Enhancement of Physical Properties and Corrosion Resistance of Al-Cu-Al2O3/Graphene Nanocomposites by Powder Metallurgy Technique
Abstract
:1. Introduction
2. Materials and Methods
2.1. Materials
2.2. Methods
2.2.1. Fabrication of Sintered Nanocomposites
2.2.2. Characterization of the Sintered Nanocomposites
3. Results and Discussion
3.1. Density Measurements
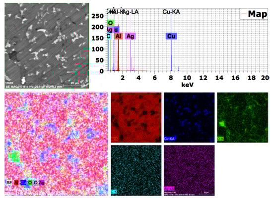
3.2. Microstructure of Sintered Nanocomposites
3.3. Electrical Conductivity of Sintered Nanocomposites
3.4. Thermal Conductivity of Sintered Nanocomposites
3.5. Coefficient of Thermal Expansion of Sintered Nanocomposites
3.6. Corrosion Behavior of Sintered Nanocomposites
4. Conclusions
- Aluminum matrix nanocomposites containing high content of graphene nanosheets up to 1.5 wt. % were successfully produced by powder metallurgy at a temperature of 565 °C and a low heating rate of 2 °C/min;
- An excellent distribution of all integrates was achieved as a result of performing the mixing process in the presence of liquid hexane as processing agent for 45 h;
- Using a slow heating rate of 2 °C/min provided an opportunity for sufficient bonding between the grain boundaries, as well as the elimination of pores and air gaps;
- Some accumulations of graphene flakes appeared in the sample containing 1.5 wt. % GNs, which can be avoided by increasing the percentage of liquid hexane;
- Mapping analysis emphasized the chemical composition and distribution of all elements;
- The electrical conductivity and thermal conductivity of Al were improved by adding copper and deteriorated by adding alumina nanoparticles due to its poor electrical conductivity as a non-conductive material. However, adding graphene nanosheets improved the electrical and thermal conductivity of Al;
- The 1.5 wt. % GNs sample recorded 16.3 m/°C at 50 °C and 19.8 mm/°C at 350 °C, with a thermal expansion range of 3.5; and
- The corrosion rate was decreased from 0.74 mm/year for aluminum to 0.57 mm/year for Al/10Cu. The addition of 2.5 wt. % Al2O3 increased to 1.44 mm/year, and with the addition of GNs, it was decreased to 0.97 mm/year at 1 wt. % GNs and increased at 1.5 wt. % GNs due to the accumulation of GNs.
Author Contributions
Funding
Institutional Review Board Statement
Informed Consent Statement
Data Availability Statement
Acknowledgments
Conflicts of Interest
References
- Peter, N.; Omayma, E.; Hossam, M.Y.; Atef, S.H.; Mohsen, A.H. Effect of Bimodal-Sized Hybrid TiC-CNT Reinforcement on the Mechanical Properties and Coefficient of Thermal Expansion of Aluminum Matrix Composites. Met. Mater. Int. 2021, 27, 753–766. [Google Scholar]
- Yehia, H.M.; Nouh, F.; El-Kady, O.A.; El-Bitar, T. Homogeneous Dispersion and Mechanical performance of aluminum reinforced with high graphene content. Compos. Mater. 2022, in press. [Google Scholar]
- Reda, Y.; Yehia, H.M.; El-Shamy, A.M. Microstructural and mechanical properties of Al-Zn alloy 7075 during RRA and triple aging. Egypt. J. Pet. 2022, 31, 9–13. [Google Scholar] [CrossRef]
