CoNiCrMo Particles, but Not TiAlV Particles, Activate the NLRP3 Inflammasome in Periprosthetic Cells
Abstract
1. Introduction
2. Results
2.1. Inflammasome Activation in Periprosthetic Tissue of Patients with CoCrMo Alloy Implants Increased Compared to TiAlV Implants
2.2. Characterization of Particles Used for the In Vitro Experiments
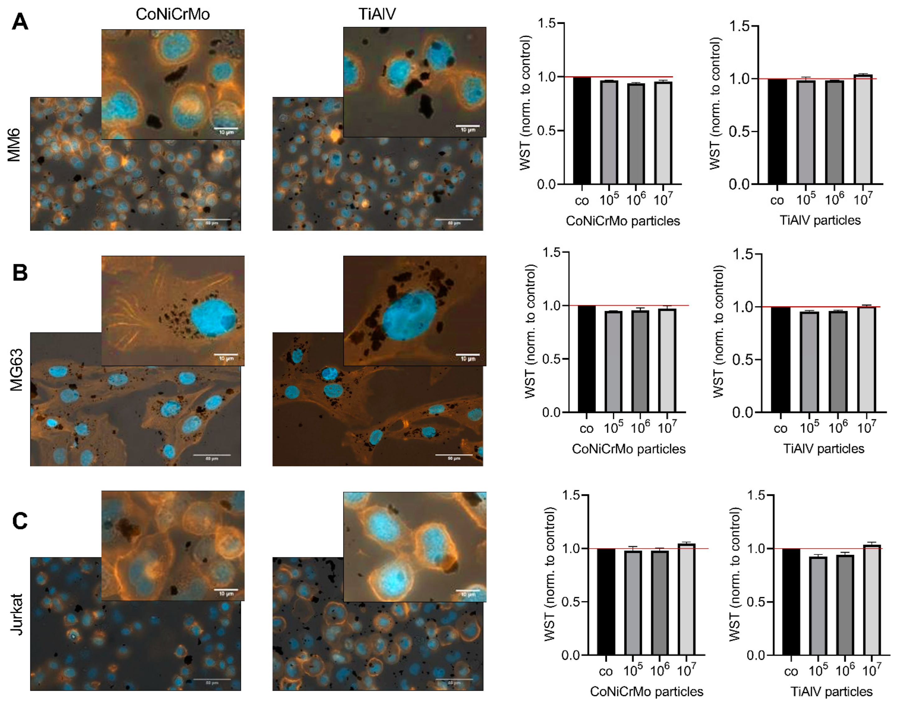
2.3. Intracellular Uptake of Particles Did Not Influence the Cell Viability
2.4. Increased ASC-Speck Formation upon Stimulation with CoNiCrMo Particles
2.5. CoNiCrMo Particles Induced Inflammasome-Dependent Signaling in MG63 Cells
3. Discussion
4. Materials and Methods
4.1. Patient Samples
4.2. Immunohistochemistry of ASC
4.3. Cell Culture
4.4. Particle Analysis
4.5. WST-Assay
4.6. Cytoskeleton Staining
4.7. Immunocytochemistry
4.8. Western Blot
4.9. Statistical Analysis
5. Conclusions
Author Contributions
Funding
Institutional Review Board Statement
Informed Consent Statement
Data Availability Statement
Acknowledgments
Conflicts of Interest
References
- Sharkey, P.F.; Lichstein, P.M.; Shen, C.; Tokarski, A.T.; Parvizi, J. Why are total knee arthroplasties failing today—Has anything changed after 10 years? J. Arthroplast. 2014, 29, 1774–1778. [Google Scholar] [CrossRef] [PubMed]
- Camus, T.; Long, W.J. Total knee arthroplasty in young patients: Factors predictive of aseptic failure in the 2nd–4th decade. J. Orthop. 2018, 15, 28–31. [Google Scholar] [CrossRef]
- Lubbeke, A.; Garavaglia, G.; Barea, C.; Stern, R.; Peter, R.; Hoffmeyer, P. Influence of patient activity on femoral osteolysis at five and ten years following hybrid total hip replacement. J. Bone Jt. Surg. 2011, 93, 456–463. [Google Scholar] [CrossRef]
- Willert, H.-G.; Semlitsch, M. Reactions of the articular capsule to wear products of artificial joint prostheses. J. Biomed. Mater. Res. 1977, 11, 157–164. [Google Scholar] [CrossRef] [PubMed]
- von Knoch, M.; Buchhorn, G.; Köster, G.; Willert, H.-G. Intracellular measurement of polyethylene particles. Arch. Orthop. Trauma Surg. 2001, 121, 399–402. [Google Scholar] [CrossRef]
- Wang, M.L.; Sharkey, P.F.; Tuan, R.S. Particle bioreactivity and wear-mediated osteolysis. J. Arthroplast. 2004, 19, 1028–1038. [Google Scholar] [CrossRef] [PubMed]
- Sheikh, Z.; Brooks, P.J.; Barzilay, O.; Fine, N.; Glogauer, M. Macrophages, foreign body giant cells and their response to implantable biomaterials. Materials 2015, 8, 5671–5701. [Google Scholar] [CrossRef] [PubMed]
- Athanasou, N.A. The pathobiology and pathology of aseptic implant failure. Bone Jt. Res. 2016, 5, 162–168. [Google Scholar] [CrossRef]
- González, O.; Smith, R.L.; Goodman, S.B. Effect of size, concentration, surface area, and volume of polymethylmethacrylate particles on human macrophages in vitro. J. Biomed. Mater. Res. 1996, 30, 463–473. [Google Scholar] [CrossRef]
- Sabokbar, A.; Pandey, R.; Athanasou, N.A. The effect of particle size and electrical charge on macrophage-osteoclast differentiation and bone resorption. J. Mater. Sci. Mater. Med. 2003, 14, 731–738. [Google Scholar] [CrossRef]
- Willert, H.G.; Buchhorn, G.H.; Fayyazi, A.; Flury, R.; Windler, M.; Köster, G.; Lohmann, C.H. Metal-on-metal bearings and hypersensitivity in patients with artificial hip joints. A clinical and histomorphological study. J. Bone Joint Surg. Am. 2005, 87, 28–36. [Google Scholar] [CrossRef] [PubMed]
