Galanin Receptors (GalR1, GalR2, and GalR3) Expression in Colorectal Cancer Tissue and Correlations to the Overall Survival and Poor Prognosis of CRC Patients
Abstract
:1. Introduction
2. Results
2.1. The GalR1 and GalR3 Immunoreactivities Are Stronger in Cancer Cells Compared to Epithelial Cells of the Unchanged Mucosa of the Large Intestine
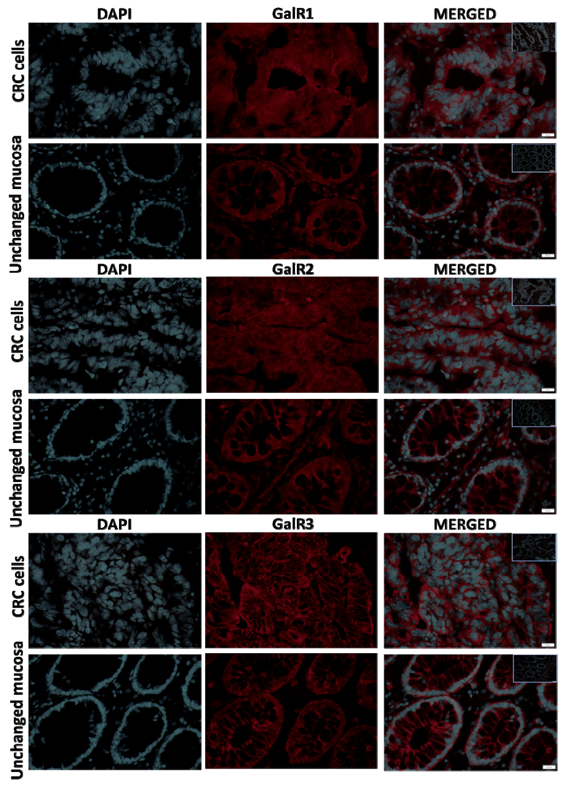
2.2. Fluorescent Immunolocalization and Protein Content of GalRs in Colorectal Cancer Cells and Wall of the Unchanged Large Intestine
2.3. Low Immunoexpression of GalR3 Protein Is Correlated with Poor Prognosis of CRC Patients
2.4. The GalR Gene Expression in Human Colorectal Cancer Database and Normal Adjacent Tissue Are Not Correlated with the Immunoexpression of the GalR Proteins
3. Discussion and Conclusions
4. Materials and Methods
4.1. Patients
4.2. Collection of Tumor and Colon Wall Samples
4.3. Immunohistochemistry and Evaluation of Immunoreactivity
4.4. Statistical Analyses
4.5. Expression Profiling of GalR Family Genes in Colorectal Patients
Author Contributions
Funding
Institutional Review Board Statement
Informed Consent Statement
Data Availability Statement
Conflicts of Interest
References
- Brenner, H.; Kloor, M.; Pox, C.P. Colorectal cancer. Lancet 2014, 383, 1490–1502. [Google Scholar] [CrossRef]
- Brody, H. Colorectal cancer. Nature 2015, 521, S1. [Google Scholar] [CrossRef]
- Kwiatkowski, P.; Godlewski, J.; Kiezun, J.; Krazinski, B.E.; Kmiec, Z. Colorectal cancer patients exhibit increased levels of galanin in serum and colon tissues. Oncol. Lett. 2016, 12, 3323–3329. [Google Scholar] [CrossRef] [PubMed] [Green Version]
- Brzozowska, M.; Calka, J. Review: Occurrence and Distribution of Galanin in the Physiological and Inflammatory States in the Mammalian Gastrointestinal Tract. Front. Immunol. 2021, 11, 602070. [Google Scholar] [CrossRef]
- Sipkova, J.; Kramarikova, I.; Hynie, S.; Klemerova, V. The galanin and galanin receptor subtypes, its regulatory role in the biological and pathological functions. Physiol. Res. 2017, 66, 729–740. [Google Scholar] [CrossRef]
- Elliott-Hunt, C.R.; Holmes, F.E.; Hartley, D.M.; Perez, S.; Mufson, E.J.; Wynick, D.J. Endogenous galanin protects mouse hippocampal neurons against amyloid toxicity in vitro via activation of galanin receptor-2. J. Alzheimer’s Dis. 2011, 25, 455–462. [Google Scholar] [CrossRef]
- Kuteeva, E.; Wardi, T.; Lundström, L.; Sollenberg, U.; Langel, Ü.; Hökfelt, T.; Ögren, S.O. Differential Role of Galanin Receptors in the Regulation of Depression-Like Behavior and Monoamine/Stress-Related Genes at the Cell Body Level. Neuropsychopharmacology 2008, 33, 2573–2585. [Google Scholar] [CrossRef]
- Demsie, D.G.; Altaye, B.M.; Weldekidan, E.; Gebremedhin, H.; Alema, N.M.; Tefera, M.M.; Bantie, A.T. Galanin Receptors as Drug Target for Novel Antidepressants: Review. Biol. Targets Ther. 2019, 14, 37–45. [Google Scholar] [CrossRef] [Green Version]