- Ding, H.; Bao, X.; Jamili-Shirvan, Z.; Jin, J.; Deng, L.; Yao, K.; Wang, X. Enhancing strength-ductility synergy in an ex-situ Zr-based metallic glass composite via nanocrystal formation within high-entropy alloy particles. Mater. Des. 2021, 210, 110108. [Google Scholar] [CrossRef]
- Nour-Eldin, M.; Elkady, O.; Yehia, H.M. Timeless Powder Hot Compaction of Nickel-Reinforced Al/(Al2O3-Graphene Nanosheet) Composite for Light Applications Using Hydrazine Reduction Method. J. Mater. Eng. Perform. 2022, 31, 6545–6560. [Google Scholar] [CrossRef]
- Elkady, O.A.; Yehia, H.M.; Ibrahim, A.A.; Elhabak, A.M.; Elsayed, E.M.; Mahdy, A.A. Direct Observation of Induced Graphene and SiC Strengthening in Al–Ni Alloy via the Hot Pressing Technique. Crystals 2021, 11, 1142. [Google Scholar] [CrossRef]
- Hossam, M.; Allam, Y.S. Hot Pressing of Al-10 wt. % Cu-10 wt. % Ni/x (Al2O3–Ag) Nanocomposites at Different Heating Temperatures. Met. Mater. Int. 2021, 27, 500–513. [Google Scholar] [CrossRef]
- Zhu, G.; Cui, X.; Zhang, Y.; Dong, M.; Liu, H.; Shao, Q.; Ding, T.; Wu, S.; Guo, Z. Poly (vinyl butyral)/Graphene Oxide/Poly (methylhydrosiloxane) Nanocomposite Coating for Improved Aluminum Alloy Anticorrosion. J. Polym. 2019, 172, 415–422. [Google Scholar] [CrossRef]
- Chak, V.; Chattopadhyay, H. Fabrication and heat treatment of graphene nanoplatelets reinforced aluminium nanocomposites. J. Mater. Sci. Eng. A 2020, 791, 139657. [Google Scholar] [CrossRef]
- Kumar, V.; Kempaiah, U.N.; Bopanna, S.B. Nanoindentation studies on multiwalled carbon nanotubes/grapheme reinforced aluminium alloy 6061 nanocomposites. J. Mater. Today Proc. 2020, 45, 202–206. [Google Scholar] [CrossRef]
- Narayanan, S.; Sozhamannan, G.G.; Hemalatha, K.; Venkatachalapathy, V.S.K. Study on pitting corrosion behaviour of graphene oxide reinforced metal matrix composites. J. Mater. Today Proc. 2020, 39, 160–164. [Google Scholar] [CrossRef]
- Reda, Y.; Yehia, H.M.; El-Shamy, A.M. Triple aging of the RRA Al-Cu 2024 alloy and its impact on the mechanical and microstructure properties. Egypt. J. Pet. 2022, 31, 89–94. [Google Scholar] [CrossRef]
- Huang, X.; Wang, L.; Song, Y.; Ge, F.; Zhang, Y.; Meng, X.; Ge, H.; Zhao, Y. Effect of Al2O3 nanoparticles on the corrosion behavior of aluminum alloy in simulated vehicle coolant. J. Alloys Compd. 2021, 874, 159807. [Google Scholar] [CrossRef]
- Okoro, M.; Lephuthing, S.S.; Rasiwela, L.; Olubambi, P.A. Nondestructive measurement of the mechanical properties of grapheme nanoplatelets reinforced nickel aluminium bronze composites. J. Heliyon 2021, 7, e07978. [Google Scholar] [CrossRef]
- Yang, S.; Zhuo, K.; Sun, D.; Wang, X.; Wang, J. Preparation of graphene by exfoliating graphite in aqueous fulvic acid solution and its application in corrosion protection of aluminum. J. Colloid Interface Sci. 2019, 543, 263–272. [Google Scholar] [CrossRef]
- Dash, T.; Rout, D.; Palei, B.B. Graphene decorated aluminum nano composite with improved micro hardness and electrical conductivity. J. Mater. Today Proc. 2021, 46, 11061–11063. [Google Scholar] [CrossRef]
- Yehia, H.M.; El-Tantawy, A.; Ghayad, I.M.; Amal, S.E.; El-Kady, O. Studying the effect of ZrO2 and Sintering Temperature on the Corrosion Behavior and Biocompatibility of Ti-12Mo Alloy for Dental Applications, Recent Trends in Chemical and Material. Sciences 2022, 8, 29–49. [Google Scholar]