- Maitra, R.; Clement, C.C.; Scharf, B.; Crisi, G.M.; Chitta, S.; Paget, D.; Purdue, P.E.; Cobelli, N.; Santambrogio, L. Endosomal damage and TLR2 mediated inflammasome activation by alkane particles in the generation of aseptic osteolysis. Mol. Immunol. 2009, 47, 175–184. [Google Scholar] [CrossRef]
- Burton, L.; Paget, D.; Binder, N.B.; Bohnert, K.; Nestor, B.J.; Sculco, T.P.; Santambrogio, L.; Ross, F.P.; Goldring, S.R.; Purdue, P.E. Orthopedic wear debris mediated inflammatory osteolysis is mediated in part by NALP3 inflammasome activation. J. Orthop. Res. 2012, 31, 73–80. [Google Scholar] [CrossRef] [PubMed]
- Martinon, F.; Burns, K.; Tschopp, J. The inflammasome: A molecular platform triggering activation of inflammatory caspases and processing of proIL-beta. Mol. Cell 2002, 10, 417–426. [Google Scholar] [CrossRef]
- Martinon, F.; Pétrilli, V.; Mayor, A.; Tardivel, A.; Tschopp, J. Gout-associated uric acid crystals activate the NALP3 inflammasome. Nature 2006, 440, 237–241. [Google Scholar] [CrossRef] [PubMed]
- Kelley, N.; Jeltema, D.; Duan, Y.; He, Y. The NLRP3 inflammasome: An overview of mechanisms of activation and regulation. Int. J. Mol. Sci. 2019, 20, 3328. [Google Scholar] [CrossRef]
- Ogura, Y.; Sutterwala, F.S.; Flavell, R.A. The inflammasome: First line of the immune response to cell stress. Cell 2006, 126, 659–662. [Google Scholar] [CrossRef]
- Caicedo, M.S.; Desai, R.; McAllister, K.; Reddy, A.; Jacobs, J.J.; Hallab, N.J. Soluble and particulate Co-Cr-Mo alloy implant metals activate the inflammasome danger signaling pathway in human macrophages: A novel mechanism for implant debris reactivity. J. Orthop. Res. 2008, 27, 847–854. [Google Scholar] [CrossRef] [PubMed]
- Pettersson, M.; Kelk, P.; Belibasakis, G.N.; Bylund, D.; Molin Thorén, M.; Johansson, A. Titanium ions form particles that activate and execute interleukin-1beta release from lipopolysaccharide-primed macrophages. J. Periodontal. Res. 2017, 52, 21–32. [Google Scholar] [CrossRef]
- St Pierre, C.A.; Chan, M.; Iwakura, Y.; Ayers, D.C.; Kurt-Jones, E.A.; Finberg, R.W. Periprosthetic osteolysis: Characterizing the innate immune response to titanium wear-particles. J. Orthop. Res. 2010, 28, 1418–1424. [Google Scholar] [CrossRef]
- Jacobs, J.J.; Hallab, N.J.; Urban, R.M.; Wimmer, M.A. Wear particles. J. Bone Jt. Surg. Am. 2006, 88 (Suppl. S2), 99–102. [Google Scholar]
- Mavcic, B.; Antolic, V.; Dolzan, V. Association of NLRP3 and CARD8 inflammasome polymorphisms with aseptic loosening after primary total hip arthroplasty. J. Orthop. Res. 2020, 38, 417–421. [Google Scholar] [CrossRef] [PubMed]
- Kummer, J.A.; Broekhuizen, R.; Everett, H.; Agostini, L.; Kuijk, L.; Martinon, F.; van Bruggen, R.; Tschopp, J. Inflammasome components NALP 1 and 3 show distinct but separate expression profiles in human tissues suggesting a site-specific role in the inflammatory response. J. Histochem. Cytochem. 2007, 55, 443–452. [Google Scholar] [CrossRef] [PubMed]
- Manzano, G.W.; Fort, B.P.; Dubyak, G.R.; Greenfield, E.M. Wear particle-induced priming of the NLRP3 inflammasome depends on adherent pathogen-associated molecular patterns and their cognate toll-like receptors: An in vitro study. Clin. Orthop. Relat. Res. 2018, 476, 2442–2453. [Google Scholar] [CrossRef]
