and not of MDPI and/or the editor(s). MDPI and/or the editor(s) disclaim responsibility for any injury to people or property resulting from any ideas, methods, instructions or products referred to in the content. |
© 2022 by the authors. Licensee MDPI, Basel, Switzerland. This article is an open access article distributed under the terms and conditions of the Creative Commons Attribution (CC BY) license (https://creativecommons.org/licenses/by/4.0/).
Share and Cite
Song, K.; Yu, Z.; Zu, X.; Huang, L.; Fu, D.; Yao, J.; Hu, Z.; Xue, Y. Microfluidic Chip for Detection of Drug Resistance at the Single-cell Level. Micromachines 2023, 14, 46. https://doi.org/10.3390/mi14010046
Song K, Yu Z, Zu X, Huang L, Fu D, Yao J, Hu Z, Xue Y. Microfluidic Chip for Detection of Drug Resistance at the Single-cell Level. Micromachines. 2023; 14(1):46. https://doi.org/10.3390/mi14010046
Chicago/Turabian StyleSong, Kena, Zhangqing Yu, Xiangyang Zu, Lei Huang, Dongliao Fu, Jingru Yao, Zhigang Hu, and Yun Xue. 2023. "Microfluidic Chip for Detection of Drug Resistance at the Single-cell Level" Micromachines 14, no. 1: 46. https://doi.org/10.3390/mi14010046
APA StyleSong, K., Yu, Z., Zu, X., Huang, L., Fu, D., Yao, J., Hu, Z., & Xue, Y. (2023). Microfluidic Chip for Detection of Drug Resistance at the Single-cell Level. Micromachines, 14(1), 46. https://doi.org/10.3390/mi14010046
