Protective Effect of Pioglitazone on Retinal Ganglion Cells in an Experimental Mouse Model of Ischemic Optic Neuropathy
Abstract
1. Introduction
2. Results
2.1. PGZ Normalized Blood Glucose Levels and Did Not Change Body Weight
2.2. PGZ Preserved Retinal Thickness on OCT Measurement after AION in DM Mice
2.3. PGZ Reduced Apoptosis in RGCs 1 Week after AION in DM Mice
2.4. PGZ Alleviated Iba1+-Activated Microglia Recruitment to Retina 1 Week after AION
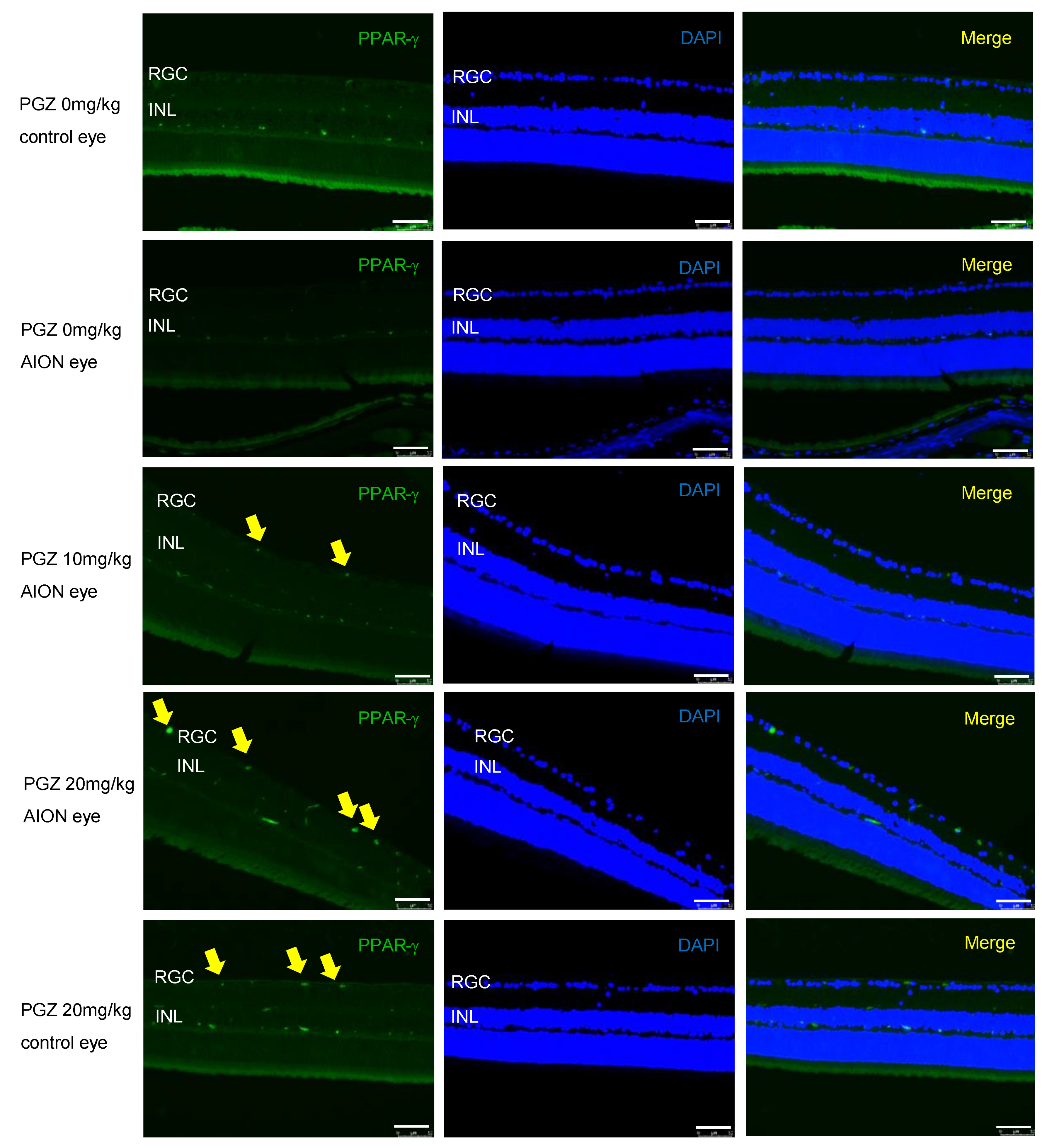
2.5. PGZ Increased PPAR-γ Expression in Retina
2.6. PGZ Preserved RGCs after AION in Diabetic Mice
2.7. PGZ Preserved RGCs after AION in Non-Diabetic Mice
3. Discussion
4. Materials and Methods
4.1. Animals
4.2. Diabetes Induction
4.3. Experimental AION
4.4. Spectral-Domain Optical Coherence Tomography
4.5. Immunohistochemistry and Morphometric Analyses
4.6. In Situ TdT-Mediated dUTP Nick-End Labeling
4.7. Statistical Analysis
Author Contributions
Funding
Institutional Review Board Statement
Informed Consent Statement
Data Availability Statement
Acknowledgments
Conflicts of Interest
References
- Feit-Leichman, R.A.; Kinouchi, R.; Takeda, M.; Fan, Z.; Mohr, S.; Kern, T.S.; Chen, D.F. Vascular damage in a mouse model of diabetic retinopathy: Relation to neuronal and glial changes. Investig. Ophthalmol. Vis. Sci. 2005, 46, 4281–4287. [Google Scholar] [CrossRef] [PubMed]
- Weerasekera, L.Y.; Balmer, L.A.; Ram, R.; Morahan, G. Characterization of Retinal Vascular and Neural Damage in a Novel Model of Diabetic Retinopathy. Investig. Ophthalmol. Vis. Sci. 2015, 56, 3721–3730. [Google Scholar] [CrossRef] [PubMed]
- Kern, T.S.; Engerman, R.L. A mouse model of diabetic retinopathy. Arch. Ophthalmol. 1996, 114, 986–990. [Google Scholar] [CrossRef] [PubMed]
- Semeraro, F.; Cancarini, A.; dell’Omo, R.; Rezzola, S.; Romano, M.R.; Costagliola, C. Diabetic Retinopathy: Vascular and Inflammatory Disease. J. Diabetes Res. 2015, 2015, 582060. [Google Scholar] [CrossRef]
- Cahoon, J.M.; Olson, P.R.; Nielson, S.; Miya, T.R.; Bankhead, P.; McGeown, J.G.; Curtis, T.M.; Ambati, B.K. Acridine orange leukocyte fluorography in mice. Exp. Eye Res. 2014, 120, 15–19. [Google Scholar] [CrossRef]
- Hayreh, S.S. Ischemic optic neuropathy. Prog. Retin. Eye Res. 2009, 28, 34–62. [Google Scholar] [CrossRef]
- Biousse, V.; Newman, N.J. Ischemic Optic Neuropathies. N. Engl. J. Med. 2015, 372, 2428–2436. [Google Scholar] [CrossRef]