- Zhang, Y.; Gao, Y.; Li, C.-Y.; Dong, W.; Dong, Y.; Li, M.-N.; Liu, Y.-N.; Xu, S.-L. Galanin receptor 1 plays an antinociceptive effect via inhibiting PKA activation in the nucleus accumbens of rats with neuropathic pain. Physiol. Res. 2019, 68, 511–518. [Google Scholar] [CrossRef]
- Brunner, S.M.; Reichmann, F.; Leitner, J.; Wölfl, S.; Bereswill, S.; Farzi, A.; Schneider, A.M.; Klieser, E.; Neureiter, D.; Emberger, M.; et al. Galanin receptor 3 attenuates inflammation and influences the gut microbiota in an experimental murine colitis model. Sci. Rep. 2021, 11, 564. [Google Scholar] [CrossRef]
- Lang, R.; Gundlach, A.L.; Holmes, F.E.; Hobson, S.A.; Wynick, D.; Hökfelt, T.; Kofler, B. Physiology, signaling, and pharmacology of galanin peptides and receptors: Three decades of emerging diversity. Pharmacol. Rev. 2015, 67, 118–175. [Google Scholar] [CrossRef] [PubMed] [Green Version]
- Zhang, L.; Fang, P.; Chai, C.; Shao, L.; Mao, H.; Qiao, D.; Kong, G.; Dong, X.; Shi, M.; Zhang, Z.; et al. Galanin expression is down-regulated in patients with gastric cancer. J. Int. Med. Res. 2019, 47, 1241–1249. [Google Scholar] [CrossRef] [PubMed]
- Benya, R.V.; Matkowskyj, K.A.; Danilkovich, A.; Hecht, G. Galanin causes Cl-secretion in the human colon. Potential significance of inflammation-associated NF-kappa B activation on galanin-1 receptor expression and function. Ann. N. Y. Acad. Sci. 1998, 863, 64–77. [Google Scholar] [CrossRef] [PubMed]
- Benya, R.V.; Marrero, J.A.; Ostrovskiy, D.A.; Koutsouris, A.; Hecht, G. Human colonic epithelial cells express galanin-1 receptors, which when activated cause Cl-secretion. Am. J. Physiol. 1999, 276, 64–72. [Google Scholar] [CrossRef] [PubMed]
- Stevenson, L.; Wendy, L.A.; Turkington, R.; Jithesh, P.V.; Proutski, I.; Stewart, G.; Lenz, H.-J.; Van Schaeybroeck, S.; Longley, D.B.; Johnston, P.G. Identification of galanin and its receptor GalR1 as novel determinants of resistance to chemotherapy and potential biomarkers in colorectal cancer. Clin. Cancer Res. 2012, 18, 5412–5426. [Google Scholar] [CrossRef] [PubMed] [Green Version]
- Godlewski, J.; Kmiec, Z. Colorectal Cancer Invasion and Atrophy of the Enteric Nervous Syste: Potential Feedback and Impact on Cancer Prognosis. Int. J. Mol. Sci. 2020, 21, 3391. [Google Scholar] [CrossRef]
- Kim, K.Y.; Kee, M.K.; Chong, S.A.; Nam, M.J. Galanin is up-regulated in colon adenocarcinoma. Cancer Epidemiol. Biomark. Prev. 2007, 16, 2373–2378. [Google Scholar] [CrossRef] [Green Version]
- Lang, R.; Gundlach, A.L.; Kofler, B. The galanin peptide family: Receptor pharmacology, pleiotropic biological actions, and implications in health and disease. Pharmacol. Ther. 2007, 115, 177–207. [Google Scholar] [CrossRef]