- Xie, Y.; Meng, X.; Mao, D.; Qin, Z.; Wan, L.; Huang, Y. Homogeneously Dispersed Graphene Nanoplatelets as Long-Term Corrosion Inhibitors for Aluminum Matrix Composites. ACS Appl. Mater. Interfaces 2021, 13, 32161–32174. [Google Scholar] [CrossRef]
- Yehia, H.M.; Hakim, M.; El-Assal, A. Effect of the Al2O3 powder addition on the metal removal rate and the surface roughness of the electrochemical grinding machining. Proc. Inst. Mech. Eng. Part B J. Eng. Manuf. 2020, 234, 1538–1548. [Google Scholar] [CrossRef]
- Yehia, H.M.; Nyanor, P.; Daoush, W.M. Characterization of Al-5Ni-0.5Mg/x (Al2O3-GNs) nanocomposites manufactured Via Hot Pressing Technique. Mater. Charact. 2022, 191, 112139. [Google Scholar] [CrossRef]
- Yehia, H.M.; Ali, A.I.; Abd-Elhameed, E. Effect of exfoliated MoS2 on the Microstructure, Hardness, and Tribological Properties of Copper matrix nanocomposite fabricated via the hot pressing method. Trans. Indian Inst. Met. 2022. [Google Scholar] [CrossRef]
- Yehia, H.M.; Daoush, W.M.; El-Nikhaily, A.E. Microstructure and physical properties of blended and coated (Ta, Nb)C/Ni cermets. Powder Metall. Prog. 2015, 15, 262–271. [Google Scholar]
- Zidan, H.M.; Hegazy, M.; Abd-Elwahed, A.; Yehia, H.M.; el Kady, O.A. Investigation of the Effectuation of Graphene Nanosheets (GNS) Addition on the Mechanical Properties and Microstructure of S390 HSS Using Powder Metallurgy Method. Int. J. Mater. Technol. Innov. 2021, 1, 52–57. [Google Scholar] [CrossRef]
- Yehia, H.M.; Daoush, W.M.; Mouez, F.A.; El-Sayed, M.H.; El-Nikhaily, A.E. Microstructure, Hardness, Wear, and Magnetic Properties of (Tantalum, Niobium) Carbide- Nickel–Sintered Composites Fabricated from Blended and Coated Particles. Mater. Perform. Charact. 2020, 9, 543–555. [Google Scholar] [CrossRef]
- Latief, F.H.; Sherif, E.M.; Junaedi, A.A.A.H. Fabrication of exfoliated graphite nanoplatelets-reinforced aluminum composites and evaluating their mechanical properties and corrosion behavior. J. Anal. Appl. Pyrolysis 2011, 92, 485–492. [Google Scholar] [CrossRef]
- El-Kady, O.; Yehia, H.M.; Nouh, F. Preparation and characterization of Cu/(WC-TiC-Co)/graphene nanocomposites as a suitable material for heat sink by powder metallurgy method. Int. J. Refract. Met. Hard Mater. 2019, 79, 108–114. [Google Scholar] [CrossRef]
- Lopez, J.J.; Williams, M.B.; Rushing, T.W.; Confer, M.P.; Ghosh, A.; Griggs, C.S.; Jordon, J.B.; Thompson, G.B.; Allison, P.G. A solid-state additive manufacturing method for aluminum-graphene nanoplatelet composites. J. Mater. 2022, 23, 101440. [Google Scholar] [CrossRef]
- Somasekaran, B.; Thirunarayanaswamy, A.; Palanivel, I. Synthesis of Graphene and fabrication of Aluminium-Grp nanocomposites: A review. J. Mater. Proc. 2022, 50, 2436–2442. [Google Scholar] [CrossRef]
- Venkatesan, S.; Xavior, M.A. Characterization on Aluminum Alloy 7050 Metal Matrix Composite Reinforced with Graphene Nanoparticles. J. Procedia Manuf. 2019, 30, 120–127. [Google Scholar] [CrossRef]