- Chen, T.; Song, D.; Shan, G.; Wang, K.; Wang, Y.; Ma, J.; Zhong, Y. The association between diabetes mellitus and nonarteritic anterior ischemic optic neuropathy: A systematic review and meta-analysis. PLoS ONE 2013, 8, e76653. [Google Scholar] [CrossRef]
- Lee, M.S.; Grossman, D.; Arnold, A.C.; Sloan, F.A. Incidence of nonarteritic anterior ischemic optic neuropathy: Increased risk among diabetic patients. Ophthalmology 2011, 118, 959–963. [Google Scholar] [CrossRef]
- Hayreh, S.S.; Zimmerman, M.B. Nonarteritic anterior ischemic optic neuropathy: Clinical characteristics in diabetic patients versus nondiabetic patients. Ophthalmology 2008, 115, 1818–1825. [Google Scholar] [CrossRef]
- Odette, J.D.; Okorodudu, D.O.; Johnson, L.N. Early diabetes mellitus or hypertension is not significantly associated with severity of vision loss in nonarteritic anterior ischemic optic neuropathy. Arch. Ophthalmol. 2011, 129, 1106–1107. [Google Scholar] [CrossRef] [PubMed][Green Version]
- Sharma, S.; Kwan, S.; Fallano, K.A.; Wang, J.; Miller, N.R.; Subramanian, P.S. Comparison of Visual Outcomes of Nonarteritic Anterior Ischemic Optic Neuropathy in Patients with and without Diabetes Mellitus. Ophthalmology 2017, 124, 450–455. [Google Scholar] [CrossRef] [PubMed]
- Sun, M.H.; Shariati, M.A.; Liao, Y.J. Experimental Anterior Ischemic Optic Neuropathy in Diabetic Mice Exhibited Severe Retinal Swelling Associated with VEGF Elevation. Investig. Ophthalmol. Vis. Sci. 2017, 58, 2296–2305. [Google Scholar] [CrossRef] [PubMed][Green Version]
- Du, X.L.; Edelstein, D.; Rossetti, L.; Fantus, I.G.; Goldberg, H.; Ziyadeh, F.; Wu, J.; Brownlee, M. Hyperglycemia-induced mitochondrial superoxide overproduction activates the hexosamine pathway and induces plasminogen activator inhibitor-1 expression by increasing Sp1 glycosylation. Proc. Natl. Acad. Sci. USA 2000, 97, 12222–12226. [Google Scholar] [CrossRef]
- Grigsby, J.G.; Cardona, S.M.; Pouw, C.E.; Muniz, A.; Mendiola, A.S.; Tsin, A.T.; Allen, D.M.; Cardona, A.E. The role of microglia in diabetic retinopathy. J. Ophthalmol. 2014, 2014, 705783. [Google Scholar] [CrossRef]
- Wang, A.L.; Yu, A.C.; He, Q.H.; Zhu, X.; Tso, M.O. AGEs mediated expression and secretion of TNF alpha in rat retinal microglia. Exp. Eye Res. 2007, 84, 905–913. [Google Scholar] [CrossRef]