- Kanazawa, T.; Misawa, K.; Misawa, Y.; Maruta, M.; Uehara, T.; Kawada, K.; Nagatomo, T.; Ichimura, K. Galanin receptor 2 utilizes distinct signaling pathways to suppress cell proliferation and induce apoptosis in HNSCC. Mol. Med. Rep. 2014, 10, 1289–1294. [Google Scholar] [CrossRef]
- Yoon, D.; Bae, K.; Lee, M.K.; Kim, J.H.; Yoon, K.A. Galanin is an epigenetically silenced tumor suppressor gene in gastric cancer cells. PLoS ONE 2018, 13, e0193275. [Google Scholar] [CrossRef] [Green Version]
- Mei, Z.; Yang, Y.; Li, Y.; Yang, F.; Li, J.; Xing, N.; Xu, Z.D. Galanin suppresses proliferation of human U251 and T98G glioma cells via its subtype 1 receptor. Biol. Chem. 2017, 398, 1127–1139. [Google Scholar] [CrossRef] [PubMed]
- Sugimoto, T.; Seki, N.; Shimizu, S.; Kikkawa, N.; Tsukada, J.; Shimada, H. The galanin signaling cascade is a candidate pathway regulating oncogenesis in human squamous cell carcinoma. Genes Chrom. Cancer 2009, 48, 132–142. [Google Scholar] [CrossRef] [PubMed]
- Kolakowski, L.F., Jr.; O’Neill, G.P.; Howard, A.D.; Broussard, S.R.; Sullivan, K.A.; Feighner, S.D.; Sawzdargo, M.; Nguyen, T.; Kargman, S.; Shiao, L.L.; et al. Molecular characterization and expression of cloned human galanin receptors GALR2 and GALR3. J. Neurochem. 1998, 71, 2239–2251. [Google Scholar] [CrossRef] [PubMed]
- Lorimer, D.D.; Matkowskj, K.; Benya, R.V. Cloning, chromosomal location, and transcriptional regulation of the human galanin-1 receptor gene (GALN1R). Biochem. Biophys. Res. Commun. 1997, 241, 558–564. [Google Scholar] [CrossRef]
- Misawa, K.; Misawa, Y.; Kanazawa, T.; Mochizuki, D.; Imai, A.; Endo, S.; Carey, T.E.; Mineta, H. Epigenetic inactivation of galanin and GALR1/2 is associated with early recurrence in head and neck cancer. Clin. Exp. Metastasis 2016, 33, 187–195. [Google Scholar] [CrossRef]
- Kanazawa, T.; Misawa, K.; Shinmura, K.; Misawa, Y.; Kusaka, G.; Maruta, M.; Sasaki, T.; Watanabe, Y.; Carey, T.E. Promoter methylation of galanin receptors as epigenetic biomarkers for head and neck squamous cell carcinomas. Expert Rev. Mol. Diagn. 2019, 19, 137–148. [Google Scholar] [CrossRef]
- Berger, A.; Lang, R.; Moritz, K.; Santic, R.; Hermann, A.; Sperl, W.; Kofler, B. Galanin receptor subtype GalR2 mediates apoptosis in SH-SY5Y neuroblastoma cells. Endocrinology 2004, 145, 500–507. [Google Scholar] [CrossRef] [Green Version]
- Falkenstetter, S.; Leitner, J.; Brunner, S.M.; Rieder, T.N.; Kofler, B.; Weis, S. Galanin System in Human Glioma and Pituitary Adenoma. Front. Endocrinol. 2020, 11, 155. [Google Scholar] [CrossRef]
- Berger, A.; Santic, R.; Hauser-Kronberger, C.; Schilling, F.H.; Kogner, P.; Ratschek, M.; Gamper, A.; Jones, N.; Sperl, W.; Kofler, B. Galanin and galanin receptors in human cancers. Neuropeptides 2005, 39, 353–359. [Google Scholar] [CrossRef]