- Choi, J.S.; La, M.; Kim, D.; Choe, K.H.; Hyun, S.K.; Kim, M.J. Effect of electric current on the microstructural refinement of pure aluminum. J. Mater. Res. Technol. 2021, 12, 818–830. [Google Scholar] [CrossRef]
- Ramírez-Vinasco, D.; León-Patiño, C.A.; Nanko, M.; Aguilar-Reyes, E.A. Consolidation behaviour of Cu/AlN composites by pulse electric current sintering of copper-coated aluminium nitride precursors. J. Powder Technol. 2021, 377, 723–732. [Google Scholar] [CrossRef]
- Harichandran, R.; Kumar, R.V.; Venkateswaran, M. Experimental and numerical evaluation of thermal conductivity of graphene nanoplatelets reinforced aluminium composites produced by powder metallurgy and hot extrusion technique. J. Alloys Compd. 2022, 900, 163401. [Google Scholar] [CrossRef]
- Yehia, H.M.; Nouh, F.; El-Kady, O.A.; Abd-Elaziem, W.; Elsayed, E.M. Studying the Microstructure, Electrical, and Electrochemical Behavior of the Cu-10WC/x GNs for Electrochemical Machining Electrode and energy Application. Mach. Mach. Mater. (IJMMM) 2022, in press. [Google Scholar]









| Corrosion Rate (mm/year) | Ba (V/dec) | Bc (V/dec) | Icorr (A/cm2) | Ecorr (V/SCE) | Materials |
|---|---|---|---|---|---|
| 0.74873 | 0.48373 | 0.17274 | 6.6879 × 10−5 | −1.0216 | Pure Al |
| 0.57565 | 0.1168 | 0.42918 | 5.0313 × 10−5 | −0.65102 | Al/10Cu |
| 1.4495 | 0.121 | 0.372 | 0.000109 | −0.717 | Al-Cu 2.5%Al2O3 |
| 1.2704 | 0.062 | 0.439 | 0.0001 | −0.675 | Al-Cu-Al2O3/0.5GNs |
| 0.9784 | 0.06 | 0.409 | 8.08 × 10−5 | −0.7122 | Al-Cu-Al2O3/1GNs |
| 1.4024 | 0.055 | 0.337 | 0.00011 | −0.716 | Al-Cu-Al2O3/1.5GNs |
Publisher’s Note: MDPI stays neutral with regard to jurisdictional claims in published maps and institutional affiliations. |
© 2022 by the authors. Licensee MDPI, Basel, Switzerland. This article is an open access article distributed under the terms and conditions of the Creative Commons Attribution (CC BY) license (https://creativecommons.org/licenses/by/4.0/).
Share and Cite
El-Kady, O.A.; Yehia, H.M.; Nouh, F.; Ghayad, I.M.; El-Bitar, T.; Daoush, W.M. Enhancement of Physical Properties and Corrosion Resistance of Al-Cu-Al2O3/Graphene Nanocomposites by Powder Metallurgy Technique. Materials 2022, 15, 7116. https://doi.org/10.3390/ma15207116
El-Kady OA, Yehia HM, Nouh F, Ghayad IM, El-Bitar T, Daoush WM. Enhancement of Physical Properties and Corrosion Resistance of Al-Cu-Al2O3/Graphene Nanocomposites by Powder Metallurgy Technique. Materials. 2022; 15(20):7116. https://doi.org/10.3390/ma15207116
Chicago/Turabian StyleEl-Kady, Omayma A., Hossam M. Yehia, Fathei Nouh, Ibrahim M. Ghayad, Taher El-Bitar, and Walid M. Daoush. 2022. "Enhancement of Physical Properties and Corrosion Resistance of Al-Cu-Al2O3/Graphene Nanocomposites by Powder Metallurgy Technique" Materials 15, no. 20: 7116. https://doi.org/10.3390/ma15207116
APA StyleEl-Kady, O. A., Yehia, H. M., Nouh, F., Ghayad, I. M., El-Bitar, T., & Daoush, W. M. (2022). Enhancement of Physical Properties and Corrosion Resistance of Al-Cu-Al2O3/Graphene Nanocomposites by Powder Metallurgy Technique. Materials, 15(20), 7116. https://doi.org/10.3390/ma15207116