- Zhang, S.; Gu, H.; Hu, N. Role of Peroxisome Proliferator-Activated Receptor gamma in Ocular Diseases. J. Ophthalmol. 2015, 2015, 275435. [Google Scholar] [CrossRef]
- Pereira, M.G.; Camara, N.O.; Campaholle, G.; Cenedeze, M.A.; de Paula Antunes Teixeira, V.; dos Reis, M.A.; Pacheco-Silva, A. Pioglitazone limits cyclosporine nephrotoxicity in rats. Int. Immunopharmacol. 2006, 6, 1943–1951. [Google Scholar] [CrossRef]
- Malchiodi-Albedi, F.; Matteucci, A.; Bernardo, A.; Minghetti, L. PPAR-gamma, Microglial Cells, and Ocular Inflammation: New Venues for Potential Therapeutic Approaches. PPAR Res. 2008, 2008, 295784. [Google Scholar] [CrossRef]
- Tawfik, A.; Sanders, T.; Kahook, K.; Akeel, S.; Elmarakby, A.; Al-Shabrawey, M. Suppression of retinal peroxisome proliferator-activated receptor gamma in experimental diabetes and oxygen-induced retinopathy: Role of NADPH oxidase. Investig. Ophthalmol. Vis. Sci. 2009, 50, 878–884. [Google Scholar] [CrossRef]
- Yau, H.; Rivera, K.; Lomonaco, R.; Cusi, K. The future of thiazolidinedione therapy in the management of type 2 diabetes mellitus. Curr. Diabetes Rep. 2013, 13, 329–341. [Google Scholar] [CrossRef] [PubMed]
- Zhang, X.Y.; Xiao, Y.Q.; Zhang, Y.; Ye, W. Protective effect of pioglitazone on retinal ischemia/reperfusion injury in rats. Investig. Ophthalmol. Vis. Sci. 2013, 54, 3912–3921. [Google Scholar] [CrossRef] [PubMed]
- Zhu, J.; Zhang, J.; Ji, M.; Gu, H.; Xu, Y.; Chen, C.; Hu, N. The role of peroxisome proliferator-activated receptor and effects of its agonist, pioglitazone, on a rat model of optic nerve crush: PPARgamma in retinal neuroprotection. PLoS ONE 2013, 8, e68935. [Google Scholar] [CrossRef][Green Version]
- Jiang, Y.; Thakran, S.; Bheemreddy, R.; Ye, E.A.; He, H.; Walker, R.J.; Steinle, J.J. Pioglitazone normalizes insulin signaling in the diabetic rat retina through reduction in tumor necrosis factor α and suppressor of cytokine signaling 3. J. Biol. Chem. 2014, 289, 26395–26405. [Google Scholar] [CrossRef] [PubMed]
- Gheibi, S.; Kashfi, K.; Ghasemi, A. A practical guide for induction of type-2 diabetes in rat: Incorporating a high-fat diet and streptozotocin. Biomed. Pharm. 2017, 95, 605–613. [Google Scholar] [CrossRef]
- Chaudhry, Z.Z.; Morris, D.L.; Moss, D.R.; Sims, E.K.; Chiong, Y.; Kono, T.; Evans-Molina, C. Streptozotocin is equally diabetogenic whether administered to fed or fasted mice. Lab. Anim. 2013, 47, 257–265. [Google Scholar] [CrossRef]