- Tofighi, R.; Joseph, B.; Xia, S.; Xu, Z.Q.; Hamberger, B.; Hökfelt, T.; Ceccatelli, S. Galanin decreases proliferation of PC12 cells and induces apoptosis via its subtype 2 receptor (GalR2). Proc. Natl. Acad. Sci. USA 2008, 105, 2717–2722. [Google Scholar] [CrossRef] [Green Version]
- Uehara, T.; Kanazawa, T.; Mizukami, H.; Uchibori, R.; Tsukahara, T.; Urabe, M.; Kume, A.K.; Carey, T.E.; Suzuki, M.; Ichimura, K.; et al. Novel anti-tumor mechanism of galanin receptor type 2 in head and neck squamous cell carcinoma cells. Cancer Sci. 2014, 105, 72–80. [Google Scholar] [CrossRef] [PubMed] [Green Version]
- Banerjee, R.; Henson, B.S.; Russo, N.; Tsodikov, A.; D’Silva, N.J. Rap1 mediates galanin receptor 2-induced proliferation and survival in squamous cell carcinoma. Cell Signal. 2011, 23, 1110–1118. [Google Scholar] [CrossRef] [PubMed] [Green Version]
- Banerjee, R.; Van Tubergen, E.A.; Scanlon, C.S.; Vander-Broek, R.; Lints, J.P.; Liu, M.; Russo, N.; Inglehart, R.C.; Wang, Y.; Polverini, P.J.; et al. The G protein-coupled receptor GALR2 promotes angiogenesis in head and neck cancer. Mol. Cancer Ther. 2014, 13, 1323–1333. [Google Scholar] [CrossRef] [PubMed] [Green Version]
- De Sousa Abreu, R.; Penalva, L.O.; Marcotte, E.M.; Vogel, C. Global signatures of protein and mRNA expression levels. Mol. BioSyst. 2009, 12, 1512–1526. [Google Scholar] [CrossRef] [Green Version]
- Gry, M.; Rimini, R.; Strömberg, S.; Asplund, A.; Pontén, F.; Uhlén, M.; Nilsson, P. Correlations between RNA and protein expression profiles in 23 human cell lines. BMC Genom. 2009, 10, 365. [Google Scholar] [CrossRef] [Green Version]
- Koller, A.; Brunner, S.M.; Bianchini, R.; Ramspacher, A.; Emberger, M.; Locker, F.; Schlager, S.; Kofler, B. Galanin is a potent modulator of cytokine and chemokine expression in human macrophages. Sci. Rep. 2019, 9, 7237. [Google Scholar] [CrossRef]
- Pinto, M.L.; Rios, E.; Durães, C.; Ribeiro, R.; Machado, J.C.; Mantovani, A.; Barbosa, M.A.; Carneiro, F.; Oliveira, M.J. The Two Faces of Tumor-Associated Macrophages and Their Clinical Significance in Colorectal Cancer. Front. Immunol. 2019, 10, 1875. [Google Scholar] [CrossRef] [Green Version]
- Kiezun, J.; Kaminska, B.; Jankowski, J.; Dusza, L. Concentrations of the adrenocorticotropic hormone, corticosterone and sex steroid hormones and the expression of the androgen receptor in the pituitary and adrenal glands of male turkeys (Meleagris gallopavo) during growth and development. Gen. Comp. Endocrinol. 2015, 217–218, 62–70. [Google Scholar] [CrossRef]
- Schrődl, F.; Kaser-Eichberger, A.; Trost, A.; Strohmaier, C.; Bogner, B.; Runge, C.; Bruckner, D.; Motloch, K.; Holub, B.; Kofler, B.; et al. Distribution of galanin receptors in the human eye. Exp. Eye Res. 2015, 138, 42–51. [Google Scholar] [CrossRef]
- Kowalczyk, A.E.; Krazinski, B.E.; Godlewski, J.; Kiewisz, J.; Kwiatkowski, P.; Sliwinska-Jewsiewicka, A.; Kiezun, J.; Sulik, M.; Kmiec, Z. Expression of the EP300, TP53 and BAX genes in colorectal cancer: Correlations with clinicopathological parameters and survival. Oncol. Rep. 2017, 38, 201–210. [Google Scholar] [CrossRef]