- Samelko, L.; Landgraeber, S.; McAllister, K.; Jacobs, J.; Hallab, N.J. Cobalt alloy implant debris induces inflammation and bone loss primarily through danger signaling, not TLR4 activation: Implications for DAMP-ening implant related inflammation. PLoS ONE 2016, 11, e0160141. [Google Scholar] [CrossRef]
- Ozaki, E.; Campbell, M.; Doyle, S.L. Targeting the NLRP3 inflammasome in chronic inflammatory diseases: Current perspectives. J. Inflamm. Res. 2015, 8, 15–27. [Google Scholar]
- Caicedo, M.S.; Samelko, L.; McAllister, K.; Jacobs, J.J.; Hallab, N.J. Increasing both CoCrMo-alloy particle size and surface irregularity induces increased macrophage inflammasome activation in vitro potentially through lysosomal destabilization mechanisms. J. Orthop. Res. 2013, 31, 1633–1642. [Google Scholar] [CrossRef] [PubMed]
- Lohmann, C.; Meyer, H.; Nuechtern, J.; Singh, G.; Junk-Jantsch, S.; Schmotzer, H.; Morlock, M.; Pflüger, G. Periprosthetic tissue metal content but not serum metal content predicts the type of tissue response in failed small-diameter metal-on-metal total hip arthroplasties. J. Bone Jt. Surg. 2013, 95, 1561–1568. [Google Scholar] [CrossRef]
- Samelko, L.; Caicedo, M.S.; Lim, S.-J.; Della-Valle, C.; Jacobs, J.; Hallab, N.J. Cobalt-alloy implant debris induce HIF-1α hypoxia associated responses: A mechanism for metal-specific orthopedic implant failure. PLoS ONE 2013, 8, e67127. [Google Scholar] [CrossRef] [PubMed]





Disclaimer/Publisher’s Note: The statements, opinions and data contained in all publications are solely those of the individual author(s) and contributor(s) and not of MDPI and/or the editor(s). MDPI and/or the editor(s) disclaim responsibility for any injury to people or property resulting from any ideas, methods, instructions or products referred to in the content. |
© 2023 by the authors. Licensee MDPI, Basel, Switzerland. This article is an open access article distributed under the terms and conditions of the Creative Commons Attribution (CC BY) license (https://creativecommons.org/licenses/by/4.0/).
Share and Cite
Brunken, F.; Senft, T.; Herbster, M.; Relja, B.; Bertrand, J.; Lohmann, C.H. CoNiCrMo Particles, but Not TiAlV Particles, Activate the NLRP3 Inflammasome in Periprosthetic Cells. Int. J. Mol. Sci. 2023, 24, 5108. https://doi.org/10.3390/ijms24065108
Brunken F, Senft T, Herbster M, Relja B, Bertrand J, Lohmann CH. CoNiCrMo Particles, but Not TiAlV Particles, Activate the NLRP3 Inflammasome in Periprosthetic Cells. International Journal of Molecular Sciences. 2023; 24(6):5108. https://doi.org/10.3390/ijms24065108
Chicago/Turabian StyleBrunken, Fenna, Tristan Senft, Maria Herbster, Borna Relja, Jessica Bertrand, and Christoph H. Lohmann. 2023. "CoNiCrMo Particles, but Not TiAlV Particles, Activate the NLRP3 Inflammasome in Periprosthetic Cells" International Journal of Molecular Sciences 24, no. 6: 5108. https://doi.org/10.3390/ijms24065108
APA StyleBrunken, F., Senft, T., Herbster, M., Relja, B., Bertrand, J., & Lohmann, C. H. (2023). CoNiCrMo Particles, but Not TiAlV Particles, Activate the NLRP3 Inflammasome in Periprosthetic Cells. International Journal of Molecular Sciences, 24(6), 5108. https://doi.org/10.3390/ijms24065108