- Yu, C.; Ho, J.K.; Liao, Y.J. Subretinal fluid is common in experimental non-arteritic anterior ischemic optic neuropathy. Eye 2014, 28, 1494–1501. [Google Scholar] [CrossRef]
- Shariati, M.A.; Park, J.H.; Liao, Y.J. Optical coherence tomography study of retinal changes in normal aging and after ischemia. Investig. Ophthalmol. Vis. Sci. 2015, 56, 2790–2797. [Google Scholar] [CrossRef]
- Ho, J.K.; Stanford, M.P.; Shariati, M.A.; Dalal, R.; Liao, Y.J. Optical coherence tomography study of experimental anterior ischemic optic neuropathy and histologic confirmation. Investig. Ophthalmol. Vis. Sci. 2013, 54, 5981–5988. [Google Scholar] [CrossRef]







Disclaimer/Publisher’s Note: The statements, opinions and data contained in all publications are solely those of the individual author(s) and contributor(s) and not of MDPI and/or the editor(s). MDPI and/or the editor(s) disclaim responsibility for any injury to people or property resulting from any ideas, methods, instructions or products referred to in the content. |
© 2022 by the authors. Licensee MDPI, Basel, Switzerland. This article is an open access article distributed under the terms and conditions of the Creative Commons Attribution (CC BY) license (https://creativecommons.org/licenses/by/4.0/).
Share and Cite
Sun, M.-H.; Chen, K.-J.; Sun, C.-C.; Tsai, R.-K. Protective Effect of Pioglitazone on Retinal Ganglion Cells in an Experimental Mouse Model of Ischemic Optic Neuropathy. Int. J. Mol. Sci. 2023, 24, 411. https://doi.org/10.3390/ijms24010411
Sun M-H, Chen K-J, Sun C-C, Tsai R-K. Protective Effect of Pioglitazone on Retinal Ganglion Cells in an Experimental Mouse Model of Ischemic Optic Neuropathy. International Journal of Molecular Sciences. 2023; 24(1):411. https://doi.org/10.3390/ijms24010411
Chicago/Turabian StyleSun, Ming-Hui, Kuan-Jen Chen, Chi-Chin Sun, and Rong-Kung Tsai. 2023. "Protective Effect of Pioglitazone on Retinal Ganglion Cells in an Experimental Mouse Model of Ischemic Optic Neuropathy" International Journal of Molecular Sciences 24, no. 1: 411. https://doi.org/10.3390/ijms24010411
APA StyleSun, M.-H., Chen, K.-J., Sun, C.-C., & Tsai, R.-K. (2023). Protective Effect of Pioglitazone on Retinal Ganglion Cells in an Experimental Mouse Model of Ischemic Optic Neuropathy. International Journal of Molecular Sciences, 24(1), 411. https://doi.org/10.3390/ijms24010411