- Kisielewska, K.; Rytelewska, E.; Gudelska, M.; Kiezun, M.; Dobrzyn, K.; Bogus-Nowakowska, K.; Kaminska, B.; Smolinska, N.; Kaminski, T. Relative abundance of chemerin mRNA transcript and protein in pituitaries of pigs during the estrous cycle and early pregnancy and associations with LH and FSH secretion during the estrous cycle. Anim Reprod Sci. 2020, 19, 106532. [Google Scholar] [CrossRef] [PubMed]
- Krazinski, B.E.; Kowalczyk, A.E.; Sliwinska-Jewsiewicka, A.; Grzegrzolka, J.; Godlewski, J.; Kwiatkowski, P.; Dziegiel, P.; Kmiec, Z.; Kiewisz, J. IKBKB expression in clear cell renal cell carcinoma is associated with tumor grade and patient outcomes. Oncol. Rep. 2019, 41, 1189–1197. [Google Scholar] [CrossRef] [PubMed] [Green Version]







| Qualitative Parameters | Number of Cases n (%) | GalR1-Ir Tumors vs. No Change Epithelial Tissues | GalR2-Ir Tumors vs. No Change Epithelial Tissues | Number of Cases n (%) | GalR3-Ir Tumors vs. No Change Epithelial Tissues | ||||||
|---|---|---|---|---|---|---|---|---|---|---|---|
| <1 n (%) | ≥1 n (%) | p-Value | <1 n (%) | ≥1 n (%) | p-Value | <1 n (%) | ≥1 n (%) | p-Value | |||
| Total | 55 (100) | 12 (21.8) | 43 (78.2) | 15 (27.3) | 40 (72.7) | 55 (100) | 8 (14.5) | 47 (85.5) | |||
| Men | 31 (56) | 9 (29.0) | 22 (71.0) | 0.1943 | 10 (32.3) | 21 (67.7) | 0.3800 | 31 (56) | 5 (16.1) | 20 (83.9) | 1.0000 |
| Women | 24 (44) | 3 (12.5) | 21 (87.5) | 5 (20.8) | 19 (79.2) | 24 (44) | 3 (12.5) | 21 (87.5) | |||
| Age | |||||||||||
| ≤median (66 y.o.) | 28 (51) | 6 (21.4) | 22 (78.6) | 1.0000 | 7 (25.0) | 21 (75.0) | 0.7681 | 28 (51) | 4 (14.3) | 24 (85.7) | 1.0000 |
| >median (66 y.o.) | 27 (49) | 6 (22.2) | 21 (77.8) | 8 (29.6) | 19 (70.4) | 27 (49) | 4 (14.8) | 23 (85.2) | |||
| Localization | |||||||||||
| cecum, right colon | 21 (38) | 6 (28.6) | 15 (71.4) | 0.1439 | 5 (23.8) | 16 (76.2) | 0.1661 | 21 (38) | 2 (9.5) | 19 (90.5) | 0.7072 |
| transverse left colon, sigmoid | 23 (42) | 6 (26.1) | 17 (73.9) | 9 (39.1) | 14 (60.9) | 23 (42) | (17.4) | 19 (82.6) | |||
| rectum | 11 (20) | 0 (0.0) | 11 (100.0) | 1 (9.1) | 10 (90.9) | 11 (20) | 2 | 9 (81.8) | |||
| T status | |||||||||||
| T1+T2 | 44 (80) | 11 (25.0) | 33 (75.0) | 0.4223 | 9 (20.5) | 35 (79.5) | 0.0523 | 44 (80) | 4 (9.1) | 40 (90.9) | 0.0422 |
| T3 | 11 (20) | 1 (9.1) | 10 (90.9) | 6 (54.5) | 5 (45.5) | 11 (20) | 4 (36.4) | 7 (63.6) | |||
| N status | |||||||||||
| N0 | 31 (56) | 9 (29.0) | 22 (71.0) | 0.1943 | 6 (19.4) | 5 (10) | 0.2216 | 31 (56) | 1 (3.2) | 30 (96.8) | 0.0159 |
| N1+N2 | 24 (44) | 3 (12.5) | 21 (87.5) | 9 (37.5) | 1 (6) | 24 (44) | 7 (29.2) | 17 (70.8) | |||
| Distant metastases | |||||||||||
| M0 | 47 (85) | 11 (23.4) | 36 (76.6) | 0.6695 | 9 (19.1) | 6 (11) | 0.0034 | 47 (85) | 3 (6.4) | 44 (93.6) | 0.0008 |
| M1 | 8 (15) | 1 (12.5) | 7 (87.5) | 6 (75.0) | 0 (0) | 8 (15) | 5 (62.5) | 3 (37.5) | |||
| Parameter | Univariate Cox Regression | Multivariate Cox Regression | ||||
|---|---|---|---|---|---|---|
| HR | 95% CI | p-Value | HR | 95% CI | p-Value | |
| relative protein GalR1-Ir (down-regulated vs. no change/up-regulated) | 0.47 | 0.06–3.72 | 0.4731 | |||
| relative protein GalR2-Ir (down-regulated vs. no change/up-regulated) | 1.83 | 0.52–6.51 | 0.3475 | |||
| relative protein GalR3-Ir (down-regulated vs. no change/up-regulated) | 5.57 | 1.56–19.92 | 0.0082 | 0.15 | 0.02–1.14 | 0.0663 |
| Gender (women vs. men) | 1.29 | 0.36–4.60 | 0.6931 | |||
| Age (years) | 0.91 | 0.25–3.22 | 0.8775 | |||
| Localization (rectum vs. cecum, right colon) (rectum vs. transverse left colon, sigmoid) | 0.63 0.15 | 0.17–2.34 0.02–1.31 | 0.4900 0.0600 | |||
| Depth of invasion (T3 vs. T1+T2) | 3.44 | 0.97–12.22 | 0.0600 | |||
| Lymph node metastasis (N1+N2 vs. N0) | 5.97 | 1.27–28.12 | 0.0200 | 2.06 | 0.29-14.62 | 0.4704 |
| Distant metastases (M1 vs. M0) | 17.39 | 4.78–63.32 | 0.00002 | 56.50 | 1.27–12.6 | 0.0006 |
Publisher’s Note: MDPI stays neutral with regard to jurisdictional claims in published maps and institutional affiliations. |
© 2022 by the authors. Licensee MDPI, Basel, Switzerland. This article is an open access article distributed under the terms and conditions of the Creative Commons Attribution (CC BY) license (https://creativecommons.org/licenses/by/4.0/).
Share and Cite
Kiezun, J.; Godlewski, J.; Krazinski, B.E.; Kozielec, Z.; Kmiec, Z. Galanin Receptors (GalR1, GalR2, and GalR3) Expression in Colorectal Cancer Tissue and Correlations to the Overall Survival and Poor Prognosis of CRC Patients. Int. J. Mol. Sci. 2022, 23, 3735. https://doi.org/10.3390/ijms23073735
Kiezun J, Godlewski J, Krazinski BE, Kozielec Z, Kmiec Z. Galanin Receptors (GalR1, GalR2, and GalR3) Expression in Colorectal Cancer Tissue and Correlations to the Overall Survival and Poor Prognosis of CRC Patients. International Journal of Molecular Sciences. 2022; 23(7):3735. https://doi.org/10.3390/ijms23073735
Chicago/Turabian StyleKiezun, Jacek, Janusz Godlewski, Bartlomiej E. Krazinski, Zygmunt Kozielec, and Zbigniew Kmiec. 2022. "Galanin Receptors (GalR1, GalR2, and GalR3) Expression in Colorectal Cancer Tissue and Correlations to the Overall Survival and Poor Prognosis of CRC Patients" International Journal of Molecular Sciences 23, no. 7: 3735. https://doi.org/10.3390/ijms23073735
APA StyleKiezun, J., Godlewski, J., Krazinski, B. E., Kozielec, Z., & Kmiec, Z. (2022). Galanin Receptors (GalR1, GalR2, and GalR3) Expression in Colorectal Cancer Tissue and Correlations to the Overall Survival and Poor Prognosis of CRC Patients. International Journal of Molecular Sciences, 23(7), 3735. https://doi.org/10.3390/ijms23073735

